Stedelijk gebied; Het Loo Zelhem    

Toelichting     

Hoofdstuk 1 Inleiding     

Dit hoofdstuk bevat de aanleiding van het plan (paragraaf 1.1), de begrenzing van het plangebied (paragraaf 1.2), de aanpak van de totstandkoming van het plan (paragraaf 1.3) en een leeswijzer (paragraaf 1.4).

1.1 Aanleiding     

Het voorliggende plan maakt deel uit van het proces zoals dat in de gemeente Bronckhorst wordt doorlopen bij het opstellen, het in procedure brengen en het vaststellen van bestemmingsplannen. De basis voor dit proces is dat er halfjaarlijks twee bestemmingsplannen in procedure worden gebracht. Eén voor Stedelijk gebied (de kernen) en één voor Landelijk gebied (het buitengebied). In deze zogeheten 'veegplannen' worden nieuwe initiatieven en ambtshalve aanpassingen gebundeld in één bestemmingsplan. Op basis van ontwikkelplannen voor individuele initiatieven wordt een overleg- en inspraakprocedure gevoerd. Daarna worden de individuele ontwikkelplannen samengevoegd tot een veegplan. Het veegplan wordt vanaf de ontwerpfase in procedure gebracht. De individuele initiatieven en ambtshalve aanpassingen door de gemeente vormen elk een planonderdeel van het veegplan.

1.2 Plangebied     

Het plangebied van voorliggend bestemmingsplan omvat ontwikkelingen op de volgende locaties:

  • Locatie Loo te Zelhem

1.3 Aanpak     

1.3.1 Algemeen     

De gemeente Bronckhorst werkt sinds medio 2015 volgens een zogeheten 'veegplansystematiek' (zie ook paragraaf 1.1). Individuele ontwikkelplannen worden gebundeld tot één veegplan welke vanaf de ontwerpfase in procedure wordt gebracht. Overleg en inspraak vindt vooraf plaats aan de hand van de individuele plannen. De individuele plannen zijn aan de hand van vooraf gestelde standaarden qua inhoud en vorm opgesteld. Dit kan in opdracht zijn van particuliere initiatiefnemers (inwoners, instellingen, bedrijven), professionele initiatiefnemers (ontwikkelaars) of de gemeente zelf. Door het stellen van heldere kaders qua inhoud en vorm, is er sprake van uniformiteit. Dit komt de leesbaarheid van het plan ten goede. Maar maakt het samenvoegen van de individuele plannen tot één veegplan ook eenvoudiger. Met name bij de opzet van de plantoelichting van ontwikkelplannen en veegplannen is daarmee rekening gehouden. De planopzet is vastgelegd in het gemeentelijke Handboek ruimtelijke plannen Bronckhorst (zie paragraaf 1.3.2).

Onderdeel van het bestemmingsplanproces zoals dat in Bronckhorst is ingericht, is dat bij de voorbereiding van het bestemmingsplan de verantwoordelijkheden voor de inhoud van dat plan en het voeren van overleg en inspraak bij de initiatiefnemer of de gemeente kunnen liggen. Dit is afhankelijk van het soort initiatief. Bij een zogeheten A-plan is de initiatiefnemer verantwoordelijk voor inhoud en proces. Bij een B-plan is de initiatiefnemer verantwoordelijk voor de inhoud en de gemeente voor het proces. Bij een C-plan is de gemeente verantwoordelijk voor inhoud en proces. De in dit veegplan opgenomen planonderdelen betreffen de volgende plantypen:Stedelijk gebied; Het Loo Zelhem: B-plan.

1.3.2 Handboek ruimtelijke plannen Bronckhorst     

Het Handboek ruimtelijke plannen Bronckhorst vormt de basis voor het opstellen van digitale bestemmingsplannen binnen de gemeente Bronckhorst. Doel van het handboek is om de herkenbaarheid en daarmee de raadpleegbaarheid van de bestemmingsplannen te vergroten. Dit geschiedt door de digitale en analoge opzet, vormgeving en inhoud te standaardiseren. Dit draagt bij aan een efficiënter en eenduidige ontwikkeling van ruimtelijke plannen. Over de vorm en opzet hoeft niet meer te worden nagedacht, deze is in het handboek duidelijk voorgeschreven. De inhoud blijft uiteraard maatwerk en kan per plan verschillen. Alle afspraken die in het handboek zijn vastgelegd dienen bij het vervaardigen van alle ruimtelijke plantypes, waarvoor de digitale verplichting geldt, te worden nageleefd.

Het handboek is niet bedoeld als extra standaard, maar als hulpmiddel bij het (laten) vervaardigen, interpreteren en beoordelen van (digitale) ruimtelijke plannen. Het handboek sluit aan bij de verplichtingen die voortvloeien uit de Wro, het Bro, de RO Standaarden 2012 en de Werkafspraken RO Standaarden, waarin is voorgeschreven dat ruimtelijke plannen in elk stadium van de procedure digitaal vervaardigd, raadpleegbaar en beschikbaar dienen te zijn. Het digitale exemplaar is het authentieke plan. De analoge exemplaren zijn enkel een afgeleide daarvan, oftewel het digitale plan is leidend. Voorliggend bestemmingsplan is conform het handboek opgesteld.

1.4 Leeswijzer algemeen     

De toelichting van dit bestemmingsplan is als volgt opgebouwd.


Hoofdstuk 1 Inleiding

Dit hoofdstuk bevat de aanleiding van het plan (paragraaf 1.1), de begrenzing van het plangebied (paragraaf 1.2), de aanpak van de totstandkoming van het plan (paragraaf 1.3) en een leeswijzer (paragraaf 1.4).


Hoofdstuk 2 Planonderdelen

In dit hoofdstuk worden de planonderdelen, die deel uitmaken van dit bestemmingsplan, toegelicht. Deze planonderdelen zijn Stedelijk gebied; Het Loo Zelhem (paragraaf 2.1), Stedelijk gebied; Het Loo Zelhem (paragraaf 2.1) en Stedelijk gebied; Het Loo Zelhem (paragraaf 2.1). Elke paragraaf bevat de ruimtelijke onderbouwing van het betreffende planonderdeel. Per onderdeel wordt telkens een inleiding gegeven, een beschrijving van het initiatief en de uitvoerbaarheid. Bij de uitvoerbaarheid wordt ingegaan op toetsing aan het beleidskader, omgevingsaspecten, volkshuisvestelijke aspecten, economische aspecten, maatschappelijke aspecten, overleg en inspraak en wordt aangegeven in hoeverre het plan uitvoerbaar is. De laatste paragraaf geeft een toelichting op de bestemmingen per planonderdeel.

Hoofdstuk 3 Beleidskader

In dit hoofdstuk wordt het algemene ruimtelijke beleidskader weergegeven. De paragrafen bevatten samenvattingen van het rijksbeleid (paragraaf 3.1), provinciaal beleid (paragraaf 3.2), regionaal beleid (paragraaf 3.3) en gemeentelijk beleid (paragraaf 3.4).

Hoofdstuk 4 Juridische aspecten algemeen

In dit hoofdstuk worden de juridische aspecten van het plan toegelicht. Na een algemene aspecten (paragraaf 4.1) wordt er stilgestaan bij de opbouw van de regels (paragraaf 4.2) en de inhoud van de regels, zoals de wijze van bestemmen (paragraaf 4.3).

Bijlagen bij de toelichting

Hierin zijn diverse bijlagen bij de plantoelichting opgenomen.

Hoofdstuk 2 Planonderdelen     

Het voorliggende plan maakt deel uit van het proces zoals dat in de gemeente Bronckhorst wordt doorlopen bij het opstellen, het in procedure brengen en het vaststellen van bestemmingsplannen. In dat proces worden de voorontwerpen van individuele particuliere initiatieven en gemeentelijke plannen in een halfjaarlijkse cyclus samengevoegd tot één (ontwerp)bestemmingsplan Stedelijk gebied (bebouwde kom) en één bestemmingsplan Landelijk gebied (buitengebied). Deze zogeheten 'veegplannen' worden als ontwerp in procedure gebracht. Voorafgaan heeft per individueel planonderdeel overleg en inspraak plaatsgevonden.

Dit hoofdstuk geeft in paragraaf 2.1 Stedelijk gebied; Het Loo Zelhem de ruimtelijke onderbouwing van dit specifieke planonderdeel. Het bevat de inleiding van het planonderdeel (paragraaf 2.1.1), de beschrijving van het initiatief (paragraaf 2.1.2) en de uitvoerbaarheid van dit planonderdeel (paragraaf 2.1.3).

2.1 Stedelijk gebied; Het Loo Zelhem     

2.1.1 Inleiding     

2.1.1.1 Aanleiding     

Het voorliggende plan maakt deel uit van het proces zoals dat in de gemeente Bronckhorst wordt doorlopen bij het opstellen, het in procedure brengen en het vaststellen van bestemmingsplannen. De basis voor dit proces is dat er halfjaarlijks twee bestemmingsplannen in procedure worden gebracht. Eén voor Stedelijk gebied (de kernen) en één voor Landelijk gebied (het buitengebied). In deze zogeheten 'veegplannen' worden nieuwe initiatieven en ambtshalve aanpassingen gebundeld in één bestemmingsplan. Op basis van ontwikkelplannen voor individuele initiatieven wordt een overleg- en inspraakprocedure gevoerd. Daarna worden de individuele ontwikkelplannen samengevoegd tot een veegplan. Het veegplan wordt vanaf de ontwerpfase in procedure gebracht. De individuele initiatieven en ambtshalve aanpassingen door de gemeente vormen elk een planonderdeel van het veegplan.

Het Loo Zelhem

De gemeenteraad heeft in 2021 de actualisatie van de woonvisie ‘Ruimte voor Wonen in Bronckhorst 2019-2025’ vastgesteld. Hierin wordt ingezet op het zoeken naar potentiële woningbouwlocaties aan de randen van de dorpen. Op basis van de woningbouw ambitie heeft het college onlangs vijf locaties aangewezen voor de woningbouwopgave, waaronder Het Loo in Zelhem.

Het landelijk gebied aan de westrand van Zelhem is aangewezen als onderzoekslocatie voor de benodigde toekomstige ontwikkeling van woningbouw. De ambitie is dat de dorpsuitbreiding aansluit op het dorpse en groene karakter van Zelhem. De uitbreiding draagt bij aan de vitaliteit van de bestaande dorpskern en versterking van de kwaliteit van de huidige dorpsrand van Zelhem. De ligging aan de Rondweg bij de entree van het dorp vraagt om een zorgvuldig ontworpen en hoogwaardige invulling die representatief is voor de dorpse karakteristiek van Zelhem en het omliggende landschap.

Ten behoeve van deze ruimtelijke ontwikkeling is ten eerste een ruimtelijke visie opgesteld. De visie schetst de ambitie voor de gewenste ruimtelijke ontwikkeling voor de dorpsuitbreiding en vormt de basis voor de verdere uitwerking van het stedenbouwkundig plan, die in samenspraak tussen gemeente en ontwikkelaar is opgesteld. De ontwikkeling van woningbouw is echter in strijd met de ter plaatse geldende bestemmingen, gebruiksregels en bouwregels. Om het vorenstaande mogelijk te maken, dient het bestemmingsplan te worden herzien.

Het college van B&W van de gemeente Bronckhorst heeft in principe medewerking toegezegd aan deze aanpassing, dat de basis vormt voor dit bestemmingsplan. Onderhavig bestemmingsplan biedt een passend planologisch kader om de voorgenomen ontwikkeling mogelijk te maken. Hierbij is aangetoond dat de ontwikkeling in overeenstemming is met een goede ruimtelijke ordening.

2.1.1.2 Plangebied     

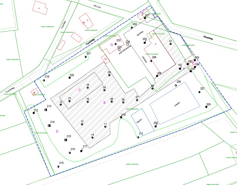
Het plangebied ligt aan de westkant van Zelhem en wordt begrensd door de Rondweg N315/N330, de Hummeloseweg, de Toonkweg en de Orchideestraat. Het plangebied is circa 6,5 ha groot, waarvan globaal de helft in eigendom is van de ontwikkelaar en de andere helft in eigendom van gemeente Bronckhorst. Het terrein is op dit moment nog in gebruik als agrarisch landschap en de voormalige gemeentewerf is op het gemeentelijk deel gevestigd. De gemeentewerf zal op deze locatie worden opgeheven.

Op de navolgende afbeelding is de globale ligging en globale begrenzing van het plangebied weergegeven met een rode stippellijn. Voor de exacte begrenzing van het plangebied wordt verwezen naar de verbeelding van dit bestemmingsplan.

verplicht

Globale ligging plangebied

verplicht

Globale begrenzing plangebied

2.1.1.3 Vigerende planologische situatie     

Voor het plangebied geldt het bestemmingsplan 'Stedelijk gebied Bronckhorst', dat op 31 maart 2016 is vastgesteld door de gemeente Bronckhorst. Tevens geldt het bestemmingsplan 'Stedelijk gebied; Veegplan 2020-2' dat is vastgesteld op 29 oktober 2020. Op grond van het vigerende bestemmingsplan heeft het plangebied de bestemmingen 'Agrarisch', 'Bedrijf' en 'Bedrijf - Nutsvoorziening' en voor een gedeelte van het plangebied de gebiedsaanduiding 'vrijwaringszone - molenbiotoop'. Ook gelden dubbelbestemmingen in verband met mogelijke archeologische waarden en een aanwezige rioolleiding.

Agrarisch

De gronden met de bestemming 'Agrarisch' zijn hoofdzakelijk bestemd voor de uitoefening van agrarische activiteiten. Daarnaast zijn de gronden bestemd voor onder andere een kaasboerderij, bedrijfswoningen, kwekerij, teeltondersteunende voorzieningen, solarpark, gebouw ten behoeve van opslagdoeleinden, schuilgelegenheid voor dieren, nutsvoorzieningen, ontsluitingswegen, parkeerterrein, volkstuinen, beeldentuin, paardenbak, ijsbaan, fietscrossterrein, groenvoorzieningen, waterhuishoudkundige doeleinden en extensief recreatief medegebruik. Tevens zijn bijbehorende voorzieningen toegestaan.

Bedrijf

De gronden met de bestemming 'Bedrijf' zijn hoofdzakelijk bestemd voor het uitoefenen van bedrijfsmatige activiteiten. Ter plaatse van het plangebied geldt de aanduiding 'specifieke vorm van bedrijf - gemeentewerf'. Ter plaatse van deze aanduiding is uitsluitend een gemeentewerf uit milieu categorie 3.1 toegestaan. Er bevindt zich een bouwvlak met maatvoering. Tot slot ligt er op een groot deel van de bestemming 'Bedrijf' de aanduiding 'wetgevingszone - wijzigingsgebied'. Deze aanduiding regelt dat burgemeester en wethouder bevoegd zijn de gronden te wijzigen in de bestemming 'Agrarisch' ten behoeve van een solarpark, of de bestemming 'Maatschappelijk' voor het bouwen van een educatief centrum of kinderboerderij.

Bedrijf - Nutsvoorziening

De gronden met de bestemming 'Bedrijf - Nutsvoorziening' zijn hoofdzakelijk bestemd voor nutsvoorzieningen. Daarnaast zijn zend- en ontvangstinstallaties, groenvoorzieningen en verhardingen toegestaan. Er bevindt zich een bouwvlak met maatvoering.

Gebiedsaanduiding vrijwaringszone - molenbiotoop

De gronden rondom de Coopsmolen zijn mede bestemd voor een molenbiotoop. Voor molens en gronden ter plaatse van de aanduiding gelden regels met betrekking tot de maximale bouwhoogte van bouwwerken en beplanting.

Dubbelbestemmingen

Ter plaatse van het plangebied gelden een drietal dubbelbestemmingen. Allereerst gelden de dubbelbestemmingen 'Waarde - Archeologische verwachting 1' en 'Waarde - Archeologische verwachting 2'. Voor deze dubbelbestemmingen geldt dat een archeologisch onderzoek dient te worden overlegd indien het op te richten bouwwerk groter is dan respectievelijk 250 m2 en 1.000 m2. Tot slot geldt de dubbelbestemming 'Leiding - Riool'. De voor 'Leiding - Riool' aangewezen gronden zijn, behalve voor de daar voorkomende bestemming(en), mede bestemd voor een drukrioolleiding. Hier mogen uitsluitend bouwwerken van geringe omvang worden gebouwd ten dienste van de betreffende leiding, met een maximale bouwhoogte van 4 m.

Verbeelding

Op de navolgende afbeelding is een uitsnede van de verbeelding van het vigerende bestemmingsplan weergegeven. Het plangebied is hierop met een rode stippellijn weergegeven.

verplicht

Uitsnede vigerend bestemmingsplan

2.1.1.4 Leeswijzer     

Hoofdstuk 2 Planonderdelen

Dit hoofdstuk geeft in paragraaf 2.1 Stedelijk gebied; Het Loo Zelhem de ruimtelijke onderbouwing van dit specifieke planonderdeel. Het bevat de inleiding van het planonderdeel (paragraaf 2.1.1), de beschrijving van het initiatief (paragraaf 2.1.2) en de uitvoerbaarheid van dit planonderdeel (paragraaf 2.1.3).

Paragraaf 2.1.1 Inleiding

Deze paragraaf bevat de aanleiding van het plan (paragraaf 2.1.1.1), een beschrijving van het plangebied (paragraaf 2.1.1.2), de vigerende planologische situatie (paragraaf 2.1.1.3) en deze leeswijzer (paragraaf 2.1.1.4).

Paragraaf 2.1.2 Initiatief

In deze paragraaf wordt het initiatief toegelicht. Hierbij wordt ingegaan op de bestaande situatie (paragraaf 2.1.2.1), de randvoorwaarden voor het initiatief (paragraaf 2.1.2.2) en de beschrijving van het initiatief (paragraaf 2.1.2.3).

Paragraaf 2.1.3 Uitvoerbaarheid

In deze paragraaf wordt ingegaan op de uitvoerbaarheid van het plan. Het betreft de toetsing van het beleidskader (paragraaf 2.1.3.1), omgevingsaspecten (paragraaf 2.1.3.2), volkshuisvestelijke aspecten (paragraaf 2.1.3.3), economische aspecten (paragraaf 2.1.3.4), maatschappelijke aspecten (paragraaf 2.1.3.5) en overleg en inspraak (paragraaf 2.1.3.6). Per uitvoerbaarheidsaspect wordt aangegeven in hoeverre het plan uitvoerbaar is op dat aspect. De laatste paragraaf (2.1.3.7) geeft een eindconclusie over de uitvoerbaarheid van het plan.

Paragraaf 2.1.4 Juridische aspecten planonderdeel

In deze paragraaf wordt een juridische toelichting gegeven op de in dit planonderdeel voorkomende bestemmingen.

Hoofdstuk 3 Beleidskader

In dit hoofdstuk wordt het algemene ruimtelijke beleidskader weergegeven. De paragrafen bevatten samenvattingen van het rijksbeleid (paragraaf 3.1), provinciaal beleid (paragraaf 3.2), regionaal beleid (paragraaf 3.3) en gemeentelijk beleid (paragraaf 3.4).

Hoofdstuk 4 Juridische aspecten algemeen

In dit hoofdstuk worden de juridische aspecten van het plan toegelicht. Na een algemene aspecten (paragraaf 4.1) wordt er stilgestaan bij de opbouw van de regels (paragraaf 4.2) en de inhoud van de regels, zoals de wijze van bestemmen (paragraaf 4.3).

Bijlagen bij de toelichting

Hierin zijn diverse bijlagen bij de plantoelichting van dit planonderdeel opgenomen.

2.1.2 Initiatief     

2.1.2.1 Bestaande situatie     
2.1.2.1.1 Ontstaansgeschiedenis     

In de prehistorie was de Achterhoek een onherbergzaam en spaarzaam bewoond gebied. Het landschap bestond in die oude tijd uit brede moerassen, begroeid met struikgewas langs de IJssel. Er zijn enkele hoger gelegen delen, zoals bij Aalten, Neede en Lochem en de 'hoogvlakte' waarop Hengelo en Zelhem liggen. De riviertjes stromen er van oost naar west. Mede door de lagere ligging dan aangrenzende gebieden ontstonden er uitgestrekte moerassen en veengebieden waar weinig plaats over bleef dat geschikt was voor menselijk bewoning.

verplicht

Kaart omgeving Zelhem omstreeks 1600 (Bron: gemeente Bronckhorst)

De geschiedenis begint duidelijke vormen aan te nemen in de dagen van Karel de Grote (800 na Chr). Naar het voorbeeld van de Romeinen stichtte Karel overal in de veroverde gebieden koningshoven. Ook in de buurt van Zelhem werd een dergelijke hof of villa gesticht. Niet alleen werd een koningshof gesticht, maar er verrees ook een Christelijke kapel in Zelhem. De plaats, waar het kapelletje is gebouwd, werd blijkens een schenkingsoorkonde Salehem genoemd. Het zou betekenen: huis, woning of plaats, waar men zich thuis voelt. (Sele of Sale is woning; hem of heim betekent plaats of oord, waar men thuis is).

Zelhem groeit uit als een agrarische gemeente. Het dorpje rond de kapel zal vermoedelijk bestaan hebben uit drie boerderijen die aan een brink lagen. Bovendien moeten er meerdere plekken in de omgeving zijn geweest waar boerderijen (o.a. 't Soerlant) stonden. Op de brink was plaats voor spiekers, schuurtjes met een verhoogd vloerniveau die bedoeld waren voor de opslag van landbouwproducten. De brink bood ook ruimte voor ambachtelijke activiteiten. Tussen 1450 en 1500 kreeg de kerk z'n tegenwoordige vorm. Ze is gewijd aan St. Lambertus, bisschop van Maastricht.

verplicht

Zelhem anno 1928 (Bron: gemeente Bronckhorst)

Met het graven van de veengoot in 1835 wordt het startsein gegeven voor de ontginning van het Wolfersveen en vanaf 1846 beschikt Zelhem over de eerste straatweg, de Hummeloseweg. Tussen 1850 en 1900 blijft Zelhem sterk op landbouw gericht. In 1885 krijgt Zelhem een station. In de omgeving daarvan wordt een houtzagerij gevestigd. Tegen het eind van de eeuw worden de broeklanden stelselmatig ontgonnen. In 1902 wordt een zuivelfabriek opgericht. Verder is er wat bouwnijverheid en klompenmakerij en wat toerisme. Maar driekwart van de bevolking, zo blijkt in 1939, werkt nog steeds in de landbouw.

Zelhem ligt evenals de kernen Velswijk en Halle op de hogere rug van het dekzandplateau en wel op het punt waar wegen naar Doetinchem, Hengelo en Varsseveld elkaar snijden. In de periode 1850 - 1940 bestaat de bebouwing voornamelijk uit linten en verder tussen de bestaande bebouwing van de Stationsstraat, Kerkweg, de Burg. Rijpstrastraat, de Doetinchemseweg en de Smidstraat. De bebouwing bestaat afwisselend uit burgerwoningen, villa's, horecapanden en winkels. Na de aanleg van de Ruurloseweg in 1928 vindt langs deze weg en een zijstraat van de Palmberg lintvormige bebouwing plaats. De oorspronkelijke kern bij de Markt met boerderijen, horeca en woningen verdwijnt. Aan de oostzijde vindt nu ontwikkeling plaats met winkels en woonhuizen. Langs de spoorlijn ontstaat een industriegebiedje met een zuivelfabriek en houthandel.

De voormalige gemeente Zelhem had in 1829 ruim 2.900 inwoners. Een eeuw later waren het er bijna 5.800. Eind 19e eeuw woonden er weinig mensen in het dorp. Er waren toen 175 huisnummers. In de 40 jaar daarna liep het aantal nummers op van respectievelijk 175 tot 211, 274 en 328 in 1940. Na 1940 verandert de kern Zelhem. Er worden planmatige uitbreidingen gemaakt rondom de kern en een bedrijventerrein aan de zuidkant.

Maar ook het centrum verandert van gedaante. Er komt een zakelijk ogende winkelgalerij met bovenwoningen ten zuiden van de kerk en aan de Markt in de 70'er jaren ook winkels met bovenwoningen maar nu in de traditioneel ogende 70'er jaren stijl. Daarmee verdwijnt nog meer, maar niet geheel, het agrarische karakter van de kern. Van recente datum is de nieuwe rondweg aan de westkant, die een harde grens vormt van het dorp ten opzichte van het omringende landschap. Aan de zuidzijde is de jongste uitbreiding 't Soerlant in ontwikkeling. Het enige rijksmonument is de grote kerk; van de gemeentelijke monumenten is bijna eenderde deel boerderij

2.1.2.1.2 Ruimtelijke structuur     

Zelhem is in oorsprong te karakteriseren als een brinkdorp. De huidige structuur van het dorp weerspiegelt nog de ontstaansgeschiedenis als agrarische kern met de straalsgewijze bebouwingslinten vanuit de Brink. De historische structuur heeft ontwikkeling doorgemaakt door vernieuwing of verdichting van de bebouwing. Bijvoorbeeld de toevoeging van het winkelplein aan de Magnoliaweg. Het hart van het dorp bestaat daarmee uit een aaneenschakeling van pleinvormige ruimten verbonden door historische wegen.

verplicht

Ruimtelijke omgeving plangebied (Bron: BGSV)

Het plangebied geeft vorm aan de overgang van de bebouwde kern naar het open landschap. Een idyllisch landschap met oude boerderijen, lichte glooiingen, bosjes en houtwallen. Het gebied vormt een belangrijke zichtlocatie van de westelijke dorpsrand van Zelhem en wordt gekenmerkt door een netwerk van grillige en kruisende wegen. Dit cultuurlandschap bestaat uit dekzandreliëf met dekzandruggen- en kopjes. Deze hoger gelegen delen in het kampenlandschap zijn ontstaan door jarenlange bemesting door boeren. De tussengelegen lagere delen waren geschikt voor begrazing. Het resultaat is een landschap dat zich laat afwisselen door cultuurgronden: weilanden, bolle akkers met daartussen bosjes, houtsingels en andere natuurelementen.

2.1.2.1.3 Functionele structuur     

Zelhem is in hoofdopzet een woonkern met daaraan grenzend een relatief groot bedrijventerrein. Verspreid over de kern komen voorzieningen voor die meestal gekoppeld zijn aan de wijk (schoolgebouwen).

Zelhem kent een compact en gevarieerd centrumgebied met winkels, horeca en zakelijke dienstverlening aan de Markt, de Smidsstraat en de Stationsstraat met enkele kleine uitlopers naar de omliggende straten. Aan het Stationsplein is een voorzieningencluster gesitueerd met onder andere het zwembad en een cultureel centrum. Bedrijvigheid binnen de kern komt incidenteel voor en is veelal kleinschalig van aard, met uitzondering van het autobedrijf en tankstation bij de entree van het dorp aan het begin Doetinchemseweg. Vrijwel alle bedrijvigheid is geconcentreerd op het bedrijventerrein aan de zuidzijde van de kern. De functies wonen, voorzieningen binnen de wijken, groen, recreatie, sport en bedrijventerrein zijn binnen de kern gefixeerd. Voor functiemenging lenen zich twee gebieden: de historische kern en de linten.

Het plangebied is gelegen op korte afstand ten westen van de historische kern. de nabije omgeving van het plangebied kent diverse functies, zoals ook al aangehaald in paragraaf 2.1.1.3 van deze plantoelichting. Zo is aan de noordzijde de voormalige gemeentewerf gevestigd met aangrenzend een rioolgemaal van het Waterschap. Daar waar de gemeentewerf wordt opgeheven zal het rioolgemaal worden gehandhaafd in de planvorming. Aan de zuidzijde van het plangebied komt met name de woonfunctie voor. Hier is recent nog een nieuwbouwplan ontwikkeld door de woningbouwvereniging. Het plangebied zelf kent overwegend een agrarische functie.

2.1.2.2 Randvoorwaarden     
2.1.2.2.1 Stedenbouwkundige eisen     

Ruimtelijke visie

Door BGSV is als eerste een ruimtelijke visie op het plangebied opgesteld. De visie geeft vorm aan de ontwikkeling van circa 150 tot 175 woningen. Daarbij is de gemeenschappelijke ambitie uitgesproken om een duurzaam woonmilieu te maken dat past bij het dorpse karakter van Zelhem. In de visie wordt een flexibele structuur vastgelegd waarbinnen de woningtypes later nog kunnen worden verdeeld over het plan. Deze visie laat zien hoe Het Loo getransformeerd kan worden tot een aantrekkelijk en uniek woonmilieu geïnspireerd op de landschappelijke kwaliteiten en dorpse sfeer. De ontwikkeling van Het Loo biedt niet alleen kansen voor de locatie en voor toevoeging van een aantrekkelijk woonmilieu, maar ook voor Zelhem ontstaan hiermee allerlei nieuwe kansen. Daarbij zijn de volgende doelstellingen benoemd:

  1. Een nieuw duurzaam woonmilieu toevoegen, als verrijking van het woningaanbod in Zelhem.
  2. Voorzien in de woningbouwopgave voor Zelhem door toevoeging van 150 tot 175 woningen.
  3. Een substantieel aandeel van de woningen wordt gebouwd voor de starters en ouderen, omdat daar de grootste vraag naar is.
  4. Klimaatadaptief woonmilieu met veel ruimte voor waterberging, waarbij ook de waterproblematiek van de Bloemenbuurt in dit plangebied wordt opgelost.

Landschappelijk wonen

De woonkwaliteit wordt ontleend aan de landschappelijke ligging aan de rand van Zelhem. Vanaf de locatie kijk je uit over het mooie escomplexlandschap en op Coops Molen. De kenmerken van de ondergrond zijn als basis genomen voor de te realiseren woonkwaliteit. Het besloten karakter van de locatie dat wordt gecreëerd door de aanwezige bosjes en houtwallen dient als inspiratie voor het woonconcept waarin de boskamers centraal staan. Kleinschaligheid en differentiatie in woonsfeer kan worden versterkt door verschillende boskamers te creëren die hun identiteit ontlenen aan hun landschappelijke ligging. Hoger gelegen, laag en nat, aan een ven of met weids uitzicht op het landschap.

Nieuwe verbindingen

Met de ontwikkeling van Het Loo ontstaan kansen om nieuwe verbindingen te maken en om het gebied een sterke aanhechting te geven aan de omliggende buurten. Het Loo wordt ontsloten vanaf de Hummeloseweg en krijgt daarmee en directe verbinding met de Rondweg en het centrum van Zelhem. De uitstekende bereikbaarheid is een groot voordeel voor de woonkwaliteit en op deze manier is de overlast van de extra verkeersbewegingen geminimaliseerd voor de omwonenden. Daarnaast wordt er een extra aansluiting gemaakt op de Orchideestraat. Doordat deze route langzamer is dan de directe aansluiting op de Hummeloseweg dient deze vooral als uitvalsbasis bij calamiteiten of voor verkeer richting het centrum van Zelhem.

Dorpse schaal

De woonomgeving wordt gekarakteriseerd als een landschappelijke dorpsuitbreiding in een landelijk gebied. We denken aan een woonmilieu dat past bij de dorpse sfeer en schaal en aansluit op de bestaande omgeving. Het Loo wordt een groene buurt waar het rustig wonen is en waar tegelijkertijd veel plekken worden gecreëerd voor ontmoeting van buren en andere dorpsbewoners. Door het gebied op te delen in drie woonsferen krijgt iedere buurt een net iets andere herkenbare identiteit. Binnen de drie woonsferen worden weer kleinere clusters gerealiseerd bestaande uit 15 tot 25 woningen. Zo zorgen we voor herkenbaarheid van de eigen woning en stimuleren we contact met de buren. In de meeste gevallen ‘delen’ de woningen een erf, plantsoen of hofje met elkaar. Door toepassing van verschillende woningtypes wordt vormgegeven aan de woningbouwopgave in Zelhem waar veel vraag is naar (goedkopere) woningen voor starters en ouderen. Om de dorpse kwaliteit te behouden worden in het plan vrijstaande woningen, twee-onder-een-kapwoningen, rijwoningen, patiowoningen en appartementen gerealiseerd, waarbij bewoners ook de mogelijkheid krijgen om in te schrijven met CPO.

Ruimtelijk raamwerk

Op basis van bovengenoemde doelstellingen en ambitie is toegewerkt naar een ruimtelijk raamwerk voor het plangebied Het Loo. De identiteit van de nieuwe woonbuurt is geïnspireerd op de boskamers en het open agrarische landschap. Het woonmilieu wordt verrijkt door toevoeging van water in de vorm van wadi’s, een bosbeek en een ven. Zo ontstaat een aantrekkelijk woongebied met hoge natuurwaarden, volop ruimte voor biodiversiteit en voldoende waterbergingscapaciteit. Het verschil in hoogteligging van de 3 boskamers zorgt voor een natuurlijke manier om verschil in woonsfeer te kunnen maken.

verplicht

Ruimtelijk raamwerk

2.1.2.2.2 Ruimtelijke en landschappelijke inpassing     

Op basis van het ruimtelijk raamwerk is in onderlinge samenwerking met de gemeente toegewerkt naar een stedenbouwkundige verkaveling voor het plangebied. Onderstaand is het stedenbouwkundig plan opgenomen. Het plangebied kan binnen het stedenbouwkundig plan opgedeeld worden in een drietal deelgebieden met ieder een eigen karakter en ruimtelijke typering. De drie deelgebieden betreffen: besloten boskamer, bosbeek en wonen aan het erf. Deze deelgebieden en ruimtelijke typering worden onderstaand nader toegelicht.

verplicht

Stedenbouwkundig plan Loo Zelhem

Besloten boskamer

De besloten boskamer is de boskamer ter plaatse van de huidige gemeentewerf. Dit gebied heeft de hoogste ligging en is het meest besloten plandeel. Dit gebied wordt volledig omkaderd door bosplantsoen en een houtwal. Deze kwaliteit wordt omarmd en ingezet voor de nieuwe woonsfeer. De wegen zijn smal vormgegeven en er zijn geen stoepen. Zo beperken we verharding en houd het gebied zo veel mogelijk de bosrijke sfeer. Voetgangers en fietsers maken gebruik van de rijbaan. Omdat hier alleen bestemmingsverkeer komt zijn de wegen rustig en geschikt voor meervoudig gebruik. De bermen tussen de wegen en de uitgeefbare percelen worden groen ingericht met (verstevigd) gras, zodat men elkaar altijd kan passeren en er voldoende uitwijkmogelijkheden zijn. De bebouwing bestaat uit twee grotere bouwvelden, waarbij geparkeerd wordt in een parkeerkoffer achter de woningen.

Zo kan er voor iedere woning een parkeerplaats in het bouwblok worden gerealiseerd. De overige parkeerplaatsen worden aangelegd als haaksparkeren op grasdallen of open verharding met een groene uitstraling die aansluit op de bosranden. In het midden, tussen de twee ontwikkelvelden, wordt de houtwal naar binnen getrokken in de vorm van een ruim autovrij plantsoen. De woningen komen direct aan het plantsoen te liggen, waardoor bewoners optimaal profiteren van de aanwezige kwaliteit van de boskamer. Qua typologie komt er een mix aan woningen waarbij rekening gehouden moet worden met de bereikbaarheid van de woningen. Starterswoningen en rijwoningen kunnen aan het autovrije plantsoen en de zuidelijke bosrand worden gesitueerd, vrijstaande woningen, twee-ondereen-kapwoningen, patiowoningen en levensloopbestendige woningen zijn ook vanaf de voorzijde met de auto te bereiken. Ten zuiden van het rioolgemaal is in de brede houtwal ruimte voor bijzondere woonvormen beide gevallen is er veel aandacht voor een aantrekkelijke plint en aansluiting op het openbaar gebied. De bebouwing is georiënteerd op het openbaar gebied en parkeren is landschappelijk ingepast. Onder het noordelijkste binnenterrein is tevens ruimte gevonden voor waterberging in de vorm van een gebouwde voorziening onder het maaiveld van het binnenterrein.

Bosbeek

De natte boskamer komt te liggen in het lagergelegen deelgebied ten zuiden van de huidige gemeentewerf. Deze boskamer staat in het teken van een waterrijk en bosachtig landschap met aan de zuidkant van het plangebied een brede wadi. In de zomer zal deze droog staan en is het een mooie landschappelijke zone waarin tevens gespeeld kan worden. In de herfst en winter en bij piekbelasting zal de wadi vollopen en veranderen in een speelse beek die het water afvoert richting het nieuwe ven aan de Rondweg. De brede groenblauwe zone vormt een belangrijke drager van de woonkwaliteit en vormt tevens een aantrekkelijke overgang richting de bestaande woningen aan de Hummeloseweg, Lupinestraat en Hortensiastraat. Dit deelgebied wordt ontsloten door middel van een nieuwe ontsluitingsweg ten zuiden van de bestaande houtwal rond de gemeentewerf. Vanaf de rijbaan wordt (dubbel) haaks en langs geparkeerd in het groen. Zo is het parkeren efficiënt opgelost en blijft er meer ruimte over voor groen. Binnen dit deelgebied liggen de woningen in clusters in het groen ten noorden van de bosbeek. Vanuit deze zone wordt het groen de buurt in getrokken. Tussen ieder ontwikkelveld is ruimte voor een plantsoen of een groen binnenterrein. Zo hebben alle woningen optimaal contact met het groen. Door toepassing van terrassen of veranda’s aan het groen wordt ontmoeting gestimuleerd en de sociale controle vergroot. De ontwikkelvelden worden flexibel ingevuld met verschillende woningtypes, waarbij de velden vanwege het autovrije karakter vooral geschikt zijn voor patiowoningen, kleinschalige appartementenblokken en rijwoningen. Vrijstaande woningtypes of twee kappers komen beperkt voor in het oosten.

Wonen aan het ven

Dit deelgebied geeft vorm aan de overgang van de besloten boskamers naar het open agrarische landschap aan de overzijde van de Rondweg. In het gebied grenzend aan de rondweg wordt een royale wadi aangelegd die dienstdoet als buffer voor de benodigde waterberging. Het ven staat in natte perioden vol water en staat droog staat op het moment dat de temperatuur hoog is. Die afwisseling geeft veel kwaliteit aan de aangrenzende woningen en de wandelroute langs de rondweg. De ontwikkelvelden bestaan uit twee grotere erven in de rafelachtige rand naar het open landschap, passend bij de kleine gehuchten in het agrarische landschap. De erven worden ontsloten met een inprikker vanaf de openbare weg. De woningen zijn georiënteerd op de openbare weg of op het erf. De collectieve erven zijn informeel ingericht en bieden ruimte aan ontmoeting, spelen en parkeren. Vanuit de erven zijn doorzichten naar buiten met uitzicht op de molen, het omliggende landschap of de houtwallen. Tussen de twee bebouwingsclusters opent de bosrand zich naar het landschap. Deze groenzone vormt de verbinding tussen de bestaande houtwal, het ven en het achterliggende open landschap. Het wandelpad langs de rondweg krijgt een aftakking waarmee via de bosrand een directe verbinding ontstaat met de Bloemenbuurt. De erven zijn geschikt om ook wat duurdere woningen te bouwen in de vorm van vrije kavels, twee-onder-een-kapwoningen en levensloopbestendige bungalows of patiowoningen. Aandachtspunt bij de uitwerking van de erven is een goede overgang tussen openbaar en privé, omdat een groot deel van de woningen georiënteerd zijn op het erf en dus met hun achterzijde grenzen aan het openbaar gebied. Meeontworpen erfafscheidingen, brede groene hagen en patiowoningen zijn geschikt om de overgang naar het omliggende landschap op een aantrekkelijke manier vorm te geven. Binnen het deelgebied wordt een mix aan verschillende woontypen voorgesteld.

Woningbouwprogramma

Binnen het plangebied worden circa 130 nieuwe woningen gerealiseerd. De woningen betreffen een mix aan woningtypes die onderstaand nader gespecificeerd zijn en zijn afgestemd op de woningvraag binnen de gemeente, maar ook de regio. In onderstaande tabel is de verdeling van het aantal woningen, aslmede de procentuele verdeling weergegeven.

verplicht

In het programma wordt uitgegaan van een mix van duur, middenduur en goedkoop om een zo breed mogelijke doelgroep te bedienen. Daarbij ligt het grootste aanbod op de woningmarkt in Zelhem op woningen voor starters en ouderen. Er worden appartementen, rijwoningen, twee-onder-een-kapwoningen, levensloopbestendige, patiowoningen, en vrijstaande woningen en mogelijk enkele vrije kavels gerealiseerd.

verplicht

Woningbouwprgrammeringskaart Loo Zelhem

Binnen het plangebied zullen ook woningen worden ontwikkeld door middel van collectief particulier opdrachtgeverschap (CPO). Hiervoor kunnen bewoners zich aanmelden. Een substantieel deel van het totale woningbouwprogramma wordt gerealiseerd in het goedkopere segment of als sociale huur/ koop, zodat er voldoende aanbod is voor starters en ouderen

2.1.2.2.3 Beeldkwaliteitseisen     

Door BGSV is een ruimtelijke visie op het plangebied opgesteld. De visie geeft vorm aan de ontwikkeling van circa 150 tot 175 woningen. Daarbij is de gemeenschappelijke ambitie uitgesproken om een duurzaam woonmilieu te maken dat past bij het dorpse karakter van Zelhem. Voor het plangebied zijn eerste aanzetten voor beeldkwaliteit in beelden vastgelegd. Deze aanzetten zijn gedurende de bestemmingsplanprocedure verder uitgewerkt in een beeldkwaliteitplan voor het plangebied. Het beeldkwaliteitplan is als Bijlage 1 bij dit bestemmingsplan gevoegd.

In het welstandbeleid van de gemeente Bronckhorst valt het plangebied nog onder het buitengebied, te weten 'Agrarisch Buitengebied' De daarbij gegeven welstandscriteria bieden onvoldoende houvast voor deze ontwikkeling. Het beeldkwaliteitplan fungeert als een gebiedsgericht welstandskader voor dit specifieke plangebied en vervangt daarmee voor dit gedeelte het welstandsbeleid van de gemeente Bronckhorst. De criteria zoals deze in het document zijn omschreven, zijn formeel het toetsingskader voor de beeldkwaliteit van de gebouwen en zijn richtinggevend voor de inrichting van de openbare ruimte. Voor de overige aspecten (algemene criteria, excessenregeling, etc.) blijft de huidige welstandsnota van toepassing.

Welstandsvrij

Het beeldkwaliteitplan kent een drietal deelgebieden. Voor een van de drie deelgebieden (deelgebied Boskamer) wordt een uitzondering gemaakt. Hier is de gemeente voornemens te experimenteren met een pilot welstandsvrij bouwen. Doel van welstandsvrij bouwen is ruimte bieden aan initiatiefnemers met ideeën die niet passen binnen de gangbare kaders van het welstandsbeleid.

Kern van welstandsvrij bouwen is dat er geen toetsing door de Commissie Ruimtelijke Kwaliteit (CRK) plaatsvindt en alleen de kaders uit het bestemmingsplan c.q. omgevingsplan gelden. De gemeente acht het van belang dat initiatiefnemers de ruimte krijgen om hun eigen ideeën te kunnen uitvoeren en zal niet sturen op kleuren en materialen van de woningen. Ook gelden in deelgebied Bosrijk geen stedenbouwkundige eisen anders dan maximale bouw- en goothoogte en de positionering van de woningen op het erf. Er gelden dus geen voorschriften voor dakvormen en stedenbouwkundige accenten.

Bij vaststelling van het bestemmingsplan zal het beeldkwaliteit ook worden vastgesteld en daarmee als toesingskader dienen voor de beoogde woningbouw (exclusief besloten boskamer) en inrichting van de openbare ruimte.

2.1.2.3 Planbeschrijving     

2.1.3 Uitvoerbaarheid     

2.1.3.1 Toetsing aan beleidskader     

In voorliggende paragraaf wordt de beoogde ontwikkeling in het plangebied getoetst aan de relevante beleidskaders op Rijks-, provinciaal, regionaal en gemeentelijk niveau. De relevante beleidskaders zijn opgenomen in Hoofdstuk 3.

Rijksbeleid

Nationale omgevingsvisie

Onderhavige ontwikkeling is niet gelegen in een gebied waarin het Rijk een nationaal belang heeft aangewezen. Derhalve heeft de Nationale Omgevingsvisie (NOVI) (paragraaf 3.1.1) geen consequenties voor voorliggend plan.

Besluit algemene regels ruimtelijke ordening

Onderhavige ontwikkeling is niet gelegen in een gebied waarin het Rijk een nationaal belang heeft aangewezen. Daarom heeft het Besluit algemene regels ruimtelijke ordening (paragraaf 3.1.3) geen consequenties voor voorliggend plan.

Ladder voor duurzame verstedelijking

Een stedelijke ontwikkeling is volgens het besluit 'een ruimtelijke ontwikkeling van een bedrijventerrein of zeehaventerrein, of van kantoren, detailhandel, woningbouwlocaties of andere stedelijke voorzieningen'. Voorliggend initiatief zou kunnen worden aangemerkt als een woningbouwlocatie. Deze term is echter niet gedefinieerd in het Bro. Uit jurisprudentie (zie bijvoorbeeld uitspraak ABRvS201501297/1/R4) blijkt dat woningbouwplannen met elf woningen niet hoeven te worden aangemerkt als woningbouwlocatie, maar grotere woningbouwplannen wel. Voorliggend initiatief voorziet in de realisatie van circa 130 nieuwe woning en moet dan ook aangemerkt worden als een ruimtelijke ontwikkeling waarop de ladder van toepassing is. In paragraaf 3.4.3 van deze plantoelichting is het gemeentelijk woonbeleid uiteen gezet.

Op basis van de verwachte huishoudensontwikkeling gaat het minimale scenario voor Bronckhorst uit van circa 400 woningen die tot 2025 nog nodig zijn om te voorzien in de behoefte; het maximale scenario gaat uit van circa 550 woningen. De gemeenteraad heeft op 27 mei 2021 ingestemd met het voorstel om de woningbouwopgave te verhogen naar ca. 500 woningen tot 2025. Het gaat hierbij zowel om koop- als (sociale) huurwoningen. Voorliggend plan maakt onderdeel uit van de woningbouwopgave binnen de gemeente Bronckhorst. Het woningbouwprogramma met een mix aan zowel koop- als huurwoningen in het goedkope, middendure en dure segment sluit zowel kwantitatief als kwalitatief aan bij de woonbehoefte.

De behoefte aan de beoogde woningbouwontwikkeling blijkt uit de volgende notities:

  • notitie Beargumentering Nieuwe woningbouwlocaties Hengelo en Zelhem (Bijlage 22);
  • notitie Naar balans op de woningmarkt in Bronckhorst (Bijlage 23);
  • notitie Regionale Woondeal 2023-2030 Achterhoek (Bijlage 24)

De gemeenteraad heeft in mei 2021 de actualisatie van de woonvisie ‘Ruimte voor Wonen in Bronckhorst 2019-2025’ vastgesteld. Hiermee heeft de gemeenteraad onder andere ingestemd met het zoeken naar potentiële woningbouwlocaties aan de randen van de dorpen. De ambitie aan maximaal 2.200 woningen tot 2030 is niet volledig via transformatie en/of inbreidingslocaties binnen de bestaande kernen te realiseren. Het is daarom noodzakelijk om de komende jaren concreet met een aantal woningbouwlocaties aan de randen van dorpen aan de slag te gaan.

