direct naar inhoud van Toelichting
Plan: Perimeter ESTEC en schotelbiotoop Galileo
Status: vastgesteld
Plantype: bestemmingsplan
IMRO-idn: NL.IMRO.0537.BPPLUPerimeters-va01

Toelichting

Hoofdstuk 1 Inleiding

1.1 Aanleiding

Het ESTEC-terrein ligt tussen de Zwarteweg-Keplerlaan en het duingebied 'Coepelduynen' en is het centrum voor ruimteonderzoek en technologie (ESTEC) van de Europese ruimtevaartorganisatie ESA. Conform schriftelijke afspraken met het Rijk en ESA/ESTEC dient er ter voorkoming van spionage rondom de terreingrens van ESTEC, (Keplerlaan 1 te Noordwijk) rekening te worden gehouden met beperkingen voor nieuwe bebouwing. Zo is er binnen een perimeterzone van 50 meter vanaf de bouwgrens van ESTEC geen nieuwe bebouwing van derden toegestaan terwijl er in een perimeterzone van 50 tot 100 meter vanaf de bouwgrens hoogtebeperkingen gelden. Daarnaast gelden er rondom het Galileo Reference Centre (Zwarteweg 53 te Noordwijk) hoogtebeperkingen om te voorkomen dat de schotelontvangst wordt geblokkeerd.

Doel van het voorliggende bestemmingsplan is om de beperkingen voor nieuwe bebouwing ruimtelijk vast te leggen en eenduidige regels hiervoor vast te stellen. Hierdoor wordt voorkomen dat er nieuwe bebouwing wordt gerealiseerd die kan leiden tot een beperking van de bedrijfsvoering van ESTEC en/of de schotelontvangst van het Galileo Reference Centre.

Dit bestemmingsplan is een zogenaamd 'paraplubestemmingsplan'. Dit betekent dat naast het paraplubestemmingsplan ook de bestemmingsplannen van kracht blijven die gelden ten tijde van de inwerkingtreding van het paraplubestemmingsplan. Het voorliggende paraplubestemmingsplan is daarmee te beschouwen als een aanvulling op de al geldende bestemmingsplannen. Alle regels van de geldende bestemmingsplannen blijven van toepassing, tenzij in het voorliggende paraplubestemmingsplan anders is vermeld.

1.2 Situering en begrenzing plangebied

Het plangebied van het paraplubestemmingsplan "Perimeter ESTEC en schotelbiotoop Galileo" heeft betrekking op het Katwijkse deel van:

  • 1. de zone van 100 meter rondom de terreingrens van ESTEC (Keplerlaan 1 te Noordwijk);
  • 2. de zone van de schotelbiotoop van het Galileo Reference Centre (Zwarteweg 53 te Noordwijk).

Binnen deze zones bevindt zich een deel van de woonwijk Rijnsoever (inclusief de uitbreiding Rijnsoever-Noord) en een deel van het duingebied Coepelduynen. De begrenzing van het paraplubestemmingsplan wordt aan de noord- en oostzijde gevormd door de ter hoogte van de Zwarteweg, de Keplerlaan en de groenstrook langs de Stevinlaan gelegen gemeentegrens met Noordwijk. Aan de zuid- en westzijde wordt de begrenzing gevormd door de grenzen van de onder 1 en 2 genoemde zones.

afbeelding "i_NL.IMRO.0537.BPPLUPerimeters-va01_0001.png"

Figuur: begrenzing plangebied (bron: Google Earth)

1.3 Vigerende bestemmingsplannen

Momenteel gelden in het betreffende plangebied de volgende bestemmingsplannen en uitwerkingsplannen:

- bestemmingsplan Duinen, gewijzigd vastgesteld door de raad op 14 maart 2013 en werd onherroepelijk op 6 juli 2013;

- bestemmingsplan Rijnsoever, gewijzigd vastgesteld door de raad op 30 mei 2013 en werd onherroepelijk op 24 augustus 2013;

- uitwerkingsplan Rijnsoever Noord Fase 3, vastgesteld door B&W op 13 september 2016 en werd onherroepelijk op 18 november 2016;

- uitwerkingsplan Rijnsoever Noord fase 1, vastgesteld door B&W op 26 oktober 2010 en werd onherroepelijk;

- paraplu bestemmingsplan Parkeren Katwijk, vastgesteld door de raad op 15 februari 2018 en werd onherroepelijk op 28 april 2018;

- paraplu bestemmingsplan Standplaatsen Katwijk, vastgesteld door de raad op.12 maart 2020 en werd onherroepelijk.

