direct naar inhoud van Toelichting
Plan: 2e reparatieherziening bestemmingsplan buitengebied: Stille Wille en Beringerzand
Status: vastgesteld
Plantype: bestemmingsplan
IMRO-idn: NL.IMRO.1894.BPL0122-VG01

Toelichting

Hoofdstuk 1 Inleiding

1.1 Aanleiding

Permanente bewoning van recreatiewoningen wordt in Nederland door verschillende partijen: overheden, recreanten en eigenaren van recreatieterreinen al jarenlang als een probleem ervaren. In de gemeente Peel en Maas vindt permanente bewoning plaats op twee recreatieparken: Beringerzand en Stille Wille. Kern van het probleem is dat het permanent als hoofdverblijf oftewel permanent bewonen van recreatiewoningen beleidsmatig niet is toegestaan, maar dat het desondanks in de praktijk veelvuldig voorkomt. Waarom permanente bewoning niet is toegestaan heeft verschillende redenen. In deze toelichting wordt hier verder op ingegaan.

Aangezien de problematiek van het permanent bewonen van recreatiewoningen niet alleen in Peel en Maas maar op diverse plaatsen landelijk speelde (en speelt), heeft het ministerie van VROM bij brief van 14 november 2003 gemeenten verzocht duidelijkheid te verschaffen. Tevens is er een oplossing geboden in de zin van de kruimelgevallenlijst die achtereenvolgens in het Besluit op de Ruimtelijke Ordening 1985 (BRO1985), het Besluit ruimtelijke ordening (Bro) en thans in het Besluit omgevingsrecht (Bor) is opgenomen. Met toepassing van deze bepaling kan een omgevingsvergunning worden verleend ten behoeve van het permanent wonen onder bepaalde voorwaarden. Hierbij wordt als peildatum 31 oktober 2003 aangehouden als een van de voorwaarden. Deze omgevingsvergunning geldt als persoonsgebonden en objectgebonden.

Naar de mening van de gemeente Peel en Maas wordt met de kruimelgevallenlijst van het Bor geen definitieve oplossing geboden voor de complexe en gedifferentieerde problematiek ten aanzien van permanente bewoning op de recreatieparken.

De gemeente heeft naar aanleiding van bovenstaande onderzocht welke mogelijkheden er zijn om tot een definitieve oplossing van de problematiek en ontstane sociale onrust te komen. Dit is nader uitgewerkt in het 'Uitvoeringsbeleid permanente bewoning op recreatieterreinen' (vastgesteld d.d. 28 april 2015). Dit beleid vormt de basis voor onderhavig bestemmingsplan.

1.2 Uitspraak Raad van State

1.2 Uitspraak Raad van State

Het plangebied was opgenomen in het bestemmingsplan Buitengebied Peel en Maas. De gemeenteraad van Peel en Maas heeft in de openbare vergadering van 5 februari 2013 het bestemmingsplan Buitengebied Peel en Maas gewijzigd vastgesteld. Vervolgens heeft de gemeenteraad op 5 november 2013 dit plan gedeeltelijk opnieuw vastgesteld. Bij de Afdeling Bestuursrechtspraak van de Raad van State zijn vervolgens 36 beroepen ingediend tegen het bestemmingsplan 'Buitengebied Peel en Maas', waaronder tegen de regeling voor het Bungalowpark Stille Wille. Op 24 december 2014 heeft de Raad van State uitspraak gedaan over de 36 ingediende beroepen.

Specifiek voor permanente bewoning op Bungalowpark Stille Wille in Meijel heeft de Raad van State de uitspraak gedaan, dat het bestemmingsplan ten onrechte niet voorziet in een passende regeling voor permanente bewoning van een groot aantal woningen op het bungalowpark. Om de betreffende woningen alsnog van een passende regeling te voorzien heeft de gemeente besloten de recreatieparken waarop permanente bewoning plaatsvindt uit het bestemmingsplan Buitengebied Peel en Maas te halen en van een afzonderlijk bestemmingsplan te voorzien, waarin de problematiek op een passende manier behandeld kan worden.

De Raad van State heeft de gemeente de opdracht gegeven om het bestemmingsplan Buitengebied Peel en Maas voor 23 december 2015 te repareren voor die onderdelen die zijn vernietigd, waaronder de regeling voor Bungalowpark Stille Wille.

1.3 Plangebied

1.3 Plangebied

afbeelding "i_NL.IMRO.1894.BPL0122-VG01_0001.png"

Ligging plangebied op topografische ondergrond (bron: www.opentopo.nl)

Het plangebied betreft de twee recreatieterreinen De Stille Wille en Beringerzand.

Recreatieterrein De Stille Wille ligt ten westen van de kern Meijel in een bosgebied op de grens van Brabant en Limburg, aan de rand van het natuurgebied 'De Grote Peel'.

Ten noordoosten van de kern Beringe ligt aan de overzijde van de Noordervaart en de Noordenbaan (N275) recreatieterrein Beringerzand.

1.4 Overgangsrecht

Naar aanleiding van het beroep inzake het bestemmingsplan Buitengebied Peel en Maas, vastgesteld op 5 februari 2013, is geconstateerd dat permanente bewoning in een aantal gevallen voor een tweede keer onder het overgangsrecht is gebracht. Specifiek voor het plandeel Stille Wille is het bestemmingsplan op deze grond vernietigd door de Raad van State.

In het bestemmingsplan Buitengebied Peel en Maas is in artikel 58.2 (Overgangsrecht gebruik) de volgende bepaling opgenomen:

  • a. "Het gebruik van grond en bouwwerken dat bestond op het tijdstip van inwerkingtreding van het bestemmingsplan en hiermee in strijd is, mag worden voortgezet"
  • b. "Het bepaalde onder a. is niet van toepassing op het gebruik dat reeds in strijd was met het voorheen geldende bestemmingsplan, daaronder begrepen de overgangsbepalingen van dat plan."

De voorheen geldende bestemmingsplannen voor Stille Wille (artikel 3.08 lid 2) en Beringerzand regelen het volgende voor wat betreft het overgangsrecht:

  • a. "Indien op het tijdstip van het van kracht worden van het plan gronden en bouwwerken worden gebruikt in strijd met het in dit plan voorgeschreven gebruik, mag dit strijdig gebruik van gronden en bouwwerken worden voortgezet".
  • b. "Wijziging van het met het plan strijdige gebruik van gronden en bouwwerken is verboden, indien door die wijziging van het gebruik de afwijking van het pan naar aard en omvang wordt vergroot."

De overgangsregelingen in die plannen bevatten geen clausule op grond waarvan illegaal gebruik is uitgezonderd. Zo'n uitzondering moet nu wel in het overgangsrecht in een bestemmingsplan worden opgenomen, maar dat hoefde voorheen (voor 2008) niet. Als die uitzondering van het illegale gebruik niet is gemaakt, heeft dat tot gevolg, dat illegale situaties niet langer meer illegaal zijn, maar legale situaties worden vanwege het overgangsrecht. Wel houdt het overgangsrecht beperkingen in ten opzichte van een positieve bestemming als woning.

De situaties die hier aan de orde zijn, zijn vanwege het ontbreken van een bepaling voor bestaand illegaal gebruik in de oude bestemmingsplannen voor Stille Wille en Beringerzand dus niet meer illegaal. Als er aangetoond kan worden dat op het tijdstip van het van kracht worden van de voorheen geldende bestemmingsplannen voor Stille Wille en Beringerzand reeds permanent gewoond werd in bepaalde recreatiewoningen, is dat toegestaan door het overgangsrecht van die bestemmingsplannen en kon er op basis daarvan niet handhavend worden opgetreden. Dit overgangsrecht was zaaksgebonden: het gebruik wijkt af van het nieuwe bestemmingsplan maar mag worden voortgezet totdat de nieuwe bestemming kan worden gerealiseerd. Daarbij is niet van belang wie de bewoner is. Het gebruik mocht dus worden voortgezet, ongeacht of dat door de bestaande of nieuwe gebruiker wordt gedaan.

  • Voor Stille Wille is deze bepaling opgenomen in artikel 3.08, lid 2 van het voorheen geldende bestemmingsplan Buitengebied 1992, goedgekeurd door GS op 4 mei 1993, in werking getreden en onherroepelijk geworden bij Koninklijk Besluit van 19 juli 1997. Peildatum voor Stille Wille = 19 juli 1997.
  • Voor Beringerzand is deze bepaling opgenomen in artikel 3.08, lid 2 van het voorheen geldende bestemmingsplan Buitengebied, vastgesteld op 16 september 1991, goedgekeurd door GS op 28 april 1992 en in werking getreden op 10 oktober 1995. Peildatum voor Beringerzand = 10 oktober 1995.

De peildatums verschillen dan ook per recreatiepark. De permanente bewoning van recreatiewoningen is met het bestemmingsplan Buitengebied Peel en Maas voor de tweede keer onder het overgangsrecht gebracht. Derhalve dient in onderhavig bestemmingsplan voor het plangebied Stille Wille de permanente bewoning op het recreatieterrein van een passende regeling te worden voorzien.

1.5 Doel

Het doel van dit bestemmingsplan is een planologisch-juridisch kader vast te leggen voor permanente bewoning op de recreatieterreinen:

  • Recreatieterrein De Stille Wille, Steenoven 12 te Meijel
  • Recreatieterrein Beringerzand, Heide 6 te Beringe

Het bestemmingsplan '2e reparatieherziening bestemmingsplan buitengebied: Stille Wille en Beringerzand' voorziet in de benodigde ruimtelijke onderbouwing ten behoeve van de ontwikkeling, in de vorm van een toelichting. Aan bod komen onder andere:

  • beschrijving van de bestaande en toekomstige situatie;
  • toetsing aan het wettelijk en beleidskader;
  • onderzoek naar de actuele waarden en beperkingen met onder andere een toetsing aan milieuwetgeving en andere ruimtelijke wetgeving met betrekking tot bestaande of potentiële belemmeringen in de omgeving van het plangebied (archeologisch en cultuurhistorische waarden, natuurlijk en landschappelijke aspecten, waterparagraaf, bodemkwaliteit, luchtkwaliteit, geluidhinder, aanwezige leidingen, duurzaamheid, uitvoerbaarheid);
  • beschrijving van de bestemmingen;
  • procedure.

Naast deze toelichting omvat dit bestemmingsplan Regels en een verbeelding, opgesteld conform IMRO2012 en de SVBP2012. Hiermee wordt voldaan aan de eisen die de Wet ruimtelijke ordening (Wro) en de gemeente Peel en Maas stellen ten aanzien van bestemmingsplannen.

Hoofdstuk 2 Beschrijving bestaande situatie

2.1 Wat is permanente bewoning van recreatiewoningen?

Om het permanent oftewel permanent wonen op recreatieterreinen tegen te kunnen gaan, moet eerst duidelijk zijn wat hieronder wordt verstaan. Een door de wetgeving geformuleerde definitie bestaat niet. Het is dus aan de gemeenten om dit exact te bepalen. Wel heeft de VROM inspectie in samenwerking met de Vereniging Nederlandse Gemeenten (VNG) een handreiking 'Permanente bewoning van recreatiewoningen' opgesteld waarin is aangegeven wanneer er sprake is van permanente bewoning van recreatiewoningen. De gehanteerde definitie van permanente bewoning is mede hierop gebaseerd.

"Er is sprake van permanente bewoning als het woongebruik in strijd is met de bestemmingsplanregels. De bedoelde wooneenheid wordt al of niet tijdelijk gebruikt voor wisselende bewoning als hoofdverblijf. Met andere woorden: de recreatiewoning of ander kampeermiddel vormt het reëel hoofdverblijf en is niet een adres waar men tijdelijk of recreatief verblijft. Het gaat overigens niet om de duur van het strijdig gebruik, maar om de strijdigheid van de activiteit met de geldende planregels."

De huidige bestemmingsplannen van de gemeente Peel en Maas geven een duidelijke definitie van het begrip permanente oftewel permanente bewoning. In deze bestemmingsplannen is het gebruik van recreatiewoningen voor permanente/permanente bewoning uitdrukkelijk uitgesloten. In de gebruiksregels van een bestemmingsplan wordt het verbod op permanente bewoning van recreatieverblijven gekoppeld aan het hebben van een hoofdverblijf en niet aan een maximum te stellen aantal dagen of nachten dat iemand achtereen in een recreatieverblijf mag doorbrengen. Voor het vaststellen van iemands hoofdverblijf kan worden volstaan met het verzamelen van feiten en omstandigheden die de conclusie rechtvaardigen dat de betreffende recreatiewoning fungeert als centrum van zijn of haar sociale en maatschappelijke activiteiten. Bovendien wordt daarmee aangesloten bij de definitie van het begrip “woonadres” in de Wet Basisregistratie Adressen en Personen.

Het rijksbeleid over permanente bewoning heeft uitsluitend betrekking op recreatiewoningen en niet op andersoortige recreatieverblijven zoals chalets, stacaravans, comfortships, jachten en dergelijke. Dit vanwege het feit dat het beleid aangeeft dat alleen permanent/permanent bewoonde recreatieverblijven die kunnen voldoen aan de bij of krachtens de wettelijk gestelde eisen voor een reguliere woning, in aanmerking (kunnen) komen voor legalisatie en/of gedoogbeschikkingen. Concreet betekent dit dat wonen in chalets, stacaravans, comfortships, jachten en dergelijke altijd uitgesloten is, omdat deze niet aan de vergelijkbare eisen van een reguliere woning kunnen voldoen (bijv. brandwerende constructies etc.).

2.2 Oorzaak permanente bewoning van recreatiewoningen

Een deel van de mensen kiest ervoor om een recreatiewoning permanent te bewonen vanwege de hoge kwaliteit van de woonomgeving en de locatie van de woning. Immers, recreatiewoningen liggen vaak in een aantrekkelijke groene omgeving. Maar er zijn ook andere redenen.

Een aanzienlijke groep van de mensen, die permanent in een recreatiewoning woont, wordt gevormd door inwoners uit de eigen of omliggende gemeenten. Ook in situaties van bijzondere omstandigheden biedt een recreatiewoning veelal op de korte termijn een uitkomst, bijvoorbeeld bij een echtscheiding of inkomstenverlies.

Landelijk gezien is het aantal vutters en gepensioneerden in de groep permanente bewoners het grootst (38%). Inwoners uit de eigen gemeenten en mensen met (sociale) problemen vormen met respectievelijk 28% en 13% ook een grote groep. Voor de gemeente Peel en Maas zijn er geen specifieke cijfers bekend over de groepssamenstelling van de permanente bewoners op de recreatieterreinen. Wat voor redenen mensen ook hebben om hun recreatiewoning permanent te bewonen, gewild of ongewild, op grond van de geldende regelgeving is dit niet toegestaan.

2.3 Bestaande situatie

2.3.1 Recreatieterrein De Stille Wille

afbeelding "i_NL.IMRO.1894.BPL0122-VG01_0002.png"

Kadastrale en GBKN ondergrond recreatieterrein De Stille Wille

Recreatieterrein De Stille Wille is gelegen op het adres Steenoven 12 te Meijel. Dit terrein is opgebouwd uit ongeveer 171 kadastrale percelen (wegen uitgezonderd). Zes van deze percelen zijn particulier eigendom (middenstrook over de camping). Van de 171 percelen zijn 11 percelen onbebouwd. De bungalows zijn genummerd t/m 185. Van de 185 huisnummers bestaan er 34 niet. Enkele huisnummers komen meerdere keren voor. In totaliteit zijn er momenteel 160 bungalows op recreatieterrein De Stille Wille aanwezig. Van deze 160 bungalows zijn blijkens een door MB-all uitgevoerde quick-scan 22 bungalows in gebruik voor de huisvesting van tijdelijke arbeidskrachten. Uit de meest recente lijst, overlegd door Bungalowpark Stille Wille BV blijkt dat er met ingang van 18 maart 2015 22 bungalows in gebruik waren voor de huisvesting van tijdelijke arbeidskrachten

Van deze 160 bungalows mogen 15 bungalows permanent worden bewoond omdat de bewoners van deze bungalows een gedoogbeschikking hebben. Ongeveer 40 woningen mogen permanent worden bewoond omdat de bewoners een persoonsgebonden omgevingsvergunning hebben ontvangen om ter plaatse permanent te mogen wonen. In totaal staan er op 94 bungalows mensen ingeschreven in de BRP. Slechts een klein deel wordt recreatief gebruikt.

2.3.2 Recreatieterrein Beringerzand

afbeelding "i_NL.IMRO.1894.BPL0122-VG01_0003.png"

Kadastrale en GBKN ondergrond recreatieterrein Beringerzand

Recreatieterrein Beringerzand is gevestigd op het adres Heide 6 te Beringe. Op het terrein ten zuiden van de weg zijn 27 vakantiehuisjes gelegen. Deze vakantiehuisjes zijn particulier eigendom. De openbare weg is eigendom van recreatiepark Beringerzand. Van de 27 vakantiehuisjes worden er vermoedelijk 15 permanent bewoond. Van deze 15 zijn er 10 die een persoonsgebonden omgevingsvergunning hebben ontvangen.