Voorliggend plan voorziet in de toevoeging van maximaal ca. 130 woningen. Het college heeft eind 2022 de notitie Beargumentering Nieuwe woningbouwlocaties Hengelo en Zelhem vastgesteld (de notitie is opgenomen als Bijlage 22 bij het bestemmingsplan). In deze notitie is de locatiekeuze voor Het Loo toegelicht. In eerste instantie is in de gemeente gekeken naar inbreiding en transformatie. Inbreiding en transformatie bieden echter onvoldoende mogelijkheden om te voldoen aan de behoefte aan woningen in Bronckhorst. Dit heeft geresulteerd in een zoektocht naar uitbreidingslocaties in onder andere Zelhem. Op basis van door de raad vastgestelde afwegingskader is de keuze gevallen op Het Loo. In het afwegingskader is getoetst aan de volgende criteria, te weten: eigendomssituatie, transformatielocatie, omvang locatie, milieuhindercontouren, ligging in waardevol landschap, fasering, ontwikkelsnelheid, ontsluiting/bereikbaarheid, kansen voor ruimtelijke impuls/verbeteren dorpsafronding, landschappelijke inpasbaarheid, klimaatadaptatie, nabijheid voorzieningen, draagvlak omgeving en ontwikkelrisico’s.

In Zelhem is de locatie Het Loo binnen de bebouwde kom geschikt geacht om een grote bijdrage te leveren aan de woningbouwopgave. Voordelen van de locatie Het Loo:

  • Ruimtelijke impuls westelijke dorpsentree;
  • Ontsluiting dicht bij Rondweg/N315, weinig extra verkeer door het dorp;
  • Locatie is al omsloten door structurerende elementen;
  • Relatief weinig impact op het omliggende landschap;
  • Weinig invloed van milieuhindercontouren vanuit agrarische bedrijvigheid;
  • Het centrum van Zelhem en bijbehorende voorzieningen liggen relatief nabij;
  • Goede mogelijkheden voor ontsluiting van de buurt voor langzaam verkeer, over bestaande structuren;
  • Vanuit eigendomssituatie eenvoudiger te ontwikkelen;
  • Aansluiting op bestaande ruimtelijke structuur en omliggende buurten.

Ongeveer tweederde van de woningen wordt in het betaalbare segment gerealiseerd, zowel in de sociale huur als betaalbare koop. Een deel van de woningen zal tevens de mogelijkheid hebben om een levensloopbestendige inrichting te krijgen. Dit woonprogramma dat in het plangebied gerealiseerd zal worden sluit daarmee goed aan op de Woonvisie 2019-2025 van de gemeente Bronckhorst en de Regionale woondeal 2022-2030 Achterhoek. In de Woonvisie wordt aangegeven dat starters en ouderen die graag een stap willen maken naar een levensloopbestendige woning tot de prioritaire doelgroepen behoren wat betreft het toevoegen van woningen. Hiermee wordt geacht dat de behoefte aan de woningen voldoende is aangetoond. Aan de hand van maatvoering in bestemmingsplan wordt dit geborgd.

In opdracht van de gemeente Bronckhorst heeft bureau Stec Groep een onderzoek gedaan en adviezen uitgebracht over de invulling van de woningbouwprogramma’s op onder andere de uitbreidingslocatie Het Loo. De rapportage “Naar balans op de woningmarkt in Bronckhorst” is opgenomen in de bijlagen. Het algemene devies luidt: levensloopbestendig en betaalbaar. Het aanbod betaalbare en kleinere woningen voor starters of (aanstaande) gezinnen is zeer beperkt in de gemeente. Daarnaast is ook het levensloopbestendige/appartementensegment sterk ondervertegenwoordigd in Bronckhorst. Slechts 7% van de woningvoorraad is een appartement tegenover 36% landelijk gemiddeld.

Demografisch groeien qua aantallen de 55- en 75-plussers de komende jaren het snelst. Voor hen wordt nabijheid van voorzieningen steeds belangrijker. Optimaal woongenot voor ouderen met een afnemende mobiliteit hangt niet alleen samen met het woonproduct. De bereikbaarheid (auto, fiets en OV) en nabijheid van voorzieningen is voor de oudere doelgroep evengoed van groot belang. Ook vanwege het kunnen leveren van zorg aan huis. Door het tekort aan arbeidskrachten in de zorg zal zorg makkelijker verleend kunnen worden als ouderen meer geclusterd wonen in plaats van verspreid in het buitengebied. Ook de begrenzing van het aantal verpleeghuisplaatsen maakt dat langer zorg aan huis geleverd zal moeten worden.

Het onderzoek sluit aan bij de Regionale Woondeal 2022-2030 Achterhoek.

Provinciaal beleid

Omgevingsvisie

De provincie zet zich in voor vitale steden en dorpen en voor een duurzame verstedelijking, gericht op versterking van de stedelijke netwerken, gecombineerd met aandacht voor de vitaliteit van kleine kernen en dorpen. Met de realisatie van voorliggend plan worden nieuwe woningen toegevoegd aan de kern Zelhem, hetgeen bijdraagt aan de vitaliteit van de kern. Het plan is in samenspraak met de gemeente ontwikkeld, met daarbij aandacht voor landschap, milieu en ruimtelijke kwaliteit.

In de Omgevingsvisie zijn de hoofdlijnen van het provinciaal beleid beschreven, waaronder beleid ten aanzien van klimaatadaptatie, biodiversiteit, molenbiotoop en woon- en leefomgeving. Op deze thema's wordt nader ingegaan in de toetsing aan de omgevingsverordening.

Omgevingsverordening

Voorliggend bestemmingsplan voorziet in de realisatie van circa 130 woningen met een mix aan zowel koop- als huurwoningen in het goedkope, middendure en dure segment. Het woningbouwprogramma sluit zowel kwantitatief als kwalitatief aan bij de (regionale)woonbehoefte. Met het plan wordt voorzien in een actuele behoefte aan woningen in de gemeente. Het gemeentelijke woonbeleid wordt behandeld in paragraaf 3.4.3. En in paragraaf 2.1.3.1 is getoetst aan de Ladder voor duurzame verstedelijking. Daarmee is onderbouwd hoe voorliggend plan voldoet aan de regionale woonagenda, waarmee het plan derhalve voldoet aan de instructieregel uit artikel 2.2 lid 1 van de provinciale omgevingsverordening.

Op basis van de klimaatatlas gemeente Bronckhorst is in beeld gebracht welke risico's zich kunnen

voordoen in het plangebied als gevolg van klimaatverandering.

Wateroverlast

Uit de kaartbeelden die horen bij het onderdeel wateroverlast is op te maken dat ter plaatse van het plangebied geen plasvorming wordt verwacht na een korte of lange bui. Daarnaast wordt er in paragraaf 2.1.3.2.9 uitgebreid ingegaan op het aspect water en hoe om te gaan met eventuele wateroverlast. In het plan is extra ruimte gereserveerd om wateroverlast van de aangrenzende woonwijk op te vangen. Hiertoe is een extra gebouwde voorziening gerealiseerd onder een deel van de openbare ruimte in het plan. Verder is een uitgebreide wadistructur opgenomen, alsmede een bosbeek en een ven.

Hittestress

Uit de kaartbeelden die horen bij het onderdeel hittestress is op te maken dat de temperatuur in het plangebied normaal zal zijn (niet extra koeler of extra warmer) op warme dagen. Dit is naar waarschijnlijkheid gebaseerd op de huidige onbebouwde situatie. De geplande nieuwbouwwoningen zijn goed geïsoleerd conform de huidige normen. Daarmee zijn de woningen ook minder gevoelig voor opwarming wat relevant is voor warmte in de nachtelijke periode. In het plangebied is sprake van woningen in een uitermate groene setting, waarmee hittestress niet aannemelijk is.

Droogte

De bijbehorende kaartbeelden laten wat betreft grondwaterstanden en droogtegevoeligheid in 2050 geen verandering zien ten opzichte van de huidige situatie. Daarmee is en blijft in het plangebied sprake van lagere grondwaterstanden en van grotere droogtegevoeligheid. Door het hemelwater binnen het plangebied te bergen en te laten infiltreren blijft het hemelwater ook in het gebied zelf zoals dat in feite in de huidige (onbebouwde) situatie ook zo is. Hiertoe zijn in het plan diverse waterhuishoudkundige voorzieningen getroffen. Het plangebied ligt in een gebied waar een matige kans op natuurbranden is bij langdurige droogte. In het plangebied zijn geen waterpartijen en beken aanwezig die stil kunnen komen te staan of droog kunnen vallen. Daarmee is geen sprake van een risico voor de volksgezondheid. Op basis van voorgaande wordt geconcludeerd dat in voorliggend plan voldoende wordt ingezet op het voorkomen of beperken van mogelijke risico's door droogte als gevolg van klimaatverandering.

Overstroming

De bijbehorende kaartbeelden laten zien dat er geen watergangen in nabijheid van het plangebied liggen. Overstroming vormt geen risico voor het plangebied.

Overleg waterschap

De plannen zijn voor overleg gestuurd aan Waterschap Rijn en IJssel. Uit een digitale watertoets is gebleken dat er met het plan waterschapsbelangen zijn. In het overleg met het Waterschap zijn de voorgestelde maatregelen besproken en het Waterschap is hiermee akkoord. Het beoogde waterhuishoudkundige systeem is in paragraaf 2.1.3.2.9 nader uiteengezet.

Molenbiotoop

In de omgevingsverordening Gelderland zijn de volgende instructieregels met betrekking tot het opnemen van een molenbiotoop in een bestemmingsplan opgenomen:


Artikel 2.64 (bescherming windvang molen)

  1. Een bestemmingsplan maakt voor gronden binnen een Molenbiotoop geen nieuwe bebouwing of beplanting mogelijk, als daardoor de windvang van een molen wordt beperkt.
  2. Het eerste lid is niet van toepassing op de molens in het Nederlands Openluchtmuseum te Arnhem.


In de nota van toelichting is omtrent deze regels het volgende opgenomen.

§ 2.7.2 Instructieregels bestemmingsplan Molenbiotoop

Windmolens met een monumentenstatus zijn een onlosmakelijk onderdeel van de regionale identiteit. Daarom streeft Gelderland naar het behoud en bescherming van molenbiotopen.


Artikel 2.64 (bescherming windvang molen)

Om een monumentale molen met een vrije windvang te laten functioneren, geldt dat binnen een straal van 400 meter, gerekend vanaf het middelpunt van de molen, hoogtebeperkingen moeten worden gesteld aan het oprichten van bebouwing en beplanting. Verder dient rekening te worden gehouden met de belevingswaarde en het historisch karakter van de omgeving van de molen. Door maatwerk/compensatie wordt de belevingswaarde en het functioneren van de molen door middel van windvang niet beperkt. Met name in een bebouwde omgeving kunnen ook andere belangen in het geding zijn, waarbij zekere beperkingen ten aanzien van de windvang of de belevingswaarde niet altijd zijn uit te sluiten.

De wijze waarop inhoudelijk met de molenbiotoop is omgegaan is opgenomen in paragraaf 2.1.3.2.7 van deze plantoelichting.

Er hoeven geen aanvullende maatregelen te worden getroffen. De voorgenomen ontwikkeling sluit aan bij de provinciale Omgevingsvisie en de regels op het gebied van 'wonen', 'klimaatadaptatie' en 'molenbiotoop'. De ontwikkeling is daarmee in overeenstemming met het provinciaal beleid.

Regionaal beleid

Regionale structuurvisie Achterhoek 2012

Voorliggend initiatief ziet toe op de realisatie van circa 130 woningen met een mix aan zowel koop- als huurwoningen in het goedkope, middendure en dure segment. Het plan is in samenspraak met de gemeente ontwikkeld, met daarbij aandacht voor landschap, milieu en ruimtelijke kwaliteit. Het initiatief is in overeenstemming met de Regionale Structuurvisie Achterhoek 2012.

Gemeentelijk beleid

Omgevingsvisie Bronckhorst 2030

Voorliggend initiatief voorziet in de bouw van circa 130 woningen aan de rand van de kern Zelhem. In het programma wordt uitgegaan van een mix van duur, middenduur en goedkoop om een zo breed mogelijke doelgroep te bedienen. Hiermee ontwikkelt de kern zich voor de toekomst en is er aanbod van woningen voor specifieke doelgroepen.

Kernenbeleid

Met de bouw van circa 130 nieuwe woningen voor de kern Zelhem ontstaat ruimte voor inwoners om in de eigen kern te kunnen wonen. Hiermee wordt een bijdrage geleverd aan de leefbaarheid en vitaliteit van de kern Zelhem.

Woonbeleid

Voorliggend plan maakt onderdeel uit van de woningbouwopgave binnen de gemeente Bronckhorst. Het woningbouwprogramma met een mix aan zowel koop- als huurwoningen in het goedkope, middendure en dure segment sluit zowel kwantitatief als kwalitatief aan bij de woonbehoefte. De ontwikkeling is in lijn met het woonbeleid van de gemeente.

Welstandsnota

Ten behoeve van de ontwikkeling wordt een beeldkwaliteitsplan opgesteld, welke gelijktijdig met de vaststelling van het bestemmingsplan wordt vastgesteld. In het beeldkwaliteitplan wordt het toetsingskader opgenomen voor wat betreft architectuur en bebouwing, maar ook voor de wijze waarop met bijvoorbeeld erfafscheidingen moet worden omgegaan. Het beeldkwaliteitplan vormt daarmee het toetsingskader voor toekomstige omgevingsvergunningen en vormt uiteindelijk een nieuw onderdeel van het welstandsbeleid.

Groenstructuurplan

In de planvorming voor de nieuwe woonwijk is uitgebreid aandacht gegeven aan de bestaande groenstructuren in het plangebied. Deze groenstructuren vormen het raamwerk voor het ruimtelijk plan en worden zo veel mogelijk behouden in de planvorming. De nieuwe woonwijk kent een hoge mate van groen in de vorm van bosschages, bomen maar ook wadistructuren.

Samen voor biodiversiteit

Ten behoeve van de ontwikkeling is uitgebreid ecologisch onderzoek uitgevoerd en is er voor een aantal beschermde soorten aanvullende maatregelen getroffen om het leefgebied aantrekkelijk te houden. Ook worden zoveel mogelijk bestaande bomen en boomstructuren behouden in het plan.

Speelruimteplan

In het plangebied is op verschillende plekken in de openbare ruimte rekening gehouden met het realiseren van speelvoorzieningen. Dit betreft zowel informele als formele speelplekken. Een en ander conform de uitgangspunten van het speelruimteplan

Verkeers- en parkeerbeleid

Bij de planvorming is rekening gehouden met een goede ontsluiting van de nieuwe woonwijk. Dit betreft een tweezijdig ontsluiting met aandacht voor het scheiden van verschillende verkeersstromen. Ook is in het plan voldoende parkeerplaatsen opgenomen, een en ander conform de hiertoe geldende gemeentelijke parkeernormen.

Duurzaamheidsbeleid

Met de ontwikkeling van de nieuwe woonwijk is er veel ruimte om de nieuwe woningen energiezuinig te realiseren. Ook is er ruimte voor nieuwe manieren van energieopwekking door onder andere zonnepanelen. Ook worden de woningen gasloos gebouwd en is er sprake van warmtepompen.

2.1.3.2 Omgevingsaspecten     

2.1.3.2.1 Milieu-effectrapportage     

Algemeen

Een milieueffectrapportage (m.e.r.) is verplicht voor besluiten van de overheid over initiatieven van particulieren of marktpartijen, zoals bij de bouw van woonwijken, de aanleg van auto(snel)wegen, spoorwegen, vliegvelden, pijpleidingen voor gas of olie en (stuw)dammen.

Een m.e.r. kan ook verplicht zijn voor plannen van de overheid, zoals een bestemmingsplan. Ingevolge het Besluit milieueffectrapportage (verder: Besluit m.e.r.) wordt getoetst of het bestemmingsplan voorziet in, of een kader vormt voor, activiteiten die (mogelijk) belangrijke nadelige gevolgen kunnen hebben voor het milieu. Hiervoor zijn in de bijlage bij het Besluit m.e.r. lijsten opgenomen waarin activiteiten zijn aangewezen die belangrijke nadelige gevolgen kunnen hebben voor het milieu (lijst C) of ten aanzien waarvan het bevoegd gezag moet beoordelen of zij belangrijke nadelige gevolgen voor het milieu kunnen hebben (lijst D).

De voornoemde drempelwaarden hebben een indicatief karakter, hetgeen inhoudt dat ook wanneer de drempelwaarden niet worden overschreden een (vormvrije) beoordeling dient plaats te vinden of het planvoornemen kan leiden tot belangrijke nadelige gevolgen. Deze beoordeling dient te geschieden aan de hand van de selectiecriteria in bijlage III van de EEG-richtlijn milieueffectbeoordeling. Hierin worden drie hoofdthema's genoemd 'betreffende de milieubeoordeling van bepaalde openbare en particuliere projecten':

  • kenmerk van het project;
  • plaats van het project;
  • kenmerken van het potentiële effect.

Toetsing

Voor de activiteiten en functies die onderhavig bestemmingsplan mogelijk maakt geldt geen directe MER-plicht. Wel geldt er een m.e.r.-beoordelingsplicht, maar omdat de activiteit onder de relevante drempelwaarde blijft, is sprake van een vormvrije m.e.r.-beoordelingsplicht. Dit betekent dat er een vormvrije m.e.r.-beoordelingsprocedure doorlopen en als Bijlage 2 bij de toelichting van dit bestemmingsplan toegevoegd. Op basis van deze aanmeldingsnotitie wordt geconcludeerd dat er geen belangrijke nadelige milieugevolgen, risico's of negatieve effecten voor gevoelige gebieden te verwachten zijn. Er kan daarom worden afgezien van het opstellen van een milieueffectrapportage.

Conclusie

Het bestemmingsplan kan zonder m.e.r.(-beoordeling) worden vastgesteld.

2.1.3.2.2 Duurzaamheid     

De energietransitie, klimaatadaptatie en circulaire economie zijn duurzaamheidsthema's die een steeds belangrijkere plaats krijgen in ruimtelijke ordening. Nederland wil inmiddels, aangesloten bij de Europese Unie, in 2050 energieneutraal, klimaatadaptief en circulair zijn.

Energietransitie, ook wel klimaatmitigatie genoemd, gaat om het voorkomen van klimaatverandering. Tot op heden is het grootste deel van de energie die huishoudens, bedrijven en fabrieken gebruiken voor stroom, verwarming, verbranding, koelen en vervoer afkomstig uit fossiele bronnen. Bij de verbranding van deze fossiele brandstoffen neemt onder meer de hoeveel CO2 in de atmosfeer toe. Deze enorme stijging in CO2 zorgt voor de opwarming van de aarde. Het opwarmen van de aarde heeft als gevolg dat het klimaat sneller verandert en leefomgevingen worden verstoord. De energietransitie dient ervoor te zorgen dat wij minder CO2 uitstoten (klimaatmitigatie) waardoor er minder klimaatverandering optreedt.

Deze ontwikkeling zorgt voor sloop van de voormalige gemeentewerf en de realisatie van gasloze woningen en appartementen. De woningen worden verwarmt met een warmtepomp. Om ervoor te zorgen dat het energieverbruik in de woningen zo laag mogelijk is worden de woningen geïsoleerd en betreffen het woningen conform BENG. Het gebied zal niet alleen duurzame energie verbruiken maar ook opwekken door middel van zonnepanelen.

Daarnaast draagt dit plan bij aan de biodiversiteit in de stedelijk gebied. Biodiversiteit is de verscheidenheid aan flora en fauna in het gebied. In Nederland is onze groeninrichting niet zo divers. Dit zorgt voor een verhoogde kans op uitval door ziektes of plagen of bijvoorbeeld door droogte, maar dit zorgt er ook voor dat in een bepaald gebied maar een beperkt aantal dieren en insecten worden aangetrokken, huishouden en kunnen schuilen. Door het aanbrengen van neststenen in de buitenmuur, wordt ruimte geboden aan het vestigen van vogels in de stedelijk gebied.

Conclusie

Het aspect klimaat vormt geen belemmering voor de realisatie van het plan.

2.1.3.2.3 Bodem     

Algemeen

Bij ruimtelijke ontwikkelingen moet aangetoond worden dat de bodem- en grondwaterkwaliteit ter plaatse van het plangebied geschikt zijn voor het beoogde gebruik.

Toetsing

Agrarische percelen

Door Buro Ontwerp & Omgeving is in mei 2022 een verkennend bodemonderzoek uitgevoerd. Dit betrof een onderzoek naar de gronden die getypeerd worden als agrarische percelen. Het onderzoek is als Bijlage 3 bijgevoegd. De conclusies uit het onderzoek worden hierna kort behandeld.

verplicht

Onderzoeksgebied agrarische percelen

De bovengrond tot een diepte variërend van circa 0,4 tot maximaal circa 1,3 m-mv bestaat uit matig grof, zwak siltig zand en is zwak humeus. De ondergrond bestaat uit matig grof en zwak tot matig siltig zand. In de ondergrond is veelal leem (laagjes of sporen), roest en plaatselijk grind aangetroffen.

In de bodem zijn geen zintuiglijke waarnemingen gedaan die wijzen op een mogelijke verontreiniging van de bodem. Ter plaatse van de schuur op het oostelijk deel van de onderzoekslocatie zijn op het maaiveld en in de opgegraven grond geen asbestverdachte materialen aangetroffen. Ook op het maaiveld en in de opgeboorde grond op het overige deel van de onderzoekslocatie zijn op indicatieve wijze geen asbestverdachte materialen waargenomen.

Ten aanzien van de onderzoekslocatie wordt de hypothese 'onverdachte locatie' op basis van de resultaten van het verkennend bodemonderzoek bevestigd. In de onderzochte boven- en ondergrond zijn geen verhoogde gehalten gemeten ten opzichte van de achtergrondwaarde. In het grondwater zijn plaatselijk concentraties barium, koper, zink of tetrachlooretheen boven de streefwaarde gemeten. De indicatie van de te verwachten bodemkwaliteitsklasse betreft voor de boven- en ondergrond 'AW' (overal toepasbaar).

De resultaten van het uitgevoerde onderzoek geven geen aanleiding tot het uitvoeren van een aanvullend of nader onderzoek.

Voormalige gemeentewerf

Door Buro Ontwerp & Omgeving zijn in januari 2023 diverse (milieu)onderzoeken uitgevoerd. Dit betrof onderzoek naar de gronden die getypeerd kunnen worden als voormalige locatie gemeentewerf. Het onderzoek is als Bijlage 4 bijgevoegd. De conclusies uit het onderzoek worden hierna kort behandeld.

verplicht

Onderzoeksgebied voormalige gemeentewerf

Beïnvloeding bodemkwaliteit vanuit omgeving

Ten noorden van de onderzoekslocatie bevindt zich een voormalige stort. Uit diverse onderzoeken blijkt dat de hierin aanwezige verontreinigingen zich beperken tot het stortlichaam en het grondwater noordelijk van de stort. In het grondwater op de onderhavige onderzoekslocatie zijn geen verontreinigingen aangetoond. Voor het overige zijn geen (grootschalige) bodemverontreinigingen bekend, waarop gebruiks en verplaatsingsrestricties gelden.

Terrein rondom voormalige tanks en OBAS

De bodem bestaat uit matig grof en zwak tot matig siltig zand. Rondom de voormalige tanks is de bodem tot circa 2 m-mv humeus. In de bodemlagen rond de voormalige tanks zijn geen gehaltes minerale olie boven de achtergrondwaarde aangetoond. In het grondwater ter plaatse van de OBAS zijn geen concentraties minerale olie en vluchtige aromaten boven de streefwaarde aangetoond. De bodemlagen rondom de voormalige tanks zijn beoordeeld als 'altijd toepasbaar'.

Terrein westelijk van de asfaltverharding

Op een groot deel van het terrein is een laag baksteenpuin met grind van circa 30 cm aanwezig. In de laag is visueel en analytisch geen asbest aangetroffen. De onderliggende bodem betreft zand, in deze bodem zijn geen verhoogde gehaltes aangetoond. In het grondwater zijn geen verhoogde concentraties gemeten.

Overig deel terrein

In de noordwestelijke hoek is een laag recentelijk aangebracht menggranulaat aanwezig van circa 25 cm. In dit menggranulaat is visueel en analytisch geen asbest aangetroffen. De bodem betreft matig grof zand, waarbij plaatselijk humeuze lagen aanwezig zijn. In de bovengrond zijn plaatselijk verhoogde gehaltes met diverse parameters aangetoond. In het grondwater zijn licht verhoogde concentraties barium en plaatselijk tetrachlooretheen gemeten. De grond is plaatselijk toepasbaar als 'industrie', voor het overige is de grond 'altijd toepasbaar'.

Aanbevelingen

  • Aanbevolen wordt om na verwijdering van het asfalt de onderliggende fundatie te inspecteren op het voorkomen van asbestverdachte materialen;
  • Op enkele delen van het terrein dient rekening gehouden te worden met de aanwezigheid van licht verontreinigde grond (Industrie);
  • Hoewel in dit onderzoek rondom de voormalige dieseltanks geen verontreinigingen met minerale olie of vluchtige aromaten in de grond zijn aangetroffen, blijkt uit de saneringsevaluatie dat er plaatselijk nog licht verontreinigde grond (klasse industrie) aanwezig is (wand- en bodem ontgraving).

In het kader van de Wet bodembescherming geven de resultaten van het uitgevoerde verkennend bodemonderzoek geen aanleiding tot het uitvoeren van een aanvullend of nader onderzoek. Tevens zijn er, behoudens de aanbevelingen, geen milieuhygienische belemmeringen voor de herontwikkeling.

Conclusie

Het aspect bodem vormt geen belemmering voor de uitvoering van het plan.

2.1.3.2.4 Geluid     

Algemeen

De mate waarin het geluid, veroorzaakt door het wegverkeer en/of door industrie, onder andere het woonmilieu mag belasten, is geregeld in de Wet geluidhinder (Wgh). Bij ruimtelijke ontwikkelingen moet volgens de Wgh worden aangetoond dat gevoelige functies, zoals een woning, een aanvaardbare geluidsbelasting hebben als gevolg van omliggende (spoor)wegen en gezoneerde industrieterreinen. Indien nieuwe geluidsgevoelige functies worden toegestaan, stelt de Wgh de verplichting akoestisch onderzoek te verrichten naar de geluidsbelasting ten gevolge van omliggende (spoor)wegen en industrieterreinen.

Toetsing

Voorliggend plan voorziet in de toevoeging van nieuwe geluidsgevoelige functies in de vorm van woningen. De nieuwe woningen liggen binnen de geluidzone van de omliggende wegen N315, N330 en de Hummeloseweg. Akoestisch onderzoek is uitgevoerd naar de geluidhinder afkomstig van de Rondweg (N315), de Hummeloseweg (N330) en de Hummeloseweg. Het onderzoek is als Bijlage 5 bij dit bestemmingsplan gevoegd.

Geluidshinder N315

De hoogste geluidsbelasting afkomstig van de Rondweg (N315) bedraagt 57 dB bij de nieuwe woningen, inclusief aftrek op grond van artikel 110g Wgh. Bij 22 nieuwe woningen wordt de voorkeursgrenswaarde van 48 dB uit de Wgh overschreden, echter aan de hoogst toelaatbare geluidsbelasting van 63 dB wordt voldaan.

Geluidshinder N330

De hoogste geluidsbelasting afkomstig van de Hummeloseweg (N330) bedraagt 48 dB bij de nieuwe woningen, inclusief aftrek op grond van artikel 110g Wgh. Bij de nieuwe woningen wordt voldaan aan de voorkeursgrenswaarde van 48 dB uit de Wgh.

Geluidshinder Hummeloseweg

De hoogste geluidsbelasting afkomstig van de Hummeloseweg bedraagt 49 dB bij de nieuwe woningen, inclusief aftrek op grond van artikel 110g Wgh. Bij 9 nieuwe woningen wordt de voorkeursgrenswaarde van 48 dB uit de Wgh overschreden, echter aan de hoogst toelaatbare geluidsbelasting van 63 dB wordt voldaan.

Geluidsreducerende maatregelen

De Rondweg (N315) en de Hummeloseweg zorgen voor een overschrijding van de voorkeursgrenswaarde, daarom is onderzoek noodzakelijk naar doeltreffende geluidsreducerende maatregelen. Wanneer de geluidsbelasting niet terug te brengen is tot de voorkeursgrenswaarde, dan kan een hogere waarde ten gevolge van de Rondweg (N315) en de Hummeloseweg worden verleend door de gemeente. Bij het treffen van maatregelen geldt een voorkeursvolgorde: bron, overdracht en ontvanger.

Bij deze ontwikkeling is het niet mogelijk of wenselijk om effectieve maatregelen te treffen die de geluidsbelastingen terugbrengen tot waarden die lager zijn dan de voorkeursgrenswaarde van 48 dB.

Verlening hogere waarden

Het doel van de Wgh is geluidhinder te voorkomen. Maatregelen om de voorkeursgrenswaarde te bereiken zijn bijvoorbeeld het toepassen van stil wegdek op de Rondweg (N315) en de Hummeloseweg, het vergroten van de afstand tussen de woningen en de wegen of het toepassen van dove gevels. Gezien de beperkte schaal van dit plan is het niet mogelijk of gewenst om effectieve maatregelen te treffen die de geluidsbelastingen terugbrengen tot de voorkeursgrenswaarde van 48 dB.

In het gemeentelijke geluidbeleid 'Geluidbeleid Bronckhorst' ligt de nadruk op het voorkomen van geluidhinder. Echter de verlening van hogere waarden is mogelijk wanneer de geluidsbelasting niet kosteneffectief is terug te brengen naar de voorkeursgrenswaarden, dan wel dat er overwegende bezwaren zijn van stedenbouwkundige, verkeerskundige, vervoerskundige, landschappelijke of financiële aard zijn. De ontwikkeling is de grootschalige woonbouwlocatie van de kern van Zelhem. Hierdoor is er sprake van de ontheffingsgrond uit het geluidbeleid te weten: 'in een dorps- of stadsvernieuwingsplan worden opgenomen'.

Op basis van het gemeentelijke geluidbeleid en de Wgh kan de gemeente Bronckhorst een hogere waarde verlenen voor de geluidsbelasting afkomstig van de Rondweg (N315) en de Hummeloseweg. De verlening van de hogere waarde vindt plaats in een aparte hogere waarde-procedure gelijktijdig met de ruimtelijke procedure. De te verlenen hogere waarden zijn weergegeven in de onderstaande tabel.

verplicht

Tabel te verlenen hogere waarden

Het ontwerpbesluit hogere waarde heeft gelijktijdig met het ontwerpbestemmingsplan ter inzage gelegen en heeft van 21 december 2023 tot 31 januari 2024 ter inzage gelegen. Tegen het ontwerp besluit zijn geen zienswijzen ingediend. Op 1 mei 2024 is het besluit hogere waarde toegekend aan bovengenoemde woningen. Het besluit is als Bijlage 6 bij dit bestemmingsplan gevoegd.

Na vaststelling van het bestemmingsplan is in dezelfde vergadering het besluit hogere waarden genomen voor bovengenoemde woningen.

Geluidshinder als gevolg nieuwe ontsluiting

Door Buro ontwerp & omgeving is een akoestisch onderzoek wegaanpassing uitgevoerd. Het onderzoek is als Bijlage 7 bij dit bestemmingsplan gevoegd.

De beoogde ontwikkeling wordt ontsloten via een ontsluiting op de Orchideestraat en met een ontsluiting op de Hummeloseweg. Voor deze twee ontsluitingen wordt de Orchideestraat en de Hummeloseweg ter plaatse van de ontsluiting aangepast. De ontsluitingen worden mogelijk gemaakt in het bestemmingsplan. In het kader van dit nieuwe bestemmingsplan moet akoestisch onderzoek de akoestische haalbaarheid aantonen van de twee nieuwe ontsluitingen op de Orchideestraat en de Hummeloseweg ten opzichte van de omliggende geluidsgevoelige bestemmingen (woningen).

Hummeloseweg

Bij alle woningen nabij de ontsluiting op de Hummeloseweg is de toename van de geluidsbelasting minder dan 2 dB (onafgerond 1,50 dB). Hierdoor is geen sprake van een reconstructie in de zin van de Wgh. Er zijn dan ook geen maatregelen nodig voor de realisatie van de nieuwe ontsluiting op de Hummeloseweg in het kader van de Wgh.

Orchideestraat

Doordat de Orchideestraat een 30 km-regime heeft, heeft de Orchideestraat op basis van de Wgh geen zone. Formeel gelden de normen uit de Wgh dan ook niet voor 30 km-wegen. Echter, in het kader van een goede ruimtelijke ordening, zijn bij de beoordeling van de toename geluidsbelastingen is het toetsingskader uit de Wgh gebruikt. Deze normen gelden voor een vergelijkbare weg met een 50 km-regime. Bij alle woningen nabij de ontsluiting op de Orchideestraat is de toename van de geluidsbelasting minder dan 2 dB (onafgerond 1,50 dB). Hierdoor is geen sprake van een reconstructie in de zin van de Wgh. Er zijn dan ook geen maatregelen nodig voor de realisatie van de nieuwe ontsluiting op de Orchideestraat in het kader van de Wgh.

Conclusie

Het aspect geluid vormt na verlening hogere waarden geen belemmering voor de realisatie van het plan. Verder zorgen de aangedragen nieuwe ontsluitingen niet tot een reconstructie in de zin van de Wet geluidhinder.

2.1.3.2.5 Luchtkwaliteit     

Algemeen

De Wet luchtkwaliteit (verankerd in de Wet milieubeheer hoofdstuk 5, titel 5.2) is een implementatie van diverse Europese richtlijnen omtrent luchtkwaliteit waarin onder andere grenswaarden voor vervuilende stoffen in de buitenlucht zijn vastgesteld ter bescherming van mens en milieu. In Nederland zijn stikstofdioxide (NO2) en zwevende deeltjes als PM10 (fijn stof) de maatgevende stoffen waar de concentratieniveaus het dichtst bij de grenswaarden liggen. Overschrijdingen van de grenswaarden komen, uitzonderlijke situaties daargelaten, bij andere stoffen niet voor.

Hoewel de luchtkwaliteit de afgelopen jaren flink is verbeterd kan Nederland niet voldoen aan de luchtkwaliteitseisen die in 2010 van kracht zijn geworden. De EU heeft Nederland derogatie (uitstel) verleend op grond van het Nationaal Samenwerkingsprogramma Luchtkwaliteit (NSL). Dit betreft een gemeenschappelijke aanpak van het Rijk en diverse regio's om samen te werken aan een schonere lucht waarbij ruimte wordt geboden aan noodzakelijke ruimtelijke ontwikkelingen. Projecten die in betekenende mate bijdragen aan luchtverontreiniging worden opgenomen in het NSL in de provincies c.q. regio's waar overschrijdingen plaatsvinden. Het maatregelenpakket in het NSL is hiermee in evenwicht en zodanig dat op termijn de luchtkwaliteit in heel Nederland onder de grenswaarden ligt.

Projecten die 'niet in betekenende mate' (NIBM) bijdragen aan luchtverontreiniging hoeven niet langer individueel getoetst te worden aan de Europese grenswaarden aangezien deze niet leiden tot een significante verslechtering van de luchtkwaliteit. Deze grens is in de AMvB NIBM gelegd bij 3% van de grenswaarde van een stof: Voor NO2 en PM10 betekent dit dat aannemelijk moeten worden gemaakt dat het project tot maximaal 1,2 ug/m³ verslechtering leidt. Voor een aantal functies (o.a. woningen, kantoren, tuin- en akkerbouw) is dit gekwantificeerd in de ministeriële regeling NIBM. Zo staat een grenswaarde van 3% gelijk aan bijvoorbeeld de bouw van circa 1500 woningen met één ontsluitingsweg;

Uit het oogpunt van een goede ruimtelijke ordening wordt afgewogen of het aanvaardbaar is het plan op deze plaats te realiseren. Hierbij kan de blootstelling aan luchtverontreiniging een rol spelen, ook als het project 'niet in betekenende mate' bijdraagt aan de luchtverontreiniging. Er is sprake van een significante blootstellingsduur als de verblijfsduur die gemiddeld bij de functie te verwachten is significant is ten opzichte van een etmaal. Volgens de toelichting op de Regeling Beoordeling luchtkwaliteit is dit onder andere het geval bij een woning, school of sportterrein.

Gevoelige bestemmingen als scholen, kinderdagverblijven, bejaarden- en zorgtehuizen genieten op grond van de gelijknamige AMvB extra bescherming: substantiële uitbreiding of nieuwvestiging binnen 50 meter van een provinciale weg of 300 meter van een rijksweg is alleen toegestaan als de concentraties luchtvervuilende stoffen zich onder de grenswaarden bevinden, waardoor geen onacceptabele gezondheidsrisico's optreden.

Zodra een ontwikkeling zich voordoet, die met een afwijking van de gebruiks- en/of bouwregels of wijziging mogelijk kan worden gemaakt, wordt op dat moment het aspect luchtkwaliteit onderzocht aan de op dat moment geldende wet- en regelgeving en normen.

Toetsing

Volgens de ministeriële regeling NIBM draagt een bouwplan met minder dan 1.500 woningen niet in betekenende mate bij aan de luchtverontreiniging. Toetsing aan de grenswaarden is derhalve niet noodzakelijk.

In het kader van een goede ruimtelijke ordening is de lokale luchtkwaliteit onderzocht, zodat onacceptabele gezondheidsrisico's kunnen worden uitgesloten. Hiertoe is het Centraal Instrument Monitoring Luchtkwaliteit (CIMLK) uit het Nationaal Samenwerkingsprogramma Luchtkwaliteit (NSL) van de rijksoverheid geraadpleegd. Het CIMLK geeft inzicht in de concentraties stikstofdioxide (NO2) en fijn stof (PM10) in het besluitgebied tussen 2021 en 2030. Het CIMLK maakt duidelijk dat de concentraties luchtvervuilende stoffen in de peiljaren 2021 en 2030 in het besluitgebied onder de grenswaarden liggen die op Europees niveau zijn vastgesteld ter bescherming van mens en milieu tegen schadelijke gevolgen van luchtverontreiniging. De blootstelling aan luchtverontreiniging is hierdoor beperkt en leidt niet tot onaanvaardbare gezondheidsrisico's.    

In het plangebied worden geen gevoelige functies beoogd zoals bedoeld in het 'Besluit gevoelige bestemmingen'. Toetsing aan de grenswaarden is daarom niet noodzakelijk.

Conclusie

Omdat het plan 'niet in betekenende mate' bijdraagt aan de luchtverontreiniging, vormt het aspect luchtkwaliteit geen belemmering voor de uitvoering van dit plan.

2.1.3.2.6 Geur     

Algemeen

De Wet geurhinder en veehouderij (Wgv) vormt het toetsingskader bij de verlening van een milieuvergunning voor een veehouderij. Hiervoor zijn in de Wgv zowel geurnormen als afstandsnormen vastgelegd ter bescherming van de omliggende geurgevoelige objecten, zoals woningen, rondom veehouderijen. De landelijke wetgever heeft door middel van de geurnormen en afstandsnormen vastgelegd welke geurhinder acceptabel is. De gemeente kan echter voor haar grondgebied afwijkende geurnormen vaststellen. Deze afwijkende geurnormen kunnen zowel hoger als lager zijn en deze worden vastgelegd in een gemeentelijke geurverordening. Zowel de Wgv en het gemeentelijke geurbeleid is primair bedoeld als toetsingskader bij de vergunningverlening bij veehouderijen.

Daarnaast kan de Wgv en het gemeentelijke geurbeleid worden gebruikt bij de toetsing van de planologische aanvaardbaarheid van nieuwe geurgevoelige objecten nabij veehouderijen. Daarbij wordt gekeken of het aanvaardbaar is om een nieuw geurgevoelig object te realiseren nabij de bestaande veehouderijen. Deze omgekeerde toetsing wordt ook wel de omgekeerde werking genoemd. Door middel van de omgekeerde werking wordt voorkomen dat mensen worden blootgesteld aan overmatige geurhinder. Wanneer wordt voldaan aan de normen uit de Wgv of de gemeentelijke geurverordening dan is een aanvaardbaar woon- en verblijfsklimaat gegarandeerd en worden bestaande rechten van de omliggende veehouderijen niet aantast. Voor veehouderijen die meldingsplichtig zijn geldt de Wgv niet. Deze veehouderijen moeten voor geur worden getoetst aan de geurnormen uit het Activiteitenbesluit. De geurnormen uit het Activiteitenbesluit zijn echter gelijk aan de geurnormen uit de Wgv.

Wet geurhinder en veehouderij (Wgv)

In de Wgv worden alleen normen genoemd voor de individuele veehouderijen. De geurnorm op basis van een individuele geurbelasting wordt de voorgrondbelasting genoemd. De hoogte van de normen voor de geurgevoelige objecten nabij het plangebied zijn bepaald op basis van de volgende kenmerken:

  • De nieuwe woningen zijn geurgevoelige objecten, welke geen relatie heeft tot een agrarisch bedrijf;
  • Het plangebied ligt binnen de bebouwde kom.

Toetsing

In de directe omgeving van het plangebied zijn geen veehouderijen gelegen. Gezien de ligging van het plangebied binnen de bebouwde kom, dient de afstand tot agrarische bedrijven met dieren welke een vaste richtafstand hebben minimaal 100 meter te bedragen.

De dichtsbijzijnde veehouderij met vaste richtafstand ligt op circa 900 meter van het plangebied. Hiermee vormt deze veehouderij geen belemmering voor de ontwikkeling. De dichtsbijzijnde veehouderij zonder vaste richtafstand ligt op circa 1.200 meter van het plangebied. Deze afstand is zodanig dat enige vorm van geurhinder niet wordt verwacht.

Gezien het feit dat er op kortere afstand van de betreffende varkenshouderij reeds geurgevoelige objecten (bestaande woningen) zijn gelegen, wordt de veehouderij zonder vaste richtafstand door de realisatie van onderhavig plan ook niet in zijn ontwikkelingsmogelijkheden belemmerd.

De nieuwe woningen zorgen dus niet voor een verdere beperking van de bedrijfsvoeringen van veehouderijen in de omgeving. Er is hiermee tevens sprake van een goed woon- en leefklimaat ter plaatse van de nieuwe woning.

Conclusie

Het aspect geur vormt geen belemmering voor onderhavig plan.

2.1.3.2.7 Bedrijven en milieuzonering     

Algemeen

Indien door middel van een plan nieuwe, milieuhindergevoelige functies mogelijk worden gemaakt, dient te worden aangetoond dat deze niet worden gerealiseerd binnen de hinderzone van omliggende bedrijven. Anderzijds mogen milieuhindergevoelige functies in de directe omgeving van het plangebied niet negatief worden beïnvloed door de ontwikkelingen die met een plan mogelijk worden gemaakt.

Wat betreft de aanbevolen afstanden tussen bedrijvigheid en gevoelige functies, zoals wonen, is de brochure 'Bedrijven en milieuzonering' (2009) van de Vereniging van Nederlandse Gemeenten geraadpleegd. Hierin worden richtafstanden voor het omgevingstype 'gemengd gebied' als 'rustige woonwijk' en 'rustig buitengebied' aanbevolen.

Gemengde gebieden betreffen gebieden die langs hoofdinfrastructuur liggen en/of gebieden met matige tot sterke functiemenging. In een rustige woonwijk en het buitengebied komen vrijwel geen andere functies voor. De richtafstanden gelden voor een gemiddeld nieuw bedrijf en gaan uit van het gebiedstype 'rustig woongebied'. Voor gemengde gebieden kunnen de richtafstanden worden verminderd. De afstand wordt gemeten vanaf het op de verbeelding aangeduide deel voor de bedrijfsmatige activiteit tot aan de gevel van de woningen gelegen buiten het betreffende perceel.

Toetsing

Voor de ontwikkeling van het plangebied is door Buro ontwerp & omgeving een quickscan bedrijven- en milieuzonering uitgevoerd. De quickscan is als Bijlage 8 bij dit bestemmingsplan gevoegd.

Bedrijven- en milieuzonering

Voorliggende ontwikkeling voorziet in de toevoeging van milieuhindergevoelige functies in de vorm van verschillende typen woningen. In de directe nabijheid van het projectgebied bevinden zich enkele milieuhinderveroorzakende functies. Deze zijn onderstaand weergegeven.

verplicht

De molen kent een eigen beschermingsregiem in de vorm van een 'molenbiotoop'. Deze wordt verderop in deze paragraaf nader onderbouwd. De gemeentewerf maakt onderdeel uit van het te ontwikkelen gebied. Om die reden hoeft deze niet beschouwd te worden. Het gemaal van het Waterschap blijft gehandhaafd binnen de planvorming. Dit geldt ook voor bedrijvigheid buiten het plangebied zoals de molen en de camperstalling. Voor het gemaal en de camperstalling gelden de volgende richtafstanden.

verplicht

verplicht

Zoals uit de tabellen blijkt kan worden voldaan aan de richtafstand voor de aanwezige camperstalling. De aan te houden afstand voor het rioolgemaal bedraagt 30 meter. Deze is als contour uitgezet ten behoeve van de planvorming en binnen deze afstand worden geen nieuwe woningen voorzien.

Molenbiotoop

Zoals aangegeven kent de molen zijn eigen beschermingsregiem in de vorm van een molenbiotoop. In de uitgevoerde quickscan is ook de molenbiotoop nader beschouwd.

De molenbiotoop ligt deels over het plangebied heen. Voor de molenbiotoop gelden de volgende regels:

  • onverminderd het in deze regels met betrekking tot het bouwen bepaalde, mogen geen bouwwerken, worden gebouwd binnen 100 m rond de molen, welke hoger zijn dan de onderste punt van de verticaal staande wiek;
  • voor de gronden gelegen ter plaatse van de aanduiding 'vrijwaringszone - molenbiotoop' binnen een afstand van 100 tot 400 m rond de molen bedraagt de hoogte maximaal 1/100 van de afstand tussen het bouwwerk en de molen, gerekend van de onderste punt van de verticale staande wiek;
  • de uitgroeihoogte van beplanting mag niet hoger zijn dan de bouwhoogte van bouwwerken die op grond van het bepaalde onder 1 en 2 is toegestaan.

Het plangebied ligt op meer dan 100 meter van de molen, maar wel binnen de maximale afstand van 400 meter. Voor wat betreft de bouwhoogte van de nieuwe woningen geldt dat er rekening dient gehouden te worden met de bovenstaande regels.

Binnen het plan worden circa 130 woningen gerealiseerd met een maximale bouwhoogte van 10 meter (inclusief 10 % afwijken, 11 meter mogelijk). Daarnaast wordt er in het plangebied ruimte voor groen gegeven. Vanaf de molen gezien, ligt het dichtstbijzijnde deel van het plangebied op circa 280 meter ten noordoosten van de molen, binnen de 400 meter contour ligt een groot deel van het plangebied. Omdat de molenbiotoop geldt voor het gebied binnen 400 meter vanaf het onderste punt van de verticaal staande wiek van de molen, is door Spa ingenieurs een nader onderzoek naar de molenbiotoop uitgevoerd. Het rapport is als Bijlage 9 bij dit bestemmingsplan gevoegd.


Spa merkt in haar onderzoek op dat op basis van de regels uit het bestemmingsplan er een maximale bouwhoogte geldt, afhankelijk van de afstand van de molen. Gelet op deze formule, wordt de molenbiotoop in de huidige situatie al verstoord door bestaande bebouwing. De heersende windrichting komt uit het West-Zuidwesten. Het plangebied is gelegen ten Noordoost-Noorden, Noordoosten en Oost-Noordoosten van de molen. Vanuit deze richting is de hoeveelheid wind, die sterk genoeg is voor de molen om op te draaien (4,49%), significant minder dan uit West-Zuidwestelijke richting.