Het voorliggende paraplubestemmingsplan is een aanvulling op de genoemde bestemmingsplannen, uitwerkingsplannen en tevens alle besluiten tot afwijking van het bestemmingsplan die in de afgelopen planperiode zijn genomen in het betreffende plangebied van het paraplubestemmingsplan "Perimeter ESTEC en schotelbiotoop Galileo".

1.4 Leeswijzer

De toelichting is als volgt opgebouwd. Na de inleiding in hoofdstuk 1, wordt in hoofdstuk 2 de belangrijkste informatie uit diverse beleidsnota's van verschillende overheden vermeld, voor zover deze relevant zijn voor het paraplubestemmingsplan. Hoofdstuk 3 geeft een beschrijving van de huidige situatie in het plangebied en in hoofdstuk 4 wordt ingegaan op de milieu & omgevingsaspecten en in hoofdstuk 5 wordt het juridisch kader nader toegelicht. Hoofdstuk 6 bevat de resultaten van het overleg met betrokken diensten, besturen en overheden en de resultaten van de uniforme openbare voorbereidingsprocedure. Ook wordt in dit hoofdstuk de economische uitvoerbaarheid beschreven en in dit hoofdstuk bevindt zich de paragraaf met betrekking tot handhaving. Hoofdstuk 7 besteedt aandacht aan de procedure van een bestemmingsplan.

Hoofdstuk 2 Beleidskader

Hoofdstuk 2 Beleidskader

2.1 Rijksbeleid

2.1.1 Nationale Omgevingsvisie (NOVI)

De Nationale Omgevingsvisie (NOVI) uit 2020 richt zich op vier prioriteiten. Deze onderwerpen hebben onderling veel met elkaar te maken en ze hebben gevolgen voor hoe we onze fysieke leefomgeving inrichten. De NOVI helpt bij het maken van de noodzakelijke keuzes:

  • 1. Ruimte maken voor de klimaatverandering en energietransitie.
  • 2. De economie van Nederland verduurzamen en ons groeipotentieel behouden.
  • 3. Onze steden en regio's sterker en leefbaarder maken.
  • 4. Het landelijk gebied toekomstbestendig ontwikkelen.

Door de voorliggende herziening wordt voorkomen dat er nieuwe bebouwing wordt gerealiseerd die kan leiden tot een beperking van de bedrijfsvoering van ESTEC en/of de schotelontvangst van het Galileo Reference Centre. Dit draagt bij aan het behouden van groeipotentieel van de Nederlandse economie aangezien ESTEC en het Galileo Reference Centre belangrijk zijn voor het Europese ruimteprogramma. De herziening is daardoor in overeenstemming met de NOVI.

2.1.2 Besluit algemene regels ruimtelijke ordening (Barro)

Het Besluit algemene regels ruimtelijke ordening (Barro) is op 30 december 2011 in werking getreden en op 1 oktober 2012 aangevuld.

Het Barro is gericht op doorwerking van nationale belangen in gemeentelijke bestemmingsplannen en zorgt voor sturing en helderheid van deze belangen vooraf.

Enkele in het Barro opgenomen onderdelen zijn kustfundament, hoofdwegen en hoofdspoorwegen, elektriciteitsvoorziening, buisleidingen van nationaal belang voor vervoer van gevaarlijke stoffen, Ecologische hoofdstructuur, primaire waterkeringen buiten het kustfundament en erfgoederen van uitzonderlijke universele waarde.

Geen van de in het Barro geregelde onderwerpen heeft directe invloed op de herziening van het bestemmingsplan. Doordat de concrete doorwerking van het Barro bij een aantal onderwerpen is vertaald in de provinciale Verordening kan er wel sprake zijn van indirecte invloed (zie subparagraaf 2.2.1).

2.2 Provinciaal beleid

Het Omgevingsbeleid van Zuid-Holland omvat al het provinciale beleid voor de fysieke leefomgeving. Het bestaat uit twee kaderstellende instrumenten: de Omgevingsvisie en de Omgevingsverordening. Daarnaast zijn in het Omgevingsbeleid operationele doelstellingen opgenomen, zodat zichtbaar is hoe de provincie zelf invulling geeft aan de realisatie van haar beleid. Deze operationele doelstellingen maken onderdeel uit van verschillende uitvoeringsprogramma's en –plannen, zoals het programma Ruimte en het programma Mobiliteit.

In de Omgevingsverordening is het beleid in de Omgevingsvisie in regels vertaald. Het betreft regels omtrent de inhoud van en de toelichting op bestemmingsplannen over onderwerpen in zowel het landelijke als het bestaand bebouwd gebied van Zuid-Holland waar een provinciaal belang mee gemoeid is.

