direct naar inhoud van Toelichting
Plan: Bestemmingsplan Hortusbuurt-Noorderplantsoen geconsolideerde versie
Status: geconsolideerd
Plantype: bestemmingsplan
IMRO-idn: NL.IMRO.0014.BP572HortusbNplaGV-gv01

Toelichting

Hoofdstuk 1 Inleiding

1.1 Aanleiding en doel

Het voorliggend bestemmingsplan is opgesteld om de Hortusbuurt en het Noorderplantsoen van een actueel juridisch-planologisch kader te voorzien. In het bestemmingsplan is ook het gebied rond De Beren (het voormalige Circusterrein) meegenomen.

In het plangebied geldt op dit moment een aantal plannen, die, in meer of mindere mate, verouderd zijn. Dit is een ongewenste situatie. Sinds 1 juli 2008 is de nieuwe Wet ruimtelijke ordening (Wro) van kracht die voorschrijft dat bestemmingsplannen elke 10 jaar moeten worden herzien. In 2006 is daarom het actualiseringstraject van bestemmingsplannen ingezet, dat ertoe moet leiden dat het hele grondgebied van de gemeente in 2013 van actuele bestemmingsplannen is voorzien. Dit bestemmingsplan komt voort uit het genoemde traject. In hoofdzaak is de bestaande situatie, inclusief reeds vergunde bouwprojecten en enkele ontwikkelingen, vastgelegd. Nieuwe ontwikkelingen die nog onvoldoende zijn uitgekristalliseerd, zijn niet meegenomen. In de volgende hoofdstukken is de juridisch-planologische regeling van het plangebied nader gemotiveerd.

1.2 Geconsolideerde versie

Het bestemmingsplan Hortusbuurt - Noorderplantsoen is door de raad van Groningen vastgesteld op 26 juni 2013. Sindsdien zijn er 3 facetbestemmingsplannen door de gemeenteraad vastgesteld die wijzigingen in die versie hebben aangebracht. Het zijn de volgende plannen:

  • Woningsplitsing, vastgesteld op 23 april 2014
  • Facetherziening parkeren, vastgesteld op 8 juni 2016
  • Herziening bestemmingsregels wonen, vastgesteld op 19 april 2017.

In deze geconsolideerde versie zijn de wijzigingen uit deze drie plannen verwerkt. Het gaat daarbij niet alleen om bestemnmingsregels, maar ook om begripsbepalingen en algemene bepalingen. Ook de wijzigingen op de verbeelding zijn verwerkt in een geconsolideerde verbeelding.

1.3 Begrenzing plangebied

De Hortusbuurt ligt ten noorden van het centrum van de stad Groningen en wordt begrensd door het Noorderplantsoen, het Boterdiep en de Diepenring. Het Noorderplantsoen ligt er als een schil aan de noordwestkant omheen. Het plangebied van dit bestemmingsplan Hortusbuurt - Noorderplantsoen omvat dit hele gebied met één belangrijke extra. Het gebied tussen Korrewegwijk, Singelstraat, P.J.van Kerckhoffstraat, Bloemsingel en Boterdiep valt ook onder dit bestemmingsplan. Het betreft het zogenaamde Circusterrein (onderdeel van CiBoGa) waar nu winkelcentrum De Beren en woongebied Monnikhof is gevestigd. De twee plandelen zijn van elkaar gescheiden door het Boterdiep.

afbeelding "i_NL.IMRO.0014.BP572HortusbNplaGV-gv01_0001.jpg"

Ligging van het plangebied Hortusbuurt - Noorderplantsoen

Hoofdstuk 2 De ruimtelijk - functionele structuur van de Hortusbuurt en het Noorderplantsoen

2.1 Ruimtelijke structuur

2.1.1 Cultuurhistorie en archeologie

De vroegste geschiedenis

De Hortusbuurt is gelegen op de Hondsrug. Deze zandrug steekt vanouds nadrukkelijk uit boven het omringende laaggelegen kleigebied, de oorspronkelijke stroomdalen van de Hunze aan de oostzijde en de Drentse A aan de westzijde. De Hortusbuurt maakt samen met de binnenstad en het plangebied Binnenstad-Oost deel uit van een terrein van hoge archeologische waarde. Binnen dit gebied ligt in de ondergrond de bewonings- en ontstaansgeschiedenis van Groningen opgeslagen, en is dus zeer waardevol voor de stad. Hieronder wordt een kort overzicht gegeven van de ontstaans- en bewoningsgeschiedenis van de Hortusbuurt in de diverse (archeologische) perioden.

Midden-ijzertijd

In de prehistorie is de Hondsrug in verschillende perioden bewoond geweest. De oudste sporen van agrarische activiteit dateren van circa 300 voor Christus, de midden-ijzertijd. Het betreft twee waterputten, die werden aangetroffen bij archeologische opgravingen aan de noordzijde van het Guyotplein. Het erf dat bij deze twee waterputten behoorde, is tot ongeveer het begin van de jaartelling verplaatst in oostelijke richting. Enkele los gevonden scherven ten oosten van de Nieuwe Kerk wijzen in deze richting. In de derde eeuw bevond het erf zich in de omgeving van de Nieuwe Kijk in 't Jatstraat en Grote Kruisstraat, om daarna uit het archeologische blikveld te verdwijnen.

Middeleeuwen

In de vroege Middeleeuwen concentreerde de bewoning op de Hondsrug zich in de latere binnenstad. In het gebied dat nu de Hortusbuurt genoemd wordt lag zeer verspreid een klein aantal boerenbedrijven, waarschijnlijk in de omgeving van de latere Nieuwe Kerk. Daar splitste zich de oude landroute vanuit Drenthe in tweeën naar de kleigebieden in het noorden.

afbeelding "i_NL.IMRO.0014.BP572HortusbNplaGV-gv01_0002.jpg"

Uitsnede kaart van Jacob van Deventer, circa 1565. Splitsing van de huidige Nieuwe Boteringestraat en de verdwenen Cleiweg ter hoogte van de Nieuwe Kerk

Naarmate het toenmalige dorp Groningen in de loop van de Middeleeuwen haar grenzen verlegde, schoven de bijbehorende akkers en essen steeds verder naar buiten. De uiteindelijke noordrand van die noord-es moet ongeveer worden gezocht bij het huidige Noorderplantsoen. Rond 1100 na Christus werd deze noord-es gescheiden van de bebouwing van Groningen door de aanleg van een stadswal en gracht. Aan het einde van de Oude Boteringestraat werd toen een poort gebouwd. In de 16de eeuw werd vóór deze poort een rondeel aangelegd. Aan de buitenkant daarvan lag een brede gracht. Na demping van deze gracht rond 1620 kwam op de plaats hiervan en van het rondeel de Ossenmarkt en het Guyotplein te liggen, waarschijnlijk mede omdat op de grachten niet kon worden gebouwd.

Late Middeleeuwen

Aan het einde van de Middeleeuwen werd de es opgedeeld in kleine stukjes, waardoor deze het karakter van moestuin kreeg. Tegelijkertijd was er buiten de stadse wallen en grachten sprake van bebouwing, waaronder enkele molens. Deze bebouwing bevond zich langs de wegen en was geconcentreerd bij een knooppunt van vaar- en landwegen aan de zuidoostkant van het plangebied: ongeveer de kruising van de Turfsingel-noordzijde met het Gedempte Boterdiep. Hier kwam het rond 1400 gegraven Selwerderdiep samen met de stadsgracht en liep de oostelijker gelegen Kleisloot of Boterdiep dood tegen een dam. De westelijke oever van deze Kleisloot kon bij een archeologische begeleiding van het plaatsen van een ondergrondse afvalcontainer worden opgetekend ter hoogte van de Brouwerstraat. Het Selwerderdiep liep in noord-noordwestelijke richting tot onder het noordelijke deel van de Nieuwe Ebbingestraat om tenslotte via ongeveer de Rodeweg uit te komen in een oude bocht van de Hunze bij de wijk De Hoogte. De Kleisloot en -weg vormde een water- en landverbinding met Bedum. Het gedeelte van de Kleisloot dat in het begin van de 17de eeuw in de Nieuwe Stad kwam te liggen, werd verbreed. Het Selwerderdiep werd gedempt en overbouwd.

De nieuwe stadsuitleg (1616- 1624)

Aan het einde van de 16de eeuw bleek het verdedigingssysteem van de stad Groningen niet langer afdoende. Na de Reductie van Groningen in 1594, waarbij de stad van Spaanse handen overging in staatse, werd in nauw overleg met Prins Maurits besloten de verzwakte 15de -eeuwse omwalling te vervangen door een nieuw verdedigingsstelsel. Stadsonderbouwmeester, na 1623 stadsbouwmeester, Garwer Peters, bracht dit plan met enkele verbeteringen tot uitvoering in de periode 1616-1624. Het nieuwe verdedigingsstelsel was opgebouwd uit een 7000 meter lange zware aarden wal, met onderwal en natte gracht en omvatte in totaal 17 bastions, ook wel dwingers genoemd, 7 poorten en 5 waterpoorten.

afbeelding "i_NL.IMRO.0014.BP572HortusbNplaGV-gv01_0003.jpg"

Kaart van Nicolaes van Geelkercken, 1616. Te zien is het al gerealiseerde en nog uit te voeren deel van de nieuwe vestingwal met links de noordelijke uitleg (Hortusbuurt)

De uitleg kwam vooral aan de noordzijde van de middeleeuwse stad tot stand. Ondanks door de Ommelanden geuite twijfels over de wenselijkheid van een dergelijke grote uitbreiding, die bijna een verdubbeling van het bestaande stadsoppervlak betekende, nam het stadsbestuur de uitbreiding voortvarend ter hand. De aanwezige moestuinen verdwenen naar het noordelijkste deel van de Hondsrug, buiten de nieuwe Boteringepoort; de molens kregen een plaats op de nieuwe bastions of dwingers. De geologische gesteldheid van de bodem en de logische verlenging van de noord-zuid lopende straten in de middeleeuwse stad en de vorm van de vesting bepaalden de richting van de nieuwe straten.

Het stratenpatroon

De Kijk in 't Jatstraat, de Boteringestraat en de Ebbingestraat werden vanuit de middeleeuwse stad verlengd; door de verbindende dwarsstraten ontstond een orthogonaal stratenpatroon. De Nieuwe Boteringestraat volgt globaal het beloop van een al bestaande weg over het verlengde van de zandrug, een laatste uitloper van de Hondsrug. De Nieuwe Ebbingestraat loopt niet exact parallel aan de Boteringestraat omdat deze diende uit te komen in het midden van een courtine (courtine (F.): het tussen twee naar de veldzijde uitstekende punten van een bastion gelegen stuk muur of wal) van de nieuwe vesting. Alleen het beloop van de smallere Nieuwe Kijk in 't Jatstraat, die als enige niet aansloot op een stadspoort, is volledig nieuw ontworpen. De dwarsstraten staan loodrecht op de Nieuwe Boteringestraat, in die tijd de belangrijkste straat in dit stadsdeel. Zij eindigen aan de oost- en westkant op de nieuwe stadswallen. Zo is een regelmatig raster ontstaan van drie noord-zuidgerichte hoofdstraten, de Nieuwe Kijk in 't Jatstraat (circa twaalf meter breed), de Nieuwe Boteringestraat en de Nieuwe Ebbingestraat (beide circa zestien meter breed). De loodrecht hierop staande dwarsstraten hebben een breedte van ongeveer twaalf meter.

Verkaveling

De vormgeving van het verkavelingspatroon in de noordelijke uitleg is in sterke mate bepaald door de dan geldende militair-wetenschappelijke denkbeelden over de inrichting van de ídeale stad. In deze periode van de Hollandse Renaissance gingen esthetische regels samen met bouweconomische principes. De rechthoekige structuur werd ook wenselijk geacht voor het volledig en gemakkelijk verkavelen van de uit te geven percelen. In de oorspronkelijke opzet voor de indeling van het gebied ging het stadsbestuur uit van een regelmatige blokverkaveling met een standaardperceel van 2 bij 5 roeden (circa 8 bij 20 meter). Kenmerkend voor de verkaveling is het in rechthoekige bouwblokken aaneengesloten bouwen in de naar de openbare weg gekeerde voorgevelrooilijn. Omdat de blokken maar langzaam vol raakten, werd al snel afgeweken van het standaardperceel. Langs de Nieuwe Boteringestraat bijvoorbeeld is de perceelsbreedte in veel gevallen 1½ roeden bij een diepte van 11 roeden (bijna 50 meter). Ook in de lengte van de bouwblokken komen afwijkingen voor. Dit komt onder andere door het beloop van de Nieuwe Boteringestraat die in noordelijke richting steeds dichter bij de Nieuwe Kijk in 't Jatstraat komt te liggen. De tussenliggende bouwblokken worden steeds kleiner en onregelmatiger. Opvallend is het verschil in diepte tussen de westelijke en oostelijke bouwblokken aan de Ossenmarkt/Guyotplein. In het oostelijke bouwblok lopen de percelen diep tot aan het Nieuwe Kerkhof, met aan de achterzijde veelal dienstgebouwen als stallen en koetshuizen.

Openbare ruimte

Bij de invulling van het regelmatige stratenpatroon kwamen onbebouwde open ruimten voor, waarbij de Boteringestraat de centrale as vormde. Aan de noordzijde van het Lopende Diep werd ten behoeve van de veehandel een rechthoekig marktplein aangelegd, de Ossenmarkt. Het westelijke deel van de Ossenmarkt is het latere Guyotplein. Meer naar het noorden, op het hoogste punt van de uitleg, werd in 1622 een rechthoekig kerkhof aangelegd, dat aanvankelijk het Nieuwe kerkhof van Sint Walburg werd genoemd. Hier stond in de 16de eeuw al een kapel. Dit kerkhof wordt aan één korte zijde begrensd door de Nieuwe Boteringestraat en aan de beide lange zijden door twee dwarsstraten; de Zuiderkerkstraat en de Noorderkerkstraat. Na een pestepidemie kreeg het kerkhof een ommuring. Pas in de jaren 1660-1665 werd in het midden van het terrein de Nieuwe Kerk gebouwd naar een ontwerp van Coenraet Roeleffs en geïnspireerd op de Noorderkerk te Amsterdam. De gelijkarmige kruiskerk is gebouwd op een symmetrisch grondplan en staat centraal op het kerkhof, dat de naam Nieuwe Kerkhof kreeg. De radiaal aangelegde toegangspaden met boombeplanting zijn een mooi voorbeeld van de geometrische, 17de-eeuwse aanleg.

Bebouwing

In het begin bepaalde het stadsbestuur dat de percelen verpacht en zoveel mogelijk bebouwd moesten worden en wel met een stenen gebouw van tenminste twee verdiepingen om het gebied een echt stedelijk karakter te geven. De vroegste bebouwing concentreert zich vooral langs het Lopende Diep en Ossenmarkt, Marktstraat en het begin van zowel de Nieuwe Boteringestraat en de Nieuwe Ebbingestraat. Vooral aan de Ossenmarkt, de Spilsluizen en de Marktstraat verrezen brede en monumentale dwarshuizen. Elders waren dit diephuizen of kleine eenlaagse huisjes. Over het algemeen raakten de grote bouwblokken maar langzaam vol. Kennelijk was de behoefte aan de aangeboden bouwkavels niet erg groot en konden maar weinigen voldoen aan de verplichting om in twee lagen te bouwen. Aan de drie hoofdstraten, met uitzondering van het begin van de Nieuwe Ebbingestraat en de Nieuwe Boteringestraat, en vooral aan de dwarsstraten bestond de bebouwing over het algemeen uit woonhuizen van slechts één bouwlaag met een kap, zogenaamde eenkamerwoningen. Onder de bedstede was vaak een keldertje aangebracht. Op diverse plaatsen, afhankelijk van de eigendomssituatie, hebben deze huisjes een blinde achtergevel en geen tuin. Met name langs de randen van de Hortusbuurt bleven bouwblokken tot in de 19de eeuw grotendeels onbebouwd.

Voor de hele Hortusbuurt is een driedeling te maken, die nu nog steeds zichtbaar is:

  • 1. de belangrijkste panden met twee bouwlagen (dwarshuizen) staan aan de Ossenmarkt, het Lopende Diep en de Noorderhaven;
  • 2. een tweede groep (tweelaagse diephuizen) staat aan de doorgaande wegen zoals de Nieuwe Boteringestraat;
  • 3. de derde groep (eenlaagse huizen) staat vooral aan de dwarsstraten en de Nieuwe Kijk in 't Jatstraat.

De woonhuizen uit de tweede groep zijn qua opzet vergelijkbaar met die van de binnenstad. Vooral in de tweede helft van de 19de eeuw en in de 20ste eeuw zijn diverse 17de eeuwse huizen gemoderniseerd en vergroot. Divers eenlaagse huizen werden verhoogd met een bouwlaag.

De periode 1650 - 1874

Omstreeks 1650 zijn de terreinen in de noordelijke uitleg nog maar voor een klein deel bebouwd, met uitzondering van bebouwingsconcentraties nabij de stadskant bij de Spilsluizen en de Noorderhaven, de Ossenmarkt, de Nieuwe Boteringestraat, de Nieuwe Ebbingestraat en het Boterdiep.

afbeelding "i_NL.IMRO.0014.BP572HortusbNplaGV-gv01_0004.jpg"

De kaart van Haubois met links de Hortusbuurt, circa 1643

Vooral de omgeving van de Ossenmarkt is bij de meer welgestelde burgers in trek. Zij laten grote woonhuizen op fors bemeten en brede percelen bouwen. De stadsbestuurders streefden naar een standaardbreedte, maar daar werd in de praktijk vanaf geweken. De percelen werden zo'n 13 tot 16 meter breed. Het terrein tussen de Grote Kruisstraat, de Grote Rozenstraat en de Nieuwe Kijk in 't Jatstraat werd naar verhouding intensiever gebruikt doordat het in 1642 in handen kwam van de Groninger Academie (Universiteit), die er de Hortus Botanicus vestigde. Deze Hortus, waaraan de buurt haar naam ontleent, is ontstaan uit een particuliere kruidentuin, die de Groninger apotheker Henricus Munting in 1626 aanlegde aan de Grote Rozenstraat. In de tweede helft van de 17de eeuw heeft de stedenbouwkundige structuur amper wijzigingen ondergaan als gevolg van langdurige economische recessie. Bovendien was het aantal inwoners van de stad sterk achteruitgegaan als gevolg van een pestepidemie in de jaren twintig van de 17de eeuw. Wel werden in de noordelijke uitleg twee gasthuizen gesticht, het Anna Varwers Gasthuis (1635) aan de Nieuwe Kijk in 't Jatstraat en het Juffer Tette Alberda Gasthuis (1658) aan het Nieuwe Kerkhof. Later, vanaf de tweede helft van de 19de eeuw, zouden er nog meer volgen.

afbeelding "i_NL.IMRO.0014.BP572HortusbNplaGV-gv01_0005.jpg"

Kadastrale Minuut, circa 1832

Tot ver in de 19de eeuw bleef de Hortusbuurt een gebied met een uitgesproken landelijk karakter door de aanwezigheid van de wallen, veel moestuinen, koemelkerijen en tuinen op de grote binnenterreinen, waaronder de Hortus Botanicus. Het westelijke gedeelte van de Ossenmarkt werd in de 18de eeuw beplant met bomen zoals dat rondom het oostelijke deel al eerder gebeurde. Zij heette voortaan Beplante Ossenmarkt. Pas vanaf 1890 kreeg dit westelijke deel de naam Guyotplein, genoemd naar de oprichter van het eerste Nederlandse Doofstommen Instituut (Groningen, 1790). De Ossenmarkt behield tot 1892 de functie als veemarkt. In dat jaar vertrok deze naar de nieuwe Veemarkt in de Oosterpoortwijk.

Het westelijke gedeelte nabij de Noorderhaven en omgeving ontwikkelde zich meer en meer als havengebied. In 1733 werd tussen de Zoutstraat en de Havenstraat een diep bouwblok bebouwd met een voor die tijd imposant, nog bestaand dubbel pakhuis van vijf bouwlagen ten behoeve van een rietsuikerraffinaderij. Deze heeft bestaan tot 1824. Ten westen hiervan, op de plaats van de huidige Werfstraat, lag de scheepstimmerwerf van de West Indische Compagnie. Een herinnering aan de militaire functie van de vesting zijn de kazernegebouwen die in de eerste decennia van de 19de eeuw werden gebouwd op het grote binnenterrein in het bouwblok ten noorden van het Nieuwe Kerkhof, de 'Nieuwe Kazernen'.