2.3.3 Overzicht feitelijke situatie

In onderstaande tabel worden voorgaande resultaten nog eens overzichtelijk weergegeven.

  De Stille Wille   Beringerzand  
Aantal huisjes/chalets vermoedelijk permanent bewoond   94   5  
Aantal huisjes/chalets vermoedelijk recreatief gebruik   onbekend   9  
Aantal huisjes/chalets vermoedelijk huisvesting arbeidsmigranten   22   3  
Aantal huisjes/chalets verleende persoonsgebonden omgevingsvergunningen   40   10  
Totaal   160   27  

Opm: Huisvesting tijdelijke arbeidskrachten maakt geen deel uit van dit bestemmingsplan. Hiervoor is separaat beleid ontwikkeld. Hier dient dan ook aan te worden voldaan.

Concluderend kan gesteld worden dat in de gemeente Peel en Maas sprake is van een omvangrijke problematiek die in strijd is met wet- en regelgeving en die momenteel passief wordt gedoogd. Passief gedogen is in de gemeente Peel en Maas niet gewenst waardoor de vaststelling van dit bestemmingsplan noodzakelijk is.

afbeelding "i_NL.IMRO.1894.BPL0122-VG01_0004.png"

2.4 Negatieve gevolgen permanente bewoning

Het permanent bewonen van een recreatiewoning (en de legalisatie daarvan) brengt een groot aantal negatieve effecten met zich mee. Hierna volgen, zonder naar volledigheid te streven, de belangrijkste negatieve effecten.

2.4.1 Ruimtelijk

Een van de meest genoemde argumenten tegen het permanent bewonen van recreatiewoningen, is dat dit leidt tot onttrekking aan de hoeveelheid recreatiewoningen binnen een gemeente. Het gevolg hiervan is dat, bij een gelijkblijvende vraag, behoefte bestaat om elders in het landelijk c.q. buitengebied een nieuw recreatiecomplex te vestigen.

Een bijkomend negatief effect is dat concentraties van permanent bewoonde delen van recreatiecomplexen er toe kunnen leiden dat van oorsprong natuurlijk ogende terreinen worden uitgebreid c.q. aangekleed met allerlei aan- en bijgebouwen, hekken en schuttingen. Immers, mensen die permanent in hun recreatiewoning verblijven hebben meer behoefte aan dit soort bouwwerken dan mensen die de recreatiewoning conform de bestemming gebruiken. Een dergelijke ontwikkeling is in strijd met het landelijk karakter van het gebied waarin een recreatiecomplex doorgaans is gelegen. Een “gewone” woonwijk is zodanig ontwikkeld, dat deze voldoet aan de eisen die daaraan moeten worden gesteld, zoals een goede ontsluiting, een stedenbouwkundig ontwerp en wijkvoorzieningen. Permanente bewoning van recreatiewoningen kan dus de verstedelijking van het buitengebied in de hand werken.

Daarnaast gaat permanente bewoning op recreatieterreinen in tegen het ruimtelijke beleid dat is gericht op bundeling van wonen, werken, voorzieningen en op beperking van de mobiliteit en de aantasting van het buitengebied. Tevens kan permanente bewoning tot een grotere druk op de woonomgeving leiden dan recreatief gebruik. Immers, het is niet reëel om aan te nemen dat een recreatieverblijf een bezettingsgraad van 100% zal hebben.

2.4.2 Economisch

Mensen die recreatief wonen in een bepaald verblijf, hebben een duidelijk te onderscheiden uitgavenpatroon van personen die ergens permanent wonen. Door het permanent bewonen van recreatiewoningen kan het gewenste niveau van toerisme en recreatie verslechteren. In het algemeen besteden mensen die ergens permanent wonen minder dan toeristen /recreanten. Deze negatieve gevolgen zijn met name voelbaar in de horecasector.

2.4.3 Sociaal

Er kunnen spanningen ontstaan tussen permanente bewoners en recreanten, voornamelijk door het verschil in leefpatronen en gewoontes. Het permanent wonen in een recreatiewoning verdraagt zich niet goed met een recreatief gebruik van een naastgelegen recreatieverblijf. Dit kan leiden tot het ontstaan van leefbaarheidsproblemen. Ook kan permanente bewoning leiden tot het wegblijven van recreanten in de toekomst als gevolg van de wetenschap van permanente bewoning, waardoor het recreatieve aspect geweld wordt aangedaan.

2.4.4 Veiligheid

Omdat er andere bouwtechnische eisen gelden voor recreatieverblijven dan voor verblijven welke bedoeld zijn voor bewoning, kunnen er bijvoorbeeld (brand) veiligheidsproblemen ontstaan. Aan de bouw van een recreatieverblijf worden immers minder strenge eisen gesteld dan aan de bouw van woningen. Het betreft dan voornamelijk eisen ten aanzien van het woongenot/gezondheid, zoals isolatie, ventilatie, minimale gebruiksoppervlaktes en daglichttoetreding, maar ook eisen ten aanzien van brand- en constructieve veiligheid. Met andere woorden recreatiewoningen zijn kwalitatief afgestemd op kortdurend verblijf en niet op permanente bewoning. Ook het beheer en de inrichting is afgestemd op een recreatiepark met tijdelijk verblijf. Denk daarbij aan het eigendom, een centrale postbezorging, gezamenlijk ophalen huisvuil, één gezamenlijk adres, gezamenlijke nutsvoorzieningen etc. Ook op grond van dit argument is een recreatiepark niet geschikt voor permanente bewoning.

Hoofdstuk 3 Beleidskader

3.1 Rijksbeleid

3.1.1 SVIR en Barro

Gemeenten zijn niet geheel vrij in het voeren van hun eigen beleid. Rijk en provincies geven met het door hen gevoerde en vastgelegde beleid de kaders aan waarbinnen gemeenten kunnen opereren. Dit besteemmingsplan richt zich echter primair op het vastleggen van de bestaande situatie. Het nationale ruimtelijke beleid is met name verwoord in de Structuurvisie Infrastructuur en Ruimte SVIR) en de juridische vertaling daarvan in het Besluit algemene regels ruimtelijke ordening (Barro).

Dit beleid is overwegend van toepassing op nieuwe ontwikkelingen en daardoor slechts zeer beperkt dan wel niet relevant in de onderhavige situatie.

3.1.2 Brief Minister van VROM

Bij brief van 11 november 2003 heeft de (toenmalige) Minister van Volkshuisvesting, Ruimtelijke Ordening en Milieubeheer (VROM) aan de Tweede Kamer haar beleid gepresenteerd op het gebied van de permanente bewoning van recreatiewoningen. In het Algemeen Overleg van de Tweede Kamer is op 11 december 2003 gebleken dat dit beleid door de Kamer wordt gedragen. Tevens is deze beleidslijn verwerkt in de Nota Ruimte.

In essentie is het beleid erop gericht een einde te maken aan de permanente bewoning en om daarmee op persoonsniveau duidelijkheid te geven aan de betrokkenen. Zo is het voor elke bewoner duidelijk of er wel of niet gewoond mag worden in het recreatieobject. In haar brief van 29 november 2005 aan de Tweede Kamer heeft de Minister aangegeven dat gemeenten ook een latere peildatum dan de datum die is opgenomen in de Wet algemene bepalingen omgevingsrecht (Wabo), mogen kiezen, zolang deze niet in de toekomst ligt. Daarmee wordt voorkomen dat bewoners anticiperen op een toekomstige gedoogsituatie. Situaties van permanente bewoning die zijn ontstaan na de door een gemeente gehanteerde peildatum, komen volgens de minister niet in aanmerking voor een persoonsgebonden gedoogbeschikking en moeten worden gehandhaafd.

Uitgangspunt van dit beleid is een verruiming, waaraan door gemeenten en provincies uitwerking moet worden gegeven. Het aan gemeenten geboden verruimde beleidskader bestaat er uit dat gemeenten onder voorwaarden permanente bewoning van recreatiewoningen kunnen legaliseren. Is legalisering geen optie, dan dienen gemeenten actief tot handhaving over te gaan. Hierbij biedt de Minister, eveneens onder voorwaarden, de mogelijkheid om voor bestaande gevallen persoonsgebonden beschikkingen te verlenen. Deze beschikking (hetzij in de vorm van een persoonsgebonden gedoogbeschikking, hetzij in de vorm van een persoonsgebonden vrijstelling/ontheffing) zijn gebonden aan het object en aan de bewoner en vervallen bij verhuizing of overlijden van de bewoner. Met de inwerkingtreding van de Wet ruimtelijke ordening (Wro) en het Besluit ruimtelijke ordening (Bro) is de peildatum van 31 oktober 2003 wettelijk verankerd.

Uit jurisprudentie blijkt dat gemeenten met een latere peildatum dan 31 oktober 2003 hier gebruik van kunnen maken, mits dit beleidsmatig is vastgelegd voor 1 juli 2008. De voormalige gemeenten Helden, Kessel, Maasbree en Meijel hebben hier geen gebruik van gemaakt. Hierdoor is de peildatum van 31 oktober 2003 voor de gemeente Peel en Maas leidend. In de meest recente brieven van 20 maart 2008 en 3 juli 2008 heeft de Minister opgeroepen om, indien van toepassing, feitelijk uitvoering te geven aan het voor de gemeente geldende beleid voor de aanpak van permanente bewoning van recreatiewoningen, dan wel de uitvoering hiervan te versnellen, zodanig dat voor 1 januari 2010 op persoonsniveau duidelijkheid wordt verschaft aan de betrokken recreatiebewoners die al voor 31 oktober 2003 (en sindsdien) permanent in hun recreatiewoning wonen. In geval van handhaving moet aan de bewoners duidelijkheid zijn verleend in de vorm van een beschikking tot last onder dwangsom of last onder bestuursdwang. Bij brief van 8 februari 2012 doet de VNG een dringend beroep op alle gemeenten om zo spoedig mogelijk beleidsregels vast te stellen om permanente bewoning van recreatiewoningen te voorkomen en aan te pakken.

3.2 Provinciaal beleid

3.2.1 Provinciaal Omgevingsplan Limburg

Op 12 december 2014 is door Provinciale Staten van Limburg het Provinciaal Omgevingsplan Limburg 2014 (POL2014) vastgesteld. Het POL2014 is per 16 januari 2015 in werking getreden.

Het POL2014 heeft vier wettelijke functies: structuurvisie (Wet ruimtelijke ordening), provinciaal milieubeleidsplan (Wet milieubeheer), regionaal waterplan (Waterwet), Provinciaal Verkeer- en Vervoersplan (Planwet verkeer en vervoer). In het POL2014 komen alleen die zaken aan bod, die er op provinciaal niveau echt toe doen en die vragen om regionale oplossingen. Dat sluit aan bij de provinciale basisfilosofie en ook bij de aanpak van de rijksoverheid, die zich beperkt tot een 13-tal nationale ruimtelijke belangen. De verantwoordelijkheid ligt zo veel mogelijk bij gemeenten en andere partners die met hun lokale kennis prima maatwerk kunnen leveren.

Ook de provincie acht het legaliseren van permanente bewoning beleidsmatig ongewenst. Recreatiewoningen moeten in beginsel beschikbaar zijn voor commercieel recreatief gebruik en gemeenten dienen dus bij een daarmee strijdig gebruik handhavend op te treden. In het Provinciaal Omgevingsplan Limburg, vastgesteld door PS op 12 december 2014 is het volgende opgenomen ten aanzien van permanente bewoning:

  • In het buitengebied is geen plaats meer voor woningbouw (met uitzondering van noodzakelijke bedrijfswoningen); geen nieuwbouw 'in de wei' (is alleen nog binnen bestaand bebouwd gebied). Dat geldt daarmee ook voor het 'verzilveren' van – soms volumineuze - (voormalig agrarische) gebouwen in het buitengebied door deze om te zetten naar of vervangen door woningen. Gemeenten zouden nog beperkte tijd kunnen bieden voor gebruik van bestaande bouwtitels. Indicatief geldt daarvoor een termijn tot 2018 (of maximaal tot 5 jaar na vaststelling van het POL2014). Gemeenten hanteren hierbij geen ondergrens. Waar een snellere afbouw van plancapaciteit verantwoord mogelijk is, moet deze kans worden benut en geldt een kortere realisatietermijn.
  • In aansluiting hierop wordt het wonen op recreatieterreinen in verschillende vormen verder ingeperkt. Permanent wonen op een recreatieterrein is niet toegestaan. Ook het omzetten van recreatiewoningen op terreinen bestemd voor recreatie, in woningen voor permanente bewoning, is niet toegestaan. Strakkere handhaving moet het ontstaan van steeds weer nieuwe situaties tegengaan. Ook de omzetting van buiten de recreatieterreinen gelegen vakantieverblijven naar regulier wonen is ongewenst.

Wonen op recreatieterreinen of in recreatieverblijven

In het POL2014 wordt gesteld dat de regionale transitieopgaven alleen succesvol uitgevoerd zullen kunnen worden als er naast het terugbrengen van de reguliere woningvoorraad en woningbouwplannen, ook oog is voor impliciete toevoegingen die voortkomen uit het gedogen en legaliseren van onrechtmatige bewoning van recreatieverblijven en recreatieterreinen.

  • 1. Het omzetten van voor recreatie bestemde terreinen en verblijven naar een bestemming die wonen mogelijk maakt, wordt in het licht van de transitieopgave in beginsel niet langer toegestaan. Het gebruik van een recreatieverblijf als woonverblijf is wettelijk al niet toegestaan. Daarbij is het van essentieel belang dat strakkere handhaving van oneigenlijk gebruik, het ontstaan van steeds weer nieuwe situaties moet tegengaan.
  • 2. In die gevallen, waar sprake is van een bewezen jarenlange gedoogsituatie, kunnen de gemeenten gebruik maken van hun bevoegdheid om een persoonsgebonden vergunning af te geven. Bij vertrek van de betreffende bewoner(s), vervalt het recht op bewoning en zal het verblijf, conform de oorspronkelijke bestemming, verder als recreatieverblijf aangemerkt en gebruikt worden (uitsterfconstructie). Naleving van deze uitsterfconstructie zal strak gehandhaafd moeten worden.
3.2.2 Omgevingsverordening Limburg 2014

De Omgevingsverordening Limburg (2011) was een samenvoeging van de Provinciale milieuverordening, de Wegenverordening, de Waterverordening en de Ontgrondingenverordening. Vanwege de vaststelling van het POL2014 is de Omgevingsverordening Limburg gewijzigd en opnieuw vastgesteld. De Omgevingsverordening Limburg 2014 is op 12 december 2014 vastgesteld door Provinciale Staten en is per 16 januari 2015 in werking getreden.

In de Omgevingsverordening wordt de juridische doorwerking van het omgevingsbeleid geregeld. Naast bepalingen die voor iedereen gelden (gedragsregels), bevat de Omgevingsverordening ook een hoofdstuk Ruimte, waarin instructieregels naar gemeenten zijn opgenomen.

Waar de situatie dat vereist zal de Provincie vaker en intensiever gebruik maken van juridisch instrumentarium, in het bijzonder de Omgevingsverordening Limburg 2014, waarin onder andere regels voor wonen op recreatieparken zijn opgenomen.

De provincie heeft in haar Omgevingsverordening 2014 de volgende paragraaf opgenomen:

Paragraaf 2.5 Bewoning van recreatieverblijven

  • Artikel 2.5.1 Verbod wijzigen bestemming
    Het is niet toegestaan de bestemming van recreatieverblijven op een recreatieterrein te wijzigen naar een bestemming die wonen mogelijk maakt.

  • Artikel 2.5.2 Verbod wonen in recreatieverblijven
    • 1. Een ruimtelijk plan bevat geen bepalingen die het wonen in recreatieverblijven mogelijk maken.
    • 2. Het eerste lid is niet van toepassing op tijdelijke huisvesting van arbeidsmigranten voor de duur van maximaal 10 jaar, voor zover deze voldoen aan de door Gedeputeerde Staten vastgestelde beleidsregel “Beleidsnotitie huisvesting arbeidsmigranten 2010”, of de vervanger hiervan.
3.2.3 Conclusie

Permanente bewoning is in strijd met het provinciaal beleid en hier kan niet van worden afgeweken.