De Omgevingsverordening is bindend voor gemeenten, de visie en de overige onderdelen niet – die zijn alleen bindend voor de provincie zelf.

2.2.1 Omgevingsverordening Zuid-Holland (2019)

De Omgevingsverordening is op 20 februari 2019 vastgesteld en nadien enkele malen gewijzigd. De huidige geconsolideerde versie is op 1 februari 2023 in werking getreden.

In hoofdstuk 6 van de regels van de Omgevingsverordening zijn regels opgenomen die van belang zijn om het provinciale beleid of het provinciale belang te laten doorwerken in de uitoefening van taken of bevoegdheden door andere bestuursorganen dan provinciale staten.

In de verordening is een onderscheid gemaakt tussen nieuwe en bestaande ruimtelijke ontwikkelingen. Onder bestaande bebouwing, bestaand gebruik of een bestaande ruimtelijke ontwikkeling wordt verstaan hetgeen:

  • a. ingevolge het op het tijdstip van inwerkingtreding van deze verordening geldende bestemmingsplan rechtmatig aanwezig is;
  • b. waarvoor op het tijdstip van inwerkingtreding van deze verordening bij een omgevingsvergunning is afgeweken van het bestemmingsplan of een aanvraag hiertoe is ingediend die kan worden verleend;
  • c. in overeenstemming met deze verordening tot stand is gekomen of waarvoor ontheffing van deze verordening is verleend of waarover het gemeentebestuur een besluit heeft genomen als direct gevolg van een onherroepelijke uitspraak van een bestuursrechter.

Het begrip 'nieuwe bebouwing' of 'nieuw gebruik van grond of bebouwing' dat ook in deze verordening wordt gehanteerd, kan worden beschouwd als de tegenhanger van het begrip 'bestaand'.

Gelet op het voorgaande is de aanwezige (en vergunde) bebouwing in het plangebied van het paraplubestemmingsplan als bestaande bebouwing en bestaand gebruik aan te merken. Omdat het paraplubestemmingsplan betrekking heeft op aanvullende bouwbepalingen en geen nieuwe of extra bebouwing mogelijk maakt, is er geen sprake van een nieuwe ruimtelijke ontwikkeling. Het plangebied van het paraplubestemmingsplan bevindt zich verder in bestaand stads- en dorpsgebied als bedoeld in artikel 1.1.1 van het Besluit ruimtelijke ordening. De in de Omgevingsverordening opgenomen onderwerpen hebben zodoende geen gevolgen voor het paraplubestemmingsplan.

2.3 Regionaal beleid

2.3.1 Regionale Structuurvisie 2020 (2009)

Op 24 juni 2009 is de Regionale StructuurVisie 2020 (RSV) door Holland Rijnland vastgesteld. De RSV verankert de intergemeentelijke afspraken in een ruimtelijke vertaling naar 2020 met een doorkijk naar 2030. Op 1 april 2010 hebben de gemeenten Alphen aan den Rijn, Nieuwkoop en Rijnwoude zich aangesloten bij Holland Rijnland. De RSV is hierop aangepast door middel van een eerste partiële herziening. Deze herziening is op 28 maart 2012 vastgesteld door het Algemeen Bestuur van de regio. De eerste partiële herziening RSV is niet als losstaand document, maar als integraal onderdeel van de RSV vastgesteld.

In de visie worden volgende kerndoelen nagestreefd:

  • 1. Holland Rijnland is een top woonregio;
  • 2. Leiden vervult een regionale centrumfunctie;
  • 3. Concentratie stedelijke ontwikkeling;
  • 4. 'Groenblauwe kwaliteit' staat centraal;
  • 5. De Bollenstreek en Veenweide en Plassen blijven open;
  • 6. Kennis en Greenport;
  • 7. Verbetering van de regionale bereikbaarheid.

Voor dit bestemmingsplan is het zesde punt van belang. Space Business Park wordt in Noordwijk genoemd als te ontwikkelen terrein ter versterking van het kenniscluster voor ruimtevaart. Het vastleggen van de schotelbiotoop in het voorliggende paraplubestemmingsplan faciliteert dit beleidsuitgangspunt.