Wijzigingen in de waterhuishouding

Het nieuwe stadsdeel telde in het noorden slechts twee poorten: de Nieuwe Boteringepoort (1617) en de Nieuwe Ebbingepoort (1621). Ten oosten van de Ebbingepoort vormde de ligging van twee bestaande waterwegen, de Cleisloot en het Selwerderdiep, een probleem. Men wilde de courtine van de Ebbingepoort niet laten verzwakken door twee waterpijpen. Dit resulteerde in de aanleg van slechts één waterpoort in de courtine direct naast de Ebbingepoort. Een gedeelte van de Cleisloot kwam door de aanleg van de vesting binnen de stadsgrenzen te liggen en werd Boterdiep genoemd, nadat het tot een vaart werd vergraven. Om te voorkomen dat overtollig water uit het hoger gelegen Schuitendiep overstroomde in de Cleisloot, werd de monding van het Boterdiep afgesloten door een dam. In 1623 werd hierop de Steenmarkt aangelegd, een overslagplaats voor goederen. Deze open ruimte aan het begin van het Boterdiep is nog steeds te herkennen in de situatie ter plaatse.

Het Lopende Diep en de Noorderhaven aan de zuidkant van de uitleg zijn een vergraving van de laatmiddeleeuwse stadsgracht. Via een waterpoort in de 17de-eeuwse wal stond de Noorderhaven in open verbinding met de zee. Het diep kreeg met de nieuwe uitleg een nieuwe functie. Scheepvaartverkeer over het Schuitendiep (aan de oostkant van de stad) en over het Reitdiep (aan de noordwestkant) werd hier langs geleid. De kaden aan weerszijden, vanaf de Oude Ebbingepoort tot aan de Kranepijp in het westen, werden in 1626 aangelegd. De scheepstimmerwerf van de West Indische Compagnie aan de noordzijde van het diep, net binnen de nieuwe wallen, zorgde voor economische bedrijvigheid in het westelijke deel van de Noorderhaven en omgeving.

Onderwijs
In 1868 werd ten noorden van de Hortus aan de Grote Kruisstraat de eerste Rijks-HBS van Nederland gebouwd. Het monumentale gebouw kreeg een groot voorplein en werd later uitgebreid met diverse vleugels. Een belangrijke bouwimpuls kwam in het begin van de 19de eeuw uit het onderwijs met de komst van het Doveninstituut van Henri Daniël Guyot, predikant van de Waalse gemeente in Groningen. Door de aankoop van drie percelen aan de Ossenmarkt werd de basis gelegd voor verdere ontwikkeling van deze locatie en latere schaalvergroting. Daardoor werd de structuur van het westelijke bouwblok aan de Ossenmarkt sterk gewijzigd. Het Guyot-complex van het Doofstommeninstituut werd in 1893 uitgebreid met een schoolgebouw en een Israëlitisch kosthuis aan het begin van de Nieuwe Kijk in 't Jatstraat. Ook werden er lagere scholen gebouwd, veelal op de nog opengebleven binnenterreinen zoals aan de Violenstraat. Een van de vroegste gemeentelijke schoolgebouwen van de stad werd gebouwd in 1840 aan de Nieuwe Kijk in 't Jatstraat, de Noorderbewaarschool. Het gebouw is een van de twee laatst overgebleven bewaarscholen in de stad en is nog steeds als school in gebruik.

Rond de 17de -eeuwse Hortus Botanicus werd in 1899 aan de Grote Rozenstraat een voor zijn tijd ultramodern Botanisch Laboratorium gebouwd met aansluitende dienstwoningen en voorzieningen (ontwerp rijksbouwmeester J. van Lokhorst). Kort voor de eeuwwisseling nam de groei van de universiteit een hoge vlucht. Door onderwijsontwikkelingen in vooral de medische en exacte vakken werden, veelal aan de randen van de binnenstad op de voormalige vestingterreinen, moderne en praktische ingerichte laboratoria gebouwd. De Universiteit trok ook andere onderwijsinstellingen aan. Aan de Boteringesingel werden twee scholen gebouwd ten behoeve van het lager onderwijs en het beroepsonderwijs (ambachtsschool). De westelijke school werd in circa 2000 gesloopt; hier staat nu een appartementencomplex. In 1924 volgde de bouw van de eerste Christelijke HBS aan de zuidzijde van de Grote Rozenstraat tegenover het Botanisch Laboratorium.

Na de ontmanteling van de vesting (1874)

Met de totstandkoming van de Vestingwet in 1874 konden de vestingwerken gesloopt worden. De stad was overvol geraakt en de nauwe toegangspoorten vormden een belemmering voor het toenemende verkeer. Dit leidde tot het ontstaan van krotwoningen en sloppenbuurtjes, niet alleen in de binnenstad. Berucht waren de sloppenstraatjes in het westelijke deel van de Hortusbuurt, gelegen tussen de Grote Rozenstraat en de Grote Leliestraat die doodliepen op de vestingwal. Buiten de stadspoorten werd op grote schaal illegaal gebouwd. De door het Rijk aangestelde 'ingenieur der Domeinen', F.W. van Gendt, maakte in 1876 een globaal plan van ontmanteling en uitleg. Aan de noordkant van de stad projecteerde hij een stadspark op de vier 17de -eeuwse bolwerken, gelegen tussen het Boterdiep en Reitdiep: de Boteringe-, de Jats-, de Kruid- en de Reitdiepsdwinger. Voor het oostelijke deel was het plan minder gedetailleerd omdat over dit gebied onderhandelingen gaande waren met de provincie. Twee jaar later, in 1880, volgde een gedetailleerde stedenbouwkundige bewerking van het plan Van Gendt door de Haagse architect Bert Brouwer. Hierin is alleen de Jatsdwinger nog voor plantsoenaanleg bestemd.

Noorderplantsoen

De ontmanteling van de vesting leidde tot een aantal ingrijpende ruimtelijke wijzingen, niet alleen ter plaatse van de wallen zelf, maar ook voor de aan de buitenzijde aanliggende gronden. De prijs die de Staat der Nederlanden vroeg voor de voormalige militaire terreinen was zodanig dat de gemeente volstond met de aankoop van het gedeelte tussen Boterdiep en Reitdiep. Het plan Brouwer en het daaropvolgende schetsontwerp van stadsbouwmeester J.G. van Beusekom leidden in 1879 tot de realisatie van een park dat zich uitstrekte over de voormalige Jatsdwinger en de noordelijke helft van de Kruiddwinger: het gebied tussen de Nieuwe Boteringestraat en de Grote Kruisstraat. De ovaalvormige openbare ruimte uit het plan Brouwer is overgenomen als centrale ruimte met een vijverpartij. De hoogteverschillen, structuur van de vesting en de heersende mode bepaalden de aanleg van het Noorderplantsoen in Engelse landschapsstijl. Kenmerkend zijn de asymmetrische aanleg, slingerende paden, waterpartijen, zichtlijnen in combinatie met hoogteverschillen en zacht glooiende grasvelden. In 1881 werd het plantsoen uitgebreid met het gebied van de voormalige Boteringedwinger naar ontwerp van P.H. Harreveld, stadsopzichter der plantsoenen. Tegelijkertijd werd de Utrechtse landschapsarchitect H. Copijn aangetrokken voor het ontwerp en aanleg van het laatste parkdeel op het resterende zuidelijke deel van de Kruiddwinger en de Reitdiepsdwinger.

afbeelding "i_NL.IMRO.0014.BP572HortusbNplaGV-gv01_0006.jpg"

Overzicht van de gefaseerde aanleg van het Noorderplantsoen

Handel, industrie en nijverheid

In het laatste kwart van de 19de eeuw had de stad zich ontwikkeld tot het centrum van de bloeiende graanhandel. De Korenbeurs (1864) was de plek waar al het inlandse graan werd verhandeld. Aan de Noorderhaven en omgeving verrezen tal van grote graanpakhuizen en overslagbedrijven. De imposante schaal en omvang van een aantal pakhuizen zoals 'Albion' en 'Engeland' getuigen van deze ontwikkeling. Ook het Boterdiep in het oostelijk deel van het plangebied trok diverse handel en nijverheid aan. Ook hier werden pakhuizen gebouwd (westzijde) en vestigden zich bedrijven. Aan het Nieuwe Kerkhof oostzijde, achter de Nieuwe Kerk, vestigden zich kleinschalige bedrijfjes (smederijen, tabak, pakhuizen) waarvan enkele zouden uitgroeien tot fabrieken van naam en faam zoals de rijwielfabriek van Fongers en de tabaksfabriek van Theodorus Niemeijer.

De periode 1900 - 1945

In de eerste helft van de 20ste eeuw vinden in het gebied weinig structuurwijzigingen plaats. Op de nog open terreinen in het gebied werden bijzondere functies ondergebracht. Zo werd in 1909 op de plek van de voormalige scheepswerf aan de Noorderhaven bij het Noorderplantsoen de Coöperatieve Stoomzuivelfabriek en Melkinrichting 'Stad en Lande' gebouwd. De allure van de plek vertaalde zich in de architectuur van het gebouw in Jugendstil. De fabriek ging al in 1923 failliet maar het gebouw is blijven bestaan en aangepast voor bewoning. In 1929 werd aan het noordelijke deel van de Nieuwe Kijk in 't Jatstraat (westzijde) een confectieatelier gebouwd (ontwerp architect G. Saville). Het complex nam bijna het gehele bouwblok in beslag tussen de Nieuwe Kijk in 't Jatstraat, de Noorderbinnensingel en de Grote Appelstraat. Het gebouw werd later in gebruik genomen door het Volkenkundig Museum en is nu verbouwd tot wooneenheden. In 1908 volgde de bouw van de watertoren aan de Noorderbinnensingel. Hoe landelijk de noordkant van de Hortusbuurt nog was, blijkt uit de aanwezigheid van grote gemeentelijke kassen en kwekerijen op deze plek en het complex van het aangrenzende Remonstrants Gasthuis. De watertoren werd gebouwd ten behoeve van de watervoorziening van het Academisch Ziekenhuis. De toren bezit een voor Nederland unieke stalen constructie naar Duits ontwerp. Tot in de jaren zeventig bleef de toren in gebruik.

afbeelding "i_NL.IMRO.0014.BP572HortusbNplaGV-gv01_0007.jpg"

Watertoren met gemeentekassen, circa 1955

Vooroorlogse stadssanering

Nog tot in de jaren dertig van de 20ste eeuw bestonden er in het westelijke gedeelte van de Hortusbuurt sloppenbuurtjes waarvan de kleine straatjes en steegjes met eenvoudige eenlaagse arbeiderswoningen dood liepen op de vergraven wal van het Noorderplantsoen nabij de Noorderbinnensingel. Kort voor de Tweede Wereldoorlog in 1939 volgde een grootscheepse sanering van dit gebied. De sloppen werden gesloopt om plaats te maken voor een groot complex etagewoningen van drie bouwlagen met kappen. De lange gesloten gevelwand loopt evenwijdig met de wal van het Noorderplantsoen en is op een aantal plaatsen onderbroken waar de bestaande zijstraten uitkomen. Een poortdoorgang in het zuidelijke gedeelte verschaft toegang naar een groot binnenterrein met hofwoningen, eveneens uit 1939. Ten noorden van het complex was in 1931 nog een nieuw gasthuis gebouwd aan de Noorderbinnensingel, het Jan Luitjes of Jannes Baroldi Gasthuis. Het ligt evenwijdig aan de wal van het Noorderplantsoen maar het middeldeel van de hofbebouwing is iets teruggeplaatst uit de rooilijn (ontwerp E. van Linge).

afbeelding "i_NL.IMRO.0014.BP572HortusbNplaGV-gv01_0008.jpg"

Stadsvernieuwing langs de Noorderbinnensingel, 1939

In de periode na 1945 gaat de universiteit als eigenaar van onroerend goed in de binnenstad een steeds belangrijker rol spelen. Diverse pogingen worden ondernomen om aan de onhoudbare situatie van de behuizing der Alfa-faculteitsafdelingen in de binnenstad een eind te maken. Na diverse plannen werd uiteindelijk in 1965 besloten om de gehele Alfa-faculteit onder één dak te brengen in de Hortusbuurt. Na het definitieve vertrek van de Hortus en de botanische kassen naar Haren (1966) kwam in 1967 het Alfa-gebouw van de huidige Faculteit Gedrags- en Maatschappijwetenschappen tot stand aan de Grote Kruisstraat. Het grootschalige gebouw vormt een grote afwijking in de historische fijnmazige structuur van het Hortusgebied.

afbeelding "i_NL.IMRO.0014.BP572HortusbNplaGV-gv01_0009.jpg"

Luchtfoto van de Hortusbuurt vanuit het zuiden, circa 1955


In de jaren zeventig en tachtig vond aan de randen in het noordelijke deel nabij de Nieuwe Kijk in 't Jatstraat en de Noorderbinnensingel stadsvernieuwing plaats. Tegelijkertijd raakte de watertoren aan de Noorderbinnensingel haar functie definitief kwijt.

Het Struktuurplan binnenstad Groningen 1969

In de Tweede Nota over de Ruimtelijke Ordening in Nederland (1966) werd voor de stad Groningen een inwoneraantal voorspeld van 250.000 à 500.000 inwoners in het jaar 2000. Dit zou mede tot stand worden gebracht door een nationaal beleid dat er op gericht was de dichtslibbing van het westen te voorkomen door de werkgelegenheid te stimuleren in Noord-Nederland. Als grootste noordelijke stad betekende dit voor Groningen een omslagpunt in het ruimtelijk ordeningsbeleid doordat het gemeentebestuur een daadkrachtige omwenteling beloofde om Groningen klaar te stomen voor de 21ste eeuw. In het Struktuurplan binnenstad Groningen werd dat als volgt aangegeven: 'Nieuwe ontwikkelingen sluiten nagenoeg altijd aan bij een voorafgaande. Een verkregen aanzet is dus meestal van veel betekenis voor de toekomst. Een dergelijke aanzet wordt alleen doorbroken door relatief zeer grote ingrepen.' Dit is een trendbreuk met de ontwikkelingen kort na de Tweede Wereldoorlog die vooral op herstel gericht waren.

Om de groei te faciliteren werd door het gemeentebestuur een koers uitgezet die heeft geleid tot plannen voor een stad met een gelede vorm, die ook wel sectorenstad werd genoemd. In deze opzet is de gedachte verwerkt om de onvermijdelijke schaalvergroting van binnen (lees: centrum binnen de Diepenring) naar buiten toe geleidelijk te laten verlopen. Hieraan is vorm gegeven door in het centrum de specifieke city-functies in een sterk geconcentreerde bebouwing met beperkte bebouwingshoogte te groeperen en de meer ruimte vragende voorzieningen in een hoge, meer open bebouwingsvorm aan de randen onder te brengen en met elkaar te verbinden door een nieuw aan te leggen rationeel netwerk van wegen.

afbeelding "i_NL.IMRO.0014.BP572HortusbNplaGV-gv01_0010.jpg"

Kaart uit het Struktuurplan Binnenstad Groningen 1969

De plannen uit 1969 zouden voor de Hortusbuurt een totale herinrichting betekenen. Ondanks het feit dat de meest ingrijpende plannen niet zijn uitgevoerd, heeft het tot op de dag van vandaag wel degelijk ruimtelijke consequenties gehad. Het gebied rondom het Boterdiep zou een ambachtelijke functie moeten krijgen, wat deels nog te zien is in dit gebied. Dit geldt ook voor de winkels aan de Nieuwe Ebbingestraat en de wooneenheden in het gebied tussen de Nieuwe Ebbingestraat en de Nieuwe Boteringestraat, dat planologisch gezien het hart van de Hortusbuurt vormt. Ook werd er al in de plannen uit 1969 aangestuurd op de aanwezigheid van functies uit de dienstensector rondom de Ossenmarkt, wat tot uiting is gekomen in kantoren rondom de Ossenmarkt om zo aansluiting te zoeken bij de functies van de aangrenzende binnenstad. In respectievelijk 1998 en 1999 werden hier een rechtbank en een parkeergarage aan toe gevoegd.

Ondanks het feit dat dit drastische plan niet tot uitvoering is gebracht, is er wel een zeer kenmerkend voorbeeld voortgebracht van de bedoelingen van dit Struktuurplan. Twee jaar eerder is namelijk het eerdergenoemde Alfagebouw in de Hortusbuurt gerealiseerd. Het was namelijk de bedoeling dat de Rijksuniversiteit een zeer prominente rol in de binnenstad zou krijgen door het gehele gebied (3 à 4 hectare) vanaf het academiegebouw tot aan het Noorderplantsoen, ten westen van de Nieuwe Kijk in 't Jatstraat in te ruimen voor universiteitsgebouwen. Dit zou betekenen dat de bestaande huizenblokken gesloopt moesten gaan worden. Hier moet wel bij worden opgemerkt dat deze plannen in 1969 nog volop in studie en discussie waren, waardoor van een totale uitvoering van deze plannen nooit concreet sprake is geweest.

De Doelstelling binnenstad Groningen 1972

Vanaf 1972 veranderde er veel. In dat jaar bereikt de gemeente een inwoneraantal van 171.593, maar de groei stokte en Groningen kreeg een links college dat anders dacht over de ontwikkeling van de stad dan haar voorgangers. Naast het feit dat de groeicijfers uit de jaren zestig als te optimistisch werden gezien, en daardoor de vernieuwingsdrang minder werd, kwam er ook een herwaardering van de bestaande stad op gang. Dit betekende dat de grote universiteitsuitbreidingen morfologisch en typologisch gezien niet meer in de nieuwe plannen voorkwamen. Zeker de sloop die daarvoor nodig zou zijn geweest paste niet meer binnen de doelstellingen. 'Kaalslag is de vrucht van onverantwoord optimisme' is een niet mis te verstane uitspraak in de Doelstelling binnenstad Groningen 1972 die in opdracht van het nieuwe gemeentebestuur tot stand is gekomen. 'Aan bestaande gebouwen moet een zeker bestaansrecht worden toegekend. Slechts in het uiterste geval mag worden overgegaan tot ingrepen, welke gehele of gedeeltelijke afbraak tot gevolg hebben'.

Meer specifiek werd er besloten dat gebieden waar uitsluitend of overwegend werd gewoond, in principe niet voor andere bestemmingen dan wonen ontwikkeld dienden te worden. Met name op straatniveau werd daarentegen gestreefd naar een verscheidenheid aan bestemmingen, om daarmee zoveel mogelijk functies en activiteiten per oppervlakte-eenheid te herbergen binnen de bestaande korrelgrootte. De hoger gelegen verdiepingen werden in belangrijke mate voor wonen bestemd. Daarbij moest de straatwand van een bouwwerk een open en attractieve beleving voor de voetganger betekenen. 'Het gebouw moet geen grimmige, maar juist een vriendschappelijke, warme indruk maken, en van grote instellingen mogen binnenterreinen niet groter zijn dan de lokale maaswijdte.'

Deze stap naar meer kleinschaligheid en leefbaarheid is ook terug te vinden in de richtlijnen om bouw en verbouw van gebouwen in ruimte aan te laten sluiten bij kleinschalige centrumactiviteiten en de wensen van voetgangers. Blokken mochten als bouwmassa in principe niet uitgestrekter zijn dan door de bestaande maaswijdte werd gedicteerd, opdat voorkomen werd dat een te uitgestrekte ongedifferentieerdheid (monocultuur) zou ontstaan van bouwtrant, materiaal, kleur, bestemming en kwaliteit. 'Een uitzonderingspositie kan alleen gemaakt worden als de aard van de bestemming daar op overtuigende wijze aanleiding toe geeft, zoals bijvoorbeeld bij grote zalen. Plaatselijke overbouwingen kunnen een verrijking betekenen, maar alles moet worden gedaan om dominerende massaliteit ten opzichte van de omgeving te vermijden.'

Beschermd stadsgezicht 1991

In januari 1991 werd de binnenstad van Groningen – en daarmee ook de Hortusbuurt – door het rijk aangewezen als beschermd stadsgezicht. De wettelijke figuur van het beschermd stadsgezicht is verankerd in de Monumentenwet uit 1988. Dit besluit kan gezien worden als feitelijk sluitstuk van een veel langer bewustwordingsproces, dat begin jaren zeventig al was gestart. De noodzakelijke afbraak die gepaard zou gaan met de grootschalige stadsvernieuwingsplannen uit de jaren zestig leidde namelijk tot verzet in de samenleving en tot een tegenbeweging. De Monumentenwet uit 1961 had reeds de basis gelegd om historische gebouwen te kunnen behoeden voor sloop. In de wet was ook de aanzet voor een regeling gemaakt die de omgeving van beschermde monumenten een zekere bescherming moest bieden. Dit werd verder uitgewerkt in de Wet op de beschermde stads- en dorpsgezichten. Als gevolg hiervan kwam een grote stroom aanwijzingen van beschermde gezichten op gang. Erfgoed moest een vanzelfsprekend onderdeel van de ruimtelijke ordeningsdiscussie worden. In vervolg op de ontwikkeling van het beschermd gezicht als instrument kwam er ook geld uit Den Haag om de dikwijls verpauperde binnensteden uit het slop te trekken. De in dat kader door het rijk op kaarten aangegeven zogenaamde BeeldBepalende Panden (BBP's) konden in de jaren '70 en '80 van de vorige eeuw hersteld worden met Volkshuisvestingssubsidies.