3.3 Gemeentelijk beleid

3.3.1 Bestemmingsplan Buitengebied Peel en Maas

In het voorontwerp bestemmingsplan Buitengebied Peel en Maas komt het volgende naar voren:

  • Toelichting
    In paragraaf 2.3.2. van de toelichting van het voorontwerp bestemmingsplan Buitengebied Peel en Maas wordt de POL-aanvulling “Verstedelijking, Gebiedsontwikkeling en Kwaliteitsverbetering” behandeld. Daaruit blijkt de provinciale regie en sturing op woningvoorraadontwikkeling. Nieuwe op zichzelf staande uitleglocaties buiten de rode contour zijn niet mogelijk tenzij het een onderdeel vormt van een totale gebiedsontwikkeling die leidt tot een integrale versterking van het landelijk gebied. De voorkeur bestaat voor inbreiding of direct aansluitend aan de rode contour. De beleidslijnen voor het landelijk gebied volgen uit de Handreiking Ruimtelijke Ontwikkeling Limburg (paragraaf 2.3.7). Kwaliteitsverbetering en het tegengaan van verdere verstening zijn hierbij onder meer thema's. Uit paragraaf 2.3.8 van de toelichting, over de provinciale woonvisie 2011-2015, blijkt dat er op het niveau van dit voorontwerp-bestemmingsplan op grond van het woningbouwbeleid in het buitengebied geen nieuwe woningbouwontwikkeling mogelijk wordt gemaakt met uitzondering van locaties waar nog vigerende bouwtitels aanwezig zijn. Daarop is de provinciale woonvisie niet van toepassing. In paragraaf 2.4.1 wordt de Woonvisie Regio Venlo behandeld die de grondslag vormt voor regionale afstemming en samenwerking. De afspraken die op grond hiervan binnen de regio worden gemaakt, zijn niet vrijblijvend. Voor Peel en Maas is een quick-scan gedaan die echter enkel gevolgen heeft voor de kernen maar niet voor het buitengebied. In paragraaf 2.5 wordt het gemeentelijk beleid behandeld. In de Structuurvisie Buitengebied wordt het beleid voor het buitengebied gebundeld. Het vormt de basis voor het bestemmingsplan buitengebied waarin de juridische uitwerking van de structuurvisie is vastgelegd.
  • De bestemming
    De bestemming van de recreatieparken waarop tevens verblijfsrecreatie is toegelaten, was geregeld in artikel 19 “Recreatie-Verblijfsrecreatie” van het op 5 februari 2013 vastgestelde bestemmingsplan Buitengebied Peel en Maas. Dit bestemmingsplan is voor wat betreft het plandeel Stille Wille vernietigd. De voor deze bestemming aangewezen gronden zijn onder meer bestemd voor recreatiewoningen, chalets en vakantieappartementen, uitsluitend ter plaatse van de aanduiding “recreatiewoning”. In de specifieke gebruiksregels wordt onder strijdig gebruik verstaan onder meer het gebruik van gronden en bouwwerken voor en/of als: bewoning van vrijstaande bouwwerken en gebouwen, geen (bedrijfs)woning zijnde. Hieruit volgt dat permanente bewoning van een recreatiewoning, chalets en vakantieappartementen niet is toegestaan.
3.3.2 Integraal toezichts- en handhavingsbeleid

In de gemeente Peel en Maas heeft de gemeenteraad een integrale toezichts- en handhavingsvisie vastgesteld. Hierin worden de beleidskaders voor toezicht en handhaving aangegeven. Deze beleidskaders zijn door het college vertaald in een integrale uitvoeringsnota toezicht en handhaving. Deze beleidsnota moet worden gezien als een nadere uitwerking van het al vastgestelde algemene handhavingsbeleid. In het handhavingsbeleid is expliciet opgenomen dat jaarlijks een handhavingsprogramma moet worden opgesteld. In dit handhavingsprogramma zullen uren worden opgenomen om uitvoering te geven aan deze aanpak permanente bewoning in recreatiewoningen.

3.3.3 Beleidsuitgangspunten permanente bewoning op recreatieterreinen

De raad van de gemeente Peel en Maas heeft op 14 april 2015 de volgende beleidsuitgangspunten vastgesteld voor permanente bewoning op recreatieterreinen:

Beleidsuitgangspunten ten aanzien van gebruiken:

  • Hoofdregel is dat permanente bewoning op recreatieterreinen niet is toegestaan. De recreatieparken waar permanente bewoning aanwezig is blijven dan ook de bestemming 'Recreatie – Verblijfsrecreatie' behouden.
  • Een uitzondering op de hoofdregel dat permanente bewoning niet is toegestaan is wanneer:
    • 1. er een persoonsgebonden omgevingsvergunning is/wordt verleend voor de permanente bewoning. Binnen de huidige wetgeving (Wet algemene bepalingen omgevingsrecht (Wabo) bestaat de mogelijkheid om een persoonsgebonden omgevingsvergunning aan te vragen. In het besluit omgevingsrecht (Bor) staan enkele eisen genoemd waaraan minimaal moet zijn voldaan:
      • a. het moet gaan om een verblijf dat voldoet aan de eisen die bij of krachtens de Woningwet aan een bestaande woning worden gesteld;
      • b. de bewoning mag niet in strijd zijn met de milieuwetgeving;
      • c. de bewoner dient de woning op 31 oktober 2003 en sindsdien onafgebroken te bewonen;
      • d. de bewoner dient op 31 oktober 2003 meerderjarig te zijn.

Op grond van artikel 5.18 van het Bor geldt een persoonsgebonden omgevingsvergunning slechts voor degene aan wie zij is verleend. Daarnaast geldt de omgevingsvergunning slechts voor de termijn gedurende welke degene aan wie de vergunning is verleend en de betreffende recreatiewoning onafgebroken bewoont. Staakt de vergunninghouder de bewoning van de recreatiewoning, dan zal de recreatiebestemming weer actief worden gehandhaafd. Deze locaties worden in de vorm van persoonsgebonden overgangsrecht opgenomen in het bestemmingsplan en krijgen een aanduiding.

    • 1. diegenen kunnen aantonen dat zij onder het overgangsrecht van het vorige bestemmingsplan vallen. Dit kan worden aangetoond door het overleggen van gegevens waaruit blijkt dat er op het tijdstip van inwerkingtreding van het bestemmingsplan permanent gewoond werd door de huidige bewoner of zijn/haar voorganger.
      • a. Stille Wille: tijdstip inwerkingtreding bestemmingsplan buitengebied Meijel: 19 juli 1997.
      • b. Beringerzand: tijdstip inwerkingtreding bestemmingsplan buitengebied Helden: 10 oktober 1995.

Voor deze huizen wordt een uitsterfconstructie opgenomen in het nieuwe bestemmingsplan. Dit houdt in dat daar waar een aanduiding is opgenomen, in afwijking van de bestemming recreatie, wonen is toegestaan, met dien verstande dat wanneer het gebruik voor bewoning onafgebroken langer dan één jaar is beëindigd, wonen niet langer is toegestaan. Dit laatste moet door de gemeente worden geconstateerd. Het betreft dan ook een object gebonden recht.

Criteria om aan te tonen of de permanente bewoning valt onder het overgangsrecht:

Men moet 'voldoende aannemelijk' maken dat zij, of hun voorgangers, er reeds vóór de peildatum woonden en er sindsdien ook onafgebroken bleven wonen. Dit kan aan de hand van de volgende gegevens:

  • 1. Inschrijving BRP waaruit blijkt dat er permanent gewoond wordt op de peildatum en daarna is genoeg bewijsmateriaal.

dan wel

  • 2. Minimaal 3 documenten overleggen van de hieronder genoemde bewijsmiddelen:
    • a. informatie over opgegeven woonadres bij bedrijfsverenigingen;
    • b. informatie over renteaftrek woning via voorlopige/definitieve aanslag belastingdienst;
    • c. informatie opgegeven woonadres zorgverzekering;
    • d. informatie opgegeven woonadres energie- en waterleidingbedrijven;
    • e. informatie opgegeven woonadres telecombedrijven/telefoongids;
    • f. lidmaatschap lokale verenigingen/bibliotheek;
    • g. verhuisberichten TNT Post;
    • h. nachtregister van ondernemer die mogelijkheid tot nachtverblijf aanbiedt;
    • i. inschrijving Kamer van Koophandel;
    • j. informatie over opgegeven woonadres bij Kadaster;
    • k. informatie over opgegeven woonadres bij kentekenregistratie van de RDW.

  • Het college van burgemeester en wethouders beziet in haar uitvoeringsbeleid of er een mogelijkheid bestaat om tijdelijke omgevingsvergunningen te verlenen voor maximaal 10 jaar.

Beleiduitgangspunten ten aanzien van bouwen:

  • 1. Om de kans op permanente bewoning te verkleinen blijft de maximale oppervlakte van 100 m2 per recreatiewoning gelden, conform hetgeen is opgenomen in het bestemmingsplan buitengebied.
  • 2. Recreatiewoningen/bungalows die gebouwd zijn op basis van een vergunning voor een omvang van meer dan 100 m2 blijven dat recht behouden zonder de mogelijkheid tot verdere uitbreiding.
  • 3. Daar waar meer dan 100 m2 bebouwing aanwezig is zal handhavend worden opgetreden.
3.3.4 Uitvoeringsbeleid permanente bewoning op recreatieterreinen

Op 28 april 2015 heeft de raad het 'Uitvoeringsbeleid permanente bewoning op recreatieterreinen' vastgesteld. De doelstelling die centraal staat in dit uitvoeringsbeleid is:

“Bestaande en nieuwe gevallen van permanente bewoning van recreatiewoningen en andere recreatieve objecten waaronder chalets en woonunits, welke uit het oogpunt van ruimtelijke ordening, volkshuisvesting en/of bouwtechnische voorschriften ongewenst zijn, doelmatig te bestrijden en op voorhand te voorkomen.”

Deze notitie dient als handleiding bij de aanpak van permanente bewoning van recreatiewoningen binnen de gemeente Peel en Maas en geldt voor alle recreatieterreinen en solitair gelegen recreatieobjecten. Ieder recreatieterrein kent zijn eigen problematiek. Er zal dan ook, binnen de bestaande beleidskaders, maatwerk worden toegepast.

Tevens geeft deze notitie duidelijkheid aan de bewoners van de recreatieverblijven over de vraag wat onder permanente bewoning moet worden verstaan en op welke wijze de gemeente omgaat met permanente bewoning in recreatieverblijven. Bij het opstellen van deze notitie is gestreefd naar een uitvoerbaar beleid dat recht doet aan de doelstelling van het behouden van de functie van recreatiewoningen en dat in lijn is met de door de minister voor dit doel vastgestelde maatregelen. Tevens is bij het opstellen van het beleid zoveel als mogelijk naar regionale afstemming gezocht.

Dit beleid vormt de basis voor onderhavig bestemmingsplan en is integraal opgenomen in deze toelichting.

Hoofdstuk 4 Planbeschrijving

4.1 Oplossingsrichtingen problematiek permanente bewoning

4.1.1 Algemeen

Zoals eerder aangegeven heeft de Minister in de beleidskaders aangegeven wat van rijkswege in acht moet worden genomen bij de aanpak van de problematiek bij het permanent bewonen van recreatiewoningen. Samengevat onderscheidt de minister drie oplossingsrichtingen voor de problematiek van permanente bewoning:

  • 1. Verlenen persoonsgebonden omgevingsvergunningen;
  • 2. Legalisatie;
  • 3. Handhaving.

Voor de Gemeente Peel en Maas in het bijzonder geldt dat het overgangsrecht van de vorige bestemmingen het gebruik als permanente bewoning niet uitsloot. Dit heeft tot gevolg dat een aantal woningen permanent mogen worden bewoond op basis van het overgangsrecht. Er zijn dan ook nog twee oplossingsrichtingen mogelijk:

  • 1. het opnemen van persoonsgebonden overgangsrecht, dan wel
  • 2. een uitsterfconstructie.

In zijn algemeenheid moet een nieuw bestemmingsplan op grond van het rechtszekerheidsbeginsel bestaande legale rechten en belangen zoveel mogelijk eerbiedigen. Dat betekent dat bestaande situaties in beginsel een positieve bestemming moeten krijgen. Dat ligt anders als er nieuwe inzichten zijn op grond waarvan wordt geconcludeerd dat de bestaande situaties niet langer meer een kwestie van goede ruimtelijke ordening inhouden. Het belang van een nieuwe bestemming weegt dan zwaarder dan de gevestigde rechten en belangen. De gemeente mag in een dergelijk geval een andere bestemming leggen en de bestaande situatie 'wegbestemmen'. Dat mag echter niet zo maar: wordt een nieuwe bestemming gelegd, dan moet op dat moment al duidelijk zijn dat de bestaande situatie binnen de planperiode van 10 jaar zal verdwijnen. De gemeenteraad moet dat kunnen motiveren, bijvoorbeeld door aan te geven, dat de gemeente tot aankoop of onteigening overgaat en dat hiervoor middelen beschikbaar zijn. De bestaande situatie valt dan onder het overgangsrecht van dat nieuwe bestemmingsplan. Dit geeft regels voor de periode dat de nieuwe bestemming nog niet is gerealiseerd en de bestaande situatie nog tijdelijk bestaat. Als een gebruiker weet dat zijn locatie onder het overgangsrecht valt, weet hij dus ook dat hij er rekening mee moet houden dat er op enig moment, binnen de planperiode een einde aan die situatie zal komen. Eigenlijk zouden dus op het moment dat een nieuw bestemmingsplan wordt vastgesteld en de 10 jaren termijn is verstreken, geen situaties meer moeten bestaan die onder het overgangsrecht vallen. De werkelijkheid is echter vaak anders. Het is echter niet de bedoeling van de wet om situaties in opvolgende plannen steeds opnieuw onder het overgangsrecht te brengen. Dat heeft namelijk veel minder bouw- en gebruiksmogelijkheden dan een positieve bestemming heeft.

afbeelding "i_NL.IMRO.1894.BPL0122-VG01_0005.png"

Deze oplossingsrichtingen worden hierna verkend.

4.1.2 Verlenen persoonsgebonden omgevingsvergunningen

Binnen de huidige wetgeving (Wet algemene bepalingen omgevingsrecht (Wabo)) bestaat de mogelijkheid om een persoonsgebonden omgevingsvergunning aan te vragen. In het Besluit omgevingsrecht (Bor) staan enkele eisen genoemd waaraan minimaal moet zijn voldaan:

  • 1. het moet gaan om een verblijf dat voldoet aan de eisen die bij of krachtens de Woningwet aan een bestaande woning worden gesteld;
  • 2. de bewoning mag niet in strijd zijn met de milieuwetgeving;
  • 3. de bewoner dient de woning op 31 oktober 2003 en sindsdien onafgebroken te bewonen;
  • 4. de bewoner dient op 31 oktober 2003 meerderjarig te zijn.

Op grond van artikel 5.18 van het Bor geldt een persoonsgebonden omgevingsvergunning slechts voor degene aan wie zij is verleend. Daarnaast geldt de omgevingsvergunning slechts voor de termijn gedurende welke degene aan wie de vergunning is verleend en de betreffende recreatiewoning onafgebroken bewoont. Staakt de vergunninghouder de bewoning van de recreatiewoning, dan zal de recreatiebestemming weer actief worden gehandhaafd. Het verlenen van een persoonsgebonden omgevingsvergunning is een discretionaire bevoegdheid van de gemeente. Mensen die in de gemeente Peel en Maas voldoen aan de voorwaarden uit de Bor, komen in aanmerking voor een persoonsgebonden omgevingsvergunning. Dit geldt ook voor mensen die deze op dit moment nog niet hebben aangevraagd maar wel kunnen aantonen dat ze aan de voorwaarden voldoen.

4.1.3 Legalisatie

Het bestemmingsplan voor Beringerzand is vervangen door het bestemmingsplan buitengebied Peel en Maas dat op 5 februari 2013 is vastgesteld. Voor het plandeel Stille Wille is het bestemmingsplan vernietigd, wat inhoudt dat voor Stille Wille het voorheen geldende bestemmingsplan Buitengebied Meijel 1992 weer geldt. In het bestemmingsplan Buitengebied is het overgangsrecht opgenomen uit het Besluit ruimtelijke ordening. In zijn algemeenheid moet een nieuw bestemmingsplan op grond van het rechtszekerheidsbeginsel bestaande legale rechten en belangen zoveel mogelijk eerbiedigen. Dat betekent dat bestaande situaties in beginsel een positieve bestemming moeten krijgen. Dat ligt anders als er nieuwe inzichten zijn op grond waarvan wordt geconcludeerd dat de bestaande situaties niet langer meer een kwestie van goede ruimtelijke ordening inhouden. Het belang van een nieuwe bestemming weegt dan zwaarder dan de gevestigde rechten en belangen. De gemeente mag in een dergelijk geval een andere bestemming leggen en de bestaande situatie 'wegbestemmen'. Dat mag echter niet zomaar: wordt een nieuwe bestemming gelegd, dan moet op dat moment al duidelijk zijn dat de bestaande situatie binnen de planperiode van 10 jaar zal verdwijnen. De gemeenteraad moet dat kunnen motiveren, bijvoorbeeld door aan te geven, dat de gemeente tot aankoop of onteigening overgaat en dat hiervoor middelen beschikbaar zijn. De bestaande situatie valt dan onder het overgangsrecht van dat nieuwe bestemmingsplan. Dit geeft regels voor de periode dat de nieuwe bestemming nog niet is gerealiseerd en de bestaande situatie nog tijdelijk bestaat.