2.4 Gemeentelijk beleid

2.4.1 Omgevingsvisie Katwijk

De gemeenteraad van Katwijk heeft op 1 februari 2018 de Omgevingsvisie Katwijk vastgesteld en deze in 2021 geactualiseerd en opnieuw vastgesteld. De Omgevingsvisie Katwijk is een inspiratiedocument voor de ontwikkeling van Katwijk in de periode tot 2030. Het zal ook dienen als integraal afwegingskader voor diverse projecten en initiatieven van burgers, bedrijven en gemeente. Het is een compact, leesbaar en wervend beeld door alle partijen gedeeld: een visie waarin het verhaal van de toekomst gevat wordt. De uitwerking wordt vertaald in programma, projecten en plannen.

De visie valt uiteen in vier ontwikkelstrategieën:

  • Sterke kust;
  • Florerende onderneming;
  • Katwijkse kernen;
  • Gezonde en aantrekkelijke leefomgeving.

Het geeft de veelkleurigheid van de gemeente aan alsmede de kracht die in de verschillen tussen de verschillende kernen zit. Voor opgaven die de gemeente overstijgen wil Katwijk de regionale samenwerking intensiveren. Dit is bijvoorbeeld op het gebied van mobiliteit.

Het paraplubestemmingsplan past binnen de ontwikkelkaders zoals gesteld in de gemeentelijke omgevingsvisie.

Hoofdstuk 3 Huidige situatie

Het plangebied van het voorliggende paraplubestemmingsplan bestaat uit de volgende gebiedsdelen:

  • 1. een strook van het duingebied 'Coepelduynen';
  • 2. de noordoostelijke strook van de woonwijk 'Rijnsoever';
  • 3. de noordelijke strook van de recente uitbreiding 'Rijnsoever-Noord'.

afbeelding "i_NL.IMRO.0537.BPPLUPerimeters-va01_0002.jpg"

Figuur: het plangebied en de 3 gebiedsdelen (bron: Google Earth,de nummering komt overeen met de gebiedsdelen in de voorgaande opsomming)

Deze 3 gebiedsdelen zullen in het navolgende worden beschreven.

3.1 Duingebied 'Coepelduynen'

Een strook met een oppervlak van circa 10.000 m² behoort tot het duingebied 'Coepelduynen'. Dit duingebied is vanwege de bijzondere flora en fauna aangewezen als Natura 2000-gebied. In het plangebied is geen bebouwing aanwezig.

3.2 Woonwijk 'Rijnsoever'

De woonwijk 'Rijnsoever' is in de jaren '70-'80 gebouwd tot aan de gemeentegrens met Noordwijk. De noordoostelijke rand van deze woonwijk is gelegen in het plangebied van het voorliggende paraplubestemmingsplan. Deze rand bevindt zich ten zuiden van het terrein van ESTEC, aan de overzijde van de Keplerlaan.

afbeelding "i_NL.IMRO.0537.BPPLUPerimeters-va01_0003.png"

Figuur: de Kelplerlaan met links het terrein van ESTEC en rechts de woonwijk Rijnsoever (bron: www.google.nl/maps)

In de binnen het plangebied gelegen rand van Rijnsoever bevinden zich diverse woonpercelen. De woningen bestaan uit laagbouw eengezinswoningen, gegroepeerd rond hoven en woonerven. De woningen zijn vrijstaand of geschakeld en de bouwhoogte bedraagt 8 tot 9 meter. Alle woningen hebben een voor- en achtertuin.

afbeelding "i_NL.IMRO.0537.BPPLUPerimeters-va01_0004.png"

Figuur: laagbouwwoningen op de kruising Hartweg-Noorderlicht-Juno Noorderlicht (bron: www.google.nl/maps)

3.3 Uitbreiding 'Rijnsoever-Noord'

De uitbreiding 'Rijnsoever-Noord' (Park Rijnsoever) is de afgelopen jaren gefaseerd ontwikkeld tussen de Biltlaan en de gemeentegrens met Noordwijk. Een deel van Rijnsoever (fase 3) is momenteel nog in aanbouw. De noordelijke rand van de uitbreiding is gelegen in het plangebied van het voorliggende paraplubestemmingsplan. Deze rand bevindt zich ten zuidoosten van het terrein van ESTEC, aan de overzijde van de Zwarteweg, en ten zuidwesten van het Space Business Park.

afbeelding "i_NL.IMRO.0537.BPPLUPerimeters-va01_0005.png"

Figuur: de Zwarteweg met links een deel van Space Business Park en rechts een deel van de al gerealiseerde woningen van Rijnsoever-Noord (bron: www.google.nl/maps)

In de binnen het plangebied gelegen rand van Rijnsoever-Noord zijn aan de zijde van Space Business Park vrijstaande woningen in drie bouwlagen gerealiseerd. Alleen langs de Zwarteweg bevindt zich momenteel een appartementsgebouw van zes tot zeven bouwlagen.

afbeelding "i_NL.IMRO.0537.BPPLUPerimeters-va01_0006.png"

Figuur: vrijstaande woningen aan de Erasmuslaan (bron: www.google.nl/maps)

Op de naastgelegen gronden komt een tweetal vergelijkbare appartementsgebouwen langs de Zwarteweg met daarachter lagere woningen. Hiervoor is al een (onherroepelijke) vergunning verleend.