Gelet op het bovenstaande, zal het realiseren van de woningen met een bouwhoogte van circa 11 meter ten Noord-Noordoosten, Noordoosten en Oost-Noordoosten van de molen op een afstand van 280 meter van de molen, aan de windvang van de molen weinig afdoen.

Conform de regels van het bestemmingsplan wordt hiermee aangetoond dat de beoogde ontwikkeling geen toenemende belemmering vormt voor de instandhouding van de molen, omdat er in deze windrichting reeds grote belemmeringen in de dichte nabijheid van de molen zijn. De molen heeft in de overige windrichtingen voldoende windvang om in stand gehouden te kunnen worden.

Zoals uit de nota van toelichting op artikel 2.64 van de omgevingsverordening blijkt, zijn er situaties waarbij ook andere belangen in het geding zijn, waarbij zekere beperkingen ten aanzien van de windvang niet altijd zijn uit te sluiten. Gezien het belang van woningbouw, de provinciale woningbouw- programmering en de behoefte aan woningbouw voor speciale doelgroepen (sociale woningbouw) is er in dit geval zeker sprake van bedoelde andere belangen.

Windhinderberekening molenbiotoop

Naar aanleiding van de ter inzage legging van het ontwerpbestemmingsplan is nader onderzoek gedaan naar de molenbiotoop in de vorm van een windhinderberekening. Deze berekening had als doel het effect van woningbouw op de windvang van de molen exact te berekenen. Dit mede gezien de ingediende zienswijzen op dit onderwerp.

De windhinderberekening is uitgevoerd door Alhof Bouwkundig Adviesbureau. Het rapport is als Bijlage 10 bij dit bestemmingsplan gevoegd.

In het rapport wordt aangegeven dat in de huidige situatie het plangebied bestaat uit gronden die voor agrarische doeleinden in gebruik zijn. Ook de gronden tussen het bouwplangebied en de molen zijn in gebruik voor landbouwdoeleinden. Voorbij het plangebied naar het noordoosten bevindt zich het bebouwde gebied van Zelhem dat aansluit aan de verder weg gelegen bosgebieden.

Realisering van het bouwplan houdt in dat de turbulentiezone tussen de houtwal en het nieuwbouwplan enerzijds en de molen anderzijds, korter wordt. Dit leidt er toe dat de molen iets minder wind aangeboden krijgt en iets meer turbulentie te verwerken zal krijgen, omdat de wind die de obstakels is gepasseerd minder gelegenheid heeft de oorspronkelijke snelheid weer op te pakken en daarmee de turbulentie te laten vervlakken.

Echter, de effecten in de zin van windsnelheidsreductie en toenemende turbulentie intensiteit ten gevolge van de nieuwbouw worden overklast door de identieke effecten van de groensingel bij het terrein van de huidige gemeentewerf. Gezien het geringe verschil in magnitude van deze beide effecten, is het niet te verwachten dat op de molen iets zal worden gemerkt van toegenomen windhinder door het nieuwbouwplan. Voorts is het zo dat de dicht bij de molen staande begroeiing de grootste windremmer blijft. Gezien de omvang van het nieuwbouwplan, de afstand van het nieuwbouwplan tot de molen, de

reeds aanwezige bebouwing en begroeiing in en rond het plangebied en de obstructies in de windbaan vlak bij de molen, zal de invloed van de nieuwbouw de windvang van molen Coops niet extra beperken.

In het bestemmingsplan is de molenbiotoop opgenoemn op de verbeelding en in de planregels. Daarbij is aanvullend de eis gesteld dat ook de broeiing in het plangebied noet hoger mag zijn dan de bestaande 11 meter.

Conclusie

Het aspect bedrijven- en milieuzonering (molenbiotoop) vormt geen belemmering voor de realisatie van het plan.

2.1.3.2.8 Externe veiligheid     

Algemeen
Het beleid voor externe veiligheid is gericht op het verminderen en beheersen van risico's van zware ongevallen met gevaarlijke stoffen in inrichtingen en tijdens het transport ervan. Op basis van de criteria zoals onder andere gesteld in het Besluit externe veiligheid inrichtingen (Bevi) worden bedrijven en activiteiten geselecteerd die een risico op zware ongevallen met zich mee (kunnen) brengen. Daarbij gaat het vooral om de grote chemische bedrijven, maar ook om kleinere bedrijven als LPG-tankstations en opslagen van bestrijdingsmiddelen. Daarnaast zijn (hoofd)transportassen voor gevaarlijke stoffen, zoals buisleidingen, spoor-, auto-, en waterwegen, ook als potentiële gevarenbron aangemerkt.

Het externe veiligheidsbeleid heeft tot doel zowel individuele burgers als groepen burgers een minimum beschermingsniveau te bieden tegen een ongeval met gevaarlijke stoffen. Om dit doel te bereiken zijn gemeenten en provincies verplicht om bij besluitvorming in het kader van de Wet algemene bepalingen omgevingsrecht (Wabo), de Wet milieubeheer en de Wet op de ruimtelijke ordening de invloed van een risicobron op zijn omgeving te beoordelen. Daartoe wordt binnen het werkveld van de externe veiligheid veelal het plaatsgebonden risico (PR) en het groepsrisico (GR) gehanteerd.

Het plaatsgebonden risico is de kans dat een persoon die zich gedurende een jaar onafgebroken onbeschermd op een bepaalde plaats bevindt, overlijdt als gevolg van een ongeval met gevaarlijke stoffen. Dit risico wordt per bedrijf en transportas vastgelegd in contouren. Er geldt een contour waarbinnen deze kans 1x10-6 (één op de miljoen) bedraagt.


Het groepsrisico is een berekening van de kans dat een groep personen binnen een bepaald gebied overlijdt ten gevolge van een ongeval met gevaarlijke stoffen. De oriëntatiewaarde geeft hierbij de indicatie van een aanvaardbaar groepsrisico. Indien een ontwikkeling is gepland in de nabijheid van een risicobron geldt afhankelijk van de ontwikkeling een verantwoordingsplicht voor het toelaten van gevoelige functies.


Besluit externe veiligheid inrichtingen (Bevi)

Voor bepaalde risicovolle bedrijven geldt het Besluit externe veiligheid inrichtingen en Regeling externe veiligheid inrichtingen (Bevi en Revi). Hierin zijn de risiconormen voor externe veiligheid met betrekking tot bedrijven met gevaarlijke stoffen wettelijk vastgelegd.


Circulaire effectafstanden LPG-tankstations

In de circulaire is de effectbenadering uitgewerkt voor LPG-tankstations. Het bevoegd gezag wordt verzocht om rekening te houden met een effectafstand van 60 meter tot (beperkt) kwetsbare objecten. Dit wil zeggen dat deze afstand in beginsel aangehouden moet worden, maar dat gemotiveerd afwijken is toegestaan door het treffen van veiligheidsmaatregelen. Daarnaast wordt verzocht om rekening te houden met een effectafstand van 160 meter tot zeer kwetsbare objecten. Naast de circulaire blijft ook de toetsing aan het Bevi noodzakelijk.


Transport van gevaarlijke stoffen (water, spoor, weg)

Voor de beoordeling van de risico's vanwege transport van gevaarlijke stoffen geldt het Besluit externe veiligheid transportroutes (Bevt en basisnet), met als uitvloeisel het zogeheten Basisnet en de bijbehorende regeling Basisnet.


Transport van gevaarlijke stoffen door buisleidingen

Voor de beoordeling van de risico's van transport van gevaarlijke stoffen door buisleidingen geldt het Besluit externe veiligheid buisleidingen (Bevb en Revb). Naast de toetsing aan het plaatsgebonden risico en het groepsrisico is hierin vastgelegd dat aan weerszijden van een buisleiding een bebouwingsvrije afstand moet worden aangehouden voor beheer en onderhoud aan de buisleidingen.

Toetsing

Binnen het plangebied wordt voorzien in nieuwe kwetsbare objecten in de vorm van woningen. De navolgende afbeelding bevat een fragment van de risicokaart Nederland. Het plangebied is aangeduid met een blauwe stippellijn.

verplicht

Uitsnede risicokaart Nederland

Op ruime afstand van het plangebied bevindt zich een LPG-station. Het LPG-station bestaat uit een LPG-afleverinstallatie, een vulpunt en een reservoir. De afstand van het PR10-6-contour bedraagt 15 meter voor de LPG afleverinstallatie, 35 meter voor het vulpunt en 25 meter voor het reservoir. Het beoogde plangebied bevindt zich ruim buiten de PR10-6-contouren, op circa 720 meter van het dichtstbijzijnde PR10-6-contour. Om deze reden hoeft er verder niet getoetst te worden aan het plaatsgebonden risico.


Daarnaast moet er nog getoetst worden aan de effectzone van een LPG-station. De nieuw te bouwen woningen zullen worden aangemerkt als kwetsbare objecten. Voor deze objecten geldt dat deze minimaal 60 meter van het LPG-station moeten staan, mits er geen veiligheidsmaatregelen zijn genomen. De nieuw te bouwen woningen zullen op circa 720 meter van het LPG-station gesitueerd worden. De nieuw te bouwen woningen bevinden zich ruim buiten 60 meter van het LPG-station.


Conclusie

Het aspect externe veiligheid vormt geen belemmering voor de realisatie van het plan.

2.1.3.2.9 Water     

Algemeen

Europees- en rijksbeleid

De Europese Kaderrichtlijn Water is richtinggevend voor de bescherming van de oppervlakte waterkwaliteit in de landen in de Europese Unie. Aan alle oppervlaktewateren in een stroomgebied worden kwaliteitsdoelen gesteld die in 2015 moeten zijn bereikt.

Op Rijksniveau is het Nationaal Waterplan het voornaamste beleidsplan. In december 2009 is dit plan vastgesteld. Het Nationaal Waterplan is de opvolger van de Vierde Nota Waterhuishouding uit 1998 en vervangt alle voorgaande nota's waterhuishouding. Het Nationaal Waterplan richt zich op bescherming tegen overstromingen, voldoende en schoon water en diverse vormen van gebruik van water. Ook worden de maatregelen genoemd die hiervoor worden genomen. Op basis van de Wet ruimtelijke ordening heeft het Nationaal Waterplan voor de ruimtelijke aspecten de status van structuurvisie.


Regionaal waterprogramma 2021-2027

Het Regionaal waterprogramma beschrijft hoe de provincie Gelderland komende jaren aan de slag gaat met water. Waterschappen houden hier rekening mee in hun Waterbeheerprogramma. Het heeft ook gevolgen voor het toetsen van milieubelastende activiteiten (die mogelijk gevolgen hebben voor watersystemen) en wateractiviteiten, zoals beschreven in de Omgevingswet. Daar waar nodig zet de provincie hulpmiddelen in om onze doelen te bereiken. Dit kan de provinciale Omgevingsverordening zijn, maar bijvoorbeeld ook samenwerkingsovereenkomsten onder andere met waterschappen. Dit beleidsdocument gaat in op de betrokkenheid van de provincie vanuit diverse invalshoeken in op het gebied van water, namelijk:

  • water en ondergrond;
  • drinkwater;
  • waterveiligheid en wateroverlast;
  • natuur;
  • waterkwaliteit.


Waterschap Rijn en IJssel

Het plangebied ligt in het beheersgebied van het Waterschap Rijn en IJssel. In het Waterbeheerprogramma 2022-2027 van Waterschap Rijn en IJssel staat beschreven wat de doelen zijn voor de komende zes jaar in de Achterhoek en Liemers en hoe het waterschap deze wil halen. Naast het uitvoeren van kerntaken zijn het aanpassen van de leefomgeving aan de gevolgen van klimaatverandering en waterveiligheid de grootste prioriteiten. Ook een schone leefomgeving en de circulaire economie en energietransitie staan hoog op de agenda. Voor het waterbeheerprogramma zijn de werkzaamheden van het waterschap weergegeven in vier thema's.


Klimaatrobuust gebied

De ambitie is om richting 2050 wendbaar invulling te geven aan het beheer, het onderhoud en de inrichting van het regionaal watersysteem. Dit wordt gedaan in combinatie met aanpassingen in gebruik en inrichting van de omgeving, zodat jaarrond een optimale balans tussen te nat en te droog wordt bereikt en tegelijkertijd inwoners, bedrijven en medeoverheden voldoende weerbaar zijn tegen de onvermijdelijke gevolgen van extreem weer.


Veilig gebied

De bescherming tegen hoog water is een randvoorwaarde om veilig te kunnen wonen en werken in ons gebied. Het waterschap zorgt voor veilige dijken, nu en in de toekomst. Dat wordt gedaan door dagelijks beheer van de keringen en door continu inzicht in de keringen. Het beheer wordt op een duurzame wijze uitgevoerd en er wordt gewerkt aan behoud en verhoging van de biodiversiteit van de dijken. De ambitie is dat de keringen van het waterschap in 2050 voldoen aan de nieuwe normen voor waterveiligheid, en dat daarbij wendbaar ingespeeld wordt op ontwikkelingen.


Circulaire Economie en Energietransitie

Het waterschap wil bij het uitvoeren van haar primaire taak zoveel mogelijk bijdragen aan het beperken van klimaatverandering. Daarbij wil zij in 2050 onderdeel zijn van een 100% circulaire economie waarin de taken klimaatneutraal worden uitgevoerd.


Gezonde leefomgeving

Het waterschap zorgt voor een schoon en gezond watersysteem voor de mensen en de natuur in het gebied. Het waterschap streeft ernaar dat het water in de leefomgeving geschikt is voor verschillende maatschappelijke functies en dat het geen risico's oplevert voor de volksgezondheid. Het doel is een oppervlaktewatersysteem te bereiken dat optimaal is voor ecologisch functioneren en biodiversiteit en natuurwaarden daarbinnen en -buiten bevordert.


Watertoets

Belangrijk instrument om water belangen in ruimtelijke plannen te waarborgen is de watertoets. Initiatiefnemers zijn verplicht in ruimtelijke plannen een beschrijving op te nemen van de gevolgen van het plan voor de waterhuishouding. Het doel van de wettelijk verplichte watertoets is te garanderen dat waterhuishoudkundige doelstellingen expliciet en op een evenwichtige wijze in het plan worden afgewogen. Deze waterhuishoudkundige doelstellingen betreffen zowel de waterkwantiteit (veiligheid, wateroverlast, tegengaan verdroging) als de waterkwaliteit (riolering, omgang met hemelwater, lozingen op oppervlaktewater).


Toetsing

Ontwikkelaar Gro.Zel en gemeente Bronckhorst zijn bezig met de voorbereiding van de nieuwe wijk 't Loo te Zelhem. Dit project moet conform de landelijke afspraken klimaatbestendig en waterrobuust moeten worden ingericht.

In opdracht van Anacon-Infra heeft Geofoxx, als onafhankelijk adviesbureau, een waterhuishoudkundig plan opgesteld – en geohydrologisch onderzoek uitgevoerd - voor de planlocatie 'Ontwikkelingslocatie Het Loo te Zelhem'. Het rapport is als Bijlage 11 bij dit bestemmingsplan gevoegd.

Aanleiding en doel

De aanleiding voor het laten uitvoeren van het onderzoek wordt gevormd door de voorgenomen nieuwbouw op de locatie en de bestemmingsplanwijziging welke hiervoor nodig is. In verband met de bestemmingsplanwijziging en de geplande woningbouw is het nodig om de lokale waterhuishouding en de gevolgen van de herontwikkeling op de huidige waterhuishoudkundige situatie in kaart te brengen. Daarnaast is het nodig om in de waterhuishoudkundige inrichting van de ontwikkelingslocatie waterberging te realiseren met als doel de wateroverlast van de naastgelegen Bloemenbuurt aan te pakken.

Resultaten

Door de ontwikkeling is in het openbaar gebied straks circa 28.340 m2 verharding aanwezig. In lijn met de beringseis (80 mm) is binnen het plangebied 2.267 m3 bergingscapaciteit benodigd. Daarnaast dient 10.000 m3 extra waterberging binnen het plangebied te worden gerealiseerd in verband met het verminderen en zo mogelijk oplossen van de wateroverlast van de naastgelegen wijk (Bloemenbuurt). Uitgangspunt is dat deze 10.000 m3 afkomstig van de Bloemenbuurt binnen 3 uur verwerkt kan worden binnen het plangebied (dynamische berging).

Waterberging Het Loo

Binnen het plangebied is gekozen om het hemelwater over het maaiveld en via natuurlijk afschot te laten afstromen naar diverse wadi’s. De wadi’s zijn in de groenstroken gelegen. In het zuiden van het plangebied komt onder de wadi’s het IT-riool te liggen. In totaal kan circa 2.185 m3 afstromend hemelwater in de wadi’s worden geborgen van de totale, benodigde 2.267 m3 op basis van het toekomstig verhard oppervlak van het plangebied Het Loo. De resterende 82 m3 zal in de overige groenstroken (in het westen van het plangebied) worden geborgen.

Waterberging Bloemenbuurt

Het water afkomstig uit de Bloemenbuurt wordt aangeboden via het hemelwaterriool in het zuidoosten van het plangebied. Hier wordt het water opgevangen in een vijver met helofytenfilter en vertraagd afgevoerd naar de vijver (inclusief groenstroken) in het westen van het plangebied via het IT-riool. In totaal kan circa 7.489 m3 extra waterberging afkomstig van de Bloemenbuurt direct binnen het plangebied Het Loo worden gerealiseerd in de beide vijvers en het IT-riool. Echter, wateraanvoer vanuit de Bloemenbuurt zal niet in één keer binnen het plangebied aanwezig zijn maar zal gedurende enkele uren worden aangeboden. Uit de capaciteitsberekening volgt dat de dynamische berging van 10.000 m3 binnen 3 uur mogelijk is indien de doorlatendheid voldoende hoog is.

Vloerpeilen

In het waterhuishoudkundig plan is een voorstel voor te hanteren vloerpeilen opgenomen. Op basis van de toekomstige inrichting van het plangebied is er voldoende ruimte aanwezig om deze aan te laten sluiten op de bestaande peilen op aangrenzende percelen, echter wordt aanbevolen om bij de verdere (civiele) uitwerking van het plan aandacht te hebben voor de hoogteverschillen welke ontstaan tussen de percelen.


Conclusie

Voor nieuwbouw plan 't Loo zijn volgens de uitgevoerde onderzoeken en berekeningen geen belemmeringen om het regenwater te bergen. Het aspect water vormt geen belemmering voor de realisatie van het plan.

2.1.3.2.10 Klimaat     

Klimaatadaptie gaat om het aanpassen van de klimaatverandering die al in gang is gezet. Door de uitstoot die reeds al in de atmosfeer zit, is klimaatverandering daarmee geen kortdurende schommeling meer, maar een langdurige verandering. Hier dienen we in het ontwerp van de buitenruimte en onze leefomgeving rekening mee te houden. Dit heet klimaatadaptatie. Het aspect van klimaatverandering welke in Nederland heel duidelijk zichtbaar is, is de toename van de hoeveelheid en de intensiteit van piekbuien. Hierdoor zien we de bestaande riolering deze hoeveelheden niet zonder meer kan afvoeren.

De ontwikkeling draagt zorgt voor de benodigde infiltratiecapaciteit van zowel het eigen plan als voor de bestaande woonwijk de Bloemenbuurt. Voor een inhoudelijke behandeling wordt verwezen naar paragraaf 2.1.3.2.9. Hierdoor compenseert het plan de toevoeging van extra verhard oppervlak, ontlast het de Bloemenbuurt en zorgt het plan ervoor dat er niet meer water het openbare gebied instroomt. Dit gebeurt onder andere door het toepassen van waterdoorlatende verharding maar ook de aanleg van een wadistructuur, bosbeek en ven.

Voor de wijze waarop met overige klimaataspecten zoals hittestress, droogte en overstroming wordt omgegaan wordt verwezen naar paragraaf 2.1.3.1.

Conclusie

Het aspect klimaat vormt geen belemmering voor de realisatie van het plan.

2.1.3.2.11 Archeologie en cultuurhistorie     

Algemeen

Op basis van artikel 3.1.6, vijfde lid, onderdeel a, van het Bro moet bij ruimtelijke ontwikkelingen worden getoetst, hoe er wordt omgegaan met de aspecten archeologie en cultuurhistorie. De bescherming van archeologische waarden is verankerd in de Erfgoedwet. Het belangrijkste doel van deze wet is de bescherming van de aanwezige en de te verwachten archeologische waarden door het reguleren van bodemverstorende activiteiten.

Toetsing

Archeologie

Het archeologisch beleid is verwerkt in het geldende bestemmingsplan 'Stedelijk gebied Bronckhorst' van de gemeente Bronckhorst'. Voor het plangebied gelden de dubbelbestemmingen 'Waarde - Archeologische verwachting 1' en Waarde - archeologische verwachting 2. Voor deze gronden geldt dat ten behoeve van het oprichten van een bouwwerk groter dan respectievelijk 250 m2 en 1.000 m2 de aanvrager een archeologisch rapport dient te overleggen.

Hamaland Advies heeft in opdracht van Buro Ontwerp & Omgeving een archeologisch bureauonderzoek en verkennend en karterend booronderzoek uitgevoerd naar het plangebied. Het onderzoek is als Bijlage 12 bij dit bestemmingsplan gevoegd. Het onderzoek bestaat uit een drietal fasen, welke hieronder zijn weergegeven.

verplicht

Fasering archeologisch onderzoek

Fasering

Fase 1 en 2 van het onderzoek zijn in begin 2022 uitgevoerd. Dit onderzoek vond plaats ten behoeve van de geplande ontwikkeling van het plangebied voor woningbouw met tuin en bijbehorende infrastructuur. Fase 1 en 2 van het plangebied ligt ten westen van de bebouwde kom van Zelhem tussen de Hummeloseweg, de Rondweg, de Toonkweg en de Orchideestraat. Deze fases hebben een gezamenlijke oppervlakte van circa 37.100 m² (3,7 ha).

Het onderzoek voor fase 3, de gemeentewerf, is in begin 2024 uitgevoerd. Dit onderzoek is in het kader van dezelfde werkzaamheden als in fase 1 en 2 uitgevoerd. Het deelgebied voor fase 3 ligt aan de Toonkweg-Kampweg en betreft de (voormalige) gemeentewerf. Het heeft een oppervlakte van circa 22.290 m² (2,229 ha).

Fase 1 en 2

De hoge archeologische verwachting voor het noordwestelijke en centrale deel van het plangebied is bevestigd met het onderzoek. Tevens is bevestigd dat het zuidoostelijke deel van het plangebied afgegraven is, waardoor de verwachting voor dit deel van het plangebied naar laag kan worden bijgesteld met als indicatie 'verstoord'.

Hamaland adviseert om een waarderend proefsleuvenonderzoek uit te voeren in het deel van het plangebied waar sprake is van een intacte bodemopbouw en de aanwezigheid van archeologische indicatoren. Dit betreft een onderzoeksgebied met een omvang 25.155 m2.

Fase 3 (Gemeentewerf)

Hamaland adviseert om een waarderend proefsleuvenonderzoek uit te voeren in het westelijke deel van het plangebied (gemeentewerf) waar sprake is van een intacte bodemopbouw en de aanwezigheid van archeologische indicatoren. Dit betreft een onderzoeksgebied met een omvang van circa 5.000 m2.

verplicht

Advieskaart van het plangebied met de blauw gearceerde zone binnen het oranje kader dat in aanmerking komt voor vervolgonderzoek door middel van proefsleuven. Voor het niet gearceerde deel van het plangebied wordt vrijgave geadviseerd.

Selectiebesluit

De resultaten van het onderzoek voor Fase 1, 2 en 3 zijn op 1 mei 2024 namens gemeente Bronckhorst getoetst door de Regioarcheologen van de ODA. Er zijn geen opmerkingen op het rapport. De Omgevingsdienst heeft positief geadviseerd en kan instemmen met de voorgestelde aanpak.

Ter bescherming van de archeologische waarden in het plangebied worden de archeologische dubbelbestemmingen in stand gehouden. Voorafgaand aan het bouw- en woonrijp maken zal eerst archeologisch vervolgonderzoek in de vorm van proefsleuven, zoals hierboven beschreven moeten worden uitgevoerd.


Cultuurhistorie

Het plangebied kent geen specifieke cultuurhistorische bebouwing. De landschappelijk aanwezige structuren worden met de planvorming zoveel mogelijk gerespecteerd, waarmee de nieuwe bebouwing op een landschappelijk- en cultuurhistorisch verantwoorde manier is ingepast in het landschap. Het plangebied is gelegen binnen de molenbiotoop van de Coopsmolen. Voor de inhoudelijke afwegingen ten aanzien van de molen wordt verwezen naar paragraaf 2.1.3.2.7


Conclusie

Het aspect archeologie vormt met het handhaven van de dubbelbestemming geen belemmering voor de realisatie van het plan. Het aspect cultuurhistorie vormt geen belemmering voor de realisatie van het plan.

2.1.3.2.12 Flora en fauna     

Algemeen

Bij elke ruimtelijke ontwikkeling moet, in het kader van de Wet natuurbescherming, in beeld worden gebracht of er sprake is van invloeden op natuurwaarden en beschermde soorten.


Toetsing

Quisckscan natuurtoets

Door Buro Ontwerp & Omgeving zijn in mei 2022 twee verschillende quickscans natuurtoets uitgevoerd. De eerste quickscan heeft betrekking op de agrarische gronden, de tweede op de voormalige gemeentewerf. De beide quickscans zijn als Bijlage 13 en Bijlage 14 bij dit bestemmingsplan gevoegd.

Agrarische gronden

Uit de uitgevoerd quickscan komt in het kader van de gebiedsbescherming naar voren dat het plangebied op circa 1,3 kilometer ten zuiden van het Gelders Natuurnetwerk (GNN) en op circa 1,5 kilometer ten zuiden van de Groene Ontwikkelingszone (GO). Gezien de ligging buiten deze gebieden worden de kernkwaliteiten en ontwikkelingsdoelen van het GNN en de GO bij de werkzaamheden niet aangetast. Het projectgebied maakt ook geen deel uit van een Natura 2000-gebied. Het meest nabijgelegen Natura 2000-gebied bevindt zich op circa 12,1 kilometer ten westen van het projectgebied en betreft de Rijntakken. Wel is ten behoeve van de planontwikkeling een AERIUS-berekening uitgevoerd (zie verderop in deze paragraaf).

Uit de uitgevoerde quickscan komt in het kader van de soortenbescherming naar voren dat met de ontwikkeling verstoring kan optreden voor beschermde soorten. In dat kader moet nader onderzoek worden uitgevoerd naar bunzing, hermelijn en wezel. Ook dient nader onderzoek plaats te vinden naar de steenuil.

Gemeentewerf

In de quickscan komen gezien dezelfde ligging de conclusies in het kader van de gebiedsbescherming overeen met de conclusies uit de quickscan naar de agrarische gronden. Ten aanzien van de locatie van de voormalige gemeentewerf is met name in het kader van de soortenbescherming onderzoek uitgevoerd. Uit de uitgevoerde quickscan komt in het kader van de soortenbescherming naar voren dat met de ontwikkeling verstoring kan optreden voor beschermde soorten. In dat kader moet nader onderzoek worden uitgevoerd naar vleermuizen, steenmarter, bunzing, hermelijn, wezel, eekhoorn, boomvalk, buizerd, gierzwaluw, huismus, ransuil, sperwer en steenuil. Ook dient nader onderzoek plaats te vinden naar boomkikker, kamsalamander en ringslang. Verder dient nader onderzoek plaats te vinden naar grote weerschijnvlinder en grote vos.

De nadere onderzoeken naar beide locaties, maar ook de genoemde soorten hebben in samenhang plaatsgevonden. Verder is de aanwezigheid van de das in het plangebied geconstateerd tijdens het nadere onderzoek, waarna deze ook aanvullend in de onderzoeken is meegenomen.

Nader onderzoek soortenbescherming

Door Buro Ontwerp & Omgeving is een nader ecologisch onderzoek uitgevoerd. Het nader ecologisch onderzoek is uitgevoerd naar aanleiding van de resultaten van de quickscan van mei 2022 in het plangebied. Het nader onderzoek is als Bijlage 15 bij dit bestemmingsplan gevoegd.

Nader onderzoek Das

Tijdens de quickscan van 12 april 2022 werden geen sporen of burchten van de das aangetroffen. Gedurende het nader onderzoek werd echter wel activiteit van de das vastgesteld en werd besloten dat de das nader onderzocht diende te worden. Het nader onderzoek naar de Das heeft in de periode maart tot en met augustus 2024 plaatsgevonden. Het onderzoek is als Bijlage 16 bij dit bestemmingsplan gevoegd.


Op basis van de nadere onderzoeken is een activiteitenplan in combinatie met een ontheffingsvraag noodzakelijk voor de soorten vleermuizen, steenmarter, bunzing, hermelijn, wezel, das, eekhoorn en roek. Een en ander samengevat in onderstaand schema.

verplicht


Ten behoeve van de genoemde soorten is een activiteitenplan opgesteld. Het activiteitenplan is als Bijlage 17 bij dit bestemmingsplan gevoegd. Voor de das is een afzonderlijk activiteitenplan opgesteld, welke bij de ontheffingsaanvraag is gevoegd. Het activiteitenplan voor de das is als Bijlage 18 toegevoegd.

Deze activiteitenplannen omvat maatregelen voor de soorten waarvoor ontheffing moet worden aangevraagd. Ten behoeve van de wettelijk beschermde soorten zijn ontheffingen aangevraagd. In het bestemmingsplan is een voorwaardelijke verplichting opgenomen dat niet mag worden gebouwd, alvorens de ontheffing voor de genoemde soorten is verleend.

Stikstofberekening

Het is niet op voorhand uit te sluiten of er sprake is van een significante toename van stikstof-depositie op het nabijgelegen Natura 2000-gebied. Om die reden is door Buro ontwerp & omgeving een stikstof berekening uitgevoerd. De berekening is als Bijlage 19 bij dit bestemmingsplan gevoegd.

Uit de uitgevoerde voortoets stikstofdepositie blijkt dat de bouw en het gebruik van een woonwijk met 128 woningen en een kantoorruimte aan de Hummeloseweg en Orchideestraat te Zelhem niet leidt tot een stikstofdepositie groter dan 0,00 mol/ha/jr op stikstofgevoelige habitattypen en leefgebieden van Natura 2000-gebieden. Met betrekking tot stikstofdepositie kan worden opgemerkt dat er geen significante effecten zijn op Natura 2000-gebieden en dat er geen passende beoordeling nodig is.

Conclusie

Het aspect ecologie vormt, na verlening van de ontheffing geen belemmering voor de realisatie van het plan.

2.1.3.2.13 Verkeer     

Algemeen

Bij ruimtelijke plannen moet worden aangetoond dat de ontwikkeling geen negatieve gevolgen heeft voor de verkeer- en parkeersituatie ter plaatse. Op 28 juni 2007 heeft de gemeenteraad het Gemeentelijk Verkeer en Vervoerplan (GVVP) vastgesteld. Dit plan geeft zodanig sturing aan de ontwikkeling van de mobiliteit dat de kwaliteit van zowel de bereikbaarheid, de leefbaarheid als de verkeersveiligheid in de gemeente wordt gewaarborgd. Daarnaast zijn op 16 december 2013 de 'beleidsregels 'Parkeernormen Gemeente Bronckhorst' vastgesteld. De beide documenten bieden normen en kaders die betrokken zijn bij de planvorming.

Toetsing

Verkeer

Om inzicht te bieden in de mate van verkeerstoename als gevolg van de voorgenomen ontwikkeling van circa 130 nieuwe woningen, is de verkeersaantrekkende werking bepaald. Ten aanzien van de aantallen verkeersbewegingen is aangesloten bij de publicatie CROW 381 “Toekomstbestendig parkeren; van parkeercijfers naar parkeernormen”.

Aan de hand van normen kan met de typering rest bebouwde kom en verstedelijkingsgraad 'niet stedelijk' de volgende verkeersgeneratie worden bepaald:

verplicht

Verkeersgeneratie

Uitgaande van het beoogde woningbouwprogramma en de hiervoor te hanteren normen zal de totale verkeersgeneratie minimaal 748 vervoersbewegingen en maximaal 851 verkeersbewegingen per dag opleveren. De ontsluiting van de nieuwe woonwijk is tweeledig en richt zich enerzijds op een directe nieuwe verbinding met de Hummeloseweg en de provinciale weg N315 en anderzijds op een nieuwe aantakking van de woonwijk op de Kampweg en de Orchideestraat. Deze beide ontsluitingen en aanliggende wegen hebben voldoende capaciteit om de nieuwe verkeersbewegingen op te vangen.

Parkeren

Om inzicht te bieden in de nieuwe parkeervraag binnen het plangebied is de parkeervraag bepaald. Hierbij is aangesloten bij de normen zoals opgenomen in de 'beleidsregels 'Parkeernormen Gemeente Bronckhorst'. Dit voor zowel de opgenomen parkeernormen, als de opgenomen aanwezigheidspercentages. De totale parkeerbalans is als Bijlage 20 bij dit bestemmingsplan opgenomen. Per wooncluster in het plangebeid is een afzonderlijke parkeerbalans opgesteld. Dit omdat aanwezige parkeerplaatsen gekoppeld zijn aan de woningen die in de directe nabijheid aanwezig zijn. Onderstaand is een tabel en kaartbeeld met de aanwezige clusters (a t/m f) opgenomen. In de tabel is de parkeerbehoefte en het aanwezige aantal parkeerplaatsen tegen elkaar afgezet.

Aan de hand van normen kan de volgende parkeervraag worden bepaald:

verplicht

Parkeerbalans

verplicht

Parkeerkaart per cluster

In de Nota Parkeernormen Bronckhorst wordt het parkeerbeleid voor planontwikkeling vastgelegd voor wat betreft parkeer- en stallingsruimten voor personenauto’s. De Nota Parkeernormen Bronckhorst heeft het karakter van een beleidsregel en wordt gebruikt bij de invulling van bevoegdheden op grond van de Wet Ruimtelijke Ordening (bestemmingsplan) en de Wet algemene bepalingen omgevingsrecht (omgevingsvergunning).

Het rekenen met parkeernormen is geen exacte wetenschap. De uitkomsten van een berekening bij een nieuwe ontwikkeling of een functieverandering moeten dan ook altijd naar redelijkheid toegepast worden. Maatwerk leveren is dus goed mogelijk.”

Het is aannemelijk dat bewoners van zorgappartementen een veel lager autobezit hebben dan bewoners van vergelijkbare reguliere appartementen. Een aangepaste norm van 1,5 per zorgappartement is wellicht nog aan de hoge kant. Gaan we uit van 1 auto per appartement (wat mij hoog lijkt voor de doelgroep) plus 0,3 auto’s voor bezoek dan wordt de aangepaste norm zelfs nog lager, namelijk 1,3. Het autobezit zal ongetwijfeld onder de 1 liggen dus de beargumenteerde norm komt

niet boven de 1,5 waarmee gerekend is.

Er is dus rekening gehouden met de beoogde woningdifferentiatie. Op deze wijze is geborgd dat er voldoende parkeerplaatsen gerealiseerd zullen worden Er bestaan geen landelijk voorgeschreven normen voor parkeren. Wel zijn er landelijke richtlijnen voor de hoogte en het toepassen van parkeerkencijfers. Deze zijn opgenomen in de CROW-publicatie 381 ‘Toekomstbestendig parkeren. Van parkeerkencijfers naar parkeernormen’ uit 2018. De gemeente Bronckhorst hanteert deze richtlijnen als basis.

Op basis van de beleidsnota en de richtlijn is het mogelijk om een parkeernorm te hanteren die past bij het type bewoner. In het bestemmingsplan is voor het deel waar appartementen worden gerealiseerd rekening gehouden met ouderen, het betreffen de huurappartementen van Markenheem. Het autobezit bij deze groep bewoners is laag. En kan volstaan worden met een norm van 1,5 in plaats van 1,8. Zo blijft er voldoende parkeerruimte over en wordt geen parkeerprobleem verwacht.

Zoals uit te tabel valt op te maken is er in het totale plangebied een overschot aan parkeerplaatsen ten opzichte van de op basis van de normen berekende behoefte. Dit betreft een gelijkmatig verdeeld overschot over de verschillende clusters. Uitsluitend in cluster F is er een klein tekort (2,8) aan parkeerplaatsen, echter in het aangrenzende cluster (E) is weer een klein overschot aan parkeerplaatsen. Geconcludeerd wordt dat het plan hiermee ruimschoots in de beoogde parkeervraag kan voldoen.

Conclusie

Het aspect verkeer en parkeren vormt geen belemmering voor de realisatie van het plan.

2.1.3.2.14 Leidingen     

Algemeen

In het kader van het bestemmingsplan dient rekening te worden gehouden met de aanwezigheid van planologisch relevante kabels en leidingen.

Toetsing

In het plangebied is een rioolleiding gelegen die planologische bescherming geniet. Deze is overgenomen op de verbeelding. Voor het overige zijn er in en om het plangebied geen kabels en leidingen gelegen, die een juridisch- planologische bescherming genieten. Het plangebied valt niet samen met een zakelijk rechtstrook of een toetsingszone van een leiding, lijn of straalverbinding - gemeten uit het hart van een kabel, leiding of verbinding.

Conclusie

Het aspect kabels en leidingen vormt geen belemmering voor de uitvoerbaarheid van de ontwikkeling.

2.1.3.3 Volkshuisvesting     

Het bestemmingsplan maakt de ontwikkeling van circa 130 woningen mogelijk. Ca. 70% van de woningen valt in de betaalbare categorie, waarvan 30% sociale huur en 15% zorgwoningen. Het plan bestaat onder andere uit ca. 38 sociale huur, 26 zorgwoningen, 27 starterswoningen, 10 twee-onder-één kapwoningen, 24 seniorenwoningen en 5 vrijstaande woningen. Van de starters- en seniorenwoningen zijn 12 starterswoningen en 13 seniorenwoningen bestemd voor collectief particulier opdrachtgeverschap Al met al kent het plan een mooie mix van woningen.

2.1.3.4 Economisch     

Bij het eerste gaat het om de kosten en andere economische aspecten die met de verwezenlijking van het plan samenhangen. Tevens is in de Wet ruimtelijke ordening (Wro) geregeld dat in het kader van een bestemmingsplan of een omgevingsvergunning voor bepaalde bouwplannen de grondexploitatie- regeling van toepassing is.

In voorliggende planontwikkeling trekken gemeente en ontwikkelaar samen op binnen een gezamenlijke grond- en planexploitatie. De kosten voor het bouw- en woonrijp maken van de gronden komen voor rekening van deze beiden. Deze kosten worden gedekt door de gezamenlijke verkoop van de bouwkavels. De ontwikkelkosten voor de woningbouw komen voor rekening van de ontwikkelaar en voor de gemeente, de kosten worden 50-50 verdeeld. Afspraken hieromtrent zijn vastgelegd in een overeenkomst. Het kostenverhaal is daarmee anderzins geregeld.

Op basis van het bovenstaande kan geconcludeerd worden dat het plan economisch uitvoerbaar is.

2.1.3.5 Maatschappelijk     

Bij maatschappelijke uitvoerbaarheid gaat het er om hoe de verwezenlijking door de maatschappij (overheid en burgers samen) wordt gedragen. De afgelopen periode zijn er verschillende momenten geweest waarop met omwonenden en/of ander geïnteresseerden is gecommuniceerd. Onderstaand zijn deze momenten kort benoemd en omschreven.

Startnotitie uitbreidingslocatie Zelhem

Het college van burgemeester en wethouders hebben op 19 juli 2022 de startnotitie voor de woningbouwlocatie in Zelhem vastgesteld. De startnotitie is gepubliceerd op de website van de gemeente. De startnotitie betreft een document vanuit de gemeente voor ontwikkelaars dat op hoofdlijnen de uitgangspunten voor de ontwikkeling van de locatie beschrijft. De uitgangspunten komen voort uit vastgesteld beleid van de gemeente op verschillende onderdelen, zoals wonen, landschap, duurzaamheid, gezondheid enz. Ook staat er een planning in.

Het zijn de kaders voor de gesprekken die de gemeente vanuit haar regierol voert met de ontwikkelaars. De startnotitie is nog geen concrete invulling van de woningen op de locaties. De stappen voor concrete invulling, zoals het maken van een ruimtelijke visie en vervolgens een locatiepaspoort volgden op een later moment.

Woningbouwlocatie Zelhem Het Loo

Op 30 november 2022 was er kennismakingsbijeenkomst met de buurt van woningbouwlocatie Zelhem Het Loo en werd er gesproken over de aanpak en ruimtelijke visie voor woningbouw op deze locatie. Op 14 december kon iedereen die geïnteresseerd was in de plannen voor deze locatie aansluiten bij een digitale informatiebijeenkomst. De gegeven presentaties en de antwoorden op de vragen die de deelnemers stelden in de chat staan op de website van de gemeente..

Tijdens het buurtgesprek en de algemene digitale infoavond werd de oproep gedaan om je te melden als men geïnteresseerd was in het bouwen in Collectief Particulier Opdrachtgeverschap (CPO) voor een starterswoning of een seniorenwoning op de nieuwe woningbouwlocatie Zelhem Het Loo.

Ruimtelijk visie Woningbouwlocatie Zelhem Het Loo

Het college van burgemeester en wethouders stelden de ruimtelijke visie voor woningbouwlocatie Zelhem Het Loo vast op 27 juni 2023. De gemeenteraad gaf begin juni aan geen wensen en bedenkingen te hebben voor deze uitgewerkte versie. In de ruimtelijke visie staan de ruimtelijke kaders voor de ontwikkeling van deze nieuwe woningbouwlocatie. Daarnaast vormt de ruimtelijke visie de basis voor de verdere uitwerking van het stedenbouwkundig plan. De ruimtelijke visie laat zien hoe de benodigde woningen een nieuwe uitnodigende buurt vormen. De ruimtelijke visie staat op de website van de gemeente.

2.1.3.6 Overleg en inspraak     

2.1.3.6.1 Overleg     

Conform ex artikel 3.1.1. van het Bro dienen burgemeester en wethouders bij de voorbereiding van een bestemmingsplan overleg te plegen met de besturen van betrokken gemeenten en waterschappen en met de rijks- en provinciale diensten die betrokken zijn bij de zorg voor de ruimtelijke ordening of belast zijn met de behartiging van belangen welke in het plan in het geding zijn.

In het kader van het vooroverleg wordt het voorliggende bestemmingsplan toegezonden aan diverse overlegpartijen. De ontvangen reacties worden te zijner tijd voorzien van een gemeentelijke beantwoording. In het kader van het wettelijk vooroverleg is het plan toegestuurd naar:

Waterschap Rijn en IJssel:

Met het Waterschap Rijn en IJssel heeft vooroverleg plaatsgehad over het plan. De grotere opgave voor klimaatadaptatie heeft gezorgd voor vertraging richting het Waterschap. Er is nog geen officieel advies afgegeven door het Waterschap. De gesprekken zijn positief verlopen. In het plan is er veel aandacht geweest voor klimaatadaptie en ook het oplossen van de waterberging vanuit de water opgave in de Bloemenbuurt.

Provincie Gelderland

Met de Provincie Gelderland is tweemaal kort een conceptplan (niet volledig) besproken. Er is een nadere onderbouwing aangereikt wat betreft de molenbiotoop (op verzoek van de Provincie).

Beide instanties zien het ontwerpplan voor het eerst tijdens de terinzagelegging en zullen een officiële reactie geven.

2.1.3.6.2 Inspraak     

De gemeente Bronckhorst hecht grote waarde aan een goede relatie met haar inwoners, omwonenden van te ontwikkelen locaties en andere stakeholders, derhalve investeren wij in een zorgvuldig participatieproces. Bij de ontwikkeling van de woningbouwlocatie Zelhem Het Loo willen we graag dat belanghebbenden de gelegenheid krijgen om mee te doen in de planontwikkeling. We geloven dat we zo komen tot een beter plan dat aansluit bij de wensen en behoeften van Zelhem. Een plan dat kan rekenen op een zo breed mogelijk draagvlak. In een participatieplan wordt de aanpak hiervoor beschreven. Deze aanpak is niet in beton gegoten. Een kenmerk van participatie is dat we tijdens de planontwikkeling in de gaten houden hoe de verschillende belanghebbenden op een goede manier betrokken kunnen worden. Als het nodig is, zullen we onze aanpak aanpassen aan de actuele situatie.

Publieksgroepen Zelhem Het Loo:

Wie doen er mee? Bij de ontwikkeling van de woningbouwlocatie Zelhem Het Loo hebben we in de eerste plaats te maken met inwoners die een directe relatie hebben met de nieuwe woonwijk. Dat zijn de direct omwonenden aan de Hummeloseweg, de Orchideestraat en de Toonkweg en de toekomstige bewoners van de wijk. Zij worden rechtstreeks uitgenodigd deel te nemen in het participatieproces. Een aantal omwonenden heeft daarnaast een specifiek belang, bijvoorbeeld omdat hun perceel grenst aan het plangebied of omdat zij een stuk van het plangebied in bruikleen hebben.

Informatieavond omwonenden 30 november 2022:

Op 30 november 2022 hebben we de omwonenden bijgepraat over het plan en de voorliggende concept ruimtelijke visie. Dit was een positieve avond er bleken geen problemen te zijn ten aanzien van het plan.

Van deze avond is bijgaande verslaglegging gemaakt (Bijlage 21):

Deze omwonenden zijn persoonlijk benaderd om hun situatie te bespreken en om indien nodig individuele afspraken te kunnen maken. Daarnaast hebben we gezien, bijvoorbeeld tijdens de digitale informatieavond op 22 februari 2022, dat de belangstelling voor woningbouw in Zelhem groot is. Veel inwoners van Zelhem voelen zich betrokken bij de ontwikkeling van hun dorp en krijgen daarom de mogelijkheid om op delen in de planontwikkeling, zoals de inrichting van de dorpsrand, te participeren in de klankbordgroep.

Digitale informatieavond 14 december 2022:

Op 14 december 2022 kon iedereen die geïnteresseerd was in de plannen voor deze locatie aansluiten bij de druk bezochte digitale informatiebijeenkomst. Tijdens deze avond is met name de concept ruimtelijke visie en het planproces toegelicht. De presentaties en vragen en antwoorden zijn terug te zien via https://www.bronckhorst.nl/uitbreidingslocatie-zelhem.

Tijdens het buurtgesprek en de algemene digitale infoavond konden geïnteresseerden in het bouwen in Collectief Particulier Opdrachtgeverschap (CPO) van een starterswoning of een seniorenwoning op Zelhem Het Loo zich melden. Collectief Particulier Opdrachtgeverschap betekent dat een groepje mensen in een stichting samen een woonproject gaat realiseren. Ook denken de mensen samen na over een gemeenschappelijke woonomgeving

Klankbordgroep Zelhem:

De plannen zijn uitgewerkt mede in overleg met de klankbordgroep Zelhem. Dit is een groep betrokken Zelhemmers die na een oproep van de gemeente graag wilden meedenken over de plannen.

Met de klankbordgroep zijn er in 2023 drie bijeenkomsten geweest waarin de voorliggende concept plannen op een positieve constructieve wijze zijn besproken.

Ruimtelijke Visie:

B&W van Bronckhorst hebben op 27 juni 2023 de ruimtelijke visie voor woningbouwlocatie Zelhem Het Loo vastgesteld.

