direct naar inhoud van Toelichting
Plan: Breihutterweg III
Status: vastgesteld
Plantype: wijzigingsplan
IMRO-idn: NL.IMRO.0203.1654-0002

Toelichting

Hoofdstuk 1 INLEIDING

Voor het perceel aan de Breihutterweg 25 is een verzoek ingediend om in het kader van functieverandering de niet-agrarische bedrijfsbestemming te wijzigen naar een woonbestemming. Hierbij wordt een bestaande schuur uitgebreid en omgebouwd naar een atelier/studio. De bestaande bedrijfswoning blijft in zijn huidige vorm bestaan en wordt omgezet naar een reguliere woning.

De uitvoering van dit plan is niet mogelijk binnen het geldende bestemmingsplan. Daarom is voorliggende wijziging van het bestemmingsplan opgesteld.

afbeelding "i_NL.IMRO.0203.1654-0002_0001.png"

Afbeelding 1.1 Ligging plan met locatie (rood omcirkelt) met links de kern Kootwijkerbroek

Voorliggend wijzigingsplan bestaat uit een verbeelding, regels en een toelichting. De toelichting is opgebouwd uit acht hoofdstukken. Na dit hoofdstuk beschrijft hoofdstuk 2 de bestaande situatie. Vervolgens wordt in hoofdstuk 3 een beschrijving van het plan gegeven. Hoofdstuk 4 gaat vervolgens in op het beleidskader. Het vijfde hoofdstuk gaat in op de randvoorwaarden, waarna in het zesde hoofdstuk de juridische aspecten worden besproken. In hoofdstuk 7 is aandacht voor de economische uitvoerbaarheid. Hoofdstuk 8 gaat in op de resultaten van de procedure ten behoeve van dit wijzigingsplan.

Hoofdstuk 2 BESTAANDE SITUATIE

2.1 Begrenzing plangebied

Het plangebied ligt aan de Breihutterweg 25 nabij de kern Kootwijkerbroek. Het plangebied wordt aan de noord-, oost- en westzijde begrensd door onbebouwde agrarische percelen. Aan de zuidzijde vormt een veehouderij de grens van het plangebied. Onderstaande afbeelding geeft de ligging van het plangebied weer.

afbeelding "i_NL.IMRO.0203.1654-0002_0002.png"

Afbeelding 2.1 Begrenzing plangebied

2.2 Geldende bestemmingen

Het plangebied ligt in het bestemmingsplan "Buitengebied 2012" en zoals nadien door het college gewijzigd en in werking getreden, door de raad herzien en in werking getreden en zoals gewijzigd door een intrekkingsbesluit van de raad. De gronden hebben de enkelbestemming 'Bedrijf - Niet agrarisch' en de dubbelbestemming 'Waarde - Archeologie 1', verder zijn de functieaanduiding 'specifieke vorm van waarde - archeologie 1 - middelhoge verwachtingswaarde' en de gebiedsaanduidingen 'overige zone - voorwaardelijke verplichting 3' en 'reconstructiewetzone - landbouwontwikkelingsgebied' van toepassing. Het uitbreiden en ombouwen van een bestaande schuur naar een atelier/studio is binnen deze bestemming niet toegestaan.

Op basis van de wijzigingsbepaling ex artikel 6.7 lid 1 en 2 kan het college van burgemeester en wethouders de bestemming 'Bedrijf - Niet agrarisch' te wijzigen in de bestemming 'Wonen' en voorwaardelijke verplichtingen opnemen in de regels van het bestemmingsplan. Daarmee kan het ombouwen en uitbreiden van de bestaande schuur tot atelier/studio mogelijk gemaakt worden, mits er voldoende sloopmeters worden aangeleverd. In onderhavig plan zijn voldoende sloopmeters aangeleverd om de gewenste ombouw en uitbreiding van de bestaande schuur tot atelier/studio mogelijk te maken.

Het plan voldoet aan de in deze wijzigingsbevoegdheid opgenomen voorwaarden wat blijkt uit de volgende toetsing.

De totale oppervlakte van het bestemmingsvlak blijft ruim onder de 750 m². Het plan wordt landschappelijke ingepast. De verkeerstaantrekkende werking wordt niet vergroot met dit plan ten opzichte van de voormalige/huidige functie. Daarnaast zijn er voldoende inzetbare sloopmeters aangeleverd om dit plan mogelijk te maken. Tot slot is het voormalige bedrijf ter plaatse al volledig beeindigd.

Het verzoek kan met toepassing van een wijzigingsprocedure ex artikel 3.6 van de Wet ruimtelijke ordening (Wro) mogelijk worden gemaakt.

Hoofdstuk 3 PLANBESCHRIJVING

3.1 Perceel

Het plan betreft het perceel Breihutterweg 25 te Kootwijkerbroek, kadastraal bekend gemeente Garderen, sectie G nummer 851. Op het perceel staat één vrijstaande bedrijfswoning met als huisnummer 25.

Het plan voorziet de wijziging van bestemming 'Bedrijf - Niet agrarisch' naar 'Wonen' en het ombouwen en verbouwen van een bestaande schuur (70 m²) naar een atelier/studio (89 m²) met overkapping (19 m²). Ter compensatie zijn al eerder bijgebouwen gesloopt en worden nog twee bijgebouwen gesloopt, daarnaast zijn sloopmeters van elders aangeleverd. De huidige bedrijfswoning wordt omgezet naar een reguliere woning.

afbeelding "i_NL.IMRO.0203.1654-0002_0003.png"

Afbeelding 3.1 Luchtfoto perceel (met het perceel zwart binnen de zwate stippellijnen, bestaande uit twee delen)

afbeelding "i_NL.IMRO.0203.1654-0002_0004.png"

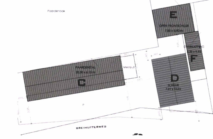
Afbeelding 3.2 Bestaande situatie (met de uit te breiden schuur D en de te slopen bijgebouwen E en F)

afbeelding "i_NL.IMRO.0203.1654-0002_0005.png"

Afbeelding 3.3 Gewenste situatie met rechtsboven de uitbreiding van de bestaande schuur (in het rood) en de veranda/overkapping (in het roze)

3.2 Bestemmingsplan

Voor het wijzigen van de bestemming 'Bedrijf - Niet agrarisch' naar 'Wonen', het toevoegen van een voorwaardelijke verplichting en het ombouwen en verbouwen van een bestaande schuur tot een atelier/studio, is een wijzigingsbevoegdheid opgenomen. Het plan wordt mogelijk gemaakt met een wijziging van het bestemmingsplan ''Buitengebied 2012''.

De bestaande woning blijft in zijn huidige vorm gehandhaafd en wordt omgezet naar een reguliere woning. De openfrontschuur en overkapping (E en F op afbeelding 3.2) zijn al volledig gesloopt. De bestaande schuur (70 m² ) wordt omgebouwd naar een atelier/studio (108 m²).

Op het totale plangebied wordt tevens één voorwaardelijke verplichting opgelegd aangaande het erfinrichting-/beplantingsplan, zie daarvoor 5.1.

afbeelding "i_NL.IMRO.0203.1654-0002_0006.png" afbeelding "i_NL.IMRO.0203.1654-0002_0007.png"

Afbeelding 3.4 Huidige situatie (links) en toekomstige situatie (rechts) bestemmingsplan

Hoofdstuk 4 BELEIDSKADER

4.1 Inleiding

In dit hoofdstuk wordt ingegaan op het relevante beleidskader. Het gaat om beleid en beleidsnota's die direct dan wel indirect doorwerken in het bestemmingsplan of invloed hebben op de bestemmingsregelingen. Van deze nota's is hierna per bestuursniveau een beknopte samenvatting gegeven.

4.2 Rijk

4.2.1 Nationale Omgevingsvisie

Op 11 september 2020 is de Nationale Omgevingsvisie (NOVI) 'Duurzaam perspectief voor onze leefomgeving' in werking getreden. Deze visie bevat de hoofdzaken van het strategisch rijksbeleid voor de fysieke leefomgeving. Dit is een combinatie van beleid uit de bestaande beleidsdocumenten, met en zonder wettelijke grondslag, en nieuw strategisch beleid. De grote en complexe opgaven, zoals klimaatverandering, energietransitie, circulaire economie, bereikbaarheid en woningbouw, zullen Nederland gaan veranderen. De NOVI bevat een toekomstperspectief met de ambities van het Rijk. In de NOVI zijn 21 nationale belangen met bijbehorende opgaven geformuleerd. Deze nationale belangen komen samen in vier prioriteiten:

  • 1. ruimte voor klimaatadaptatie en energietransitie;
  • 2. duurzaam economisch groeipotentieel;
  • 3. sterke en gezonde steden en regio's;
  • 4. toekomstbestendige ontwikkeling van het landelijk gebied.

Voor de vier NOVI-prioriteiten geldt steeds dat zowel voor de lange als de korte termijn maatregelen nodig zijn. Deze maatregelen dienen in de praktijk voortdurend op elkaar in te spelen. Bij de afweging van de belangen staat een evenwichtig gebruik van de fysieke leefomgeving centraal voor zowel de boven- als de ondergrond.

Doorwerking in plangebied

Het beoogde plan is in lijn met de prioriteiten. De NOVI vormt daarom geen belemmering voor dit plan.

4.2.2 Nationaal Waterplan 2016-2021

Het Nationaal Waterplan 2016-2021 is de opvolger van het Nationaal Waterplan 2009-2015. Het bevat de hoofdlijnen van het nationaal waterbeleid en de aspecten van het ruimtelijk beleid die daartoe behoren. Het Nationaal Waterplan verankert het nieuwe beleid voor de komende 6 jaar met een vooruitblik richting 2050: Nederland, een veilige en leefbare delta, nu en in de toekomst.

In het Nationaal Waterplan staan 5 ambities centraal. Nederland moet de veiligste delta in de wereld blijven. Deze ambitie wordt vooral ingevuld door onze veiligheidsnormen tegen overstroming te vernieuwen. Daarnaast wordt ingezet op een verbetering van de waterkwaliteit (meststoffen, bestrijdingsmiddelen, medicijnresten, microplastics). Dit zorgt er voor dat de Nederlandse wateren schoon en gezond zijn en er genoeg zoet water is. Verder beschrijft het Nationaal Waterplan dat Nederland klimaatbestendig en waterrobuust wordt ingericht en dat Nederland een gidsland is en blijft voor watermanagement en -innovaties. Dat is gunstig voor onze economie en ons verdienvermogen. De vijfde ambitie bestaat er uit dat Nederlanders waterbewust leven. Deze ambities moeten gezamenlijk ingevuld worden door iedereen die werkt aan de ruimtelijke inrichting van Nederland: alle overheden, bedrijven, maatschappelijke organisaties en kennisinstellingen.

Doorwerking in plangebied

De bevindingen en resultaten van de watertoets zijn beschreven in de waterparagraaf (§ 5.15).

4.2.3 Crisis- en herstelwet

Op 1 januari 2010 is de Crisis- en herstelwet (Chw) in werking getreden. Deze wet geeft regels met betrekking tot versnelde ontwikkeling en verwezenlijking van ruimtelijke en infrastructurele projecten.

Op 25 april 2013 is de Crisis- en herstelwet via een wijzigingswet permanent gemaakt en zijn verbeteringen op het terrein van het omgevingsrecht doorgevoerd.

De Chw omvat twee categorieën maatregelen:

  • tijdelijke maatregelen voor afgebakende lijsten met projecten en bevoegdheden;
  • wijzigingen van bijzondere wetten.