Een groot deel van de Groninger binnenstedelijke bebouwing, waaronder honderden woonhuizen en verscheidene kerken en gasthuizen zijn als monument beschermd, omdat deze geheel of gedeeltelijk een historisch waardevolle karakteristiek bezit. Het zijn deze kenmerken en kwaliteiten die het hoofdmotief vormen voor het besluit de binnenstad van Groningen in 1991 aan te wijzen als beschermd stadsgezicht. Doel van de aanwijzing is de karakteristieke, met de historische ontwikkeling samenhangende structuur en ruimtelijke kwaliteit te onderkennen als zwaarwegend belang bij de verdere ontwikkeling binnen het gebied. De aanwijzing beoogt een ruimtelijke ontwikkeling die inspeelt op de aanwezige kwaliteiten en daarop voortbouwt.

De jaren negentig

In de jaren negentig zijn er in Groningen diverse ruimtelijke ingrepen gedaan, om de stad op een gerichte, vanuit de overheid geregisseerde manier aantrekkelijker te laten zijn voor bedrijven en bewoners. Het Groninger museum en het Gasuniegebouw zijn hiervan bekende iconische voorbeelden. Enkele ontwikkelingen die passen binnen deze tijdgeest zijn op incidentele schaal aan de flanken van de Hortusbuurt gerealiseerd. Een appartementencomplex aan het Noorderplantsoen en de Violenhof zijn hier voorbeelden van. Ook de rechtbank aan het Guyotplein en de parkeergarage Ossenmarkt kunnen in dit licht worden gezien.

Een ander grootschalig plan werd in 1993 aan de oostkant van de Hortusbuurt in de gordel van de voormalige vestingwerken ontwikkeld. Het zogenaamde CiBoGa-terrein (voormalig Circusterrein, oude Bodenterrein en het terrein van de voormalige Gasfabriek) werd gezien als een interessant binnenstedelijk gebied van circa 10 hectare. Onder invloed van de herwaardering van het wonen in de binnenstad, werd het gebied gezien als een belangrijke schakel tussen de verschillende stadsdelen. Terwijl het gebied in de structuurplannen van de jaren tachtig als een barrière werd gezien, voorzag men in de jaren negentig voor dit gebied juist een scharnierfunctie tussen het ziekenhuisgebied en de Hortusbuurt. Dit betekende dat de Nieuwe Ebbingestraat en het Boterdiep als verzorgings- en ontsluitingsgebied zou gaan dienen voor dit woongebied.

De jaren na 2001

Waar de rol van de overheid decennialang sterk sturend is geweest, is er sinds het bestemmingsplan van 2001 in toenemende mate sprake van particuliere bouwinitiatieven in de Hortusbuurt. De groeiende vraag naar jongerenhuisvesting kan als een verklaring worden gezien. Deze ontwikkelingen hebben in aantal weliswaar weinig grote gevolgen gehad, maar leiden met enige regelmaat tot een ander straatbeeld. Daar waar het bebouwing van binnenterreinen betreft, is het met name de woonkwaliteit van omliggende woningen die erdoor geraakt wordt, doordat uitbreidingen van het woonoppervlak of optoppingen van daken een reductie van licht, lucht en ruimte tot gevolg hebben.

Op enkele plaatsen heeft vervangende nieuwbouw plaatsgevonden, zoals in de Grote Appelstraat waar twee nieuwe woonblokjes zijn gebouwd. Ook op enkele plekken aan de Nieuwe Kijk in 't Jatstraat en aan het Boterdiep zijn nieuwe appartementencomplexen gebouwd in respectievelijk vier en vijf bouwlagen. De overige nieuwbouw beperkt zich tot pandsgewijze ontwikkelingen waarbij één of meerdere lagen zijn opgetopt en in een enkel geval is er vervangende nieuwbouw gepleegd van een individueel pand. De meeste van deze ontwikkelingen konden plaatsvinden binnen de ruimte die het 2001 vastgestelde bestemmingsplan bood. In paragraaf 2.1.4 wordt de werking van dit bestemmingsplan geëvalueerd. De uitbreiding van de universiteit blijft hier buiten beschouwing, deze is geregeld via een apart bestemmingsplan.

2.1.2 De (huidige) ruimtelijk - functionele structuur

afbeelding "i_NL.IMRO.0014.BP572HortusbNplaGV-gv01_0011.jpg"

De Hortusbuurt in zijn omgeving

afbeelding "i_NL.IMRO.0014.BP572HortusbNplaGV-gv01_0012.jpg"

Structuren binnen het plangebied


Het plangebied is op te delen in drie gebieden van verschillende stedenbouwkundige importantie:

  • 1. De radialen. Het eerste gebied herbergt de historisch belangrijkste gebouwen langs de Diepenring en de belangrijke radialen (Nieuwe Ebbinge-, Nieuwe Boteringe- en Nieuwe Kijk in 't Jatstraat).
  • 2. De voormalige bolwerken. Het tweede gebied is de ring van de oorspronkelijke bolwerken, nu het Noorderplantsoen en het Cibogaterrein/Ebbingekwartier.
  • 3. De gebieden tussen de radialen. Het derde gebied is het gebied tussen de radialen waar vooral de woonfunctie voorkomt en waar in de 20ste eeuw op enkele plaatsen (vaak) grootschalige nieuwbouw heeft plaatsgevonden. Het Ebbingekwartier behoort niet tot dit plangebied.


afbeelding "i_NL.IMRO.0014.BP572HortusbNplaGV-gv01_0013.jpg"

Gebiedsindeling Hortusbuurt


Ad 1. De radialen

De Diepenring

De Diepenring is een binnenstedelijke ruimte die mede het beeld (mental map) van de stad bepaalt. Het profiel over de kades en het water samen met de omringende bebouwing maken de ruimte tot een bijzondere in het stedelijk weefsel. Nergens is de relatie tussen de Hortusbuurt en het stadscentrum zo sterk als hier. Over de totale lengte van de Diepenring is altijd wel ergens een zichtlijn op de torens van de binnenstad. Met name op deze plek bevindt zich het oudste en tegelijk het meest monumentale gedeelte van de Hortusbuurt. De bebouwing langs de Diepenring bepaalt voor een groot deel het gezicht van dit stadsdeel. Het beeld is dat van een gevarieerd binnenstedelijk karakter met een aantal grote monumentale stedelijke functies, pleinen (Ossenmarkt en Guyotplein) en gebouwen (voormalige pakhuizen, de nieuwe rechtbank, enzovoort). De grote pakhuizen (Albion en Engeland) laten de industriële ontwikkelingsgeschiedenis van de stad op deze plek zien en zijn als zodanig van betekenis voor de afleesbaarheid van de stad. Zij zijn ondertussen verbouwd tot bedrijfsruimtes met daarboven woningen. Stedelijke functies (detailhandel/bedrijven/horeca) komen vrijwel aaneengesloten op de begane grond voor. Ook het wonen is goed vertegenwoordigd (voor het belangrijkste deel op de verdiepingen).


De Diepenring heeft als verdeelring rond het directe centrum een belangrijke verkeersfunctie. Deze functie blijft hij ook in de toekomst houden (zie verder paragraaf 2.1.5 'Toekomstige ontwikkelingen'). De Noorderhaven laat de oude betekenis van de stad als haven en overslagplaats zien. In het verlengde hiervan zijn ook de onder- en bovenkades van de voormalige Spilsluizen van bijzondere betekenis. De bruggen verbinden de beide stadsdelen (centrum en Hortusbuurt) met elkaar en liggen op ongeveer gelijke afstanden van elkaar.


Op de kruising van de belangrijkste noord-zuid verbinding en het water van de Diepenring ligt een belangrijk stedelijk plein dat door de Nieuwe Boteringestraat in twee delen wordt opgesplitst: de Ossenmarkt en het Guyotplein. Onder de Ossenmarkt is een parkeergarage gebouwd. De Ossenmarkt zelf heeft nu een pleinfunctie waar af en toe evenementen worden georganiseerd. Het Guyotplein is in tegenstelling tot de verharde Ossenmarkt groen ingericht.


afbeelding "i_NL.IMRO.0014.BP572HortusbNplaGV-gv01_0014.jpg"

Guyotplein, Ossenmarkt, Spilsluizen en Noorderhaven


De Nieuwe Ebbingestraat

De Nieuwe Ebbingestraat is één van de oorspronkelijke radialen van de stad. Dit is in het beeld van de straat zeer nadrukkelijk zichtbaar in de lange zichtlijnen die er in de hele straat richting de Martinitoren zijn. Tot op heden heeft de straat de functie van aanloopstraat vanuit het noordoosten van de provincie naar de stad behouden. Het stedelijk belang is goed afleesbaar in de aanwezige architectuur. De maat en het profiel van de straat, de schaal van de bebouwing, de tamelijk eenduidige bebouwingshoogte en de aaneengesloten winkelbebouwing maken de Nieuwe Ebbingestraat tot een bijzondere binnenstedelijke ruimte, die zich onderscheidt van de overige straten in de Hortusbuurt. De Nieuwe Ebbingestraat kenmerkt zich nog altijd door een hoge dynamiek met functiewisselingen (tussen horeca, detailhandel en dienstverlening) en kleinschalige verbouwingen en uitbreidingen. Op de verdiepingen is de woonfunctie nadrukkelijk aanwezig. Hoewel door de ringweg rond de stad veel doorgaand verkeer is verdwenen, heeft de straat nog steeds een belangrijke verkeersfunctie.

afbeelding "i_NL.IMRO.0014.BP572HortusbNplaGV-gv01_0015.jpg"

Nieuwe Ebbingestraat


De Nieuwe Boteringestraat

De Nieuwe Boteringestraat is in de stedenbouwkundige hoofdstructuur van de stad van bijzondere betekenis. Hij maakt onderdeel uit van de historisch belangrijkste noord-zuidroute (radiaal) van Groningen. Alle voor de stad belangrijke openbare ruimtes zijn gelegen aan deze route (Ossenmarkt, het Nieuwe Kerkhof en het Noorderplantsoen). Door deze afwisseling van grote openbare ruimtes en door wanden omsloten straatgedeeltes heeft de straat als totaal een aangename en bijzondere ruimtelijke werking. In het stedelijk weefsel heeft de route aan betekenis ingeboet, omdat de functie voor het autoverkeer naar het noorden - via de Moesstraat en verder - is overgenomen door de route via de Bedumerweg. In sommige gebouwen langs de route en met name rond de Ossenmarkt is de historische betekenis nog steeds afleesbaar. De relatie met de binnenstad is aan het begin van de Nieuwe Boteringestraat, zowel ruimtelijk als functioneel (rechtbank en parkeergarage), zeer sterk. Nog steeds komen langs de Nieuwe Boteringestraat veel gemixte functies voor. Het wonen in de straat neemt toe, naarmate het Noorderplantsoen wordt genaderd. Ook op de verdiepingen wordt gewoond. In het noorden wordt de straat begrensd door het groen van het Noorderplantsoen, terwijl over de as van de straat het zicht op de toren van de voormalige kerk aan de Moesstraat aanwezig is.

afbeelding "i_NL.IMRO.0014.BP572HortusbNplaGV-gv01_0016.jpg"

Nieuwe Boteringestraat


De Nieuwe Kijk in 't Jatstraat

Evenals de Nieuwe Ebbinge- en de Nieuwe Boteringestraat sluit ook de Nieuwe Kijk in 't Jatstraat naadloos aan op de stedelijke structuur van het centrum. Functioneel zijn voor een belangrijk deel van de straat de universiteitsfuncties bepalend. Van oudsher komen stedelijke functies en buurtfuncties naast elkaar voor, wat nog steeds in het straatbeeld afleesbaar is in de architectuur en uitstraling. Sommige stedelijke functies (voormalige HBS aan het Kamerlingheplein) zijn uit de straat verdwenen, maar in het beeld van de straat behouden gebleven. Over de lengte van de straat komt het wonen tussen de andere functies frequent voor. Naar het noorden toe, verder van het centrum, nam van oudsher de betekenis van deze straat af. Daar sloeg de ruimtelijke slijtage van de stad dan ook het eerst toe. Op enkele plekken is nu in het straatbeeld de stadsvernieuwingsarchitectuur uit het begin van de tachtiger jaren zichtbaar. Ook meer recent zijn hier nog enkele nieuwbouwplannen ten behoeve van de woonfunctie uitgevoerd.


Ad 2. De voormalige bolwerken

Boterdiep en Ebbingekwartier

Al in de 16e eeuw functioneerde het gebied rond het Boterdiep als overslagplaats voor handel. Veel eigendom van panden aan de Nieuwe Ebbingestraat liep oorspronkelijk door tot aan het Boterdiep. De gevels aan het Boterdiep waren dan ook vaak achterkanten; hier was geen noodzaak om representatieve architectuur te realiseren. Ten gevolge van de demping van het water kent het Boterdiep als ruimte een schaalprobleem. De bebouwingshoogte van de omringende randen (rafelig) is vaak te laag ten opzichte van de grote maat van de openbare ruimte. Recent hebben op enkele plekken aan het Boterdiep nieuwbouwontwikkelingen plaatsgevonden waarbij door middel van een grote maat de stedenbouwkundige structuur wordt opgewaardeerd.

afbeelding "i_NL.IMRO.0014.BP572HortusbNplaGV-gv01_0017.jpg"

Nieuwbouw aan het Boterdiep


De Beren - Bloemsingel

De noordoostelijke hoek van de voormalige bolwerken werd in de 20ste eeuw eerst in gebruik genomen als circusterrein. Hier werd aan eind van de 20ste eeuw de eerste fase van het woongebied CiBoGa opgeleverd. Het stedenbouwkundig plan bestaat uit de invulling van zogenaamde schotsen. Elke schots heeft een eigen identiteit en eigen architect. De eerste twee schotsen zijn het complex De Beren en de Monnikhof. De Beren herbergt een mix aan functies. Op de begane grond is een winkelcentrum gevestigd. Erboven wordt gewoond. De Monnikhof volgt qua bebouwing (deels) de voormalige vesting.


afbeelding "i_NL.IMRO.0014.BP572HortusbNplaGV-gv01_0018.jpg"

Winkelcentrum De Beren


Noorderplantsoen

Het Noorderplantsoen is met zijn royale afmetingen op de schaal van de stad een bijzondere, cultuurhistorisch waardevolle ruimte. De ruimte is van betekenis voor de woonkwaliteit van de gehele binnenstad en de omliggende vooroorlogse schilwijken. Het is het belangrijkste groenelement in de directe nabijheid van de Hortusbuurt. Tegenover de continuïteit van de bebouwing en de veelal versteende openbare ruimte staat de waardevolle en contrastrijke uitzondering van het Noorderplantsoen, het groene hart van de stad en een oase van rust.

afbeelding "i_NL.IMRO.0014.BP572HortusbNplaGV-gv01_0019.png"

Noorderplantsoen


Ad 3. De gebieden tussen de radialen

Tussen Noorderplantsoen en Nieuwe Boteringestraat

In de beide Appelstraten is de woonfunctie dominant aanwezig. Op het binnenterrein aan de Grote Appelstraat is een voormalig fabrieksgebouw getransformeerd tot woonfunctie en bevinden zich garageboxen. In de Grote Appelstraat hebben in het afgelopen decennium diverse ontwikkelingen plaatsgevonden waarbij de stedenbouwkundige structuur is gehandhaafd. Het gaat om nieuwbouw van woningen in drie en vier lagen hoog. In de Kleine Appelstraat is veel kleinschalige bebouwing (één laag met kap) bewaard gebleven. De Grote Kruisstraat is een buurtontsluitingsroute (busroute) en een belangrijke fietsroute tussen binnenstad en Oranjebuurt. De straat wordt gedomineerd door het Alfagebouw van de RUG (faculteit Gedragswetenschappen). Hiertegenover, aan het Kamerlingheplein, staat het hoofdgebouw van de voormalige Rijks-HBS.


De Grote Rozenstraat wordt gedomineerd door de universiteitsfunctie, maar doordat deze plaatsvindt in verschillende gebouwen uit verschillende architectonische bouwstijlen en periodes, is het kleinschalige karakter van de straat overeind gebleven. Recent heeft er op het binnenterrein een uitbreiding van de RUG plaatsgevonden (zie bestemmingsplan De Oude Hortus).

De Leliestraat heeft een gevarieerd straatbeeld. Oude en nieuwere bebouwing komen naast elkaar voor. Nergens in de stad is de gasthuisdichtheid groter dan hier. De nieuwe rechtbank sluit met haar achterkant aan op de Kleine Leliestraat. De inrichting van de openbare ruimte doet aan de kant van de Grote Leliestraat gedateerd aan.


De Havenstraat en de Zoutstraat verwijzen in hun naamgeving naar het verleden van de stad. De Havenstraat wordt gedomineerd door de nieuwbouw op de plek van de voormalige graansilo's van Albion. Ook in de Zoutstraat staat een groot monumentaal voormalig pakhuis. Het wonen in de beide straten heeft de overige functies, die hier van oudsher nog zaten, geheel verdreven. De zichtlijnen op de Diepenring en op de toren van de Der Aakerk maken de nabijheid van het stadshart manifest en leveren een mooi karakteristiek straatbeeld op.

afbeelding "i_NL.IMRO.0014.BP572HortusbNplaGV-gv01_0020.jpg"

Kleine Rozenstraat en voormalige Rijks-HBS aan het Kamerlingheplein


Tussen Nieuwe Boteringestraat en Boterdiep

In de Violenstraat is aan de architectuur van de bebouwing goed te zien dat in deze straat vroeger veel bedrijfjes hebben gezeten. De bebouwing in de straat is zowel naar volume als in uitstraling divers. Een voormalig schoolgebouw is verbouwd tot wooneenheden. Op de plek van een ander voormalig schoolgebouw is een wooncomplex in de vorm van een modern gasthuis gerealiseerd. Een semi-openbare route maakt binnendoor verbinding met het Nieuwe Kerkhof. Aan het begin van de Violenstraat zijn plannen ontwikkeld om een nieuw gymlokaal te bouwen. Een bouwvergunning is in 2011 verleend. Ook naar de verschillende gasthuizen op het binnenterrein aan de noordkant van de straat lopen diverse semi-openbare routes. De Violenstraat is in de Hortusbuurt een uitzondering; het is een volkomen versteende straat. De straat mist voorts de beslotenheid die veel van de andere straten in dit stadsdeel wel hebben.


De kwaliteit van de straten rond de Nieuwe Kerk wordt in sterke mate beïnvloed door de aanwezigheid van de kerk in deze groene monumentale openbare ruimte. Het wonen is sterk vertegenwoordigd, maar ook veel bedrijven en kantoren komen in dit gebiedje voor. Aan de randen van het Nieuwe Kerkhof is veel verbouwd de afgelopen jaren. Enkele panden zijn individueel opgehoogd tot vier bouwlagen. De Marktstraat loopt ten zuiden van het Nieuwe Kerkhof en komt uit op de Ossenmarkt. De Marktstraat wordt sterk bepaald door de monumentale bebouwing die hier de straatwanden bepaalt en door de directe en voelbare relatie met de Ossenmarkt enerzijds en de Nieuwe Ebbingestraat anderzijds. Wonen, kantoren en bedrijven komen door elkaar voor.


De Brouwer-, de Pijp-, de Koren - en de Wipstraat zijn allen korte straatjes tussen Nieuwe Ebbingestraat en Boterdiep. Zij hebben een mengfunctie: bedrijfjes en dienstverlening komen aaneengesloten voor en er is veel wonen op de verdieping.

afbeelding "i_NL.IMRO.0014.BP572HortusbNplaGV-gv01_0021.jpg"
Moderne hofstructuur in de Violenstraat


De rand langs het Noorderplantsoen

In de Werfstraat komt statige bebouwing voor die een samenhangend architectonisch beeld oplevert. De monumentale voormalige melkfabriek maakt er onderdeel van uit. De Noorderbinnensingel, tussen de Grote Leliestraat en de Grote Kruisstraat, wordt bepaald door een krachtige bebouwingswand, bestaande uit een appartementencomplex. Dit complex diende als vervanging voor de ergste wantoestanden op het gebied van wonen van eind vorige eeuw en werd nog voor de Tweede Wereldoorlog gerealiseerd. Het deel van de Noorderbinnensingel tot aan de Nieuwe Boteringestraat bestaat uit diverse, ook in kwaliteit verschillende, architectonische invullingen variërend in hoogte van één-laag-plus-kap tot vier bouwlagen. Enkele stadsvernieuwingsprojecten komen langs deze rand voor. Tot slot de strook tussen de Boteringesingel en de Noorderbinnensingel, die vrijkwam na de ontmanteling van de vesting Groningen. Hier is de stedenbouwkundige situering karakteristiek. Op een smalle, langgerekte strook grond, tussen de Nieuwe Ebbingestraat en de Nieuwe Boteringestraat, werd bebouwing neergezet: aanvankelijk twee scholen en in de jaren dertig vrijstaande luxueuze villabebouwing, allen gericht op het Noorderplantsoen. In de jaren '90 van de vorige eeuw is een woongebouw gerealiseerd op de hoek van de Boteringesingel en de Nieuwe Boteringestraat.