Hoofdstuk 4 Milieu & omgevingsaspecten

Het voorliggende paraplubestemmingsplan betreft een technische aanpassing van de geldende planologische regelingen. Als gevolg van deze technische aanpassing zullen er beperkingen voor het bouwen gelden. Het paraplubestemmingsplan maakt geen nieuwe functies of uitbreidingen van bouwvolumes mogelijk. Er zijn daarmee op voorhand geen gevolgen voor het milieu. Ook andere omgevingsaspecten zijn vanwege de technische aanpassing niet relevant.

Hoofdstuk 5 Juridische planbeschrijving

5.1 Algemeen

Het paraplubestemmingsplan bestaat uit een verbeelding, regels en een toelichting. De verbeelding en de regels zijn juridisch bindend. De toelichting moet hierbij gezien worden als een uitleg wat met de verbeelding en de regels wordt beoogd. De regels bevatten het juridische instrumentarium voor het regelen van de functies en vorm in het bestemmingsplangebied. De verbeelding heeft een rol voor toepassing van de regels alsmede de functie van visualisering van de bestemmingen.

De Wet ruimtelijke ordening (Wro) bepaalt dat ruimtelijke plannen digitaal beschikbaar moeten zijn. Dit brengt met zich mee dat bestemmingsplannen digitaal uitwisselbaar zijn en op vergelijkbare wijze moeten worden gepresenteerd. Met het oog hierop stellen de Wro en de onderliggende regelgeving eisen waaraan digitale plannen moeten voldoen. Zo bevatten de Standaard Vergelijkbare Bestemmingsplannen (SVBP) bindende afspraken waarmee bij het maken van bestemmingsplannen rekening moet worden gehouden. De SVBP kent (onder meer) hoofdgroepen van bestemmingen, een lijst met functie- en bouwaanduidingen, gebiedsaanduidingen en een verplichte opbouw van de planregels en het renvooi.

5.2 Verbeelding

De verbeelding geeft de omvang van het plangebied aan. Op de digitale verbeelding is een onderscheid gemaakt in gebiedsaanduidingen. Een gebiedsaanduiding is een aanduiding die verwijst naar een gebied waarvoor bij de toepassing van het bestemmingsplan specifieke regels gelden of waar nadere afwegingen moeten worden gemaakt.

5.3 Opbouw regels

De regels van het paraplubestemmingsplan bestaan uit de volgende onderdelen:

Inleidende regels

Artikel 1 Begrippen

Begrippen die in de regels van het paraplubestemmingsplan worden gebruikt en die uitleg behoeven, worden in dit artikel uitgelegd.

Artikel 2 Toepassingsbereik

Dit artikel bepaalt het toepassingsbereik van dit paraplubestemmingsplan. De in het paraplubestemmingsplan opgenomen regels gelden in aanvulling op c.q. in afwijking van de regels van de geldende bestemmingsplannen en uitwerkingsplannen (zoals deze gelden op het moment van inwerkingtreding van het paraplubestemmingsplan). De aanvullingen c.q. afwijkingen gelden alleen ter plaatse van de betreffende gebiedsaanduiding in het plangebied. De overige regels van de geldende bestemmingsplannen en uitwerkingsplannen blijven verder ongewijzigd.

Algemene regels

Artikel 3 Algemene aanduidingsregels

In dit artikel zijn de volgende gebiedsaanduidingen opgenomen:

  • 1. 'vrijwaringszone - perimeter 1';
  • 2. 'vrijwaringszone - perimeter 2'
  • 3. 'vrijwaringszone - schotelbiotoop'

Ad 1: De gebiedsaanduiding 'vrijwaringszone - perimeter 1' is toegepast in de zone tot 50 meter van de bouwgrens van het centrum voor ruimteonderzoek en technologie (ESTEC, Keplerlaan 1 te Noordwijk). Deze bouwgrens is vastgelegd in het bestemmingsplan 'Estec en de Noordwijkse bedrijvenparken'. Conform schriftelijke afspraken met het Rijk en ESA/ESTEC mag in de zone van 50 meter vanaf de bouwgrens geen nieuwe bebouwing door derden worden toegestaan, ter voorkoming van spionage. In lid 3.1 is daarom bepaald dat binnen deze gebiedsaanduiding geen gebouwen zijn toegestaan, behoudens bestaande (en vergunde) gebouwen. In artikel 1 is aangegeven wat onder bestaand wordt begrepen.
In het kader van flexibiliteit is wel rekening gehouden met een afwijkingsbevoegdheid. Deze kan alleen worden toegepast indien het nieuwe gebouw geen nadelige gevolgen heeft voor de bedrijfsvoering ter plaatse van ESTEC. Voorafgaand aan de toepassing van de afwijkingsbevoegdheid dient het college van B&W advies in te winnen bij ESTEC omtrent de voorgenomen afwijking.