In Bijlage I van de Chw worden onder meer de volgende ruimtelijke en infrastructurele projecten genoemd, waarop de wet van toepassing is:

  • zeer diverse projecten op het gebied van duurzame energie;
  • gebiedsontwikkeling en werken van lokaal of regionaal belang, onderverdeeld in:
  • 1. een bestemmingsplan voor de bouw van meer dan 11 woningen in een aaneengesloten gebied, of de herstructurering van woon- en werkgebieden;
  • 2. een bestemmingsplan voor de aanleg of wijziging van wegen;
  • 3. projecten ten behoeve van de inpassing in het landschap, natuurontwikkeling of recreatiedoeleinden, waar deze samenhangen met projecten ten aanzien van de in bijlage I (van de Wet) bedoelde projecten ten aanzien van wegen.

Doorwerking in plangebied

In dit geval is de Crisis- en herstelwet niet van toepassing, want de ontwikkeling valt niet binnen één van de hiervoor genoemde voorwaarden.

4.3 Provincie

4.3.1 Omgevingsvisie en Omgevingsverordening

De provincie Gelderland heeft een Omgevingsvisie en -verordening. Deze plannen gaan over verkeer, water, natuur, milieu en ruimtelijke ordening. De Omgevingsvisie beschrijft de lange termijn ambities en beleidsdoelen voor de fysiek leefomgeving. In de Omgevingsverordening zijn regels en bepalingen over de inrichting en beheer van de ruimtelijke omgeving vastgelegd. Met de Omgevingsvisie en -verordening loopt de provincie vooruit op de aankomende Omgevingswet, die naar verwachting 1 juli 2022 van kracht wordt. Deze wet biedt meer ruimte voor initiatieven en ontwikkelingen in het fysieke domein, in gesprek met de omgeving. Wanneer het nodig is, actualiseert de provincie onderdelen van de Omgevingsvisie en -verordening.

Vanaf 2019 actualiseert de provincie de Omgevingsverordening opnieuw, zodat deze verder in lijn wordt gebracht met de Omgevingsvisie Gaaf Gelderland en anticipeert op de eisen van de Omgevingswet.

4.3.1.1 Omgevingsvisie

Provinciale staten van Gelderland hebben op 19 december 2018 de Omgevingsvisie Gaaf Gelderland vastgesteld. De Omgevingsvisie Gaaf Gelderland 2018 vervangt na publicatie de Omgevingsvisie Gelderland 2014-2018. De Omgevingsvisie Gaaf Gelderland 2018 gaat in de breedte over het beleid van de provincie voor de fysieke leefomgeving. Anders dan de Omgevingsvisie Gelderland 2014-2018, geeft de Omgevingsvisie Gaaf Gelderland 2018 richting op de strategische hoofdlijnen van het beleid. Beide visies integreren een vijftal wettelijk verplichte planfiguren voor het provinciaal beleid voor de leefomgeving; te weten ruimte, natuur, water, milieu en verkeer en vervoer.

Gelderland werkt samen met partners aan een gezond, veilig, schoon en welvarend Gelderland. Dit doen ze door zich bij het uitvoeren van onze taken te richten op een duurzaam, verbonden en economisch krachtig Gelderland. Met hulp van zeven onderwerpen geven ze hier richting aan:

  • energietransitie
  • klimaatadaptatie
  • circulaire economie
  • biodiversiteit
  • bereikbaarheid
  • economisch vestigingsklimaat
  • woon- en leefklimaat.

Doorwerking in plangebied

Vanuit de visie gelden geen specifieke eisen op onderhavige locatie die betrekking hebben op het omzetten van de niet-agrarische bedrijfsbestemming naar een woonbestemming en het ombouwen/verbouwen van een voormalige schuur tot atelier/studio.

4.3.1.2 Omgevingsverordening

De Omgevingsverordening richt zich net zo breed als de Omgevingsvisie op de fysieke leefomgeving in de provincie Gelderland. Dit betekent dat alle regels die betrekking hebben op de fysieke leefomgeving opgenomen zijn in de Omgevingsverordening. De Omgevingsverordening Gelderland heeft de status van ruimtelijke verordening, milieuverordening, waterverordening en verkeersverordening. De 'Ruimtelijke Verordening Gelderland' en de 'Ruimtelijke Verordening Gelderland, eerste herziening', zijn ingetrokken.

In de Omgevingsverordening is het onderhavige plangebied opgenomen op de kaarten:

  • Kaart 3: Regels Glastuinbouw
  • Kaart 6: Regels Water en Milieu

Doorwerking in plangebied

Het (wijzigings)plan is in overeenstemming met de Omgevingsverordening. Bij dit plan is immers geen sprake van glastuinbouw of ingrepen die van invloed zijn op de waterwinning.

4.4 Regio

4.4.1 Functieveranderingsbeleid Regio Food Valley 2016

In maart 2017 is het “Functieveranderingsbeleid Regio Food Valley 2016” vastgesteld. Dit betreft een actualisering van de regionale beleidsafspraken over hoe de betrokken gemeenten om willen gaan met het toenemende probleem van leegstand van (voormalige) agrarische bedrijfsgebouwen. Het beleid stelt (voormalige) agrarische bedrijven in staat om de bedrijfsvoering op een maatschappelijk en ruimtelijk verantwoorde wijze te beëindigen. Daarnaast leidt het tot kwaliteitsverbetering in het buitengebied door de sloopverplichting van overtollige bebouwing en landschappelijke inpassing bij hergebruik / nieuwbouw ten behoeve van nieuwe woonfuncties of niet- agrarische bedrijfsfuncties. Dit regionale beleid is destijds tot stand gekomen als uitwerking van het provinciale functieveranderingsbeleid vanuit het Streekplan 2005. In 2008 is hiervoor de “Regionale beleidsinvulling functieverandering en nevenactiviteiten vastgesteld met in 2012 een “Nadere invulling” daarvan.

Vanuit onder meer de praktijkervaringen van de regiogemeenten en jurisprudentie is de wens ontstaan om de beide beleidskaders uit 2008 en 2012 samen te voegen en te actualiseren. Het Functieveranderingsbeleid Regio Food Valley 2016 is dan ook primair geen nieuw beleid. Wel zijn enkele beleidsaanpassingen/-toevoegingen gedaan;

  • Vereenvoudiging van de systematiek voor afroming/korting van sloopmeters;
  • Een toekomstbestendige en flexibele basissystematiek voor functieverandering naar wonen/werken;
  • (Lichte) stijging van de benodigde compensatie van sloopmeters voor functieverandering naar wonen en werken om in te spelen op de trend en ontwikkeling dat meer agrarische bedrijven zullen stoppen en dat meer (voormalige) agrarische bebouwing vrijkomt;

Deelnemende gemeenten
Het regionale beleid voor functieverandering is opgesteld vanuit de samenwerking tussen de gemeenten in het Gelderse gedeelte van de regio Food Valley en de gemeente Putten. Het gebied waarop het regionale beleid van toepassing is omvat de gemeenten Nijkerk, Putten, Barneveld, Scherpenzeel, Ede en Wageningen.

Van sloopmeters naar inzetbare sloopmeters
Om alle sloopmeters gelijkwaardig te maken en de voorgaande systematiek van afroming te vereenvoudigen, worden sloopmeters als eerste stap in een functieveranderingsproces vóór gebruik of verkoop 'omgezet' naar een 'inzetbare sloopmeters'. Bij hergebruik van bestaande bebouwing geldt ditzelfde. De oppervlakte van de te hergebruiken bebouwing wordt eerst berekend als 'sloopmeters', waarna de omzetting plaatsvindt naar 'inzetbare sloopmeters'. Voor het omzetten van de sloopmeters naar inzetbare sloopmeters wordt een korting toegepast (voorheen was dit de afroming), afhankelijk van de grootte van de slooplocatie.

Regionale inzetbaarheid van inzetbare sloopmeters
Het slopen van (voormalige) agrarische bedrijfsgebouwen wordt bevorderd door een regionale inzetbaarheid van de sloopmeters. Dit betekent dat er de mogelijkheid is om salderingslocaties te benutten die in een andere regiogemeente liggen dan de locatie waar de meters worden ingezet. De markt voor aankoop en/of verkoop van inzetbare sloopmeters door marktpartijen is daarmee groter.

Basissystematiek
Vanuit het functieveranderingsbeleid zijn nieuwe ruimtelijke ontwikkelingen door middel van compensatie van inzetbare sloopmeters mogelijk in twee hoofdvormen met een basissystematiek;

  • functieverandering naar wonen;
  • functieverandering naar werken: (niet-agrarische) bedrijven, maatschappelijke en recreatieve functies.

De basissystematiek is opgebouwd met een standaard 'recht' voor een nieuwe woning/wooneenheid of niet-agrarisch bedrijf, het woningrecht en het bedrijfsrecht waarvoor een compensatie van inzetbare sloopmeters nodig is. Daarnaast wordt compensatie van inzetbare sloopmeters gevraagd per 1 m³ inhoud van de woning of 1 m² vloeroppervlakte niet-agrarisch bedrijf.

Verbrede mogelijkheden (gemeentelijke keuze)
In het geactualiseerde beleid is evenals in de voorgaande beleidsdocumenten een 'gereedschapskist' aan verbrede mogelijkheden voor de inzet van inzetbare sloopmeters opgenomen. Gemeenten hebben de keuzemogelijkheid uit deze regionaal afgestemde 'gereedschapskist' die onderdelen te kiezen die hen passen. Dit in aanvulling op de hoofdopzet van het beleid. De met de actualisering toegevoegde mogelijkheden geven meer ruimte voor nieuwe (maatwerk) ontwikkelingen. Een toegevoegde mogelijkheid is functieverandering van een woning naar een woongebouw, voor onder meer mogelijk toekomstige mantelzorgsituaties of meergeneratiewoningen. Daarnaast is een maatwerkmogelijkheid toegevoegd om in nog niet uitgewerkte situaties oplossingen te bewerkstelligen die in overeenstemming zijn met de lijn en de systematiek van dit beleid.

Doorwerking in plangebied

Onderhavig wijzigingsplan voldoet aan het regionale functieveranderingsbeleid. Aangezien ten behoeve van deze ontwikkeling voldoende inzetbare sloopmeters aangeleverd zijn. Het functieveranderingsbeleid is grotendeels vastgelegd in de in bestemmingsplan ''Buitengebied 2012'' vastgelegde wijzigingsbevoegdheden, waarvan er twee worden toegepast in dit plan. Het plan voldoet aan de in de toegepaste wijzigingsbevoegdheden opgenomen voorwaarden.

 

4.5 Waterschap

4.5.1 Waterbeheerprogramma 2016-2021 Waterschap Vallei en Veluwe

Op 1 januari 2016 is het Waterbeheerprogramma 2016 - 2021 'Partnerschap als watermerk' van Waterschap Vallei en Veluwe in werking getreden. Het waterschap stelt in het waterbeheerprogramma dat de huidige wateropgaven zo complex zijn, dat alleen een aanpak samen met partnerorganisaties en inwoners zorgt voor de gewenste resultaten en de beste oplossingen. Daarom kan en wil het waterschap niet alleen opereren in het behalen van zijn doelen en hecht daarom groot belang aan de samenwerking met zijn partners in de regio. Samen met inwoners, ondernemers en andere organisaties wil het waterschap werken aan een duurzame waterzuivering van afvalwater en toekomstgericht beheer van onze dijken en waterwegen zodat iedereen tegen aanvaardbare kosten veilig kan wonen, werken en recreëren. Daarbij wil Waterschap Vallei en Veluwe de goede waterhuishoudkundige voorwaarden scheppen voor zowel inwoners, bedrijven, natuur en landbouw.

Een belangrijke ontwikkeling waar het waterschap op anticipeert is het veranderende klimaat. Deze verandering zal leiden tot meer extreme weersituaties: perioden van veel neerslag met kans op wateroverlast en perioden van droogte met kans op watertekorten. Om goed voorbereid te zijn, wil het waterschap het watersysteem robuuster maken door meer ruimte voor wateren te reserveren, zowel binnen de bebouwde kom als in het buitengebied. Het waterschap wil de effecten van klimaatverandering beperken door het vasthouden van water, het inrichten en beheren van robuuste watersystemen en het inrichten van een beperkt aantal waterbergingsgebieden. Afkoppelen van relatief schoon hemelwater van het riool is een belangrijke maatregel om overbelasting van het riool en een te snelle afvoer te voorkomen.