Als een gebruiker weet dat zijn locatie onder het overgangsrecht valt, weet hij dus ook dat hij er rekening mee moet houden dat er op enig moment, binnen de planperiode een einde aan die situatie zal komen. Eigenlijk zouden dus op het moment dat een nieuw bestemmingsplan wordt vastgesteld en de 10 jaren termijn is verstreken, geen situaties meer moeten bestaan die onder het overgangsrecht vallen. De werkelijkheid is echter vaak anders. Het is echter niet de bedoeling van de wet om situaties in opvolgende plannen steeds opnieuw onder het overgangsrecht te brengen. Dat heeft namelijk veel minder bouw- en gebruiksmogelijkheden dan een positieve bestemming heeft. Bij de voorbereiding van het nieuwe bestemmingsplan moet dus voor die situaties in principe worden gekeken of legalisatie mogelijk is (ABRS 10 november 2004, LJN AR5459 en ABRS 16 mei 2012, LJN BW5907, TBR 2012/108). Uit vaste jurisprudentie volgt dat in principe moet worden gekozen voor een positieve bestemming, Zie ABRS 24 september 2014, CLI:NL:RVS:2014:3487: 'De rechtszekerheid vereist in het algemeen dat bestaand legaal gebruik overeenkomstig de bestaande situatie wordt opgenomen in een bestemmingsregeling. Dit is anders wanneer het strijd oplevert met een goede ruimtelijke ordening.

Legalisatie van permanente bewoning op de recreatieterreinen van de gemeente Peel en Maas is in strijd met een goede ruimtelijke ordening, vanwege strijd met gemeentelijk, provinciaal en rijksbeleid:

  • 1. In de Structuurvisie Buitengebied van de gemeente Peel en Maas, vastgesteld op 21 december 2012, wordt ingestoken op het versterken van een toeristisch-recreatief karakter van de gemeente. Een bestemmingswijziging van “recreatie” naar “wonen” past niet binnen deze visie. De recreatiewoningen in de recreatieparken maken onderdeel uit van de toeristische infrastructuur. De gemeente Peel en Maas wenst dergelijke recreatieve voorzieningen voorhanden te hebben. Een bestemmingswijziging van 'Recreatie' naar 'Wonen' voor (een deel van) de recreatiewoningen in de recreatieparken draagt niet bij aan een (bewegende) toeristische economie.
  • 2. Een bestemmingswijziging van 'Recreatie' naar 'Wonen' onttrekt recreatiewoningen aan de bestemming. Om te kunnen voldoen aan de maatschappelijke behoefte om te recreëren is er een extra reservering nodig voor recreatieterreinen.
  • 3. Een bestemmingswijziging van 'Recreatie' naar 'Wonen' zorgt voor een toename van de gemeentelijke woningvoorraad. Een bestemmingswijziging van 'Recreatie' naar 'Wonen' gaat dan ook ten koste van plancapaciteit voor een gemeente. Immers het aantal woningen dat wordt toegevoegd aan de woningvoorraad moet in mindering worden gebracht op de nog te realiseren woningen. Daarbij moet worden bedacht dat over deze nog te realiseren woningen afspraken zijn gemaakt met betrekking tot kwantiteit, kwaliteit en financiële gevolgen met marktpartijen die de gemeente vervolgens niet meer in zijn geheel kan nakomen.
  • 4. Recreatief gebruik (wanneer het overige gedeelte een recreatiebestemming behoudt en in het geval van Stille Wille, het nabijgelegen recreatieterrein Simonshoek) en permanente bewoning van recreatiewoningen verdragen elkaar niet wat sfeer en functie betreft.
  • 5. Een bestemmingswijziging van 'Recreatie' naar 'Wonen' op recreatieterreinen of elders in het buitengebied gaat in tegen het ruimtelijk beleid, vastgelegd in de structuurvisie buitengebied en kernen en bedrijventerreinen dat is gericht op bundeling van wonen, werken en voorzieningen en beperking van de aantasting van het buitengebied. Wonen hoort in principe thuis in de kernen om leefbaarheid van kernen te behouden.
  • 6. Een bestemmingswijziging van 'Recreatie' naar 'Wonen' zorgt voor rechtsongelijkheid: personen die een recreatiewoning hebben aangeschaft voor een daadwerkelijke recreatieve functie worden geschaad in hun belangen.
  • 7. Een bestemmingswijziging van 'Recreatie' naar 'Wonen' zorgt voor een verstening binnen de recreatiegebieden. Binnen bestemmingen in een bestemmingsplan die woonwijken planologisch reguleren, zijn namelijk ruimere bouw- en uitbreidingsmogelijkheden opgenomen dan binnen een recreatieve bestemming.
  • 8. Opnemen van een woonbestemming creëert nieuwe geur- en geluidsgevoelige functies in het buitengebied waardoor bestaande (agrarische) bedrijven belemmerd worden.
  • 9. Een bestemmingswijziging van 'Recreatie' naar 'Wonen' is in strijd met het provinciaal beleid, vastgelegd in het POL 2014 (paragraaf 6.2) en de provinciale omgevingsverordening 2014 (artikel 2.5.1). In deze documenten is opgenomen dat de regionale transitieopgaven alleen succesvol uitgevoerd kan worden als er naast het terugbrengen van de reguliere woningvoorraad en woningbouwplannen, ook oog is voor impliciete toevoegingen die voortkomen uit het gedogen en legaliseren van permanente bewoning van recreatieverblijven en recreatieterreinen. Het omzetten van voor recreatie bestemde terreinen en verblijven naar een bestemming die wonen mogelijk maakt, wordt in het licht van de transitieopgave in beginsel niet langer toegestaan. Het gebruik van een recreatieverblijf als woonverblijf is wettelijk al niet toegestaan. Daarbij is het van essentieel belang dat strakkere handhaving van oneigenlijk gebruik, het ontstaan van steeds weer nieuwe situaties moet tegengaan. In die gevallen, waar sprake is van een bewezen jarenlange gedoogsituatie, kunnen de gemeenten gebruik maken van hun bevoegdheid om een persoonsgebonden vergunning af te geven. Bij vertrek van de betreffende bewoner(s), vervalt het recht op bewoning en zal het verblijf, conform de oorspronkelijke bestemming, verder als recreatieverblijf aangemerkt en gebruikt worden (uitsterfconstructie). Naleving van deze uitsterfconstructie zal strak gehandhaafd moeten worden.
4.1.4 Persoonsgebonden overgangsrecht / uitsterfconstructie

Legalisatie is in de meeste gevallen niet mogelijk. Derhalve is naar een tweede mogelijke oplossingsrichting gekeken. In het verleden zijn ook andere constructies door de jurisprudentie akkoord bevonden (uitsterfconstructie of persoonsgebonden overgangsrecht). In de onderhavige gevallen is het gebruik als permanente bewoning nu voor de tweede keer onder het overgangsrecht gebracht: eerst onder het overgangsrecht van de bestemmingsplannen buitengebied waarin de locaties Stille Wille en Beringerzand waren opgenomen (anders lijkt het net alsof deze locaties een apart bestemmingsplan hadden) en nu onder het overgangsrecht van het bestemmingsplan Buitengebied Peel en Maas. De beleidsmatige insteek van de gemeente is dat het een recreatieve bestemming behoudt. Wanneer iets tweemaal onder het overgangsrecht wordt gebracht zijn er een aantal opties mogelijk Wanneer iets tweemaal onder het overgangsrecht wordt gebracht dienen op basis van jurisprudentie (o.a. Ab 27 oktober 2004, AB 2005, 4 waar eenzelfde casus als o.a. Stille Wille aan de orde was) de volgende stappen te worden onderzocht:

  • 1. Is legalisatie mogelijk?
  • 2. Kan het gebruik onder het algemene overgangsrecht worden gebracht?
  • 3. Kan het gebruik onder een uitsterfconstructie worden gebracht?
  • 4. Kan het gebruik onder het persoonsgebonden overgangsrecht worden gebracht?

Optie 1 is reeds onderzocht in paragraaf 4.1.3. Hierna worden de 3 overige opties uitgewerkt.

  • A. Kan het gebruik onder het algemene overgangsrecht worden gebracht?

Wanneer blijkt dat legalisatie niet mogelijk is kan het college aan de raad voorstellen om het bestaande gebruik onder het algemene overgangsrecht te brengen. Daarvoor is echter vereist dat het gebruik binnen de planperiode zal worden beëindigd. Het gebruik is in het bestemmingsplan buitengebied onder het algemene overgangsrecht gebracht, terwijl niet te verwachten is dat het gebruik binnen de planperiode zal worden beëindigd. Dit is dan ook in strijd met de wet. Wanneer deze verwachting er niet is, bestaan een tweetal andere mogelijkheden, welke onder punt 3 en 4 beschreven zijn.

  • B. Kan het gebruik onder een uitsterfconstructie worden gebracht?

Wanneer niet verwacht wordt dat het gebruik binnen de planperiode wordt beëindigd, zoals in onderhavig geval, kan het college aan de raad voorstellen om het bestaande gebruik onder een uitsterfregeling te brengen. Dit blijkt uit een uitspraak van de Raad van State van 30 oktober 2013, zaaknr. 201211936/1/R1 en 31 augustus 2012, zaaknr. 201102364/1/R. In dat geval wordt een regeling opgenomen dat het bestaande gebruik, dat in strijd is met het bestemmingsplan, uitsluitend wordt toegelaten gedurende de periode dat dit nog plaatsvindt. Op het moment waarop het gebruik langer dan één jaar wordt beëindigd mag dit niet meer worden hervat en zijn uitsluitend nog de andere binnen de bestemming passende gebruiksvormen toegelaten (in dit geval dus Recreatie). Deze optie wordt bijvoorbeeld toegepast wanneer het gebruik niet binnen de planperiode kan worden beëindigd, maar op een later tijdstip. De woning wordt in dit geval bestemd als recreatiewoning met de daarbij behorende bouwregels en in afwijking van het gebruiksverbod van artikel 2.1 lid 1 onder c Wabo mag er 'gewoon' (of regulier) worden gewoond, zolang het gebruik wordt voortgezet. Er mag niet gebouwd worden voor 'gewoon wonen'. Ook kan het pand niet verkocht worden als een 'gewone' woning, maar als een 'recreatiewoning'. Het opnemen van een uitsterfconstructie biedt rechtszekerheid voor zowel de bewoner als de gemeente. Het is echter geen bescherming met een positieve bestemming, maar ook geen overgangsrecht, het is een tussenvorm. Het gaat minder ver dan het gewone algemene overgangsrecht, omdat daarvoor een termijn van 1 jaar na het staken van het gebruik geldt, waardoor hervatting mogelijk is. Dat geldt bij de uitsterfregeling niet, want dit is geen overgangsrecht. In onderhavig geval is deze optie de enige mogelijke optie. Het gebruik blijft echter voortbestaan en bewoners kunnen hun recreatiewoning doorverkopen aan een derde die er, op basis van de uitsterfconstructie, ook permanent in mag wonen. Dit is niet uit te sluiten wanneer gekozen wordt voor een uitsterfconstructie. Het biedt echter wel rechtszekerheid voor zowel de bewoners als de gemeente.

  • C. Kan het gebruik onder het persoonsgebonden overgangsrecht worden gebracht?

Wanneer niet verwacht wordt dat het gebruik binnen de planperiode wordt beëindigd, zoals in onderhavig geval, kan het college aan de raad voorstellen om het gebruik van de recreatiewoning als permanente bewoning onder een uitsluitend aan de persoon gebonden overgangsrecht te brengen. Artikel 3.2.3 van het Bro biedt daarnaast de raad de mogelijkheid om voor een of meer natuurlijke personen persoonsgebonden overgangsrecht op te nemen Er moet dan sprake zijn van 'een onbillijkheid van overwegende aard voor een of meer natuurlijke personen”. Het artikel is geschreven voor situaties die op het tijdstip van de inwerkingtreding van het bestemmingsplan in strijd waren met het voordien geldende bestemmingsplan. De Afdeling leek in haar uitspraak van 18 november 2011 (zaaknr. 200908600/6/R4) dit artikel te hebben opgerekt. De Afdeling heeft dit echter teruggedraaid in haar uitspraak van 30 oktober 2013, zaaknr. 201211936/1/R1. Een situatie die onder het voorgaande plan onder het overgangsrecht valt, mag niet zomaar onder persoonsgebonden overgangsrecht gebracht worden (ABRS 7 september 2014, ECLI:NL:RVS:2014:3390, JM 2014/143; ABRS 25 juni 2014, ECLI:NL:RVS:2014:2318). Voordat gekozen kan worden voor persoonsgebonden overgangsrecht, moet de gemeenteraad in die gevallen eerst overwegen of een uitsterfregeling mogelijk is. Pas als die overweging negatief uitvalt, komt persoonsgebonden overgangsrecht in beeld. (ABRS 22 augustus 2012, ECLI:NL:RVS:2012:BX5285; ABRS 7 september 2014, ECLI:NL:RVS:2014:3390, JM 2014/143; ABRS 20 augustus 2014, ECLI:NL:RVS:2014:3065; ABRS 7 mei 2014, ECLI:NL:RVS:2014:1689; ABRS 17 september 2014, ECLI:NL:RVS:2014: 3397). In onderhavig geval is het opnemen van een uitsterfconstructie mogelijk, mits de provincie hiermee instemt. Daar waar persoonsgebonden vergunningen of beschikkingen zijn verleend moet dit wel in het bestemmingsplan worden opgenomen in de vorm van persoonsgebonden overgangsrecht.

4.1.5 Handhaven

Het gemeentelijke beleid is in eerste instantie vastgelegd in de geldende bestemmingsplannen voor de recreatieterreinen. Uitgangspunt van deze bestemmingsplannen is dat permanente oftewel permanente bewoning van recreatiewoningen niet is toegestaan. De gemeente Peel en Maas alsook de voormalige gemeente Helden, Kessel, Maasbree en Meijel hebben nooit expliciet toestemming gegeven voor dergelijke vormen van illegale bewoning, met uitzondering van de situaties waarin permanente bewoning onder het overgangsrecht is gebracht.

De keuze om handhavend op te treden tegen permanente bewoning van recreatiewoningen sluit volledig aan bij de uitgangspunten van het rijks- en provinciaal beleid. Het tegengaan van permanent gebruik van recreatiewoningen is van groot belang en er wordt waarde gehecht aan adequate handhaving hiervan. Bovendien is het onwenselijk om mogelijkheden tot verblijfsrecreatie binnen de gemeentegrenzen te beperken door het wijzigen van de bestemming in wonen.

De volgende redenen liggen specifiek ten grondslag aan het niet toestaan van permanente bewoning van recreatiewoningen:

  • 1. De strijdigheid van permanente bewoning van recreatiewoningen met de uitgangspunten van het bestemmingsplan en de borging hiervan in de bestemmingsplanvoorschriften.
  • 2. In de structuurvisie van de gemeente Peel en Maas wordt ingestoken op het versterken van een toeristisch-recreatief karakter van de gemeente. Een bestemmingswijziging van “recreatie” naar “wonen” past niet binnen deze visie.
  • 3. De beginselplicht tot handhaving.

Permanente bewoning van recreatiewoningen is in strijd met de op democratische wijze door de gemeenteraad vastgestelde bestemmingsplannen. Het ruimtelijk beleid is gericht op bundeling van wonen, werken en voorzieningen in de kernen en op beperking van de aantasting van het buitengebied. Omdat recreatiegebieden veelal gelegen zijn bij of in (kwetsbare) natuurgebieden, zal het toestaan van permanente bewoning een negatieve invloed hebben op het waardevolle landschap.

De gemeente heeft als taak bestemmingsplannen (en de bouwregelgeving) te handhaven. Het enerzijds vaststellen van een regeling en anderzijds deze regeling niet handhaven, doet afbreuk aan de geloofwaardigheid van de gemeente als handhavingsinstantie en leidt tot rechtsongelijkheid ten opzichte van burgers die andersoortige overtredingen plegen en waar wel handhavend tegen wordt opgetreden. Het toestaan van permanente bewoning zou bovendien in strijd zijn met de bestaande jurisprudentie op het gebied van handhaving, waarin is bepaald dat handhaving een beginselverplichting is, waarvan alleen in bijzondere omstandigheden van mag worden afgezien. Omdat dergelijke bijzondere omstandigheden niet aan de orde zijn, zal door de gemeente actief handhavend moeten worden opgetreden tegen deze overtreding. Dat permanente bewoning van recreatiewoningen in onze gemeente plaatsvindt, vindt niet zijn grondslag in een onduidelijk standpunt van het rijk, provincie en gemeente of in onwetendheid van de burger, maar in factoren als burgers die bewust (tegen beter weten in) een recreatiewoning gaan bewonen, vindingrijkheid van de burger om de regels te omzeilen en in een redelijk gebrekkig handhavingsinstrumentarium, dat het adequaat optreden bemoeilijkt. Daar waar geen sprake is van een reeds verleende persoonsgebonden omgevingsvergunning of een uitsterfconstructie zal dan ook handhavend worden opgetreden.