Ad 2: De gebiedsaanduiding 'vrijwaringszone - perimeter 2' is toegepast in de zone tussen 50 en 100 meter van de bouwgrens van het centrum voor ruimteonderzoek en technologie (ESTEC, Keplerlaan 1 te Noordwijk). Deze bouwgrens is vastgelegd in het bestemmingsplan 'Estec en de Noordwijkse bedrijvenparken'. Conform schriftelijke afspraken met het Rijk en ESA/ESTEC mag in de zone van 50 tot 100 meter vanaf de bouwgrens geen nieuwe bebouwing hoger dan 20 meter worden toegestaan, ter voorkoming van spionage. In lid 3.2 is daarom bepaald dat binnen deze gebiedsaanduiding geen gebouwen hoger dan 20 meter zijn toegestaan, behoudens bestaande (dan wel reeds vergunde) gebouwen. In artikel 1 is aangegeven wat onder bestaand wordt begrepen.
In het kader van flexibiliteit is wel rekening gehouden met een afwijkingsbevoegdheid. Deze kan alleen worden toegepast indien het nieuwe gebouw geen nadelige gevolgen heeft voor de bedrijfsvoering ter plaatse van ESTEC. Voorafgaand aan de toepassing van de afwijkingsbevoegdheid dient het college van B&W advies in te winnen bij ESTEC omtrent de voorgenomen afwijking.

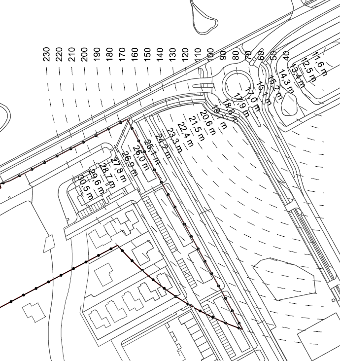
Ad 3: De gebiedsaanduiding 'vrijwaringszone - schotelbiotoop' is toegepast in de noordoosthoek van het plangebied. Ten noordoosten van het plangebied bevindt zich het Galileo Reference Centre (Zwarteweg 53 te Noordwijk) op Space Business Park. Voor het functioneren van het Galileo Reference Centre is een goede schotelontvangst van belang. Conform schriftelijke afspraken met het Rijk gelden er in een straal van 230 meter rondom de schotel hoogtebeperkingen om te voorkomen dat schotelontvangst wordt geblokkeerd of belemmerd. Een klein deel van het plangebied bevindt zich binnen de schotelbiotoop (tussen 170 en 230 meter afstand van de schotel). De maximale hoogte ter plaatse van het binnen het plangebied gelegen deel van de schotelbiotoop bedraagt 25,1 meter (in een straal van 170 meter afstand van het ontvangstpunt) tot 30,5 meter (in een straal van 230 meter afstand), zie ook de navolgende tabel en afbeelding.

Afstand van bouwwerk (meters)   Hoogte bouwwerk (meters)  
20   11,8  
30   12,7  
40   13,6  
50   14,5  
60   15,7  
70   16,2  
80   17,1  
90   17,9  
100   18,8  
110   19,7  
120   20,6  
130   21,5  
140   22,4  
150   23,3  
160   24,2  
170   25,1  
180   26,0  
190   26,9  
200   27,8  
210   28,7  
220   29,6  
230   30,5  

Tabel: hoogtes ter plaatse van schotelbiotoop

afbeelding "i_NL.IMRO.0537.BPPLUPerimeters-va01_0007.png"

Figuur: weergave maximum hoogtes ter plaatse van de schotelbiotoop

Binnen de gebiedsaanduiding is in beginsel geen bebouwing toegestaan die hoger is dan de maximum hoogte zoals deze is aangegeven in de voorgaande tabel. Zo mag bebouwing die op 200 tot 215 meter is gelegen niet hoger zijn dan 27,8 meter (tussen 200 en 210 meter) en 28,7 meter (tussen 201 en 215 meter). De betreffende hoogtes zijn door middel van maatvoeringsaanduidingen op de verbeelding weergegeven en dienen te worden gemeten ten opzichte van N.A.P.
Door middel van een afwijkingsbevoegdheid kan eventueel een hogere bouwhoogte worden toegestaan, mits dat in overeenstemming is met het geldende bestemmingsplan of uitwerkingsplan. Voorwaarde daarbij is wel dat het bouwwerk geen belemmering vormt voor de schotelontvangst- en verzending ter plaatse van Zwarteweg 53.