Daarnaast wil het waterschap negatieve effecten op de kwaliteit van oppervlaktewater, grondwater en bodem voorkomen, evenals negatieve effecten op beschermde flora en fauna.

Doorwerking in plangebied

De bevindingen en resultaten van de watertoets zijn beschreven in de waterparagraaf (§ 5.15).

4.5.2 Blauwe Omgevingsvisie 2050

De driedimensionale Blauwe Omgevingsvisie 2050 (BOVI) is de langetermijnvisie van Waterschap Vallei en Veluwe. Met deze BOVI zet Waterschap Vallei en Veluwe op een geheel nieuwe wijze koers naar een duurzame en waterinclusieve leefomgeving. Daarbij kijkt Waterschap Vallei en Veluwe integraal, grensontkennend, over de grenzen van taken en gebieden heen en werkt vanuit de drie zogenoemde waterprincipes:

  • 1. Water is een ordenend principe in de ruimtelijke ordening.
  • 2. Maximaal vasthouden en schoonhouden van water.
  • 3. Partnerschap als watermerk.

Deze principes leiden tot één samenhangende weergave van water in het landschap van Vallei en Veluwe: één kringloop van bron tot monding, door stedelijk en landelijk gebied en van boven- en ondergrond.

Doorwerking in plangebied

De bevindingen en resultaten van de BOVI 2050 zijn beschreven in de waterparagraaf (§ 5.15).

4.6 Gemeente

4.6.1 Structuurvisie Buitengebied Barneveld

De structuurvisie Buitengebied Barneveld is op 21 september 2011 door de gemeenteraad vastgesteld. De Structuurvisie Buitengebied Barneveld bouwt voort op keuzes die gemaakt zijn in de Strategische visie en de Nota van Uitgangspunten voor het buitengebied.

De visie voor het buitengebied is ruimte bieden voor economische ontwikkeling in samenhang met behoud en ontwikkeling van de omgevingskwaliteiten landschap, natuur, woon- en leefmilieu.

Er doen zich belangrijke ontwikkelingen voor die bepalend zijn voor de toekomst van het buitengebied. De landbouw heeft niet stil gestaan en past zich aan, aan nieuwe ontwikkelingen. De doorgaande ontwikkeling in de agrarische sector heeft onder andere tot gevolg dat er steeds minder maar wel grotere agrarische bedrijven zijn gekomen en nog zullen komen. Een gevolg hiervan is vrijkomende agrarische erven door functieverandering naar wonen of werken. Ook is steeds vaker sprake van verbreding en verduurzaming. Tevens wordt geconstateerd dat recreatiebedrijven moderniseren en de kwaliteit verhogen. Deze ontwikkelingen zijn van grote invloed op de omgevingskwaliteiten natuur, landschap, cultuurhistorie en woon- en leefomgeving.

Met de visie wordt ruimte geboden voor economische ontwikkeling in samenhang met behoud en ontwikkeling van de omgevingskwaliteiten. Dat gaat de gemeente doen door initiatieven mede te beoordelen op de mate waarin ze bijdragen aan behoud en ontwikkeling van de omgevingskwaliteit, bijvoorbeeld effecten op landschap (beeldkwaliteit), woon- en leefmilieu, verkeer en natuur.

De gemeente wil diverse ontwikkelingen faciliteren. Wat betreft de landbouw gaat dat om zowel schaalvergroting als verbreding en innovatie. Die verbreding verdient mogelijkheden om enerzijds extra inkomsten te bieden aan agrarische ondernemers en anderzijds om duurzame en innovatieve ontwikkelingen ruimte te geven. Verbreding is bovendien interessant voor de beleidsopgave om recreatieve mogelijkheden in het hele buitengebied te benutten en te stimuleren. Innovatie verdient kansen omdat daarmee kan worden gewerkt aan de versterking van de positie van de Regio Foodvalley, aan ondernemingszin en aan klimaatadaptatie. De schaalvergroting en de innovatieve ontwikkelingen moeten echter wel passen in het landschap van de gemeente Barneveld. Die voorwaarde geldt ook voor de locaties waar de agrarische bedrijven juist stoppen en gebruik maken van het beleid voor functieverandering waarmee woningen of (kleine) bedrijven worden gerealiseerd. Het spreekt vanzelf dat ook recreatieve functies moeten bijdragen aan een fraai en herkenbaar landschap. Een landschappelijk fraai buitengebied met goed ingepaste ontwikkelingen. Een buitengebied dat zo wordt ingericht dat het een aangename plek is om er te werken en te recreëren. Dat vergt een goed klimaat om passende werk- en recreatiefuncties daadwerkelijk te kunnen behouden en ontwikkelen.

Het buitengebied als een prettige omgeving om te verblijven geeft ook een meerwaarde voor de talrijke woningen die in het buitengebied aanwezig zijn en is van groot belang als positieve vestigingsfactor voor de (toekomstige) bewoners van de negen woonkernen. Die meerwaarde wil de gemeente graag verder versterken door het ontwikkelen van de relaties tussen de dorpen en het buitengebied. Daarom wil de gemeente initiatieven op het gebied van bijvoorbeeld de lokale voedselvoorziening en het beleven van veehouderij (kijk- en doemogelijkheden) en natuur (rust zoeken en onderhoud) faciliteren.

De hiervoor genoemde aanpak geldt voor het hele buitengebied. Daarnaast is een onderscheid gemaakt in deelgebieden, met beleidsaccenten op grond van landschappelijke kenmerken en zones op grond van een specifieke functie. Zie hiervoor de afbeelding 'Visie ruimtelijke kwaliteit Barneveld'.

De deelgebieden zijn:

  • Agrarisch bedrijvenlandschap.
  • Agrarisch bekenlandschap.
  • Agrarisch slagenlandschap.
  • Veluws natuurgebied met agrarische enclaves.

afbeelding "i_NL.IMRO.0203.1654-0002_0008.png"

afbeelding "i_NL.IMRO.0203.1654-0002_0009.png"

Afbeelding 4.1 Visie ruimtelijke kwaliteit Barneveld + legenda

Per deelgebied wordt de ontwikkelingsrichting beschreven. Het kwaliteitsbeeld vormt het ruimtelijk toetsingskader. Het stelt eisen die richtinggevend zijn voor ruimtelijke ontwikkeling. Deze (minimum)eisen zijn kaderstellend voor het (bestemmings)plan. Het plangebied ligt in het volgende deelgebied.

4.6.1.1 Agrarisch bedrijvenlandschap

Intensieve landbouw is de belangrijkste gebruiksvorm van dit deelgebied. Het beleid is gericht op herstructurering en passende schaalvergroting, waarbij productieruimte beschikbaar komt voor de toekomstgerichte bedrijven die in staat zijn om te groeien en daarin te investeren.

Karakteristiek

Het deelgebied wordt gekarakteriseerd door afwisselend kleinschalig landschap met diverse cultuurhistorische landschapstypes (kampenlandschap, heideontginningslandschap etcetera). Deze verschillende landschapstypen zijn op veel plekken niet langer direct herkenbaar. De agrarische bedrijven zijn op de voorgrond aanwezig in dit gebied. Sommige delen van het gebied zijn dichter dan andere delen door kleinschalige landschapselementen als houtsingels en door erfbeplanting. Daarbij vormen lanen en beken belangrijke landschappelijke elementen. De lanen zijn echter niet altijd consequent doorgezet en daardoor worden routes niet geaccentueerd. De beken vallen in de kleinschaligheid van het landschap nauwelijks op. In het groeiseizoen draagt de maïsteelt bij aan het kleinschalige karakter van het gebied.

Gebruik

Intensieve landbouw is de belangrijkste gebruiksvorm van dit deelgebied. Het beleid is gericht op herstructurering en passende schaalvergroting, waarbij productieruimte beschikbaar komt voor bedrijven die in staat zijn om te investeren. Andere bedrijven zullen stoppen met hun agrarische activiteiten. In het kader van het functieveranderingsbeleid worden, in gevallen van vrijkomende en leegstaande agrarische bebouwing, planologische mogelijkheden geboden voor functiewijziging naar niet-agrarische bedrijvigheid. Vanwege het primaat van de ontwikkelingsmogelijkheden van de landbouw, wordt in het landbouwontwikkelingsgebied (LOG) in beginsel geen medewerking verleend aan verzoeken om functiewijziging naar wonen. Voor al aanwezige niet-agrarische bedrijven is het uitgangspunt dat eventuele uitbreiding alleen onder strenge voorwaarden wordt toegestaan. Hervestiging op een bestaand of nieuw bedrijventerreinen in de gemeente Barneveld is wenselijk.

Behoudens de hiervoor genoemde mogelijkheden van functieverandering van stoppende agrarische bedrijven, worden in dit agrarische productiegebied geen nieuwe woningen of niet-agrarische bedrijven toegelaten. Deze functies horen thuis in de kernen. Het streefbeeld voor dit landschap is gericht op vernieuwing.

Bestaande waardevolle natuur- en landschappelijke waarden worden beschermd en zijn nevengeschikt aan de hoofdfunctie landbouw.

Doorwerking in plangebied

Het ingekomen verzoek is in overeenstemming met de structuurvisie.

4.6.2 Hemelwaterplan 2017-2020 'Klimaatactief!'

Het Hemelwaterplan 2017-2020 'Klimaatactief!' richt zich op een duurzame omgang met hemelwater. Het geeft aan wat het gemeentelijk beleid is ten aanzien van afstromend hemelwater in bestaande situaties en bij nieuwe ontwikkelingen. Het plan zet in op een integrale benadering en meervoudige inrichting van de totale openbare ruimte. Barneveld gaat aan de slag met het waterbestendig inrichten van de openbare ruimte om bestand te zijn tegen klimaatverandering.

Doorwerking in plangebied

De bevindingen en resultaten van de watertoets zijn beschreven in de waterparagraaf (§ 5.15).

4.6.3 Energievisie gemeente Barneveld 2015-2020

De raad heeft in 2015 de Energievisie gemeente Barneveld 2015-2020 ('investeren in Barneveldse bronnen') vastgesteld. Het energievraagstuk staat de laatste jaren landelijk stevig op de (politieke) agenda. Naast het milieumotief en betaalbaarheid zijn ook maatschappelijke verantwoordelijkheid en energie-onafhankelijkheid steeds meer een argument om actie te ondernemen. De gemeente Barneveld voelt de urgentie om een bijdrage te leveren aan een schone, betrouwbare en betaalbare energievoorziening en heeft een doelstelling vastgesteld die hoger ligt dan de landelijke energiedoelstellingen.

Woningen en bedrijfspanden moeten de komende jaren fors energiezuiniger worden. Ook moet de gemeentelijke overheid in opdracht van de rijksoverheid uiterlijk in 2021 een warmteplan opstellen, dat de basis gaat vormen voor het uitfaseren van het gebruik van aardgas.

Vooruitlopend op de nieuwe energiewetgeving in 2020 en energieneutraliteit in 2050, ziet de gemeente graag dat de woningen en bedrijven aardgasloos en energieneutraal worden gebouwd. De gemeente is medio 2018 een verkenning gestart naar hoe een aardgasvrije gemeente vorm zou kunnen krijgen. Naar aanleiding van de uitkomsten hiervan kunnen keuzes voor de energievoorziening voor nieuw te bouwen woningen en/of bedrijven in de toekomst beïnvloed worden. Bijvoorbeeld waar het gaat om mogelijkheden om aan te sluiten bij een collectieve warmtevoorziening of een wijkgerichte aanpak voor het verduurzamen van woningen (Wijk van de Toekomst).


Materialen

In het ontwerp van een woning of gebouw kan door een slim ontwerp daglicht optimaal worden benut en zodat de benodigde energie voor verlichting zo laag mogelijk is en de binnen temperatuur zo min mogelijk fluctueert. Ook kunnen groendaken aangelegd worden.