Bijzondere bebouwing - de verborgen stad

Gasthuizen

Door de afmetingen van de bouwblokken in de 'nieuwe stad' ontstonden grote binnenterreinen waarop oorspronkelijk moestuinen werden aangelegd. Toen de stad na de komst van de Vestingwet (1874) buiten de omwalling mocht groeien, waren dit de plekken waar nog uitbreiding kon worden gerealiseerd. Dit leidde tot de voor Groningen bekende gasthuizen, waarvan er een groot aantal nog steeds functioneert. De overmaat in de oorspronkelijke bouwblokken heeft tot een zeer divers, voor het oog verborgen, stedelijk beeld geleid. De gemiddelde kwaliteit van de gasthuizen en bijzondere binnenterreinen die nog over zijn is hoog. Zij voegen een dimensie toe aan de gelaagdheid van de stad: de verborgen stad. Binnen de grotere bouwblokken manifesteren de gasthuizen met daarbinnen weer een open ruimte zich als nieuwe, kleinere bouwblokken. Deze schaalspong verrast en geeft een extra dimensie aan de stedenbouwkundige structuur in de Hortusbuurt. De meeste gasthuizen zijn gerenoveerd en hebben nog steeds (of weer) een woonfunctie. Anderen zijn verdwenen: daar resteert slechts een parkeerplaats. In de nieuwbouw is een aantal moderne (semi)gasthuizen gerealiseerd (Violenstraat en Grote Kruisstraat). De gasthuizen vallen onder het Beschermd Stadsgezicht en de meeste zijn aangewezen als monument.

afbeelding "i_NL.IMRO.0014.BP572HortusbNplaGV-gv01_0022.jpg"

Pieternellagasthuis


De voormalige Hortus Botanicus

Het binnenterrein is eigendom van de RUG. Het is in zijn beplanting en ruimtelijke samenhang nog vrijwel intact, een stukje 'verborgen stad' met een monumentaal karakter. Het terrein wordt omsloten door bebouwing van de RUG. Op het binnenterrein staat een groot aantal zeldzame en monumentale bomen. In 2010 is voor het gebied een eigen bestemmingsplan vastgesteld. Om die reden wordt het gebied nu buiten dit bestemmingsplan gehouden.

2.1.3 Waardering en bescherming van de Hortusbuurt

Welstandsnota

Het gehele plangebied valt in de welstandsnota onder gebiedstype "Historische binnenstad". Vanwege de diversiteit en complexe ruimtelijke verhoudingen is geen algemene beschrijving te geven waaruit sneltoetscriteria zijn te destilleren. Het centrumgebied wordt naast de historische waarde tevens gekenmerkt door dynamiek door de eeuwen heen. Gevolg hiervan is een subtiele balans tussen contrasten en overeenkomsten, zowel in schaal, vorm, volume, geleding, textuur als in kleur.

Archeologische bescherming

De ondergrond van het gehele gebied van de Hortusbuurt, tussen Noorderplantsoen, het gedempte Boterdiep en de middeleeuwse binnenstad, is te beschouwen als waardevol. Het gehele plangebied van de Hortusbuurt maakt deel uit van een perceel van hoge waarde (AMK-terrein). De kans om bij grondverzet archeologisch belangwekkende sporen aan te treffen is groot, alhoewel minder dan in de middeleeuwse binnenstad. Een gedetailleerde kennis van het gebied ontbreekt, vooral omdat in een bebouwd gebied archeologische verkenningen niet kunnen worden uitgevoerd en de dichtheid van opgravingen en waarnemingen in het gebied tamelijk laag is. Het gehele gebied krijgt daarom een archeologische dubbelbestemming, Waarde - Archeologie - 1. Dit houdt in dat werkzaamheden die het bodemarchief roeren omgevingsvergunningsplichtig zijn wanneer zij groter zijn dan 50 vierkante meter en dieper dan 30 centimeter reiken.


Beschermd stadsgezicht Binnenstad

Ingevolge artikel 20 van de Monumentenwet is de aanwijzing van het Beschermd stadsgezicht Groningen (Binnenstad) op 23 januari 1991 formeel van kracht geworden. Het bestemmingsplan Hortusbuurt -Noorderplantsoen valt bijna geheel binnen dit Beschermd stadsgezicht. De toelichting bij het besluit tot aanwijzing van het Beschermd stadsgezicht (rijksdienst voor de Monumentenzorg, februari 1988) is opgenomen in bijlage. Doel van de aanwijzing tot Beschermd stadsgezicht is de karakteristieke, met de historische ontwikkeling samenhangende structuur en ruimtelijke kwaliteit van de Hortusbuurt te onderkennen als zwaarwegend belang bij verdere ontwikkelingen in het gebied. Ingevolge de Wet ruimtelijke ordening moet de aanwijzing Beschermd stadsgezicht worden geëffectueerd in een bestemmingsplan.


Voor Hortusbuurt zijn de te beschermen waarden de stedenbouwkundige verkavelingstructuur met de radialen en haaks daarop staande dwarsstraten, de bijzondere grootschalige open ruimten (rond Nieuwe Kerkhof en Ossenmarkt/Guyotplein) en de structuur van het Noorderplantsoen. In functioneel opzicht is het verschil tussen Nieuwe Ebbingestraat (met name winkels) en de overige radialen (gemixte functies en veel wonen op begane grond) interessant. Het Boterdiep wijkt in functioneel opzicht eveneens af (van oorsprong veel bedrijvigheid). Hier wijst een rafelige en verspringende rooilijn op een oudere structuur. De veelvuldig voorkomende gasthuizen in het plangebied zijn van belang voor het Beschermd stadsgezicht. De karakteristieke lange zichtlijnen maken de hoogteligging van de uitloper van de Hondsrug zichtbaar. Tot slot speelt de hoge boombeplanting in het Noorderplantsoen een belangrijke ruimtelijk-visuele rol als structurele begrenzing van de 17e eeuwse stad.

De 17de eeuwse noordelijke stadsuitleg ontleent zijn historisch-stedenbouwkundige waarde vooral aan de uitzonderlijke, op geometrische principes gebaseerde structuur. De bebouwing in het gebied heeft, met uitzondering van de zuidelijke rand, vrijwel geheel een 19de en vroeg-20ste eeuws karakter. De vele eenlaagse huisjes gaan in hun karakter terug tot de 17e en 18e eeuw. De 19e eeuwse aanblik is het gevolg van de bouw van dakkapellen of akeneeltjes. In aansluiting op de oude stad vormen drie noord-zuid gerichte hoofdroutes, doorsneden door vier oost-west lopende reeksen zijstraten een patroon van vrijwel rechthoekige, gesloten bouwblokken. Als bijzondere open ruimtes zijn Ossenmarkt/Guyotplein en het Nieuwe Kerkhof binnen dit patroon opgenomen. Ondanks de kenmerkende verschillen in straatbreedte, bebouwingshoogten en bebouwingsoriëntatie tussen de hoofdstraten en de zijstraten is in deze uitleg in veel minder sterke mate een overheersende structuurrichting aanwezig dan in de oude stad. Hieraan wordt ook bijgedragen door de strakke, rechtlijnige ruimtevorming, waardoor zeer lange zichtlijnen in alle straatruimten mogelijk zijn.

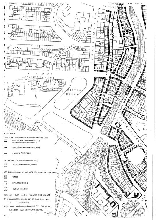
afbeelding "i_NL.IMRO.0014.BP572HortusbNplaGV-gv01_0023.jpg"

Historisch Ruimtelijke waarderingskaart bij het Beschermd Stadsgezicht (deel Hortusbuurt) met de van belang zijnde historische ruimtebegrenzingen. De vette lijn = rooilijn, bebouwingsschaal en historisch bebouwingsbeeld. De bolletjeslijn = rooilijn en bebouwingsschaal. De dunne lijn = rooilijn/situering. De zigzaglijn staat voor niet-historische ruimtebegrenzing als gevolg van rooilijnverlegging, sloop

Cultuurhistorisch waardevolle structuren, gebieden en gebouwen

  • De karakteristieke hoofdstructuur en het stratenpatroon van hoofd- en dwarsstraten in samenhang met de schaal van de historische bebouwing
      • a. De Nieuwe Ebbingestraat: Van de aangelegde hoofdstraten is de Nieuwe Ebbingestraat het sterkst tot ontwikkeling gekomen. Over de gehele lengte bepaalt de winkelfunctie het gevarieerde bebouwingsbeeld.
      • b. De Nieuwe Boteringestraat: Hoewel centraler gelegen, heeft de Nieuwe Boteringestraat een dergelijke ontwikkeling niet gekend, zodat daar, naast enige dienstverlening, de woonfunctie goed in het bebouwingsbeeld vertegenwoordigd is.
      • c. Het Nieuwe Kerkhof: Bepalend voor het straatbeeld is hier het open en deels met bomen beplante terrein van het Nieuwe Kerkhof, met centraal daarop geplaatst de Nieuwe Kerk. Dit rechthoekige terrein ligt met een korte zijde langs de Nieuwe Boteringestraat, terwijl de begrenzing aan noord- en zuidzijde deel uitmaken van het patroon van dwarsstraten. Doordat aan de oostzijde een ruimtelijke afsluiting plaats vindt door een tweetal kleinere bebouwingsblokken, heeft het Nieuwe Kerkhof, op een onopvallende op de kerk gerichte doorkijk na, geen relatie met de nabijgelegen Nieuwe Ebbingestraat.
      • d. Het gedempte Boterdiep: Dit is de oostelijke begrenzing van de 17de-eeuwse stadsuitleg. Enige onregelmatigheden in de rooilijnen in het zuidelijk gelegen gedeelte maken duidelijk dat het beloop van deze oorspronkelijke waterverbinding niet volledig ontworpen, maar deels op een oudere structuur gebaseerd is. In overeenstemming met de historische functie wordt het bebouwingsbeeld vooral bepaald door opslag- en bedrijfsbebouwing uit diverse perioden.
      • e. De Nieuwe Kijk in 't Jatstraat: Deze straat heeft ten opzichte van de overige hoofdstraten in functioneel en ruimtelijk opzicht altijd een ondergeschikte rol gespeeld. Overwegend kleinschalige bebouwing van rond de eeuwwisseling bepaalt het straatbeeld. De ten westen hiervan gelegen terreinen tonen de sporen van ontwikkeling van universitaire functies. De vanaf 1626 tot in de jaren zestig van de vorige eeuw hier gevestigde Hortus Botanicus heeft zijn naam aan het gehele stadsdeel geleend, terwijl diverse gebouwen ten behoeve van onderwijs en onderzoek in het stedelijk patroon zijn opgenomen.
  • De gasthuizen

Kenmerkend, en passend in de sterke woonfunctie van het noordelijke binnenstadsgedeelte, zijn de gasthuizen die in de tweede helft van de 19de eeuw deels aan de straat, maar vooral op een aantal binnenterreinen zijn gebouwd. De meeste hebben een centrale poorttoegang aan de straatzijde. De binnenruimten van deze gasthuizen vormen hierbij een extra waarde.

  • Noorderplantsoen

De karakteristieke lange zichtlijnen maken de hoogteligging van de uitloper van de Hondsrug zichtbaar en leiden er ook toe dat de hoge boombeplanting van het Noorderplantsoen in vrijwel de gehele Hortusbuurt een belangrijke ruimtelijk-visuele rol speelt. Hierdoor is deze zone als structurele begrenzing van de 17de eeuwse stad duidelijk herkenbaar gebleven waaraan wordt bijgedragen door de transformatie tot stadspark waarin waterpartijen en hoogteverschillen als restanten van de gebastionneerde omwalling zijn opgenomen.

  • Openbare ruimte

De profilering en inrichting van de openbare pleinen en ruimten.

  • Bebouwingsbeeld

Kenmerkend voor het bebouwingsbeeld is de grote variatie van bouwstijlen in type en ouderdom. Er is een afwisselend straatbeeld van samenhangende straatwanden/bouwblokken die worden gevormd door individuele panden. Daarnaast zijn de vele (voormalige-) onderwijspanden -met een eigen schaalgrootte- kenmerkend voor de buurt. In het bebouwingsbeeld is een duidelijk onderscheid te zien tussen hoofdstraten met veelal panden van drie lagen met kap en de zijstraten met woningen van één laag met kap. Daarnaast is er nog een aantal straten die een variatie laten zien van één laag met kap tot drie lagen. In deze straten is een langdurend transformatieproces te zien waarbij de (kleine) woningen meegroeien met de woonwensen van de bewoners. Dit groeiproces is nog steeds gaande. De diepenring en het Boterdiep, als meest stedelijke straten, kennen een variërende hoogte die gaat tot vijf bouwlagen, met enkele uitschieters naar boven.

Monumenten

Voor aanpassingen/wijzigingen aan monumenten moet een omgevingsvergunning voor een monumentenactiviteit worden aangevraagd. Enkele ondergeschikte aanpassingen/wijzigingen aan monumenten zijn sinds 1 januari 2012 vergunningvrij. De monumenten kennen elk hun eigen beschermingsregime: de rijksmonumenten volgens de Monumentenwet van 1988 en de gemeentelijke monumenten op grond van de Erfgoedverordening van 2010. In het gebied zijn de volgende monumenten aanwezig (de gasthuizen zijn cursief weergegeven):

  • Bloemsingel 197, schakelstation Gemeentelijk Energie Bedrijf gemeentelijk monument
  • Boterdiep 10-12 gemeentelijk monument
  • Boterdiep 26 gemeentelijk monument
  • Boteringesingel 14 (voormalige school) gemeentelijk monument
  • Grote Leliestraat 12 (1 t/m 7) gemeentelijk monument
  • Grote Leliestraat 23, 1 t/m 18, Sint Martinus Gasthuis gemeentelijk monument
  • Grote Leliestraat 34, 3 t/m 5, voorbouw Pieternella Gasthuis gemeentelijk monument
  • Grote Leliestraat 34, 7 t/m 55, achterdeel Pieternella Gasthuis gemeentelijk monument
  • Grote Leliestraat 51- 113, Grote Midden Gasthuis rijksmonument
  • Grote Rozenstraat 78, 78a, 80-84, Gerarda Gockinga Gasthuis rijksmonument
  • Guyotplein 2 rijksmonument
  • Guyotplein tegenover 1 en 2, Gedenkteken Guyot rijksmonument
  • Guyotplein 3 rijksmonument
  • Havenstraat 12 rijksmonument
  • Havenstraat 26 gemeentelijk monument
  • Kademuren diepenring rijksmonument
  • Kamerlingheplein 1-13 (voormalige Rijks HBS) rijksmonument
  • Kleine Kruisstraat 2, 2a gemeentelijk monument
  • Kleine Leliestraat 5 gemeentelijk monument
  • Kleine Leliestraat 12 gemeentelijk monument
  • Kleine Rozenstraat 8-44, Middengasthuis rijksmonument
  • Kruissingel 1, paviljoen Noorderplantsoen rijksmonument
  • Kruissingel bij 1, muziekkoepel Noorderplantsoen rijksmonument
  • Kruissingel, Noorderplantsoen rijksmonument
  • Lopendediep 1 rijksmonument
  • Marktstraat 1 gemeentelijk monument
  • Marktstraat 12 rijksmonument
  • Marktstraat 13 rijksmonument
  • Marktstraat 14 rijksmonument
  • Marktstraat 15 gemeentelijk monument
  • Marktstraat 16 rijksmonument
  • Marktstraat 17 rijksmonument
  • Marktstraat 19 rijksmonument
  • Nieuwe Boteringestraat 1; I-III; 1-1 t/m 15 gemeentelijk monument
  • Nieuwe Boteringestraat 24 rijksmonument
  • Nieuwe Boteringestraat 26 rijksmonument
  • Nieuwe Boteringestraat 29 gemeentelijk monument
  • Nieuwe Boteringestraat 30 rijksmonument
  • Nieuwe Boteringestraat 42 gemeentelijk monument
  • Nieuwe Boteringestraat 47 (1 t/m 4), Doopsgezind Gasthuis rijksmonument
  • Nieuwe Boteringestraat 50 rijksmonument
  • Nieuwe Boteringestraat 52 rijksmonument
  • Nieuwe Boteringestraat 54 rijksmonument
  • Nieuwe Boteringestraat 60 gemeentelijk monument
  • Nieuwe Boteringestraat 90 rijksmonument
  • Nieuwe Boteringestraat 98, 98a, 98b rijksmonument
  • Nieuwe Ebbingestraat 1, 1 a t/m p (Ebbingeflat) gemeentelijk monument
  • Nieuwe Ebbingestraat 2, 2a; 2 I rijksmonument
  • Nieuwe Ebbingestraat 4, 4a gemeentelijk monument
  • Nieuwe Ebbingestraat 6, 6a gemeentelijk monument
  • Nieuwe Ebbingestraat 18, 18a gemeentelijk monument
  • Nieuwe Ebbingestraat 22 gemeentelijk monument
  • Nieuwe Ebbingestraat 41 gemeentelijk monument
  • Nieuwe Ebbingestraat 42, 42 I, 42a gemeentelijk monument
  • Nieuwe Ebbingestraat 45 rijksmonument
  • Nieuwe Ebbingestraat 52, 52a rijksmonument
  • Nieuwe Ebbingestraat 62 rijksmonument
  • Nieuwe Ebbingestraat 64, 64a rijksmonument
  • Nieuwe Ebbingestraat 67 gemeentelijk monument
  • Nieuwe Ebbingestraat 71, 71a gemeentelijk monument
  • Nieuwe Ebbingestraat 73, 75 met achterzijde Boterdiep gemeentelijk monument
  • Nieuwe Ebbingestraat 107, 107a gemeentelijk monument
  • Nieuwe Kerkhof 1, Nieuwe Kerk rijksmonument
  • Nieuwe Kerkhof 22, Tette Alberda Gasthuis rijksmonument
  • Nieuwe Kijk in 't Jatstraat 3 gemeentelijk monument
  • Nieuwe Kijk in 't Jatstraat 6 gemeentelijk monument
  • Nieuwe Kijk in 't Jatstraat 8 gemeentelijk monument
  • Nieuwe Kijk in 't Jatstraat 11 gemeentelijk monument
  • Nieuwe Kijk in 't Jatstraat 12, 14, 16 Anna Varwers Gasthuis rijksmonument
  • Nieuwe Kijk in 't Jatstraat 23 gemeentelijk monument
  • Noorderhaven 3 gemeentelijk monument
  • Noorderhaven 5 rijksmonument
  • Noorderhaven 7 rijksmonument
  • Noorderhaven 9 gemeentelijk monument
  • Noorderhaven 11 rijksmonument
  • Noorderhaven 13 rijksmonument
  • Noorderhaven 15, 17 rijksmonument
  • Noorderhaven 19, 19 1 t/m 8; 21 (pakhuis Engeland) gemeentelijk monument
  • Noorderhaven 23, 23a, Juffrouw Pieternella Gasthuis rijksmonument
  • Noorderhaven 35 gemeentelijk monument
  • Noorderhaven 41, 41a, 41b gemeentelijk monument
  • Noorderhaven 65 rijksmonument
  • Noorderkerkstraat 1 rijksmonument
  • Noorderplantsoen rijksmonument
  • Ossenmarkt 1 (Ossenmarktflat) gemeentelijk monument
  • Ossenmarkt 3 I rijksmonument
  • Ossenmarkt 4, 4a rijksmonument
  • Ossenmarkt 5 rijksmonument
  • Ossenmarkt 6, 6a rijksmonument
  • Ossenmarkt 7 rijksmonument
  • Ossenmarkt 8 rijksmonument
  • Pijpstraat 2, 2a gemeentelijk monument
  • Spilsluizen 1, 3 rijksmonument
  • Spilsluizen 5 rijksmonument
  • Spilsluizen 7 rijksmonument
  • Turfsingel 4, 4a t/m d gemeentelijk monument
  • Turfsingel 10 rijksmonument
  • Turfsingel 16, benzinestation Dudok rijksmonument
  • Werfstraat 1, 1a, voormalige melkfabriek rijksmonument
  • Wipstraat 8 rijksmonument
  • Wipstraat 11, 13 gemeentelijk monument
  • Zoutstraat 16 rijksmonument
  • Zoutstraat 17 rijksmonument
  • Zuiderkerkstraat 10 gemeentelijk monument

Waardevol Groen

  • Het Noorderplantsoen als gaaf voorbeeld van parkaanleg in Engelse landschapsstijl uit het laatste kwart van de 19de eeuw;
  • De grote stadstuinen achter de bebouwing aan de Ossenmarkt, Marktstraat en Noorderhaven;
  • De groenstructuur en groene open binnenterreinen van de vele gasthuizen;
  • Een aantal monumentale bomen;
  • Het Nieuwe Kerkhof rondom de Nieuwe Kerk als strakke groene oase;
  • De grote, 'verborgen' stadstuin achter de Noorderhaven, naast het Pieternella Gasthuis.