Deze visie geeft vorm aan de ontwikkeling van circa 130 woningen. 60% van de woningen valt in de betaalbare categorie, waarvan 30% sociale huur en 15% zorgwoningen.

De ruimtelijke visie schetst de ambitie en de ruimtelijke kaders voor de ontwikkeling van de dorpsuitbreiding. Daarnaast vormt het de basis voor de verdere uitwerking van het stedenbouwkundig plan. De ruimtelijke visie laat zien hoe de benodigde woningen een nieuwe uitnodigende buurt vormen.

De ambitie is om een duurzaam woonmilieu te maken dat past bij het dorpse karakter van Zelhem en het groene karakter versterkt. Op de locatie komt veel ruimte voor klimaatadaptie en waterberging, waarbij ook de waterproblematiek van de Bloemenbuurt in dit plangebied wordt opgelost.

Inloopavond 6 december 2023:

Het Voorlopig VerkavelingsOntwerp (VO) is inmiddels in concept klaar en kon samen met het concept ontwerp bestemmingsplan worden bekeken op de druk bezochte inloopavond op 6 december in 2023. Voor deze inloopavond zijn de omwonenden en alle belangstellenden uitgenodigd. Het VO is breed afgestemd en onder andere besproken en afgestemd met de Klankbordgroep uit Zelhem. Het VO is de basis voor het bestemmingsplan. Na het collegebesluit over het ontwerp bestemmingsplan en het VO publiceren wij het VO op https://www.bronckhorst.nl/uitbreidingslocatie-zelhem.

2.1.3.7 Conclusie     

Het plan wordt gedragen door de omgeving en bewoners van Zelhem. Het overleg met het Waterschap Rijn en IJssel en de provincie Gelderland heeft plaatsgevonden en heeft tijdens het ontwerp nog verder plaatsgevonden. Naar aanleiding van de zienswijzen is nader onderzoek uitgevoerd naar onder andere de molenbiotoop. Inmiddels is helder dat de ontwikkeling niet nadelig is voor de molenbiotoop, waarmee de provincie Gelderland uiteindelijk ook kon instemmen.

2.1.4 Juridische aspecten planonderdeel     

In deze paragraaf komen de juridische aspecten aan bod die betrekking hebben op de bestemmingen die voorkomen in dit specifieke planonderdeel. De algemene juridische aspecten zijn opgenomen in Hoofdstuk 4 Juridische aspecten algemeen.

2.1.4.1 Bestemmingsregels     

2.1.4.1.1 Bedrijf - Nutsvoorziening     

Voor de grotere nutsvoorzieningen is in het bestemmingsplan een aparte bestemming Bedrijf - Nutsvoorziening opgenomen. Zowel zendmasten als grotere rioolgemalen zijn voorzien van een aanduiding vanwege hun grotere oppervlakte, bouwhoogte en uitstraling op de omgeving. Voor deze bouwwerken is de maximale bouwhoogte opgenomen. De overige (kleine) nutsvoorzieningen vallen binnen de bestemming waar ze voorkomen (bijv. 'Verkeer'). Omdat de Wet algemene bepalingen omgevingsrecht (Wabo) reeds mogelijkheden biedt voor het vergunningvrij bouwen van de meest voorkomende nutsvoorzieningen, zijn hiervoor geen bouwregels opgenomen.

2.1.4.1.2 Bos     

Artikel 4 Bos is overeenkomstig de voor het stedelijk gebied gangbare bestemming Bos bestemd. Ter bescherming van de natuurwaarden van deze gronden is een omgevingsvergunningstelsel in de regels opgenomen.

2.1.4.1.3 Groen     

Artikel 5 Groen richt zich op het openbare gebied waar groenvoorzieningen, paden, sport- en speelvoorzieningen, water, evenementen e.d. zijn toegestaan. Het onderscheid met de bestemming 'Verkeer' is gelegen in het feit dat de groenvoorzieningen een daadwerkelijk structureel groen karakter hebben en behouden. Bij het bestemmen van de groenvoorzieningen is om die reden ook aansluiting gezocht bij het groenstructuurplan van de gemeente Bronckhorst.

Bepaalde (invals)wegen beschikken over een mooie lanenstructuur. Daar waar een fraaie lanenstructuur aanwezig is, is op de plankaart de aanduiding 'specifieke vorm van waarde - lanenstructuur' opgenomen teneinde aan te geven dat hier de aanwezige laanstructuur behouden dient te blijven.

2.1.4.1.4 Verkeer     

Artikel 6 Verkeer richt zich op het openbare gebied. Binnen deze bestemming kunnen meerdere doeleinden worden onderscheiden, zoals ontsluitingswegen, voet- en fietspaden, parkeer-, groen- en verblijfsvoorzieningen. Gelet op het openbare karakter van deze bestemming bevinden zich hier ook openbare voorzieningen en vinden activiteiten als evenementen en markten (standplaatsen voor kramen, stallen en voertuigen voor het aanbieden van goederen of diensten) plaats.

Het groen dat geen onderdeel uitmaakt van de hoofdgroenstructuur volgens het groenstructuurplan van de gemeente Bronckhorst (maar wel een ruimtelijke functie vervult) is bestemd als 'Verkeer'.

Garageboxen zijn tevens onder deze bestemming gebracht door middel van de aanduiding 'garage'. Enkel ter plaatse van deze aanduiding zijn garageboxen toegestaan, waarbij de bouwhoogte niet meer mag bedragen dan 3 m.

Om na verkoop van zogeheten 'overhoekjes' en openbaar groen door de gemeente aan particulieren, deze delen te kunnen gebruiken als tuin, is in de bestemmingsbeschrijving 'tuinen' opgenomen. Hier gelden geen bouwmogelijkheden anders dan vergunningsvrije bouwwerken.

Om terrassen ten behoeve van horeca-activiteiten in de openbare ruimte mogelijk te maken is voor bepaalde gebieden de aanduiding 'terras' opgenomen. Terrassen zijn uitsluitend daar toegelaten. Omdat deze delen van de bestemming in eigendom zijn van de gemeente, kunnen terrassen daar alleen worden gerealiseerd als de exploitant kan beschikken over deze gronden met toestemming van de gemeente.

Bepaalde (invals)wegen van de kern beschikken over een mooie lanenstructuur. Daar waar een fraaie lanenstructuur aanwezig is, is de aanduiding 'specifieke vorm van waarde - lanenstructuur' opgenomen teneinde aan te geven dat hier de aanwezige laanstructuur behouden dient te blijven.

2.1.4.1.5 Wonen     

Artikel 7 Wonen

Woningen zijn ondergebracht in de bestemming 'Wonen'. Voor regulering van de woonfunctie kan deels verwezen worden naar paragraaf 4.2.2.

Het hoofdgebouw (de woning, al dan niet met aan- en uitbouwen) kunnen worden gerealiseerd binnen het op de verbeelding aangegeven 'bouwvlak'. Deze bouwvlakken zijn, in tegenstelling tot de voorgaande plannen, niet per hoofdgebouw strak om de bestaande bebouwing getrokken, maar betreffen bouwstroken waarbinnen meerdere woningen liggen.

Bij het bepalen van de bouwvlakken worden de volgende uitgangspunten gehanteerd.

  1. zoveel mogelijk bestaande rechten respecteren, tenzij er ruimtelijk-stedenbouwkundige argumenten zijn om te beperken
  2. geen doublures met de toekomstige regels voor vergunningvrij bouwen
  3. ruimte creëren voor de toekomst
  4. toekomstige afwijkingsprocedures voorkomen
  5. rekening houden met belangen belendende bestemmingen/bebouwing
  6. rekening houden met het algemeen ruimtelijk beeld

De woningen worden als volgt gereguleerd. In beginsel worden aaneengesloten bouwvlakken gehanteerd. Woningen van eenzelfde categorie (vrijstaand, twee-aaneen, aaneengebouwd, gestapeld) die naast elkaar gesitueerd zijn, worden zoveel mogelijk in één bouwvlak geplaatst. Daarbij worden in de regel rechthoekige bouwvlakken gehanteerd. Er kunnen stedenbouwkundige redenen zijn om hier van af te wijken. Voor de situering en grootte van het bouwvlak gelden de volgende uitgangspunten:

woningtype min. afstand zijdelingse perceelgrens voetnoot: De afstand tot de zijdelingse perceelgrens geldt alleen voor 'tussensituaties' en 'eindsituaties', die niet op een hoek liggen, bij 'hoeksituaties' gelden andere uitgangspunten  diepte bouwvlak max. oppervlakte min. afstand achterste perceelgrens
vrijstaand [vrij] 5m (eindsituatie)
3m (tussensituatie)
15m 200m2 8m
twee-aaneen [tae] 3m 12m 150m2 8m
aaneengebouwd [aeg] bestaande bebouwing bestaande maat
met afwijking 10m voetnoot: Bij aaneengebouwde woningen wordt de bestaande maat gehanteerd. Het wordt ook mogelijk om, zoals bij vrijstaand en twee-aaneen, het hoofdgebouw aan de achterzijde uit te breiden middels binnenplanse afwijking. Daarbij kan sprake zijn van de schaduwwerking. Aan deze afwijkingsbevoegdheid worden criteria gesteld ter voorkoming van onevenredige hinder voor omwonenden door schaduwwerking of in verband met privacy. 
- 8m
gestapeld bestaande maat bestaande maat - -

Hoewel er door het hanteren van ruime bouwvlakken fysiek ruimte is voor de bouw van een extra woning, is daarvoor geen planologische ruimte. In de planregels is opgenomen dat het bestaand aantal woningen niet mag worden vermeerderd. Dit vanwege het regionale en gemeentelijke woonbeleid (zie paragraaf 3.4.3). Daar waar op grond van het woonbeleid nog ruimte is voor het realiseren van nieuwe woningen, is op de betreffende locaties de aanduiding 'maximum aantal woningen' opgenomen.

De plaatsing van bijbehorende bouwwerken als aan- en uitbouwen, bijgebouwen en overkappingen is in de planregels verbaal beschreven. Alleen in enkele situaties waar dat op stedenbouwkundige gronden gewenst is, is er een aanduiding 'bijgebouwen' toegepast. Bijbehorende bouwwerken zijn ook binnen het bouwvlak mogelijk. De maximale oppervlakte van bijbehorende bouwwerken op een bouwperceel is 120 m².

Voor kleinere percelen zouden de bouwmogelijkheden voor hoofdgebouw en bijbehorende bouwwerken kunnen leiden tot een ongewenste dichtheid aan bebouwing. Daarom is er per bouwwijze een maximum bebouwingspercentage van het bouwperceel opgenomen, te weten 30% voor vrijstaande woningen, 40% voor twee-aaneen woningen (halfvrijstaand) en 50% voor aaneengebouwde woningen (rijwoningen).

Binnen de woonfunctie worden onder voorwaarden nevenactiviteiten toegelaten in het hoofdgebouw en de bijbehorende bouwwerken, die qua functie hieraan ondergeschikt zijn. Deze aan huis verbonden activiteiten bestaan uit een aan huis verbonden beroep, een aan huis verbonden bedrijf, internetverkoop en bed & breakfast.

Bij een aan huis verbonden beroep en aan huis verbonden bedrijf is het uitgangspunt dat de activiteiten qua aard, omvang en uitstraling past in een woonomgeving. Bij een bedrijf geldt aanvullend dat deze vermeld moet zijn in de activiteiten in de bijgevoegde Staat van Bedrijfsactiviteiten - functiemenging. Omdat de functiemengingslijst een algemene lijst is waarnaar in meerdere bestemmingen wordt verwezen, is niet zonder meer iedere in de lijst vermelde activiteit toegelaten. Leidend is dat de activiteit past in de woonomgeving. Verder zijn er enkele kwalitatieve en kwantitatieve voorwaarden gesteld en is detailhandel als hoofdactiviteit niet toegestaan.

Bij internetverkoop gaat het om een vorm van detailhandel dat op essentiële punten afwijkt van de traditionele detailhandel in winkels. Waar die traditionele detailhandel nu in bestemmingsplannen wordt uitgesloten vanwege haar (ruimtelijke) uitstraling en effecten op de omgeving, kan internetverkoop juist vanwege de aard en uitstraling van de activiteiten wel worden toegelaten.

Bij een bed & breakfast-accommodatie geldt dat er maximaal 2 gastenkamers mogen worden gebruikt ten behoeve van bed & breakfast. Door deze bepaling is het mogelijk binnen de grenzen van het bestemmingsplan initiatieven te ontplooien ter bevordering van het toerisme.

Een gedeelte van de woning mag onder voorwaarden als afhankelijke woonruimte worden gebruikt. Daarmee is het mogelijk om ruimten binnen de woning in te richten om een naaste te kunnen verzorgen uit het oogpunt van mantelzorg Een belangrijke voorwaarde is echter wel dat er geen sprake mag zijn van woningsplitsing. Hiervoor zijn geen regels in het bestemmingsplan opgenomen omdat het landelijke Besluit omgevingsrecht (Bor) reeds in voorziet in een vergunningvrije mogelijkheid.

Om het gebruik van gronden uitsluitend voor parkeren te garanderen, is daar waar nodig op de verbeelding en in de regels de functieaanduiding 'parkeerterrein' opgenomen.

2.1.4.1.6 Leiding     

Artikel 8 Leiding - Riool

In het plangebied bevinden zich enkele persleidingen van het waterschap, welke zijn voorzien van deze dubbelbestemming. Binnen de zone mag niet worden gebouwd ten behoeve van de onderliggende bestemming, tenzij hiervoor een omgevingsvergunning met afwijking van het bestemmingsplan wordt verleend, na overleg met de leidingbeheerder. Daarnaast is voor bepaalde werken en werkzaamheden die tot beschadiging van de rioolpersleiding zou kunnen leiden een omgevingsvergunning nodig. Ook hier na overleg met de leidingbeheerder.

2.1.4.1.7 Waarde     

Waarde - Archeologische verwachting 1 en Waarde - Archeologische verwachting 2

De archeologische waarden worden beschermd door middel van dubbelbestemmingen welke zijn gebaseerd op de Archeologische beleidsadvieskaart van de gemeente Bronckhorst. Deze artikelen zijn inhoudelijk hetzelfde van opbouw, maar verschillen onderling in archeologische waarden en de regels die daar mee samenhangen. Waarde - Archeologische verwachting 1 staat voor een hoge verwachtingswaarde. Waarde - Archeologische verwachting 2 staat voor een voor een middelhoge verwachtingswaarde.

Ter bescherming van deze waarden zijn bouwregels, gebruiksregels en een omgevingsvergunningstelsel opgenomen met daarbij een onderzoeksverplichting. Het bestemmingsregime is afhankelijk van de aangetoonde waarde en de hoogte van de verwachting. De onderzoeksverplichting vervalt als er reeds onderzoeksgegevens bekend zijn of op andere wijze voldoende informatie beschikbaar is over de aanwezigheid van archeologische waarden. Er is een wijzigingsbevoegdheid opgenomen waarmee burgemeester en wethouders, als onderzoeksgegevens daartoe aanleiding geven, de dubbelbestemming geheel of gedeeltelijk kunnen laten vervallen of deze kunnen omzetten van een verwachtingswaarde naar een aangetoonde waarde.

Hoofdstuk 3 Beleidskader     

In dit hoofdstuk wordt het algemene ruimtelijke beleidskader weergegeven. De paragrafen bevatten samenvattingen van het beleid het rijks-, provinciaal-, regionaal- en gemeentelijk beleid.

3.1 Rijksbeleid     

3.1.1 Nationale Omgevingsvisie (NOVI)     

Op 11 september 2020 is de Nationale Omgevingsvisie (NOVI) vastgesteld. De NOVI biedt een langetermijnperspectief op de ontwikkeling van de leefomgeving in Nederland tot 2050.

In de NOVI zijn de maatschappelijke opgaven samengevat in vier prioriteiten:

  • ruimte voor klimaatadaptatie en energietransitie
  • duurzaam economisch groeipotentieel
  • sterke en gezonde steden en regio's
  • toekomstbestendige ontwikkeling van het landelijk gebied

Ruimte voor klimaatadaptatie en energietransitie

Een van de nationale belangen is het realiseren van een betrouwbare, betaalbare en veilige energievoorziening, die in 2050 CO2-arm is, en de daarbij benodigde hoofdinfrastructuur. Vitale functies in de maatschappij zijn afhankelijk van een betrouwbare toelevering en uitwisseling van energie. Voor iedereen moet deze energie betaalbaar zijn. Energie moet veilig worden opgewekt, gewonnen, getransporteerd, opgeslagen en gebruikt. Met betrekking tot 'ruimte voor klimaatadaptatie en energietransitie' is in de NOVI aangegeven dat de transitie naar hernieuwbare energie meer ruimte vraagt voor transport, distributie, conversie en opslag van energie, zowel boven- als ondergronds. In plaats van enkele relatief grote 'puntbronnen' (centrales) en transport van energie in één richting zal sprake zijn van meerdere, vaak decentrale en sterk in grootte verschillende bronnen (zon-, wind- en bodemenergie) en tweerichtingsverkeer (gebruik en productie) van energie.

Duurzaam economisch groeipotentieel

In het kielzog van de COVID-19-pandemie werken we hard om de gevolgen voor onze economie zoveel als mogelijk te beperken. Dat vraagt op de korte termijn om ongekende overheidsingrepen en investeringen. De kunst is om interventies en investeringen ook ten goede te laten komen aan onze ambitie voor de lange termijn: het duurzaam en circulair maken van onze economie en energievoorziening en het versterken van de kwaliteit van onze leefomgeving. Bij de locaties van kantoren, bedrijventerreinen, grootschalige logistieke functies en datacentra houden we naast de vraag van bedrijven en economische vitaliteit, de aansluiting op het verkeers en vervoersnetwerk, het elektriciteitsnetwerk rekening met de aantrekkelijkheid en kwaliteit van stad en land. We zetten daarbij in op actieve clustering van (grootschalige) logistieke functies op logistieke knooppunten langs (inter)nationale corridors.


Sterke en gezonde steden en regio's

Met de NOVI bouwen we aan sterke, aantrekkelijke en gezonde steden. We werken aan de verdere ontwikkeling van het Stedelijk Netwerk Nederland. Daar willen we naartoe groeien en een goed bereikbaar netwerk van steden en regio’s realiseren. De grote actuele woningbehoefte vraagt tegelijkertijd om oplossingen op korte termijn. Het kabinet heeft voor de korte termijn daarom een pakket aan maatregelen voorgesteld om de woningbouw een nieuwe, stevige impuls te geven. De locaties bevinden zich in het Stedelijk Netwerk Nederland. De ontwikkeling vindt plaats in lijn met de ambities van de integrale verstedelijkingsstrategie, zo veel mogelijk in bestaand stedelijk gebied, klimaatbestendig en natuurinclusief. Grote open ruimten tussen de steden houden hun groene karakter. Het aanbod en de kwaliteit van het groen in de stad worden versterkt en de aansluiting op het groene gebied buiten de stad wordt verbeterd. De COVID-19 crisis onderstreept extra het grote belang van een goede inrichting van de openbare ruimte.

Toekomstbestendige ontwikkeling van het landelijk gebied
De stikstofproblematiek raakt zowel het landelijk gebied als diverse economische sectoren zwaar. De waarde van onze natuur, het landschap én de toekomst van de landbouw staan onder druk. Daarbij is verbetering van de biodiversiteit niet alleen een ecologische, maar nadrukkelijk ook een economische uitdaging, die op de korte termijn om een doortastende aanpak vraagt. Houdbare oplossingen vragen echter tijd. Voor de lange termijn werken we daarom aan geleidelijke en zorgvuldige herindeling van het landelijk gebied, onder meer gericht op kringlooplandbouw in goed evenwicht met natuur en landschap. Dit draagt bij aan een landelijk gebied waar het prettig wonen, werken en recreëren is en waarin ruimte is en blijft voor economisch vitale landbouw als belangrijke drager van het platteland.

De NOVI gaat vergezeld van een Uitvoeringsagenda, waarin staat aangegeven hoe het Rijk invulling geeft aan zijn rol bij de uitvoering van de NOVI. In de Uitvoeringsagenda vindt u onder andere een overzicht van instrumenten en (gebiedsgerichte) programma’s op de verschillende beleidsterreinen. De Uitvoeringsagenda zal, indien nodig, jaarlijks worden geactualiseerd.

Met de NOVI presenteert het Rijk een integrale, op samenwerking gerichte aanpak. Een gebiedsgericht afwegingskader en sturende visie in één, waarbinnen we gezamenlijk optimaal kunnen werken aan het behoud van een gezond, leefbaar en economische sterk Nederland

3.1.2 Besluit algemene regels ruimtelijke ordening     

De wetgever heeft in de Wet ruimtelijke ordening (Wro), ter waarborging van nationale en provinciale belangen, de besluitmogelijkheden van lagere overheden begrensd. Indien nationale of provinciale belangen dat met het oog op een goede ruimtelijke ordening noodzakelijk maken, kunnen bij of krachtens Algemene Maatregel van Bestuur (AMvB) respectievelijk provinciale verordening regels worden gesteld omtrent de inhoud van bestemmingsplannen.

In het Besluit algemene regels ruimtelijke ordening (Barro), ook wel bekend als de AMvB Ruimte, zijn 14 nationale belangen opgenomen die juridische borging vereisen.

Het besluit is gericht op doorwerking van de nationale belangen in gemeentelijke bestemmingsplannen. Inhoudelijk gaat het om nationale belangen die samenhangen met het beschermen van ruimtelijke functies, zoals natuur in het natuurnetwerk Nederland, of met het vrijwaren van functies. Dat betekent dat de AMvB regels geeft over bestemmingen en het gebruik van gronden. Daarnaast kan zij aan de gemeente opdragen in de toelichting bij een bestemmingsplan bepaalde zaken uitdrukkelijk te motiveren.

Rijksvaarwegen

De IJssel is een rijksvaarweg gelegen in de gemeente Bronckhorst. Bij de vaststelling van bestemmingsplannen moet rekening gehouden met de belangen van rijksvaarwegen. Belemmeringen voor de doorvaart van de scheepvaart (breedte, hoogte, diepte), zichtlijnen van bemanning, navigatieapparatuur, contact met bedienings- en begeleidingsobjecten, toegankelijkheid voor hulpdiensten en het uitvoeren van beheer en onderhoud van de rijksvaarweg moeten worden voorkomen.

Grote rivieren

De IJssel, gelegen in de gemeente Bronckhorst, behoort tot een van de grote rivieren. In rivierbedden mogen alleen nieuwe bestemmingen worden opgenomen als een veilig en doelmatig gebruik van de rivier gewaarborgd blijft, de afvoercapaciteit niet wordt belemmerd, wijzigingen in de waterstand zo gering mogelijk is en de ecologische toestand van de rivier niet verslechtert. Eventuele effecten op de waterstand of het bergend vermogen, worden gecompenseerd en deze compensatie wordt in het bestemmingsplan vastgelegd.

Natuurnetwerk Nederland

Het Natuurnetwerk Nederland (NNN) is een netwerk van gebieden waar de natuur voorrang heeft. Het natuurnetwerk helpt voorkomen dat planten en dieren in geïsoleerde gebieden uitsterven en dat natuurgebieden hun waarde verliezen. Het natuurnetwerk kan worden gezien als de ruggengraat van de Nederlandse natuur.

Bij provinciale verordening worden de gebieden en de wezenlijke kenmerken hiervan aangewezen. Er worden regels gesteld om er voor te zorgen dat een bestemmingsplan geen activiteiten mogelijk maakt die per saldo leiden tot een significante aantasting van de wezenlijke kenmerken en waarden, of tot een significante vermindering van de oppervlakte van die gebieden, of van de samenhang tussen die gebieden. Dit is opgenomen in de Omgevingsverordening Gelderland (zie paragraaf 3.2.2).

Bovenstaand beschermingsregime is niet van toepassing als er sprake is van een groot openbaar belang, er geen reële alternatieven zijn en de negatieve effecten op de wezenlijke kenmerken en waarden, oppervlakte en samenhang worden beperkt en de overblijvende effecten gelijkwaardig worden gecompenseerd.

Daarnaast biedt het Barro de mogelijkheid om onder voorwaarden de begrenzing te wijzigen ten behoeve van een verbetering van de samenhang of een betere planologische inpassing van het natuurnetwerk. Maar ook ten behoeve van een kleinschalige ontwikkeling en ten behoeve van de toepassing van bovenstaand beschermingsregime.

Primaire waterkeringen buiten het kustfundament

Voor primaire waterkeringen buiten het kustfundament zijn regels opgenomen. De IJssel in de gemeente Bronckhorst kent dergelijke waterkeringen. In bestemmingsplannen deze waterkering vastgelegd en beschermd. Dit geldt ook voor gronden in een beschermingszone volgens de Waterwet. In de geldende bestemmingsplannen in de gemeente Bronckhorst, zijn waterkeringen en beschermingszones opgenomen. Een herziening van het bestemmingsplan mag geen belemmeringen opleveren voor het onderhoud, de instandhouding of de versterking van de primaire waterkering.

3.1.3 Ladder van duurzame verstedelijking     

De 'ladder voor duurzame verstedelijking' is per 1 oktober 2012 als procesvereiste opgenomen in het Besluit ruimtelijke ordening (artikel 3.1.6 lid 2 Bro). Dit artikel bepaalt dat een zorgvuldige benutting van de beschikbare ruimte voor verschillende functies gebaseerd dient te zijn op een goede onderbouwing van nut en noodzaak van een nieuwe stedelijke ruimtevraag en op een zorgvuldige ruimtelijke inpassing van de nieuwe ontwikkeling. Per 1 juli 2017 is de 'nieuwe' ladder in werking getreden. Hiermee heeft de wetgever gepoogd een aantal knelpunten die in de praktijk zijn gesignaleerd, zoveel mogelijk op te lossen.

Doel van de ladder voor duurzame verstedelijking is een goede ruimtelijke ordening in de vorm van een optimale benutting van de ruimte in stedelijke gebieden en om overprogrammering te voorkomen. Met de ladder voor duurzame verstedelijking wordt een zorgvuldige afweging en transparante besluitvorming bij alle ruimtelijke en infrastructurele besluiten nagestreefd. Voor iedere nieuwe stedelijke ontwikkeling (binnen en buiten bestaand stedelijk gebied) moet de behoefte worden beschreven in de plantoelichting. Uitgangspunt is dat een nieuwe stedelijke ontwikkeling in bestaand stedelijk gebied wordt gerealiseerd. Indien dat niet mogelijk is, dan dient dat nadrukkelijk te worden gemotiveerd in de toelichting. Daarbij kunnen de beschikbaarheid en geschiktheid van de ontwikkelingsmogelijkheden een rol spelen. De behoefte wordt onderbouwd en afgewogen op het niveau van het verzorgingsgebied van de ontwikkeling. Dit betekent dat de aard en omvang van de ontwikkeling bepalend zijn voor de reikwijdte van de beschrijving van en het overleg over de behoefte, waarvan de resultaten ook zijn opgenomen in de beschrijving.

Bij de Ladder wordt ten aanzien van de definitie van bestaand stedelijk gebied de definitie uit het Bro gehanteerd: “bestaand stedenbouwkundig samenstel van bebouwing ten behoeve van wonen, dienstverlening, bedrijvigheid, detailhandel of horeca, alsmede de daarbij behorende openbare of sociaal-culturele voorzieningen, stedelijk groen en infrastructuur.”

Het beter benutten van het bestaand stedelijk gebied kent randvoorwaarden en een concurrerende ruimtevraag die wordt opgelost door maatwerk te bieden binnen de kaders die wet- en regelgeving stellen. Uitgangspunt hierbij is een goede ruimtelijke ordening gericht op een duurzame ruimtelijke kwaliteit. Met de huidige maatschappelijke opgaven op o.a. het gebied van klimaat en energie is het duidelijk dat er meerdere claims liggen op de ruimte binnen bestaand stedelijk gebied. Deze claims moeten onderling afgewogen worden om tot zorgvuldig ruimtegebruik en een duurzame ruimtelijke kwaliteit te komen. Het transparant en helder motiveren is de essentie van het werken aan een duurzame verstedelijking.

De Ladder moet ook worden toegepast bij globale en flexibele bestemmingsplannen, op een moment dat de ontwikkeling nog niet concreet is. Ook een wijzigings- of uitwerkingsplan moet aan de Ladder worden getoetst. In zo’n geval kan dus sprake zijn van een dubbele laddertoets. In de Omgevingswet is al meegenomen dat het zwaartepunt van de te verrichten onderzoeken ligt op het moment dat ontwikkelingen meer concreet zijn. Vooruitlopend op de Omgevingswet kan bij het (globale) bestemmingsplan worden bepaald dat de laddertoets zich niet richt op de toelichting bij het bestemmingsplan, maar eerst op de toelichting bij het wijzigings- of uitwerkingsplan. De gemeenteraad kan er dus voor kiezen om de laddertoets door te schuiven, maar hoeft dit niet te doen. Het eventueel doorschuiven van de laddertoets laat onverlet dat het (globale) bestemmingsplan ter ruimtelijke onderbouwing een toelichting moet bevatten. Er geldt dus een onderzoeksplicht bij het opnemen van een wijzigingsbevoegdheid of een uitwerkingsplicht in een (globaal) bestemmingsplan. Wel wordt aangenomen dat de uitvoerbaarheid van een bestemmingsplan dat voorziet in de mogelijkheid van een wijzigings- of uitwerkingsplan, wat globaler kan worden gemotiveerd.

Provincies hebben de bevoegdheid om in hun verordening op de Ladder in het Bro aanvullende regels te stellen, mits deze niet strijdig zijn met het Bro. Bij het geven van aanvullende regels moeten provincies uitgaan van de Bro-definities en prudent omgaan met de vraag of er nog wel behoefte is om aanvullende regels te stellen.

3.2 Provinciaal beleid     

Op 19 december 2018 stelden Provinciale Staten de nieuwe Omgevingsvisie en geactualiseerde Omgevingsverordening vast. Deze plannen gaan over verkeer, water, natuur, milieu en ruimtelijke ordening. De Omgevingsvisie beschrijft de lange termijn ambities en beleidsdoelen voor de fysiek leefomgeving (zie 3.2.1). In de Omgevingsverordening zijn regels en bepalingen over de inrichting en beheer van de ruimtelijke omgeving vastgelegd (zie 3.2.2). Met de Omgevingsvisie en -verordening loopt de provincie vooruit op de Omgevingswet. Deze wet biedt meer ruimte voor initiatieven en ontwikkelingen in het fysieke domein, in gesprek met de omgeving. Wanneer het nodig is, actualiseert de provincie onderdelen van de Omgevingsvisie en -verordening. Latere aanpassingen zijn, indien van toepassing, in de navolgende paragrafen verwerkt.

3.2.1 Omgevingsvisie     

De omgevingsvisie ‘Gaaf Gelderland’ bevat de hoofdlijnen van het provinciale beleid voor de fysieke leefomgeving. De omgevingsvisie Gaaf Gelderland beschrijft de strategische hoofdopgaven voor de lange termijn. Deze zijn onderverdeeld in zeven thema’s, te weten energietransitie, klimaatadaptatie, circulaire economie, biodiversiteit, bereikbaarheid, vestigingsklimaat en woon- en leefomgeving.

Doelstellingen, ambitie en visie

De provincie verwoordt de doelstellingen, de ambitie en de visie als volgt:

Deze Omgevingsvisie gaat over ‘Gaaf Gelderland’. ‘Gaaf’ is een woord met twee betekenissen. ‘Gaaf’ betekent ‘mooi’ en gaat over wat – historisch en landschappelijk gezien - heel en mooi en ongeschonden is. Het beschermen waard! Maar ‘Gaaf’ verwijst ook naar dat wat ‘cool’ en nieuw en vernieuwend is; aantrekkelijk voor nieuwe generaties. Het ontwikkelen waard! Beide kanten zijn van toepassing op Gelderland en onlosmakelijk verbonden met de Gelderlanders. Beide aspecten zijn dan ook opgenomen in onze Gelderse Omgevingsvisie. Wij benoemen wat voor ons van waarde is en wat we willen beschermen. En: we geven richting aan wat we willen en ook moeten veranderen en ontwikkelen. Zo kunnen we met overtuiging en in vertrouwen de provincie doorgegeven aan volgende generaties. Een Gelderland van en voor ons allemaal en voor de kinderen van de toekomst.

Willen we Gelderland in de toekomst ‘gaaf’ houden, dan moeten we daar nu wat voor doen. We staan voor stevige uitdagingen. De wereld verandert ingrijpend en snel. Er zijn grote, grensoverschrijdende ontwikkelingen die ook Gelderland raken. Het energievraagstuk, klimaatverandering, uitputting van grondstoffen, kwetsbare biodiversiteit, verdere verstedelijking in combinatie met krimp, toenemende mobiliteit op de weg en in de lucht, digitalisering, internationalisering. Uitdagingen die om antwoorden vragen. Daar hebben we elkaar voor nodig: inwoners, bedrijven, organisaties, overheden. De vraagstukken van nu zijn te groot en te ingewikkeld om los van elkaar aan te pakken. Niemand heeft de oplossing alleen in handen. Samen de krachten bundelen. Dat vraagt een andere rolinvulling, ook van ons. Steeds weer en meer samen met partners optrekken op basis van gelijkwaardigheid. En, waar dat kan en nodig is, het initiatief en de ruimte aan anderen laten. Of zelf de handschoen oppakken en doorpakken.

Om samen stappen te zetten, hebben we een gezamenlijke horizon nodig: een gedeeld vergezicht, een gedeelde ambitie dat dient als leidraad voor ons handelen. In onze Omgevingsvisie ‘Gaaf Gelderland’ beschrijven wij dit vergezicht: het beeld op de toekomst. Dit beeld is het resultaat van vele vruchtbare gesprekken met partners: inwoners, ondernemers, kennisinstellingen, maatschappelijke organisaties, overheden. Een vergezicht dat het accent legt op wat wij samen belangrijk vinden. Een vergezicht dat tot de verbeelding spreekt en uitnodigt en aanspoort tot actie. En: dat ons helpt bij het gesprek over de keuzes die te maken zijn bij het vinden van concrete oplossingsrichtingen.

Een gezond, veilig, schoon en welvarend Gelderland staat daarbij centraal. Dat is het streven. Dat is waar wij aan willen werken. Dit doen wij door bij de uitoefening van onze taken de focus te leggen op een duurzaam, verbonden en economisch krachtig Gelderland. Met behulp van zeven ambities – op het terrein van energietransitie, klimaatadaptatie, circulaire economie, biodiversiteit, bereikbaarheid, economisch vestigingsklimaat en op het woon- en leefklimaat – geven wij hier richting aan. En door vier 'spelregels’ of ‘DOE-principes’ – DOEN, LATEN, ZELF en SAMEN – geven we hier werking aan. Tezamen vormen zij het kader waarbinnen wij werken en afwegingen maken.

Welke afwegingen we van geval tot geval maken? Graag nodigen wij u uit om met ons hierover in gesprek te gaan: over de keuzes die gemaakt moeten worden, de prioriteiten die we daarbij stellen en de acties die wij samen inzetten. En: om afspraken te maken en deze vast te leggen in uitvoeringsprogramma’s waar we samen – ieder vanuit zijn of haar kracht en verantwoordelijkheid – aan werken. Zo geven we invulling aan de Gelderse Omgevingsvisie en realiseren we ons wensbeeld. Als koersen wijzigen en droombeelden veranderen, dan gaan wij opnieuw met u in gesprek en passen desgewenst de Gelderse Omgevingsvisie aan. De weg naar de toekomst is immers geen rechte lijn. Maar het begin van de toekomst is nu!

Ruimte, natuur, water, milieu en verkeer en vervoer

Een vijftal wettelijk verplichte planfiguren voor het provinciaal beleid voor de leefomgeving gaat sinds 2014 op in de Omgevingsvisie. Dit gaat over planfiguren voor ruimte, natuur, water, milieu en verkeer en vervoer. Daarbij zijn gebieden en functies aangewezen. Deze blijven voortbestaan onder deze omgevingsvisie. Het gaat om de aanwijzing van functies van regionale oppervlaktewateren, van gebieden waar milieukwaliteit bijzondere bescherming behoeft, van Natura-2000 gebieden en van bijzondere natuurgebieden. Andere kaarten en functiebeschrijvingen uit de oude Omgevingsvisie Gelderland hebben een uitvoerend of informerend karakter en worden daarom overgeheveld naar programma’s of andere beleidsdocumenten, zoals het Regionaal Waterprogramma, de Handreiking Plussenbeleid en de Beleidslijn Windenergie.

Ruimtelijk beleid

Al sinds 2014 is de ruimtelijke ontwikkeling van Gelderland een maatschappelijke opgave met verantwoordelijkheden voor overheden, organisaties en partners. De provincie draagt op een toekomstbestendige manier bij, met beleid dat een duurzame economische structuur in de provincie en regio’s versterkt en dat richting geeft aan de vestigingsmogelijkheden en milieugebruiksruimte voor bedrijven. Het provinciaal belang is gelegen in het vergroten van de ruimtelijke kwaliteit. Onze klimaatbestendigheid wordt vergroot, de mogelijkheden om zonne- en windenergie op te wekken zijn in kaart gebracht (zie themakaart) en onze natuur- en landschappelijke kwaliteit blijft behouden. De provincie zet zich in voor vitale steden en dorpen en voor een duurzame verstedelijking, gericht op versterking van de stedelijke netwerken, gecombineerd met aandacht voor de vitaliteit van kleine kernen en dorpen. De kwalitatieve regionale opgave voor wonen is van provinciaal belang, net als het belang dat bij locaties met een bovenlokaal ontwikkelpotentieel die potenties benut worden. Het beleid voorziet in provinciale kaders voor het terugdringen van leegstand en overcapaciteit in gemeentelijke plannen en voor zorgvuldige locatie-afwegingen op regionaal niveau, waarbij de ladder voor duurzame verstedelijking wordt ingezet. Voor wonen en werken geldt een regionale aanpak die gericht is op een gezonde en veilige woonomgeving, waarin mensen zich met elkaar verbonden voelen en die goed bereikbaar is en goede voorzieningen heeft. Voor ontwikkelingen in de niet grondgeboden landbouw hanteert de provincie het ‘plussenbeleid’. Daarmee geeft de provincie veehouders de ruimte om hun bedrijf te ontwikkelen, maar onder voorwaarden. Bij ruimtelijke ontwikkelingen en bij het beheer van terreinen wil de provincie dat aandacht wordt besteed aan onder andere het risico op natuurbranden.

Waterbeleid

De hoofdzaken van het provinciaal beleid voor water zijn gericht op een veerkrachtig en duurzaam water- en bodemsysteem. Dit systeem bestaat uit bodem en ondergrond, grondwater en oppervlaktewater en is duurzaam als het ook in de toekomst kan blijven functioneren en in stand kan worden gehouden tegen maatschappelijk aanvaardbare kosten. De provincie onderschrijft de ambitie van de Europese Kaderrichtlijn Water dat uiterlijk in 2027 het grond- en oppervlaktewater in Europa schoon en ecologisch gezond moet zijn en dat er voldoende water is voor duurzaam gebruik en voert deze uit. De beschermde gebieden voor grondwater, waterberging, de Kaderrichtlijn Water en Natura 2000 zijn leidend bij de uitwerking van dit beleid in programma’s of in kaders in de verordening. Er worden condities gesteld voor effectief en zuinig gebruik van drinkwater, speciale waterecologie (Hoogst Ecologisch Niveau wateren en Specifiek Ecologische Doelstelling wateren), (grond)waterafhankelijke landnatuur plus de beschermingszones natte landnatuur en grondwateronttrekkingen voor drinkwater en industrie, groter dan 150.000 m3/jaar. De provincie stelt via uitvoerend beleid de doelen voor de regionale wateren voor de Kaderrichtlijn Water vast en geeft daarbij ook invulling aan de voorzieningenniveaus. Met de Gelderse waterschappen en de landbouw geeft de provincie invulling aan het vasthouden van water in de bodem, het grondwater en de haarvaten van het watersysteem. Bescherming tegen overstromingen vindt primair plaats op basis van preventie, waar nodig aangevuld met maatregelen in de ruimtelijke ordening en evacuatie. Deze bescherming gebeurt bij voorkeur in combinatie met het ontwikkelen en versterken van karakteristieke riviernatuur in Natura 2000-gebieden.

Milieubeleid

Een gezonde en veilige leefomgeving is de hoofdzaak van het milieubeleid. Dit vraagt om provinciaal beleid dat zorgt voor goede milieukwaliteit en veilige ruimtelijke keuzes. Gezondheidsschade, onacceptabele risico's en onaanvaardbare geur- en geluidhinder moeten worden voorkomen. Er wordt voldaan aan milieukwaliteitseisen. Spoedeisende bodemverontreiniging wordt gesaneerd. Ook is het van belang om op toekomstige ontwikkelingen te anticiperen, met name vanwege de energietransitie en klimaatverandering. Vooral in het stedelijk gebied kunnen de gevolgen hiervan van invloed zijn op de gezondheid. De provincie streeft naar een op gezondheid gericht benadering van de kwaliteit van de leefomgeving en het milieu.

Natuur- en landschapsbeleid

De provincie spant zich in voor een compact en hoogwaardig stelsel van onderling verbonden natuurgebieden en behoud en versterking van de kwaliteit van het landschap. Het Gelders Natuurnetwerk (GNN) en de Groene Ontwikkelingszone (GO) worden beschermd tegen aantasting van de kernkwaliteiten: dat zijn de natuurwaarden, de potentiële waarden en de omgevingscondities. Het GNN is een samenhangend netwerk van bestaande en te ontwikkelen natuur van internationaal, nationaal en provinciaal belang. Het uitgangspunt is dat in het GNN geen nieuwe initiatieven plaatsvinden, behalve ontwikkelingen van een groot algemeen of provinciaal belang of waarvoor geen alternatieven bestaan. In de GO is ruimte voor economische ontwikkeling in combinatie met een (substantiële) versterking van de samenhang tussen aangrenzende en inliggende natuurgebieden. De ecologische verbindingszones maken deel uit van de GO, evenals de weidevogelgebieden en de rustgebieden voor winterganzen. De provincie treft maatregelen vanwege de bescherming, de instandhouding of het herstel van biotopen, leefgebieden, een gunstige staat van instandhouding en het Natuurnetwerk Nederland. De provincie beschermt de achttien Natura2000 gebieden die in het GNN liggen. Verder richt het beleid zich op behoud van de basiskwaliteit van landschappen in Gelderland. Voor de landschappen van bovenregionale waarde geldt een beschermingsregiem met kernkwaliteiten en met een juridisch vangnet in de verordening, zodat de provincie in gesprek kan komen indien het provinciaal belang in het geding raakt.

Verkeers- en vervoerbeleid

De provincie streeft naar een veilige, betrouwbare en duurzame mobiliteit, als hoofdzaak van het verkeers- en vervoersbeleid. Dit wordt benaderd als een systeem waarin verschillende mobiliteitsnetwerken op elkaar inwerken, ook over provinciegrenzen heen, ter ondersteuning van een sterke economie, welvaart en welzijn. Hierbij houden wij rekening met de kwaliteit van de leefomgeving, de doorstroming binnen elk netwerk en verkeersveiligheid. De provincie heeft specifiek aandacht voor de wisselwerking en knooppunten in het systeem en gaat uit van drie principes: voorkomen, benutten en bouwen. Dit gebeurt op basis van een meerjaren-investeringsagenda en met een regionale aanpak. Via die aanpak wordt het provinciaal beleid afgestemd op het beleid van het rijk en de gemeenten. Het beleid richt zich ook op een goede regionale ontsluiting over water en ontwikkelingen van de luchtvaart.

3.2.2 Omgevingsverordening     

De omgevingsverordening vormt de juridische doorwerking van het beleid uit de Omgevingsvisie in regels. De verordening voorziet ten opzichte van de Omgevingsvisie niet in nieuw beleid en is daarmee dus beleidsneutraal. De inzet van de verordening als juridisch instrument om de doorwerking van het provinciaal beleid af te dwingen is beperkt tot die onderdelen van het beleid waarvoor de inzet van algemene regels noodzakelijk is om provinciale belangen veilig te stellen of om uitvoering te geven aan wettelijke verplichtingen. De Omgevingsverordening richt zich net zo breed als de Omgevingsvisie op de fysieke leefomgeving in de Provincie Gelderland. Dit betekent dat vrijwel alle regels die betrekking hebben op de fysieke leefomgeving opgenomen zijn in de Omgevingsverordening. Het gaat hierbij om regels op het gebied van ruimtelijke ordening, milieu, water, verkeer en bodem. Voor de niet-grondgebonden landbouw stuurt de verordening op een 'plussenbeleid' (bovenwettelijke maatregelen) bij uitbreidingen. Een en ander volgens door de gemeenten/regio's nader uit te werken beleidskaders.

3.3 Regionaal beleid     

3.3.1 Algemeen     

Op het terrein van de ruimtelijke ordening en volkshuisvesting heeft de Regio Achterhoek geen structurele overgedragen taak. Sinds september 2008 worden deze taken door de gezamenlijke gemeenten zelf opgepakt. Bestuurlijk en ambtelijk aanspreekpunt voor dit werkterrein ligt bij respectievelijk de gemeente Aalten en Bronckhorst.

3.3.2 Regionale Structuurvisie Achterhoek 2012     

De gemeenteraden van Aalten, Berkelland, Bronckhorst, Doetinchem, Oost Gelre, Oude IJsselstreek en Winterswijk hebben in hun vergaderingen van april/mei 2012 de 'Regionale structuurvisie Achterhoek 2012' vastgesteld. De gemeenteraad van Montferland heeft de visie niet formeel vastgesteld, maar daaraan wel instemming betuigd, omdat Montferland voor ruimtelijk ordening tevens deel uitmaakt van de Stadsregio.

De Regionale structuurvisie is een actualisatie van de visie uit 2004. Er is gekozen voor een actualisatie, omdat in de Achterhoek zich een aantal belangrijke en ingrijpende economische en maatschappelijke ontwikkelingen voordoen, zoals:

  • energietransitie en het inspelen op de gevolgen van de klimaatveranderingen;
  • bevolkingsverandering, krimp, vergrijzing en ontgroening;
  • de veranderingen in de landbouw en het landelijk gebied;
  • positionering van de Achterhoek in (inter)nationaal perspectief.


Deze ontwikkelingen zullen gevolgen hebben voor de manier waarop er nu gewoond, geleefd en gewerkt wordt in de Achterhoek. Ze hebben ook invloed op de wijze waarop geld verdiend wordt in de regio. Wijzigingen hierin kunnen ruimtelijke consequenties hebben. De geactualiseerde visie geeft richting aan het regionaal ruimtelijk beleid om de transitieopgaven goed te kunnen faciliteren. Dit door belangrijke ruimtelijke thema’s te agenderen en hierop afstemming tussen gemeenten te zoeken. Het doel is, dat de Achterhoek ook in de toekomst een vitale, regionale economie heeft en een zeer prettige omgeving blijft om in te wonen en te recreëren.


De visie sluit aan bij de Agenda 2020 van Regio Achterhoek en de provinciale regioverkenningen. Inhoudelijk beschrijft de structuurvisie:

  • Samenwerking op volkshuisvesting, bedrijfsvestigingen en functieveranderingsbeleid
  • Bereikbaarheid van de regio, zowel fysiek als digitaal
  • Balans tussen bestaande en nieuwe kwaliteiten in de landbouw/het landschap
  • Innoveren van de maakindustrie en landbouw en het verduurzamen van productieprocessen en energievoorziening
  • Ruimtelijk wordt de 'ja, mits' benadering leidend.