4.2 Doorvertaling in het bestemmingsplan

4.2.1 Uitsterfconstructie

De enige optie in onderhavige situatie is om een uitsterfconstructie in onderhavig bestemmingsplan op te nemen voor situaties waarin aangetoond kan worden dat de permanente bewoning onder het overgangsrecht valt. De bestaande gebruikers hebben de zekerheid dat de huidige situatie kan worden voortgezet. Het biedt de gemeente de zekerheid dat de woningen ooit weer de oorspronkelijk bedoelde functie van recreatiewoning zullen krijgen, namelijk op het moment dat het gebruik langer dan een jaar wordt gestaakt, ook al kan dit een lange tijd duren. Op die manier is een regeling getroffen die ook recht doet aan het feit, dat de voorgaande bestemmingsplannen slechts in een beperkte regeling (te weten het overgangsrecht) voorzagen met de bijbehorende bouw- en gebruiksmogelijkheden en niet de volledige regeling (positieve bestemming als woning) en dat het gemeentelijk beleid erop is gericht om de bestemming 'Recreatie - Verblijfsrecreatie' te behouden. In deze optie dienen mensen wel aan te tonen dat de recreatiewoning reeds permanent bewoond werd op het moment dat de voorgaande bestemmingsplannen in werking traden (peildatum). Dat kan door de huidige bewoner zijn of door een vorige bewoner. Het gaat namelijk om het gebruik.

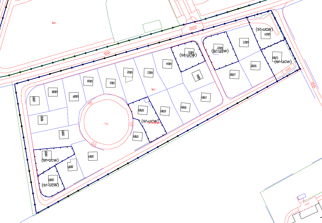
Van de volgende locaties is aangetoond dat hiervoor een uitsterfconstructie kan worden opgenomen in het bestemmingsplan:

afbeelding "i_NL.IMRO.1894.BPL0122-VG01_0006.png"

uitsnede verbeelding uitsterfconstructie recreatieterrein Beringerzand

Voor recreatieterrein Beringerzand zijn dit: B3, B4, B15, B20, B22, B24 en B25.

afbeelding "i_NL.IMRO.1894.BPL0122-VG01_0007.png"

uitsnede verbeelding uitsterfconstructie recreatieterrein De Stille Wille

Voor recreatieterrein De Stille Wille zijn dit: B1, B5, B8, B9, B15, B17, B19, B33, B34, B64, B69, B71, B77, B78, B93, B99, B111, B117, B127, B131, B134, B136, B138 en B142.

Voor bovenstaande locaties is de aanduiding 'specifieke vorm van recreatie - uitsterfconstructie wonen' opgenomen op de verbeelding en in de regels.

4.2.2 Persoonsgebonden overgangsrecht

Daar waar persoonsgebonden omgevingsvergunningen zijn verleend, is dit in de vorm van persoonsgebonden overgangsrecht opgenomen in onderhavig bestemmingsplan.

Van de volgende locaties is een persoonsgebonden omgevingsvergunning verleend:

afbeelding "i_NL.IMRO.1894.BPL0122-VG01_0008.png"

uitsnede verbeelding persoonsgebonden overgangsrecht recreatieterrein Beringerzand

Voor recreatieterrein Beringerzand zijn dit: B6, B8, B12 en B17.

afbeelding "i_NL.IMRO.1894.BPL0122-VG01_0009.png"

uitsnede verbeelding persoonsgebonden overgangsrecht recreatieterrein De Stille Wille

Voor recreatieterrein De Stille Wille zijn dit: B10, B23, B27, B31, B49, B51, B52, B59, B63, B65, B66, B74, B89, B90, B112, B115, B119, B129, B140, B143, B145, B147, B148, B149, B157, B162, B164 en B173.

Voor bovenstaande locaties is de aanduiding 'specifieke vorm van recreatie - persoonsgebonden overgangsrecht' opgenomen op de verbeelding en in de regels.

4.2.3 Overige situaties

Daar waar geen sprake is van verleende persoonsgebonden omgevingsvergunningen dan wel een uitsterfconstructie die is opgenomen in het bestemmingsplan zal handhavend worden opgetreden. Hoofdregel is immers dat permanente bewoning niet is toegestaan op recreatieterreinen.

4.3 Tijdelijke omgevingsvergunning

Op basis van artikel 2.1 lid 1 onder c en 2.12 lid 1 sub a onder 2 Wet algemene bepalingen omgevingsrecht jo artikel 4, onderdeel 11 van bijlage II van het Besluit omgevingsrecht kan het college een tijdelijke vergunning te verlenen voor gebruik dat in strijd is met het geldende bestemmingsplan. Voorwaarde hiervoor is dat het gebruik achteraf ongedaan kan worden gemaakt. De provincie heeft per brief van 12 maart 2015 aangegeven dat de optie om een tijdelijke omgevingsvergunning te verlenen sterk ontraden wordt aangezien hiermee geen recht wordt gedaan aan de regionale transitieopgave. Deze opgave kan volgens de provincie alleen succesvol worden uitgevoerd wanneer naast het terugbrengen van de reguliere woningvoorraad en woningbouwplannen ook oog is voor impliciete toevoegingen die voortkomen uit het gedogen en legaliseren van onrechtmatige bewoning van recreatieverblijven en recreatieterreinen.

Uit de huishoudingsontwikkeling blijkt dat voor wat betreft de kern Meijel het aantal benodigde woningen pas gaat dalen in 2030. Dit betekent dat het toestaan van omgevingsvergunning voor maximaal 10 jaar geen frictie oplevert met de door de provincie aangehaalde regionale transitieopgave. Ook de huishoudensontwikkeling voor de kern Panningen voor Beringerzand groeien nog tot 2030. Pas na 2030 zal het aantal huishoudens en als gevolg daarvan de benodigde woningen afnemen voor de diverse kernen in Peel en Maas.

Door het verlenen van tijdelijke omgevingsvergunningen wordt eenieder voldoende gelegenheid geboden om vervangende woonruimte te zoeken. De tijd om vervangende woonruimte te zoeken dient voldoende proportioneel te zijn. Daarom wordt er in dit uitvoeringsbeleid een staffeling opgenomen. Bewoners die er lang wonen krijgen ruimere tijd om vervangende woonruimte te zoeken. Bewoners die er kort wonen krijgen een kortere tijd om vervangende woonruimte te zoeken. Op deze manier is ook de handhaving beter te faseren.

Het college kan een tijdelijke omgevingsvergunning verlenen in de volgende situaties:

  • 1. Bewoners die kunnen aantonen dat zij op 1 januari 2005 en sindsdien onafgebroken permanent hebben gewoond in de recreatiewoning kunnen een omgevingsvergunning aanvragen voor maximaal 10 jaar.
  • 2. Bewoners die kunnen aantonen dat zij op 1 januari 2010 en sindsdien onafgebroken permanent hebben gewoond in de recreatiewoning kunnen een omgevingsvergunning aanvragen voor maximaal 5 jaar.
  • 3. Bewoners die kunnen aantonen dat zij op 1 januari 2015 en sindsdien onafgebroken permanent hebben gewoond in de recreatiewoning kunnen een omgevingsvergunning aanvragen voor maximaal 2 jaar.

Bewoners dienen deze omgevingsvergunning zelf aan te vragen en zijn hiervoor leges verschuldigd op basis van de dan geldende legesverordening. Nadat de termijn uit de vergunning is afgelopen (10,5 of 2 jaar) is permanente bewoning niet meer toegestaan en zal het gebruik in overeenstemming moeten worden gebracht met de geldende bestemming: recreatie.

Criteria om aan te tonen of de permanente bewoning valt onder het overgangsrecht

Men moet 'voldoende aannemelijk' maken dat zij er reeds vóór de bovengenoemde data woonden en er sindsdien ook onafgebroken bleven wonen. Dit kan aan de hand van de volgende gegevens:

  • 1. Inschrijving BRP waaruit blijkt dat er permanent gewoond wordt op de peildatum en daarna is genoeg bewijsmateriaal.

dan wel

  • 2. Minimaal 3 documenten overleggen van de hieronder genoemde bewijsmiddelen:

- informatie over opgegeven woonadres bij bedrijfsverenigingen;

- informatie over renteaftrek woning via voorlopige/definitieve aanslag belastingdienst;

- informatie opgegeven woonadres zorgverzekering

- informatie opgegeven woonadres energie- en waterleidingbedrijven;

- informatie opgegeven woonadres telecombedrijven/telefoongids;

- lidmaatschap lokale verenigingen/bibliotheek;

- verhuisberichten TNT Post;

- nachtregister van ondernemer die mogelijkheid tot nachtverblijf aanbiedt;

- inschrijving Kamer van Koophandel;

- informatie over opgegeven woonadres bij Kadaster;

- informatie over opgegeven woonadres bij kentekenregistratie van de RDW.

Tijdelijke omgevingsvergunningen dienen afzonderlijk aangevraagd te worden en worden niet opgenomen in onderhavig bestemmingsplan.

Hoofdstuk 5 Randvoorwaarden / resultaten onderzoeken

5.1 Inleiding

In dit hoofdstuk wordt nader ingegaan op verschillende onderzoeks- en milieuaspecten welke van belang zijn in het kader van een goede ruimtelijke ordening.

5.2 Milieu

5.2.1 Bodem
5.2.1.1 Algemeen

Op basis van artikel 3.1.6 Besluit ruimtelijke ordening zijn gemeenten verplicht om in de toelichting een paragraaf over de bodemkwaliteit op te nemen. In deze paragraaf dient gemotiveerd te worden of de aanwezige bodemkwaliteit past bij het toekomstige gebruik van de bodem. Uitgangspunt is dat de bodemkwaliteit als gevolg van aanwezige bodemverontreiniging geen onaanvaardbaar risico oplevert voor de gebruikers van de bodem. Bovendien mag de bodemkwaliteit niet verslechteren door grondverzet (bijvoorbeeld graafwerkzaamheden). Dit is het zogenaamde stand still-beginsel.

 

De (milieuhygiënische) bodemkwaliteit moet geschikt zijn voor de gewenste bestemming. De eisen die worden gesteld aan de bodemkwaliteit voor een woonbestemming zijn anders dan die voor bijvoorbeeld een bedrijfsbestemming. De eisen voor permanent wonen zijn echter gelijk aan de eisen voor recreatief wonen.

 

Bij het wijzigen van de bestemming van een reeds bebouwd perceel, waarbij de nieuwe gebruiksvormen een voor de beoordeling van het aspect bodemkwaliteit vergelijkbaar gebruik kennen, is beoordeling van het aspect bodemkwaliteit niet aan de orde.

5.2.1.2 Conclusie

Nu de eisen voor permanent wonen niet zwaarder zijn dan de bestaande recreatieve functie, wordt de woonbestemming (functie) die in het bestemmingsplan wordt toegelaten, passend geacht in relatie tot de bodemkwaliteit en hoeft geen bodemonderzoek uitgevoerd te worden.

5.2.2 Geluid
5.2.2.1 Algemeen

De Wet geluidhinder (Wgh) heeft tot doel mensen te beschermen tegen geluidsoverlast. Op basis van deze wet dient bij het opstellen van een ruimtelijk plan aandacht te worden besteed aan het aspect geluid. In de Wet geluidhinder is een zonering van industrieterreinen, wegen en spoorwegen geregeld. Enerzijds betekent dit dat (geluids)eisen worden gesteld aan de milieubelastende functies, anderzijds betekent dit dat beperkingen worden opgelegd aan milieugevoelige functies.

 

In deze paragraaf wordt ingegaan op deze afzonderlijke geluidsaspecten die relevant zijn voor het bestemmingsplan.

5.2.2.2 Wegverkeerslawaai

Ingevolge het bepaalde in de Wet geluidhinder heeft in beginsel iedere weg een geluidszone. Een dergelijke zone geldt niet voor wegen die gelegen zijn binnen een als woonerf aangewezen gebied of wegen waarvoor een maximumsnelheid van 30 km/uur geldt. recreatieterrein De Stille Wille ligt binnen het invloedsgebied van de N279 en de Steenoven. recreatieterrein Beringerzand ligt binnen het invloedsgebied van N275 en de Heide.

Omdat vanuit de Wgh voor permanente woningen andere geluidseisen gelden dan voor recreatieve woningen (logies-functie) dient bij omzetting van de besteeming een akoestisch onderzoek uitgevoerd te worden. De woonfunctie binnen het plan is een zogenoemde geluidgevoelige bestemming zoals bedoeld in de Wet geluidhinder. Ter plaatse van de gevels van de bestaande woonfunctie dienen de geluidbelastingen te worden bepaald ten gevolge van de zoneplichtige wegen waarvan de zone het plangebied overlapt. Deze geluidbelastingen worden getoetst aan de normen uit de Wet geluidhinder.

 

De Wet geluidhinder geeft grenswaarden ten aanzien van de geluidbelasting vanwege een weg op de gevels van woningen en andere geluidgevoelige bestemmingen. Er is echter sprake van een bestaande situatie. Derhalve hoeft er voor wat betreft de woningen waar een uitsterfconstructie of persoonsgebonden overgangsrecht wordt opgenomen niet getoetst te worden aan de wet geluidhinder.

5.2.2.3 Railverkeerslawaai

Het plangebied is niet gelegen binnen de onderzoekszone van een spoorlijn. Een onderzoek naar railverkeerslawaai is in het kader van dit bestemmingsplan dan ook niet aan de orde.

5.2.2.4 Industrielawaai

Het plangebied is niet gelegen binnen de geluidzone van een gezoneerd industrieterrein. Een akoestisch onderzoek in dit kader derhalve verder niet aan de orde.

5.2.2.5 Conclusie

Geluid vormt geen belemmering voor onderhavig planvoornemen.

5.2.3 Luchtkwaliteit

Bij de toets van een ruimtelijk plan op luchtkwaliteit, zijn de volgende twee zaken van belang:

  • a. het plan als veroorzaker van verkeer en daardoor bron van slechte luchtkwaliteit;
  • b. het plan als te beschermen object tegen slechte luchtkwaliteit.
5.2.3.1 Algemeen

Sinds 15 november 2007 zijn de belangrijkste bepalingen inzake luchtkwaliteit opgenomen in hoofdstuk 5, titel 5.2 van de Wet milieubeheer (hierna ook: Wm). Omdat de luchtkwaliteitseisen zijn opgenomen in titel 5.2 van de Wm, staat deze ook wel bekend als de 'Wet luchtkwaliteit'. Met de inwerkingtreding van de Wet luchtkwaliteit is het besluit luchtkwaliteit 2005 vervallen.

Het doel van titel 5.2 Wm is om de mensen te beschermen tegen de negatieve gevolgen van luchtverontreiniging op hun gezondheid. In de wet- en regelgeving zijn de richtlijnen uit de Europese regelgeving opgenomen, waaraan voorgenomen ontwikkelingen dienen te voldoen.

 

Als aan minimaal één van de volgende voorwaarden wordt voldaan, vormen de luchtkwaliteitseisen in beginsel geen belemmering voor het uitoefenen van de bevoegdheid van een bestuursorgaan ex. artikel 5.16 Wm:

  • er is geen sprake van een feitelijke of dreigende overschrijding van de grenswaarde;
  • een project leidt al dan niet per saldo, niet tot een verslechtering van de luchtkwaliteit;
  • een project draagt 'niet in betekenende mate' (NIBM) bij aan de verslechtering van de luchtkwaliteit;
  • een project past binnen het NSL (Nationaal Samenwerkingsprogramma Luchtkwaliteit) of een regionaal programma van maatregelen.
5.2.3.2 Het besluit NIBM

Deze Algemene maatregel van Bestuur (AmvB) legt vast wanneer een project 'niet in betekenende mate' bijdraagt aan de toename van concentraties van bepaalde stoffen in de lucht. Een project is NIBM wanneer het aannemelijk is dat het een toename van de concentratie veroorzaakt van maximaal 3%. De 3% grens wordt gedefinieerd als 3% van de grenswaarde voor de jaargemiddelde concentratie van fijn stof (PM10) of stikstofdioxide (NO2). Dit komt overeen met 1,2 microgram/m3 voor zowel PM10 als NO2. Het NSL is vanaf augustus 2009 van kracht, zodat de 3% grens aangehouden dient te worden. In het besluit NIBM is geregeld dat binnen de getalsmatige grenzen van de Regeling een project altijd 'niet in betekenende mate' is. Er zijn immers alleen categorieën van gevallen aangewezen, waarvan aannemelijk is dat de toename van de concentraties in de betreffende gevallen niet de 3% grens overschrijdt. Wanneer een categorie eenmaal is aangewezen, mag er zonder meer van worden uitgegaan dat de bijdrage 'niet in betekenende mate' is.

 

Bij de NIBM grens voor woningbouwlocaties wordt als 3% criterium gehanteerd een netto toevoeging van niet meer dan 1.500 nieuwe woningen in geval van één ontsluitingsweg, dan wel, in geval van twee ontsluitingswegen met een gelijkmatige verkeersverdeling, netto niet meer dan 3.000 woningen.