Overgangs- en slotregels

Artikel 4 Overgangsrecht

Bouwwerken welke op het moment van tervisielegging van het plan bestaan of waarvoor een bouw- dan wel omgevingsvergunning is aangevraagd, mogen blijven bestaan, ook wanneer dit strijdig is met de bebouwingsregels. Het gebruik van de grond en opstallen, dat afwijkt van de regels op het moment waarop het plan rechtskracht verkrijgt, mag gehandhaafd worden.

Artikel 5 Slotregel

In de slotregel wordt aangegeven op welke wijze de regels van het bestemmingsplan kunnen worden aangehaald. Deze regels kunnen worden aangehaald als: Regels van het bestemmingsplan Perimeter ESTEC en schotelbiotoop Galileo.

Hoofdstuk 6 Uitvoerbaarheid & handhaving

6.1 Vooroverleg

Omdat het voorliggende bestemmingsplan slechts technisch van aard is, is er geen aanleiding om het plan in het kader van het vooroverleg ter advisering naar de gebruikelijke diverse overleginstanties te sturen.

6.2 Zienswijzen

Het ontwerpbestemmingsplan “Perimeter ESTEC en schotelbiotoop Galileo” heeft van 13 januari 2023 t/m 23 februari 2023 gedurende 6 weken ter inzage gelegen. Gedurende deze periode is een ieder in de gelegenheid gesteld om schriftelijk en mondeling op het plan te reageren. De omwonenden en de belangenorganisaties als ESA-ESTEC, Decos en Galileo Reference Centre zijn hierover separaat geïnformeerd.

Op maandag 23 januari 2023 heeft een inloopbijeenkomst plaatsgevonden. De omwonenden waren per brief hiervoor uitgenodigd. De bijeenkomst is door 2 bewoners bezocht. De bijeenkomst heeft niet geleid tot indiening van zienswijzen.

Er zijn vijf zienswijzen op het plan ingediend. De beantwoording van de zienswijzen is opgenomen in de bijgevoegde Nota Zienswijzen (Bijlage 1van de toelichting). Het betreft zienswijzen van instemming. Het plan behoeft dus geen aanpassing.

6.3 Economische uitvoerbaarheid

De eventueel ingediende zienswijzen worden, indien (deels) gegrond, verwerkt in het vast te stellen bestemmingsplan.

6.3 Economische uitvoerbaarheid

Het paraplubestemmingsplan Perimeter ESTEC en schotelbiotoop Galileo wordt opgesteld onder regime van de nieuwe Wro. Onderdeel van de nieuwe Wro is de GREX – wet. De wetgever heeft met de nieuwe regeling inzake de grondexploitatie, ook wel Grondexploitatiewet (GREX – wet) genoemd, een oplossing willen bieden voor het probleem dat gemeenten bij de ontwikkeling van nieuwe gebieden geen of slechts beperkte mogelijkheden van kostenverhaal hebben, indien zij niet de eigenaar zijn van de te ontwikkelen gronden (afdeling 6.4 Wro). Dit als stok achter de deur als het niet lukt om een exploitatieovereenkomst af te sluiten met de private grondeigenaren. Er zijn twee mogelijkheden om (privaatrechtelijk) de kosten te verhalen:

  • 1. anterieure exploitatieovereenkomst, exploitatieovereenkomst voordat een exploitatieplan aan de orde is.
  • 2. posterieure exploitatieovereenkomst, exploitatieovereenkomst die gesloten wordt na de inwerkingtreding van een exploitatieplan.

Het exploitatieplan is verplicht als het niet lukt om een anterieure exploitatieovereenkomst af te sluiten met de eigenaren binnen het exploitatiegebied. Het exploitatieplan biedt dan een grondslag om de kosten van openbare voorzieningen via de omgevingsvergunning te innen.

Consequenties bestemmingsplan Perimeter ESTEC en schotelbiotoop Galileo

In het paraplubestemmingsplan Perimeter ESTEC en schotelbiotoop Galileo zijn geen ontwikkellocaties opgenomen. Voor het paraplubestemmingsplan is er daarom geen verplichting tot het opstellen van een exploitatieplan.