Deze visie is geen blauwdruk voor hoe het allemaal zou moeten. Respect voor het Achterhoekse landschap staat voorop, maar het ruimtelijk beleid mag innovatieve en duurzame ontwikkelingen niet in de weg staan. Van belang is om flexibel te blijven.

3.4 Gemeentelijk beleid     

3.4.1 Omgevingsvisie Bronckhorst 2035     

De Omgevingsvisie Bronckhorst 2035 is op 24 februari 2022 vastgesteld. De kern van de visie is:

verplicht

Onze karakteristieke gemeenschappen en landschappen staan er in 2035 nóg beter voor. En hoe ziet het er dan uit in 2035? Onze dorpen en buurtschappen ontwikkelen zich, elk op hun eigen manier. Passend bij hun karakter en identiteit. Alle inwoners doen mee en dragen bij aan hun gemeenschap. Activiteiten, cultuur en tradities floreren.

Er is ruimte om te ondernemen voor onze toonaangevende, technologische en ambachtelijke ondernemingen. Bronckhorst staat op de kaart als ontwikkelaar van gezonde en innovatieve agrofood producten. De banen die onze ondernemers creëren zorgen voor interessant en passend werk. Er zijn voldoende woningen om in de eigen gemeenschap te blijven wonen. In de dorpen of binnen 20 minuten fietsen vinden we de basisvoorzieningen om prettig te leven. Onze leefomgeving stimuleert meedoen, bewegen en ontmoeten.

Inwoners en bezoekers genieten van prachtige, veelzijdige landschappen. Kenmerkende groenstructuren, bomen, andere landschapselementen en ons rijke erfgoed zijn verder versterkt. Het natuurlijke systeem is op orde en veerkrachtig. De kwaliteit van bodem, water en lucht zijn goed en het landschap is in staat de effecten van het veranderende klimaat op te vangen. Boeren voeren er een gezonde bedrijfsvoering met zorg voor de omgeving en oog voor dierenwelzijn.

Zo gaven we invulling aan de vele opgaven die de komende vijftien jaar op ons afkomen. Bronckhorst zal veranderen. Er komen woningen, bedrijven en locaties voor de opwek van hernieuwbare energie. Gemeenschappen en landschappen veranderen mee, zoals ze al eeuwen mee veranderen. En zo wordt Bronckhorst de komende jaren alles bij elkaar twee keer zo mooi. Deze bovenstaande ambities vertaalden we in concrete doelen voor 2035. Deze doelen helpen ons bij het formuleren van concrete acties. En het al dan niet ondersteunen van initiatieven van inwoners. We monitoren de komende jaren in hoeverre we deze doelen bereiken en of we eventueel moeten bijsturen met nieuwe acties.


Samengevat zien onze ambitie en concrete doelen voor 2035 er als volgt uit:

verplicht

verplicht

3.4.2 Kernenbeleid     

Op 1 januari 2005 zijn vijf gemeenten samengevoegd tot 1 nieuwe gemeente. Voor de herindeling had bijna ieder dorp een eigen gemeentehuis en gemeentebestuur in de nabije omgeving. De wethouders waren bekenden en ook de meeste ambtenaren woonden in het dorp. Zij maakten deel uit van de gemeenschap en waren daardoor vanzelfsprekend op de hoogte van wat er leefde in hun dorp. Zaken die de dorpsbewoners dwars zaten werden bijvoorbeeld op informele wijze, tijdens de wekelijkse sportavond, besproken of men liep even het gemeentehuis binnen om navraag te doen hoe het met de voortgang van een bepaald project stond. Sinds de herindeling bestrijkt de gemeente nu een groot gebied, waardoor de afstand tussen de burger en de gemeente in zowel sociaal als fysiek opzicht groter is geworden. De contacten met het gemeentebestuur verlopen via formelere procedures en de gemeente moet haar aandacht verdelen over ruim 40 kernen en buurtschappen. Vanaf 1 januari 2010 is het convenant dorpsbelangenorganisaties en gemeenten van kracht.

Het kernenbeleid verschaft in het convenant duidelijkheid over de wijze waarop de gemeente omgaat met de kernen. Het kernenbeleid van de gemeente Bronckhorst wordt beschreven in de volgende twee doelstellingen:

  • Het behouden van de bestaande korte lijnen in de relatie tussen burger en bestuur. Door deze korte communicatielijnen met de burgers kan een beter draagvlak worden gecreëerd voor het gemeentelijk beleid binnen het dorp.
  • De leefbaarheid en vitaliteit van de kernen in de gemeente Bronckhorst in stand houden en verbeteren. De kernen in Bronckhorst hebben allemaal een eigen identiteit, meestal gekenmerkt door een rijk verenigingsleven en grote sociale betrokkenheid. Zowel de gemeente als de burgers willen dit graag in stand houden.

3.4.3 Woonbeleid     

De raad van Bronckhorst heeft op 18 juli 2019 de lokale woonvisie 'Ruimte voor wonen in Bronckhorst' 2019-2025 vastgesteld. De vorige woonvisie van Bronckhorst is in 2016 door de gemeenteraad vastgesteld. Deze was gebaseerd op de regionale woonagenda die in 2015 is opgesteld en vastgesteld door de Achterhoekse gemeenten, woningcorporaties en provincie Gelderland. Dit beleid is niet meer actueel. Ten opzichte van een paar jaar geleden bevindt de gemeente Bronckhorst nu in een periode van economische groei en is - mede als gevolg daarvan - de druk op de woningmarkt enorm toegenomen. De gemeente ziet daarnaast dat vraag en aanbod onvoldoende op elkaar aansluiten. Ook is de energietransitie nog hoger op de agenda komen te staan. Tot slot ziet de gemeente in de samenleving steeds meer behoefte aan nieuwe (collectieve) woonvormen. De hierboven genoemde ontwikkelingen en opgaven die daarmee samenhangen, vormen de aanleiding om het lokale en regionale woonbeleid te actualiseren.

Op 27 mei 2021 heeft de gemeenteraad ingestemd met de actualisatie van de woonvisie. Hiermee komt er nog meer ruimte voor goede woningbouwplannen. De speerpunten uit de woonvisie blijven overeind. De gemeente geeft prioriteit aan het toevoegen van toekomstbestendige woningen in een betaalbaar segment en het benutten van inbreidingslocaties en bestaand vastgoed. Met de actualisatie van de woonvisie is het aantal te realiseren woningen verhoogd en daarnaast meer mogelijk voor doorstromers, collectieve woonvormen, flexibiliteit in bestaand vastgoed en bouwen aan de randen van dorpen. Burgemeester en wethouders hebben, ter uitwerking van bouwen aan de randen van dorpen, in elk van de kernen Hengelo, Hummelo, Steenderen, Vorden en Zelhem een locatie aangewezen waar uitbreiding aan de kernrand kan plaatsvinden. Daarmee wordt in deze kernen niet op andere locaties meegewerkt aan uitbreiding van de kern of bouwen in de kernrand. In de overige kernen zijn op voorhand geen uitbreidingsgebieden aangewezen. In deze kernen worden initiatieven op zichzelf beoordeeld aan woonbeleid en ruimtelijk beleid.

Bij het opstellen van nieuw beleid baseert de gemeente zich op trends en ontwikkelingen, maar houdt tegelijkertijd rekening met de onzekerheden in de maatschappij. De wereld om ons heen blijft in snel tempo veranderen en daarom is het moeilijk om ver in de toekomst te kijken. De ontwikkeling van de bevolking door geboorte en sterfte is redelijk goed te voorspellen, maar dit geldt niet voor de invloed van migratiestromen. Daarnaast zijn ook factoren als economische groei, consumentvertrouwen, aanscherping van hypotheekeisen en toewijzingsregels bij de sociale huur van invloed. Bij wijzigingen zullen er verschuivingen optreden op de woningmarkt. Daarom gaat de gemeente uit van adaptief beleid. Dit is beleid dat de gemeente kan aanpassen op basis van nieuwe inzichten en ontwikkelingen. Aan de andere kant moet is de gemeente zich ervan bewust dat een woning een statisch 'product' is en woningen meestal voor minimaal 50 jaar gebouwd worden.

Kaders

Het coalitieprogramma 'Gewoon Doen' 2018-2022 benoemt vier grote opgaven:

• Dienstbare overheid: open en uitnodigend

• Duurzaamheid vanuit realisme

• Kwaliteit van de leefomgeving

• Proactief inspelen op demografische veranderingen

In het coalitieprogramma is daarnaast specifiek aandacht voor de kansen die jongeren en ouderen hebben op de woningmarkt, betaalbaarheid, de verduurzamingsopgave, woningsplitsing en experimenten met nieuwe woonvormen. Deze thema's komen terug in deze lokale woonvisie.

Ook in regionaal verband wordt er - samen met de provincie Gelderland - gewerkt aan een goed woonklimaat in de Achterhoek. Sinds 2019 gebeurt dit onder de vlag van "8RHK Ambassadeurs" en aan de thematafel Wonen en Vastgoed in het bijzonder. In opdracht van de thematafel wordt ook de regionale woonvisie geactualiseerd. De lokale woonvisie hangt hier nauw mee samen. Daarom zijn de uitgangspunten voor de nieuwe regionale woonvisie doorvertaald in deze lokale woonvisie voor Bronckhorst.

Monitoring en onderzoek

Om in te kunnen spelen op nieuwe trends en ontwikkelingen, is (regel)ruimte en flexibiliteit in beleid nodig. Daarnaast is monitoring essentieel. Jaarlijks vindt lokaal en regionaal uitgebreide monitoring plaats van de ontwikkelingen op de woningmarkt (huur en koop). Ook tussentijds wordt gebruik gemaakt van cijfers die inzicht geven in de woningmarkt. Een keer per vier jaar wordt er (regionaal) onderzoek gedaan naar de kwantitatieve en kwalitatieve woonbehoefte. Voor deze lokale woonvisie is onder andere gebruik gemaakt van het regionaal woonwensen- en leefbaarheidonderzoek dat in 2017/ 2018 is uitgevoerd. Het volgende onderzoek wordt uitgevoerd in 2021. De lokale woonvisie kan worden bijgesteld, als nieuwe onderzoeken en inzichten hier aanleiding voor geven. Het is dynamisch document.

Drie hoofdthema's

Bronckhorst heeft veel verschillende dorpen en een enorm buitengebied. Ieder dorp of gebied is uniek en heeft eigen karakteristieke kenmerken en kwaliteiten. De gemeente wil dat Bronckhorst als geheel een aantrekkelijk woongebied is en blijft, zowel voor de huidige inwoners als voor mensen van buiten de gemeente. Dit betekent dat de gemeente op het behouden en versterken van de bestaande (woon)kwaliteiten in de kernen en het buitengebied, zoals het landelijk wonen in een groene omgeving. Daar waar nodig voegt Bronckhorst kwaliteit aan de woningvoorraad en woonomgeving toe. Bronckhorst streeft dan ook naar een woningvoorraad die duurzaam, betaalbaar en divers is, passend bij de huidige en toekomstige woonbehoefte van de inwoners van Bronckhorst.

In deze woonvisie ligt de focus op drie thema's:

  1. Passend aanbod De (bestaande) woningvoorraad sluit aan bij de behoefte van (potentiële) inwoners, zowel in prijs, kwaliteit als in aantallen. (Bronckhorst speelt in op de woonbehoefte van huidige én toekomstige generaties.)
  2. Duurzaamheid De woningvoorraad is duurzaam en toekomstbestendig. (Bronckhorst zet in op het wooncomfort van mensen en geven de verduurzaming een impuls.)
  3. Wonen en zorg Iedereen die zorg of ondersteuning nodig heeft, kan zo lang mogelijk zelfstandig wonen óf kan terecht in een passende woonzorgvoorziening. (Bronckhorst investeert in een veilige en gezonde woning en woonomgeving.

Uitbreiding woonvoorraad

De gemeente Bronckhorst constateert een kwalitatieve mismatch tussen vraag en aanbod op de woningmarkt. Tegelijkertijd verwacht Bronckhorst gelet op de demografische ontwikkelingen - dat op langere termijn minder en andere woningen nodig zijn. Transformatie van bestaande woningen heeft daarom prioriteit. Omdat het aantal huishoudens volgens de prognoses de komende jaren nog licht toeneemt en Bronckhorst de mismatch wil oplossen, voegt Bronckhorst tot 2025 ook nog gericht woningen toe aan de voorraad.

Kwaliteit

Bronckhorst wil sturen op kwaliteit en staart zich niet blind op getallen. Wél houdt de gemeente rekening met de effecten op langere termijn. Daarom wil de gemeente dat elke woning die nog wordt toevoegd, invulling geeft aan een kwalitatieve opgave. Kortom: Bronckhorst wil de juiste woning voor de juiste doelgroep op de juiste plek.

Om invulling te geven aan een kwalitatieve opgave, wil de gemeente primair woningen toevoegen die:

  • voorzien in de aantoonbare woonbehoefte van groepen mensen waar nu onvoldoende aanbod voor is op de reguliere woningmarkt;
  • de doorstroming op de woningmarkt bevorderen;
  • een impuls geven aan de verduurzaming van de woningvoorraad;
  • duurzame woonkwaliteiten of -concepten toevoegen aan de bestaande woningvoorraad die nu nog niet of onvoldoende in Bronckhorst aanwezig zijn.

Kwantiteit

Het streven is om minimaal voldoende woningaanbod te realiseren voor de lokale woonbehoefte. ABF Research heeft in 2018 (in opdracht van de regio Achterhoek) vijf scenario's opgesteld van hoe het aantal huishoudens zich tot 2025 zou kunnen ontwikkelen.

Op basis van de verwachte huishoudensontwikkeling gaat het minimale scenario voor Bronckhorst uit van circa 400 woningen die tot 2025 nog nodig zijn om te voorzien in de behoefte; het maximale scenario gaat uit van circa 550 woningen.

De prognoses zijn geen absolute waarheid, maar geven een trend/richting aan. Met het oog op de verwachte huishoudensdaling op langere termijn, is de gemeente Bronckhorst in de vastgestelde woonvisie in 2019 uitgegaan van een woningbouwopgave van 400 woningen extra tot 2025 als richtgetal.

De afgelopen jaren is de krapte op de woningmarkt fors toegenomen, zowel in de koop als (sociale) huur. Niet alleen inwoners uit Bronckhorst zelf zoeken een woning, vaak het liefst in eigen dorp. Ook steeds meer woningzoekenden uit andere delen van het land oriënteren zich op het oosten. Bronckhorst is een aantrekkelijk gebied om te wonen, o.a. vanwege het landschap, de unieke woonkwaliteiten, werkgelegenheid en ligging. Daarom heeft de raad op 27 mei 2021 ingestemd met het voorstel om de woningbouwopgave te verhogen naar ca. 500 woningen tot 2025. Het gaat hierbij zowel om koop- als (sociale) huurwoningen.

Op basis van de daadwerkelijk aantoonbare behoefte in de kernen en het buitengebied en behoefteonderzoek voor specifieke doelgroepen (zoals arbeidsmigranten), maar ook door monitoring en trendanalyse kan de hierboven genoemde richting worden bijgesteld.

De uitgangspunten van de woonvisie

Waar voegt de gemeente toe?

De woonbehoefte is het grootst in de grotere kernen, zoals Vorden, Hengelo en Zelhem. De gemeente Bronckhorst constateert in deze kernen de grootste mismatch tussen vraag en aanbod.

Ook in veel kleine kernen en het buitengebied is er een woonbehoefte die niet altijd in het bestaande woningaanbod kan worden ingevuld. Daarom is er ook ruimte om, op basis van een aantoonbare behoefte, woningen in de kleine kernen en het buitengebied toe te voegen. Hier gaat het vooral om transformatie van bestaand vastgoed en woningsplitsing, waarbij Bronckhorst de landschappelijke kwaliteiten en de mogelijkheden voor bedrijven in het buitengebied wil waarborgen.

Hoe gaat de gemeente toevoegen?

Transformatie van bestaand (leegstaand) vastgoed heeft de voorkeur. Hierbij gaat het zowel om verbouw/ herbestemming als nieuwbouw na sloop. Ook is ruimte voor woningsplitsing en nieuwbouw. De gemeente bouwt kiest vooral voor projecten die qua omvang en kwaliteit passen bij de identiteit, uitstraling en stedenbouwkundige structuur van de kern of het gebied. Inbreiding gaat boven uitbreiding. Hierbij wordt rekening gehouden met de opgaven op het gebied van klimaatadaptatie en hittestress.

Voor wie voegt de gemeente toe?

Uitgangspunt is dat Bronckhorst woningen toevoegt voor mensen met een aantoonbare woonbehoefte die niet in de bestaande woningvoorraad kan worden ingevuld. Op basis van de uitkomsten van het AWLO (2017) en de gesprekken die zijn gevoerd, onderscheidt Bronckhorst de volgende prioritaire doelgroepen:

  • Starters: jongeren tussen 18 en 35 jaar en jonge gezinnen tot 40 jaar met een beperkt budget, die niet eerder eigenaar van een woning zijn geweest;
  • Ouderen die graag de stap willen maken van koop naar huur of naar een kleinere, betaalbare en levensloopgeschikte koopwoning;
  • Huishoudens die net teveel verdienen voor een sociale huurwoning, maar relatief weinig mogelijkheden hebben op de koopmarkt (lagere middeninkomens);
  • Mensen in een kwetsbare positie, zoals mensen die zorg en ondersteuning nodig hebben.

Wat voegt de gemeente toe?

Woningen die voor meerdere doelgroepen geschikt zijn en daarmee ook op langere termijn duurzaam inzetbaar zijn. De gemeente onderscheidt de volgende prioritaire segmenten:

  • Betaalbare grondgebonden koopwoningen voor starters (< € 225.000,-)
  • Grondgebonden koopwoningen in het middeldure prijssegment, ten behoeve van de doorstroming (indicatief: € 225.000,- tot € 300.000,-)
  • Sociale huurwoningen (tot de liberalisatiegrens < € 752,33 prijspeil 2021)
  • Middeldure huurwoningen (indicatief: < €900,-)
  • Woonzorgaanbod (intramuraal/ begeleid wonen)

Met de actualisatie van de woonvisie (2021) is daarnaast meer ruimte gecreëerd voor woningbouwplannen voor doorstromers en meer maatwerk mogelijk qua doelgroep en (prijs)segment bij transformatie van bestaand vastgoed.

Tijdelijke huisvesting

Als aanvulling op de opgave om te voorzien in voldoende reguliere (permanente) huisvesting, is er ook een opgave op het gebied van tijdelijke huisvesting. Hierbij gaat het bijvoorbeeld om arbeidsmigranten die voor een bepaalde periode in Bronckhorst verblijven voor werk. Huisvesting die specifiek voor deze doelgroep wordt gerealiseerd, is enkel bedoeld voor tijdelijke bewoning. Als arbeidsmigranten zich permanent in Bronckhorst willen vestigen, dan kunnen zij terecht in reguliere woningen.

Woningsplitsing

Algemene voorwaarden

Als basis gelden bij woningsplitsing (binnen en buiten de bebouwde kom) standaard de volgende voorwaarden:

  • Er wordt voorzien in een concrete woonbehoefte. De aanvraag moet daarom door de huidige en toekomstige bewoners gezamenlijk worden ingediend bij de gemeente.
  • Er vindt verevening plaats. Hieronder valt bijvoorbeeld een bijdrage aan het Fonds Bovenwijks, verduurzamingsmaatregelen of een extra bijdrage aan landschappelijke inpassing.

Specifieke criteria landelijk gebied

Daarnaast geldt nog een aantal specifieke ruimtelijke criteria, waarbij onderscheid is gemaakt tussen buiten of binnen de bebouwde kom. Hieronder worden de specifieke ruimtelijke criteria voor buiten de bebouwde kom weergegeven:

  1. woningsplitsing beperkt zich tot het eenmalig creëren van één extra woning binnen de bestaande contouren van een hoofdgebouw, waar reeds een verblijfsobject met een woonfunctie aanwezig is;
  2. beide woningen hebben na splitsing een gezamenlijke maximale inhoud van 750 m³. Indien en voorzover het hoofdgebouw ten tijde van de tervisielegging van het ontwerp van het plan een grotere inhoud heeft dan 750 m³, geldt de grotere inhoud als maximum;
  3. elke woning heeft na splitsing recht op 100 m² aan bijgebouwen en het meerdere wordt gesloopt tenzij meer bij recht op grond van het bestemmingsplan is toegestaan. Indien sprake is van monumentale bijgebouwen vervalt het recht op 100 m2 extra bijgebouwen;
  4. waardevolle bouwvormen en karakteristieke elementen van een gemeentelijk of rijksmonument en eventuele (monumentale) bijgebouwen dienen gehandhaafd te blijven;
  5. woningsplitsing mag niet leiden tot een onevenredige aantasting van het woon- of leefklimaat en van de in de omgeving aanwezige functies en waarden;
  6. er dient sprake te zijn van een zorgvuldige landschappelijke inpassing; de initiatiefnemer dient hiertoe een door het bevoegd gezag goed te keuren inrichtingsplan te overleggen;
  7. er wordt voldaan aan de voorwaarden zoals deze zijn opgenomen in de, op het moment van toepassen van deze afwijkingsbevoegdheid, geldende Woonvisie 2019 - 2025.

3.4.4 Welstandsnota     

De herziening van de Woningwet, die 1 januari 2003 in werking is getreden, heeft ondermeer als doel, het inzichtelijk maken van de beoordeling van de aanvragen voor bouwplannen door de welstandscommissie. Die beoordeling zelf is niet veranderd en betreft 'de aanvaardbaarheid van het bouwwerk in zijn omgeving, van het bouwwerk op zichzelf en van de toegepaste details, materialen en kleuren'. Nieuw is de vaststelling van de nota door de gemeenteraad.

De welstandsnota bevat de criteria die gelden bij de beoordeling van bouwplannen door de welstandscommissie. De reden voor dit nieuwe beleidsinstrument is én de gemeenteraad én de burger te betrekken bij het welstandsbeleid, zodat dit beleid voor een ieder inzichtelijk wordt.

De formulering luidt, dat de plannen moeten voldoen 'aan redelijke eisen van welstand'. Thans is het al lang niet meer zo dat overal op dezelfde wijze naar de plannen wordt gekeken; eerst wordt de aanvraag al getoetst aan het bestemmingsplan; in nieuwe plangebieden bepalen daarnaast beeldkwaliteitplannen waaraan de bouwplannen moeten voldoen. In beschermde stads- en dorpsgezichten wordt speciaal gelet op het historische kader. Wat 'redelijk' is voor welstand, hangt dus af van het kader waarbinnen de plannen worden getoetst.

De nota brengt samenhang in die toetsingskaders en de daarbij behorende criteria en presenteert deze overzichtelijk en inzichtelijk. Met vaststelling van de welstandsnota door de gemeenteraad kan de welstandsbeoordeling alleen nog maar gebaseerd worden op de criteria die in de welstandsnota worden genoemd.

3.4.5 Groenstructuurplan     

Het "Groenstructuurplan voor het openbaar groen" heeft tot doel om vanuit een gezamenlijke visie de gewenste groenstructuur en de gewenste kwaliteit van het groen vast te leggen en zowel kwantitatief als kwalitatief in stand te houden. Het in 2008 vastgestelde groenstructuurplan heeft een looptijd van 15 jaar en fungeert als toetsingskader voor het behouden, verwerven en afstoten van het groen. Het plan is ontwikkeld op basis van de ambities van de verschillende sleutelfiguren (onder andere ambtelijk apparaat, burgers, bestuur) in het openbaar groen. Samen hebben zij de inhoud bepaald. Het geeft een kader voor ontwerpen, inrichtingsvoorstellen en beheerplannen, levert randvoorwaarden voor de beleids- en beheerplannen voor alle deelproducten en behartigt het openbaar groen in de dorpen en de kernen in de gemeente, inclusief de sportcomplexen en begraafplaatsen die in de dorpen of kernen liggen of er aan grenzen. Tevens bevat het een aantal uitgangspunten voor het bereiken van de doelstelling.

3.4.6 Samen voor biodiversiteit     

Bronckhorst kent een prachtig buitengebied met een grote variatie in landschappen. De natuur is overal om ons heen te vinden. Maar de natuur is aan het veranderen. De diversiteit gaat hard achteruit. Het aantal soorten en de verspreiding ervan neemt af, tegelijkertijd zien we het aantal plaagsoorten toenemen. En het besef groeit dat de biodiversiteit van levensbelang is voor ons. De gemeente Bronckhorst ziet het keren van de achteruitgang als een essentiële taak om samen met inwoners op te pakken. Daarom heeft de raad van Bronckhorst op 31 oktober 2019 het beleidsplan 'Samen voor biodiversiteit' vastgesteld.


Lange termijn
De verbetering van de biodiversiteit vraagt om een lange termijn visie. Dit is een verandering van denken en handelen. Het herstel van het ecosysteem is een proces waar soms jaren van investering aan vooraf gaat. Dit vraagt van gemeente en samenleving om investering, vertrouwen en geduld. We richten ons daarom op vier sporen;

  • verankering van het thema biodiversiteit in het gemeentelijk beleid (ruimtelijke processen)
  • verankering van het thema biodiversiteit in het gemeentelijk beheer (beheer)
  • vergroten van bewustwording en handelen (communicatie en participatie)
  • activiteiten die bijdragen aan het vergroten van de biodiversiteit (projecten)


Huidige trend: verarming van de biodiversiteit
De toenemende druk op het gebruik van de buitenruimte, veranderingen in het klimaat en veranderingen in beheer hebben de laatste decennia een verarming van de biodiversiteit teweeg gebracht. Insecten verdwijnen, een groot aantal vogelsoorten neemt af en plantensoorten verdwijnen. Landschapselementen en akkerranden die voorheen vaak een onderdeel vormde van de agrarische bedrijfsvoering staan onder druk. Tegelijkertijd zien we het aantal ongewenste exotische invasieve soorten toenemen. Ook zien we een verstoring van het ecologisch evenwicht, bijvoorbeeld door de overlast van de eikenprocessierups.


Keer de trend om: Samen voor biodiversiteit!
Het herstel van de variatie aan soorten, ecosystemen en landschappen is van belang voor een rijke natuur en is de basis van ons welzijn. Ook economisch zijn wij afhankelijk van een gezond ecosysteem. Biodiversiteit gaat ons allemaal aan. Met dit plan zetten we de volgende stap om de inzet op het behoud en herstel van de biodiversiteit te vergroten, een structureel karakter te geven en zo de natuurwaarde meetbaar te versterken. Samen met bewoners, ondernemers en bedrijven geven we vanuit de gemeente Bronckhorst richting in een verbetering van de biodiversiteit en het natuurinclusief denken en doen. Dit doen we volgens het principe van 'behouden, versterken en verbinden van leefgebieden'. De Soortenatlas die bij het biodiversiteitsplan hoort geeft focus aan de vier sporen van het biodiversiteitsplan.

3.4.7 Speelruimteplan     

Het Speelruimteplan Gemeente Bronckhorst maakt op basis van demografische ontwikkelingen keuzes voor vermindering van het aantal speelplaatsen en -plekken. Doel is een passen en aantrekkelijke speelruimte die goed verdeeld is over de Bronckhorster jeugd.

De landelijke gehanteerde richtlijn voor speelplekken in plattelandsgemeentes is 1 speelplek per 30 tot 100 kinderen. Uit de analyse van onze speelruimte blijkt dat Bronckhorst volgens deze richtlijn ruim bedeeld is wat betreft speelvoorzieningen. Terwijl in Bronckhorst een afname van het aantal kinderen wordt verwacht. Bronckhorst heeft gemiddeld 2,8 speelplekken per 100 kinderen. Wij streven naar het gemiddelde van 1 plek per 100 kinderen als basisniveau voor speelvoorzieningen. Concreet betekent dit voor wijken of dorpen met:

  • minder dan ca. 30 kinderen geen traditionele speelplek maar informele speelruimte;
  • tussen de ca. 30 tot 100 kinderen een kleine speelplek;
  • rond de 100 kinderen een centrale speelplek, met iedere ca. 50 kinderen extra, een kleine speelplek extra.

Het basisniveau speelvoorzieningen realiseren we in 6 jaar. Van de 95 speelplekken (2013) vallen er 36 buiten het basisniveau. Deze plekken hebben geen functie meer en worden ingericht als openbaar groen. Op 31 van de te behouden speelplekken verminderen we het aantal toestellen door een toestel op termijn niet meer te vervangen. Op 12 speelplekken plaatsen wij toestellen bij en maken de groene omgeving rond de speelplek ook geschikt voor spelen.

3.4.8 Verkeersbeleid     

Op 28 juni 2007 heeft de gemeenteraad het Gemeentelijk Verkeer en Vervoerplan (GVVP) vastgesteld. Dit plan geeft zodanig sturing aan de ontwikkeling van de mobiliteit dat de kwaliteit van zowel de bereikbaarheid, de leefbaarheid als de verkeersveiligheid in de gemeente wordt gewaarborgd.

Het GVVP is van cruciaal belang omdat hierin de toekomstige beleidskaders voor de gemeente Bronckhorst zijn vastgelegd. Er is onderscheid gemaakt in de volgende thema's:

  • Verkeersveiligheid: eenduidige inrichting van wegen volgens de duurzaam veilig filosofie.
  • Bereikbaarheid: definiëren van verkeersaantrekkende locaties (woon, werk of bijvoorbeeld recreatieve locaties), benoemen van routes tussen hoofdwegen en deze verkeersaantrekkende locaties, beschrijven van bereikbaarheidsniveaus, prioriteren van locaties.
  • Leefbaarheid: benoemen van kwetsbare gebieden en robuuste wegen, beschrijven van acceptabele grenzen voor intensiteit, milieu en geluid en benoemen van voorwaarden.

3.4.9 Parkeerbeleid     

Op 16 december 2013 hebben burgemeester en wethouders de 'beleidsregels 'Parkeernormen Gemeente Bronckhorst' vastgesteld. Deze beleidsregels zijn op 25 december 2013 in werking getreden. De beleidsregels bevatten parkeernormen die dienen als toetsingskader voor het opstellen van ruimtelijke plannen en waar initiatiefnemers van ruimtelijke activiteiten aan moeten voldoen.

De parkeernormen geven aan hoeveel parkeerplaatsen er nodig zijn voor een bepaalde functie. Het kan gaan over woningen, kantoren en supermarkten maar bijvoorbeeld ook over een camping of een manege. Iedere functie heeft een eigen parkeernorm. De normen die in deze beleidsregels zijn opgenomen komen uit publicatie "kencijfers voor parkeren en verkeersgeneratie" van het CROW. Niet alle functies zijn opgenomen in de beleidsregels. Voor functies die niet in de beleidsregels staan hanteren wij als uitgangspunt de maximale norm uit de CROW publicatie 'kencijfers voor parkeren en verkeersgeneratie'.

De parkeernormen worden gebruikt om praktische en wettelijke redenen. Praktisch is het handig om met elkaar af te spreken hoeveel parkeerplaatsen er nodig zijn per functie. Op deze manier kan de gemeente van te voren toetsen of een nieuw of aangepast plan voorziet in voldoende parkeerplaatsen. Hiermee wordt achteraf getouwtrek en mogelijke parkeeroverlast in de toekomst voorkomen. Wettelijk gezien vloeit het gebruik en toepassen van parkeernormen voort uit de Wet ruimtelijke ordening (Wro). Binnen de Wro speelt het bestemmingplan een centrale rol. Hierdoor verdwijnen de stedenbouwkundige bepalingen uit de Bouwverordening. Een eis voor voldoende parkeergelegenheid is zo'n stedenbouwkundige bepaling. Nu deze niet meer middels de bouwverordening worden geregeld, moeten de parkeernormen op een andere manier vastgesteld worden. Het vastleggen in beleidsregels, als toetsingskader voor het opstellen van ruimtelike plannen en beoordeling van verzoeken om medewerking aan ruimtelijke ontwikkelingen, is een goed instrument voor dit doel.


Bij nieuwe ontwikkelingen of functieveranderingen moet gekeken worden naar het benodigde aantal parkeerplaatsen voor de nieuwe situatie. Is er sprake van een geheel nieuwe situatie dan moet de berekende parkeervraag in zijn geheel toegevoegd worden. Wanneer er sprake is van een functieverandering dan moet het verschil in parkeervraag tussen oude en nieuwe situatie worden toegevoegd. Vraagt de nieuwe functie om minder parkeerplaatsen dan hoeven de, eventueel, te veel aanwezige parkeerplaatsen niet verwijderd te worden.

3.4.10 Duurzaamheidsbeleid     

Op 28 maart 2019 heeft de gemeenteraad de "Routekaart Energieneutraal Bronckhorst 2030" vastgesteld. Gelijktijdig is besloten om het "Koersdocument Duurzame energie in de Achterhoek; zichtbaar, merkbaar, onmiskenbaar" vast te stellen en om deel te nemen aan het “Fonds stimulering energietransitie Achterhoek” en ten behoeve van de oprichting en het beheer van dit fonds een stichting op te richten en een fondsbeheerder aan te stellen.

Routekaart

Het einddoel is dat de gemeente Bronckhorst in 2030 net zoveel duurzame energie opwekt als deze in totaal aan energie verbruikt. Het energieverbruik vermindert met 45% ten opzichte van het verbruik in 2015. De rest van de energie die wel wordt verbruikt, komt in zijn geheel uit duurzame (lokale) bronnen.

Het doel 2030 energieneutraal staat vast. Met deze Routekaart stelt Bronckhorst tevens twee tussendoelen vast.

  • Doel 2022: 15% schone energieopwekking en 10% besparing energieverbruik
  • Doel 2026: 45% schone energieopwekking en 25% besparing energieverbruik
  • Doel 2030: 100% schone energieopwekking en 45% besparing energieverbruik

In de Routekaart is gekozen voor een combinatie van duurzaam opwekken van stroom en het winnen van warmte uit diverse bronnen. Bronckhorst zet nadrukkelijk in op alle mogelijk duurzame bronnen. Diverse scenario's van een goed gebalanceerde energiemix zijn mogelijk.

Om de doelstelling te halen is verbreding van de samenwerking met inwoners en ondernemers noodzakelijk. Ook de dorpsbelangenorganisaties, energiecooperaties en maatschappelijke organisaties in Bronckhorst hebben een cruciale rol in de energietransitie. Zij krijgen een rol in een "Raad van Inspiratie" om hen te betrekken bij de uitvoering van de Routekaart. Alle partijen dragen immers bij aan deze verandering.

De gemeente neemt een belangrijke rol op zich door te informeren, stimuleren, faciliteren en zelf het goede voorbeeld te geven. Draagvlak en draagkracht staan daarbij centraal, omdat de gemeente graag wil dat de stappen op de Routekaart voor iedereen haalbaar en betaalbaar zijn.

De Routekaart schept een kader, die voor uitvoering nader uitgewerkt zal worden:

  • Het streven naar inzet van alle geschikte daken voor het opwekken van zonne-energie.
  • Het streven naar kleinere zonneparken op land (rond 2 ha) die goed ingepast kunnen worden en een groot zonneveld (>10 ha), zodat Liander de infrastructuur hierop kan aanpassen.
  • Het uitdagen van initiatiefnemers om zich maximaal in te zetten voor een meervoudig grondgebruik, met landbouw, natuur of andere geschikte doeleinden.
  • De keuze voor windmolens in clusteropstelling en geen medewerking aan solitaire windmolens. Om het aantal zoveel mogelijk te beperken, is het streven gericht op grotere efficiente varianten.
  • Bij windmolens is lokale participatie en eigendom van burgers en bedrijven een randvoorwaarde. Partijen werken gelijkwaardig samen in de ontwikkeling, bouw en exploitatie, zoals uitgesproken in het klimaatakkoord.
  • Gezien het verdienmodel van grootschalige opwek moet de opbrengst zoveel mogelijk ten goede komen aan de lokale omgeving.
  • Kleine windmolens voor eigen gebruik zijn, met uitzondering van woonwijken, toegestaan tot twee per perceel op het bouwblok.
  • Minimaal 50% lokaal eigendom van zonnevelden en windenergie. Deze eigendomsverdeling (50% van de productie voor de lokale omgeving) is een harde eis voor medewerking.
  • Een inspanningsverplichting voor de participatie in de planvorming van omwonenden van energieprojecten.
  • Een inspanningsverplichting voor de participatie in de financiële revenuen van een zonnepark of windproject door de mogelijkheid van individueel mede-eigenaarschap en door een omgevingsfonds. Het omgevingsfonds wordt door de initiatiefnemers met een redelijk bedrag gevuld. Een lokaal bestuur kan met deze bijdrage investeren in de leefbaarheid van de directe omgeving of in duurzame projecten.

Koersdocument

Het Koersdocument is de basis waarop initiatieven voor duurzame energieopwekking worden getoetst en deze ruimtelijk worden ingepast. Het biedt inwoners en lokale initiatieven en ondernemers de mogelijkheid om mee te doen en mee te kunnen beslissen bij projecten voor duurzame energieopwekking in hun buurt. Daarnaast geeft het initiatiefnemers een handelingsperspectief waarmee zij projecten voor duurzame energieopwekking tot ontwikkeling kunnen brengen in de gemeente Bronckhorst. Het Koersdocument draagt daarmee bij aan het intensiveren van de beweging naar een energieneutraal Bronckhorst in 2030. Met dit Koersdocument wordt een zeer belangrijke stap gezet om invulling te gegeven aan de Routekaart.

Aanjaagfonds

Het Aanjaagfonds dient als aanjager en financieel middel voor lokale initiatieven. Met dit fonds kan de ontwikkelkosten van lokale (Achterhoekse) inwoners initiatieven voor duurzame energieopwekking worden voorgefinancierd en wordt de slagingskans van deze projecten vergroot. Bij de ontwikkelkosten vallen ondermeer de kosten voor de MER, vergunningen, technisch ontwerp, financieel en juridisch). Het is een fonds waar de lokale initiatieven gebruik van kunnen maken en bij realisatie van duurzame energieprojecten zij het weer terug moeten storten in het Aanjaagfonds.


Samenhang Routekaart, Koersdocument en Aanjaagfonds

De Routekaart is een realistisch en daadkrachtig plan om samen met alle betrokkenen aan de slag te gaan met de energietransitie. De Routekaart beschrijft de weg naar Bronckhorst energieneutraal in 2030 en vormt de start voor de uitvoering. Het Koersdocument en het Aanjaagfonds zijn instrumenten om invulling te geven aan het behalen van de doelstelling. Het Koersdocument is de basis waarop we initiatieven voor duurzame energieopwekking willen toetsen en ruimtelijk willen inpassen. Het biedt inwoners, lokale initiatieven en ondernemers de mogelijkheid om mee te doen en mee te beslissen bij projecten voor duurzame energieopwekking in hun buurt. Het Aanjaagfonds is een instrument die voor lokale initiatieven het financieel mogelijk maakt om duurzame energieprojecten te realiseren. We helpen hen daarmee om een versnelling in de duurzame energieopwekking op gang te brengen.

Hoofdstuk 4 Juridische aspecten algemeen     

In dit hoofdstuk komen de algemene juridische aspecten aan bod. De juridische aspecten die betrekking hebben op de bestemmingen die voorkomen in het specifieke planonderdeel zijn opgenomen in Hoofdstuk 2 Planonderdelen in de paragraaf 2.1.4 Juridische aspecten planonderdeel.

4.1 Algemeen     

Dit bestemmingsplan is opgesteld overeenkomstig de RO Standaarden zoals opgenomen in de Regeling standaarden ruimtelijke ordening 2012. Het plan voldoet aan het Informatiemodel ruimtelijke ordening 2012 (IMRO2012), de Standaard toegankelijkheid ruimtelijke instrumenten 2012 (STRI2012), het Informatiemodel Ruimtelijke Ordening Planteksten 2012 (IMROPT2012), de Standaard vergelijkbare bestemmingsplannen 2012 (SVBP2012), de Praktijkrichtlijn bestemmingsplannen 2012 (PRBP2012) en de Praktijkrichtlijn Analoge Bestemmingsplankaart (PRABPK2012).

Het juridisch bindend deel van het bestemmingsplan bestaat uit de regels en de verbeelding tezamen.

Uitgangspunt voor de regels en de verbeelding is het handboek van de gemeente Bronckhorst, welke gebaseerd is op de SVBP2012 en de PRABPK2012. Daarnaast bevat het plan regels die de Wet ruimtelijke ordening voorschrijft. De basis voor de verbeelding zijn de Basisregistratie Grootschalige Topgrafie (BGT) en de Basisregistratie Kadaster (BRK).

De gemeente Bronckhorst kent een bibliotheek met standaardregels voor de diverse bestemmingen. Deze regels zijn in eerste instantie van toepassing voor alle locaties waar deze bestemmingen voorkomen. Met aanduidingen op de verbeelding in relatie tot de regels wordt maatwerk geleverd daar waar dat noodzakelijk of gewenst is. Zoals in paragraaf 1.1 en 1.3.1 is toegelicht, is onderhavig plan een herziening van de totaalplan voor landelijk gebied. Om qua structuur en opbouw van de regels geen verschillen te krijgen tussen het totaalplan en het veegplan, is er voor gekozen om de gehele bestemmingsregeling in het veegplan op te nemen. Dus ook onderdelen die in het veegplan niet van toepassing zijn maar wel voorkomen in het totaalplan. Eventuele maatwerkbepalingen ten behoeve van planonderdelen in het veegplan zijn aan de planregels toegevoegd.

4.2 Opbouw regels     

4.2.1 Algemeen     

De regels zijn opgedeeld in vier hoofdstukken:

Hoofdstuk 1 bevat Inleidende regels waarin de onderdelen Begrippen en Wijze van meten zijn opgenomen. Deze worden opsommingsgewijs in alfabetische volgorde gegeven en dienen als referentiekader voor de overige regels.

Hoofdstuk 2 bevat Bestemmingsregels waarin de diverse bestemmingen zijn opgenomen. De artikelen met de bestemmingen hebben een min of meer vaste opbouw.

Hoofdstuk 3 bevat Algemene regels, die van algemeen belang zijn voor het plan.

Hoofdstuk 4 bevat tenslotte Overgangs- en slotregels.

4.2.2 Bebouwing     

In het bestemmingsplan wordt onderscheid gemaakt tussen (hoofd)gebouwen en bijbehorende bouwwerken, zoals bijgebouwen, aan- en uitbouwen, overkappingen en bouwwerken, geen gebouwen zijnde. Voor de situering en maatvoering van bouwwerken is het belangrijk dat er regels zijn opgenomen met betrekking tot:

Bouwwijze

Uitgangspunt van het bestemmingsplan is dat de bestaande situatie op een goede manier dient te worden gereguleerd. Doelstelling is dat het centrum en de woonwijken in hun karakter gehandhaafd blijven. Dit betekent dat de bouwwijze voor woningen is vastgelegd. Op de verbeelding is aangeduid of binnen het bouwvlak vrijstaande, twee-aaneen (halfvrijstaand), aaneengebouwde of gestapelde woningen (appartementen) zijn toegestaan.

Goot- en bouwhoogte

De maximale goot- en/of bouwhoogte van (hoofd)gebouwen is aangegeven binnen het bouwvlak op de plankaart. De goot- en bouwhoogte van bouwwerken, geen gebouwen zijnde, wordt in de regels gereguleerd. De wijze van meten van de de goothoogte van een bouwwerk en de de bouwhoogte van een bouwwerk is in de Inleidende regels bepaald. Bij het bepalen van de goothoogte wordt onderstaande tekening gehanteerd:

verplicht

Situering gebouwen
Teneinde de situatie eenduidig te kunnen reguleren, is de bebouwing gezoneerd. Voor de zonering van woningen wordt verwezen naar paragraaf 4.3, waarin de regeling van deze bestemming is uitgewerkt. Voor de overige bestemmingen wordt de bebouwing gereguleerd door het opnemen van een 'bouwvlak' waarbinnen gebouwen zijn toegestaan.

Bebouwingspercentage

Bij de regeling van andere dan woonfuncties, is zowel voor de situering van de gebouwen als voor het toegestane bebouwingspercentage, uitgegaan van de vigerende regeling. Dit betekent dat in de regels is opgenomen voor welk deel het bebouwingspercentage geldt. Het kan voorkomen dat een bebouwingspercentage geldt voor het gehele bouwperceel (zie formulering in betreffende bestemming), en niet voor uitsluitend de gronden gelegen binnen het bouwvlak.

Voorerfgebied, achtererfgebied en zijerfgebied

Voor de toegelaten bijbehorende bouwwerken is de positie ten opzichte van het hoofdgebouw van belang. Voor het bepalen van de positie van bijbehorende bouwwerken wordt aansluiting gezocht bij de begrippen achtererfgebied en voorerfgebied uit het Besluit omgevingsrecht welke op 1 november 2014 in werking is getreden. Daar is het begrip zijerfgebied aan toegevoegd.

Achtererfgebied

Deze definitie gaat uit van een denkbeeldige lijn, waarachter het achtererfgebied zich bevindt. De lijn loopt door het hoofdgebouw, op 1 m achter de voorkant. Daar, op 1 meter achter het snijpunt van de voorgevel met de zijgevel, komt de lijn uit de zijgevel van het hoofdgebouw. In standaardsituaties loopt de lijn vervolgens buiten het hoofdgebouw verder, evenwijdig aan het openbaar toegankelijk gebied. Het gaat hier om het openbaar toegankelijk gebied dat grenst aan het perceel waarop zich het hoofdgebouw bevindt. In het merendeel van de situaties grenst dit openbaar toegankelijk gebied alleen aan de voorzijde van een perceel. Bij hoofdgebouwen die langs schuine wegen staan of in een bocht in de weg, zal ook de lijn evenwijdig met die schuine weg of de bocht in de weg 'meelopen'.

In hoeksituaties zal de lijn uit de zijgevel, vanaf het punt op 1 meter achter de voorkant, evenwijdig meelopen met het openbaar toegankelijk gebied dat aan de zijkant van het perceel is gelegen. Bij rechthoekige verkavelingen zal de lijn in zo’n geval direct langs de zijgevel en in het verlengde daarvan, verder naar achteren lopen. Deze begrenzing valt veelal samen met de zijgevelrooilijn, die in hoeksituaties wordt aangemerkt als voorgevelrooilijn.

Ook bij hoeksituaties kunnen zich echter schuine wegen of bochten in de weg voordoen. Ook kan er sprake zijn van vaarwater of ander openbaar toegankelijk gebied dat niet evenwijdig met de zijgevel van het hoofdgebouw loopt. De hoofdregel blijft dat ook in die gevallen de lijn evenwijdig met de schuine weg of de bocht in de weg (of het schuinliggende andere openbaar toegankelijk gebied) meeloopt. Er kunnen dan gevallen ontstaan waarbij een deel van een zijerf, dat gekeerd is naar openbaar toegankelijk gebied, onder het achtererfgebied komt te vallen.