 

In onderhavig bestemmingsplan wordt de feitelijk bestaande situatie vastgelegd. In totaal is sprake van 185 recreatieve dan wel permanente woningen. Dit aantal blijft derhalve ruim onder de grens van 1.500 woningen. De omzetting van een deel van de recreatieve woningen naar permanente bewoning conform de feitelijke bestaande situatie, kan dan ook worden gekwalificeerd als 'niet in betekenende mate'. Vaststelling van het bestemmingsplan draagt dan ook niet in betekenende mate bij aan de toename van de concentratie fijn stof en stikstofdioxide in de lucht.

Ook zal het plan niet leiden tot een dusdanig aantal toenemende verkeersbewegingen dat de grenswaarde van de luchtkwaliteit daarmee wordt overschreden. InfoMil heeft een NIBM-tool ontwikkeld waarmee een 'worst-case' berekening kan worden verricht voor de bijdrage van het extra verkeer als gevolg van een plan op de luchtkwaliteit. Dit rekenmodel toont aan dat tot 1.853 extra voertuigen (weekdaggemiddelde) niet in betekenende mate bijdragen aan de verslechtering van de luchtkwaliteit. Hierbij wordt uitgegaan van 0% vrachtverkeer. Een dergelijke toename van het aantal voertuigen is niet voorzien. Bovendien is er sprake van een bestaande planologische situatie die wordt verankerd in het bestemmingsplan.

5.2.3.3 Besluit gevoelige bestemmingen

In december 2008 is in het 'Besluit gevoelige bestemmingen (luchtkwaliteitseisen)' vastgelegd dat scholen, voorzieningen voor kinderopvang en verpleeg-, verzorgings- en bejaardenhuizen alleen binnen 300 meter van de rand van een snelweg of 50 meter van de rand van een provinciale weg mogen worden gebouwd wanneer er geen sprake is van (dreigende) overschrijding van de grenswaarden voor luchtkwaliteit (PM10 en NO2). Dit geldt voor nieuwbouw, maar ook voor uitbreidingen met meer dan 10% van de capaciteit.

Het Besluit gevoelige bestemmingen is niet van toepassing op reguliere woningen en derhalve niet op onderhavige omzetting van recreatiewoningen naar permanente woningen.

 

De GGD heeft in de 'Richtlijn medische milieukunde: luchtkwaliteit en gezondheid' het volgende geadviseerd ten aanzien van het bouwen van gevoelige bestemmingen langs snelwegen en drukke gemeentelijke wegen (meer dan 10.000 mvt/etm):

  • liever niet binnen 300 meter van een snelweg,
  • op minder dan 100 meter van een snelweg wordt sterk afgeraden,
  • niet bouwen direct langs een drukke weg, dus niet in 1e lijnsbebouwing,
  • aangevuld met dat dit minimaal moet gelden binnen 50 meter van de rand van de drukke gemeentelijke weg.

 

De provinciale monitoringsrapportage (Provincie Limburg, Rapport Luchtkwaliteit 2002, december 2003) toont aan dat er in Limburg nog steeds sprake is van een verbetering van de luchtkwaliteit voor fijn stof. De gemiddelde grenswaarde van 40 ìg/m3 is de jaren voor 2001 niet meer overschreden. In 2001 bedroeg de gemiddelde PM10 concentratie voor de meetstations Vredepeel, Wijnandsrade, DSM-Complex en Maastricht respectievelijk 35, 32, 31 en 30 ìg/m3.

 

Het Planbureau voor de Leefomgeving (PBL) stelt luchtkwaliteitskaarten op. Onderstaand zijn deze kaarten voor 2010 weergegeven voorzover het de concentraties stikstof en fijnstof betreft.

afbeelding "i_NL.IMRO.1894.BPL0122-VG01_0010.png"

 

De concentratie stikstof ter plaatse van het projectgebied bedraagt minder dan 21 microgram/m³ en de concentratie fijnstof minder dan 25 microgram/m³. De grenswaarden van 40 microgram/m³ worden derhalve niet overschreden.

5.2.3.4 Conclusie

Zoals in de aanhef van deze paragraaf beschreven zijn bij de toets van ruimtelijk plannen op luchtkwaliteit, de volgende twee zaken van belang:

  • a. het plan als veroorzaker van verkeer en daardoor bron van slechte luchtkwaliteit
  • b. het plan als te beschermen object tegen slechte luchtkwaliteit.

 

Uit het voorgaande blijkt dat ten aanzien van onderdeel a) onderhavig bestemmingsplan moet worden aangemerkt als 'niet in betekenende mate' en derhalve niet leidt tot een significante verslechtering van de luchtkwaliteit. Ten aanzien van onderdeel b) moet worden overwogen dat onderhavig bestemmingsplan niet ziet op objecten welke op grond van het Besluit gevoelige bestemmingen worden beschermd. De afstand van de dichtstbijgelegen woningen tot de snelweg bedraagt meer dan 100 meter.

Gelet op de richtlijn van GGD is de ontwikkeling van gevoelige functies op meer dan 100 meter toelaatbaar. Derhalve kan worden overwogen dat ook de functiewijziging van niet-gevoelige functies (zoals in onderhavig geval woningen) niet bezwaarlijk is. Tevens blijkt uit de luchtkwaliteitskaarten dat de grenswaarden ter plaatse van het plangebied niet worden overschreden. Bovendien is er sprake van het planologisch verankeren van de vigerende situatie voor Stille Wille en Beringerzand

 

Geconcludeerd kan worden dat het aspect luchtkwaliteit geen belemmeringen voor onderhavig bestemmingsplan inhoudt.

5.2.4 Externe veiligheid
5.2.4.1 Algemeen

Bij externe veiligheid gaat het om de risico's die samenhangen met het produceren, verwerken, opslaan en vervoeren van gevaarlijke stoffen. Deze risico's doen zich voor rondom risicovolle inrichtingen of transportroutes, waarover gevaarlijke stoffen worden vervoerd. Een klein kantoorgebouw of een bedrijfsgebouw wordt daarbij beschouwd als een beperkt kwetsbaar object, waarbij de gehanteerde normen een richtwaarde vormen. Bij bijvoorbeeld woningen, die beschouwd worden als kwetsbare objecten, is de norm een grenswaarde waar altijd aan moet worden voldaan.

Het risico wordt uitgedrukt in een plaatsgebonden risico (PR) en een groepsrisico (GR). Bij het plaatsgebonden risico gaat het om de kans dat een persoon overlijdt als gevolg van een ongeval met gevaarlijke stoffen als deze persoon zich voortdurend en onbeschermd in de nabijheid van de transportas bevindt. Het groepsrisico is de kans dat een groep personen overlijdt als gevolg van een ongeval met gevaarlijke stoffen.

 

Van de ramptypes die verband houden met externe veiligheid zijn met name ongevallen met brandbare/explosieve of giftige stoffen van belang. Deze ongevallen kunnen nader worden onderscheiden in ongevallen met betrekking tot:

  • Inrichtingen.
  • Vervoer gevaarlijke stoffen door buisleidingen.
  • Vervoer gevaarlijke stoffen over weg, water of spoor.
5.2.4.2 Basisnet

In juni 2012 is de wet Basisnet vastgesteld door de Tweede Kamer. Het Basisnet beoogt voor de lange termijn (2020, met uitloop naar 2040) aan de gemeenten duidelijkheid te bieden over de maximale risico's die het transport van gevaarlijke stoffen mag veroorzaken. Die maximaal toelaatbare risico's worden met de bijbehorende risicozones voor alle relevante spoor-, weg- en vaarwegtrajecten in tabellen vastgelegd. Het Basisnet bestaat uit drie onderdelen: Basinet Spoor, Basisnet Weg en Basisnet Water. Door het Basisnet weten de gemeenten waar ze kunnen bouwen en ontstaan er geen veiligheidsproblemen door (onverwachte) groei van het transport van gevaarlijke stoffen.

 

Om het Basisnet wettelijk te verankeren moet bestaande wetgeving worden aangepast en nieuwe wetgeving worden ontwikkeld. Voor het wettelijk vastleggen van de regels voor de ruimtelijke ordening rondom het Basisnet is een nieuwe AmvB in ontwikkeling: het Besluit transportroutes externe veiligheid (Btev). De gewijzigde Wvgs en het Btev treden naar verwachting medio 2013 in werking. Tot die tijd is de circulaire Risiconormering vervoer gevaarlijke stoffen (cRNVGS) van kracht. Dit besluit betekent dat in ruimtelijke plannen, die ruimtelijke ontwikkelingen mogelijk maken en na 1 januari 2010 ter inzage zijn gelegd, rekening gehouden dient te worden met de vervoercijfers zoals die in de bijlage van de circulaire zijn opgenomen.

5.2.4.3 Risico inventarisatie

Uit de risicokaart van de provincie Limburg blijkt dat in het plangebied en (directe) omgeving de volgende risicodragende objecten aanwezig zijn (zie ook de hierop volgende uitsnedes).

afbeelding "i_NL.IMRO.1894.BPL0122-VG01_0011.png"

Uitsnede risicokaart Recreatieterrein Stille Wille

Recreatieterrein Stille Wille (propaantank)

Op het recreatieterrein Stille Wille is een propaantank gesitueerd. Dit risicovol object heeft een persoonsgebonden risico van 45 meter (PR 10-6) vanaf het vulpunt. Het vulpunt is aan de rand van het terrein gelegen. De (recreatie)woningen op het terrein liggen buiten deze risicocontour.

LPG-tankstation

Op circa 835 meter van recreatieterrein Stille Wille is een LPG-tankstation gelegen langs de Randweg. Dit risicovol object heeft een persoonsgebonden risico van 110 meter (PR 10-6). Gelet op de afstand van recreatieterrein Stille Wille tot het tankstation vormt dit object geen belemmering in het kader van onderhavig bestemmingsplan.

N279

Op een afstand van circa 800 meter van recreatieterrein Stille Wille ligt de provinciale weg N279 's-Hertogenbosch - Horn, waarover het transport van gevaarlijke stoffen plaatsvindt. Uit de risicokaart wegtransport gevaarlijke stoffen blijkt dat een plaatsgebonden risicocontour van 0 meter (10-6) aanwezig is.

afbeelding "i_NL.IMRO.1894.BPL0122-VG01_0012.png"

Uitsnede risicokaart Recreatieterrein Beringerzand

Recreatieterrein Beringerzand (propaantank)

Op het recreatieterrein Beringerzand is een propaantank gesitueerd. Dit risicovol object heeft een persoonsgebonden risico van 50 meter (PR 10-6) vanaf het vulpunt. Het vulpunt is in het zuidwesten van het terrein gelegen. De (recreatie)woningen op het terrein liggen buiten deze risicocontour.

N275

Op een afstand van circa 175 meter van recreatieterrein Beringerzand ligt de provinciale weg N275 Weert - Heide en Koningslust - Blerick, waarover het transport van gevaarlijke stoffen plaatsvindt. Uit de risicokaart wegtransport gevaarlijke stoffen blijkt dat de volgende risicocontouren aanwezig zijn:

  • 0 meter (PR 10-6);
  • 58 meter (PR 10-7);
  • 124 meter (PR 10-8).

Het terrein zelf ligt buiten de plaatsgebonden risicocontouren.

Voor het groepsrisico geldt een overschrijdingsfactor oriëntatiewaarde van 0,3 - 1 maal de oriënterendewaarde.

5.2.4.4 Conclusie

Het plaatsgebonden risico van de nabijgelegen risicobronnen vormt geen knelpunt. Daarnaast is bij dit bestemmingsplan sprake van een feitelijk bestaande situatie waarbij geen nieuwe ontwikkelingen rechtstreeks worden toegestaan.

 

Omdat het bestemmingsplan alleen de feitelijk bestaande situatie vastlegt wijzigt ook het groepsrisico niet. Het totaal aantal recreatieve dan wel permanente bewoners dat binnen de recreatieparken kan verblijven, neemt niet toe. Gelet op het ontbreken van nieuwe ontwikkelingen en het ontbreken van knelpunten binnen het invloedsgebied, is geen verantwoording voor het GR aan de orde. Een verdere verantwoording over het groepsrisico wordt om deze reden niet uitgewerkt.

 

Tot slot kan worden gesteld dat ten opzichte van de vigerende bestemmingsplannen geen verslechtering optreedt van het veiligheidsniveau.

5.2.5 Milieuzonering
5.2.5.1 Algemeen

In het kader van ruimtelijke plannen dient volgens de Handreiking Ruimtelijke Plannen van de gemeente beschreven te worden op welke wijze de VNG-brochure ‘Bedrijven en milieuzonering’ is toegepast (editie 2009). In deze VNG-brochure worden richtlijnen gehanteerd die een zekere noodzakelijke afstand tussen (agrarische) bedrijven en woonbebouwing aangeven. Deze afstand (zonering) wordt bepaald door enerzijds de aard van het bedrijf en anderzijds door het karakter van zijn omgeving.

De richtafstanden zijn niet wettelijk voorgeschreven. De richtafstandenlijsten gaan uit van gemiddeld moderne bedrijven en zijn geschreven voor nieuwe situaties. Indien bekend is welke activiteiten concreet beoogd worden, dan kan gemotiveerd worden afgeweken van de daadwerkelijke te verwachten milieubelasting (in plaats van de richtafstanden). Voor bestaande bedrijven geldt allereerst de geldende omgevingsvergunning of de richtlijnen uit de geldende Algemene Maatregel van Bestuur (AMvB).

5.2.5.2 Inventarisatie omliggende bedrijven

In de nabijheid van recreatieterrein Beringerzand (straal van 200 meter) zijn geen bedrijven gelegen.

In de nabijheid van recreatieterrein Stille Wille (straal van 200 meter) zijn de volgende bedrijven gelegen:

Adres bedrijf   Soort bedrijf   SBI-code (VNG)   Afstand tot plangebied   Afstand geur (VNG)   Afstand Stof (VNG)   Afstand geluid (VNG)  
Steenoven 20   Grondgebonden bedrijf (akkerbouw en fruitteelt)   011, 012, 013   43 meter (tot dichtsbijgelegen (recreatie)woning)   10   10   30  
Bleekweg 8   Grondgebonden bedrijf (akkerbouw en fruitteelt)   011, 012, 013   209 meter (tot dichtsbijgelegen (recreatie)woning)   10   10   30  

Beide grondgebonden bedrijven liggen op een grotere afstand dan de minimale afstand.

5.2.5.3 Conclusie

In de nabijheid van het plangebied zijn geen bedrijven gelegen die een belemmering vormen voor onderhavig planvoornemen. Ook vormt onderhavig plan geen belemmering voor omliggende bedrijven.

5.3 Kabels, leidingen en straalpaden

Binnen het plangebied zijn geen straalpaden, boven- of ondergrondse hoofdtransportleidingen gelegen, die planologische bescherming dan wel zonering behoeven, om hun functioneren veilig te stellen.

5.4 Flora en fauna

5.4.1 Algemeen

Bij het opstellen van bestemmingsplannen moet rekening gehouden worden met de gevolgen van de ontwikkeling voor de natuur. Het natuurbeschermingsrecht is te vinden in verdragen, Europese en nationale regelgeving en in nationaal en provinciaal beleid. Vanuit de Europese regelgeving wordt met name nadruk gelegd op de bescherming van plant- en diersoorten (Vogelrichtlijn) en leefgebieden (Habitatrichtlijn). Ten behoeve hiervan zijn dan ook diverse beschermingsgebieden aangewezen. De belangrijkste beschermingszones zijn Natura 2000-gebieden. In het vervolg van deze paragraaf wordt specifiek ingegaan op respectievelijk gebiedsbescherming en soortenbescherming.

5.4.2 Gebiedsbescherming

De belangrijkste natuurwaarden zijn vastgelegd in gebiedsgericht beleid. Hiertoe zijn Habitatrichtlijngebieden, Vogelrichtlijngebieden en Natuurbeschermingswetgebieden aangewezen. Een klein deel van het habitat- en vogelrichtlijngebied Groote Peel ligt binnen de gemeente Peel en Maas en het habitat- en vogelrichtlijngebied Het Zinkske grenst aan de westzijde van de voormalige gemeente Helden. Met de bepalingen uit deze wet- en regelgeving moet rekening worden gehouden met de interne en externe bescherming van deze gebieden.

Binnen een straal van 3 kilometer van het recreatieterrein Stille Wille ligt het Natura 2000-gebied Groote Peel. In het noorden grenst het recreatieterrein Stille Wille aan de Ecologische Hoofdstructuur (EHS).

Bij het recreatieterrein Beringerzand zijn geen beschermde natuurgebieden gelegen.

5.4.3 Soortenbescherming

Behalve de mogelijke effecten op natuurgebieden moet ook duidelijk zijn of het betreffende plan effecten heeft, en zo ja welke, op beschermde soorten. De soortenbescherming is vastgelegd in de Flora- en faunawet (Staatsblad 1999, 264, laatstelijk gewijzigd Staatsblad 2009,617). Deze wet is de implementatie van de Europese Vogel- en Habitatrichtlijn voor wat betreft de soortenbescherming.