Cultuurhistorische waardenkaart

Op grond van de aanwijzing Beschermd stadsgezicht en nieuw rijksbeleid met betrekking tot het opnemen van cultuurhistorische waarden in het bestemmingsplan, is het streven erop gericht de bestaande cultuurwaarden in het gebied te beschermen. Onderstaande cultuurhistorische waardenkaart van de Hortusbuurt en het Noorderplantsoen omvat, naast de beschermde monumenten op grond van de Monumentenwet en de Erfgoedverordening, de beeldbepalende panden, ruimtelijke structuren, historisch groen en de archeologische waarden.

De beeldbepalende panden zijn waardevol voor het straat- en bebouwingsbeeld, maar hebben (nog) geen beschermde status. In het bestemmingsplan vallen deze panden onder het algemene regime dat in een straat of deel van een straat geldt. Ter informatie zijn deze panden toch in de cultuurwaardenkaart opgenomen.

afbeelding "i_NL.IMRO.0014.BP572HortusbNplaGV-gv01_0024.jpg"

Cultuurhistorische waardenkaart van Hortusbuurt - Noorderplantsoen

2.1.4 Vertaling van de ruimtelijk-functionele structuur in het bestemmingsplan

Evaluatie bestemmingsplan van 2001

Dit bestemmingsplan vervangt het bestemmingsplan uit 2001. Dit plan was het eerste bestemmingsplan na de aanwijzing tot Beschermd Stadsgezicht. Het bestemmingsplan heeft ruim tien jaar gediend als kader voor ontwikkelingen. Het bestemmingsplan liet ruime bouwmogelijkheden toe omdat per straat met een generieke hoogte werd gewerkt. Deze varieerde van drie tot vijf lagen, met inachtneming van een bebouwingspercentage en vloerindex. De toegestane hoogtes en dieptes waren in veel gevallen ruimer dan de bestaande situatie van dat moment.

De voorgaande bestemmingsplannen hebben hun werking gehad en ervoor gezorgd dat de Hortusbuurt van een verpauperde wijk in de jaren zestig, aanvankelijk rijp voor de sloop ten behoeve van uitbreiding van de universiteit, is ontwikkeld tot een gevarieerde en populaire woonwijk in de binnenstad van Groningen. Binnen de vorige bestemmingsplanperiode (2001-2012) is een aantal ontwikkelingen te zien variërend van kleinschalige pandsgewijze uitbreidingen tot herontwikkeling van enkele grote percelen. Langs de radialen (Nieuwe Ebbingestraat, Nieuwe Boteringestraat en Nieuwe Kijk in 't Jatstraat) en het Nieuwe Kerkhof zijn veel individuele panden opgehoogd met één of meerdere bouwlagen tot de toegestane hoogte van vier bouwlagen. Langs het Boterdiep is in een aantal gevallen een vijfde bouwlaag toegevoegd. In de straten tussen de radialen zijn op diverse plaatsen nieuwbouwontwikkelingen geweest waarbij meerdere panden zijn gesloopt en herbouwd ten behoeve van de woonfunctie (onder andere Grote Appelstraat en Grote Kruisstraat). De hoogte van deze ontwikkelingen is drie bouwlagen en in enkele gevallen vier bouwlagen.

Intensivering van de binnenterreinen

Met de vergroting van panden is ook de druk op de binnenterreinen toegenomen. Kenmerkend voor de Hortusbuurt zijn de verschillende karakters van de binnenterreinen. Open en vaak groene binnengebieden (gasthuizen, tuinen) worden afgewisseld met intensief bebouwde binnenterreinen van de bouwblokken langs het Boterdiep en de Nieuwe Ebbingestraat. De groene en open binnenterreinen zijn grotendeels onaangetast gebleven. Deels omdat deze onder de werking van de Monumentenwet 1988 vallen (de gasthuizen) en deels omdat deze als tuin een kwalitatieve waarde vertegenwoordigen voor bewoners. Juist de binnenterreinen waar vanouds al bebouwing stond zijn in een aantal gevallen verder verdicht. De vraag naar intensivering is dan ook vooral aanwezig in de binnenhoven die geen vanzelfsprekende groene of open kwaliteit bieden. Het zijn de binnenhoven die tussen de wal en het schip vallen. Op het eerste gezicht zijn het wellicht oninteressante ruimtes, maar zij bieden als achterkant van de stedelijke zijde wel degelijk lucht, licht en rust voor omwonenden.

Het bestemmingsplan van 2001 was gericht op ontwikkeling. Het ging uit van het principe dat in elke straat gebouwd mag worden tot een basishoogte van drie tot vijf bouwlagen. Het stratenpatroon en de rooilijnen werden gehandhaafd, maar daarbinnen was een grote mate van transformatie mogelijk. Zodoende werd verpaupering tegengegaan door sloop en nieuwbouw mogelijk te maken. Door toepassing van de vloerindex moest voldoende licht, lucht en ruimte op het binnenterrein worden gegarandeerd. Anno 2012 is gekozen voor een nieuwe systematiek voor het bestemmingsplan. Enerzijds wordt dit ingegeven door veranderende wetgeving waarbij aangesloten dient te worden bij landelijke uitgangspunten (Standaard Vergelijkbare Bestemmingsplannen, SVPB). Anderzijds zijn er ontwikkelingen die een minder op ontwikkeling gericht systeem vragen.

Verschraling woonmilieuaanbod
Het afgelopen decennium is vooral gebouwd voor de woonfunctie: appartementen en jongerenhuisvesting (studenten). De Hortusbuurt (zie ook onder paragraaf 2.2 over “wonen”) is een populaire woonbuurt voor studenten geworden. De gemeente kiest er expliciet voor om studentenhuisvesting in de binnenstad te laten plaatsvinden. In de binnenstad zijn geen beperkingen opgelegd aan het aantal kamers dat mag worden geëxploiteerd. In overige wijken buiten de binnenstad gebeurt dat wel. Veel van de aanwezige planologische ruimte is benut voor het bouwen van wooneenheden voor studenten. Deze ontwikkeling neemt de laatste jaren een grote vlucht vanwege de introductie van lichte bouwtechnieken en moderne materialen. Hierdoor kunnen goedkoper en gemakkelijker dan voorheen bestaande gebouwen worden uitgebreid (in hoogte en diepte) en wordt het gemakkelijker op moeilijk bereikbare binnenterreinen te bouwen.

Het is wenselijk om in de Hortusbuurt een gedifferentieerd woonmilieu te behouden. De mogelijkheden in het oude bestemmingsplan bieden de ruimte voor pandsgewijze uitbreidingen in de gehele wijk. Hierdoor bestaat het risico dat de wijk zich ontwikkelt tot een eenzijdig woonmilieu, uitsluitend voor jongeren. Dit gaat met name ten koste van starters en jonge gezinnen wanneer grondgebonden woningen (één of twee lagen met kap) transformeren tot studentenpanden (drie of vier bouwlagen). Het is wenselijk om een deel van het woonmilieu dat nu geschikt is voor starters en gezinnen (de grondgebonden woningen met tuin) te behouden. Dit woonmilieu komt in een aantal straten tussen de radialen voor.


Betere bescherming cultuurhistorische waarden

Sinds 1 januari 2012 moet in bestemmingsplannen worden aangegeven op welke wijze aanwezige cultuurhistorische waarden worden beschermd. De Monumentenwet 1988 regelt een deel van de bescherming van cultuurhistorische waarden. Daar waar het gaat om cultuurhistorische stedenbouwkundige structuren moet bescherming via het bestemmingsplan worden geregeld. In de Hortusbuurt is het straten- en verkavelingspatroon waardevol. Via de verbeelding (plankaart) werd dit in eerdere bestemmingsplannen beschermd en wordt dat ook in dit bestemmingsplan beschermd. Voor een aantal (ensembles van) panden wordt een meer beschermende regeling voorgesteld. Het gaat om een aantal éénlaagse panden met kap in de straten tussen de radialen. Deze vertellen de ontstaansgeschiedenis van de buurt en het is wenselijk om deze ook vanuit dat oogpunt te bewaren. Ze representeren geen eigen monumentale waarden.

Korrel

De korrelmaat, ofwel gemiddelde pandbreedte, in de Hortusbuurt is karakteristiek voor het gebied. In de stadsplattegrond is de middeleeuwse structuur van percelen nog goed herkenbaar. Deze korrelgrootte werd via het vorige bestemmingsplan geregeld. Het bestemmingsplan is niet het juiste instrument om de gevelindeling te beschermen. Dit is een welstandsaspect. De middeleeuwse structuur gaat echter verder dan de gevel. Om deze, ook naar de toekomst toe, beter te beschermen, wordt bekeken in hoeverre de monumentenverordening moet worden aangepast om ook deze percelering te beschermen. Hierdoor kan de regeling voor de korrel in het bestemmingsplan vervallen.

Vertaling naar een nieuw bestemmingsplan

Functionele structuur

Voor de radialen geldt een bestemming Gemengd, Centrum - 1 of Centrum - 2. Deze mengbestemmingen regelen een zekere mate van flexibiliteit en functiewisseling. Binnen deze bestemmingen zijn veel functies toegestaan (zakelijke en maatschappelijke dienstverlening, detailhandel, horeca, wonen). Deze zijn onderling uitwisselbaar. Het is niet gewenst om de detailhandelsfunctie ongelimiteerd over het gehele gebied uit te breiden. Sturing is gewenst om met name de Nieuwe Ebbingestraat als detailhandelsstraat te kunnen versterken. Om die reden is er onderscheid gemaakt in de bestemming Gemengd en Centrum-1/Centrum-2. Binnen Gemengd is detailhandel tot slechts 200m² bij recht toegestaan. Dit geldt voor alle radialen met uitzondering van de Nieuwe Ebbingestraat. Hiermee wordt voorkomen dat grotere winkels zich hier vestigen ten koste van locaties in de Nieuwe Ebbingestraat (en binnenstad). Daarnaast wordt wel ruimte geboden voor kleine detailhandelszaken die in principe geen bedreiging vormen voor het kernwinkelgebied.

Voor de Nieuwe Ebbingestraat geldt de bestemming Centrum - 1. Het is wel gewenst om te sturen op de woonfunctie op de begane grond. De Nieuwe Ebbingestraat functioneert doordat er een gesloten strip met publieksaantrekkende functies (detailhandel, dienstverlening, horeca) bestaat. Deze zorgt voor een levendig straatbeeld. Hoewel de straat het moeilijk heeft (leegstand) is er sinds 2010 wel weer een opleving te zien en worden er weer aantrekkelijke functies gehuisvest. Het is niet gewenst om woonfuncties op de begane grond toe te staan. De woonfunctie heeft geen publieksaantrekkende werking en levert niet het gewenste levendig straatbeeld op. In de Nieuwe Ebbingestraat moet worden voorkomen dat met direct recht woonfuncties op de begane grond ontstaan. Dit geldt ook voor het gebied rondom De Beren. Op het Boterdiep is dit probleem er niet. Hier komen al woonfuncties op de begane grond voor en de straat behoort niet tot het kernwinkelgebied. In Centrum - 1 is wonen op de begane grond niet toegestaan, in Centrum - 2 (net als in Gemengd) wel. Wonen op de verdieping is overal toegestaan.

De overige gebieden hebben een woonbestemming. Hier zijn in principe geen andere functies gewenst. Zo kan concentratie worden nagestreefd, maar kan ook het woonmilieu beter worden beschermd. Ook het noordelijk deel van de Nieuwe Kijk in 't Jatstraat heeft de woonfunctie. Deze radiaal heeft niet de betekenis die de Nieuwe Boteringe- en Ebbingestraat wel hebben. Hier ligt de nadruk op wonen. Kleinschalige bedrijvigheid en beroepen aan huis zijn toegestaan binnen de woonbestemming zolang de woonfunctie als overwegende functie in stand blijft.

De overige voorkomende functies zijn apart aangeduid op de verbeelding (plankaart). Het gaat om maatschappelijke en commerciële functies (onderwijs, kerk, bedrijven, kringloopwinkel en brommer/fietsenzaak). Sturing op eventuele herinvulling is gewenst omdat het vaak grote panden betreft. Het is niet gewenst dat deze panden, na functieverlies, zonder sturing kunnen transformeren naar woon- en / of centrumfuncties. Om die reden vallen ze niet onder de bestemming Centrum of Gemengd.

Horeca draagt in principe bij aan de aantrekkelijkheid van het centrumgebied. Desalniettemin is het belangrijk om sturing te houden op het aantal en de locatie van horecavestigingen. Zonder sturing kan een onacceptabele toename ontstaan waarbij de woonfunctie kan worden aangetast. Daarnaast zorgt een grote concentratie van (avond)horeca ervoor dat er met name overdag te weinig levendigheid in het straatbeeld ontstaat. Er is voor gekozen om horeca alleen toe te staan daar waar het voorkomt (aanduiding 'horeca'). Uitbreiding kan middels een binnenplanse afwijkingsbevoegdheid binnen de bestemmingen Centrum - 1 en Centrum - 2, met dien verstande dat uitsluitend horeca van categorie 2 extra kan worden toegestaan.

Stedenbouwkundige structuur – hoogte

Bij het bepalen van de toegestane hoogtes is uitgegaan van een basishoogte voor de buurt die op basis van de ontstane situatie representatief is. Op verschillende locaties in het plangebied is de basishoogte ingeperkt dan wel verruimd.

Redenen voor verruiming zijn:

  • ruimte bieden voor uitbreiding en nieuwbouw van diverse woningtypen, en;
  • het ruimtelijk vertalen van belangrijke plekken.

Redenen voor inperking zijn:

  • het beschermen van de cultuurhistorische waarden;
  • het beschermen van bestaande woonkwaliteit, en;
  • het beschermen van bestaande woonmilieus.

Hieronder staat toegelicht wat verstaan wordt onder de basishoogte en op welke locaties en waarom daarvan wordt afgeweken.

Basishoogte

Voor het plangebied geldt een basishoogte van drie bouwlagen. Hierdoor blijven op pandniveau ontwikkelingen mogelijk zonder dat er een risico ontstaat op een te eenzijdig woonmilieu. Dit betekent dat in een deel van het plangebied één bouwlaag minder is toegestaan dan op grond van het bestemmingsplan van 2001 mogelijk was. Hiervoor is gekozen omdat enerzijds drie bouwlagen aansluit bij de aanwezige bebouwingsstructuur en anderzijds omdat hierdoor de druk op het woonmilieu niet wordt vergroot door een onevenredige toename van studentenhuisvesting. Deze basishoogte geldt onder meer voor het noordelijke deel van de Noorderbinnensingel waar nog pandsgewijs ontwikkelde woningen voorkomen en in het noordelijke deel van de Nieuwe Kijk in 't Jatstraat. De bestaande bouwhoogte varieert hier van één laag met kap tot drie lagen. Wanneer een aantal bestaande woningen van één laag met kap transformeren naar twee lagen met kap of drie lagen, wordt het karakter van de straat en de bestaande woonkwaliteit (van omwonenden) niet aangetast.

Beperking basishoogte

Zoals in de vorige alinea aangegeven is het gewenst om het bouwregime in bepaalde straten terug te brengen. Op deze manier blijft er in de Hortusbuurt een gevarieerd woonmilieu bestaan. In enkele straten wordt de aanwezige bouwsubstantie vastgelegd zonder uitbreidingsmogelijkheden. Dit geldt voor bebouwing in de Grote en Kleine Appelstraat, Kleine Kruisstraat, Kleine Rozenstraat en delen van de Grote en Kleine Leliestraat, Havenstraat en Zoutstraat. Hierdoor blijft tevens een deel van de cultuurhistorisch waardevolle eenlaagse panden met kap beschermd via het bestemmingsplan. Woningen binnen dit regime zijn wellicht vaak te klein voor de huidige bewoners wanneer er sprake is van toekomstige gezinsuitbreiding. De rest van de buurt biedt qua (mogelijke) woningtypologie ruimte om deze categorie bewoners op te kunnen vangen.

Door het bestemmingsplan herziening bestemmingsregels wonen is de volgende tekst komen te vervallen:

Verruimen basishoogte

Voor enkele delen van het plangebied is het niet bezwaarlijk om (met direct recht) een hogere bebouwing dan de basishoogte van drie bouwlagen toe te staan. Dit geldt voor de bebouwing langs de radialen en de Diepenring. Langs het zuidelijke deel van de Nieuwe Kijk in 't Jatstraat, de Nieuwe Boteringestraat en de Nieuwe Ebbingestraat geldt een hoogte van drie lagen met kap. Dit zijn voor het plangebied belangrijke straten met functies in de plint. Bovenop deze (stedelijke) plinten wordt de ruimte geboden voor woningen van twee lagen met daarboven een voor deze straten karakteristieke kapverdieping. De diepenring en het Boterdiep zijn de belangrijkste stedelijke ruimtes in het plangebied. Hier is een hoogte toegestaan van vier bouwlagen en voorziet het bestemmingsplan in een afwijkingsmogelijkheid voor een vijfde bouwlaag. Zodoende wordt binnen het plangebied ook ruimte geboden aan (nieuwe) complexen voor studentenhuisvesting.

Bestaande afwijkingen

In meerdere straten komen situaties voor waarbij één of meerdere panden hoger zijn dan de hierboven omschreven situaties. Deze afwijkingen zijn positief bestemd in dit bestemmingsplan. Reden hiervoor is dat het om bijzondere -te beschermen- gebouwen gaat, of dat er binnen de geldigheidsduur van dit bestemmingsplan (10 jaar) geen intenties of plannen zijn om de betreffende afwijkingen ongedaan te maken. Tot slot wordt ook het Nieuwe Kerkhof afwijkend van bovengenoemde methode bestemd. Hier wordt de bestaande -gevarieerde- hoogte vastgelegd. Door de aanwezigheid van panden uit de verschillende bouwperiodes is hier de ontstaansgeschiedenis van de Hortusbuurt rondom één stedelijke ruimte goed af te lezen.

Stedenbouwkundige structuur – bebouwingspercentage (binnenterreinen)

Zoals beschreven hebben veel binnenterreinen kwaliteit vanwege hun openheid. Net als in het vorige bestemmingsplan worden deze beschermd door geen bouwmogelijkheden te bieden. In dit bestemmingsplan krijgen deze binnenterreinen de bestemming Tuin. Een groot deel van de binnenterreinen langs het Boterdiep en de Nieuwe Ebbingestraat is wel intensief bebouwd. Dit is een gevolg van de functionele inrichting: de detailhandelsfunctie vraagt een groter oppervlakte op de begane grond van het binnenterrein. Bovendien zijn veel van de binnenterreinen tussen Boterdiep en Nieuwe Ebbingestraat bebouwd geraakt omdat de eerste als achterkant gold van de laatste. Percelen (en ook bebouwing) liepen vaak door in de diepte van het bouwblok. Op deze binnenterreinen is het bebouwingspercentage 100% en dit wordt gehandhaafd. De vloerindex in het vorige bestemmingsplan zorgde ervoor dat niet het gehele binnenterrein werd volgebouwd tot vier of vijf bouwlagen. Nu de vloerindex niet meer gehanteerd wordt, is ervoor gekozen om de hoogte op de nog aanwezige binnengebieden te beperken tot 4 of 7 meter en, indien voorkomend, de bestaande hoogte. Zo wordt een zekere mate van openheid bereikt zonder de bouwmogelijkheden op deze binnenterreinen op slot te zetten.

Tot slot zijn er enkele binnenterreinen die niet beschermingswaardig zijn als tuin en die in functioneel opzicht niet intensiever bebouwd zullen worden vanwege het wegvallen van de detailhandelsfunctie. Het gaat om bouwblokken tussen de Nieuwe Boteringestraat en Nieuwe Kijk in 't Jatstraat in. Voor deze bouwblokken is gekozen om achter de achtergevel van de bestaande hoofdmassa geen hoge bebouwing toe te staan. Zo wordt het aanwezige woonmilieu niet bedreigd door (hoge) bebouwing op het achtererf. Ten opzichte van het huidige bestemmingsplan levert dit in een enkel geval een beperking van de bouwmogelijkheden op, maar sluit het voor het grootste deel aan bij wat op grond van de toegestane vloerindex mogelijk was.

Door het bestemmingsplan Herziening bestemmingsregels wonen is op een aantal plaatsen de bebouwingsmogelijkheid van binnenterreinen verder beperkt. Het gaat dan om een verbod op de realisatie van zelfstandige woningen of kamerverhuur.

Stedenbouwkundige structuur – straatbeeld

In het vorige bestemmingsplan werd het kenmerkende straatbeeld van wanden bestaande uit een verzameling van individuele panden beschermd met behulp van de maximale 'korrelmaat'. Hiermee werd de maximale breedte van een pand of straatgevel geregeld. Het bestemmingsplan is niet de juiste plek voor een dergelijke (cosmetische) bepaling. De korrelmaat is derhalve niet in dit bestemmingsplan opgenomen. Vanwege de waarde die aan het straatbeeld wordt gehecht krijgt deze (of een vergelijkbare) regeling een plek in de Welstandsnota. Ook wordt bekeken in hoeverre de monumentenverordening moet worden aangepast.