De hoeveelheid materialen wordt zoveel mogelijk beperkt en gebruik van gezonde en duurzame materialen – gezien over de hele levenscyclus - heeft de voorkeur.


Duurzaamheid in het openbaar gebied of op eigen terrein

Er moet aandacht zijn voor energiezuinige openbare verlichting. Daarbij denken we aan een verlichtingsplan, waarbij zo weinig mogelijk lantaarnpalen worden toegepast, uitgevoerd met (dimbare) LED-lampen.


Daarnaast is het vanuit duurzaamheidsoogpunt van belang om de hoeveelheid materiaalgebruik voor wegen en de verharde oppervlakte in het plangebied zo laag mogelijk te houden. Dat kan worden bereikt door de weglengte en -breedte zoveel mogelijk te beperken en doorlatende verharding toe te passen. Bij de keuze voor het materiaalgebruik heeft de gemeente ook hier de voorkeur voor het gebruik van duurzame materialen, bij zowel productie en gebruik en die bij sloop hergebruikt kunnen worden.


Doorwerking in plangebied


De eerder genoemde duurzaamheidsaspecten zullen binnen het plan aangebracht worden.

Hoofdstuk 5 RANDVOORWAARDEN

5.1 Bodem

5.1.1 Bodemkwaliteit

In het kader van de bestemmingsplanprocedure is beoordeeld of de milieuhygiënische bodemkwaliteit ter plaatse van het plangebied voldoet aan de eis van financiële uitvoerbaarheid en uit oogpunt van volksgezondheid en milieu aanvaardbaar mag worden geacht voor het beoogde gebruik.

Beoordeling van de milieuhygiënische bodemkwaliteit vindt (o.a.) plaats op basis van de vastgestelde bodemkwaliteitskaart (PFAS) regio De Vallei en de nota bodembeheer regio De Vallei.

Met dit instrumentarium kan de bodemkwaliteit binnen het plangebied met een bepaalde statistische zekerheid worden bepaald voor zover blijkens historisch onderzoek geen sprake is van verdachte locaties.

In dit geval is er sprake van een verdachte locatie. Er is een onderzoek uitgevoerd.

Er is niet eerder een verkennend bodemonderzoek uitgevoerd op deze locatie. Voor de voorgenomen functieverandering van niet-agrarisch bedrijf naar wonen en het ombouwen/verbouwen van een bestaande schuur tot een atelier/studio zullen diverse sloop en grondroerende werkzaamheden plaatsvinden, is nu een verkennend bodem- en asbestonderzoek conform NEN 5725 uitgevoerd, deze is te vinden in Bijlage 2.

Het uitgevoerde verkennend bodem- en asbestonderzoek heeft tot doel een actueel en betrouwbaar inzicht te geven in de milieuhygiënische bodemkwaliteit. Uit het onderzoek blijkt dat er zintuiglijk noch analytisch asbest is aangetroffen in de bodem. In de vaste bodem zijn geen verhoogde gehalten aangetoond. In het grondwater is een licht verhoogd gehalte aan chroom aangetoond. Het aangetoond gehalte vormt geen aanleiding tot nader onderzoek.

Op basis van de analyseresultaten is de actuele bodemkwaliteit afdoende vastgelegd en bestaan, milieutechnisch gezien, geen bezwaren voor de voorgenomen bestemmingsplan wijziging van niet-agrarisch bedrijf naar wonen met de ombouw en verbouw van een bestaande schuur tot een atelier/studio.

Een bodemonderzoek kan nooit volledige zekerheid geven over de kwaliteit van de onderzochte bodem of het grondwater en is een momentopname. De gemeente is daarom niet aansprakelijk voor een eventuele toekomstige bodemverontreiniging op de locatie. Als de bouwwerkzaamheden plaats gaan vinden en er worden toch nog verdachte stoffen aangetroffen in de bodem, dan moet dit zo snel mogelijk bij ons gemeld worden.

Conclusie

Het aspect bodem vormt geen belemmering voor dit plan.

5.1.2 Niet gesprongen explosieven

Op de gemeentebrede Conventionele Explosieven (CE) kaart is het plangebied niet als risicogebied aangegeven.

Conclusie
Het aspect niet gesprongen explosieven vormt geen belemmering voor dit plan.

5.2 Cultuurhistorie

Op grond van het Besluit ruimtelijke ordening (Bro) moet bij het opstellen van bestemmingsplannen rekening worden gehouden met cultuurhistorische waarden. Daar waar het voor de archeologie al gemeengoed is, geldt het dus ook voor andere aspecten van de cultuurhistorie. Rekening houden met cultuurhistorie impliceert dat bekend moet zijn wat er voor waarden aanwezig zijn. De gemeente heeft daarom een proces opgestart om bestaande kennisdocumenten te actualiseren en waar nodig nieuwe kennis op te bouwen. De gemeente beschikt over volgende vastgestelde kaarten:

  • Archeologische waarden- en verwachtingenkaart;
  • Cultuurlandschappelijke waardenkaart;
  • Historische stedenbouwkundige waardenkaarten.

Door cultuurhistorie een plek te geven in procedures op het gebied van ruimtelijke ordening wordt ook bereikt dat de aandacht niet uitsluitend uitgaat naar individuele objecten (de aangewezen monumenten), maar juist de samenhang tussen gebouwen en hun omgeving.

5.2.1 Archeologie
5.2.1.1 Archeologie hoge verwachting

Bij een planontwikkeling moet rekening worden gehouden met de in de grond aanwezige dan wel te verwachten monumenten. De gemeenteraad heeft op 25 april 2018 ingestemd met de 'Archeologische waarden- en verwachtingenkaart' als archeologisch toetsingskader bij ruimtelijke ontwikkelingen. Uit deze kaart blijkt dat binnen het plangebied een hoge archeologische verwachting geldt.

De gemeenteraad heeft op 28 september 2010 besloten dat voor deze zone archeologisch onderzoek noodzakelijk is bij een oppervlakte van 250 m² of groter en voor grondverstorende werkzaamheden dieper dan 30 cm

Het project valt echter onder deze vrijstelling, de bodemverstoring gerelateerd aan de bouw- en sloopplannen is namelijk 117 m² in totaal, zodat geen nader onderzoek noodzakelijk is.

Indien bij de uitvoering van de werkzaamheden onverwacht toch archeologische resten worden aangetroffen, dan is conform artikel 5.10 van de Erfgoedwet melding van de desbetreffende vondsten bij de minister (namens deze de RCE) verplicht.

5.2.2 Historische stedenbouwkundige waarden

De gemeenteraad heeft op 25 april 2018 ingestemd met de 'stedebouwkundige waardevolle gebieden' als weergegeven in de 'Historische stedebouwkundige waardenkaart' en de aangegeven 'vast te leggen kenmerken' in de bijbehorende Tabel, en deze te hanteren als toetsingskader bij ruimtelijke ontwikkelingen. Het plangebied heeft volgens deze kaart geen bijzondere waarde(n).

Bij de bouwkundige monumenten is sprake van rijks- en gemeentelijke monumenten. Binnen het plangebied of direct aansluitend zijn er geen monumenten gelegen.

5.2.3 Cultuurlandschappelijke waarden

De gemeenteraad heeft op 25 april 2018 ingestemd met de 'Cultuurlandschappelijke waardenkaart' als toetsingskader bij ruimtelijke ontwikkelingen. Het plan ligt in een gebied met de waarde 2. Het gaat om een gebied met jonge vochtige kampontginningen. Het historisch landschap is aldaar nog te herkennen en er is sprake van enige mate van historische zeggingskracht.

Conclusie
Dit bestemmingsplan is niet strijdig met deze waardering. Het aspect cultuurhistorie vormt geen belemmering voor dit plan.

5.3 Ecologie

De belangrijkste wet voor natuurbescherming in Nederland is de Wet natuurbescherming. Deze wet is op 1 januari 2017 in werking getreden. De Europese Vogelrichtlijn en de Habitatrichtlijn zijn vertaald in deze wet.

Daarnaast is qua ecologie ook het Gelders Natuurnetwerk en de Gelderse Ontwikkelingszone van belang.

5.3.1 Wet natuurbescherming
5.3.1.1 Gebiedsbescherming

Hoofdstuk 2 van de Wet natuurbescherming regelt de bescherming van speciale beschermingszones ter uitvoering van de Vogelrichtlijn en de Habitatrichtlijn. Zo'n speciale beschermingszone wordt aangeduid als “Natura 2000-gebied”.

De Wet natuurbescherming bepaalt vervolgens wat er wél en niet mag in zo'n Natura 2000-gebied. Ook zijn er bijzondere nationale natuurgebieden.

Op 27 juni 2014 is de aanwijzing van het gebied Veluwe als speciale beschermingszone onder de Habitatrichtlijn in werking getreden. Tevens is met dit besluit het besluit tot de aanwijzing van Veluwe als speciale beschermingszone onder de Vogelrichtlijn, inclusief de daarbij behorende Nota van toelichting, gewijzigd. Deze twee genoemde speciale beschermingszones vormen samen het Natura 2000-gebied Veluwe, waarbij instandhoudingsdoelstellingen zijn toegevoegd.

afbeelding "i_NL.IMRO.0203.1654-0002_0010.png"

Afbeelding 5.1 Uitsnede kaart 10 Omgevingsverordening Gelderland (met het plangebied bij de rode pijl)

Stikstof
Gelet op de beperkte omvang (bouw 38 m²), de huidige toegestane functie (met bijbehorende verkeersbewegingen) en de afstand tot Natura 2000-gebied van meer dan 150 meter leidt het plan niet tot extra stikstofdepositie in het Natura 2000-gebied.

5.3.1.2 Soortenbescherming

Hoofdstuk 3 van de Wet natuurbescherming beschermt bepaalde plant- en diersoorten in Natura 2000-gebieden, bijzondere nationale natuurgebieden én daarbuiten. Er gelden drie beschermingsregimes, te weten voor vogels (Vogelrichtlijn), soorten onder de Habitatrichtlijn (bijlage IV, onderdeel a Habitatrichtlijn, dan wel bijlage II bij het Verdrag van Bern of bijlage I bij het Verdrag van Bonn) en andere (nationale) soorten.  

Om te beoordelen of de beschermde soorten in het plangebied aanwezig zijn, is de locatie bezocht door een flora- en faunacontroleur. Daaruit is naar voren gekomen dat er geen sprake is van bijzondere flora en fauna waarden en dat een soortenonderzoek niet nodig is.

Algemene zorgplicht
Voor de uitvoering van werkzaamheden geldt de algemene zorgplicht. Alle broedende vogels, hun broedplaatsen én de functionele omgeving van de broedplaatsen zijn beschermd tijdens de broedperiode. Het verwijderen van bomen en struiken dient gezien te worden als een voor vogels verstorende activiteit en dient buiten het vogelbroedseizoen plaats te vinden. Verstorende werkzaamheden dienen niet tijdens de broedperiode (grofweg maart - augustus) uitgevoerd te worden, tenzij geconstateerd is dat er geen vogelbroedgeval aanwezig is.

Een ieder is verplicht om voldoende zorg in acht te nemen voor Natura 2000-gebieden, bijzondere nationale natuurgebieden en voor in het wild levende dieren en planten en hun directe leefomgeving.

5.3.1.3 Houtopstanden

De bescherming van houtopstanden conform hoofdstuk 4 van de Wet natuurbescherming heeft als doel om het aanwezige areaal bossen en beplantingen in Nederland te behouden. Daarmee wordt de functie van bossen en beplantingen gegarandeerd als habitat voor dieren en planten, als recreatiegebied en als groene long.

Onder houtopstanden vallen alle zelfstandige eenheden van bomen, boomvormers, struiken, hakhout of griend van een oppervlakte van tien are of meer of rijbeplanting die twintig (of meer) bomen omvat, gerekend over het totaal aantal rijen.