6.4 Handhaving

De gemeente Katwijk heeft in het plan 'Organisatie van het Vergunning- en Handhavingsbeleid 2012-2016' voor de komende jaren het integrale toezichts- en handhavingsbeleid vastgelegd. Dit beleid richt zich op de bebouwde omgeving met als doel een bijdrage te leveren aan de naleving van gestelde normen en regels. Het streefbeeld voor de gemeentelijke toezichts- en handhavingstaak is om deze op een structurele en integrale manier vorm te geven. Eventuele toepassing van bestuurs- of strafrechtelijke sancties maakt de toezichts- en handhavingsketen compleet.

Toezicht wordt gehouden op de uitvoering van verleende omgevingsvergunningen. Er vindt controle plaats op de voorschriften die aan de vergunning zijn verbonden. Doel is het waarborgen van een basiskwaliteit ten aanzien van de bouwkundige staat, veiligheid, en de milieukundige, ruimtelijke en cultuurhistorische kwaliteit van de bebouwde omgeving. Verder wordt toezicht gehouden op precariorechten, de Wet gemeentelijke basisadministratie persoonsgegevens en leegstand. Voor handhavingstaken voortvloeiend uit de Algemene Plaatselijke Verordening (APV) is sprake van signaaltoezicht en wordt samengewerkt bij evenemententoezicht. Thema's als duurzaam bouwen en veiligheid vormen steeds vaker een onderdeel van de toezichtstaak.

Tijdens het gebruik wordt toezicht gehouden op bestaande objecten. Deze gebruiksfase begint nadat een object (bijvoorbeeld een gebouw) is opgericht, ingericht en daardoor gebruiksklaar is. Toezicht vindt plaats op grond van een verleende omgevingsvergunning of algemeen geldende voorschriften. Objecten worden volgens een vastgestelde controlefrequentie periodiek gecontroleerd. Hoofdzakelijk betreft het toezicht periodieke controles op basis van het Gebruiksbesluit/Bouwbesluit, de Wet milieubeheer, de APV (evenementen) en aan deze  gerelateerde wetgeving.

Ten slotte wordt toezicht gehouden op gebiedsniveau; (strijdig)gebruik en het illegaal oprichten van bouwwerken en ruimten. Op deze manier worden de ruimtelijke, esthetische en landschappelijke kwaliteiten versterkt en de veiligheid en leefbaarheid van de (openbare) ruimte verbeterd. Dit type toezicht is veelal naar aanleiding van een klacht of melding of op basis van vrije veldtoezicht.

De planregels in dit plan zijn voldoende duidelijk, concreet en toepasbaar voor toezicht en handhaving.

Hoofdstuk 7 Procedure bestemmingsplan

Het paraplubestemmingsplan Perimeter ESTEC en schotelbiotoop Galileo doorloopt, net als ieder bestemmingsplan, een uitgebreide procedure. Het betreft hier een partiële herziening die in lijn is met de richtlijnen voor de perimeter en schotelbiotoop. Er is daarom geen wettelijk vooroverleg ex art. 3.1.1 Besluit ruimtelijke ordening (Bro) met verschillende (semi)overheden gevoerd.

Burgemeester en wethouders hebben het ontwerpbestemmingsplan op 13 decemberr 2022 vrijgegeven voor ter visie legging conform art 3.8 Wro. Na publicatie op 12 januari 2023, is het ontwerp vanaf 13 januari 2023 gedurende 6 weken ter inzage gelegd. In die tijd kon door een ieder zowel mondelinge als schriftelijke zienswijzen worden ingediend bij de gemeenteraad. In totaal zijn er vijf zienswijzen ingediend. Het betreft zienswijzen van instemming. Het plan behoeft dus geen aanpassing naar aanleiding van zienswijzen.

Ten opzichte van het ontwerp zijn er geen ambtelijke aanpassingen doorgevoerd. De gemeenteraad heeft - binnen 12 weken na afloop van de zienswijzentermijn - besloten over de vaststelling van het bestemmingsplan.

Het vastgestelde bestemmingsplan wordt wederom 6 weken ter inzage gelegd (aanvang beroepstermijn).

Belanghebbenden kunnen beroep instellen bij de Afdeling bestuursrechtspraak van de Raad van State. Daarnaast kunnen niet-belanghebbenden beroep instellen bij de Afdeling bestuursrechtspraak van de Raad van State tegen eventuele wijzigingen die de gemeenteraad bij de vaststelling van het bestemmingsplan heeft aangebracht.