In verband met de uitvoerbaarheid van ruimtelijke plannen dient rekening te worden gehouden met soortenbescherming en dan met name de aanwezigheid van beschermde soorten in het besluitgebied. In ruimtelijke plannen mogen geen mogelijkheden worden geboden voor ruimtelijke ontwikkelingen waarvan op voorhand redelijkerwijs kan worden ingezien dat in het kader van de Flora- en faunawet (met name op basis van de verbodsbepalingen van artikelen 8 tot en met 14) geen ontheffing zal worden verleend.

De Flora- en faunawet deelt de soorten in drie tabellen in. Voor soorten in de eerste tabel geldt een algemene vrijstelling bij ruimtelijke ontwikkelingen. Voor soorten in tabel 2 is een ontheffingsaanvraag noodzakelijk, tenzij men beschikt over of de werkzaamheden (aantoonbaar) uitvoert volgens een door het ministerie van Economie, Landbouw en Innovatie (EL&I) vastgestelde gedragscode. De soorten in tabel 3 zijn het strengste beschermd. Afhankelijk van het planvoornemen en de beschermde soort die in of nabij het plangebied voorkomt vindt een afweging plaats. Een aanvraag van een ontheffing is enkel noodzakelijk indien de voorgenomen activiteiten een schadelijk effect zullen hebben op de aanwezige beschermde soorten of zorgen voor een vermindering van de ecologische functionaliteit voor deze soorten. Een aanvraag is niet noodzakelijk indien de werkzaamheden dusdanig worden ingericht dat geen schade wordt toegebracht aan de beschermde soorten.

Standaard geldt voor het gehele gebied de algemene zorgplicht zoals die in de Flora- en faunawet centraal staat (artikel 2). Dit houdt in dat voorafgaand aan de ingreep alle maatregelen genomen dienen te worden om nadelige gevolgen op flora en fauna zoveel mogelijk te voorkomen, beperken of ongedaan te maken. Bovendien moeten de handelingen in logisch verband staan met het plan en geen doel op zich vormen. Deze zorgplicht geldt te allen tijde, ook indien een ontheffing of vrijstelling is verleend.

5.4.4 Conclusie

Onderhavig bestemmingsplan maakt geen nieuwe ontwikkelingen mogelijk, maar regelt de feitelijk bestaande situatie. Er wordt geen nieuwe bebouwing geplaatst of verharding aangelegd en ook wordt er geen bestaande bebouwing gesloopt. Flora en fauna zal derhalve niet negatief worden beïnvloed. Flora en fauna vormt derhalve geen belemmering voor onderhavig bestemmingsplan.

5.5 Waterhuishouding

5.5.1 Algemeen

Ruimtelijke plannen moeten expliciet rekening houden met aanwezige watersystemen en waterketens in relatie tot aanwezige hydrologische waarden. Deze waarden zijn als zodanig vastgelegd in Europees beleid, rijksbeleid en provinciaal beleid. Het rijk heeft voor ruimtelijke plannen de opstelling van een waterparagraaf verplicht gesteld. Hierin wordt verwoord hoe er in het plan met water en ruimte rekening wordt gehouden (m.n. veiligheid en wateroverlast), mede in relatie tot de waterhuishouding en het waterbeleid.

Het Besluit ruimtelijke ordening (Bro) stelt een watertoets in ruimtelijke plannen verplicht. In deze waterparagraaf wordt beschreven op welke wijze in de plangebieden met water en watergerelateerde aspecten wordt omgegaan.

5.5.2 Kaderrichtlijn Water

Een goede waterkwaliteit vinden we belangrijk in Nederland. Omdat water zich weinig aantrekt van landsgrenzen, zijn internationale afspraken nodig. Sinds eind 2000 is daarom de Europese Kaderrichtlijn Water (KRW, ofwel Europese Richtlijn 2000/60/EG) van kracht. Deze moet ervoor zorgen dat de kwaliteit van het oppervlakte- en grondwater in Europa in 2015 op orde is.

Het doel van deze richtlijn is de vaststelling van een kader voor de bescherming van landoppervlaktewater, overgangswater, kustwateren en grondwater, waarmee:

  • a. aquatische ecosystemen en, wat de waterbehoeften ervan betreft, terrestrische ecosystemen en waterrijke gebieden die rechtstreeks afhankelijk zijn van aquatische ecosystemen, voor verdere achteruitgang worden behoed en worden beschermd en verbeterd;
  • b. duurzaam gebruik van water wordt bevorderd, op basis van bescherming van de beschikbare waterbronnen op lange termijn;
  • c. verhoogde bescherming en verbetering van het aquatische milieu worden beoogd, onder andere door specifieke maatregelen voor de progressieve vermindering van lozingen, emissies en verliezen van prioritaire stoffen en door het stopzetten of geleidelijk beëindigen van lozingen, emissies of verliezen van prioritaire gevaarlijke stoffen;
  • d. wordt gezorgd voor de progressieve vermindering van de verontreiniging van grondwater en verdere verontreiniging hiervan wordt voorkomen;
  • e. wordt bijgedragen tot afzwakking van de gevolgen van overstromingen en perioden van droogte en dat zodoende bijdraagt tot:
    • 1. de beschikbaarheid van voldoende oppervlaktewater en grondwater van goede kwaliteit voor een duurzaam, evenwichtig en billijk gebruik van water;
    • 2. een significante vermindering van de verontreiniging van het grondwater;
    • 3. de bescherming van territoriale en mariene wateren;
    • 4. het bereiken van de doelstellingen van de relevante internationale overeenkomsten, met inbegrip van die welke tot doel hebben de verontreiniging van het mariene milieu te voorkomen en te elimineren, tot stopzetting of geleidelijke beëindiging van lozingen, emissies en verliezen van prioritaire gevaarlijke stoffen, om uiteindelijk te komen tot concentraties in het mariene milieu die voor in de natuur voorkomende stoffen dichtbij de achtergrondwaarden liggen en voor door de mens vervaardigde synthetische stoffen vrijwel nul bedragen (ook wel 'goede toestand' genoemd).

Van gemeenten wordt verwacht dat ze initiatief nemen. Het is de bedoeling dat gemeenten samen met waterschappen en provincies per waterlichaam de maatregelen plus de daarbij horende kosten in beeld brengen. Vervolgens is het de taak van gemeenten om hun eigen maatregelen te gaan uitvoeren. Samenwerking met waterschappen en provincies is noodzakelijk om tot een goede uitvoering van maatregelen te komen.

Praktische maatregelen die gemeenten kunnen nemen zijn:

  • extra berging rioolwater;
  • reductie vuiluitworp overstorten;
  • aanpak lekkages rioleringen in beschermde gebieden met diepe grondwaterstanden;
  • afkoppelen schoon regenwater;
  • baggeren en realiseren goede baggerlocaties;
  • herprioritering van bodem- en grondwatersaneringen;
  • beperking van diffuse lozingen:
    • 1. duurzaam bouwen (beperkingen aan gebruik verontreinigende bouwmaterialen);
    • 2. beperking gebruik bestrijdingsmiddelen in openbare ruimte;
    • 3. brongerichte aanpak verontreinigende stoffen;
  • ruimtelijk implementeren van veranderingen in grondwaterbeschermingsbeleid;
  • waterberging, hermeandering en oeverstroken in bestemmings- en structuurplannen opnemen;
  • kritisch vergunningenbeleid en handhaving;
  • ruimtelijke beperkingen/functiebeperkingen opleggen.
5.5.3 Beleid waterschap

Het waterschap Peel en Maasvallei is verantwoordelijk voor het waterbeleid in en om de gemeente Peel en Maas. Noord- en Midden-Limburg kent een gevarieerd landschap met allerlei functies, zoals landbouw, natuur, stedelijk gebied en recreatie. Al deze functies stellen andere eisen aan het waterpeil. Het waterschap zorgt voor het juiste waterpeil in sloten en kanalen en van het grondwater. Ook zorgen zij ervoor dat het water schoon is. Dieren en planten hebben schoon water nodig om te kunnen leven, vissers om te kunnen vissen en op zwemwaterlocaties moet er zonder gevaar voor de gezondheid kunnen worden gezwommen. Daarom zorgt het waterschap ervoor dat gevaarlijke stoffen niet zomaar worden geloosd en dat afvalwater in rioolwaterzuiveringsinstallaties wordt gezuiverd, waarna het teruggevoerd wordt naar de sloot of de rivier.

Andere maatregelen die ervoor zorgen dat het water schoon blijft, zijn het weghalen van vervuilde bagger en het aanleggen van natuurvriendelijke oevers. Een andere belangrijke taak van het waterschap is het zorgen voor veilige dijken. Noord- en Midden-Limburg heeft namelijk regelmatig te kampen met hoge waterstanden van de Maas en haar beken.

In het kader van het beleid van zowel het waterschap als de gemeente dient binnen het plangebied een duurzaam waterhuishoudkundig systeem gerealiseerd te worden. Concreet betekent dit dat sprake moet zijn van gescheiden schoon- en vuilwaterstromen die afzonderlijk worden verwerkt. Vanuit het waterschap gelden daarbij de volgende uitgangspunten:

  • afkoppelen van 100% van het verhard oppervlak, waarbij de beslisboom verantwoord afkoppelen (Zuiveringschap Limburg 2002) van toepassing is
  • de trits vasthouden-bergen-afvoeren is van toepassing, waarbij hergebruik dan wel infiltratie van schoon regenwater de voorkeur heeft
  • waterverontreiniging dient door bronmaatregelen voorkomen te worden
  • grondwateroverlast dient voorkomen te worden
  • een gelimiteerde afvoer naar het oppervlaktewatersysteem is toegestaan


Het beleid van de gemeente is om honderd procent van het verharde oppervlak af te koppelen en het schone hemelwater te infiltreren in de bodem. De volgende stap is het bergen van water. Pas wanneer vasthouden en bergen niet meer mogelijk is, kan gekozen worden voor afvoeren.

5.5.4 Invloed van het planvoornemen

Afvalwater

Het afvalwater als gevolg van onderhavige planontwikkeling zal worden geloosd op de gemeentelijke riolering. Vanuit milieuhygiënisch oogpunt is het afvoeren van afvalwater via de gemeentelijke riolering vereist.

Hemelwater van onverhard en semi-verhard terrein

Het hemelwater dat valt op de onverharde en semi-verharde terreindelen binnen het plangebied zal, zo nodig na beperkte oppervlakkige afstroming, rechtstreeks infiltreren in de bodem.

 

Hemelwater (dak)verhardingen

De versteningsgraad van de bestaande situatie blijft met onderhavig bestemmingsplan gehandhaafd. Uitbreiding van bebouwing is niet mogelijk.

 

Het hemelwater afkomstig van bestaande (dak)verhardingen van private kavels wordt overeenkomstig de bestaande situatie geloosd op de reguliere riolering.

 

Ten opzichte van de bestaande situatie zal niet meer hemelwater op de riolering worden geloosd vanwege het feit dat het totaal verharde oppervlak niet toeneemt als gevolg van onderhavige planontwikkeling.

5.5.5 Watertoets

Een belangrijk instrument bij de uitvoering van het waterbeleid is de Watertoets. Het toepassen van de Watertoets bij ruimtelijke ingrepen is verplicht en heeft als uitgangspunt dat de situatie voor het watersysteem door de ruimtelijke ingreep niet mag verslechteren (stand-still-beginsel). Bovendien wordt er bij de toepassing van de Watertoets naar gestreefd de kansen om bestaande ongewenste situaties te verbeteren, zoveel mogelijk te benutten. Het ontwerp bestemmingsplan is in het kader van het vooroverleg aan Waterschap Peel en Maasvallei voorgelegd. De resultaten van dit vooroverleg worden verwerkt in het bestemmingsplan.

5.6 Archeologie

5.6.1 Algemeen

De gemeente Peel en Maas heeft haar eigen gemeentelijk archeologiebeleid geformuleerd in het "Beleidsplan archeologie Peel en Maas" vastgesteld door de gemeenteraad van Peel en Maas op 28 juni 2011. In dit beleidsplan archeologie Peel en Maas zijn de beleidsuitgangspunten en haar achtergron-den beschreven. In hoofdlijnen komt het erop neer dat archeologisch onderzoek noodzakelijk is in gebieden met een middelhoge en hoge verwachtingswaarde en in gebieden met archeologische resten. Dit geldt enkel en alleen indien de verstoring dieper reikt dan 0,4 meter beneden maaiveld.

Beide recreatieterreinen liggen binnen gebieden met een middelhoge archeologische verwachtingswaarde (Waarde - Archeologie 5). Bij terreinen met een middelhoge archeologische verwachting wordt de ondergrens voor archeologisch onderzoek op 2.500 m2 en een diepte van 40 cm gesteld.

5.6.2 Conclusie

Nu in onderhavig bestemmingsplan geen nieuwe ontwikkelingen worden mogelijk gemaakt, worden ook geen bodemingrepen verwacht. Archeologische waarden zullen derhalve naar verwachting niet worden verstoord. In het bestemmingsplan zal aanvullend een beschermingsstelsel worden opgenomen voor archeologische waarden overeenkomstig het gemeentelijke archeologiebeleid.

5.7 Verkeer en parkeren

5.7.1 Ontsluiting

De huidige infrastructuur voldoet aan hetgeen voor een gebied met recreatieve en permanente woningen noodzakelijk wordt geacht.

5.7.2 Parkeren

Ten aanzien van parkeren wordt overwogen dat het bestemmingsplan de feitelijk bestaande situatie vastgelegd. In de bestaande situatie is geen sprake van parkeeroverlast.

Iedere woning heeft 1 à 2 parkeerplek(ken) en daarnaast is er op elk recreatiepark een algemene parkeerplaats voor bewoners en bezoekers.

5.8 Economische uitvoerbaarheid

Met de inwerkingtreding van de Wro op 1 juli 2008 rust op de gemeente op grond van artikel 6.12 lid 1 van die wet de verplichting tot kostenverhaal bij grondexploitatie. Deze verplichting houdt in dat als de gemeente er bij een ruimtelijke ontwikkeling niet in slaagt met alle particuliere eigenaren in het gebied een overeenkomst te sluiten over grondexploitatie, de gemeente publiekrechtelijk de kosten moet verhalen bij alle eigenaren waarmee niet gecontracteerd is. Gemaakte kosten (limitatief opgesomd in artikelen 6.2.3 tot en met 6.2.5. van het Bro) zoals grondverwervingskosten, plankosten, onderzoekskosten, kosten van inrichting van de openbare ruimte etc. moeten dan verhaald worden door middel van een exploitatieplan dat gelijktijdig met het bestemmingsplan, wijzigingsplan of projectbesluit moet worden vastgesteld.

De toepassing voor het afdwingbare kostenverhaal richt zich op bouwplannen. De definitie van wat onder een bouwplan wordt verstaan is opgenomen in artikel 6.2.1 Bro (o.a. bouw van één of meer woningen, bouw van één of meer hoofdgebouwen, bouw van kassen met een oppervlakte van ten minste 1.000 m2).

Onderhavig bestemmingsplan voorziet in een actuele regeling voor de feitelijk bestaande situatie in het plangebied. Het bestemmingsplan voorziet niet in de realisering van nieuwe zaken van gemeentewege. Voor de gemeente Peel en Maas zijn aan het planvoornemen dan ook geen noemenswaardige kosten verbonden. De economische uitvoerbaarheid is niet in het geding.

Hoofdstuk 6 Juridische aspecten

6.1 Inleiding

Het wettelijk kader voor de inhoud en de vaststellingsprocedure van een bestemmingsplan wordt sinds 1 juli 2008 gevormd door de Wet ruimtelijke ordening (Wro) en is verder ingevuld door het Besluit ruimtelijke ordening (Bro) en de Regeling standaarden ruimtelijke ordening (Rsro). De Wro, het Bro en de Rsro bevatten regels ten aanzien van de (digitale) vormgeving, inhoud en raadpleegbaarheid van bestemmingsplannen, met als doel bestemmingsplannen uniform vergelijkbaar en uitwisselbaar te maken.

Een bestemmingsplan bestaat in elk geval uit een verbeelding (plankaart) en planregels, die samen het juridisch deel van het bestemmingsplan vormen. Daarnaast gaat het bestemmingsplan vergezeld van een toelichting (zoals onderhavige toelichting), die voorziet in de motivatie en onderbouwing van en de toelichting op de keuzes die zijn gemaakt om te komen tot de verbeelding en regels.

6.2 Toelichting op de verbeelding

De analoge verbeelding is getekend op een digitale kadastrale ondergrond, schaal 1:1000. Op de analoge verbeelding wordt door nadere aanduidingen specifieke informatie weergegeven, zoals bouwvlak, gevellijn en specifieke bouwaanduidingen.

6.3 Toelichting op de regels

Bij het opstellen van de regels is uitgegaan van het rapport Standaard Vergelijkbare BestemmingsPlannen 2012 (SVBP 2012), de Handreiking Ruimtelijke plannen gemeente Peel en Maas en de Standaardregels bestemmingsplannen kernen (mei 2011).