In de definitie is bepaald dat de lijn niet opnieuw het hoofdgebouw kan doorkruisen en evenmin in het erf achter het hoofdgebouw kan komen. Hiermee wordt bereikt dat het erf dat is gelegen achter het hoofdgebouw, altijd volledig tot het achtererfgebied zal behoren. Onder omstandigheden kan dat tot gevolg hebben dat de lijn aan de zijkant van het hoofdgebouw, niet evenwijdig met de begrenzing van het openbaar toegankelijk gebied loopt, maar langs de zijgevel van het hoofdgebouw en in het verlengde daarvan naar de achterste perceelgrens loopt. Uitgangspunt in dit verband is dat het erf achter het hoofdgebouw zich bevindt tussen de denkbeeldige lijnen die gelegen zijn in het verlengde van de zijgevels van het hoofdgebouw. Met deze uitleg zal in de meeste situaties helder zijn welk deel van het erf zich achter het hoofdgebouw bevindt. Niet te ondervangen is dat in een enkele bijzondere situatie, bij bijzondere architectuur, een andere benadering gekozen moet worden om aan te sluiten bij de bedoelingen van de regeling dat zich achter het hoofdgebouw een deel van het achtererfgebied bevindt. Bij de ronde 'vuurtorenwoning' ontbreken er voor-, zij- en achtergevels en kan wellicht gekozen worden voor het tekenen van een denkbeeldig vierkant rondom het hoofdgebouw (met daarbinnen diagonale lijnen tussen de hoekpunten) om het achtererfgebied goed te bepalen.

Om te bepalen welke zijde van een hoofdgebouw als voorkant moet worden aangemerkt, wordt in de jurisprudentie een aantal aanknopingspunten gehanteerd. Voor het bepalen van de voorgevel van een gebouw kan primair worden afgegaan op de ligging van de voorgevelrooilijn zoals die door een bestemmingsplan of bouwverordening wordt bepaald. Als dan nog twijfel bestaat zal de feitelijke situatie doorslaggevend moeten worden geacht. Mede gebaseerd op jurisprudentie zijn daarbij de volgende aanknopingspunten genoemd: de systematiek van huisnummering (de plaats waar de brievenbus is aangebracht, waar zich het huisnummer bevindt of aan welke wegzijde het gebouw of perceel is geadresseerd), de zijde van het gebouw waar zich de voordeur of hoofdingang bevindt en de plaats waar de hoofdontsluiting van het perceel zich bevindt.

Aanvullend kan opgemerkt worden dat de voorkant van het hoofdgebouw wordt gevormd door de gevel die bepalend is voor de hoofdmassa van het hoofdgebouw. Ondergeschikte aan- of uitbouwen, zoals erkers of uitgebouwde vestibules, blijven dus buiten beschouwing bij het bepalen van de voorgevel. In de regel geldt als voorgevel het geveldeel aan de voorkant met de grootste oppervlakte. De hoofdmassa van het hoofdgebouw kan aan de voorzijde ook bepaald worden door meer dan één geveldeel. Daarvan is bijvoorbeeld sprake als de hoofdmassa van een hoofdgebouw L-vormig of T-vormig is. In zo’n geval bestaat de voorkant van het hoofdgebouw uit meer geveldelen. Bij dergelijke situaties, waar de voorgevel verspringt, kan de lijn die bepalend is voor het achtererfgebied, in een knik evenwijdig met deze geveldelen meelopen.

Aan- en uitbouwen die zich aan een zijgevel van een hoofdgebouw bevinden, spelen in beginsel geen rol bij het bepalen van de voorgevel. Alleen in geval een dergelijke aan- of uitbouw een uitbreiding vormt van de hoofdmassa van het hoofdgebouw, wordt het geveldeel aan de voorkant van die desbetreffende uitbreiding mede aangemerkt als voorgevel. Dat zal echter alleen aan de orde zijn indien sprake is van een geheel in de architectuur van de hoofdmassa van het hoofdgebouw geïntegreerde uitbreiding die alle bouwlagen van het hoofdgebouw betreft.

Verder ligt het voor de hand om bij het bepalen van de voorgevel van een hoofdgebouw alleen uit te gaan van de boven de grond gelegen bouwmassa. Kelders of geheel onder de grond gelegen souterrains blijven in die uitleg dus buiten beschouwing bij het bepalen van het achtererfgebied.

 

Voorerfgebied

Onder voorerfgebied wordt het erfdeel verstaan dat geen onderdeel uitmaakt van het achtererfgebied. Het gaat hier dus om het voorerf en de delen van het zijerf die naar openbaar toegankelijk gebied zijn gekeerd dan wel op minder dan 1 meter van de voorkant van het hoofdgebouw zijn gelegen.

Zijerfgebied

Het begrip 'zijerfgebied' komt niet uit het Besluit omgevingsrecht, maar is in dit bestemmingsplan afgeleid van het de definitite van het voorerfgebied. Zijerfgebied komt voor in hoeksituaties met het openbaar toegankelijk gebied waar het voorerfgebied op meer dan 1 meter achter de voorgevel van het hoofdgebouw ligt. Het zijerfgebied is het deel van het voorerfgebied dat zich bevindt aan de zijkant van het hoofdgebouw en op meer dan 1 meter van de voorkant van een hoofdgebouw ligt.

In onderstaande tekening is ter verduidelijking een aantal situaties weergegeven. Ook enkele lastige hoeksituaties zijn daarbij weergegeven (zie de woning linksboven en de woning rechtsonder), waarin te zien is dat de denkbeeldige lijn aan de zijkant van het hoofdgebouw niet evenwijdig loopt met openbaar toegankelijk gebied, maar langs en vervolgens in het verlengde van de zijgevel.

verplicht

verplicht

4.3 Inhoud regels     

4.3.1 Inleidende regels     

In Hoofdstuk 1 Inleidende regels van de planregels zijn de volgende Inleidende regels opgenomen.

4.3.1.1 Begrippen     

In Artikel 1 Begrippen is een aantal begrippen nader gedefinieerd teneinde onduidelijkheid te voorkomen. Voor een gedeelte van de begrippen is aansluiting gezocht bij de SVBP2012, de rest is afkomstig uit het handboek Bronckhorst en zijn in de gemeente gebruikelijke definities. De begrippen achtererfgebied, voorerfgebied en zijerfgebied worden nader toegelicht in paragraaf 4.2.2.

4.3.1.2 Wijze van meten     

In Artikel 2 Wijze van meten is aangegeven op welke wijze gemeten moet worden bij het beoordelen of de maatvoering in overeenstemming is met de regels.

4.3.2 Algemene regels     

In Hoofdstuk 3 Algemene regels van de planregels zijn de volgende Algemene regels opgenomen.

4.3.2.1 Anti-dubbeltelregel     

In Artikel 11 Anti-dubbeltelregel wordt geregeld dat grond die reeds eerder bij een verleende omgevingsvergunning is meegenomen niet nog eens bij de verlening van een nieuwe omgevingsvergunning mag worden meegenomen. Deze regel is rechtstreeks overgenomen uit het Besluit ruimtelijke ordening.

4.3.2.2 Algemene bouwregels     

In Artikel 12 Algemene bouwregels zijn bepalingen opgenomen die betrekking hebben op het bouwen langs een , langs , langs het spoor (), binnen de invloedssfeer van een molen (Vrijwaringszone - molenbiotoop) en binnen een geluidzone ( en ). Zo mag er in een geluidzone geen (bedrijfs)woningen of andere geluidgevoelige gebouwen worden gebouwd. Het bevoegd gezag kan hiervan afwijken door middel van een omgevingsvergunning na een besluit hogere grenswaarde geluidhinder. Tevens is een bepaling opgenomen waarmee grotere maatvoeringen die afwijken van het plan en die op het tijdstip van inwerkingtreding van het bestemmingsplan reeds aanwezig zijn, zijn toegelaten.

4.3.2.3 Algemene gebruiksregels     

In Artikel 13 Algemene gebruiksregels zijn activiteiten opgenomen die voor alle bestemmingen als strijdig gebruik worden aangemerkt. Het gaat onder meer om het gebruik van gronden en bouwwerken voor het opslaan van materialen anders dan ten behoeve van de bestemming. Hierdoor wordt voorkomen dat opslag ontstaat van materialen die een negatieve uitstraling heeft op de omgeving. Voorzover opslag plaatsvindt in het kader van de bedrijfsvoering is deze toegestaan. Ook het gebruik van de gronden voor teeltondersteunende voorzieningen voor pot- en containerteelt in grondwaterbeschermingsgebieden en gebieden met dubbelbestemming

Ook het gebruik van gronden en bouwwerken ten behoeve van een seksinrichting, hiermee wordt voorkomen dat gebouwen worden aangewend voor prostitutiedoeleinden. Verder het gebruik van een recreatiewoning, of een bijbehorend bouwwerk ten behoeve van permanente bewoning. Het gebruik van gronden of bouwwerken waarbij niet wordt voorzien in voldoende parkeergelegenheid volgens de 'Beleidsregels parkeernormen Bronckhorst'. Dit laatste is aan een voorwaardelijke verplichting gekoppeld waarbij een gewijzigd gebruik binnen een bestemming pas mag plaatsvinden als is voldaan aan de beleidsregels.

Ter plaatse van de aanduiding 'specifieke vorm van cultuur en ontspanning' is mede het gebruik voor evenementen toegestaan, mits wordt voldaan aan de in de tabel in opgenomen periodes en type evenement.

4.3.2.4 Algemene afwijkingsregels     

In Artikel 14 Algemene afwijkingsregels zijn de volgende afwijkingsmogelijkheden opgenomen.

Camperovernachtingsplaatsen

Er is een algemene afwijkingsmogelijkheid opgenomen ten behoeve van het toelaten van camperovernachtingsplaatsen. Camperovernachtingsplaatsen zijn mogelijk en wenselijk omdat daarmee wordt voorzien in een toenemende behoefte aan overnachtingsplaatsen voor kampeerauto's (campers) buiten reguliere kampeerterreinen. In Bronckhorst wordt tot nu toe alleen gelegenheid geboden op twee openbare plekken in Zelhem en Hengelo (elk 2 plaatsen), op een particulier terrein in Steenderen (8 plaatsen) en bij enkele campings waar speciale plekken op het terrein beschikbaar zijn voor deze vorm van verblijfsrecreatie, veelal op het parkeerterrein. Met deze mogelijkheid wordt het aantal verblijfsrecreatieve mogelijkheden in de gemeente vergroot (vergroting diversiteit in aanbod). Een specifieke doelgroep wordt gestimuleerd een bezoek te brengen aan de gemeente. Een bepaalde groep kampeerautogebruikers kiest specifiek voor een overnachtingsplaats en maakt geen gebruik van een camping. Een bepaalde groep kampeerautogebruikers zal, ondanks de komst van een camperovernachtingsplaats, toch specifiek voor een camping kiezen omdat zij gebruik wensen te maken van de daar aanwezige faciliteiten.

Er worden voorwaarden gesteld aan o.a. bereikbaarheid, maximale verblijfsduur, aantal plaatsen, (eenvoudige) inrichting en voorzieningen, parkeren, landschappelijke inpassing en omgevingsaspecten.

De VNG-brochure 'Bedrijven en Milieuzonering' kent geen specifieke richtafstanden voor een dergelijke voorziening. Voor kampeerterreinen en vakantiecentra e.d. (met keuken) geldt een richtafstand van 50 meter (i.v.m. geluid) tot aan de gevels van woningen van derden. Van een dergelijke richtafstand kan gemotiveerd worden afgeweken.

Op de voorziening is een informatiebord aanwezig met de spelregels die gelden voor gebruikmaking van het terrein. Het bord bevat verder de namen en adressen van één of meer direct in de buurt gelegen (mini)campings waarnaar wordt verwezen als camperovernachtingsplaats vol is. De voorziening is bij voorkeur gesitueerd nabij een dorpskern of een attractie. Dit met het oog op horeca- en middenstandbezoek in verband met de economische spin-off. De voorziening is eigenlijk een soort van speciale parkeerplaats voor campers, waarop in de camper mag worden overnacht. Van verblijfsrecreatie, zoals op een camping, is eigenlijk geen sprake.

Afwijking van maatvoeringen

afwijkingsmogelijkheid van 10% van de in de regels gegeven maten en normen met betrekking tot het bouwen. Deze afwijkingsmogelijkheid zal slechts bij hoge uitzondering worden toegepast. Het is niet de bedoeling dat bouwplannen hier op worden ontworpen. Voor het beschermd stadsgezicht van het stadje Bronckhorst geldt dat deze mogelijkheid alleen kan worden toegepast ten behoeve van het behoud en/of herstel van een gebouw als cultuurhistorisch monument.

4.3.2.5 Overige regels     

In Artikel 15 Overige regels zijn overige algemene regels opgenomen die niet kunnen worden ondergebracht bij een van de voorgaande algemene regels.

In artikel 15.1 Voorrangsregels is een voorrangsbepaling opgenomen. Daarin is geregeld dat in het geval van strijdigheid van belangen tussen een bestemming en een dubbelbestemming, het belang van de dubbelbestemming voor gaat. Tevens is opgenomen dat ten aanzien van de onderlinge relatie tussen de dubbelbestemmingen de ene dubbelbestemming geldt voor de andere geldt. Daarbij weegt het belang van dubbelbestemmingen die de veiligheid regelen het zwaarst. Hierin zijn enkel dubbelbestemmingen opgenomen die een beperking ten aanzien van het bouwen met zich meebrengen.

4.3.3 Overgangs- en slotregels     

In Hoofdstuk 4 Overgangs- en slotregels van de planregels zijn de volgende Overgangs- en slotregels opgenomen.

4.3.3.1 Overgangsrecht     

In Artikel 16 Overgangsrecht is een regeling opgenomen voor bestaande zaken en rechten die niet in overeenstemming zijn met de overige regelingen in dit bestemmingsplan. De regels voor het overgangsrecht zijn overgenomen uit het Besluit ruimtelijke ordening, waarin standaard overgangsrecht voor bestemmingsplannen is opgenomen.

4.3.3.2 Slotregel     

Artikel 17 Slotregel bevat de titel van het bestemmingsplan.

4.3.4 Bijlagen bij de regels     

In de Bijlagen bij de regels zijn enkele bijlagen opgenomen waarnaar in de planregels wordt verwezen. Zo bevat dit bijlagen ten aanzien van bedrijfsactiviteiten in verband met aan huis verbonden activiteiten en toegelaten (neven)functies en standaardregels ten behoeve van wijzigingsbevoegdheden voor omzetting van enkele (dubbel)bestemmingen naar een andere (dubbel)bestemming.

Regels     

Hoofdstuk 1 Inleidende regels     

Artikel 1 Begrippen     

1.1 Plan     

Het bestemmingsplan Stedelijk gebied; Het Loo Zelhem met identificatienummer NL.IMRO.1876.BPS0057-VG01 van de gemeente Bronckhorst.

1.2 Bestemmingsplan     

De geometrisch bepaalde planobjecten met de bijbehorende regels en de daarbij behorende bijlagen.

1.3 Aanbouw     

Een bijbehorend bouwwerk, zijnde een gebouw dat als afzonderlijke ruimte aan het hoofdgebouw is aangebouwd, dat architectonisch ondergeschikt is aan, maar in functioneel opzicht deel uitmaakt van het hoofdgebouw.

1.4 Aanduiding     

Een geometrisch bepaald vlak of figuur, waarmee gronden zijn aangeduid, waar ingevolge de regels regels worden gesteld ten aanzien van het gebruik en/of het bebouwen van deze gronden.

1.5 Aanduidingsgrens     

De grens van een aanduiding indien het een vlak betreft.

1.6 Aaneengebouwde woning     

Een blok van meer dan twee-aaneengebouwde woningen inclusief de van dit blok deel uitmakende eind- of hoekwoningen.

1.7 Aan huis verbonden activiteit     

Een aan huis verbonden beroep, een aan huis verbonden bedrijf, internetverkoop en bed & breakfast.

1.8 Aan huis verbonden beroep     

Een beroep of het beroepsmatig verlenen van diensten op administratief, juridisch, medisch, therapeutisch, kunstzinnig, ontwerptechnisch, cosmetisch of hiermee gelijk te stellen gebied, daaronder niet begrepen prostitutie, dat door zijn beperkte omvang in een woning, in bijbehorende bouwwerken en de bij de woning behorende gronden, met behoud van de woonfunctie, kan worden uitgeoefend.

1.9 Aan huis verbonden bedrijf     

Het bedrijfsmatig verlenen van diensten, dan wel het uitoefenen van ambachtelijke bedrijvigheid, geheel of overwegend door middel van handwerk, en waarvan de omvang van de activiteiten zodanig is, dat de activiteiten in een woning, in bijbehorende bouwwerken en de bij de woning behorende gronden, met behoud van de woonfunctie kan worden uitgeoefend. Daaronder niet begrepen prostitutie of een seksinrichting.

1.10 Aardkundige waarden     

De aan een gebied toegekende waarden, gekenmerkt door het aanwezig zijn van bijzondere aardkundige verschijnselen, zoals steilranden en bodemtypen.

1.11 Achtererfgebied     

Erf achter de lijn die het hoofdgebouw doorkruist op 1 m achter de voorkant en van daaruit evenwijdig loopt met het aangrenzend openbaar toegankelijk gebied, zonder het hoofdgebouw opnieuw te doorkruisen of in het erf achter het hoofdgebouw te komen.

1.12 Afhaalhoreca     

Een horecabedrijf dat tevens is gericht op de verkoop van ter plaatse bereide etenswaren voor het nuttigen elders.

1.13 Agrarische activiteiten     

Het voortbrengen van producten door middel van het houden van dieren en/of telen van gewassen.

1.14 Agrarisch bedrijf     

Een bedrijf dat gericht is op het voortbrengen van producten door middel van het houden van dieren en/of telen van gewassen.

1.15 Agrarische gebouwen     

Gebouwen ten dienste van agrarisch bedrijf niet zijnde een bedrijfswoning.

1.16 Algemene wet bestuursrecht     

Wet van 4 juni 1992, Stb. 315, houdende algemene regels van bestuursrecht, zoals deze luidt op het moment van de terinzagelegging van het ontwerp van het plan.

1.17 Ammoniakbuffergebied     

Het gebied zoals bedoeld in de Omgevingsverordening Gelderland.

1.18 Archeologisch deskundige     

De regionaal (beleids)archeoloog of een andere door het college van Burgemeester en wethouders aan te wijzen deskundige op het gebied van de archeologische monumentenzorg.

1.19 Archeologisch onderzoek     

Onderzoek (bureauonderzoek en/of boren en/of geofysisch onderzoek en/of graven en/of begeleiden) verricht door een dienst, bedrijf of instelling erkend door het College voor de Archeologische Kwaliteit (CvAK/SIKB), beschikkend over een opgravingsvergunning ex artikel 45 van de Monumentenwet 1988, zoals deze luidde voor inwerkingtreding van de Erfgoedwet, en werkend volgens de Kwaliteitsnorm voor de Nederlandse Archeologie.

1.20 Archeologische verwachting     

De aan een gebied toegekende hoge, middelmatige of lage verwachting in verband met de kennis en wetenschap van de in dat gebied te verwachten overblijfselen van menselijke aanwezigheid of activiteiten uit het verleden.

1.21 Archeologische waarden     

De aan gebieden toegekende waarden in verband met de kennis en studie van de in dat gebied voorkomende overblijfselen van menselijke aanwezigheid of activiteiten uit het verleden.

1.22 Bebouwing     

Eén of meer gebouwen en/of bouwwerken, geen gebouwen zijnde.

1.23 Bebouwingsgebied     

Achtererfgebied alsmede de grond onder het hoofdgebouw, uitgezonderd de grond onder het oorspronkelijk hoofdgebouw.

1.24 Bebouwingspercentage     

Het percentage van gronden, nader bepaald in de regels, dat ten hoogste mag worden bebouwd.

1.25 Bed & breakfast     

Een kleinschalige vorm van logiesaccommodatie, waarbij één of meerdere gastenkamers aanwezig zijn en waarbij de gastenkamers geen eigen kookgelegenheid hebben en waarbij er een gemeenschappelijke ruimte is waar de gasten een door de ondernemer bereide maaltijd (ontbijt) kunnen nuttigen.

1.26 Bedrijfsmatige exploitatie recreatiebedrijven     

Het via een bedrijf/stichting of ander rechtspersoon voeren van een zodanig beheer/exploitatie, dat de recreatiebedrijven daadwerkelijk worden gebruikt voor recreatieve doeleinden en waarbij tevens sprake is van verhuur van de recreatieverblijven ten behoeve van een wisselend gebruik.

1.27 Bedrijfswoning     

Een woning, kennelijk slechts bedoeld voor (het huishouden van) een persoon, wiens huisvesting daar gelet op de aard van de bedrijfsvoering noodzakelijk is.

1.28 Begane grondbouwlaag     

De onderste bouwlaag van een gebouw, niet zijnde een kelder.

1.29 Beschermd dorpsgezicht     

Gebied dat ingevolge artikel 35 van de Monumentenwet 1988, zoals deze luidde voor inwerkingtreding van de Erfgoedwet, als zodanig door het bevoegd gezag is aangewezen ter bescherming van cultuurhistorische en archeologische waarden.

1.30 Beschermd stadsgezicht     

Gebied dat ingevolge artikel 35 van de Monumentenwet 1988, zoals deze luidde voor inwerkingtreding van de Erfgoedwet, als zodanig door het bevoegd gezag is aangewezen ter bescherming van cultuurhistorische en archeologische waarden.

1.31 Bestaand     

  1. Bij bouwwerken: een bouwwerk dat op het tijdstip van inwerkingtreding van het plan legaal aanwezig of in uitvoering is, dan wel gebouwd kan worden krachtens een omgevingsvergunning voor het bouwen;
  2. bij gebruik: het legale gebruik van grond en bouwwerken dat bestond op het tijdstip van inwerkingtreding van het plan;
  3. bij bouwvlak: de oppervlakte van het bouwvlak op het tijdstip van inwerkingtreding van het plan.

1.32 Bestemmingsgrens     

De grens van een bestemmingsvlak.

1.33 Bestemmingsvlak     

Een geometrisch bepaald vlak met eenzelfde bestemming.

1.34 Bestrijdingsmiddelen     

Middelen die gebruikt worden om parasieten, onkruiden, schimmels en ongedierten in de land- en tuinbouw te bestrijden.

1.35 Bevi-inrichtingen     

Inrichtingen als bedoeld in artikel 2 lid 1 van het Besluit externe veiligheid inrichtingen.

1.36 Bijgebouw     

Een bijbehorend bouwwerk, zijnde een gebouw, dat ten dienste staat van een op hetzelfde bouwperceel gelegen hoofdgebouw al dan niet aan het hoofdgebouw gebonden, zoals een berging, hobbyruimte, dierenverblijf of garagebox en dat in architectonisch opzicht ondergeschikt is aan het hoofdgebouw.

1.37 Bijbehorend bouwwerk     

Uitbreiding van een hoofdgebouw dan wel functioneel met een zich op hetzelfde perceel bevindend hoofdgebouw verbonden, daar al dan niet tegen aangebouwd en met de aarde verbonden bouwwerk met een dak.

1.38 Boomkwekerij     

Het telen van laan- en sierbomen, vruchtbomen en/of heesters.

1.39 Bos     

Elk terrein waarop bosbouw wordt uitgeoefend, zijnde het geheel van bedrijfsmatig handelen en activiteiten gericht op de duurzame instandhouding en ontwikkeling van bestaande en nieuwe bossen ten behoeve van (één of meerdere van de functies) natuur, houtproductie, landschap, milieu (waaronder begrepen waterhuishouding) en recreatie.

1.40 Bouwen     

Het plaatsen, het geheel of gedeeltelijk oprichten, vernieuwen of veranderen en het vergroten van een bouwwerk.

1.41 Bouwgrens     

De grens van een bouwvlak.

1.42 Bouwperceel     

Een aaneengesloten stuk grond, waarop ingevolge de regels een zelfstandige, bij elkaar behorende bebouwing is toegelaten.

1.43 Bouwperceelgrens     

De grens van een bouwperceel.

1.44 Bouwvlak     

Een geometrisch bepaald vlak, waarmee gronden zijn aangeduid, waar ingevolge de regels bepaalde gebouwen en bouwwerken geen gebouwen zijnde zijn toegelaten.

1.45 Bouwwerk     

Een bouwkundige constructie van enige omvang die direct en duurzaam met de aarde is verbonden.

1.46 Bouwwijze     

De wijze van bouwen van een hoofdgebouw, te onderscheiden in vrijstaande woningen, twee-aaneengebouwde woningen, aaneengebouwde woningen en gestapelde woningen.

1.47 Café     

Een horecabedrijf, niet zijnde een discotheek of bar-dancing, dat tot hoofddoel heeft het verstrekken van alcoholische en niet-alcoholische dranken voor consumptie ter plaatse, met als nevenfunctie het verstrekken van kleinere etenswaren, al dan niet ter plaatse bereid.

1.48 Camperovernachtingsplaats     

Een parkeerplaats op particulier terrein, geheel of gedeeltelijk ingericht met voorzieningen, welke een goede en stevige ondergrond biedt voor een kampeerauto (camper) en die gedurende een beperkt aantal nachten wordt gebruikt als verblijfsplaats.

1.49 Caravan     

Een niet-omgevingsvergunningplichtige ruimte, niet zijnde een gebouw (waaronder een stacaravan), in de vorm van een aanhangwagen, gefabriceerd, ingericht en bestemd voor het genieten van recreatief verblijf elders en bedoeld om achter een personenauto voortbewogen te worden;

1.50 Carport     

Een overdekte stallingsruimte die dient als stallingsplaats voor een motorvoertuig, die geen eigen wanden of deuren heeft en waarvan de begrenzing wordt gevormd door gebouwen en/of ondersteuningen van het dak.

1.51 Chalet     

Een permanent aanwezig gebouw, geen recreatiewoning of stacaravan, in één bouwlaag, grotendeels uitgevoerd in hout, bestemd om uitsluitend door een huishouden of daarmee gelijk te stellen groep van personen, dat het hoofdverblijf elders heeft, gedurende een gedeelte van het jaar bewoond te worden uitsluitend voor recreatieve doeleinden.

1.52 Conferentiecentrum     

Een bedrijf(sgedeelte), gericht op het bedrijfsmatig bieden van gelegenheid tot het houden van onder andere (informatie- en andere) bijeenkomsten, vergaderingen, congressen en conferenties met ondergeschikt de daarbij behorende voorzieningen.

1.53 Conferentieoord     

Een onderneming, gericht op het bedrijfsmatig bieden van gelegenheid tot het houden van onder andere (informatie- en andere) bijeenkomsten, vergaderingen, congressen, conferenties en recepties, met ondergeschikt de daarbij behorende voorzieningen.

1.54 Cultuur en ontspanning     

Het bedrijfsmatig verrichten van activiteiten gericht op cultuur en ontspanning, zoals concerten, evenementen en tentoonstellingen, met uitzondering van een bordeel, casino, (raam)prostitutie en seksinrichting.

1.55 Cultuurhistorische waarde     

De aan een bouwwerk of een gebied toegekende waarde, gekenmerkt door het beeld dat is ontstaan en door het gebruik dat de mens in de loop van de geschiedenis van dat bouwwerk of gebied heeft gemaakt.

1.56 Daggasten     

Personen die als gast en/of bezoeker van de verblijfsrecreatieve voorziening niet overnachten binnen de grenzen van de inrichting.

1.57 Detailhandel     

Het bedrijfsmatig te koop aanbieden, waaronder begrepen de uitstalling ten verkoop, het verkopen en/of leveren van goederen aan personen die deze goederen kopen voor gebruik, verbruik of aanwending anders dan in de uitoefening van een beroeps- of bedrijfsactiviteit en waarbij een showroom en/of verkoopruimte ter plaatse aanwezig is; horeca-activiteiten zijn hieronder niet begrepen.

1.58 Detailhandel in eigen vervaardigde en/of voortgebrachte producten     

Het verkopen van producten, die door het toegelaten bedrijf zijn voortgebracht, geteeld of vervaardigd.

1.59 Detailhandel in streekeigen geproduceerde (agrarische) producten     

Het verkopen van plaatselijk gekweekte of vervaardigde producten op een agrarisch bedrijf, al dan niet in combinatie met een nevenfunctie, aan personen die deze producten kopen voor gebruik, verbruik of aanwending anders dan in de uitoefening van een beroeps- of bedrijfsactiviteit.

1.60 Detailhandel in volumineuze goederen     

Detailhandel in auto's, boten, caravans, grove bouwmaterialen, keukens, sanitair en woninginrichting waaronder meubels.

1.61 Dienstverlening     

Dienstverlening door een bedrijf met uitsluitend of in hoofdzaak een verzorgende taak met een publieksgerichte functie zoals wasserette, kapsalon, schoonheidssalon, autorijschool, videotheek, uitzendbureau, reisbureau, bank, postkantoor, makelaarskantoor, fotoatelier (inclusief ontwikkelen), kopieerservicebedrijf, schoenreparatiebedrijf, reparatiebedrijf voor muziekinstrumenten, cateringbedrijf, alsmede naar aard en uitstraling overeenkomstige bedrijven.

1.62 Diepploegen     

Het omzetten van de grond, gemeten vanaf peil met een diepte van minimaal 0,80 m, ten behoeve van het agrarisch gebruik.

1.63 Discotheek/bar-dancing     

Een horecabedrijf dat tot hoofddoel heeft het verstrekken van dranken voor gebruik ter plaatse waarbij het doen beluisteren van (overwegend mechanische) muziek en het gelegenheid geven tot dansen een wezenlijk onderdeel vormt.

1.64 Ecologische verbindingszones     

Stelsel van landschapselementen, dat wordt aangelegd om de verbinding tussen bestaande natuurgebieden te versterken.

1.65 Educatieve doeleinden     

Het overbrengen of verkrijgen van informatie in al dan niet opvoedkundige of onderwijskundige zin in welke strekt ter verwerving van kennis.

1.66 Erf     

Al dan niet bebouwd perceel, of een gedeelte daarvan, dat direct is gelegen bij een hoofdgebouw en dat in feitelijk opzicht is ingericht ten dienste van het gebruik van dat gebouw, en, voor zover een bestemmingsplan of een beheersverordening van toepassing is, deze die inrichting niet verbieden.

1.67 Erfgoedwet     

Wet van 9 december 2015, Stb. 2015, 511, houdende bundeling en aanpassing van regels op het terrein van cultureel erfgoed, zoals deze luidde op het moment van de terinzagelegging van het ontwerp van het plan.

1.68 Evenement     

Een één- of meerdaagse activiteit, gerelateerd aan de identiteit van de (doelgroep van de) camping, welke inclusief toegestane op- en afbouwtijd maximaal één week duurt, waarbij het aantal daggasten de 230 overschrijdt.

1.69 Evenemententerrein     

Een terrein dat gebruikt wordt voor jaarlijks terugkerende één- of meerdaagse festiviteiten met bijbehorende voorzieningen, zoals parkeerplaatsen en tijdelijke bouwwerken.

1.70 Extensief agrarisch grondgebruik     

Gebruik van grond als schraal grasland of graanakker (m.u.v. mais).

1.71 Extensief recreatief medegebruik     

Die vormen van recreatie welke in hoofdzaak zijn gericht op natuur- en landschapsbeleving, zoals wandelen, paardrijden, boerengolf en fietsen.

1.72 Extensiveringsgebied     

Ruimtelijk begrensd gedeelte van een reconstructiegebied met het primaat wonen of natuur, waar uitbreiding, hervestiging of nieuwvestiging van in ieder geval intensieve veehouderij onmogelijk is of in het kader van de reconstructie onmogelijk zal worden gemaakt.

1.73 Galerie     

Een (culturele) voorziening ten behoeve van het tentoonstellen en het verkopen van kunst.

1.74 Gebouw     

Elk bouwwerk, dat een voor mensen toegankelijke, overdekte, geheel of gedeeltelijk met wanden omsloten ruimte vormt.

1.75 Gelders Natuurnetwerk (GNN)     

Een samenhangend netwerk van bestaande en te ontwikkelen natuur van internationaal, nationaal en provinciaal belang, zoals bedoeld in de Omgevingsverordening Gelderland.

1.76 Gelieerde bedrijven     

Bedrijven waarvan de vestiging ter plaatse uitsluitend een activiteit uitoefent die ten dienste staat van de ter plaatse gevestigde aardappelverwerkende industrie.

1.77 Geluidzoneringsplichtige inrichtingen     

Bedrijven en/of inrichtingen welke zijn genoemd in artikel 2.4 van het Inrichtingen- en vergunningenbesluit Wet milieubeheer (Staatsblad 1993, 50).

1.78 Gestapelde woning     

Een woning deel uitmakend van één gebouw waarin meerdere woningen, boven en/of naast elkaar zijn ondergebracht.

1.79 Gevoelige bestemmingen in een magneetveldzone     

Woningen met bijbehorende erven alsmede scholen, crèches en kinderopvangplaatsen met bijbehorende buitenspeelruimten, conform het voorzorgsbeleid.

1.80 Glastuinbouwbedrijf     

Een agrarisch bedrijf waarbij het telen van gewassen in kassen plaatsvindt.

1.81 Groene Ontwikkelingszone (GO)     

Zone, zoals bedoeld in de Omgevingsverordening Gelderland, die bestaat uit gebieden met andere bestemmingen dan natuur die ruimtelijk verweven zijn met het Gelders Natuurnetwerk (GNN) en daar functioneel mee samenhangen en waarin wordt ingezet op versterking van die samenhang tussen inliggende en aangrenzende natuurgebieden.

1.82 Groepsaccommodatie     

Een permanent aanwezig gebouw, geen stacaravan of trekkershut zijnde, bestemd om uitsluitend door minimaal 12 personen, die het hoofdverblijf elders hebben, gedurende een gedeelte van het jaar uitsluitend te worden bewoond in het kader van weekend- en/of verblijfsrecreatie.

1.83 Groepskamperen     

Het tijdelijk kamperen, buiten specifiek daarvoor ingerichte en/of geëxploiteerde kampeerterreinen, in groepsverband ten behoeve van eigen doeleinden door groepen of verenigingen met doelstelling van sociale, culturele, educatieve of wetenschappelijke aard, gedurende een korte, aaneengesloten periode.

1.84 Grondgebonden (veehouderij)bedrijf     

  1. Een melkveehouderijbedrijf dat beschikt over voldoende cultuurgrond om de dieren op het eigen bedrijf in de omgeving van de bedrijfsgebouwen voor het benodigde voer te voorzien volgens de voorwaarden die door het Rijk zijn voorgeschreven in de Wet verantwoorde groei melkveehouderij en in de AMvB grondgebonden groei melkveehouderij.
  2. Een agrarisch bedrijf, niet zijnde een grondgebonden melkveehouderijbedrijf, dat gericht is op het ontwikkelen van activiteiten waarbij de productie voor meer dan 50 procent afhankelijk is van het producerend vermogen van de grond waarover het bedrijf in de omgeving van de bedrijfsgebouwen kan beschikken.

1.85 Groothandel     

Het bedrijfsmatig te koop aanbieden, waaronder begrepen de uitstalling ten verkoop, het verkopen en/of leveren van goederen aan wederverkopers, dan wel aan instellingen of personen ter aanwending in een andere bedrijfsactiviteit.

1.86 Guest house     

Een gebouw dat is vormgegeven en ingericht op een zodanige wijze dat het uitsluitend kan worden gebruikt voor overnachtende gasten. Hierin is geen permanente bewoning toegestaan.

1.87 Haantjesbraderij     

Een bedrijf gericht op het bereiden van gevogelte voor consumptie.

1.88 Hervestiging     

De vestiging van een van elders te verplaatsen niet-grondgebonden veehouderijbedrijf of niet-grondgebonden veehouderijtak op een bestaand agarische bouwperceel.

1.89 Hoofdfunctie     

Een functie of functies waarvoor het hoofdgebouw als zodanig mag worden gebruikt blijkens de bestemmingsomschrijving.

1.90 Hoofdgebouw     

Een gebouw, of gedeelte daarvan, dat noodzakelijk is voor de verwezenlijking van de geldende of toekomstige bestemming van een perceel en, indien meer panden of bouwwerken op het perceel aanwezig zijn, gelet op die bestemming het belangrijkst zijn.

1.91 Hotel/motel     

Een horecabedrijf dat tot hoofddoel heeft het verstrekken van logies (per nacht) met als nevenactiviteiten het verstrekken van maaltijden en/of dranken voor consumptie ter plaatse en/of de verhuur van een zaalruimte voor feesten en partijen.

1.92 Horecabedrijf     

Een bedrijf, gericht op het verstrekken van ter plaatse te nuttigen voedsel en dranken en/of het exploiteren van zaalaccommodatie en/of het bieden van nachtverblijf;

de horecabedrijven zijn in drie categorieën te onderscheiden:

  1. categorie 1: vormen van horeca-activiteiten waar in hoofdzaak maaltijden, (alcoholische) dranken en/of logies worden verstrekt en waarvan de exploitatie doorgaans in de avonduren plaatsvindt, zoals een café, restaurant, hotel en pension;
  2. categorie 2: vormen van kleinschalige horeca-activiteiten die qua exploitatievorm aansluiten bij winkelvoorzieningen, waar naast kleinere etenswaren in hoofdzaak alcoholvrije dranken worden verstrekt, en waarvan de exploitatie zowel overdag als in de avonduren plaatsvindt, zoals een lunchroom, broodjeszaak, ijssalon, cafetaria, snackbar, afhaalhoreca, automatiek;
  3. categorie 3: vormen van horeca-activiteiten waarbij in hoofdzaak alcoholische drank wordt verstrekt en waarvan de exploitatie doorgaans in de avonduren plaatsvindt, een aantasting van het woon- en leefklimaat veroorzaakt en een grote druk op de openbare orde met zich meebrengt, zoals bar-dancings, discotheken, nachtclubs, alsmede horeca met zaalaccommodatie.

1.93 Houtproductie     

Het voortbrengen van hout op bedrijfsmatige wijze door een mede daarop afgestemd duurzaam beheer van bos.

1.94 Hoveniersbedrijf     

Een bedrijf gericht op het kweken en verkopen van planten en siergewassen en het aanleggen en onderhouden van tuinen en andere groenvoorzieningen.

1.95 Huishouden     

Eén of meer personen die sociaal en economisch een eenheid vormen.

1.96 Internetverkoop     

Een specifieke vorm van detailhandel, waarbij:

  1. de te verkopen goederen uitsluitend via internet worden getoond en aangeboden;
  2. de transactie via internet tot stand komt;
  3. opslag van goederen plaatsvindt (op de bedrijfslocatie zelf of elders);
  4. op de bedrijfslocatie geen sprake is van enige fysieke vorm van uitstalling ter verkoop, een showroom, of van verkoop, betaling en/of het afhalen van goederen én
  5. de uitlevering van verkochte goederen aan kopers geschiedt per post of bezorgdienst.

1.97 Jaarplaats     

Dat terreingedeelte dat bestemd is voor het plaatsen van een kampeermiddel dat gedurende het hele jaar aanwezig mag zijn, alsmede voor exclusief gebruik door de gebruikers van dat kampeermiddel.

1.98 Jachthaven     

Haven met de daarbij behorende grond waar overwegend gelegenheid wordt gegeven voor het aanleggen, afmeren of afgemeerd houden van recreatie- of pleziervaartuigen.

1.99 Kantoor     

Een verblijfsruimte die door haar aard, indeling en inrichting kennelijk is bedoeld voor het verrichten van werkzaamheden van hoofdzakelijk administratieve aard zonder baliefunctie.

1.100 Kampeermiddelen     

  1. Een tent, tentwagen, een kampeerauto of caravan;
  2. enig ander onderkomen of enig ander voertuig of gewezen voertuig of gedeelten daarvan, voor zover geen bouwwerk zijnde.

1.101 Kampeerseizoen     

De periode tussen 15 maart en 31 oktober.

1.102 Kap     

Een geheel of gedeeltelijke niet horizontale dakconstructie gevormd door ten minste twee schuin hellende dakschilden met een helling van elk ten minste 15° en ten hoogste 75°.

1.103 Kas     

Een agrarisch gebouw waarvan de wanden en het dak voornamelijk bestaan uit glas en ander lichtdoorlatend materiaal.

1.104 Kelder     

Een overdekte, met wanden omsloten, voor mensen toegankelijke ruimte, beneden of tot ten hoogste 1 m boven de gemiddelde, bestaande hoogte van het aan het gebouw grenzende terrein.

1.105 Kleine windturbines     

Op de grond bevestigde windturbines met een ashoogte van maximaal 25 meter.

1.106 Kleinschalige horecavoorziening     

Een horecavoorziening, die uitsluitend tot hoofddoel heeft het verstrekken van niet-alcoholische dranken en versnaperingen.

1.107 Kleinschalig kampeerterrein     

Een terrein met daarbij behorende voorzieningen, zonder jaarstandplaatsen, ter beschikking gesteld voor het houden van mobiele kampeervoertuigen en/of tenten gedurende het kampeerseizoen.

1.108 Landschappelijke inpassing     

Een zodanige vormgeving en inpassing dat deze optimaal is afgestemd op bestaande danwel nog te ontwikkelen ruimtelijke, natuurlijke en cultuurhistorische landschapskwaliteiten.

1.109 Landschappelijke waarde     

De aan een gebied toegekende waarde, gekenmerkt door het waarneembare deel van het aardoppervlak, die wordt bepaald door de onderlinge samenhang en beïnvloeding van de levende en niet-levende natuur.

1.110 Loon(werk)bedrijf     

Een bedrijf dat – voornamelijk met behulp van verplaatsbare werktuigen – diensten verleent aan agrarische bedrijven, hetzij in verband met de bodemcultuur, hetzij ter uitvoering van grondwerkzaamheden waarbij beperkte grondopslag op het bedrijfsterrein mogelijk is.

1.111 Luifel     

Afdak of overkapping met een diepte van tenminste 1 m, aan of bij een gebouw, al of niet ondersteund.

1.112 Maatschappelijke voorzieningen     

Voorzieningen ten behoeve van openbaar bestuur, openbare dienstverlening, religie, verenigingsleven, onderwijs met bijbehorende sport- en gymnastieklokalen, (kinder)dagopvang, opvoeding, cultuur, lichamelijke en/of geestelijke volksgezondheid.

1.113 Manege     

Een gebruiksgerichte, dienstverlenende paarden- en ponyhouderij, waarbij het doel is het geven van gelegenheid om met paarden en/of pony's binnen en/of buiten het betreffende perceel te rijden en het daaruit genereren van inkomsten.

1.114 Mestbewerking     

Technische handelingen met mest, waaruit mestproducten voortkomen die in de Nederlandse landbouw worden afgezet met een hogere acceptatiegraad dan normale drijfmest (voorbeelden: mestscheiding en mestvergisting).

1.115 Mestopslagplaats     

Een bouwwerk waar mestopslag plaatsvindt van één of meerdere agarische bedrijven.

1.116 Mestvergistingsinstallatie     

Installatie voor de opwekking van energie door middel van vergisting van mest of andere organische producten.

1.117 Mestverwerking     

Technische handelingen met mest, waaruit producten voortkomen die buiten de Nederlandse landbouw worden afgezet (bijvoorbeeld mestverbranding, productie van mestkorrels ten behoeve van export of afzet via tuincentra).

1.118 Mini-windturbines     

Windturbines die op gebouwen worden geplaatst met een maximale hoogte van 3 m gemeten vanaf het dakvlak.

1.119 Mobiele kampeervoertuigen     

Een tentwagen, een kampeerauto of een caravan (geen stacaravan zijnde), die uitsluitend door een huishouden of daarmee gelijk te stellen groep van personen, dat het hoofdverblijf elders heeft, gedurende een gedeelte van het jaar gebruikt wordt uitsluitend voor recreatieve doeleinden.

1.120 Monumenten     

Rijks- en gemeentelijke monumenten, welke van algemeen belang zijn wegens hun schoonheid, hun betekenis voor de wetenschap of hun cultuurhistorische waarde, alsmede terreinen van belang wegens de aanwezigheid daar van voornoemde zaken.

1.121 Natte natuur     

Bos en natuurterreinen waar de kwaliteit van deze terreinen vraagt om een goede grondwatersituatie en eventueel een kwelstroom van voldoende mate van kwaliteit.

1.122 Natuurbeschermingswet 1998     

Wet van 25 mei 1998, Stb. 1998, 403, houdende nieuwe regelen ter bescherming van natuur en landschap, zoals deze luidde op het moment van de terinzagelegging van het ontwerp van het plan.

1.123 Natuurkampeerterrein     

Een natuurkampeerterrein is een eenvoudig terrein, waar slechts beperkte (sanitaire) voorzieningen voor kampeerders zijn toegelaten. Het is een al dan niet aaneengesloten kampeerterrein dat gelegen is in een bos- of natuurgebied met een minimale grootte van 25 ha. Er zijn ten hoogste 40 plaatsen voor kampeermiddelen en het terrein mag gedurende het gehele jaar geopend zijn. Het kampeermiddel mag ten hoogste 6 weken aaneengesloten op het terrein aanwezig zijn.

1.124 Natuurwaarde     

De aan een gebied toegekende waarde, gekenmerkt door geologische, geomorfologische, bodemkundige en biologische elementen, zowel afzonderlijk als in onderlinge samenhang.

1.125 Nevenfunctie     

Activiteiten die in ruimtelijke en bedrijfseconomische zin een ondergeschikt bestanddeel vormen van de hoofdfunctie.

1.126 Niet-grondgebonden veehouderijbedrijf     

Een veehouderijbedrijf waarvan de agrarische productie voor het grootste deel afkomstig is uit de niet-grondgebonden veehouderijtak(ken).

1.127 Niet-grondgebonden veehouderijtak     

Onderdeel van een agrarisch bedrijf dat beschikt over onvoldoende cultuurgrond om de dieren op het eigen bedrijf in de omgeving van de bedrijfsgebouwen voor meer dan 50 procent van het benodigde voer te voorzien.

1.128 Niet-zelfstandig kantoor     

Een onderdeel van een bedrijf, dat andere bedrijfsactiviteiten als inkomstenbron heeft en waarvoor het kantoor uitsluitend een ondersteunende functie heeft.

1.129 Nutsvoorzieningen     

Voorzieningen ten behoeve van het openbaar nut, zoals transformatorhuisjes, gasreduceerstations, schakelhuisjes, bemalinginstallaties, gemaalgebouwtjes, telefooncellen, voorzieningen ten behoeve van (ondergrondse) afvalinzameling en apparatuur voor telecommunicatie.

1.130 Omgevingsvergunning     

Een vergunning als bedoeld in artikel 1.1, eerste lid, van de Wet algemene bepalingen omgevingsrecht.

1.131 Omgevingsvergunning voor het uitvoeren van een werk, geen bouwwerk zijnde, of van werkzaamheden     

Een vergunning als bedoeld in artikel 3.3 onder a van de Wet ruimtelijke ordening.

1.132 Omgevingsverordening Gelderland     

De omgevingsverordening van de provincie Gelderland, zoals deze luidde op het moment van vaststelling van het plan.

1.133 Omschakeling naar een niet-grondgebonden veehouderij     

Het geheel of gedeeltelijk omzetten en/of uitbreiden van een grondgebonden agrarisch bedrijf in een niet-grondgebonden veehouderij.

1.134 Ondergeschikte bouwdelen     

Bouwdelen van beperkte afmetingen, die buiten het gebouw uitsteken, zoals schoorstenen, windvanen, dakoverstekken (< 1 m), balkons (< 5 m2), erkers (<7 m3), dakkapellen (< 7 m3) en liftschachten.

1.135 Ondergronds     

Onder peil.

1.136 Onderkomens     

Voor verblijf geschikte, al dan niet aan hun oorspronkelijke gebruik onttrokken voer- en vaartuigen, waaronder begrepen woonwagens, woonschepen, caravans, kampeerauto's, alsook tenten, schuilhutten en keten, al dan niet ingericht ten behoeve van recreatief buitenverblijf voor zover deze niet als bouwwerken zijn aan te merken.