2.1.5 Toekomstige ontwikkelingen

In principe maakt dit bestemmingsplan geen nieuwe ontwikkelingen mogelijk. Er wordt binnen de bestemmingen voldoende ruimte geboden om een voortdurende dynamiek op te vangen die hoort bij het binnenstedelijk gebied. Hiervoor zijn ook de binnenplanse afwijkingsbevoegdheden opgenomen. Wel speelt er in de toekomst een aantal ontwikkelingen in (de omgeving van) het plangebied. Deze worden kort toegelicht.

Toiletvoorzieningen/kiosk Noorderplantsoen

Het Noorderplantsoen wordt op dagen met mooi weer steeds meer gebruikt voor dagrecreatie. Voor de zomers van de afgelopen jaren mogen we spreken van massaal verblijf op de grasvelden en de randen van de waterpartijen. Praktisch onvermijdelijk worden de bosschages erom heen gebruikt als natuurtoilet. Door de intensiteit leidt dat tot overmatige onhygienische vervuiling en stank. Dit is één van de grote ergernissen van de gebruikers van het Noorderplantsoen. Om het recreatieve gebruik te faciliteren heeft de gemeente de afgelopen jaren mobiele toiletten geplaatst, maar door het gebrek aan controle en de snelle vervuiling tijdens de gebruikstijdstippen werd er regelmatig geklaagd over deze toiletten. Daarom wil de gemeente op het kruispunt Leliesingel-Nassaulaan een beheerde semipermanente toiletvoorziening met hieraan gekoppeld een verkooppunt van kleine (alcoholvrije) versnaperingen plaatsen. Door aan deze toiletvoorzieningen een verkooppunt van versnaperingen te koppelen, is ook via een exploitant het beheer, de toiletschoonmaak en het schoonhouden van de ruime omgeving van de kiosk geregeld. De exploitant zal tevens voor de gemeente fungeren als signaleerder en doormelder van ongewenste zaken. Het Noorderplantsoen heeft een speciale status in de stad Groningen. Een klein bouwwerk als kiosk annex toiletvoorziening aan het plantsoen toevoegen eist bijzondere aandacht. Gestreefd wordt naar een hoge ontwerpkwaliteit. De locatie van de kiosk is gekozen in overleg met professionals vanuit de vakgebieden monumenten, ecologie en landschapsontwerp. Bij het kiezen van de locatie op het kruispunt Leliesingel-Nassaulaan is in aanmerking genomen dat op deze plek de open zichtassen intact blijven. Ook ligt de locatie op het einde van een zichtas over de vijver en dit past goed in het vocabulair van de Engelse landschapsstijl met vergezichten en monumentaliteit ten aanzien van objecten in het park. De locatie bedient zowel de passanten over de Leliesingel als de bezoekers van de speelweide. Omdat het al een relatief drukke plek is, wordt de ecologie van het plantsoen niet noemenswaardig verstoord. Tevens gaat de plaatsing van de kiosk op de gekozen locatie niet ten koste van bestaande bomen. Met de komst van de toiletvoorziening annex kiosk komt een einde aan de tijdelijke plaatsing van standaard laagwaardige toiletten en aan de standplaatsvergunning op deze plek. Er is een prijsvraag uitgeschreven voor jonge architecten. In de jury zit een afgevaardigde vanuit het vakgebied landschap en erfgoed, die de plannen zal toetsen vanuit de inpassing in de stijl van het Noorderplantsoen.

Herinrichting Diepenring

Een belangrijke ontwikkeling is de opwaardering van de Diepenring. Hiervoor is de Visie Diepenring ontwikkeld. In de visie wordt de Diepenring het visitekaartje van de binnenstad genoemd. De Diepenring zelf is de ketting (rondom de binnenstad) waaraan een aantal parels hangen. Deze parels geven de Diepenring een eigen karakter en identiteit. Binnen het plangebied liggen drie van deze parels: Noorderhaven, Ossenmarkt en Spilsluizen. Voor elk van de parels zijn doelstellingen geformuleerd (beknopt weergegeven).


De Noorderhaven is karakteristiek vanwege de historische haven met bijbehorende bebouwing (pakhuizen naast arbeiderswoningen). De nadruk ligt hier op het versterken van de historische architectuur en de relatie met het Noorderplantsoen. De wens is om een verblijfsplek te creëren aan het water ter hoogte van de Werfstraat. Voor de Ossenmarkt is de doelstelling om historische plekken beter met elkaar te verbinden (visueel). De Ossenmarkt moet een plek worden voor evenementen, ontmoeten en flaneren. De Spilsluizen kenmerken een zeer dynamisch gebied. Doelstelling hier is om de doorstroom van langzaam verkeer ruimte te geven en om de groene openbare ruimte toegankelijk te maken. Eén van de doelstellingen van de Visie Diepenring wordt met dit bestemmingsplan mogelijk gemaakt. In het groen aan de noordkant van het water wordt de mogelijkheid gecreëerd om op twee locaties de horecafunctie (terras) uit te oefenen.


Verder worden in de visie voorstellen gedaan met betrekking tot herinrichting van de Diepenring. Het idee is de parkeerfunctie te beperken, zodat meer ruimte ontstaat voor een aantrekkelijk ingerichte kade. Eén van de uitgangspunten is het creëren van meer verblijfsplekken op of aan het water, mogelijk in combinatie met terrasfuncties, zoals onder andere bij de Spilsluizen.


Ebbingekwartier

Voor het Ebbingekwartier (voorheen CiBoGa) is een apart bestemmingsplan vastgesteld. Binnen dit gebied wordt het terrein van de voormalige gemeentelijke gasfabriek herontwikkeld, een ontwikkeling die ook van invloed is op dit plangebied. Voor het stedenbouwkundig concept van het Ebbingekwartier hebben vier belangrijke uitgangspunten/ambities de leidraad gevormd:

  • er moet een impuls van de ontwikkeling uitgaan naar de omringende woonwijken en de binnenstad;
  • handhaving en versterking van de goede milieukwaliteit op en rondom het terrein;
  • het reduceren van gemotoriseerd verkeer, onder andere door het werken aan huis te stimuleren;
  • bouwen in een hoge dichtheid, terwijl er nieuwe woonvormen/woonmilieus worden ontwikkeld.


Met het realiseren en toevoegen van meer stedelijke functies in het Ebbingekwartier is er een mooie kans voor het gebied: aansluiting op de structuur van het omringende stedelijke weefsel. Er is plek voor functies die kenmerkend zijn voor, en horen bij een binnenstedelijk gebied. Daarnaast is er de aanwezigheid van het absolute centrum van de stad vlak om de hoek. Dit betekent dat op deze plek een gevarieerd stuk stad kan worden gemaakt.

2.2 Wonen

Woningtypen, bevolking en huishoudtypen

De Hortusbuurt is een populaire woonbuurt, met name bij jongeren. Het aantal inwoners in deze buurt groeit zonder dat er veel woningen bij zijn gekomen. Het aantal inwoners groeide van bijna 4.200 in 2006 naar bijna 4.500 in 2011. De bevolking in deze buurt is zeer jong: 45% van de bevolking in de Hortusbuurt is tussen de 20 en 29 jaar.


Samenhangend met de jonge bevolking staan in de Hortusbuurt relatief veel kamerverhuurpanden. Het aantal vergunningen is ongeveer 200 en bedraagt daarmee ongeveer ééntiende van de woningvoorraad. In het totale gebied is 35% van de woningen in eigendom van een particuliere verhuurder. De corporaties hebben 30% van de woningen in eigendom. Beleggers hebben 9% van de woningen in bezit. Dit bezit is met name geconcentreerd rond het winkelcentrum aan het begin van de Korreweg. Een kwart van de woningen is in bezit van eigenaar-bewoners.


Bijna éénderde van de woningen zijn boven-benedenwoningen. Een derde van de woningen zijn grondgebonden types. Dit zijn met name rijwoningen. De overige woningen zijn appartementen.


Beleidskader

In de Structuurvisie Stad op Scherp (2009) zijn concepten uitgewerkt voor een vitale en levendige stad. De gemeente wil de groei van een compacte stad in het groen blijvend faciliteren. In februari 2010 is als uitwerking van de structuurvisie een nieuwe structuurvisie Wonen vastgesteld: "Kwaliteit van Wonen". Hierin zijn de volgende thema's benoemd:

  • Ieder huishouden in de stad woont naar zijn eigen zin.
  • Nieuwbouw moet gericht zijn op wat nog ontbreekt. Nadruk op drie doelgroepen voor nieuwbouw: jongerenhuishoudens, gezinnen en ouderen. In de Hortusbuurt zijn geen nieuwbouwplannen.
  • Er wordt gestreefd naar evenwichtige wijken met een eigen karakter.


De Hortusbuurt kent al een intensieve bebouwing. Om de huidige woonkwaliteit te bewaren dienen de aanwezige binnenterreinen zoveel mogelijk openbare ruimtes te blijven.

Het bestemmingsplan Herziening bestemmingsregels wonen heeft een beperking gezet op de bouw van kleine woningen. Alleen woningen van 50m2 gebruiksoppervlak of meer zijn nog toegestaan.

Kamerverhuurbeleid

Ten aanzien van kamerverhuur geldt dat het bestemmingsplan en het kamerverhuurbeleid complementair zijn aan elkaar. Het bestemmingsplan maakt deze vorm van huisvesting mogelijk en met het kamerverhuurbeleid (15%-norm) wordt hierop gestuurd. Deze norm wordt niet in het bestemmingsplan geregeld.

Het bestemmingsplan Herziening bestemmingsregels wonen sluit nieuwe kamerverhuur uit. Onzelfstandige kamers mogen wel worden omgezet in zelfstandige woningen van minimaal 24m2 gebruiksoppervlak.

2.3 Bedrijvigheid

Bedrijvigheid

Economisch gezien vormt de Hortusbuurt een natuurlijke overgang van de drukke activiteit in de binnenstad naar de relatief beperkte economische activiteit in de woonwijken. Mede door die overgangssituatie levert de Hortusbuurt ook op economisch gebied een sterk gedifferentieerd beeld op: van binnenstedelijke drukte tot stedelijke rust. Het plangebied kent qua bedrijvigheid voornamelijk menggebieden, vooral in de radiaalstraten Nieuwe Kijk in 't Jatstraat en Nieuwe Boteringestraat. Echter, de Hortusbuurt herbergt ook een karakteristieke aanloopstraat naar het kernwinkelgebied, namelijk de Nieuwe Ebbingestraat, met het bijbehorende winkelbestand. Ook zijn er, verspreid door het plangebied, enkele horecaclusters, zowel binnen in het plangebied als aan beide randen, respectievelijk de Diepenring en het Noorderplantsoen. Dit gedifferentieerde economische beeld, tezamen met wonen en groen, levert een uitstraling en sfeer op die bijdraagt aan en past bij de kwaliteit van dit deel van de stad.


Nieuwe Ebbingestraat en Boterdiep

De Nieuwe Ebbingestraat is van oudsher een aanrij- en aanlooproute naar de binnenstad met een aaneengesloten aanbod van commercieel vastgoed. Vanuit die functie heeft de straat zich ontwikkeld tot een winkelstraat met een gevarieerd aanbod van voornamelijk zelfstandige winkeliers, met daarnaast een ruim aanbod aan horeca en dienstverlening. Met het veranderen van de verkeersroutes heeft de Nieuwe Ebbingestraat haar aanrijfunctie grotendeels verloren. Het effect hiervan was een daling in passantenaantallen en leegstand van winkelpanden. Met name het middengedeelte, tussen de Noorderkerkstraat en de Zuiderkerkstraat, heeft het moeilijk. Door de woonfunctie toe te staan op de begane grond, kan worden voorkomen dat leegstand ontstaat.

Door huurprijsdalingen, de komst van de Boterdiepgarage, de effecten van de creatieve activiteiten in het Paleis en op het CiBoGa-terrein en het project Winkelstraatmanagement lijkt de Nieuwe Ebbingestraat weer nieuw perspectief te hebben als straat met enerzijds gevestigde bedrijven en anderzijds startende bedrijven met veelal nieuwe concepten. De straat krijgt met kansen voor de laatste categorie nadrukkelijk een broedplaatsfunctie. Om dit perspectief ruimte te geven dient volledige uitwisseling van functies dienstverlening en detailhandel mogelijk te zijn. Horeca is voldoende aanwezig in de straat. Voor kwalitatief hoogwaardige en/of vernieuwende concepten bestaan afwijkingsmogelijkheden.


Ook het Boterdiep profiteert van genoemde impulsen in het gebied. Het Boterdiep heeft op dit moment echter niet de uitstraling van een winkelstraat en dit zal in de toekomst naar verwachting ook niet veranderen. Daarvoor is de zuigende werking van de naastgelegen Nieuwe Ebbingestraat te groot. Veel meer zal hier een mix ontstaan van kleinschalige, zelfstandige creatieve bedrijvigheid en ambachten. Detailhandel zal zich hier de komende jaren minder vestigen, maar kan in voorkomende gevallen bestaansrecht hebben, wanneer zij aansluit op de gevestigde bedrijvigheid. Ook woon-werkcombinaties en wonen op de begane grond kunnen hier op aansluiten en dienen geaccommodeerd te worden.


Nieuwe Boteringestraat en Nieuwe Kijk in 't Jatstraat

Zowel de Nieuwe Boteringestraat als de Nieuwe Kijk in 't Jatstraat hebben altijd een sterk gemengd karakter gehad. Wonen en commerciële functies wisselen elkaar in meer of mindere mate af en deze diversiteit draagt bij aan het karakter van de Hortusbuurt en aan de levendigheid van het gebied. Uitwisseling tussen wonen, bedrijvigheid, detailhandel (met een maximum van 200m2) en zakelijke dienstverlening dient hier mogelijk te zijn, ook met het oog op wijkeconomie. De huidige horeca (ook in zijstraten, zoals de Kleine Rozenstraat) voorziet het gebied in voldoende mate. Gezien de ruime hoeveelheid wonen in deze straten is uitbreiding van de horecafunctie ongewenst.


Noorderhaven tot Turfsingel

De zuidkant van het plangebied Hortusbuurt grenst aan de Diepenring en heeft een sterk binnenstedelijk karakter. Op dit moment is er een diversiteit van functies aanwezig, met voornamelijk wonen, afgewisseld met dienstverlening en een enkele horeca- of detailhandelsvestiging. Nu nog voornamelijk op verkeer en parkeren gericht, zal deze zone op termijn meer een verblijfsklimaat krijgen met het project 'Herinrichting Diepenring', het potentieel verdwijnen van parkeren en het inrichten van een gebied gericht op voetgangers. Op dat moment krijgen commerciële functies meer bestaansrecht. In het gebied dienen wonen, bedrijvigheid, dienstverlening en detailhandel vrij uitwisselbaar zijn, waarbij aan detailhandel een maximum van 200m2 gesteld wordt. Gezien de hoeveelheid wonen is uitbreiding van de horecafunctie in principe ongewenst. Er is wel een afwijkingsmogelijkheid opgenomen. Eis daarbij is dat de horeca op het dag- en avondpubliek gericht is en niet zozeer op het nachtpubliek. Op dit moment vinden er twee terrasontwikkelingen plaats, namelijk in de groenstroken bij de Spilsluizen en de Turfsingel, geëxploiteerd door de tegenoverliggende horeca. Deze terrassen zullen als zodanig aangeduid worden.


Nieuwe Kerkhof

Aan het Nieuwe Kerkhof zijn op dit moment twee horecabedrijven gevestigd.


Locatie Singelweg-Van Kerckhoffstraat

Gezien de relatie met het CiBoGa-terrein en de diversiteit aan functies dienen hier zowel culturele als commerciële functies mogelijk te zijn. Bedrijvigheid en dienstverlening kunnen zich hier vestigen; detailhandel is, gezien de nabijheid van winkelcentrum De Beren en de solitaire locatie, uitgesloten. Voor horeca is een binnenplanse afwijkingsmogelijkheid van het bestemmingsplan opgenomen.


Werken aan huis

Meer en meer worden in de laatste jaren beroepen aan huis uitgeoefend dan wel kleinschalige bedrijvigheid aan huis bedreven. Dit wordt nog eens onderstreept door de toename van inschrijvingen bij de Kamer van Koophandel en onderzoeken in het kader van de ontwikkeling van wijkeconomie die de laatste tijd landelijk wordt gepubliceerd. In het licht van deze trend en het feit dat burgers meer en meer tot mengvormen van ZZP (Zelfstandige Zonder Personeel)-activiteiten en loondienst neigen om in hun bestaan te voorzien, worden in dit bestemmingsplan aan huis verbonden beroepen bij recht toegestaan. Voor het toestaan van kleinschalige bedrijvigheid aan huis is een binnenplanse afwijkingsmogelijkheid opgenomen. Voorwaarde is dat de woonfunctie in stand blijft.

2.4 Voorzieningen

De Hortusbuurt kent verschillende maatschappelijke voorzieningen, waaronder diverse scholen/universiteitsgebouwen, een kerk, de rechtbank en nog te bouwen gymlokalen.

2.5 Verkeer

Verkeersstructuur

De verschillende gemeentelijke beleidsnota's gaan uit van een nauwe samenhang tussen het ruimtelijke beleid en het verkeers- en vervoersbeleid. Dit tegen de achtergrond van het verbeteren van de bereikbaarheid en leefbaarheid van de stad. Het verkeers- en vervoersbeleid is vooral gericht op stimulering van het gebruik van het openbaar vervoer en langzaam verkeer. Dit impliceert een efficiënter gebruik van de bestaande verkeersruimte en een duidelijke verkeersstructuur. De doorstromingscapaciteit op het stedelijke hoofdwegennet en bundeling van verkeersstromen is daarbij van belang. In de tussenliggende gebieden is een zo aangenaam en veiliger woon- en leefklimaat het doel.


In het kader van het landelijke concept "Duurzaam Veilig" zijn in de gemeentelijke nota "Kalm aan en rap een beetje" alle wegen in de gemeente Groningen onderverdeeld in een drietal categorieën, te weten stroomwegen (ringwegen), gebiedsontsluitingswegen (50 km/u), waar stromen centraal staat en erftoegangswegen (30 km/u), waar verblijven centraal staat.


Auto

Aan de zuidzijde wordt het gebied begrensd door de Turfsingel NZ, Spilsluizen NZ, Lopendediep, Noorderhaven en Wilhelminakade. Deze wegen hebben, met uitzondering van de Wilhelminakade, een éénrichtingsregime van oost naar west. In het oosten vormt het Boterdiep de begrenzing van het gebied. Het Boterdiep behoort zelf niet tot het gebied. In het noorden en westen wordt de begrenzing gevormd door de Oranjesingel, Grachtstraat en Noorderbuitensingel, waardoor het Noorderplantsoen geheel binnen het plangebied ligt. Ten oosten van het Boterdiep behoort ook het gebied rondom De Beren tot het plangebied.


De Turfsingel NZ, Spilsluizen NZ, Lopendediep, Noorderhaven en Wilhelminakade zijn gecategoriseerd als gebiedsontsluitingswegen binnen de bebouwde kom. Ook de gedeelten van het Boterdiep en de Korreweg die tot het plangebied behoren zijn gecategoriseerd als dit wegentype. Op deze wegen geldt een maximumsnelheid van 50 km/u. Hierbij heeft het Boterdiep niet alleen een belangrijke ontsluitende functie voor de Hortusbuurt, maar vormt zij ook een verbinding voor verkeer tussen wijken en de ontsluiting van de binnenstad.


Met uitzondering van de Nieuwe Ebbingestraat, Brouwerstraat, Pijpstraat, Korenstraat en Wipstraat zijn alle overige wegen binnen het gebied erftoegangswegen (woonstraten) waar verblijven centraal staat en een maximumsnelheid van 30 km/u geldt. Bovengenoemde wegen zijn wel gecategoriseerd als erftoegangswegen, maar op deze wegen geldt een maximumsnelheid van 50 km/u.


Overgangen van een gebiedsontsluitingsweg naar een erftoegangsweg zijn zo vormgegeven dat de weggebruiker wordt gewezen op het veranderde snelheidsregime en het te verwachten verkeersgedrag. De aansluitingen zijn vormgegeven met een voorrangskruispunt in combinatie met een 30 km/u aanduiding of een zogenaamde inritconstructie.


afbeelding "i_NL.IMRO.0014.BP572HortusbNplaGV-gv01_0025.jpg"

Verkeer - auto


Fiets

In de beleidsnota 'Fietsverkeer 2000' wordt de fietsstructuur in de stad Groningen onderverdeeld in een hoofdfietsstructuur en een secundaire structuur. In onderstaande afbeelding is inzichtelijk gemaakt welke straten behoren tot de hoofdfietsstructuur en de secundaire fietsstructuur.