 

De regels zijn verdeeld in 4 hoofdstukken, te weten:

  • Inleidende regels met daarin de begrippen en de wijze van meten;
  • Bestemmingsregels. Hierin worden de regels voor de op de verbeelding opgenomen bestemmingen gegeven;
  • Algemene regels, waaronder zijn opgenomen de anti-dubbeltelregel, algemene bouwregels en algemene wijzigings- en procedureregels;
  • Overgangs- en slotregels, waarin het overgangsrecht en de slotregel zijn opgenomen.

 

Het belangrijkste doel van de planregels is om de bouw- en gebruiksregels van de bestemmingen aan te geven.

6.4 Inleidende regels

Artikel 1 Begrippen:

In dit artikel zijn bepalingen (begrippen) opgenomen welke in het algemeen spraakgebruik onvoldoende vastliggen en waarbij verschillen in interpretatie bij toepassing van de planregels mogelijk zijn. Voor het gemak zijn enkele begrippen uit de Woningwet/ Bouwverordening/Wabo overgenomen. Verder zijn enkele begrippen afkomstig van de SVBP 2012.

 

Artikel 2 Wijze van meten:

Hierin wordt aangegeven op welke manier hoogte, lengte, breedte, inhoud en oppervlakte van bouwwerken/percelen gemeten moeten worden. Bij de wijze van meten zijn de bindende regels uit het SVBP 2012 overgenomen, aangevuld met een aanvullende wijze van meten.

6.5 Bestemmingsregels

6.5.1 Algemeen

De regels van een bestemming worden als volgt opgebouwd en benoemd:

  • 1. Bestemmingsomschrijving
  • 2. Bouwregels
  • 3. Nadere eisen
  • 4. Afwijken van de bouwregels
  • 5. Specifieke gebruiksregels
  • 6. Afwijken van de gebruiksregels
  • 7. Omgevingsvergunning voor het uitvoeren van werken, geen bouwwerk zijnde, of van werkzaamheden
  • 8. Omgevingsvergunning voor het slopen van een bouwwerk
  • 9. Wijzigingsbevoegdheid

Duidelijk zal zijn dat een bestemming niet alle elementen hoeft te bevatten. Dit kan per bestemming verschillen.

In de bestemmingsomschrijving wordt een omschrijving gegeven van de aan de gronden toegekende functies. Als eerste wordt de hoofdfunctie aangegeven. Indien nodig worden vervolgens de andere aan de grond toegekende functies genoemd.

 

In de bouwregels wordt bepaald aan welke voorwaarden de bebouwing moet voldoen. Voor zover nodig wordt een onderscheid gemaakt in woningen, bijbehorende bouwwerken en bouwwerken, geen gebouwen zijnde, waardoor de toetsing van aanvragen voor een omgevingsvergunning voor het bouwen aanmerkelijk vereenvoudigd en inzichtelijker is.

6.5.2 Horeca

Gebruiksregels

Binnen de bestemming Horeca is het bestaande horecabedrijf geregeld. Het bestaand gebruik mag worden voorgezet.

Bouwregels

Bij deze bestemming is het bouwvlak gelijk aan het bestemmingsvlak. De locatie waar bebouwing mag plaatsvinden wordt niet aangeduid op de verbeelding. Wel wordt de oppervlakte die maximaal toelaatbaar is aan bebouwing op de verbeelding aangegeven, met dien verstande dat daar waar deze aanduiding niet aanwezig is, het bouwvlak geheel mag worden bebouwd. Bij deze bestemming is namelijk de locatie binnen het bouwvlak waar de bebouwing mag staan minder van belang.

6.5.3 Recreatie - Verblijfsrecreatie

Gebruiksregels

Binnen de bestemming Recreatie - Verblijfsrecreatie zijn bestaande verblijfsrecreatieve functies toegestaan met daarbij per bedrijf een functionele aanduiding die aangeeft welke soort verblijfsrecreatie ter plaatse is toegestaan. Ondergeschikte horeca van categorie 1 en 2, dagrecreatie en ondergeschikte detailhandel in de vorm van een campingwinkel bij een kampeerterrein is rechtstreeks toegestaan.

Voor de recreatiewoningen die permanent worden omgezet naar een woonfunctie is de aanduiding 'wonen' opgenomen. De recreatiewoningen waarvoor een uitsterfconstructie geldt zijn aangeduid als 'specifieke vorm van recreatie - uitsterfconstructie wonen'. Indien gedurende een aaneengesloten periode van één jaar niet meer in deze woningen wordt gewoond, is uitoefening van deze functie niet meer toegestaan.

Bouwregels

Bij deze bestemming is het bouwvlak gelijk aan het bestemmingsvlak. De locatie waar bebouwing mag plaatsvinden wordt niet aangeduid op de verbeelding. Wel wordt de oppervlakte die maximaal toelaatbaar is aan bebouwing op de verbeelding aangegeven, met dien verstande dat daar waar deze aanduiding niet aanwezig is, het bouwvlak geheel mag worden bebouwd. Voor diverse verblijfrecreatieve voorzieningen zijn aparte regels opgenomen: onder andere voor een kleinschalig kampeerterrein, voor recreatiewoningen etc. De systematiek met betrekking tot het toegestane aantal bedrijfswoningen is gelijk aan die bij de bedrijfsbestemmingen.

6.5.4 Waarde - Archeologie 5

Voor gebieden met een middelhoge archeologische verwachtingswaarde is een dubbelbestemming Waarde - Archeologie 5 opgenomen ten behoeve van de instandhouding daarvan. Dit volgt uit het gemeentelijk archeologiebeleid, als opgenomen in de Structuurvisie buitengebied. Voor gebieden aangewezen met deze dubbelbestemming geldt een bouwverbod, met uitzondering van het bouwen van gebouwen en/of bouwwerken waarbij de bestaande bebouwing wordt vergroot met een oppervlakte van minder dan 2500 m2 en minder diep reikt dan 40 cm, voor bouwwerken ten behoeve van archeologisch onderzoek en bouwwerken waarvoor reeds een vergunning is verleend. Onder voorwaarden is het mogelijk om af te wijken van de bouwregels. In het gebied is tevens een omgevingsvergunningenstelsel opgenomen voor wat betreft het uitvoeren van bepaalde werken en werkzaamheden.

6.6 Algemene regels

Artikel 6 Anti-dubbeltelregel:

In dit artikel wordt bepaald dat grond die eenmaal in aanmerking is genomen bij het toestaan van een bouwplan waaraan uitvoering is gegeven of alsnog kan worden gegeven, deze bij de beoordeling van latere plannen buiten beschouwing blijft. Het nog overgebleven terrein mag dus niet nog eens meegenomen worden bij het toestaan van een ander bouwwerk.

 

Artikel 7 Algemene bouwregels:

In de Algemene bouwregels is een bepaling met betrekking tot ondergronds bouwen, ondergeschikte bouwdelen en een regeling over bestaande maten en afstanden opgenomen.

 

Artikel 8 Algemene gebruiksregels:

In de Algemene gebruiksregels is een algemeen gebruiksverbod opgenomen en is het strijdig gebruik benoemd.

 

Artikel 11 Algemene wijzigingsregels:

De Algemene wijzigingsregels verschaffen het bevoegd gezag de gewenste beleidsruimte om bij de uitvoering van het plan te kunnen inspelen op gegevens of situaties die vooraf niet bekend kunnen zijn.

6.7 Overgangs- en slotregels

Artikel 13 Overgangsrecht:

Hierin is geregeld in hoeverre en onder welke voorwaarden bestaande gebouwen en het bestaand gebruik van gronden en bouwwerken mogen afwijken van het plan.

De recreatiewoningen waarvoor een persoonsgebonden overgangsrecht geldt zijn in een tabel opgenomen en hebben de aanduiding 'specifieke vorm van recreatie - persoonsgebonden overgangsrecht'. De betreffende recreatiewoningen mogen alleen worden bewoond door de natuurlijke personen die zijn genoemd in de tabel.

Artikel 14 Slotregel:

In de Slotregel is aangegeven op welke wijze de regels van het bestemmingsplan kunnen worden aangehaald.

Hoofdstuk 7 Procedure

7.1 Overleg

In het kader van artikel 3.1.1 Besluit ruimtelijke ordening (Bro) dient vooroverleg plaats te vinden met de overheidsinstanties waarvan de belangen in het geding zijn bij een ontwikkeling.

7.2 Procedure

Het bestemmingsplan doorloopt de volgende procedure:

  • a. Ontwerp:
    • 1. publicatie en terinzagelegging overeenkomstig afdeling 3.4 Awb en Wro
    • 2. een ieder kan gedurende deze terinzagelegging een zienswijze indienen bij het college van burgemeester en wethouders.
  • b. Vaststelling:
    • 1. vaststelling door de raad
    • 2. mogelijkheid reactieve aanwijzing
    • 3. publicatie en terinzagelegging vastgesteld bestemmingsplan gedurende de beroepstermijn
  • c. Beroep:
    • 1. beroep bij Afdeling bestuursrechtspraak van de Raad van State
  • d. Inwerkingtreding:
    • 1. na afloop van de beroepstermijn (tenzij binnen de beroepstermijn een verzoek om voorlopige voorziening wordt gedaan)

In het kader van het ontwerp is het voor eenieder mogelijk om zijn/haar zienswijze (bij het college van burgemeester en wethouders) kenbaar te maken. Na vaststelling van het bestemmingsplan kunnen belanghebbenden beroep aantekenen bij de Raad van State. Hiervoor dient in de fase van het ontwerp een zienswijze te zijn ingediend of dient het plan ten opzichte van het ontwerp te zijn gewijzigd. In publicaties met betrekking tot de diverse stappen die het plan moet doorlopen, wordt daarvan steeds melding gemaakt. Uiteindelijk besluit de Afdeling bestuursrechtspraak van de Raad van State, indien nodig, over het plan in zijn onherroepelijke vorm.

7.3 Communicatie en voorlichting

Een goede voorlichting aan en communicatie met alle betrokken partijen vormt een belangrijke voorwaarde voor een succesvolle uitvoering van het uitvoeringsbeleid permanente bewoning op recreatieterreinen. Het schept heldere wederzijdse verwachtingen en gaat uit van een preventieve werking. Dit om de omvang van het probleem in de toekomst te verkleinen en beheersbaar te maken en houden. Communicatie versterkt ook de uitwerking van eventuele handhavingsacties. Als deze zichtbaar worden gemaakt, heeft een uitvoerende controle niet alleen een positieve invloed op het naleefgedrag van de betreffende persoon of organisatie, maar ook van degenen die (nog) niet zijn gecontroleerd. Voorlichting en communicatie zijn thema's die daarom voortdurende aandacht hebben en gedurende het hele proces actueel blijven.

Bij voorlichting en communicatie over het uitvoeringsbeleid en het bestemmingsplan is een aantal doelgroepen te onderscheiden. Per doelgroep wordt de voorlichting en communicatie zoveel mogelijk op maat gemaakt en wordt aangesloten bij logische mijlpalen in het proces:

  • Eigenaren en/of gebruikers van de recreatieobjecten en -terreinen
    Deze belanghebbenden vormen de belangrijkste doelgroep in het kader van het uitvoeringsbeleid. Binnen deze groep bestaat de meeste behoefte aan duidelijkheid. Een heldere communicatie en voorlichting naar deze doelgroep heeft dan ook prioriteit.
  • Belangenorganisaties, zoals de klankbordgroep Stille Wille en Recron
    Belangenorganisaties kunnen bij de voorlichting aan bewoners of eigenaren als aanspreekpunt of intermediair worden gebruikt. Zij zullen ook op de hoogte worden gebracht en gehouden over het beleid en de uitvoering hiervan.
  • Makelaars, notarissen, hypotheekverstrekkers, VVV, potentiële kopers etc.
    Goede voorlichting en communicatie kunnen een belangrijke bijdrage leveren aan het voorkomen van permanente bewoning. Vooral bij de aankoop van een recreatieobject is juiste voorlichting van belang. Daarom is het belangrijk om intermediairs zoals makelaars, notarissen en hypotheekverstrekkers in de regio te informeren over het uitvoeringsbeleid. Ook de VVV kan een rol spelen in verwijzing naar recreatiewoningen en –terreinen. Naast de wens dat intermediairs inhoudelijk van het beleid op de hoogte zijn, is het ook waardevol wanneer zij zich actief opstellen in de informatieverstrekking. Daarom is het van belang regelmatig aandacht te vragen voor voorlichting via deze kanalen.
  • Media
    De media wordt op logische momenten geïnformeerd over (de voortgang van) het uitvoeringsbeleid. Zij initiëren en genereren nieuws en beïnvloeden de publieke opinie. Dit kan een impact hebben op het uitvoeringsproces.  De gemeente zorgt voor proactieve berichtgeving die bijdraagt aan uitleg en daarmee duidelijkheid over het onderwerp. 
  • Gemeenteraad
    De gemeenteraad wordt op de hoogte gehouden van de ontwikkelingen en voortgang van uitvoering van het beleid.

Er is een aantal communicatiemiddelen die zijn ingezet gedurende het proces:

  • Informatiepunt
    Bewoners van recreatiewoningen is de mogelijkheid geboden een afspraak te maken om hun specifieke locatie en situatie te bespreken en vragen te stellen. Hiervan is gebruik gemaakt door 20 bewoners.
  • Brief
    In april 2015 zijn alle eigenaren/bewoners van recreatiewoningen bij brief aangeschreven met een uitleg over hoe de gemeente om zal gaan met permanente bewoning van recreatiewoningen. Tevens is de vraag gesteld of zij eventueel kunnen aantonen dat ze tot één van de uitzonderingen horen waarvoor een regeling kan worden opgenomen in het bestemmingplan. Hiervoor is de mogelijkheid geboden om de benodigde bewijsdocumenten aan te leveren voor 15 juni 2015. Bij de brief was de hierna genoemde folder met nadere informatie gevoegd. In mei 2015 is een reminder gestuurd voor de mogelijkheid van het aanleveren van bewijsdocumenten.
  • Folder
    Om (potentiële) eigenaren/bewoners en andere belanghebbenden goed te informeren over het beleid van de gemeente en de wijze waarop hieraan uitvoering wordt gegeven, zijn twee informatiefolders ontwikkeld. Eén folder voor huidige bewoners en één folder voor potentiële kopers/huurders. Deze folders zijn via verschillende kanalen verspreid.
  • Informatiepakket nieuwe inschrijvers in BRP
    Er is informatie verstrekt aan diegene die zich op een recreatiewoning wil laten inschrijven in de BRP. Een begeleidende brief samen met de folder brengen de boodschap over dat het niet is toegestaan om een recreatiewoning als hoofdverblijf te gebruiken. Daarnaast wordt aangeven dat team VTH in kennis wordt gesteld van de inschrijving in het BRP.
  • Posters 
    Er is een poster ontwikkeld waarop is aangegeven dat het niet is toegestaan om een recreatiewoning als hoofdverblijf te gebruiken. Op de poster is ook verwezen naar de gemeentelijke website voor meer informatie. Deze poster is in het gemeentehuis opgehangen, maar ook in het receptiegebouw van de recreatieterreinen.
  • Publicatie in huis-aan-huisbladen
    Er is waar nodig gepubliceerd over het bestemmingsplan en het uitvoeringsbeleid en de voortgang daarvan in de huis- aan huisbladen.
  • Website
    Via de gemeentelijke website is informatie te vinden over het beleid, de uitvoering daarvan en actuele ontwikkelingen.
  • Persberichten / -gesprek
    Op logische momenten is en wordt door middel van persberichten en/of persgesprekken het uitvoeringsbeleid en de voortgang daarvan toegelicht en nieuws gedeeld.
  • Wettelijke verplichte communicatie
    De wettelijk verplichte communicatie rondom het bestemmingsplan zal op de daarvoor voorgeschreven wijze plaatsvinden. Het ontwerpbestemmingsplan wordt voor zes weken ter inzage gelegd. Dit wordt gepubliceerd in de huis-aan-huis bladen en in de Staatscourant. Het vastgesteld bestemmingsplan wordt ook voor zes weken ter inzage gelegd en ook gepubliceerd in de huis-aan-huisbladen en in de Staatscourant (zie ook paragraaf 7.2).
  • Klankbordgroep
    Om de verschillende belangenorganisaties op de hoogte te houden en mee te laten denken over oplossingen voor de problematiek van permanente bewoning op recreatieterreinen hebben er in de periode van januari 2015 tot en met juni 2015 5 klankbordgroepbijeenkomsten plaatsgevonden. In deze klankbordgroep waren de verschillende belangenorganisaties, zoals de klankbordgroep Stille Wille en Recron, vertegenwoordigd.

7.4 Ontwerp bestemmingsplan

Het ontwerp bestemmingsplan heeft van 16 juli 2015 tot en met 26 augustus 2015 ter inzage gelegen. Gedurende deze termijn zijn 15 zienswijzen ingediend.

In 'Bijlage 1 Nota zienswijzen & ambtshalve wijzigingen' is een standpunt op de ingekomen zienswijzen opgenomen. Tevens is aangegeven of en hoe de zienswijze heeft geleid tot wijziging van het bestemmingsplan.

7.5 Vastgesteld bestemmingsplan

Het bestemmingsplan is op 15 december 2015 vastgesteld.