1.137 Ondersteunende horeca     

Een horecavoorziening binnen een bestemming, waarvan de functie een andere dan horeca is, maar waar men ten behoeve van de hoofdfunctie een ruimte specifiek heeft ingericht voor de consumptie van drank en etenswaren.

1.138 Ontgrondingenwet     

Wet van 27 oktober 1965, Stb. 1965, 509, houdende regelen omtrent de ontgrondingen, zoals deze luidde op het moment van de terinzagelegging van het ontwerp van het plan.

1.139 Openbaar toegankelijk gebied     

Weg als bedoeld in artikel 1, eerste lid, onder b, van de Wegenverkeerswet 1994, alsmede pleinen, parken, plantsoenen, openbaar vaarwater en ander openbaar gebied dat voor publiek algemeen toegankelijk is, met uitzondering van wegen uitsluitend bedoeld voor de ontsluiting van percelen door langzaam verkeer.

1.140 Overbouwing     

Een aan- of uitgebouwd bouwdeel, dat gelegen is op minimaal 2,5 m boven peil, dat geen grotere hoogte heeft dan het aangrenzende bouwdeel, dat uitsteekt ten opzichte van het eronder gelegen deel en dat geen rechtstreekse verbinding heeft met het aansluitend afgewerkte terrein.

verplicht

1.141 Overig bouwwerk     

Een bouwkundige constructie van enige omvang, geen pand zijnde, die direct en duurzaam met de aarde is verbonden.

1.142 Overkapping     

Een bijbehorend bouwwerk, zijnde een bouwwerk, geen gebouw zijnde met één dakvlak en maximaal één gesloten wand.

1.143 Paardenfokkerij     

Agrarische activiteiten bestaande uit het fokken van paarden en/of pony's.

1.144 Paardenhandel     

Activiteiten met als doel het bedrijfsmatig in- en doorverkopen van paarden en pony's op het perceel en het daaruit genereren van inkomsten.

1.145 Paardenhouderij     

Een dienstverlenende paarden- en/of ponyhouderij waarbij het doel is het bedrijfsmatig stallen, trainen en africhten van paarden en/of pony's op het perceel en het daaruit genereren van inkomsten.

1.146 Pand     

De kleinste bij de totstandkoming functioneel en bouwkundig-constructief zelfstandige eenheid die direct en duurzaam met de aarde is verbonden en betreedbaar en afsluitbaar is.

1.147 Peil     

  1. Voor gebouwen waarvan de hoofdtoegang aan een weg grenst, mits het gebouw op een afstand van niet meer dan 20 m van die weg is gelegen: maximaal 35 cm boven de kruin van die weg ter plaatse van de hoofdtoegang;
  2. in andere gevallen bij gebouwen: de gemiddelde bestaande hoogte van het aan het gebouw grenzende terrein;
  3. voor bouwwerken, geen gebouwen zijnde: de gemiddelde bestaande hoogte van het aan het bouwwerk grenzende terrein.

1.148 Pergola     

Een bouwwerk, geen gebouw zijnde, bestaande uit een open constructie van twee of meer palen, die onderling met elkaar verbonden zijn.

1.149 Permanente bewoning     

Gebruik van (een deel van) een gebouw als hoofdwoonverblijf.

1.150 Plat dak     

Een dak met een dakhelling van minder dan 15º.

1.151 Plattelandswoning     

Een bij een agrarisch bedrijf behorende woning of voorheen bij een bedrijf behorende woning die als bedrijfswoning en/of door een derde bewoond mag worden, in de zin van artikel 1.1a van de Wet algemene bepalingen omgevingsrecht.

1.152 Plussenbeleid     

Beleid dat kwaliteitsvoorwaarden geeft voor het ruimtelijk beleid van gemeenten die een uitbreiding van de niet-grondgebonden veehouderijtak mogelijk willen maken.

1.153 Pod     

Een gebouw met een eenvoudige constructie, uitsluitend bestemd voor recreatief nachtverblijf met een maximale opprvlakte van 16 m2.

1.154 Recreatieappartement     

Een recreatiewoning deel uitmakend van één gebouw waarin meerdere recreatiewoningen, boven en/of naast elkaar zijn ondergebracht.

1.155 Recreatieve voorziening     

Een kleinschalige, niet-bedrijfsmatige voorziening met een dagrecreatief karakter, zoals zwembad of tennisbaan.

1.156 Recreatiewoning     

Een permanent aanwezig gebouw, geen chalet en stacaravan zijnde, bestemd om uitsluitend door een huishouden of daarmee gelijk te stellen groep van personen, dat het hoofdverblijf elders heeft, gedurende een gedeelte van het jaar bewoond te worden uitsluitend voor recreatieve doeleinden.

1.157 Rijstroken     

Als bedoeld in artikel 1 van de Wet geluidhinder.

1.158 Seksinrichting     

Een voor publiek toegankelijke, besloten ruimte waarin bedrijfsmatig, of in omvang als zij bedrijfsmatig was, seksuele handelingen worden verricht, of vertoningen van erotisch-pornografische aard plaatsvinden. Onder seksinrichting wordt in elk geval verstaan: een (raam)prostitutiebedrijf, een seksbioscoop, een seksautomatenhal, een sekstheater, een parenclub of een erotische massagesalon, al dan niet in combinatie met elkaar.

1.159 (sleuf)silo     

Een bouwwerk – geen mestopslagplaats zijnde – voor het opslaan van agrarische producten ten behoeve van de veehouderij en/of kuilvoer.

1.160 Sociaal-culturele voorzieningen     

Voorzieningen voor het uitoefenen van culturele, sociale en levensbeschouwelijke activiteiten.

1.161 Sociale koopwoning     

Koopwoning met een koopprijs vrij op naam van ten hoogste het bedrag van €200.000 waarbij de instandhouding voor de in een gemeentelijke verordening omschreven doelgroep voor een in de verordening vastgesteld tijdvak van tenminste een jaar en ten hoogste tien jaren na ingebruikname.

1.162 Staande mestopslagtank     

Een opslag welke een grotere hoogte dan diameter heeft met een maximale diameter van 4 meter.

1.163 Stacaravan     

Een caravan of soortgelijk onderkomen op wielen, dat mede, gelet op de afmetingen, niet bestemd is om regelmatig en op normale wijze op de verkeerswegen over grote afstanden als aanhangsel van een auto te worden voortbewogen, bestemd om uitsluitend door een huishouden of daarmee gelijk te stellen groep van personen, dat het hoofdverblijf elders heeft, gedurende een gedeelte van het jaar bewoond te worden, uitsluitend voor recreatieve doeleinden.

1.164 Supermarkt     

Een detailhandelsbedrijf met een winkelvloeroppervlak van meer dan 500 m² en een grote verscheidenheid aan artikelen, merendeels levensmiddelen, waarbij sprake is van zelfbediening door de klanten.

1.165 Teeltondersteunende kassen     

Kassen, waarin producten worden geteeld die een ondergeschikt bestanddeel vormen van de totale agrarische bedrijfsactiviteit.

1.166 Teeltondersteunende voorzieningen     

Ondersteunende voorzieningen ten behoeve van vollegronds groente-, fruit-, bloemen-, en boomteelt, te onderscheiden in de volgende categorieën:

  1. laag/tijdelijk:
    teeltondersteunende voorzieningen met een hoogte van max. 1,50 m, uitsluitend toegestaan zolang de teelt het vereist met een maximum van 8 maanden, bijvoorbeeld insectengaas, afdekfolie en lage tunnels;
  2. laag/permanent:
    teeltondersteunende voorzieningen met een hoogte van max. 1,50 m en met een permanent karakter, bijvoorbeeld containervelden;
  3. hoog/tijdelijk:
    teeltondersteunende voorzieningen met een hoogte van min. 1,50 m en maximaal 2 m. uitsluitend toegestaan zolang de teelt het vereist met een maximum van 8 maanden, bijvoorbeeld menstoegankelijke wandelkappen, schaduwhallen en hagelnetten;
  4. hoog/permanent:
    teeltondersteunende voorzieningen met een hoogte van min. 1,50 en maximaal 3,50 m met een permanent karakter, bijvoorbeeld stellingenteelt (bakken in stellingen, regenkappen) en teeltondersteunende kassen;
  5. overig:
    vraatnetten, boomteelthekken.

1.167 Toename van stikstofemissie en stikstofdepositie     

a. Er is sprake van een toename van stikstofemissie als bedoeld in onder a sub 1, onder a sub 1 en onder a sub 1 wanneer de emissie N/ha/jaar meer bedraagt dan de emissie N/ha/jaar afkomstig van het ten tijde van de vaststelling van het plan feitelijk aanwezige en planologisch legale gebruik van de betreffende gronden en bouwwerken.


b. Er is sprake van een toename van stikstofemissie als bedoeld in onder a sub 2, onder a sub 2 en onder a sub 2 wanneer de emissie N/ha/jaar meer bedraagt dan de emissie N/ha/jaar afkomstig van het ten tijde van de vaststelling van het plan feitelijk aanwezige en planologisch legale gebruik van de betreffende gronden en bouwwerken behorend tot de inrichting.

c. Indien een gelijkblijvende of een afname van emissie N/ha/jaar afkomstig van het ten tijde van de vaststelling van het plan feitelijk aanwezige en planologisch legale gebruik van de betreffende gronden en bouwwerken een hogere stikstofdepositie veroorzaakt op voor stikstof gevoelige habitats in een Natura 2000-gebied, dan wordt dit eveneens beschouwd als een toename van stikstofemissie.


d. Indien een gelijkblijvende of een afname van emissie N/ha/jaar afkomstig van het ten tijde van de vaststelling van het plan feitelijk aanwezige en planologisch legale gebruik van de betreffende gronden en bouwwerken behorend tot de inrichting een hogere stikstofdepositie veroorzaakt op voor stikstof gevoelige habitats in een Natura 2000-gebied, dan wordt dit eveneens beschouwd als een toename van stikstofemissie.


e. Als uitzondering op lid a, lid b, lid c en lid d van deze bepaling, is er geen sprake van een toename van stikstofemissie wanneer de emissie N/ha/jaar afkomstig van het agrarisch bedrijf niet meer bedraagt dan de emissie N/ha/jaar afkomstig van het gebruik van gronden en bouwwerken als bedoeld in lid a of c of het gebruik van gronden en bouwwerken behorend tot de inrichting als bedoeld in lid b of d conform een ten tijde van de vaststelling van dit bestemmingsplan verleende en onherroepelijke vergunning als bedoeld in artikel 19d Natuurbeschermingswet 1998 en/of artikel 2.7 lid 2 Wet natuurbescherming, en waarvoor een passende beoordeling is gemaakt, dan wel een verleende en onherroepelijke omgevingsvergunning die met toepassing van hoofdstuk IX Natuurbeschermingswet 1998 dan wel onder toepassing van artikel 2.2aa Bor juncto artikel 2.1 lid 1 onder i Wet algemene bepalingen omgevingsrecht is verleend en waarvoor een passende beoordeling is gemaakt. De bedoelde Natuurbeschermingswetvergunningen zijn als zodanig opgenomen in van de planregels.

1.168 Trekkershut     

Een gebouw met een eenvoudige constructie, uitsluitend bestemd voor recreatief nachtverblijf zonder sanitaire voorzieningen.

1.169 Tuincentrum     

Een bedrijf dat is gericht op het telen en voornamelijk verkopen van planten en siergewassen, alsmede het verkopen en leveren van andere goederen en materialen voor het aanleggen, onderhouden en verfraaien van tuinen.

1.170 Twee-aaneengebouwde woning     

Een blok van maximaal twee-aaneengebouwde woningen, waarvan de hoofdgebouwen aan elkaar gekoppeld zijn.

1.171 Uitbouw     

Een bijbehorend bouwwerk, zijnde een als vergroting van het hoofdgebouw gebouwd gebouw, hetwelk door de vorm kan worden onderscheiden van het hoofdgebouw en daar in architectonisch opzicht ondergeschikt aan is, maar in functioneel opzicht wel deel uitmaakt van dat hoofdgebouw.

1.172 Verkoopvloeroppervlak     

De oppervlakte van een ruimte, die uitsluitend gebruikt wordt voor het verkopen van producten, niet zijnde de ruimte voor opslag of het vervaardigen/ bewerken van producten.

1.173 Volwaardig agrarisch bedrijf     

Een agrarisch bedrijf met zodanig omvang en/of structuur dat redelijkerwijs verwacht mag worden, dan wel aantoonbaar is, dat tenminste één persoon een volledige dagtaak heeft met het beheer van het bedrijf, de verzorging van het vee en de bewerking van het land.

1.174 Voorerfgebied     

Erf dat geen onderdeel is van het achtererfgebied.

1.175 Voorgevel     

De naar architectuur, indeling en/of uitstraling meest gezichtsbepalende gevel(s) van een hoofdgebouw, (doorgaans) gekeerd naar de weg of het openbaar gebied.

1.176 Voorgevelrooilijn     

De lijn die gelijk loopt aan voorgevel(s) van het hoofdgebouw en het verlengde daarvan. (Van een hoofdgebouw gelegen op de hoek van twee straten moeten beide gevels van het hoofdgebouw, gelegen aan de straatkant, gezien worden als voorgevel).

1.177 Voormalig agrarisch bedrijf     

Bij een voormalig agrarisch bedrijf is na de terinzagelegging van de ontwerp-bestemmingsplannen Buitengebied Hengelo/Vorden 2005, Buitengebied Zelhem 2011 en Buitengebied Steenderen / Hummelo en Keppel de agrarische bestemming gewijzigd in een woonbestemming.

1.178 Voorzorgsbeleid     

Het advies van de toenmalige Staatssecretaris van VROM d.d. 3 oktober 2005, kenmerk SAS/2005183118 en aanvullende brief van de toenmalige Minister van VROM d.d. 4 november 2008 (DGM/2008105664)) met betrekking tot gezondheidsaspecten van elektromagnetische velden.

1.179 Vrijstaande woning     

Een woning die geheel vrij staat ten opzichte van andere bebouwing.

1.180 Waterbergingsgebied     

Een krachtens de Wet ruimtelijke ordening voor waterstaatkundige doeleinden bestemd gebied, niet zijnde een oppervlaktewaterlichaam of onderdeel daarvan,dat dient ter verruiming van de bergingscapacitieit van een of meer watersystemen.

1.181 Waterwet     

Wet van 29 januari 2009, Stb. 2009, 107, houdende regels met betrekking tot het beheer en gebruik van watersystemen, zoals deze luidde op het moment van de terinzagelegging van het ontwerp van het plan.

1.182 Weg     

Alle voor het openbaar verkeer openstaande wegen of paden met inbegrip van de daarin liggende bruggen en duikers en de tot die wegen behorende paden en bermen of zijkanten.

1.183 Wet algemene bepalingen omgevingsrecht     

Wet van 6 november 2008, Stb. 2008, 496, houdende regels inzake een vergunningstelsel met betrekking tot activiteiten die van invloed zijn op de fysieke leefomgeving en inzake handhaving van regelingen op het gebied van de fysieke leefomgeving (Wet algemene bepalingen omgevingsrecht), zoals deze luidde op het moment van de terinzagelegging van het ontwerp van het plan.

1.184 Wet geluidhinder     

Wet van 16 februari 1979, Stb. 1979, 99, houdende regels inzake het voorkomen of beperken van geluidhinder, zoals deze luidde op het moment van de terinzagelegging van het ontwerp van het plan.

1.185 Wet informatie-uitwisseling ondergrondse netten     

Wet van 7 februari 2008, Stb. 2008, 120, houdende regels over de informatie-uitwisseling betreffende ondergrondse netten, zoals deze luidde op het moment van de terinzagelegging van het ontwerp van het plan.

1.186 Wet milieubeheer     

Wet van 13 juni 1979, Stb. 1979, 442, houdende regelen met betrekking tot een aantal algemene onderwerpen op het gebied van de milieuhygiëne, zoals deze luidde op het moment van de terinzagelegging van het ontwerp van het plan.

1.187 Wet natuurbescherming     

Wet van 16 december 2015, Stb. 2016, 34, houdende regels ter bescherming van de natuur, zoals deze luidde op het moment van de terinzagelegging van het ontwerp van het plan.

1.188 Wet ruimtelijke ordening     

Wet van 20 oktober 2006, Stb. 2006, 566, zoals gewijzigd bij de Wet van 24 mei 2007, Stb. 2007, 271 (grondexploitatie), inclusief de door de Tweede Kamer op 1 januari 2008 aanvaarde wijzigingen in het kader van de Invoeringswet (TK 2007-2008, 30 938, A), zoals deze luidde op het moment van de terinzagelegging van het ontwerp van het plan.

1.189 Woning     

Een complex van ruimten, inclusief aan- en uitbouwen, uitsluitend bedoeld voor de huisvesting van één afzonderlijk huishouden.

1.190 Woningwet     

Wet van 29 augustus 1991, Stb. 1991, 439, tot herziening van de Woningwet, zoals deze luidde op het moment van de terinzagelegging van het ontwerp van het plan.

1.191 Woondoeleinden     

Het bewonen van een woning.

1.192 Woongebouw     

Een gebouw, dat uit meerdere naast elkaar en/of gedeeltelijk boven elkaar gelegen woningen (appartementen) bestaat en dat qua uiterlijke verschijningsvorm als een eenheid kan worden beschouwd.

1.193 Woonschip     

Een vaartuig of drijvend voorwerp, dat uitsluitend of hoofdzakelijk als woning wordt gebruikt en daartoe is ingericht.

1.194 Woonwagen     

Een voor bewoning bestemd gebouw dat is geplaatst op een woonwagenstandplaats en dat in zijn geheel of in delen kan worden verplaatst.

1.195 Zijerfgebied     

Het voorerfgebied aan de naar openbaar toegankelijk gebied gekeerde zijkant, op meer dan 1 meter van de voorkant, van een hoofdgebouw.

1.196 Zorghotelkamer     

Een gelegenheid voor tijdelijke overnachting in combinatie met zorg al dan niet ten behoeve van recreatief verblijf.

1.197 Zorginstelling     

Een complex met zorgwoningen gecombineerd met zorg- en welzijnsvoorzieningen en waarbij tevens ter ondersteuning van deze functie kleinschalige, ondergeschikte detailhandel, dienstverlening en/of horeca kan voorkomen.

1.198 Zorgwoning     

Een gebouw of zelfstandig gedeelte van een gebouw dat bedoeld is voor de huisvesting van een persoon die niet zelfstandig kan wonen en die voortdurend of nagenoeg voortdurend geestelijke en/of lichamelijke verzorging behoeft.

Artikel 2 Wijze van meten     

Bij toepassing van deze regels wordt als volgt gemeten:

2.1 De afstand van een gebouw tot de perceelsgrens     

De afstand van een gebouw tot de perceelsgrens wordt bepaald door het buitenwerks meten van de kortste afstand van een gevel van het gebouw tot de perceelsgrens.

2.2 De dakhelling     

Langs het dakvlak ten opzichte van het horizontale vlak.

2.3 De goothoogte van een bouwwerk     

Vanaf het peil tot aan de bovenkant van de goot c.q. de druiplijn, het boeiboord, of daarbij gelijk te stellen constructiedeel.

2.4 De inhoud van een bouwwerk     

Tussen de bovenzijde van de begane grondvloer, de buitenzijde van de gevels (en/of het hart van de scheidsmuren) en de buitenzijde van daken en dakkapellen.

2.5 De bouwhoogte van een bouwwerk     

Vanaf het peil tot aan het hoogste punt van een gebouw of van een overig bouwwerk met uitzondering van ondergeschikte bouwonderdelen, zoals schoorstenen, antennes, en naar de aard daarmee gelijk te stellen bouwonderdelen.

2.6 De oppervlakte van een bouwwerk     

Tussen de buitenwerkse gevelvlakken en/of het hart van de scheidingsmuren, neerwaarts geprojecteerd op het gemiddelde niveau van het afgewerkte bouwterrein ter plaatse van het bouwwerk.

2.7 De bruto vloeroppervlakte (bvo)     

De oppervlakte van een ruimte of een groep van ruimten, gemeten op vloerniveau langs de buitenomtrek van de opgaande scheidingsconstructies, die de desbetreffende ruimte of groep van ruimten omhullen.

2.8 De hoogte van een windturbine     

Vanaf het peil tot aan de (wieken)as van de windturbine.

Hoofdstuk 2 Bestemmingsregels     

Artikel 3 Bedrijf - Nutsvoorziening     

3.1 Bestemmingsomschrijving     

3.1.1 Algemene bestemmingsomschrijving     

De voor 'Bedrijf - Nutsvoorziening' aangewezen gronden zijn bestemd voor:

  1. nutsvoorzieningen;
  2. zend- en ontvangstinstallaties;
  3. groenvoorzieningen;
  4. verhardingen;

één en ander met de bijbehorende bouwwerken en voorzieningen en overeenkomstig de in 3.1.2 opgenomen nadere detaillering van de bestemmingsomschrijving.

3.1.2 Nadere detaillering van de bestemmingsomschrijving     

Voor de bestemming 'Bedrijf - Nutsvoorziening' gelden de volgende regels:

a Zend- en ontvangstinstallatie     

Een zend- en ontvangstinstallatie is uitsluitend toegestaan ter plaatse van de aanduiding 'zend/ontvangstinstallatie'.

3.2 Bouwregels     

3.2.1 Algemeen     

Uitsluitend zijn toegestaan gebouwen van openbaar nut en bouwwerken, geen gebouwen zijnde, die ten dienste staan van deze bestemming.

3.2.2 Nutsvoorzieningen     

Voor nutsvoorzieningen gelden de volgende regels:

  1. gebouwen mogen uitsluitend worden gebouwd ter plaatse van de aanduiding 'bouwvlak';
  2. de bouwhoogte bedraagt maximaal hetgeen in het 'bouwvlak' met de aanduiding 'maximum bouwhoogte (m)' is aangegeven;
  3. de goothoogte bedraagt niet meer dan in het 'bouwvlak' met de aanduiding 'maximum goothoogte (m)' is aangegeven;
  4. de goot- en bouwhoogte bedragen niet meer dan in het 'bouwvlak' met de aanduiding 'maximum goothoogte (m), maximum bouwhoogte (m)' is aangegeven.
3.2.3 Bouwwerken, geen gebouwen zijnde     

Voor bouwwerken, geen gebouwen zijnde, gelden de volgende regels:

  1. de bouwhoogte van erf- of terreinafscheidingen bedraagt maximaal 2 m;
  2. de bouwhoogte van zend-/ontvangstinstallaties bedraagt maximaal 40 m, met dien verstande dat ter plaatse van aanduiding 'maximum bouwhoogte (m)', de daar aangegeven bouwhoogte is toegelaten;
  3. de bouwhoogte van overige bouwwerken, geen gebouwen zijnde, bedraagt maximaal 3 m.

Artikel 4 Bos     

4.1 Bestemmingsomschrijving     

De voor 'Bos' aangewezen gronden zijn bestemd voor:

  1. bos met bijbehorende voorzieningen;
  2. houtproductie;
  3. bescherming van de droge en natte natuurwaarden en landschappelijke waarden;
  4. extensief recreatief medegebruik;
  5. water en waterlopen;
  6. bescherming en instandhouding van drinkwatervoorzieningen;
  7. nutsvoorzieningen;
  8. voet- en fietspaden;

één en ander met de bijbehorende voorzieningen.

4.2 Bouwregels     

4.2.1 Algemeen     

Uitsluitend zijn toegestaan bouwwerken, geen gebouwen zijnde, die ten dienste staan van deze bestemming.

4.2.2 Bouwwerken, geen gebouwen zijnde     

Voor bouwwerken, geen gebouwen zijnde, gelden de volgende regels:

  1. de bouwhoogte van erf- of terreinafscheidingen bedraagt maximaal 1 m;
  2. de bouwhoogte van bouwwerken, geen gebouwen zijnde, ten behoeve van informatievoorzieningen bedraagt maximaal 2,5 m;
  3. de bouwhoogte van overige bouwwerken, geen gebouwen zijnde, bedraagt maximaal 1 m.

4.3 Specifieke gebruiksregels     

4.3.1 Strijdig gebruik     

Onder het gebruiken van gronden of bouwwerken in strijd met het plan wordt in ieder geval begrepen:

  1. opslag-, stort- en/of lozingsplaats van al dan niet aan het gebruik onttrokken goederen, grond, stoffen en materialen, behoudens voorzover dat noodzakelijk is voor het op de bestemming gerichte gebruik van de grond en opstallen;
  2. het geplaatst houden van kampeermiddelen.

4.4 Omgevingsvergunning voor het uitvoeren van een werk, geen bouwwerk zijnde, of van werkzaamheden     

4.4.1 Werken en werkzaamheden     

Het is verboden zonder of in afwijking van een omgevingsvergunning van het bevoegd gezag de volgende andere werken of werkzaamheden uit te voeren of te laten uitvoeren die mogelijk gevolgen hebben voor bodemstructuur, het bodemniveau, het landschap en de waterhuishouding:

  1. ophoging, egalisering van gronden en afgraven van de bodem;
  2. aanleggen en dempen van watergangen, sloten en andere waterpartijen;
  3. overige werken en werkzaamheden die de waterhuishouding beïnvloeden, zoals bemalen, onderbemalen, het slaan van putten;
  4. aanleggen en (half)verharden van wegen, het aanbrengen van andere oppervlakteverhardingen groter dan 200 m².
4.4.2 Uitzonderingen vergunningsplicht     

Het in 4.4.1 vervatte verbod geldt niet voor het uitvoeren van de volgende werken en werkzaamheden:

  1. werken en werkzaamheden in het kader van het normale beheer, gebruik en onderhoud;
  2. werken en/of werkzaamheden welke zijn aangevangen dan wel in uitvoering zijn ten tijde van het van kracht worden van het plan;
  3. de aanleg van verharde kavelpaden ter ontsluiting van agrarische gronden.
4.4.3 Voorwaarden     

De in 4.4.1 genoemde omgevingsvergunning wordt slechts verleend indien en voorzover door de werken en werkzaamheden geen onevenredige aantasting ontstaat of kan ontstaan:

  1. voor de bodemstructuur, het bodemniveau, het landschap en de waterhuishouding;
  2. er vindt geen onevenredige aantasting plaats van de aanwezige waarden zoals opgenomen in 4.1.  

Artikel 5 Groen     

5.1 Bestemmingsomschrijving     

5.1.1 Algemene bestemmingsomschrijving     

De voor 'Groen' aangewezen gronden zijn bestemd voor:

  1. groenvoorzieningen;
  2. parken en plantsoenen;
  3. voet- en fietspaden;
  4. parkeervoorzieningen;
  5. sport- en speelvoorzieningen;
  6. water en waterhuishoudkundige voorzieningen;
  7. waterberging;
  8. straatmeubilair;
  9. beeldende kunstwerken;
  10. hondenuitlaatplaatsen;
  11. dierenweide;
  12. watermolen;
  13. nutsvoorzieningen;
  14. zend- en ontvangstinstallaties;
  15. muziekkoepel;
  16. jongerenontmoetingsplek;
  17. bijgebouwen;
  18. evenementen en evenemententerrein;
  19. behoud, beheer en/of herstel van het kasteelpark, ter plaatse van de aanduiding 'park';
  20. behoud, beheer en/of herstel van lanenstructuren;

één en ander met bijbehorende voorzieningen en overeenkomstig de in 5.1.2 opgenomen nadere detaillering van de bestemmingsomschrijving.

5.1.2 Nadere detaillering van de bestemmingsomschrijving     

Voor de bestemming 'Groen' gelden de volgende regels:

a Lanenstructuur     

De gronden ter plaatse van de aanduiding 'specifieke vorm van waarde - lanenstructuur' zijn bestemd voor het behoud, beheer en/of herstel van de aanwezige lanenstructuur.

b Parkeervoorzieningen     

Parkeervoorzieningen zijn uitsluitend ter plaatse van de aanduiding 'parkeerterrein' toegestaan.

c Zend- en ontvangstinstallatie     

Een zend- en ontvangstinstallatie is uitsluitend toegestaan ter plaatse van de aanduiding 'zend/ontvangstinstallatie'.

d Nutsvoorziening     

Ter plaatse van de aanduiding 'nutsvoorziening' zijn de gronden tevens bestemd voor nutsvoorzieningen.

e Watermolen     

Ter plaatse van de aanduiding 'specifieke vorm van cultuur en ontspanning - watermolen' zijn de gronden tevens bestemd voor het beheer, behoud en het herstel van de aanwezige watermolen.

f Muziekkoepel     

Ter plaatse van de aanduiding 'specifieke vorm van cultuur en ontspanning - muziekkoepel' zijn de gronden tevens bestemd voor een muziekkoepel.

g Jongerenontmoetingsplek     

Ter plaatse van de aanduiding 'jongeren ontmoetingsplek' zijn de gronden tevens bestemd voor een jongerenontmoetingsplek.

h Bijgebouwen     

Ter plaatse van de aanduiding 'bijgebouwen' zijn de gronden tevens bestemd voor bijgebouwen ten dienste van wonen.

i Evenementen     

Voor evenementen gelden de volgende regels:

  1. evenementen die 4 dagen of korter duren (inclusief op- en afbouw) zijn binnen de gehele bestemming toegelaten;
  2. evenementen die 5 dagen of langer duren (inclusief op- en afbouw) zijn uitsluitend toegestaan ter plaatse van de aanduiding 'evenemententerrein' mits wordt voldaan aan de in onderstaande tabel opgenomen periodes en type evenement:
evenement periode duur (inclusief op- en afbouw)
Kermis in Baak september, oktober 10 dagen
Kermis in Wichmond augustus 10 dagen
Achterhoeks Lentefeest in Baak maart, april, mei 5 dagen
Jazzevenement in Laag-Keppel juni, juli, augustus 5 dagen

5.2 Bouwregels     

5.2.1 Algemeen     

Uitsluitend zijn toegestaan gebouwen en bouwwerken, geen gebouwen zijnde, die ten dienste staan van deze bestemming.

5.2.2 Bouwwerken, geen gebouwen zijnde     

Voor bouwwerken, geen gebouwen zijnde, gelden de volgende regels:

  1. de bouwhoogte van erf- of terreinafscheidingen bedraagt maximaal 2 m;
  2. de bouwhoogte van sport- en speelvoorzieningen bedraagt maximaal 6 m;
  3. de bouwhoogte van een zend- en ontvangstinstallatie bedraagt maximaal 40 m;
  4. de bouwhoogte van overige bouwwerken, geen gebouwen zijnde, bedraagt maximaal 4 m.
5.2.3 Watermolen     

Voor de watermolen gelden de volgende regels:

  1. de watermolen mag uitsluitend worden gebouwd ter plaatse van de aanduiding 'bouwvlak';
  2. de bouwhoogte van de watermolen bedraagt maximaal hetgeen ter plaatse van de aanduiding 'maximale bouwhoogte' is aangegeven.
5.2.4 Muziekkoepel     

Voor de muziekkoepel gelden de volgende regels:

  1. de goot- en bouwhoogte van de muziekkoepel bedragen maximaal 4 m respectievelijk 6 m;
  2. de bebouwde oppervlakte bedraagt maximaal 100 m².
5.2.5 Jongerenontmoetingsplek     

Voor de jongerenontmoetingsplek gelden de volgende regels:

  1. de goot- en bouwhoogte van een gebouw ten behoeve van een jongerenontmoetingsplaats bedragen maximaal 3 m respectievelijk 6 m;
  2. de bebouwde oppervlakte van het gebouw bedraagt maximaal 20 m².
5.2.6 Bijgebouwen     

Voor de bijgebouwen gelden de volgende regels:

  1. bijgebouwen zijn uitsluitend ter plaatse van de aanduiding 'bijgebouwen' toegestaan;
  2. de goot- en bouwhoogte bedragen maximaal 3 m respectievelijk 6 m.
5.2.7 Dierenweide     

Voor een dierenweide gelden de volgende regels:

  1. de bouwhoogte van een gebouw ten behoeve van een dierenweide bedraagt maximaal 3 m;
  2. de bebouwde oppervlakte van het gebouw bedraagt maximaal 30 m².

5.3 Omgevingsvergunning voor het uitvoeren van een werk, geen bouwwerk zijnde, of van werkzaamheden     

5.3.1 Vergunningplicht     

Het is verboden op of in de gronden ter plaatse van de aanduiding 'park' zonder of in afwijking van een omgevingsvergunning de volgende werken, geen bouwwerken zijnde, of werkzaamheden uit te voeren:

  1. het ontginnen, verlagen, afgraven, ophogen of egaliseren van de bodem;
  2. het aanleggen of verharden van wegen, paden, banen, terrassen of parkeergelegenheid en het aanbrengen van andere oppervlakteverhardingen;
  3. het kappen of verwijderen van bomen.
5.3.2 Uitzondering vergunningplicht     

Het in 5.3.1 vervatte verbod geldt niet voor werken, geen bouwwerken zijnde, of werkzaamheden die het normaal onderhoud en beheer betreffen.

Artikel 6 Verkeer     

6.1 Bestemmingsomschrijving     

6.1.1 Algemene bestemmingsomschrijving     

De voor 'Verkeer' aangewezen gronden zijn bestemd voor:

  1. wegen;
  2. voet- en fietspaden;
  3. pleinen;
  4. verblijfsgebieden;
  5. parkeervoorzieningen;
  6. garageboxen;
  7. groenvoorzieningen;
  8. tuinen;
  9. sport- en speelvoorzieningen;
  10. nutsvoorzieningen;
  11. terrassen;
  12. straatmeubilair;
  13. beeldende kunstwerken;
  14. geluidswerende voorzieningen;
  15. water en waterhuishoudkundige voorzieningen;
  16. een gebouwde vuilwatervoorziening in de vorm van een ondergrondse vuil water bergingskelder ter plaatse van de aanduiding 'waterberging';
  17. behoud, beheer en/of herstel van lanenstructuren;
  18. behoud, beheer en/of herstel van het beschermd stadsgezicht;

één en ander met bijbehorende voorzieningen en overeenkomstig de in 6.1.2 opgenomen nadere detaillering van de bestemmingsomschrijving.

6.1.2 Nadere detaillering van de bestemmingsomschrijving     

Voor de bestemming 'Verkeer' gelden de volgende regels:

a Plein     

Ter plaatse van de aanduiding 'plein' zijn de gronden bestemd voor een plein met de bijbehorende voorzieningen, zoals een muziekkoepel.

b Lanenstructuur     

Ter plaatse van de aanduiding 'specifieke vorm van waarde - lanenstructuur' zijn de gronden bestemd voor het behoud, beheer en/of herstel van de aanwezige lanenstructuur.

c Groenvoorzieningen     

Ter plaatse van de aanduiding 'groen' zijn uitsluitend groenvoorzieningen toegestaan.

d Garageboxen     

Garageboxen zij uitsluitend toegestaan ter plaatse van de aanduiding 'garage' en zijn uitsluitend bestemd voor de stalling van voertuigen en berging als medegebruik.

e Nutsvoorzieningen     

Nutsvoorziening zijn uitsluitend ter plaatse van de aanduiding 'nutsvoorziening' toegestaan.

f Terras     

Terrassen zijn uitsluitend ter plaatse van de aanduiding 'terras' toegestaan.

6.2 Bouwregels     

6.2.1 Algemeen     

Uitsluitend zijn toegestaan gebouwen en bouwwerken , geen gebouwen zijnde, die ten dienste staan van deze bestemming.

6.2.2 Waterberging     

Ter plaatse van de aanduiding 'waterberging' is een gebouwde waterhuishoudkundige voorziening in de vorm van een ondergrondse vuilwaterbergingskelder toegestaan onder de volgende voorwaarden:

  1. tot maximaal de omvang van de aanduiding;
  2. tot maximaal 4 meter onder het maaiveld.
6.2.3 Garageboxen     

De bouwhoogte van garageboxen bedraagt maximaal 3 m.

6.2.4 Bouwwerken, geen gebouwen zijnde     

Voor bouwwerken, geen gebouwen zijnde, gelden de volgende regels:

  1. de bouwhoogte van erf- of terreinafscheidingen ten behoeve van tuinen bedraagt maximaal 1 m;
  2. de bouwhoogte van overige bouwwerken, geen gebouwen zijnde, bedraagt maximaal 4 m;
  3. de bouwhoogte van overige bouwwerken, geen gebouwen zijnde, bedraagt ter plaatse van de aanduiding 'specifieke vorm van verkeer - top-herkenningspunt' maximaal 4,5 m;

Artikel 7 Wonen     

7.1 Bestemmingsomschrijving     

7.1.1 Algemene bestemmingsomschrijving     

De voor 'Wonen' aangewezen gronden zijn bestemd voor:

  1. woondoeleinden;
  2. aan huis verbonden activiteit;
  3. sociaal-culturele voorzieningen;
  4. praktijkruimte voor lichamelijke en/of geestelijk gezondheidszorg;
  5. molen;
  6. kantoor;
  7. detailhandel;
  8. recreatiewoning;
  9. dierenverblijf;
  10. beheer, behoud en het herstel van een waterrad;
  11. opslag;
  12. nutsvoorzieningen;
  13. groenvoorzieningen;
  14. maatschappelijke voorziening;
  15. water en waterhuishoudkundige voorzieningen;
  16. wegen;
  17. voet- en fietspaden;

één en ander met de bijbehorende voorzieningen en overeenkomstig de in 7.1.2 opgenomen nadere detaillering van de bestemmingsomschrijving.

7.1.2 Nadere detaillering van de bestemmingomschrijving     

Voor de bestemming 'Wonen' gelden de volgende regels:

a Aan huis verbonden activiteit     

Het gebruik van een woning, een bijbehorend bouwwerk en bij de woning behorende gronden voor de uitoefening van een aan huis verbonden activiteit wordt geacht overeenkomstig de bestemming te zijn, mits wordt voldaan aan de volgende bepalingen:

  1. de activiteit dient qua aard, omvang en uitstraling te passen in een woonomgeving;
  2. de eigenaar van de aan huis verbonden activiteit is tevens de bewoner van de woning;
  3. de woonfunctie blijft de hoofdfunctie en de uitoefening van het aan huis verbonden bedrijf is hieraan ondergeschikt;
  4. het geheel blijft het uiterlijk van een woning behouden;
  5. opslag is uitsluitend binnen bebouwing toegestaan;
  6. de verkeersontsluitingssituatie ter plaatse wordt niet onevenredig aangetast;
  7. ten aanzien van parkeren is het gestelde in 13.2 van toepassing;
  8. bij een aan huis verbonden beroep en een aan huis verbonden bedrijf mag maximaal 40% van de bruto vloeroppervlakte (bvo) worden gebruikt tot een maximum van 50 m²;
  9. bij een aan huis verbonden bedrijf zijn alleen activiteiten toegestaan die vallen in de categorie A van de bij de regels behorende Bijlage 1 Staat van Bedrijfsactiviteiten - functiemenging;
  10. bij bed & breakfast is er sprake van maximaal 2 gastenkamers;
  11. detailhandel is enkel toegelaten in de vorm van internetverkoop en een beperkte verkoop als ondergeschikte activiteit in verband met de aan huis verbonden activiteit.
b Sociaal-culturele voorzieningen     

Uitsluitend ter plaatse van de aanduiding 'cultuur en ontspanning' zijn sociaal-culturele voorzieningen toegestaan, onder andere in de vorm van een wijkcentrum-woonkamer met een maximale oppervlakte van 100 m2.

c Praktijkruimte voor lichamelijke en/of geestelijke gezondheidszorg     

Uitsluitend ter plaatse van de aanduiding 'specifieke vorm van maatschappelijk - zorg 1' is op de begane grond een praktijkruimte voor lichamelijke en/of geestelijke gezondheidszorg toegestaan. Detailhandel is niet toegestaan, behoudens als ondergeschikte nevenactiviteit in producten die functioneel gerelateerd zijn aan de praktijkruimte voor lichamelijke en/of geestelijke gezondheidszorg.

d Kantoor     

Uitsluitend ter plaatse van de aanduiding ‘kantoor‘ is een kantoor toegestaan.

e Detailhandel     

Uitsluitend ter plaatse van de aanduiding 'detailhandel' is detailhandel toegestaan;

f Recreatiewoning     

Uitsluitend ter plaatse van de aanduiding 'recreatiewoning' is een recreatiewoning toegestaan.

g Dierenverblijf     

Ter plaatse van de aanduiding 'specifieke bouwaanduiding - afwijkende oppervlakte bijgebouwen' is een dierenverblijf met een maximale oppervlakte van 200 m² ten behoeve van het houden van dieren toegestaan, met dien verstande dat:

  1. het dierenverblijf als vrijstaand bijgebouw bij de woning dient te worden aangemerkt;
  2. degene die gebruiker is van de woning, ook degene is die de dieren houdt;
  3. het gebruik naar aard en omvang ondergeschikt moet zijn aan de woonfunctie.
h Waterrad     

Ter plaatse van de aanduiding 'specifieke vorm van cultuur en ontspanning - waterrad' zijn de gronden bestemd voor het beheer, behoud en het herstel van het aanwezige waterrad.

i Opslag     

Uitsluitend ter plaatse van de aanduiding 'opslag' is opslag toegestaan, met dien verstande dat opslag uitsluitend binnen bebouwing is toegestaan.

j Nutsvoorziening     

Uitsluitend ter plaatse van de aanduiding 'nutsvoorziening' is een nutsvoorziening toegestaan.

k Afschermend groen     

Ter plaatse van de aanduiding 'groen' zijn afschermende groenvoorzieningen toegestaan.

l Groenvoorziening     

Ter plaatse van de aanduiding 'groenvoorziening' zijn openbare groen- en speelvoorzieningen toegestaan.

m Maatschappelijke voorziening     

Ter plaatse van de aanduiding 'cultuur en ontspanning' een maatschappelijke voorziening in de vorm van een wijkcentrum-woonkamer toegestaan tot een maximum oppervlakte van 150 m² voor echt plan Stedelijk gebied; Het Loo Zelhem

7.2 Bouwregels     

7.2.1 Algemeen     

Voor het bouwen gelden de volgende algemene regels:

  1. uitsluitend zijn toegestaan gebouwen en bouwwerken, geen gebouwen zijnde, die ten dienste staan van deze bestemming;
  2. het bebouwingspercentage voor gebouwen bedraagt:
    1. bij vrijstaande woningen maximaal 30%;
    2. bij twee-aaneen woningen maximaal 40%;
    3. bij aaneengebouwde woningen maximaal 50%;
    4. ter plaatse van de aanduiding 'maximum bebouwingspercentage' maximaal het aangegeven bebouwingspercentage, waarbij het bouwvlak ten hoogste tot het aangegeven bebouwingspercentage mag worden bebouwd.
7.2.2 Hoofdgebouwen     

Voor hoofdgebouwen gelden de volgende regels:

  1. hoofdgebouwen mogen uitsluitend worden gebouwd ter plaatse van de aanduiding 'bouwvlak' in de naar de weg gekeerde grens van het 'bouwvlak';
  2. het bestaande aantal woningen mag niet worden vermeerderd, met dien verstande dat in afwijking van het voorgaande ter plaatse van de aanduiding 'maximum aantal woningen' ten hoogste het aangegeven aantal woningen is toegestaan;
  3. de bouwhoogte bedraagt maximaal hetgeen ter plaatse van de aanduiding 'maximum bouwhoogte (m)' is aangegeven;
  4. de goot- en bouwhoogte bedragen maximaal hetgeen ter plaatse van de aanduiding 'maximum goothoogte (m), maximum bouwhoogte (m)' is aangegeven;
  5. voor de bouwwijze van hoofdgebouwen geldt het volgende:
    1. ter plaatse van de aanduiding 'vrijstaand' zijn uitsluitend vrijstaande woningen toegestaan;
    2. ter plaatse van de aanduiding 'twee-aaneen' zijn uitsluitend twee-aaneengebouwde woningen toegestaan;
    3. ter plaatse van de aanduiding 'aaneengebouwd' zijn uitsluitend aaneengebouwde woningen toegestaan;
    4. ter plaatse van de aanduiding 'gestapeld' zijn uitsluitend gestapelde woningen toegestaan;
    5. ter plaatse van de aanduiding 'specifieke bouwaanduiding - patiowoning' zijn uitsluitend patiowoningen toegestaan;
  6. de afstand van het hoofdgebouw tot de zijdelingse perceelsgrens bedraagt:
    1. bij vrijstaande en twee-aaneen woningen minimaal 3 m;
    2. ter plaatse van de aanduiding 'specifieke bouwaanduiding - geschakeld' éénzijdig minimaal 3 m;
  7. de oppervlakte van het hoofdgebouw bedraagt:
    1. bij vrijstaande woningen maximaal 200 m2;
    2. bij twee-aaneen woningen maximaal 150 m2;
  8. voor zover een gevellijn is opgenomen wordt de voorgevel van het hoofdgebouw binnen het bouwperceel gesitueerd in de bouwgrens ter plaatse van de aanduiding 'gevellijn';
  9. ter plaatse van de aanduiding 'specifieke vorm van wonen - sociale koopwoning' bedraagt het percentage sociale koopwoningen 100%.
7.2.3 Bijbehorende bouwwerken     

Voor een bijbehorende bouwwerken gelden de volgende regels:

  1. bijbehorende bouwwerken mogen ter plaatse van het 'bouwvlak', achtererfgebied en zijerfgebied worden gebouwd;
  2. in afwijking van het bepaalde onder a geldt dat ter plaatse van de aanduiding 'specifieke bouwaanduiding uitgesloten - bijbehorende bouwwerken' geen bijbehorende bouwwerken mogen worden gebouwd;
    1. in afwijking onder b is per perceel één bijbehorend bouwwerk toegestaan tot een omvang van maximaal 6 m2;
  3. de goothoogte en bouwhoogte bedragen maximaal 3 m respectievelijk 5 m;
  4. buiten het 'bouwvlak' mag de bebouwde oppervlakte per bouwperceel maximaal 120 m2 bedragen;
  5. in afwijking van het bepaalde onder d geldt dat op het bouwperceel ter plaatse van de aanduiding 'specifieke bouwaanduiding - afwijkende oppervlakte bijgebouwen' de totale oppervlakte van bijbehorende bouwwerken buiten het bouwvlak maximaal 275 m² mag bedragen;
  6. in afwijking van het bepaalde onder d geldt dat op het bouwperceel ter plaatse van de aanduiding 'bijgebouwen' een bijbehorend bouwwerk mag worden gebouwd tot maximaal de omvang van de aanduiding;
  7. in zijerfgebied gelden de volgende aanvullende regels:
    1. ingeval op een belendend perceel, grenzend aan het zijerfgebied, een hoofdgebouw aanwezig is:
      • in het zijerfgedeelte, dat minimaal 1 m achter de voorgevel van het hoofdgebouw op dat belendend perceel ligt, bedragen de goot- en bouwhoogte maximaal 3 m respectievelijk 5 m;
      • in het resterende zijerfgedeelte bedragen de goot- en bouwhoogte maximaal 2 m respectievelijk 3 m;
    2. ingeval op een belendend perceel, grenzend aan het zijerfgebied, geen hoofdgebouw aanwezig is:
      • in het zijerfgedeelte, dat minimaal 3 m vanaf het openbaar toegankelijk gebied ligt, bedragen de goot- en bouwhoogte maximaal 3 m respectievelijk 5 m;
      • in het resterende zijerfgedeelte bedragen de goot- en bouwhoogte maximaal 2 m respectievelijk 3 m;
  8. buiten het 'bouwvlak' en buiten het achtererfgebied, gelden de volgende aanvullende regels:
    1. de diepte bedraagt maximaal 1,5 m;
    2. de bouwhoogte bedraagt maximaal 3,5 m;
    3. de breedte bedraagt maximaal 60% van de breedte van de voorgevel van het hoofdgebouw;
    4. de afstand tot het openbaar toegankelijk gebied bedraagt minimaal 1,5 m.
  9. in afwijking van het gestelde onder c geldt in hoeksituaties dat bij een aangebouwd bijbehorend bouwwerk een grotere bouw- en/of goothoogte is toegestaan, mits:
    1. de omvang en vormgeving van het bijbehorend bouwwerk ondergeschikt blijven aan die van het hoofdgebouw en het hoofdgebouw als zodanig duidelijk herkenbaar blijft;
    2. het bijbehorend bouwwerk minimaal 3 m achter (het verlengde van) de voorgevel van het hoofdgebouw staat;
    3. de gewenste openheid van de tussenruimten (tuinen) tussen het hoofdgebouw op dit perceel en die op aansluitende percelen gewaarborgd blijft;
    4. het bijbehorend bouwwerk niet staat vóór de voorgevels van hoofdgebouwen op aansluitende percelen ‘om de hoek’.
7.2.4 Ondergrondse gebouwen     

Voor ondergrondse gebouwen gelden de volgende regels:

  1. ondergrondse gebouwen (kelders) zijn uitsluitend toegestaan ter plaatse van bovengrondse gebouwen, dan wel maximaal 1 m daarbuiten;
  2. ondergrondse gebouwen zijn uitsluitend toegestaan in één bouwlaag ondergronds.
7.2.5 Ondergeschikte bouwdelen     

Overschrijding van het 'bouwvlak' is toegestaan voor ondergeschikte bouwdelen, zoals een overstek, overkapping en balkons, mits het bouwdeel ondergeschikt is en een diepte heeft van maximaal 1,5 m.