Hoofdfietsstructuur

Met uitzondering van de Wilhelminakade en de fietsverbindingen door het Noorderplantsoen maken fietsers gebruik van dezelfde infrastructuur als het gemotoriseerde verkeer. Dit komt overeen met de kwaliteitseisen voor de hoofdfietsstructuur waarin staat aangeven dat de hoofdfietsstructuur dient te beschikken over aparte fietsvoorzieningen, met uitzondering van wegen waar een 30 km/u-regime geldt. Op de Wilhelminakade hebben fietsers de beschikking over een vrijliggend fietspad. De gemeente Groningen heeft de wens om een hoofdfietsverbinding te realiseren vanaf het Boterdiep naar de Oosterhamrikkade.


Secundaire fietsstructuur

Fietsers maken hier gebruik van dezelfde rijbaan als gemotoriseerd verkeer en hebben niet de beschikking over een aparte fietsstructuur. De gemeente Groningen heeft daarnaast de wens de Kleine Leliestraat, het Nieuwe Kerkhof en de Korenstraat toe te voegen aan de secundaire fietsstructuur indien een hoofdfietsverbinding wordt gerealiseerd vanaf het Boterdiep naar de Oosterhamrikkade.


afbeelding "i_NL.IMRO.0014.BP572HortusbNplaGV-gv01_0026.jpg"

Verkeer - fiets


Parkeren

In de gehele Hortusbuurt - Noorderplantsoen geldt betaald parkeren. De Hortusbuurt - Noorderplantsoen behoort volgens het parkeerbeleid tot de schilwijken voor betaald parkeren. Dit houdt in dat bewoners parkeren met een parkeervergunning. Het gebied met betaald parkeren wordt begrensd door het Boterdiep, de route door het Noorderplantsoen (Boteringesingel ZZ, Kruissingel, Leliesingel) en de middellijn van de waterwegen Noorderhaven, Lopende Diep, Spilsluizen en Turfsingel. De parkeervergunning en bezoekerspas zijn niet geldig in de straten Wipstraat, Pijpstraat, Brouwerstraat, Nieuwe Ebbingestraat en Guyotplein.


Ondanks het betaald parkeren, is de parkeerdruk in de gehele wijk zeer hoog. Deze benadert veelal de capaciteit. In bijna het gehele gebied wordt in de openbare ruimte geparkeerd, waarbij in de meeste straten parkeervakken zijn aangelegd. De gemeente ontvangt met regelmaat vragen van bewoners van de Hortusbuurt - Noorderplantsoen over het realiseren van parkeerplaatsen 'in het groen' in de wijk. Uitgangspunt is dat de gemeente hier zo terughoudend mogelijk mee om gaat. Bij nieuwbouwplannen dient rekening te worden gehouden met voldoende parkeerruimte voor zowel de auto als de fiets. Het aantal parkeerplaatsen wordt bepaald door de geldende gemeentelijke parkeernormen. De kosten van de parkeerplaatsen zijn voor rekening van de ontwikkelaar.


Naast de parkeerruimte op de openbare weg bevindt de parkeergarage Ossenmarkt zich binnen het plangebied. Ook de parkeergarages Boterdiep en Circus liggen in de directe nabijheid van het plangebied.


Openbaar vervoer

Het openbaar vervoer maakt veelal gebruik van de erftoegangswegen in het gebied. De enige gebiedsontsluitingsweg waar het openbaar vervoer over voert is de Wilhelminakade. Lijnen 1, 2, 11, 61, 171 en 174 maken gezamenlijk gebruik van de Nieuwe Ebbingestraat en het Boterdiep. Beide straten kennen voor het openbaar vervoer een éénrichtingsregime waarbij de Nieuwe Ebbingestraat in noord-zuid wordt afgereden en het Boterdiep zuid-noord. Lijn 5 maakt gebruik van de Turfsingel NZ, Nieuwe Boteringestraat, Grote Kruisstraat, Kerklaan, Nieuwe Kerkhof en Korenstraat. Lijn 15 en 309 maken gebruik van de Wilhelminakade en rijden verder via de Westersingel en Koninginnelaan.

2.6 Openbare ruimte

2.6.1 (Ecologische) groenstructuur

In deze paragraaf wordt de groenstructuur van het plangebied beschreven. Deels is deze structuur vastgelegd in de groenstructuurvisie "Groene Pepers". Dit betreft met name het openbaar groen. Echter binnen het plangebied komt ook veel niet openbaar waardevol groen voor.


Groenstructuurplan

In de groenstructuurvisie Groene Pepers, vastgesteld in maart 2009, is op de groenstructuurkaart (zie kaart 4) onderscheid gemaakt tussen de basisgroenstructuur en de nevengroenstructuur. Gestreefd wordt naar versterking van de functionele kwaliteit en complementering van de basisgroenstructuur. Binnen het plangebied behoren de drie kroonjuwelen (het Noorderplantsoen, het Nieuwe Kerkhof en het Guyotplein) tot de basisgroenstructuur. Daarnaast is ook de Diepenring basisgroenstructuur.


afbeelding "i_NL.IMRO.0014.BP572HortusbNplaGV-gv01_0027.jpg"

Groenstructuurplan


Kroonjuwelen

Het Noorderplantsoen is een park aangelegd op de stadswallen uit de 17e eeuw. In 1874 verloren de stadswallen hun functie als vestingwerk. Vier bastions en de omgrachting werden opgenomen in het park. Het Noorderplantsoen werd in drie fasen ontworpen. Het eerste ontwerp was gemaakt door landschapsarchitect B. Brouwer in de formele Franse stijl. Later hebben landschapsarchitecten H. Copijn en P. van Harreveld het park omgevormd in de romantische Engelse stijl. Van het ontwerp van Brouwer resteert alleen nog de centrale vijver met trappartijen. Dankzij de centrale ligging van het Noorderplantsoen in de stad is het park zeer populair in gebruik geworden. Het functioneert als park voor de hele stad en is onder andere bekend van het festival "Noorderzon" dat in het plantsoen wordt gehouden. Het park heeft inmiddels een monumentale status.


Het Nieuwe Kerkhof is het kerkhof behorende bij de Nieuwe Kerk. De Nieuwe Kerk werd gebouwd in 1660, maar ook daarvoor was het kerkhof al in gebruik voor pestdoden. Tegenwoordig resteert er van het kerkhof nog een open grasveld met grote bomen die de wijk een statig karakter geven. Het kerkhof is symmetrisch opgebouwd, de kerk staat in het middelpunt en vanuit de hoeken van de rechthoekige ruimte lopen paden naar de kerk toe vergezeld van laanbeplanting.


Het Guyotplein is de groene tegenhanger van de Ossenmarkt. In het verleden is het een onderdeel geweest van de Ossenmarkt zelf, maar later is het vernoemd naar Henri Daniel Guyot die als eerste een instituut voor doven oprichtte aan het westelijke gedeelte van het toenmalige plein. Dit westelijke gedeelte is nu dus bekend als het Guyotplein en heeft in tegenstelling tot de Ossenmarkt een groene invulling bestaande uit gras en grote statige bomen. In het midden van het plein is een monument opgericht gewijd aan Henri Daniel Guyot.


Gasthuizen en binnengebieden

Naast de groene Kroonjuwelen zijn er nog andere belangrijke groenstructuren te onderscheiden in de Hortusbuurt; gasthuizen en binnengebieden. De gasthuizen in de wijk zijn vaak semi-openbare binnenterreinen. De gasthuizen zijn met hun voorkanten gericht op deze terreinen waardoor de groene tuinen als collectieve ruimtes functioneren.


Daarnaast zijn er nog diverse grote binnengebieden binnen de bouwblokken in gebruik als tuinen. Deze tuinen zijn soms (semi)openbaar en soms privé. Desalniettemin zijn deze gebieden waardevol omdat ze vaak oud en monumentaal groen bevatten dat ook een ecologische waarde heeft. Een bijzondere tuin is de Hortustuin, de voormalige Hortus Botanicus van de Rijksuniversiteit Groningen. Deze maakt weliswaar geen onderdeel uit van dit bestemmingsplan, maar het is het groenelement waar de Hortusbuurt haar naam aan ontleend.


Tot slot zijn er nog losse groenelementen die deel uitmaken van openbaar groen zoals bijvoorbeeld de rand van de Turfsingel bij de Ebbingebrug. Zie onderstaande kaart voor de totale groenstructuur binnen het plangebied.

afbeelding "i_NL.IMRO.0014.BP572HortusbNplaGV-gv01_0028.jpg"
Groenstructuur


Bomenstructuurplan

In het Boomstructuurplan (vastgesteld in 2002) is de huidige situatie weergegeven en daarnaast de gewenste situatie met betrekking tot de boomstructuren in het plangebied. Er wordt onderscheid gemaakt tussen een hoofd- en nevenstructuur. Daarnaast wordt onderscheid gemaakt in de gewenste grootte van de bomen. In de Hortusbuurt zijn de volgende boomstructuren te onderscheiden (zie onderstaande kaart .


De randen van de Kroonjuwelen worden begeleid door hoofdboomstructuren van de eerste grootte. Daarnaast hebben de Turfsingel, het Boterdiep en de Korreweg hoofdboomstructuren van de eerste grootte. In de Hortusbuurt zijn met name de straten in het westelijke gedeelte beplant met boomstructuren. Het oostelijke gedeelte heeft geen boomstructuren naast die langs de Kroonjuwelen, de Ossenmarkt en het Boterdiep. Heel bewust is ook de Nieuwe Ebbingestraat niet beplant met bomen om de zichtas op de Martinitoren vanuit deze straat te waarborgen.

afbeelding "i_NL.IMRO.0014.BP572HortusbNplaGV-gv01_0029.jpg"

Bomenstructuurplan


Speelterreinen

In 2010 heeft het college van burgemeester en wethouders een speelruimtenorm van 3% voor alle bestemmingsplannen vastgesteld. Dat betekent dat 3% van het "voor wonen bestemde gebied" gereserveerd moet worden voor speelruimte. Binnen dit plangebied komen speelterreinen voor in de aanwezige groenstructuren (onder andere Noorderplantsoen). Door speelvoorzieningen expliciet toe te staan binnen de bestemming Groen en Verkeer wordt voldaan aan bovengenoemde norm.


Natuurwaarden

Dit oudere stadsdeel kenmerkt zich door een groot historisch waardevol groenpark: het Noorderplantsoen. Samen met het groengebied rond de Nieuwe Kerk behoort dit plantsoen tot de vastgestelde Stedelijke Ecologische Structuur (SES) met de kwalificatie Kerngebied. Langs De Beren loopt een te ontwikkelen ecologische verbinding om het Noorderplantsoen en het Oosterhamrikkanaal met elkaar te verbinden. Deze laatste is eveneens onderdeel van de SES. Noorderplantsoen, Guyotplein en het groen rond de Nieuwe Kerk hebben in het Groenstructuurplan de bijzondere onderscheiding Kroonjuweel. Deze onderscheiding is te danken aan de bijzondere combinatie van historische en ecologische waarden. Naast bovengenoemde gebieden zijn het de zogenaamde gasthuizen, de "binnengroentjes" van particuliere tuinen en de boomstructuren langs wegen die natuurfuncties dragen.

De natuurwaarden van het Noorderplantsoen zijn goed onderzocht en beschreven. De stinzenplantencollectie is zeer uitgebreid in soorten en aantallen, waaronder bosgeelster, gele kornoelje, holwortel, winterakoniet en blauwe anemoon. In de struik- en boomsoorten zijn naast inheemse soorten ook veel cultuursoorten opgenomen. De variatie hierin, maar vooral de hoge ouderdom, resulteert in hoge faunistische waarden. Voor zes tot zeven verschillende vleermuissoorten, waaronder watervleermuis, meervleermuis, rosse vleermuis en ruige dwerg, is het een belangrijk foerageergebied. Enkele bomen zijn vleermuisverblijfplaatsen. Beide functies, foerageergebied en verblijfplaats, zijn beschermd. De variatie in beplanting resulteert verder in een soortenrijke broedvogelpopulatie met soorten als grote bonte specht, boomklever, holenduif, zwartkop, vink en braamsluiper.

Dit stadsdeel kenmerkt zich, naast de aanwezigheid van Noorderplantsoen, Nieuwe Kerk en Guyotplein, door een vrij groot aantal gasthuizen die wisselen in ouderdom, grootte, locatie en vorm van beplanting. Hier staan verschillende, soms zeldzame, maar ook monumentale boomsoorten, struiken en kruidachtige planten. Voorbeelden van bijzondere bomen zijn onder andere walnotenbomen, een tulpenboom, fenijnbomen, acacia, rode beuk en amberboom. Ook herbergen de gasthuizen veel soorten stinzenplanten, waaronder lieve vrouwe bedstro, karmozijnsbes, knopige ooievaarsbek, maagdenpalm, en groene ossetong. In al deze groenelementen leven (deel)populaties van onder andere verschillende en beschermde vleermuissoorten, egels, muizen, vlinders en vogelsoorten.


Hetzelfde geldt, zij het in mindere mate, voor de zeer vormenrijke natuur van de stoeptegel- of geveltuintjes in dit stadsdeel, in de Grote Leliestraat, Grote Rozenstraat en de Grote en Kleine Appelstraat. Stoeptegeltuintjes en gevelbegroeiingen leveren voedsel voor vogels, bijen en vlinders, beschutting en nestgelegenheid.


De kades langs de Diepenring herbergen op vele plaatsen kenmerkende en soms beschermde muurplanten. Het gaat dan om muurvaren, muurpeper, steenbreekvaren, eikvaren, tripmadam, muursla, muurleeuwebek en mediterrane soorten als vijgeboom, vlinderstruik en muurfijnstraal.


Indien vleermuisverblijfplaatsen of -vliegroutes aanwezig zijn, zijn deze locaties of trekroutes beschermd.

2.6.2 Waterstructuur

Het gebied bevindt zich ten noorden van de Noorderhaven en wordt aan de noordzijde begrensd door het Noorderplantsoen. Aan de oostzijde wordt het gebied begrensd door de Korreweg en de Singelweg. Binnen het gebied ligt alleen oppervlaktewater in het Noorderplantsoen en De Beren.

De vijvers van het Noorderplantsoen maken onderdeel uit van de watermolen. De watermolen is een systeem dat zorgt voor de circulatie van oppervlaktewater tussen de vijvers van het Noorderplantsoen en het afgezette deel van het Oosterhamrikkanaal. Via een gemaal aan de Singelweg en een persleiding via de Bloemsingel en de Noorderbinnensingel wordt water vanuit het afgezette deel van het Oosterhamrikkanaal verpompt naar het begin van de vijvers van het Noorderplantsoen (nabij de Wilhelminakade). Het water stroomt vervolgens door de vijvers naar het noorden toe af. Ter plaatse van de Nieuwe Ebbingestraat stroomt het water via een duiker ø800mm door de Bloemsingel weer af naar het afgezette deel van het Oosterhamrikkanaal. De vijver bij De Beren heeft een aftakking van dit systeem. De waterpartijen worden door middel van een drietal stuwconstructies op drie verschillende niveaus gehouden. De werking van de watermolen is op de volgende figuur weergegeven.

afbeelding "i_NL.IMRO.0014.BP572HortusbNplaGV-gv01_0030.jpg"

Structuur watermolen


Het overtollige water van het gebied watert af naar de waterpartijen in het Noorderplantsoen. Deze waterpartijen hebben van oudsher een recreatieve functie. Daarnaast worden de vijvers gebruikt als overstortvijver. In de vijver liggen twee bergingszakken van het gemengde stelsel, één ter hoogte van de Noorderdwarsstraat en één tussen de Bergstraat en de Kerkstraat.


Waterfunctie

Groningen is een waterrijke stad en het water in de stad is zeer divers. Aan elk water in de stad is een functie toegekend. Voor elke functie is een streefbeeld opgesteld. Dit streefbeeld bepaalt het onderhoud en beheer. Functiegericht beheer en onderhoud sluit aan bij de centrale ambitie op watergebied: het streven naar een duurzaam stedelijk waterbeheer.


In onderstaande figuren is de huidige situatie en de ambitie voor water weergegeven.

afbeelding "i_NL.IMRO.0014.BP572HortusbNplaGV-gv01_0031.jpg"

Huidige waterfunctie

afbeelding "i_NL.IMRO.0014.BP572HortusbNplaGV-gv01_0032.jpg"

Ambitie waterfunctie


In het gebied van bestemmingsplan komen de volgende functies voor:

  • Stedelijk water
  • Duurzaam stedelijk water
  • Esthetisch stedelijk water


Stedelijk water ligt in de regel in het stedelijk gebied en nabij woonwijken. Het water dient voor berging van water en deels voor de aan- en afvoer van water. Duurzaam stedelijk water treffen we veelal aan in of nabij nieuwe woonwijken en in kleinere stadsparken. Dit water heeft een goede waterkwaliteit. Wat betreft esthetisch stedelijk water ligt in de Bloemsingel een kleine vijver die aangesloten is op de watermolen. Deze vijver heeft hier een esthetische uitstraling.


Waterberging

In het gebied is voldoende waterberging aanwezig om het neerslagoverschot dat tijdens het klimaatscenario T=100+10% optreedt te bergen, met uitzondering van het gebied De Beren. De maximale waterstandstijging in het gebied Binnenstad-noord bedraagt 85 cm. Er is in het gebied geen kans op wateroverlast. Het gebied rond de Beren loopt risico op wateroverlast. (Bron Stedelijke Wateropgave).

Binnen het plangebied is het water van het Noorderplantsoen van ruimtelijk belang. Dit water volgt de oorspronkelijke loop van de bolwerken met de daarachter gelegen gracht. De waterstructuur is daarmee van historisch belang en wordt om die reden bestemd tot Water. Naast een cultuurhistorisch belang heeft het water vooral een toeristisch-recreatieve functie en is het van groot belang voor de totale beleving van het Noorderplantsoen. Dit water heeft een belangrijke ecologische functie in het park. Hier leven naast water- en oevervogels, libellen en verschillende vissoorten. Daarnaast foerageren er vleermuizen. Ook enkele niet-inheemse roodwangschilpadden komen al jaren in de parkvijvers voor. Het water is vooral een belangrijke biotoop voor vissen, water- en oevervogels, amfibieën en libellen. Vogels, denk bijvoorbeeld aan de blauwe reiger en aalscholver, maar ook vleermuizen, gebruiken het water als foerageergebied. Voor ecologische wateren wordt gestreefd naar een hogere waterkwaliteit. Doorzicht, doorstroming, ondergedoken waterplanten en het ontwikkelen van ecologische oevers zijn daarvoor belangrijk. Met het project 'Stedelijke Watermolen' heeft de kwaliteit op verschillende van deze punten een enorme positieve impuls gekregen. Het is echter van belang om alle schakels in dit systeem te optimaliseren wil de echte winst behaald worden.


Langs De Beren en de Bloemsingel ligt de ecologisch te ontwikkelen verbinding als onderdeel van het project 'Stedelijke Watermolen'. Deze verbinding loopt tussen Noorderplantsoen en Oosterhamrikkanaal en Kardinge.

Buiten het plangebied ligt het water van de Diepenring. Deze waterstructuur heeft eveneens een belangrijke cultuurhistorische waarde. Het vormt de grens tussen de oude historische binnenstad en de eerste grote uitleg (Hortusbuurt). Het water zelf ligt in het bestemmingsplan Openbaar Vaarwater.

Hoofdstuk 3 Randvoorwaarden / omgevingsaspecten

Dit hoofdstuk gaat in op de wijze waarop bij het maken van het bestemmingsplan / het planvormingstraject rekening is gehouden met de omgeving. Aan de hand van de verschillende omgevingsaspecten is aangegeven hoe de in het plangebied voorkomende functies op elkaar zijn afgestemd om overlast en ongewenste effecten op de omgeving te voorkomen.

3.1 Ecologie

Genetische uitwisseling en klimaatopwarming vragen om duurzame goed functionerende groengebieden en ecologische verbindingen tussen groengebieden. Bij ontbrekende verbindingszones of grotere kerngebieden zijn kleinere groengebieden als steppingstones of groene enclaves, zoals in de Hortusbuurt, van belang evenals de boomstructuren langs wegen en kades. Door hun oppervlakte en soortenvariatie hebben gasthuizen en "binnengroentjes" namelijk een belangrijke ecologische waarde. Bij wijkvernieuwing of renovatie moet daarom nadrukkelijk gestreefd worden naar het behouden, integreren en zo mogelijk verbinden van deze kwaliteiten. De muurplanten in de kades dienen ook zoveel mogelijk als bijzondere stadsnatuur behouden te worden.


Alle boomstructuren in het gebied zijn waardevol voor vogels en vleermuizen als nestplaats, voedselvoorziening en trekroute. Inrichting en beheer van alle groengebieden moet afgestemd zijn op het Doelsoorten beleid Stedelijk gebied.