Het kappen van bomen of een herplantplicht is niet aan de orde.

Conclusie

De Wet natuurbescherming staat uitvoering van het onderhavige plan niet in de weg.

5.3.2 Gelders Natuurnetwerk en Groene Ontwikkelingszones

Het plangebied ligt niet binnen de (voormalige) Ecologische Hoofdstructuur (EHS). Het Natuurnetwerk Nederland (NNN) is de opvolger van de EHS. Met het bestuursakkoord Natuur is de realisatie en het beheer van het NNN de verantwoordelijkheid van de provincies geworden.

In de periode tot 2027 willen Rijk en provincies een forse extra stap zetten op weg naar realisatie van de doelen van de Vogelrichtlijn, Habitatrichtlijn en de Kaderrichtlijn Water. Hierbij moet maximale synergie worden bereikt tussen natuur- en watermaatregelen. De provincies geven elk in hun eigen provincie uitwerking aan het natuurbeleid op basis van het Natuurpact.

Voor de EHS zijn in de Omgevingsvisie twee nieuwe natuurcategorieën in de plaats gekomen: het Gelders Natuurnetwerk (GNN) en de Groene Ontwikkelingszone (GO.) Het plangebied ligt niet in het GNN of de GO.

afbeelding "i_NL.IMRO.0203.1654-0002_0011.png"

Afbeelding 5.2 Uitsnede kaart 4 'Natuur' uit de Omgevingsverordening Gelderland (met het plangebied bij de rode pijl)

Conclusie
Het aspect ecologie vormt geen belemmering voor dit plan.

5.4 Externe veiligheid

Doel
Externe veiligheid gaat over het beperken en beheersen van risico's en effecten van calamiteiten, en over het bevorderen van de veiligheid van personen in de omgeving van activiteiten (bedrijven en transport) met gevaarlijke stoffen. Dat gebeurt door te voorkomen dat te dicht bij gevoelige bestemmingen activiteiten met gevaarlijke stoffen plaatsvinden, door de zelfredzaamheid te bevorderen en door de calamiteitenbestrijding te optimaliseren.

In deze paragraaf wordt ingegaan op externe veiligheid in relatie tot verschillende risicovolle bronnen en/of objecten in en nabij het plangebied. Eerst wordt het wettelijk kader op nationaal niveau beschreven, daarna het gemeentelijk beleid en vervolgens overige wet- en regelgeving die voor het plangebied relevant is. Tot slot wordt zonodig het groepsrisico verantwoord.

Wettelijk kader
Op nationaal niveau zijn verschillende wetten en regels ten aanzien van externe veiligheid. Voor bedrijven geldt het Besluit externe veiligheid inrichtingen (BEVI; oktober 2004). Voor transport is het Besluit externe veiligheid transportroutes van toepassing (Bevt: april 2015). Voor buisleidingen moet worden getoetst aan het Besluit externe veiligheid buisleidingen (Bevb; januari 2015). Bij externe veiligheid wordt onderscheid gemaakt tussen Plaatsgebonden risico en Groepsrisico.

Plaatsgebonden Risico (PR)
Dit is een maat voor de kans dat iemand dodelijk getroffen kan worden door een calamiteit met een gevaarlijke stof. De gestelde norm is een ten minste in acht te nemen grenswaarde (PR 10-6/jaar) die niet mag worden overschreden ten aanzien van 'kwetsbare objecten', alsmede een zoveel mogelijk te bereiken richtwaarde (PR 10-6/jaar) ten aanzien van 'beperkt kwetsbare objecten'.

Groepsrisico (GR)
Dit is een maat voor de kans dat een grotere groep tegelijkertijd dodelijk getroffen kan worden door een calamiteit met gevaarlijke stoffen. Voor het groepsrisico geldt een verantwoordingsplicht.

Plasbrandaandachtsgebied (PAG)
Binnen het werkveld externe veiligheid wordt sinds jaren gewerkt met twee risiconormen, het plaatsgebonden risico en het groepsrisico. Bij de ontwikkeling van het Basisnet is hieraan een derde voorwaarde toegevoegd: het plasbrandaandachtsgebied (PAG). Hiermee wordt het effectgebied weergegeven van het scenario met de grootste kans van voorkomen: de plasbrand. In deze gebieden moet er in samenhang met mogelijkheden van plasbrandbestrijding en bouwtechnische maatregelen beargumenteerd worden waarom er gebouwd wordt.

Basisnet vervoer gevaarlijke stoffen
Op 1 april 2015 is het Basisnet vervoer gevaarlijke stoffen van kracht geworden. Dit Basisnet geeft aan over welke routes (spoor, water en weg) gevaarlijke stoffen worden vervoerd. Het Basisnet spoor heeft betrekking op het vervoer van gevaarlijke stoffen over het hoofdspoorwegennet. Op basis van de wet- en regelgeving omtrent het Basisnet worden, rekening houdend met te verwachten groei van vervoer van gevaarlijke stoffen door Nederland en verdichting van de ruimte naast het spoor (binnen een afstand van 200 m van het spoor) in met name stedelijke kernen, afspraken gemaakt over de risicoruimte.

Beleidsvisie externe veiligheid
In 2009 heeft de gemeente Barneveld de 'Beleidsvisie externe veiligheid vastgesteld. In deze visie is onder meer vastgelegd hoe in Barneveld nabij risicobronnen zal worden omgegaan met het veiligstellen van een acceptabel niveau van risico's externe veiligheid en beheersbaarheid.

Conclusie
Het aspect externe veiligheid vormt geen belemmering voor onderhavig plan.

5.5 Geluid

De basis voor de ruimtelijke afweging van geluid is de Wet geluidhinder (Wgh). Bij het vaststellen van een bestemmingsplan komen in de volgende gevallen de regels van deze wet aan de orde: het bestemmen van gronden voor nieuwe geluidgevoelige objecten (bijvoorbeeld woningen en onderwijsgebouwen) binnen zones langs (spoor-)wegen en zones rondom industrieterreinen; het bestemmen van gronden voor de aanleg van nieuwe, dan wel reconstructie van gezoneerde (spoor-)wegen; het bestemmen van gronden voor (nieuwe) industrieterreinen waar zich grote lawaaimakers kunnen vestigen en herziening van zonegrenzen van industrieterreinen.


De Wet geluidhinder gaat uit van zones langs (spoor-)wegen en zones bij industrieterreinen. Het gebied binnen deze zone geldt als akoestisch aandachtsgebied waar, voor bouwplannen en bestemmingsplannen, een akoestische toetsing uitgevoerd dient te worden. De geluidbelasting op de gevels van nieuwe geluidgevoelige bestemmingen mag in principe niet meer bedragen dan de voorkeursgrenswaarde. Indien de geluidbelasting op de gevel hoger is dan de voorkeursgrenswaarde kan onder bepaalde voorwaarden een verzoek worden gedaan tot vaststelling van een hogere waarde. Hierbij mag de geluidbelasting de uiterste grenswaarde niet overschrijden. De voorkeursgrenswaarde en uiterste grenswaarde voor nieuwe of bestaande geluidgevoelige bestemmingen verschillen per geluidsbron. In geval van nieuwe geluidgevoelige bestemmingen binnen zones langs wegen of spoorwegen, of binnen de zone van een industrieterrein, is akoestisch onderzoek vereist.


Er worden in dit plan geen nieuwe milieugevoelige objecten gerealiseerd, een akoestisch onderzoek is derhalve niet nodig.

Conclusie
Het aspect geluid vormt geen belemmering voor dit plan.

5.6 Geur

Bij de voorbereiding van een bestemmingsplan toetst het bevoegde gezag enerzijds of in het plangebied een qua geur acceptabel woon- en leefklimaat gegarandeerd is. Anderzijds is het uitgangspunt dat met het plan de omliggende bedrijven niet vergaand in hun ontwikkelingsmogelijkheden mogen worden beperkt.

Uitgangspunt voor de toetsing zijn de normen zoals die in of op grond van de Wet geurhinder en veehouderij (Wgv) zijn vastgelegd. De Wgv maakt het mogelijk om bij verordening af te wijken van de wettelijke geurnormen. De gemeente Barneveld heeft van die mogelijkheid gebruik gemaakt. De Verordening geurhinder en veehouderij is in werking getreden op 18 oktober 2008, waarbij voor een aantal aangegeven delen van het grondgebied van Barneveld andere normen dan de wettelijke zijn vastgesteld. Het plan is getoetst aan de normen die zijn vastgesteld in deze verordening, voor zover deze normen van toepassing zijn in of rond het plangebied.

Veel bedrijven hebben geen omgevingsvergunning milieu meer nodig, maar vallen onder algemene milieuregels zoals vastgelegd in het Activiteitenbesluit milieubeheer. Aangezien de geurnormen uit de Wgv vrijwel één op één zijn overgenomen in het Activiteitenbesluit, kunnen bedrijven die onder dit besluit vallen ook gewoon worden meegenomen in de Wgv-toets.

Onder een 'geurgevoelig object' wordt verstaan: een gebouw, bestemd voor en blijkens aard, indeling en inrichting geschikt om te worden gebruikt voor menselijk wonen of menselijk verblijf en die daarvoor permanent of een daarmee vergelijkbare wijze van gebruik, wordt gebruikt.

In de omgeving van het plangebied ligt een veehouderij op de Breihutterweg 31-33. Daar was een vergunning voor 230 vleeskalveren, 250 traditioneel gehouden vleesvarkens en 557 legkippen. De vleesvarkens en de legkippen mogen o.g.v. het Besluit emissiearme huisvesting vanaf 1-1-2020 niet meer worden gehouden. Omdat de burgerwoning Breihutterweg 25 dichter bij het agrarische bedrijf staat, treedt er geen belemmering op ten aanzien van de studio/atelier.

Conclusie
Het aspect geur vormt geen belemmering voor dit plan.

5.7 Ladder voor duurzame verstedelijking

In het Besluit ruimtelijke ordening is de verplichting opgenomen om in het geval van nieuwe stedelijke ontwikkeling in de toelichting een onderbouwing op te nemen van nut en noodzaak van de nieuwe stedelijke ruimtevraag en de ruimtelijke inpassing. Hierbij wordt uitgegaan van de 'ladder voor duurzame verstedelijking'.


Artikel 3.1.6, tweede lid Bro luidt per 1 juli 2017 als volgt:

De toelichting bij een bestemmingsplan dat een nieuwe stedelijke ontwikkeling mogelijk maakt, bevat een beschrijving van de behoefte aan die ontwikkeling, en, indien het bestemmingsplan die ontwikkeling mogelijk maakt buiten het bestaand stedelijk gebied, een motivering waarom niet binnen het bestaand stedelijk gebied in die behoefte kan worden voorzien.

Onder stedelijke ontwikkeling wordt verstaan: ruimtelijke ontwikkeling van een bedrijventerrein, of van kantoren, detailhandel, woningbouwlocaties of andere stedelijke voorzieningen (artikel 1.1.1, eerste lid, onder i van het Bro).

De ontwikkeling van Breihutterweg 25 valt niet onder 'stedelijke ontwikkeling'. Daarom is geen verdere toelichting vereist.

Conclusie
Het aspect ladder voor duurzame verstedelijking vormt geen belemmering voor dit plan.

5.8 Leidingen en laagvliegroutes

Binnen of in de directe nabijheid van het plangebied komen geen leidingen of beschermingszones van leidingen voor die in het kader van onderhavig bestemmingsplan bescherming behoeven. Eveneens zijn er geen laagvliegroutes die beperkingen stellen aan de bouwhoogten.

Conclusie
Het aspect leidingen en laagvliegroutes vormt geen belemmering voor dit plan.