7.2.6 Bouwwerken, geen gebouwen zijnde     

Voor bouwwerken, geen gebouwen zijnde, gelden de volgende regels:

  1. de bouwhoogte van bouwwerken, geen gebouwen zijnde, bedraagt buiten het 'bouwvlak' maximaal 1 m, met dien verstande dat pergola's zijn toegestaan met een bouwhoogte van maximaal 3 m;
  2. de bouwhoogte van erf- of terreinafscheidingen in achtererfgebied bedraagt maximaal 2 m;
  3. de bouwhoogte van overige bouwwerken, geen gebouwen zijnde, bedraagt maximaal 3 m;
  4. in afwijking van het bepaalde onder c geldt dat op een bouwperceel ter plaatse van de aanduiding 'specifieke bouwaanduiding - hooiberg toegestaan' de goothoogte, de bouwhoogte en oppervlakte van een hooiberg bij een woning, voor zover gelegen achter de naar de weg gekeerde gevel, respectievelijk maximaal 6 m, 9 m en 36 m² bedragen.

7.3 Afwijken van de bouwregels     

7.3.1 Omgevingsvergunning bouwwerken, geen gebouwen zijnde     

Het bevoegd gezag kan door middel van het verlenen van een omgevingsvergunning afwijken van het bepaalde in 7.2.6 onder a teneinde bouwwerken, geen gebouwen zijnde, toe te staan met een bouwhoogte van maximaal 2 m, mits de belangen van de eigenaren en/of gebruikers van de aangrenzende bouwpercelen niet onevenredig worden geschaad.

7.4 Specifieke gebruiksregels     

7.4.1 Strijdig gebruik     

Onder het gebruiken van gronden of bouwwerken in strijd met het plan wordt in ieder geval begrepen het bedrijfsmatig vervaardigen, opslaan, verwerken of herstellen van goederen en het opslaan en be- of verwerken van producten.

7.4.2 Voorwaardelijke verplichting Het Loo     

Tot een met de bestemming strijdig gebruik wordt in elk geval gerekend het bouwen van gebouwen overeenkomstig artikel 7.1.1 ter plaatse van de aanduiding 'wetgevingzone - voorwaardelijke verplichting 6':

  1. zonder een door de provincie Gelderland verleende ontheffing, indien die ontheffing voor die activiteit vereist is op grond van de Wet natuurbescherming.

7.5 Afwijken van de gebruiksregels     

7.5.1 Omgevingsvergunning oppervlakte aan huis verbonden beroep en bedrijf     

Het bevoegd gezag kan door middel van het verlenen van een omgevingsvergunning afwijken van het bepaalde in 7.1.2 onder a sub 8, teneinde een oppervlakte van meer dan 50 m2 toe te staan voor een aan huis verbonden beroep en een aan huis verbonden bedrijf, mits wordt voldaan aan de volgende bepalingen:

  1. het pand blijft het uiterlijk van een woning behouden;
  2. het gebruik mag niet leiden tot een onevenredige aantasting van de verkeersontsluitingssituatie ter plaatse;
  3. ten aanzien van parkeren is het gestelde in 13.2 van toepassing;
7.5.2 Omgevingsvergunning bedrijfsactiviteiten     

Het bevoegd gezag kan door middel van het verlenen van een omgevingsvergunning afwijken van het bepaalde in 7.1.2 onder a jo. 7.4.1, teneinde bedrijven toe te staan die niet voorkomen in categorie A van de bij de regels behorende Bijlage 1 Staat van Bedrijfsactiviteiten - functiemenging, danwel bedrijven in een hogere categorie, maar die qua aard, omvang en invloed op het milieu gelijk te stellen zijn aan de genoemde bedrijven, mits wordt voldaan aan de volgende bepalingen:

  1. het woon- en leefmilieu van de omgeving wordt niet onevenredig aangetast;
  2. het betreft geen geluidzoneringsplichtige inrichting;
  3. er vindt geen onevenredige aantasting van de gebruiksmogelijkheden van aangrenzende gronden en bouwwerken plaats;
  4. er vindt geen onevenredige aantasting van de stedenbouwkundige kwaliteit van de omgeving plaats;
  5. de verkeersontsluitingssituatie ter plaatse wordt niet onevenredig aangetast;
  6. ten aanzien van parkeren is het gestelde in 13.2 van toepassing.
7.5.3 Omgevingsvergunning bed & breakfast     

Het bevoegd gezag kan door middel van het verlenen van een omgevingsvergunning afwijken van het bepaalde in 7.1.2 onder a sub 10, teneinde een bed & breakfast voorziening in maximaal 3 kamers als nevenfunctie toe te staan, mits wordt voldaan aan de volgende bepalingen:

  1. een bed & breakfast is enkel in de woning of in een bijbehorend bouwwerk toegestaan;
  2. er vindt geen uitbreiding van bebouwing ten behoeve van de bed & breakfast plaats;
  3. permanente bewoning of huisvesting van tijdelijke werknemers is niet toegestaan;
  4. het gebruik mag niet leiden tot een onevenredige aantasting van de verkeersontsluitingssituatie ter plaatse;
  5. ten aanzien van parkeren is het gestelde in 13.2 van toepassing.

7.6 Wijzigingsbevoegdheid     

7.6.1 Wetgevingzone - wijzigingsgebied 3     

Burgemeester en wethouders kunnen op de gronden ter plaatse van de aanduiding 'wetgevingzone - wijzigingsgebied 3' de aanduiding 'bouwvlak' opnemen ten behoeve van de bouw van 1 vrijstaande woning, mits wordt voldaan aan de volgende bepalingen:

  1. het initiatief moet passen binnen het gemeentelijk kwalitatief woonprogramma c.q. gemeentelijke woonvisie;
  2. er vindt geen onevenredige aantasting plaats van de gebruiksmogelijkheden van aangrenzende gronden en de belangen van derden mogen niet onevenredig worden geschaad;
  3. de woning dient te passen binnen de stedenbouwkundige structuur van de omgeving.

Artikel 8 Leiding - Riool     

8.1 Bestemmingsomschrijving     

De voor 'Leiding - Riool' aangewezen gronden zijn, behalve voor de daar voorkomende bestemming(en), mede bestemd voor een drukrioolleiding.

8.2 Bouwregels     

In afwijking van het overigens in deze regels bepaalde ten aanzien van het bouwen krachtens de andere bestemmingen van deze gronden, mogen op de in 8.1 bedoelde gronden uitsluitend bouwwerken van geringe omvang worden gebouwd ten dienste van de betreffende leiding, met een maximale bouwhoogte van 4 m.

8.3 Afwijken van de bouwregels     

Het bevoegd gezag kan door middel van het verlenen van een omgevingsvergunning afwijken van het bepaalde in 8.2 teneinde het oprichten van bouwwerken ten behoeve van de op deze gronden liggende hoofdbestemming toe te staan, mits hierbij uit hoofde van de bescherming van de leidingen geen bezwaar bestaat. Voordat het bevoegd gezag beslist over de vergunning, wint deze advies in bij de betrokken leidingbeheerder.

8.4 Omgevingsvergunning voor het uitvoeren van een werk, geen bouwwerk zijnde, of van werkzaamheden     

8.4.1 Vergunningplicht     

Het is verboden zonder of in afwijking van een omgevingsvergunning van het bevoegd gezag de volgende andere werken of werkzaamheden uit te voeren of te laten uitvoeren op de in dit artikel bedoelde gronden:

  1. het aanleggen van wegen of paden en het aanbrengen van andere oppervlakteverhardingen;
  2. het uitvoeren van graafwerkzaamheden;
  3. het uitvoeren van heiwerken of het anderszins indringen van voorwerpen;
  4. het aanbrengen van diepwortelende beplanting en/of bomen;
  5. het wijzigen van het maaiveldniveau door ontgronding of ophoging;
  6. het vellen of rooien van houtgewas.
8.4.2 Uitzonderingen vergunningplicht     

Het in 8.4.1 opgenomen verbod geldt niet voor werken en werkzaamheden:

  1. waarvoor ten tijde van het van kracht worden van het plan een omgevingsvergunning is verleend;
  2. welke ten tijde van het van kracht worden van het plan in uitvoering waren;
  3. welke betreffen het normale onderhoud van leidingen;
  4. welke vallen onder de Wet informatie-uitwisseling ondergrondse netten.
8.4.3 Beoordelingscriteria     

De in 8.4.1 genoemde omgevingsvergunning wordt slechts verleend indien en voorzover door de werken en werkzaamheden geen veiligheidsrisico's ontstaan en de betreffende leiding niet wordt aangetast. Voordat het bevoegd gezag beslist over de vergunning, wint deze advies in bij de betrokken leidingbeheerder.

Artikel 9 Waarde - Archeologische verwachting 1     

9.1 Bestemmingsomschrijving     

De voor 'Waarde - Archeologische verwachting 1' aangewezen gronden zijn, behalve voor de andere daar voorkomende bestemming(en), mede bestemd voor het behoud en de bescherming van te verwachten archeologische waarden in de bodem.

9.2 Bouwregels     

9.2.1 Algemeen     

Ten aanzien van het oprichten van bebouwing gelden de volgende regels:

  1. bij een aanvraag voor een omgevingsvergunning voor het oprichten van een bouwwerk groter dan 250 m2 dient de aanvrager een rapport van archeologisch onderzoek te overleggen, waarin de archeologische waarde van de gronden waarop de aanvraag betrekking heeft in voldoende mate is vastgesteld;
  2. indien uit onder a genoemde rapport blijkt dat de archeologische waarden van de gronden door het oprichten van het vergunde bouwwerk zullen worden verstoord, kan het bevoegd gezag één of meerdere van de volgende voorwaarden verbinden aan de omgevingsvergunning:
    1. de verplichting tot het treffen van technische maatregelen, waardoor (ondanks de uitvoering van een bouw- of aanlegplan) archeologische resten in de bodem kunnen worden behouden, zoals alternatieven voor heiwerk, het aanbrengen van een beschermende bodemlaag of andere voorzieningen die op dit doel zijn gericht; of
    2. de verplichting tot het doen van opgravingen op basis van een door het bevoegd gezag goedgekeurd Programma van Eisen; of
    3. de verplichting de werken of werkzaamheden die leiden tot de bodemverstoring te laten begeleiden door een archeologisch deskundige op basis van een door het bevoegd gezag goedgekeurd Programma van Eisen; en/of
    4. de verplichting om na beëindiging van de werken en werkzaamheden schriftelijk verslag uit te brengen waaruit blijkt op welke wijze met de archeologische waarden is omgegaan;
  3. het overleggen van een rapport is niet nodig indien de archeologische waarde van de gronden in andere beschikbare informatie afdoende is vastgesteld; het onder b bepaalde is van overeenkomstige toepassing.
9.2.2 Advies archeoloog     

Alvorens het bevoegd gezag beslist over een vergunning als bedoeld in 9.2.1 onder a, winnen zij advies in bij de archeologisch deskundige omtrent de vraag of door het verlenen van de omgevingsvergunning geen onevenredige afbreuk wordt of kan worden gedaan aan de archeologische waarden, en zo ja welke voorwaarden dienen te worden gesteld.

9.2.3 Uitzondering bouwregels     

Het bepaalde in 9.2.1 onder a geldt niet indien:

  1. op basis van archeologisch onderzoek is aangetoond dat op betrokken locatie geen archeologische waarden (meer) aanwezig zijn; of
  2. het bouwplan betrekking heeft op vervanging van bestaande bouwwerken, waarbij de oppervlakte met maximaal 250 m2 wordt uitgebreid en de bestaande fundering wordt benut, met uitzondering van nieuwe kelders; of
  3. gebouwen maximaal 2,5 m uit de bestaande fundering worden vergroot, met behoud van bestaande funderingen.

9.3 Nadere eisen     

Burgemeester en wethouders kunnen nadere eisen stellen ten aanzien van de situering en de afmetingen van bouwwerken, de inrichting en het gebruik van gronden, indien uit archeologisch onderzoek is gebleken dat ter plaatse behoudens- en beschermenswaardige archeologische monumenten of resten aanwezig zijn. De nadere eisen zijn er op gericht de archeologische waarden zoveel mogelijk in de grond (in situ) te behouden.

9.4 Omgevingsvergunning voor het uitvoeren van een werk, geen bouwwerk zijnde, of van werkzaamheden     

9.4.1 Vergunningplicht     

Onverminderd het in de Erfgoedwet bepaalde is het verboden zonder of in afwijking van een omgevingsvergunning van het bevoegd gezag de volgende andere werken of werkzaamheden uit te voeren of te laten uitvoeren:

  1. het ophogen van de bodem met meer dan 1 m;
  2. grondwerkzaamheden dieper dan 0,4 m onder het maaiveld over een oppervlakte van meer dan 250 m2, waartoe worden gerekend woelen, mengen, diepploegen, egaliseren en ontginnen van gronden, alsmede het graven of vergraven, verruimen of dempen van sloten, vijvers en andere wateren en het aanleggen van drainage en/of oppervlakteverhardingen;
  3. bodem verlagen of afgraven (ook ten behoeve van het verwijderen van bestaande funderingen) van gronden waarvoor geen ontgrondingenvergunning is vereist;
  4. het verlagen van het waterpeil;
  5. het tot stand brengen en/of in exploitatie brengen van boor- en pompputten;
  6. het uitvoeren van heiwerken en/of indrijven van scherpe voorwerpen in de bodem;
  7. het aanleggen of rooien van bos of boomgaard waarbij stobben worden verwijderd;
  8. het aanleggen van ondergrondse transport-, energie- of telecommunicatieleidingen en daarmee verband houdende constructies, installaties of apparatuur.
9.4.2 Uitzonderingen vergunningplicht     

Het in 9.4.1 opgenomen verbod geldt niet:

  1. voor werken en werkzaamheden in het kader van het normale beheer en onderhoud, met inbegrip van onderhouds- en vervangingswerkzaamheden van bestaande bestratingen en beplantingen binnen bestaande tracés van kabels en leidingen;
  2. voor werken en werkzaamheden in het kader van het normale agrarische gebruik;
  3. voor werken en werkzaamheden binnen een afstand van maximaal 2,5 m uit een bestaande fundering van een bestaand bouwwerk;
  4. voor werken en werkzaamheden in de bodem waarvoor ten tijde van het van kracht worden van het plan een omgevingsvergunning in dit kader is verleend;
  5. ingeval op grond van de Erfgoedwet een vergunning is vereist dan wel overige bepalingen van de Erfgoedwet van toepassing zijn;
  6. indien is aangetoond dat ter plaatse geen archeologische waarden aanwezig zijn, hetgeen moet blijken uit een rapport van archeologisch onderzoek, danwel andere beschikbare informatie.
9.4.3 Beoordelingscriteria     

Ten aanzien van de in 9.4.1 genoemde vergunning gelden de volgende beoordelingscriteria:

  1. de vergunning kan slechts worden verleend voor zover de archeologische waarden niet onevenredig worden aangetast, hetgeen moet blijken uit een rapport dat de aanvrager bij de aanvraag voor een omgevingsvergunning dient te overleggen; in het rapport moeten de archeologische waarden van de gronden waarop de aanvraag betrekking heeft in voldoende mate zijn vastgesteld; indien het rapport daartoe aanleiding geeft, dient op advies van de erkend archeoloog zonodig een opgraving plaats te vinden;
  2. het overleggen van een rapport is niet nodig indien de archeologische waarde van het terrein in andere beschikbare informatie afdoende is vastgesteld.
9.4.4 Voorwaarden aan vergunning     
  1. Het bevoegd gezag kan de omgevingsvergunning onder beperkingen verlenen en kan voorschriften aan de omgevingsvergunning verbinden, waaronder:
    1. de verplichting tot het treffen van technische maatregelen, waardoor (ondanks de uitvoering van een bouw- of aanlegplan) archeologische resten in de bodem kunnen worden behouden, zoals het aanbrengen van een beschermende bodemlaag of andere voorzieningen die op dit doel zijn gericht; of
    2. de verplichting tot het doen van opgravingen op basis van een door het bevoegd gezag goedgekeurd Programma van Eisen; of
    3. de verplichting de activiteit die tot een bodemverstoring leidt, te laten begeleiden door een archeologisch deskundige op basis van een door het bevoegd gezag goedgekeurd Programma van Eisen; en/of
    4. de verplichting om na beëindiging van de werken en werkzaamheden schriftelijk verslag uit te brengen waaruit blijkt op welke wijze met de archeologische waarden is omgegaan.
  2. Voordat het bevoegd gezag beslist over het verlenen van een omgevingsvergunning als bedoeld in 9.4.1 wint deze advies in bij een archeologisch deskundige omtrent de vraag of door het verlenen van een omgevingsvergunning geen onevenredige afbreuk wordt of kan worden gedaan aan de archeologische waarden, en zo ja welke voorwaarden dienen te worden gesteld.

9.5 Wijzigingsbevoegdheid     

Burgemeester en wethouders kunnen deze bestemming wijzigen door:

  1. de dubbelbestemming 'Waarde - Archeologische verwachting 1' geheel of gedeeltelijk te laten vervallen, indien is aangetoond dat op de betrokken locatie geen archeologische waarden (meer) aanwezig zijn, dan wel er niet langer archeologische begeleiding of zorg nodig is;
  2. de dubbelbestemming 'Waarde - Archeologische verwachting 1' te wijzigen in de bestemming 'Waarde - Archeologie', zoals opgenomen in Bijlage 2 Standaardregels ten behoeve van dubbelbestemming 'Waarde - Archeologie', indien uit nader archeologisch onderzoek blijkt dat ter plaatse behoudenswaardige archeologische waarden aanwezig zijn.

Artikel 10 Waarde - Archeologische verwachting 2     

10.1 Bestemmingsomschrijving     

De voor 'Waarde - Archeologische verwachting 2' aangewezen gronden zijn, behalve voor de andere daar voorkomende bestemming(en), mede bestemd voor het behoud en de bescherming van te verwachten archeologische waarden de bodem.

10.2 Bouwregels     

10.2.1 Algemeen     

Ten aanzien van het oprichten van bebouwing gelden de volgende regels:

  1. bij een aanvraag voor een omgevingsvergunning voor het oprichten van een bouwwerk groter dan 1.000 m2 dient de aanvrager een rapport van archeologisch onderzoek te overleggen, waarin de archeologische waarde van de gronden waarop de aanvraag betrekking heeft in voldoende mate is vastgesteld;
  2. indien uit onder a genoemde rapport blijkt dat de archeologische waarden van de gronden door het oprichten van het vergunde bouwwerk zullen worden verstoord, kan het bevoegd gezag één of meerdere van de volgende voorwaarden verbinden aan de omgevingsvergunning:
    1. de verplichting tot het treffen van technische maatregelen, waardoor (ondanks de uitvoering van een bouw- of aanlegplan) archeologische resten in de bodem kunnen worden behouden, zoals alternatieven voor heiwerk, het aanbrengen van een beschermende bodemlaag of andere voorzieningen die op dit doel zijn gericht; of
    2. de verplichting tot het doen van opgravingen op basis van een door het bevoegd gezag goedgekeurd Programma van Eisen; of
    3. de verplichting de werken of werkzaamheden die leiden tot de bodemverstoring te laten begeleiden door een archeologisch deskundige op basis van een door het bevoegd gezag goedgekeurd Programma van Eisen; en/of
    4. de verplichting om na beëindiging van de werken en werkzaamheden schriftelijk verslag uit te brengen waaruit blijkt op welke wijze met de archeologische waarden is omgegaan;
  3. het overleggen van een rapport is niet nodig indien de archeologische waarde van de gronden in andere beschikbare informatie afdoende is vastgesteld; het onder b bepaalde is van overeenkomstige toepassing.
10.2.2 Advies archeoloog     

Alvorens het bevoegd gezag beslist over een vergunning als bedoeld in 10.2.1 onder a, winnen zij advies in bij de archeologisch deskundige omtrent de vraag of door het verlenen van de omgevingsvergunning geen onevenredige afbreuk wordt of kan worden gedaan aan de archeologische waarden, en zo ja welke voorwaarden dienen te worden gesteld.

10.2.3 Uitzondering bouwregels     

Het bepaalde in 10.2.1 onder a geldt niet indien:

  1. op basis van archeologisch onderzoek is aangetoond dat op betrokken locatie geen archeologische waarden (meer) aanwezig zijn; of
  2. het bouwplan betrekking heeft op vervanging van bestaande bouwwerken, waarbij de oppervlakte met maximaal 1000 m2 wordt uitgebreid en de bestaande fundering wordt benut, met uitzondering van nieuwe kelders; of
  3. gebouwen maximaal 2,5 m uit de bestaande fundering worden vergroot, met behoud van bestaande funderingen.

10.3 Nadere eisen     

Burgemeester en wethouders kunnen nadere eisen stellen ten aanzien van de situering en de afmetingen van bouwwerken, de inrichting en het gebruik van gronden, indien uit archeologisch onderzoek is gebleken dat ter plaatse behoudens- en beschermenswaardige archeologische monumenten of resten aanwezig zijn. De nadere eisen zijn er op gericht de archeologische waarden zoveel mogelijk in de grond (in situ) te behouden.

10.4 Omgevingsvergunning voor het uitvoeren van een werk, geen bouwwerk zijnde, of van werkzaamheden     

10.4.1 Vergunningplicht     

Onverminderd het in de Erfgoedwet bepaalde is het verboden zonder of in afwijking van een omgevingsvergunning van het bevoegd gezag de volgende andere werken of werkzaamheden uit te voeren of te laten uitvoeren:

  1. het ophogen van de bodem met meer dan 1 m;
  2. grondwerkzaamheden dieper dan 0,4 m onder het maaiveld over een oppervlakte van meer dan 1.000 m2, waartoe worden gerekend woelen, mengen, diepploegen, egaliseren en ontginnen van gronden, alsmede het graven of vergraven, verruimen of dempen van sloten, vijvers en andere wateren en het aanleggen van drainage en/of oppervlakteverhardingen;
  3. bodem verlagen of afgraven (ook ten behoeve van het verwijderen van bestaande funderingen) van gronden waarvoor geen ontgrondingenvergunning is vereist;
  4. het verlagen van het waterpeil;
  5. het tot stand brengen en/of in exploitatie brengen van boor- en pompputten;
  6. het uitvoeren van heiwerken en/of indrijven van scherpe voorwerpen in de bodem;
  7. het aanleggen of rooien van bos of boomgaard waarbij stobben worden verwijderd;
  8. het aanleggen van ondergrondse transport-, energie- of telecommunicatieleidingen en daarmee verband houdende constructies, installaties of apparatuur.
10.4.2 Uitzonderingen vergunningplicht     

Het in 10.4.1 opgenomen verbod geldt niet:

  1. voor werken en werkzaamheden in het kader van het normale beheer en onderhoud, met inbegrip van onderhouds- en vervangingswerkzaamheden van bestaande bestratingen en beplantingen binnen bestaande tracés van kabels en leidingen;
  2. voor werken en werkzaamheden in het kader van het normale agrarische gebruik;
  3. voor werken en werkzaamheden binnen een afstand van maximaal 2,5 m uit een bestaande fundering van een bestaand bouwwerk;
  4. voor werken en werkzaamheden in de bodem waarvoor ten tijde van het van kracht worden van het plan een omgevingsvergunning in dit kader is verleend;
  5. ingeval op grond van de Erfgoedwet een vergunning is vereist dan wel overige bepalingen van de Erfgoedwet van toepassing zijn;
  6. indien is aangetoond dat ter plaatse geen archeologische waarden aanwezig zijn, hetgeen moet blijken uit een rapport van archeologisch onderzoek, danwel andere beschikbare informatie.
10.4.3 Beoordelingscriteria     

Ten aanzien van de in 10.4.1 genoemde vergunning gelden de volgende beoordelingscriteria:

  1. de vergunning kan slechts worden verleend voor zover de archeologische waarden niet onevenredig worden aangetast, hetgeen moet blijken uit een rapport dat de aanvrager bij de aanvraag voor een omgevingsvergunning dient te overleggen; in het rapport moeten de archeologische waarden van de gronden waarop de aanvraag betrekking heeft in voldoende mate zijn vastgesteld; indien het rapport daartoe aanleiding geeft, dient op advies van de erkend archeoloog zonodig een opgraving plaats te vinden;
  2. het overleggen van een rapport is niet nodig indien de archeologische waarde van het terrein in andere beschikbare informatie afdoende is vastgesteld.
10.4.4 Voorwaarden aan vergunning     
  1. Het bevoegd gezag kan de omgevingsvergunning onder beperkingen verlenen en kan voorschriften aan de omgevingsvergunning verbinden, waaronder:
    1. de verplichting tot het treffen van technische maatregelen, waardoor (ondanks de uitvoering van een bouw- of aanlegplan) archeologische resten in de bodem kunnen worden behouden, zoals het aanbrengen van een beschermende bodemlaag of andere voorzieningen die op dit doel zijn gericht; of
    2. de verplichting tot het doen van opgravingen op basis van een door het bevoegd gezag goedgekeurd Programma van Eisen; of
    3. de verplichting de activiteit die tot een bodemverstoring leidt, te laten begeleiden door een archeologisch deskundige op basis van een door het bevoegd gezag goedgekeurd Programma van Eisen; en/of
    4. de verplichting om na beëindiging van de werken en werkzaamheden schriftelijk verslag uit te brengen waaruit blijkt op welke wijze met de archeologische waarden is omgegaan.
  2. Voordat het bevoegd gezag beslist over het verlenen van een omgevingsvergunning als bedoeld in 10.4.1 wint deze advies in bij een archeologisch deskundige omtrent de vraag of door het verlenen van een omgevingsvergunning geen onevenredige afbreuk wordt of kan worden gedaan aan de archeologische waarden, en zo ja welke voorwaarden dienen te worden gesteld.

10.5 Wijzigingsbevoegdheid     

Burgemeester en wethouders kunnen deze bestemming wijzigen door:

  1. de dubbelbestemming 'Waarde - Archeologische verwachting 2' geheel of gedeeltelijk te laten vervallen, indien is aangetoond dat op de betrokken locatie geen archeologische waarden (meer) aanwezig zijn, dan wel er niet langer archeologische begeleiding of zorg nodig is;
  2. de dubbelbestemming 'Waarde - Archeologische verwachting 2' te wijzigen in de bestemming 'Waarde - Archeologie', zoals opgenomen in Bijlage 2 Standaardregels ten behoeve van dubbelbestemming 'Waarde - Archeologie', indien uit nader archeologisch onderzoek blijkt dat ter plaatse behoudenswaardige archeologische waarden aanwezig zijn.

Hoofdstuk 3 Algemene regels     

Artikel 11 Anti-dubbeltelregel     

Grond die eenmaal in aanmerking is genomen bij het toestaan van een bouwplan waaraan uitvoering is gegeven of alsnog kan worden gegeven, blijft bij de beoordeling van latere bouwplannen buiten beschouwing.

Artikel 12 Algemene bouwregels     

12.1 Afwijkende maatvoeringen     

Indien er op het tijdstip van inwerkingtreding van het plan bouwwerken met afwijkende maatvoeringen aanwezig zijn of in uitvoering zijn, mits niet-wederrechtelijk totstandgekomen, danwel gebouwd kunnen worden krachtens een omgevingsvergunning, en afwijken van het plan, dan zijn ter plaatse deze afwijkende maatvoeringen toegelaten.

12.2 Zonebepaling bouwen langs A-watergang, wegen en windmolen, industrieterrein, alsmede milieubeschermingsgebieden     

12.2.1 Algemene bepaling     

Onverminderd het in deze regels met betrekking tot het bouwen bepaalde, mogen geen bouwwerken worden opgericht in de navolgende zones:

a Vrijwaringszone - molenbiotoop     

Voor molens en gronden ter plaatse van de aanduiding 'vrijwaringszone - molenbiotoop' gelden de volgende regels:

  1. onverminderd het in deze regels met betrekking tot het bouwen bepaalde, mogen geen bouwwerken, worden gebouwd binnen 100 meter rond de molen, welke hoger zijn dan de onderste punt van de verticaal staande wiek;
  2. voor de gronden gelegen ter plaatse van de aanduiding 'vrijwaringszone - molenbiotoop' binnen een afstand van 100 tot 400 meter rond de molen bedraagt de hoogte maximaal 1/100 van de afstand tussen het bouwwerk en de molen, gerekend van de onderste punt van de verticale staande wiek;
  3. de uitgroeihoogte van beplanting mag niet hoger zijn dan de bouwhoogte van bouwwerken die op grond van het bepaalde onder 1 en 2 is toegestaan met dien verstande dat deze maximaal 11 meter mag bedragen.
12.2.2 Omgevingsvergunning     

Het bevoegd gezag kan door middel van het verlenen van een omgevingsvergunning afwijken van het bepaalde in 12.2.1:

  1. onder , ten behoeve van de uitbreiding of nieuwbouw van de binnen deze zone gelegen bouwwerken indien het waterstaatsbelang niet wordt geschaad en na het inwinnen van advies bij de beheerder van de watergang;
  2. onder en na het inwinnen van advies bij de bevoegde beheerders;
  3. onder a, indien gebleken is dat het oprichten van bouwwerken uit stedebouwkundig oogpunt wenselijk en aanvaardbaar is en er geen belemmeringen ontstaan voor de instandhouding van de molenbiotoop;
  4. onder teneinde de vestiging van geluidgevoelige gebouwen en terreinen mogelijk te maken, mits het bevoegd gezag een hogere waarde in de zin van de Wet geluidhinder vaststelt.

Artikel 13 Algemene gebruiksregels     

13.1 Strijdig gebruik     

Onder het gebruiken van gronden of bouwwerken in strijd met het plan wordt in ieder geval begrepen:

  1. het gebruik van gronden en bouwwerken voor het opslaan, storten of bergen van materialen anders dan ten behoeve van de bestemming;
  2. het gebruik van gronden en bouwwerken ten behoeve van een seksinrichting;
  3. het in gebruik geven, nemen en hebben van een recreatiewoning, groepsaccommodatie, recreatieappartement, chalet, mobiele kampeervoertuigen of bijgebouw ten behoeve van permanente bewoning;
  4. het in gebruik geven, nemen en hebben van een bijgebouw ten behoeve van permanente bewoning;
  5. het gebruik van gronden of bouwwerken waarbij niet wordt voorzien in voldoende parkeergelegenheid volgens de normering zoals deze hiervoor is opgenomen in de op het moment van ingebruikname van van gronden of bouwwerken geldende 'Beleidsregels parkeernormen Bronckhorst'.

13.2 Voorwaardelijke verplichting parkeernormen     

Bij het wisselen of toevoegen van functies van gebouwen en gronden binnen de in de betreffende bestemming toegelaten functies, mag dit gewijzigde gebruik pas plaatsvinden indien ten aanzien van het aantal parkeerplaatsen is voldaan aan de normering zoals hiervoor is opgenomen in de op het moment van ingebruikname van gronden of bouwwerken geldende 'Beleidsregels parkeernormen Bronckhorst'.

Artikel 14 Algemene afwijkingsregels     

14.1 Omgevingsvergunning camperovernachtingsplaats     

14.1.1 Afwijkingsbevoegdheid     

Het bevoegd gezag kan door middel van het verlenen van een omgevingsvergunning afwijken van de regels van het plan ten behoeve van het gebruik van gronden als camperovernachtingsplaats, mits wordt voldaan aan de volgende bepalingen:

  1. er worden minimaal 2 en maximaal 8 camperplekken ingericht van voldoende afmetingen;
  2. het terrein is eenvoudig ingericht, zonder de extra faciliteiten van een camping;
  3. stroom, water, vuilwaterafvoer en chemisch toiletafvoer zijn minimaal aanwezig;
  4. de maximale verblijfsduur bedraagt 72 uur aaneengesloten;
  5. de voorziening is het gehele jaar open;
  6. de locatie is goed bereikbaar;
  7. het terrein is alleen toegankelijk voor camper(bezitters);
  8. de locatie dient landschappelijk goed te worden ingepast;
  9. het verlenen van de vergunning mag niet leiden tot een ruimtelijke situatie die onoverzichtelijk en niet sociaal controleerbaar is;
  10. het woon- en leefmilieu van de omgeving wordt niet onevenredig aangetast;
  11. er vindt geen onevenredige aantasting van de gebruiksmogelijkheden van aangrenzende gronden en bouwwerken plaats;
  12. er vindt geen onevenredige aantasting van de stedenbouwkundige kwaliteit van de omgeving plaats;
  13. de verkeersontsluitingssituatie ter plaatse wordt niet onevenredig aangetast;
  14. ten aanzien van parkeren is het gestelde in 13.2 van toepassing;
  15. de vergunning wordt niet verleend voor gronden met de bestemming 'Bos' of '' of gronden met een bestemmingsregeling van gelijke strekking.
14.1.2 Voorwaarden aan vergunning     

Het bevoegd gezag kan bij het verlenen van de vergunning als bedoeld in 14.1.1 voorwaarden stellen ten aanzien van de situering en het maximaal aantal campers en personen, teneinde een ruimtelijk verantwoorde plaatsing ten opzichte van de omgeving te waarborgen.

14.2 Omgevingsvergunning maatvoering     

Voor maatvoeringen gelden de volgende afwijkingsregels:

  1. het bevoegd gezag kan door middel van het verlenen van een omgevingsvergunning afwijken van de regels van het plan ten behoeve van het afwijken van de voorgeschreven goothoogte, bouwhoogte en oppervlakte van gebouwen, afstand tot perceelsgrenzen en overige maatvoering, eventueel met overschrijding van de bebouwingsgrens, mits deze afwijkingen niet meer bedragen dan 10% van de in het plan voorgeschreven maatvoering, het beoogde stedenbouwkundig beeld niet wordt geschaad;

Artikel 15 Overige regels     

15.1 Voorrangsregels     

15.1.1 Onderlinge relatie (dubbel)bestemmingen     

In het geval van strijdigheid van belangen tussen een bestemming en een dubbelbestemming gaat het belang van de dubbelbestemming voor.

15.1.2 Voorrang dubbelbestemming     

Ten aanzien van de onderlinge relatie tussen de dubbelbestemmingen geldt:

  1. in de eerste plaats de regels van de dubbelbestemming 'Leiding - Gas' danwel 'Leiding - Hoogspanning';
  2. in de tweede plaats de regels van de dubbelbestemming 'Waterstaat - Waterkering', 'Waterstaat - Waterlopen' danwel '';
  3. in de derde plaats de regels van de dubbelbestemming 'Leiding - Riool'.

Hoofdstuk 4 Overgangs- en slotregels     

Artikel 16 Overgangsrecht     

16.1 Overgangsrecht bouwwerken     

16.1.1 Algemeen     

Een bouwwerk dat op het tijdstip van inwerkingtreding van het bestemmingsplan aanwezig of in uitvoering is, danwel gebouwd kan worden krachtens een omgevingsvergunning, en afwijkt van het plan, mag, mits deze afwijking naar aard en omvang niet wordt vergroot,

  1. gedeeltelijk worden vernieuwd of veranderd;
  2. na het teniet gaan ten gevolge van een calamiteit geheel worden vernieuwd of veranderd, mits de aanvraag van de omgevingsvergunning wordt gedaan binnen twee jaar na de dag waarop het bouwwerk is teniet gegaan.
16.1.2 Omgevingsvergunning vergroten inhoud bouwwerk     

Het bevoegd gezag kan door middel van het verlenen van een omgevingsvergunning eenmalig afwijken van 16.1.1 voor het vergroten van de inhoud van een bouwwerk als bedoeld in 16.1.1 met maximaal 10%.

16.1.3 Uitzondering     

Het bepaalde in 16.1.1 is niet van toepassing op bouwwerken die weliswaar bestaan op het tijdstip van inwerkingtreding van het plan, maar zijn gebouwd zonder vergunning en in strijd met het daarvoor geldende plan, daaronder begrepen de overgangsbepaling van dat plan.

16.2 Overgangsrecht gebruik     

16.2.1 Algemeen     

Het gebruik van grond en bouwwerken dat bestond op het tijdstip van inwerkingtreding van het bestemmingsplan en hiermee in strijd is, mag worden voortgezet.

16.2.2 Strijdig gebruik     

Het is verboden het met het bestemmingsplan strijdige gebruik, bedoeld in 16.2.1, te veranderen of te laten veranderen in een ander met dat plan strijdig gebruik, tenzij door deze verandering de afwijking naar aard en omvang wordt verkleind.

16.2.3 Onderbroken gebruik     

Indien het gebruik, bedoeld in 16.2.1, na het tijdstip van inwerkingtreding van het plan voor een periode langer dan een jaar wordt onderbroken, is het verboden dit gebruik daarna te hervatten of te laten hervatten.

16.2.4 Uitzondering     

Het bepaalde in 16.2.1 is niet van toepassing op het gebruik dat reeds in strijd was met het voorheen geldende bestemmingsplan, daaronder begrepen de overgangsbepalingen van dat bestemmingsplan.

Artikel 17 Slotregel     

Deze regels worden aangehaald als:

Regels van het bestemmingsplan Stedelijk gebied; Het Loo Zelhem.

Bijlagen bij de regels     

Bijlage 2 Standaardregels ten behoeve van dubbelbestemming 'Waarde - Archeologie'     

Artikel 1 Waarde - Archeologie

1.1 Bestemmingsomschrijving

De voor 'Waarde - Archeologie' aangewezen gronden zijn, behalve voor de andere daar voorkomende bestemming(en), mede bestemd voor het behoud, de bescherming en/of het herstel van archeologische waarden in de bodem.

1.2 Bouwregels

1.2.1 Algemeen

Ten aanzien van het oprichten van bebouwing gelden de volgende regels:

  1. bij een aanvraag voor een omgevingsvergunning voor het oprichten van een bouwwerk groter dan 50 m2 dient de aanvrager een rapport te overleggen, waarin de archeologische waarde van de gronden waarop de aanvraag betrekking heeft in voldoende mate is vastgesteld;
  2. indien uit in sub a genoemde rapport blijkt dat de archeologische waarden van de gronden door het oprichten van het vergunde bouwwerk zullen worden verstoord, kan het bevoegd gezag één of meerdere van de volgende voorwaarden verbinden aan de omgevingsvergunning:
    1. de verplichting tot het treffen van technische maatregelen, waardoor (ondanks de uitvoering van een bouw- of aanlegplan) archeologische resten in de bodem kunnen worden behouden, zoals alternatieven voor heiwerk, het aanbrengen van een beschermende bodemlaag of andere voorzieningen die op dit doel zijn gericht; of
    2. de verplichting tot het doen van opgravingen op basis van een door het bevoegd gezag goedgekeurd Programma van Eisen; of
    3. de verplichting de werken of werkzaamheden die leiden tot de bodemverstoring te laten begeleiden door een archeologisch deskundige op basis van een door het bevoegd gezag goedgekeurd Programma van Eisen; en/of
    4. de verplichting om na beëindiging van de werken en werkzaamheden schriftelijk verslag uit te brengen waaruit blijkt op welke wijze met de archeologische waarden is omgegaan;
  3. het overleggen van een rapport is niet nodig indien de archeologische waarde van de gronden in andere beschikbare informatie afdoende is vastgesteld. Het in sub b bepaalde is van overeenkomstige toepassing.

1.2.2 Advies archeoloog

Alvorens het bevoegd gezag beslist over een vergunning als bedoeld in 1.2.1 sub a, winnen zij advies in bij de archeologisch deskundige omtrent de vraag of door het verlenen van de omgevingsvergunning geen onevenredige afbreuk wordt of kan worden gedaan aan de archeologische waarden, en zo ja welke voorwaarden dienen te worden gesteld.

1.2.3 Uitzondering bouwregels

Het bepaalde onder 1.2.1 sub a geldt niet indien:

  1. op basis van archeologisch onderzoek is aangetoond dat op betrokken locatie geen archeologische waarden (meer) aanwezig zijn; of
  2. het bouwplan betrekking heeft op vervanging van bestaande bouwwerken, waarbij de oppervlakte met maximaal 50 m2 wordt uitgebreid en de bestaande fundering wordt benut, met uitzondering van nieuwe kelders; of
  3. gebouwen maximaal 2,5 m uit de bestaande fundering worden vergroot, met behoud van bestaande funderingen.

1.3 Nadere eisen

Burgemeester en wethouders kunnen nadere eisen stellen ten aanzien van de situering en de afmetingen van bouwwerken, de inrichting en het gebruik van gronden, indien uit archeologisch onderzoek is gebleken dat ter plaatse behoudens- en beschermenswaardige archeologische monumenten of resten aanwezig zijn. De nadere eisen zijn er op gericht de archeologische waarden zoveel mogelijk in de grond (in situ) te behouden.

1.4 Omgevingsvergunning voor het uitvoeren van een werk, geen bouwwerk zijnde, of van werkzaamheden

1.4.1 Vergunningplicht

Onverminderd het in de Erfgoedwet bepaalde is het verboden zonder of in afwijking van een omgevingsvergunning van het bevoegd gezag de volgende andere werken of werkzaamheden uit te voeren of te laten uitvoeren:

  1. het ophogen van de bodem met meer dan 1 m;
  2. grondwerkzaamheden dieper dan 0,4 m onder het maaiveld over een oppervlakte van meer dan 50 m2, waartoe worden gerekend woelen, mengen, diepploegen, egaliseren en ontginnen van gronden, alsmede het graven of vergraven, verruimen of dempen van sloten, vijvers en andere wateren en het aanleggen van drainage en/of oppervlakteverhardingen;
  3. bodem verlagen of afgraven (ook ten behoeve van het verwijderen van bestaande funderingen) van gronden waarvoor geen ontgrondingenvergunning is vereist;
  4. het verlagen van het waterpeil;
  5. het tot stand brengen en/of in exploitatie brengen van boor- en pompputten;
  6. het uitvoeren van heiwerken en/of indrijven van scherpe voorwerpen in de bodem;
  7. het aanleggen of rooien van bos of boomgaard waarbij stobben worden verwijderd;
  8. het aanleggen van ondergrondse transport-, energie- of telecommunicatieleidingen en daarmee verband houdende constructies, installaties of apparatuur.

1.4.2 Uitzonderingen vergunningplicht

Het onder 1.4.1 opgenomen verbod geldt niet:

  1. voor werken en werkzaamheden die niet dieper reiken dan 0,4 m onder het bestaande maaiveld;
  2. voor werken en werkzaamheden in het kader van het normale beheer en onderhoud, met inbegrip van onderhouds- en vervangingswerkzaamheden van bestaande bestratingen en beplantingen binnen bestaande tracés van kabels en leidingen;
  3. voor werken en werkzaamheden in het kader van het normale agrarische gebruik;
  4. voor werken en werkzaamheden binnen een afstand van maximaal 2,5 m uit een bestaande fundering van een bestaand bouwwerk;
  5. voor werken en werkzaamheden in de bodem waarvoor ten tijde van het van kracht worden van het plan een omgevingsvergunning in dit kader is verleend;
  6. ingeval op grond van de Erfgoedwet een vergunning is vereist dan wel overige bepalingen van de Erfgoedwet van toepassing zijn.

1.4.3 Voorwaarden

Ten aanzien van de onder 1.4.1 genoemde vergunning gelden de volgende voorwaarden:

  1. de vergunning kan slechts worden verleend voor zover de archeologische waarden niet onevenredig worden aangetast, hetgeen moet blijken uit een rapport dat de aanvrager bij de aanvraag voor een omgevingsvergunning dient te overleggen. In het rapport moeten de archeologische waarden van de gronden waarop de aanvraag betrekking heeft in voldoende mate zijn vastgesteld. Indien het rapport daartoe aanleiding geeft, dient op advies van de erkend archeoloog zonodig een opgraving plaats te vinden;
  2. het overleggen van een rapport is niet nodig indien de archeologische waarde van het terrein in andere beschikbare informatie afdoende is vastgesteld.

1.4.4 Voorschriften aan omgevingsvergunning

  1. Het bevoegd gezag kan de omgevingsvergunning onder beperkingen verlenen en kan voorschriften aan de omgevingsvergunning verbinden, waaronder:
    1. de verplichting tot het treffen van technische maatregelen, waardoor (ondanks de uitvoering van een bouw- of aanlegplan) archeologische resten in de bodem kunnen worden behouden, zoals het aanbrengen van een beschermende bodemlaag of andere voorzieningen die op dit doel zijn gericht; of
    2. de verplichting tot het doen van opgravingen op basis van een door het bevoegd gezag goedgekeurd Programma van Eisen; of
    3. de verplichting de activiteit die tot een bodemverstoring leidt, te laten begeleiden door een archeologisch deskundige op basis van een door het bevoegd gezag goedgekeurd Programma van Eisen; en/of
    4. de verplichting om na beëindiging van de werken en werkzaamheden schriftelijk verslag uit te brengen waaruit blijkt op welke wijze met de archeologische waarden is omgegaan.
  2. Voordat het bevoegd gezag beslist over het verlenen van een omgevingsvergunning als bedoeld in 1.4.1 winnen zij advies in bij een archeologisch deskundige omtrent de vraag of door het verlenen van een omgevingsvergunning geen onevenredige afbreuk wordt of kan worden gedaan aan de archeologische waarden, en zo ja welke voorwaarden dienen te worden gesteld.

1.5 Wijzigingsbevoegdheid
Burgemeester en wethouders kunnen deze bestemming wijzigen door de dubbelbestemming 'Waarde - Archeologie' geheel of gedeeltelijk te laten vervallen, indien is aangetoond dat op de betrokken locatie geen archeologische waarden (meer) aanwezig zijn, dan wel er niet langer archeologische begeleiding of zorg nodig is.