5.9 Luchtkwaliteit

In de Wet milieubeheer zijn de belangrijkste bepalingen over luchtkwaliteitseisen opgenomen. Hierin is opgenomen dat bij een ruimtelijk besluit de gevolgen voor de luchtkwaliteit getoetst moet worden. Om te bepalen of de kwaliteit van de lucht ter plaatse voldoet aan de eisen uit de Wet milieubeheer en de daarop gebaseerde regelgeving, dient bij nieuwe ontwikkelingen onderzoek gedaan te worden naar de luchtkwaliteit. Projecten waarvan aannemelijk is dat deze niet in betekenende mate bijdragen aan de luchtverontreiniging hoeven niet getoetst te worden aan de grenswaarden voor luchtkwaliteit.

De ontwikkelingen in het plangebied zijn dermate kleinschalig, dat ze vallen binnen de randvoorwaarden van het Besluit Niet in Betekenende Mate Bijdragen. De invloed van deze kleinschalige ontwikkelingen hoeven niet in beeld te worden gebracht.

Conclusie
Op basis van het voorgaande vormt luchtkwaliteit geen belemmering voor uitvoering van onderhavige plan.

5.10 Milieueffectrapportage

Niet voor alle nieuwe activiteiten hoeft een m.e.r.-procedure gevolgd te worden. Uitgangspunt van de m.e.r.-beoordeling is het 'nee, tenzij' -principe. Dat wil zeggen dat alleen een milieueffectrapport (MER) hoeft te worden opgesteld, wanneer er omstandigheden zijn die (waarschijnlijk) leiden tot belangrijke nadelige milieugevolgen.

De Wet milieubeheer maakt onderscheid in een m.e.r.-procedure voor plannen (planMER) en voor besluiten (besluitMER of projectMER). Voor een wijzigingsplan kan zowel de plan-m.e.r.-plicht als de besluit-m.e.r.-plicht gelden.

Er zijn drie sporen waarlangs de m.e.r.-plicht kan ontstaan:

  • 1. Plan- en/of besluit-m.e.r.-plicht: als de voorgenomen activiteit vermeld is in het Besluit milieueffectrapportage;
  • 2. Plan-m.e.r.-plicht: als voor het plan een zogeheten passende beoordeling op grond van de Wet natuurbescherming gemaakt moet worden. Dat is het geval als het plan significante negatieve gevolgen kan hebben voor de instandhoudingsdoelstellingen van een Natura 2000 gebied;
  • 3. Toetsing aan de provinciale milieuverordening.

Besluit milieueffectrapportage
De lijst van activiteiten in de onderdelen C en D van het Besluit bestaat uit vier kolommen. De eerste kolom bevat een omschrijving van de m.e.r.-(beoordelings)plichtige activiteiten. De tweede kolom vermeldt eventuele drempelwaarden.

Wettelijk kader

Voor de vraag of een wijzigingsplan besluit-m.e.r.-plichtig is, geldt dat het Besluit milieueffectrapportage onderscheid maakt naar m.e.r.-plichtige activiteiten en m.e.r.-beoordelingsplichtige activiteiten. Onderdeel C van de bijlage bij dit Besluit vermeldt voor welke activiteiten altijd verplicht een MER moet worden opgesteld, voordat een (m.e.r.-plichtig) besluit mag worden genomen. In onderdeel D is vermeld welke activiteiten beoordelingsplichtig zijn. Voor dergelijke activiteiten moet het bevoegd gezag beoordelen of op basis van 'belangrijke nadelige gevolgen die de voorgenomen activiteit voor het milieu kan hebben', een m.e.r.-procedure noodzakelijk is. Daarbij geldt dat een wijzigingsplan alleen besluit-m.e.r.-plichtig is, als het wijzigingsplan in kolom 4 wordt genoemd.

Voor de vraag of een wijzigingsplan plan-m.e.r.-plichtig is, geldt dat dit het geval is als het plan genoemd is in kolom 3 en activiteiten mogelijk maakt die in onderdeel C en D, kolom 1 vermeld zijn en voldoen aan de in kolom 2 genoemde drempelwaarden.

Als een wijzigingsplan een activiteit mogelijk maakt die Besluit-m.e.r.-plichtig is op grond van de uitkomst van een toets van een activiteit die onder de drempelwaarden blijft, dan is dat wijzigingsplan alsnog plan-m.e.r.-plichtig. Het maakt dan immers een (besluit) m.e.r.-plichtige activiteit mogelijk.

Voor zowel de plan-m.e.r.- als besluit-m.e.r.-plicht geldt dat als de activiteit onder de drempelwaarden uit kolom 2 van bijlage D blijft, met een vormvrije m.e.r. beoordeeld moet worden of alsnog een MER moet worden opgesteld. De centrale vraag die daarbij beantwoord moet worden is of er omstandigheden zijn die (waarschijnlijk) leiden tot belangrijke nadelige milieugevolgen. Daarbij moet in ieder geval worden getoetst aan de criteria die opgenomen zijn in bijlage III van de Europese m.e.r.-richtlijn. Als dergelijke milieugevolgen kunnen optreden, geldt alsnog de betreffende plan- en/of besluit-m.e.r.-plicht.

Toetsing

In dit geval is het wijzigingsplan / de activiteit niet via dit spoor m.e.r.-plichtig want de activiteit komt niet voor op de lijst in onderdeel C of D van het Besluit milieueffectrapportage. Daarnaast heeft toetsing aan de in bijlage III van de Europese m.e.r.-richtlijn opgenomen criteria uitgewezen dat er geen sprake zal zijn van belangrijke milieugevolgen, zodat een m.e.r. achterwege kan blijven.

Passende beoordeling via de Wet natuurbescherming
Voor het vaststellen van plannen die significante gevolgen voor een Natura 2000-gebied kunnen hebben, dient een passende beoordeling gemaakt te worden (artikel 7.2a Wet milieubeheer juncto artikel 2.8, eerste lid Wet natuurbeschermingswet). Uit de beoordeling van het aspect ecologie (zie paragraaf 5.3) blijkt dat er voor dit plan geen passende beoordeling nodig is. De plan-m.e.r-plicht op grond van de noodzaak van een passende beoordeling voor de Wet natuurbescherming is hier niet aanwezig.

Er is voor dit plan geen passende beoordeling nodig.

Provinciale milieuverordening 
Provinciale Staten kunnen in de provinciale milieuverordening extra activiteiten met gevallen, plannen en besluiten aanwijzen die belangrijke nadelige gevolgen voor het milieu kunnen hebben en dus m.e.r.-plichtig zijn (artikel 7.6 Wet milieubeheer). Dit is dus aanvullend op de m.e.r.-plicht op basis van onderdeel C van de bijlage Besluit m.e.r. (en dus ook aanvullend op de verplichting vanuit de Europese richtlijnen) én conform dezelfde systematiek.

Provinciale staten van Gelderland hebben geen extra activiteiten met gevallen, plannen en besluiten aangewezen die belangrijke nadelige gevolgen voor het milieu kunnen hebben (en zo m.e.r.-plichtig zijn).

Conclusie

Het aspect m.e.r. vormt geen belemmering voor dit plan.

5.11 Milieuzonering

Ten aanzien van bedrijvigheid geldt als uitgangspunt dat toekomstige woningen geen onevenredige milieuhinder (geur, geluid etc.) mogen ondervinden van nabijgelegen bedrijvigheid. In de publicatie ´Bedrijven en milieuzonering´ van de Vereniging van Nederlandse Gemeenten, editie 2009, worden in verband met de aanwezigheid van milieubelastende functies indicatieve afstandsnormen voorgeschreven tot milieugevoelige functies, vooral wonen.

In dit kader is voor het onderhavige plan het bedrijf Houtbouw Overeem op de Breihutterweg 18 relevant. Dit is een bedrijf met een milieucategorie 3.2. Daarvoor geldt een aan te houden richtafstand voor milieuzonering van 100 meter. Dit bedrijf ligt op iets meer dan 100 meter vanaf nummer 25 en voldoet dus aan de richtafstand voor milieuzonering

Liander heeft op (7 december 2021) aangegeven geen belangen in het gebied te hebben, daarom hoeven er in dit bestemmingsplan geen veiligheidsafstanden opgenomen te worden.

afbeelding "i_NL.IMRO.0203.1654-0002_0012.png"

Afbeelding 5.3 Elektrakabels en gasleidingen Liander

Conclusie
Vanuit milieuzonering zijn er geen belemmeringen voor het plan.

5.12 Natuur en landschap

Om de landschappelijke inpassing van het nieuwe atelier/studio te waarborgen worden aan de oostzijde van het perceel ruwe berken aangeplant en aan de oost- en zuidzijde meidoornhagen aangeplant. Zie de afbeelding hieronder voor de gehele landschappelijke inpassing.

afbeelding "i_NL.IMRO.0203.1654-0002_0013.png"

afbeelding "i_NL.IMRO.0203.1654-0002_0014.png"

 

Afbeelding 5.4 Landschappelijke inpassing perceel.

Ten behoeve van de landschappelijke inpassing van de nieuwe studio/atelier is er een erfinrichting-/beplantingsplan aangeleverd, deze is opgenomen in Bijlage 1. Met een voorwaardelijke verplichting wordt de realisatie en instandhouding van de overeengekomen inrichting gewaarborgd.

Conclusie

Het aspect natuur en landschap vormt geen belemmering voor dit plan.

5.13 Veiligheid

Om een veilige omgeving te creëren of te behouden is er op het gebied van fysieke veiligheid een aantal aspecten waarmee rekening gehouden moet worden. Zo worden er eisen gesteld aan de bereikbaarheid van de openbare wegen voor de hulpverleningsdiensten. Dit leidt tot het stellen van minimale afmetingen en bochtstralen zodat hulpverleningsvoertuigen een object of calamiteit goed kunnen bereiken en adequate hulp kunnen verlenen. Met betrekking tot voldoende bluswater in het openbare wegennet zijn er ook eisen gesteld. Deze eisen hebben betrekking op de afstanden vanaf de bluswatervoorziening tot aan een gebouw en de capaciteit ervan. In de “Handreiking Bluswatervoorziening en Bereikbaarheid” een uitgave van Brandweer Nederland worden deze eisen gesteld. Voor wat betreft de bereikbaarheid zijn er binnen de gemeente Barneveld hoofd- en subaanrijdroutes vastgesteld.

Tevens worden er eisen gesteld aan de opkomsttijden voor brandweervoertuigen. Deze zijn afhankelijk van de bestemming. Voor gebouwen waarin geslapen wordt en verminderd zelfredzame mensen verblijven worden strengere eisen gesteld dan gebouwen waar dit niet zo is. De opkomsttijden zijn gesteld in de Wet veiligheidsregio’s (1 oktober 2010) met het daarbij behorende Besluit veiligheidsregio’s. In het Besluit zijn de tijdnormen voor de opkomsttijden vastgelegd.

Situatie
Nieuwe ontwikkelingen zullen worden getoetst aan de Handreiking Bluswatervoorziening en Bereikbaarheid, het Besluit veiligheidregio’s en aan de eisen van de aangewezen hoofd- en subaanrijdroutes. Dit zal gebeuren bij de bouwplannen en inrichtingsplannen.

Bij dit plan is er geen aanvullend advies nodig in het kader van bluswater en bereikbaarheid

Conclusie
Er zijn voor wat betreft de eisen voor de veiligheid geen belemmeringen voor dit wijzigingsplan.

5.14 Verkeer

Met dit plan verandert alleen de functie van bedrijfswoning naar een reguliere woning en wordt de schuur uitgebreid en omgebouwd tot een atelier/studio. Dit betekent dat de parkeereis gelijkt blijft.

Conclusie

Het aspect verkeer vormt geen belemmering voor dit plan.

5.15 Water

Waterparagraaf

Deze waterparagraaf vormt het resultaat van het procesinstrument watertoets. De watertoets betreft het vroegtijdig informeren, adviseren, afwegen en beoordelen van waterhuishoudkundige aspecten bij de totstandkoming van ruimtelijke plannen. Het is verplicht de watertoets toe te passen. Hiermee wordt beoogd om het belang van water een evenwichtige plaats te geven in het ruimtelijk planproces.

De watertoets heeft betrekking op het grond-, oppervlakte-, afval- en hemelwater. Het behandelt alle relevante waterhuishoudkundige aspecten zoals ontwatering, wateroverlast en waterkwaliteit. De waterparagraaf beschrijft het relevante waterbeleid, de betrokkenheid en het advies van de waterbeheerder en de waterhuishoudkundige uitwerking van het plan.

Waterbeleid

Waterbeheerprogramma 2016 – 2021 waterschap Vallei en Veluwe

In dit programma heeft waterschap Vallei en Veluwe haar huidige koers en ambities voor de toekomst vastgelegd. Het waterbeheerprogramma bestaat uit 3 deelprogramma's:

  • Waterveiligheid; richt zich op het voldoende beschermen van het gebied tegen overstromingen,
  • Watersysteem; onderverdeeld in landelijke, stedelijke en KRW systemen, waarbij gericht wordt gestuurd op de juiste hoeveelheid water, de juiste kwaliteit van het water en (in het stedelijk watersysteem) het zo veel mogelijk gescheiden houden van schone en vuile waterstromen,
  • Waterketen; dit programma richt zich op goede oppervlaktewaterkwaliteit, het zo veel mogelijk gescheiden houden van schone en vuile waterstromen en de hoogst haalbare waarde uit het water halen.

Ondanks de losse programma's voor het watersysteem en de waterketen worden deze wel heel nadrukkelijk als één systeem behandeld, en komen de ambities binnen deze programma's dus ook voor een groot deel overeen. In de programma's spelen het anticiperen van en reageren op klimaatontwikkelingen en het terugwinnen van grondstoffen een belangrijke rol.

Waterplan Barneveld 2005 - 2025 en Hemelwaterplan 2017 - 2020

Het Waterplan geeft een integrale watervisie op het verhogen van de gebruikswaarde en belevingswaarde van water. Door een verantwoord gebruik en duurzame ontwikkeling van het water kan ook in de toekomst gebruik worden gemaakt van een gezond watersysteem. De volgende ambities worden genoemd:

  • Vasthouden en/of vertraagd afvoeren van hemelwater.
  • Het scheiden van vuil en schoon water. Bij nieuwbouw het hemelwater van schone oppervlakken niet op de riolering lozen en bij voorkeur lokaal gebruiken, infiltreren of lozen op oppervlaktewater. In bestaand gebied hemelwater afkoppelen van het gemengd riool indien technisch en financieel haalbaar.
  • De afvoer van schoon hemelwater vindt bovengronds plaats. Rioolwateroverstorten beperken om de doelstellingen voor waterkwaliteit te bereiken.

Huidige situatie

Op de planlocatie Breihutterweg 25 in Kootwijkerbroek betreft een perceel dat bestemd is als 'bedrijf – niet agrarisch' met een woning en bijhorende schuur. Daarnaast staan er een aantal bijgebouwen op het perceel. Een paardenstal (120 m²), schuur (70 m²), open frontschuur(46 m²) en een overkapping (33 m²).

Bij het perceel zijn enkele c-watergangen van Waterschap Vallei en Veluwe aanwezig.

Toekomstige situatie

Het perceel krijgt de bestemming 'wonen'. De huidige woning met bijhorende schuur zal bestaan blijven in huidige vorm eveneens als de paardenschuur. De open frontschuur en de overkapping zullen worden gesloopt. Hiermee wordt de bestaande schuur uitgebreid met in totaal 38 m².

Door de realisatie van het plan is er sprake van gelijkblijvend verhard oppervlak in vergelijking met de huidige situatie. Hemelwater dient zoveel mogelijk op eigen terrein te worden geborgen en mag niet op het drukriool worden aangesloten.

De huidige woning blijft gehandhaafd de aanwezige aansluiting op het drukriool wordt niet gewijzigd.

Bij de realisatie van de woning en de bijgebouwen worden uit duurzaamheidsoogpunt geen uitlogende bouwmaterialen gebruikt.

De ontwikkeling sluit aan bij de waterhuishoudkundige doelen van de gemeente en het waterschap.

Conclusie

Het aspect water vormt geen belemmering voor dit plan.

Hoofdstuk 6 JURIDISCHE ASPECTEN

6.1 Inleiding

Dit wijzigingsplan is gebaseerd op het moederplan "Buitengebied 2012" (met identificatienummer NL.IMRO.0203.1056-0004), vastgesteld op 28 mei 2013 en zoals nadien door het college gewijzigd en in werking getreden, door de raad herzien en in werking getreden en zoals gewijzigd door een intrekkingsbesluit van de raad.

Het geldende bestemmingsplan "Buitengebied 2012" kent in artikel 6.7 lid 1 en 2 - zoals deze luidt na de voornoemde herzieningen en het intrekkingsbesluit - een wijzigingsbevoegdheid waarmee het college van burgemeester en wethouders onder bepaalde voorwaarden de wijziging van de bestemming 'Bedrijf - Niet agrarisch' naar 'Wonen' en het toevoegen van extra m² bijgebouwen kunnen toestaan. Het voorliggende wijzigingsplan is gebaseerd op die bevoegdheid.

De regels zijn onderverdeeld in vier hoofdstukken:

  • Hoofdstuk 1 bevat de algemene voor het plangebied geldende bepalingen, de inleidende regels.
  • Hoofdstuk 2 regelt de bestemmingen en het daarop toegestane gebruik.
  • Hoofdstuk 3 bevat de algemene regels, zoals de anti-dubbeltelregel, algemene bouwregels, algemene afwijking- en algemene wijzigingsregels en tot slot de algemene procedureregels.
  • Hoofdstuk 4 betreft het overgangsrecht en de slotbepaling.

Bevoegdheid
Het bevoegd gezag is het bestuursorgaan dat bevoegd is tot het nemen van een besluit ten aanzien van een aanvraag om een omgevingsvergunning of ten aanzien van een al verleende omgevingsvergunning. Over het algemeen zijn burgemeester en wethouders het bevoegd gezag. Het kan incidenteel voorkomen dat bijvoorbeeld het Rijk of de provincie het bevoegd gezag is. Burgemeester en wethouders zijn altijd bevoegd gezag bij het wijzigen van een plan en het stellen van nadere eisen.

6.2 Inleidende regels

Begrippen
In artikel 1 van het wijzigingsplan zijn de begrippen plan en bestemmingsplan "Buitengebied 2012" gedefinieerd. Het kan bij een partiële herziening voorkomen dat er een begrip wordt toegevoegd.

Er wordt uitgegaan van de in dit artikel aan de betreffende begrippen toegekende betekenis. Voor zover er geen begrippen zijn gedefinieerd wordt aangesloten bij het normale spraakgebruik.

6.3 Bestemmingsregels

In hoofdstuk 2 van het wijzigingsplan zijn de bestemmingsregels opgenomen. Op de in dit hoofdstuk en de daarin opgenomen bepalingen na, worden de regels van het bestemmingsplan "Buitengebied 2012" niet gewijzigd.

Zo is de verbeelding van het bestemmingsplan "Buitengebied 2012" op de locatie gewijzigd in die zin dat de bestemming 'Bedrijf - Niet agrarisch' in zijn geheel is gewijzigd in de bestemming 'Wonen' (in de vorm van één gekoppeld bestemmingsvlak 'Wonen'') en is een gebiedsaanduiding met betrekking tot een voorwaardelijke verplichting toegevoegd.

Zie verder de toelichting bij het bestemmingsplan "Buitengebied 2012". Hieronder volgt een nadere uiteenzetting van enkele specifieke onderdelen van het wijzigingsplan.

6.4 Algemene regels

In hoofdstuk 3 is aangegeven dat de algemene regels zoals opgenomen in het bestemmingsplan "Buitengebied 2012", en zoals nadien door het college gewijzigd en in werking getreden, door de raad herzien en in werking getreden en zoals gewijzigd door een intrekkingsbesluit van de raad, niet zijn gewijzigd.

Overeenkomstig het bepaalde in het Besluit ruimtelijke ordening (Bro) is de voorgeschreven Anti-dubbeltelregeling opgenomen.

6.4.1 Schakelbepaling

Er is in de regels een schakelbepaling opgenomen. Door middel van deze schakelbepaling opgenomen in Artikel 3 van de planregels bij dit wijzigingsplan is nader aangegeven wat er op de verbeelding en/of in de regels verandert.

Dit is in paragraaf 6.3 van de toelichting van dit wijzigingsplan ook toegelicht.

6.4.2 Algemene aanduidingsregels

De algemene aanduidingsregels bevatten specificaties van de (dubbel-)bestemmingen met betrekking tot het gebruik of het bouwen. Een gebiedsaanduiding is een aanduiding die verwijst naar een gebied waarvoor bijzondere regels, extra regels of nadere afwegingen gelden. Bij gebiedsaanduidingen gaat het veelal om zones en gebieden die aan sectorale regelgeving zijn ontleend. De volgende gebiedsaanduiding is toegepast:

  • 'overige zone - voorwaardelijke verplichting 1'
6.4.2.1 Voorwaardelijke verplichting

Bij wijzigingen van het bestemmingsplan is het veelal noodzakelijk afspraken met betrekking tot het slopen van gebouwen of het realiseren van inrichtingsmaatregelen dan wel andere voorwaarden vast te leggen. Om dit te waarborgen wordt in het bestemmingsplan een voorwaardelijke verplichting opgenomen. Hierbij worden aan het bestemmingsplan specifieke regels toegevoegd die de verzoeker verplichten om bij gebruikmaking van de toegestane ontwikkeling ook de inrichtingsmaatregelen te realiseren of bebouwing te slopen.

In onderhavig wijzigingsplan is een voorwaardelijke verplichting opgenomen die verband houdt met erfinrichting-/beplantingsplan.

6.5 Overgangs- en slotregels

In het laatste hoofdstuk zijn de regels ten aanzien van het overgangsrecht opgenomen. Het laatste artikel van de regels betreft de citeertitel van voorliggend wijzigingsplan.

6.6 Handhaving

De gemeente acht handhaving van haar beleid van groot belang om de gewenste ruimtelijke kwaliteit te garanderen. Belangrijke redenen voor handhaven zijn:

  • De regels zijn door de gemeente vastgesteld en de inwoners van de gemeente mogen verwachten dat de gemeente die regels handhaaft: waarom zijn er anders regels opgesteld? Inwoners van de gemeente hebben als het ware recht op handhaving.
  • Handhaving gaat oneigenlijk gebruik van en daarmee de achteruitgang van de kwaliteit van het gemeentelijk grondgebied tegen. Een actueel bestemmingsplan beoogt de ruimtelijke kwaliteit van een gebied in stand te houden en te verbeteren.
  • Niet daadkrachtig optreden tegen overtredingen van wettelijke regels werkt een toename van het aantal overtredingen in de hand en tast de geloofwaardigheid van daadkrachtig optreden aan. Het in het bestemmingsplan vastgelegde beleid wordt ondermijnd en het bestuur verliest de greep op de gebouwde omgeving.

Onderscheid kan gemaakt worden tussen preventieve en repressieve handhavingsinstrumenten. Onder preventieve instrumenten kunnen onder andere goede regelgeving (zoals in bestemmingsplan), voorlichting, subsidieverlening, afwijking van bouwregels en gebruiksregels en de omgevingsvergunning worden begrepen. Repressieve instrumenten zijn onder meer controle en toezicht, opsporing en het hanteren van sancties als bestuursdwang en dwangsom.

In 2016 heeft de gemeente de Nota Vergunningverlening, Toezicht en Handhaving, VTH-beleid vastgesteld. In dit VTH-beleid staat beschreven hoe het college van burgemeester en wethouders op hoofdlijnen omgaat met de uitvoering van VTH-taken en welke prioriteiten hieraan zijn toegekend. Het college is verantwoordelijk voor de uitvoering van de VTH-taken en heeft de uitvoering van deze taken met ingang van 1 april 2013 grotendeels belegd bij de Omgevingsdienst de Vallei.

Bij de handhaafbaarheid van een bestemmingsplan spelen aspecten als communicatie, de planvorm, de normstelling, het daadwerkelijk kunnen handhaven en de controleerbaarheid van normen ook een belangrijke rol.

Randvoorwaarde voor handhaving is dat er voldoende basis/grondslag is om te kunnen handhaven. Deze basis wordt gevormd door:

  • De regeling in het bestemmingsplan zelf: de handhaafbaarheid van de planregels.
  • Het beleid voor afwijkingen.

In het moederplan (bestemmingsplan "Buitengebied 2012"), en daarmee ook in onderhavig wijzigingsplan, is gestreefd naar heldere, eenduidige planregels met zo min mogelijk interpretatiemogelijkheden.

Verder zijn aan de in het moederplan (bestemmingsplan "Buitengebied 2012") opgenomen afwijkingsmogelijkheden duidelijke voorwaarden verbonden, die voldoende objectief bepaalbaar zijn.

Hoofdstuk 7 ECONOMISCHE UITVOERBAARHEID

Op grond van artikel 6.12, eerste lid van de Wet ruimtelijke ordening (Wro) stelt de gemeenteraad een exploitatieplan vast voor gronden waarop een bouwplan voorkomt dat in het Besluit ruimtelijke ordening (Bro) is aangewezen. Tijdens haar vergadering van 27 april 2010 heeft de gemeenteraad de bevoegdheden tot het al dan niet vaststellen van een exploitatieplan bij een besluit tot wijzigen van het bestemmingsplan gedelegeerd aan het college van burgemeester en wethouders.

Nu het onderhavige wijzigingsplan niet de bouw van een hoofdgebouw (of een ander bouwplan zoals dat in artikel 6.2.1 Bro is opgenomen) mogelijk maakt, is dit niet aan de orde.

De kosten voor het opstellen van het plan worden gedekt door het heffen van leges. Voor de kosten van tegemoetkoming in schade, bedoeld in artikel 6.1 van de Wro (planschade) is een afzonderlijke overeenkomst gesloten. De inhoud voldoet aan die van een anterieure overeenkomst in de zin van artikel 6.24 Wro. Er zijn bij dit plan geen andere kosten die in een exploitatieplan of exploitatieovereenkomst opgenomen moeten worden.

Hoofdstuk 8 OVERLEG EN MAATSCHAPPELIJKE UITVOERBAARHEID

De procedure voor het wijzigen van een bestemmingsplan ex artikel 3.6, eerste lid, onder a van de Wro is door de wetgever geregeld. Aangegeven is dat tussen gemeente en verschillende instanties waar nodig overleg over het plan moet worden gevoerd alvorens een ontwerpplan ter visie gelegd kan worden. Daarnaast is er de gelegenheid om in het voortraject belanghebbenden te laten inspreken conform de gemeentelijke verordening. Pas daarna wordt de wettelijke procedure met betrekking tot vaststelling van het wijzigingsplan opgestart (artikel 3.9a Wro).

8.1 Participatie

De initiatiefnemer heeft overleg gevoerd met buren en belanghebbenden. Hierbij zijn de omwonende(n) geïnformeerd over de plannen.

8.2 Overleg ex artikel 3.1.1 Bro

Het Besluit ruimtelijke ordening (artikel 3.1.1) geeft aan dat burgemeester en wethouders bij de voorbereiding van een bestemmingsplan overleg voeren met de besturen van betrokken gemeenten en waterschappen en met die diensten van provincie en Rijk die betrokken zijn bij de zorg voor de ruimtelijke ordening of belast zijn met de behartiging van belangen welke in het plan in het geding zijn.

In artikel 1.1.1, derde lid Bro is bepaald dat in hoofdstuk 3 van het Bro onder een bestemmingsplan (zo ook een partiële herziening) mede een wijzigingsplan als bedoeld in artikel 3.6, eerste lid, onder a van de Wro wordt begrepen.

Er is in het gebied van de voorgenomen ontwikkeling geen sprake van bijzondere waarden of andere situaties waardoor deze ontwikkeling zou raken aan enig nationaal belang. Daarom is afgezien van het voeren van vooroverleg met het Rijk.

Dit plan is gebaseerd op het Functieveranderingsbeleid Regio Food Valley 2016 en voldoet daar ook aan. Geconcludeerd kan worden dat er hier geen provinciale belangen in het geding zijn die om vooroverleg vragen.

Verder is er geen sprake van provinciale belangen, zodat ook is afgezien van vooroverleg met de provincie Gelderland. Op grond van artikel 3.1.1 lid 2 Bro kan derhalve worden afgezien van overleg in door de provincie en het Rijk aangegeven gevallen.

Het Waterschap Vallei & Veluwe heeft aangegeven dat geen vooroverleg nodig is indien de toename van de verharding kleiner is dan 4.000 m² en de waterhuishoudkundige doelen van het waterschap niet in het geding komen door een bestemmingsplan. Hier is sprake van zo een geval. Om die reden heeft geen vooroverleg met het waterschap plaatsgevonden.

Ook belangen van omliggende gemeenten zijn bij dit plan niet in het geding.

8.3 Inspraak

De Wro bevat geen procedurevoorschriften met betrekking tot de inspraak, en is in Wro zelf niet verplicht gesteld. Dat neemt niet weg dat het de gemeente vrij staat toch inspraak te verlenen bijvoorbeeld op grond van de gemeentelijke inspraakverordening. In relatie daarmee bepaalt artikel 150 van de Gemeentewet onder meer dat in een gemeentelijke inspraakverordening moet worden geregeld op welke wijze bovenbedoelde personen en rechtspersonen hun mening kenbaar kunnen maken.

Op 17 november 2008 heeft het college besloten dat voor wijzigingsplannen ex artikel 3.6, eerste lid, onder a van de Wro geen inspraak wordt gevoerd. Derhalve heeft er geen inspraak plaatsgevonden.

8.4 Zienswijzen

Het ontwerpwijzigingsplan heeft van 14 januari tot en met 24 februari 2022 ter inzage gelegen. Gedurende deze periode heeft een ieder de mogelijkheid gehad om een zienswijze naar voren te brengen. Tijdens deze zes weken zijn geen reacties ingediend.

Bijlagen bij de toelichting

Bijlage 1 Lijst intrekkingsbesluit, wijzigingen en herzieningen

Het bestemmingsplan "Buitengebied 2012" (IMRO-idn. NL.IMRO.0203.1056-0004), welk bestemmingsplan is vastgesteld op 28 mei 2013 (en onherroepelijk geworden op 16 september 2015), is inmiddels gewijzigd door het college, herzien door de raad en gewijzigd door een intrekkingsbesluit van de raad. In eerste instantie is een tweetal uitspraken verwerkt:

Daarnaast is het intrekkingsbesluit "Wijziging van het bestemmingsplan "Buitengebied 2012" door het intrekken van enkele onderdelen" (IMRO-idn. NL.IMRO.0203.IB1056-0001), vastgesteld op 11 november 2014, verwerkt, waardoor enkele onderdelen (diverse locaties) van het moederplan "Buitengebied 2012" zijn ingetrokken. Daarnaast is het bestemmingsplan "Buitengebied 2012" inmiddels vervangen door een aantal bestemmingsplannen (met op zichzelf staande bestemmingsplanregelingen, de zogenaamde postzegelplannen) en tevens een provinciaal inpassingsplan "Rondweg Voorthuizen N303" (met IMRO-idn. NL.IMRO.9925.IPN303Voorthuizen-VST1). Deze plannen zijn niet relevant, in die zin dat ze geen planologische gevolgen hebben, voor onderhavig plan.

Verder is een aantal uiteenlopende wijzigingsplannen door het college - met toepassing van de binnen het bestemmingsplan "Buitengebied 2012" opgenomen wijzigingsbevoegdheden - en partiële herzieningen door de raad vastgesteld en verwerkt. De wijzigingsplannen en een deel van de partiële herzieningen zijn op perceelsniveau doorgevoerd en hebben geen directe invloed op (op het gehele grondgebied van) onderhavig plan. De volgende partiële herzieningen zijn doorgevoerd, waarbij ook de regels van het moederplan c.q. het bestemmingsplan "Buitengebied 2012" zijn gewijzigd en daarmee wel van invloed zijn op onderhavig plan:

Naam partiële herziening   IMRO-identificatie-
nummer  
Datum vastgesteld  
4e partiële herziening Buitengebied 2012   NL.IMRO.0203.1268-0002   13-4-2016  
Apeldoornsestraat-Kieftveen, partiële herziening Buitengebied 2012   NL.IMRO.0203.1368-0002   14-12-2016  
Bosbergerweg I, partiële herziening Buitengebied 2012   NL.IMRO.0203.1580-0002   3-2-2021  
Dronkelaarseweg III, partiële herziening Buitengebied 2012   NL.IMRO.0203.1611-0002   26-5-2021  
Elzenkamperweg I, partiële herziening Buitengebied 2012   NL.IMRO.0203.1467-0002   4-7-2018  
Esvelderweg IV, partiële herziening Buitengebied 2012   NL.IMRO.0203.1397-0002   30-1-2019  
Esvelderweg-Vinkekampweg, partiële herziening Buitengebied 2012   NL.IMRO.0203.1484-0002   22-5-2019  
Garderbroekerweg-Harskamperweg, partiële herziening Buitengebied 2012   NL.IMRO.0203.1371-0002   24-5-2017  
Grote Muntweg I, partiële herziening Buitengebied 2012   NL.IMRO.0203.1414-0002   31-1-2018  
Harremaatweg I, partiële herziening Buitengebied 2012   NL.IMRO.0203.1366-0002   1-2-2017  
Kerkendelweg IV, partiële herziening Buitengebied 2012   NL.IMRO.0203.1440-0002   25-4-2018  
Kerkweg III, partiële herziening Buitengebied 2012   NL.IMRO.0203.1510-0002   9-10-2019  
Lange Zuiderweg V, partiële herziening Buitengebied 2012   NL.IMRO.0203.1475-0002   14-11-2018  
Meentweg-Valkseweg, partiële herziening Buitengebied 2012   NL.IMRO.0203.1439-0002   7-3-2018  
Overhorsterweg II, partiële herziening Buitengebied 2012   NL.IMRO.0203.1485-0002   10-7-2019  
Parapluherziening De Puurveense Molen   NL.IMRO.0203.1248-0002   30-9-2014  
Parapluherziening Molenbiotopen   NL.IMRO.0203.1598-0002   21-4-2021  
Parapluherziening functieveranderingsbeleid 2016 en woninginhoud   NL.IMRO.0203.1391-0002   5-7-2017  
partiële herziening bestemmingsplan Buitengebied 2012   NL.IMRO.0203.1241-0001   25-2-2014  
Plaggenweg I, partiële herziening Buitengebied 2012   NL.IMRO.0203.1370-0002   1-2-2017  
Tolnegenweg I, partiële herziening Buitengebied 2012   NL.IMRO.0203.1596-0002   18-3-2021  
Tweede partiële herziening Buitengebied 2012   NL.IMRO.0203.1253-0003   8-7-2014  
Vergroten inhoud woningen, partiële herziening Buitengebied 2012   NL.IMRO.0203.1376-0002   1-2-2017  
Verzamelherziening Buitengebied 2012   NL.IMRO.0203.1349-0002   8-11-2017  
Vinkelaar II, partiële herziening Buitengebied 2012   NL.IMRO.0203.1421-0002   7-3-2018  
Vrouwenweg I, partiële herziening Buitengebied 2012   NL.IMRO.0203.1501-0002   10-7-2019  
Welgelegenweg III, partiële herziening Buitengebied 2012   NL.IMRO.0203.1503-0002   10-7-2019  
Zeumerseweg I, partiële herziening Buitengebied 2012   NL.IMRO.0203.1529-0002   11-12-2019