Overige aandachtspunten

De bouwwijzen van huizen in dit stadsdeel kenmerken zich veelal nog door traditionele dakopbouw met dakpannen. In beschikbare holten leven waardevolle stadsdieren als gierzwaluwen, huismussen, roodstaarten en verschillende vleermuissoorten. Binnen dit plan zijn grotere kolonieplaatsen van gierzwaluwen vastgesteld o.a. in de Grote Leliestraat, Nieuwe Kijk in't Jatstraat, Nieuwe Boteringestraat, Kleine Kruisstraat, Grote en Kleine Rozenstraat, Noorderkerkstraat, Noorderhaven, Korenstraat, Wipstraat, Violenstraat en Boterdiep. De aantallen van deze soorten nemen stadsbreed af. De nog resterende mussenpopulaties in dit stadsdeel komen vaak overeen met de locaties van gasthuizen, "binnengroentjes" en of grote achtertuinen. Al deze nestplaatsen zijn beschermd en moeten voor sloop of renovatie gecompenseerd worden. Bij renovatie en nieuwbouwplannen is het überhaupt noodzakelijk voorzieningen voor deze soorten als randvoorwaarde op te nemen. Bij nieuwbouw moet tevens nadrukkelijk ingezet worden op het realiseren van dakvegetaties.


Deze dragen in een intense stad in hoge mate bij aan verhoging van de kwaliteit van de leefomgeving en de duurzaamheid.


Wet- en regelgeving

Door middel van quickscans en zonodig nader onderzoek dienen ruimtelijke ontwikkelingen getoetst te worden aan de Flora- en Faunawet als ook aan het stedelijke ecologisch beleid. De afstand tot de Ecologische Hoofdstructuur Structuur- Koningslaagte bedraagt circa 2 kilometer. De afstand tot het Leekstermeergebied bedraagt ruim 5 kilometer.

3.2 Water

Het waterbeleid voor Groningen is vastgelegd in 'Waterwerk' het Groninger water- en rioleringsplan 2009-2013. Daarnaast wordt gewerkt volgens de stedelijk wateropgave van het waterschap Noorderzijlvest en van het waterschap Hunze en Aa's. In onderstaande figuur is het beleidskader weergegeven.

afbeelding "i_NL.IMRO.0014.BP572HortusbNplaGV-gv01_0033.jpg"

Beleidskader water

Het beleid is vertaald in ambities voor de gemeente Groningen. De centrale ambitie is het streven naar een duurzaam stedelijk waterbeheer. Doelen bij het duurzaam stedelijk waterbeheer zijn onder meer:

  • Inspelen op klimaatveranderingen.
  • Voorkomen en beperken van wateroverlast.
  • Inrichten en beheren van het water op een wijze die aansluit bij natuurlijke processen.
  • Verhogen van de natuurwaarde van wateren en oevers.
  • Bevorderen van recreatief medegebruik van water en oevers.
  • Verbeteren van de leefomgevingkwaliteit in de wijken.
  • Zuiniger omspringen met drinkwater en grondwater.
  • Vergroten van het maatschappelijke draagvlak voor duurzaam waterbeheer.

Duurzaam stedelijk waterbeheer moet dus leiden tot een natuurlijker functionerend watersysteem. Dit kan worden gerealiseerd door een scala aan maatregelen, zoals waterbesparing, het voorkomen en zonodig terugdringen van verontreinigingen en het natuurlijker inrichten van waterlopen en vijvers.

De natuurlijke relatie van water met zijn omgeving ligt in steeds sterkere mate (mede) ten grondslag aan de ruimtelijke ontwikkeling. Het water als medeordenend principe. Water legt verbindingen tussen bodem, natuurlijke ontwikkeling en de gesteldheid en beleving van de woon- en werkomgeving.
Bij de planvorming wordt in een vroegtijdig stadium overleg met waterbeheerders gezocht (watertoets). In het kader van de watertoets zal nadere uitwerking van de principes van afwatering en ontwatering in relatie tot de waterkwaliteit en de waterkwantiteit plaats moeten vinden in overleg met de waterbeheerder. De locatie valt binnen het beheergebied van waterschap Noorderzijlvest. Het waterschap vervult een adviserende en toetsende rol.

Water en riolering bij in- en uitbreidingen

Bij eventuele ontwikkelingen in het gebied moet rekening gehouden worden met de gevolgen van een toename van verhard en bebouwd oppervlak. Door deze verdere verstedelijking komt regenwater sneller tot afstroming. Voor het bestaande watersysteem betekent deze toename een extra belasting en er moet meer water worden geborgen. Hiervoor wordt door de waterschappen een compensatie in de vorm van oppervlaktewater vereist. Als vuistregel wordt een compensatie van 10% van de toename van het verhard en/of bebouwd oppervlak in de vorm van oppervlaktewater geëist. Indien watergangen gedempt worden door nieuwe ontwikkelingen moet dit gecompenseerd worden door de aanleg van nieuwe watergangen/partijen. Het water moet indien mogelijk vertraagd afvoeren op de bestaande hoofdwatergangen door het plangebied.


Een ander nadeel van de verdere verstedelijking is dat geen regenwater in de bodem verdwijnt. Door de hiermee gepaard gaande grondwaterstandsdaling kan een verdroging van de ondergrond optreden. Dit is voor met name de bomen en het overige groen nadelig. Door de toepassing van bijvoorbeeld infiltratievoorzieningen en waterdoorlatende bestrating wordt water geïnfiltreerd. Door toepassing van deze systemen kan ook water geborgen worden. De plaatselijke grondslag moet duidelijk maken of deze toepassingen gebruikt kunnen worden.


De aanleg van vegetatiedaken/groene daken kan een bijdrage leveren aan het vertraagd afvoeren van regenwater. Het vegetatiedak gebruikt water voor de groei van de beplanting, het bergt enig water en voert het vervolgens vertraagd af. Ecologisch gezien biedt dit ook de nodige voordelen. Meer ruimte en ontwikkeling voor insecten, vogels en andere flora en fauna. In de eventuele verdere uitwerking van concrete plannen moet duidelijk worden hoe de compensatie van een eventuele toename van verhard oppervlak gerealiseerd wordt.


Bodem

De drooglegging is de afstand van het oppervlaktewaterpeil tot aan de bovenzijde van het maaiveld. De ontwateringsdiepte is de afstand van de grondwaterstand tot aan het maaiveld. Het verschil tussen de drooglegging en de ontwateringsdiepte wordt veroorzaakt door de opbolling van het grondwater tussen de watergangen. De ontwateringsdiepte moet bij wegen en bomen minimaal 1 meter zijn en bij gebouwen moet dit minimaal 0,2 meter zijn beneden de afdekking van de bodem van de kruipruimte. Bij kruipruimteloos bouwen moet deze afstand minimaal 0.2 meter beneden de fundering zijn. Op dit moment zijn onvoldoende gegevens beschikbaar om een uitspraak te doen over de ontwateringsdiepte.


In Binnenstad-noord bedraagt de drooglegging bij het winterpeil ten opzichte van het laagste relevante maaiveld 0,9 meter bij een oppervlaktewaterpeil van 0,1 meter boven NAP. In het gebied rond De Beren bedraagt de drooglegging 1,23 meter bij het peilgebied van 0,93 meter onder NAP (bron: stedelijke wateropgave Groningen). De drooglegging in Binnenstad-noord is te klein, in het gebied rond De Beren is de drooglegging goed.


Riolering

Het plangebied valt binnen twee bemalingsgebieden, Oranjebuurt en Korrewegbuurt. Beide bemalingsgebieden zijn gemengd gerioleerd.


Bouwmaterialen

Bij de bouw van de gebouwen mogen geen materialen gebruikt worden die milieuverontreinigend zijn zoals lood, zink en koper. Ook bepaalde bitumen en behandeld hout logen milieugevaarlijke stoffen uit welke via het regenwater in het oppervlaktewater terecht kunnen komen.

3.3 Milieu

Het voorliggend plan is een conserverend plan, dat in het kader van de actualisering van oude bestemmingsplannen is opgesteld. Dit betekent dat er geen nieuwe ontwikkelingen in dit plan worden meegenomen. De volgende paragrafen gaan in op de milieuaspecten die relevant zijn voor dit conserverende bestemmingsplan. Achtereenvolgens wordt ingegaan op bedrijven(terreinen), geluid, luchtkwaliteit, externe veiligheid en bodem.

3.3.1 Bedrijven(terreinen)

Bedrijven kunnen hinder (geur, stof of geluid) of gevaar veroorzaken en daardoor de kwaliteit van de leefomgeving beïnvloeden. Dit moet zoveel mogelijk worden voorkomen, vooral bij woongebieden of gevoelige bestemmingen. Anderzijds is het zaak, dat bedrijven zich kunnen ontwikkelen en eventueel uitbreiden.

In de Hortusbuurt zijn bedrijven toegestaan in de categorieën 1 en 2, conform de beschrijving van de VNG in "Bedrijven en milieuzonering". Dergelijke bedrijven passen vanwege hun aard en omvang binnen een woonomgeving. Binnen het plangebied bevinden zich echter enkele categorie 3 bedrijven en één categorie 4 bedrijf. Een overzicht van deze bedrijven is als bijlage bij dit plan gevoegd. Deze bedrijven bevinden zich van oudsher in deze woonwijk. Op dit moment veroorzaken deze inrichtingen geen overlast voor de omgeving. Bij vertrek van één van deze inrichtingen heeft het de voorkeur dat maximaal een categorie 2 inrichting hiervoor terugkomt. De regels van dit bestemmingsplan staan geen nieuwe bedrijven toe die vanwege de aard van de bedrijvigheid een risicocontour hebben die buiten het eigen terrein is gelegen.

De Wet ruimtelijke ordening schrijft de zorg voor een goede ruimtelijke ordening voor. Bedrijfsmatige activiteiten kunnen invloed hebben op de leefomgeving. Het aanhouden van een bepaalde afstand tussen een bedrijfsmatige activiteit en een woonbestemming is een middel om overmatige hinder te voorkomen. De VNG uitgave "Bedrijven en milieuzonering" geeft hiervoor een handreiking. De Wet algemene bepalingen omgevingsrecht (Wabo) en de Wet Milieubeheer stellen regels aan de milieugevolgen die ontstaan als gevolg van bedrijfsmatige activiteiten. Het gaat daarbij om regels ten aanzien van het voorkomen of beperken van bijvoorbeeld geluidhinder, bodemverontreiniging en risicovolle situaties. In artikel 2.1 Wabo is aangegeven dat het verboden is een inrichting op te richten zonder daarbij in het bezit te zijn van een oprichtingsvergunning. Dit verbod is niet van toepassing indien de inrichting in het activiteitenbesluit (Barim) genoemd is als een type A of B inrichting. Indien het een type A of B inrichting is, dan is respectievelijk geen melding nodig of is het doen van alleen een melding verplicht.

3.3.2 Geluid (weg, spoor en industrie)

Geluid is één van de factoren die invloed kan hebben op de beleving van de leefomgevingskwaliteit. Daarom moet er bij nieuwe ruimtelijke- of verkeersontwikkelingen akoestisch onderzoek plaatsvinden om de geluidsituatie in beeld te brengen. Hierbij moet de geluidbelasting op de gevel van geluidgevoelige bestemmingen worden getoetst aan de wettelijke geluidnormen. Hierbij worden drie bronnen van geluidhinder onderscheiden:

  • 1. wegverkeerslawaai
  • 2. industrielawaai
  • 3. spoorweglawaai


Voor de bestaande situatie in dit plangebied zijn de eerste twee bronnen van geluidhinder relevant.


Wegverkeerslawaai

In en langs het plangebied liggen 50 kilometerwegen, zoals de Wilhelminakade, Noorderhaven en Nieuwe Ebbingestraat. Alle 50 kilometerwegen vallen onder de werkingssfeer van de Wet geluidhinder. De geluidbelasting vanwege deze wegen op nabijgelegen woningen of andere geluidgevoelige bestemmingen kan op een aantal drukke punten hoger zijn dan de voorkeursgrenswaarde van 48 dB uit de Wet geluidhinder. Deze wet heeft geen gevolgen voor de bestaande situatie. De meeste overige wegen in het bestemmingsplan zijn 30 kilometerwegen en niet zoneplichtig in het kader van de Wet geluidhinder. Een maatregel om het wegverkeerslawaai te beperken is het toepassen van stil asfalt. Waar nodig en (technisch) mogelijk kan een wegdek bij groot onderhoud worden vervangen door stil asfalt.

Industrielawaai

De geluidszone van industrieterrein Groningen West Hoogkerk liep vroeger gedeeltelijk over het plangebied. Na berekening van de huidige 50 dB(A) contour van industrieterrein Groningen West Hoogkerk blijkt dat de geluidszone teruggelegd kan worden. De modelberekening is als bijlage bij dit bestemmingsplan gevoegd. In dit bestemmingsplan is de geluidszone van industrieterrein Groningen West Hoogkerk teruggelegd tot op de grens van het plangebied.

3.3.3 Luchtkwaliteit

De Wet luchtkwaliteit geeft het kwaliteitsniveau aan waaraan de buitenlucht moet voldoen om ongewenste effecten van luchtverontreiniging op de gezondheid van mensen te voorkomen. In deze wet zijn luchtkwaliteitsnormen vastgelegd voor onder meer stikstofdioxide (NO2) en fijn stof (PM10). De voornaamste bron van luchtverontreiniging in Groningen is het wegverkeer. De bijdrage van het lokale verkeer aan de luchtverontreiniging wordt berekend met behulp van een wettelijk voorgeschreven model. Voor het bestemmingsplan Hortusbuurt-Noorderplantsoen is nagegaan wat de concentraties zijn van de luchtverontreinigende stoffen en of er luchtkwaliteitsnormen worden overschreden. Hierbij is gekeken naar de jaren 2010 en 2020. De concentraties zijn berekend voor de drie meest drukke wegen in het plangebied te weten: Boterdiep, Nieuwe Ebbingestraat en Nieuwe Boteringestraat. Als input voor de berekeningen zijn verkeerscijfers gebruikt uit het verkeersmodel Regio Groningen - Assen (RGA), versie 1.2. Uit de berekeningen blijkt dat de onderzochte situatie voldoet aan de luchtkwaliteitsnormen. Dit betekent dat er vanwege de luchtkwaliteit geen belemmeringen zijn voor de vaststelling van dit bestemmingsplan. Voor meer informatie over luchtkwaliteit en de resultaten van de modelberekeningen wordt verwezen naar de "Notitie luchtkwaliteit". Deze is als bijlage bij dit bestemmingsplan opgenomen.

3.3.4 Externe Veiligheid (transport, bedrijven/instellingen en buisleidingen)

Externe veiligheid gaat over overlijdensrisico's die mensen lopen vanwege productie, gebruik, opslag en vervoer van gevaarlijke stoffen over weg, spoor, vaarwegen en buisleidingen. Gevaarlijke stoffen zijn bij voorbeeld vuurwerk, lpg, chloor, ammoniak en munitie. De term 'externe' veiligheid wordt gehanteerd omdat het overlijdensrisico van derden centraal staat. Het gaat om mensen die zelf niet deelnemen aan de activiteit die het overlijdensrisico met zich meebrengt.

De minister van Infrastructuur & Milieu (I&M) is verantwoordelijk voor de coördinatie van het externe veiligheidsbeleid voor gevaarlijke stoffen. Het Besluit Externe Veiligheid Inrichtingen (BEVI, VROM, 2004, laatst gewijzigd 2009) bevat veiligheidsnormen voor bedrijven. Het beleid voor gevaarlijk transport staat in de nota 'Vervoer gevaarlijke stoffen', opgesteld door het ministerie van Verkeer en Waterstaat (2005) in nauwe samenwerking met I&M. Voor aardgastransportleidingen geldt het Besluit Externe Veiligheid Buisleidingen (Bevb, 2011). Op dit moment wordt nieuw wettelijk instrumentarium ontwikkeld voor het transport van gevaarlijke stoffen (Besluit Transport Externe Veiligheid (BTEV), verwacht in 2012 en Basisnetten Weg, Spoor en Water).

De genoemde kaders verplichten gemeenten om bij het opstellen van ruimtelijke plannen veiligheidsafstanden toe te passen en het externe veiligheidsrisico zo laag mogelijk te houden.

Veiligheidsrisico's worden uitgedrukt in het plaatsgebonden risico en in het groepsrisico. Het plaatsgebonden risico vormt het basisbeschermingsniveau voor individuele burgers, het groepsrisico is een maat voor de maatschappelijke ontwrichting bij een ramp. Bij het vaststellen van ruimtelijke plannen dient de gemeente het groepsrisico te verantwoorden.

De Milieudienst van de gemeente Groningen heeft voor het bestemmingsplan een risico-inventarisatie uitgevoerd. Hieruit blijkt dat er binnen het plangebied geen risicobronnen aanwezig zijn. Wel is er in de omgeving van het plangebied een risicobron aanwezig, te weten de spoorlijn Onnen-Sauwerd. Het plangebied ligt binnen het invloedsgebied van deze spoorlijn. Uit nader onderzoek is gebleken dat aan veiligheidsnormen wordt voldaan. Dat wil zeggen dat voor deze risicobron wordt voldaan aan de grens- en richtwaarde van het plaatsgebonden risico, alsmede voor het plasbrandaandachtsgebied (PAG). Aangezien het plangebied op ongeveer 160 meter van het spoor ligt is het PAG niet relevant. Voor de meeste ongevallenscenario's geldt dat het effectgebied veel kleiner is dan 200 meter. Er zijn echter enkele scenario's met een grotere effectafstand. Het plangebied ligt daarom voor een deel binnen het invloedsgebied van het spoor. De verantwoording groepsrisico is uiteengezet in de veiligheidsstudie die als bijlage is toegevoegd. De geplande actualisering van het bestemmingsplan heeft echter geen enkele toename van het groepsrisico tot gevolg.

De regionale brandweer heeft daarnaast geconstateerd dat, bij een ongeval met gevaarlijke stoffen op het spoor Groningen-Sauwerd, in het plangebied effecten mogelijk zijn van een explosie en een toxische wolk. Uit beoordeling van de bestrijdbaarheid in het plangebied blijkt dat zowel het aspect bereikbaarheid als het aspect bluswatervoorziening voldoende is. Wel wordt opgemerkt dat de bestrijdbaarheid van incidenten op het spoor beperkt is. Uit de beoordeling van het aspect zelfredzaamheid blijkt dat in het invloedsgebied geen sprake is van verminderd zelfredzame personen en dat de ontvluchtings- en signaleringsmogelijkheden voldoende zijn. Hierdoor geven de aspecten bestrijdbaarheid en zelfredzaamheid geen aanleiding tot het treffen van maatregelen in het plangebied.

Samenvattend kan worden geconcludeerd dat de externe veiligheidssituatie geen belemmering vormt voor de vaststelling van het bestemmingsplan.

3.3.5 Bodem

In het bestemmingsplan Hortusbuurt-Noorderplantsoen wordt de bestaande situatie vastgelegd. Er zijn geen ontwikkellocaties benoemd. Het gebied is, volgens de bodemfunctiekaart, voornamelijk bestemd voor de functies: bebouwing, infrastructuur, industrie en ander groen. De bodemkwaliteit voldoet over het algemeen aan de normen die gekoppeld zijn aan het gebruik of de huidige functie.


Bodemverontreiniging kan bestaan uit bronverontreiniging of diffuse verontreiniging. Een bronverontreiniging is een verontreiniging die kan worden gekoppeld aan een bron of oorzaak. Dit in tegenstelling tot een diffuse verontreiniging die ontstaan is door jarenlange gebruik van de bodem en waarbij de verontreiniging niet tot een specifieke bron is te herleiden.


Voor het plangebied is een inventarisatie uitgevoerd. Hieruit blijkt dat binnen het plangebied sprake is van 98 bekende locaties die potentieel verdacht zijn van een ernstige bodemverontreiniging. De verdachtmakingen kunnen het gevolg zijn van bodembedreigende activiteiten, dempingen of een eerder bodemonderzoek. Daarnaast is bij vier locaties een geval van ernstige bodemverontreiniging vastgesteld. Voor één locatie is de sanering als urgent beoordeeld. De inventarisatie is als bijlage bij dit plan gevoegd.


Bij de aanpak van de bodemverontreiniging moet aangesloten worden bij de geplande ontwikkelingen. De verantwoordelijkheid voor het uitvoeren van een bodemonderzoek en voor een sanering ligt bij de veroorzaker, de eigenaar en/of de belanghebbende. Het uitgangspunt is dat de locatie geschikt wordt gemaakt voor het beoogde gebruik. Voordat met de sanering kan worden begonnen, moet de gemeente Groningen als bevoegd gezag op grond van de Wet bodembescherming instemmen met de voorgestelde sanering. De gemeente ziet toe op de juiste uitvoering van de sanering en van grondverzet in het algemeen. Voor de locaties die verdacht zijn van (ernstige) bodemverontreiniging is een bodemonderzoek bij de aanvraag van een Wabo-vergunning in ieder geval noodzakelijk.


Eventuele diffuse bodemverontreiniging ontstaat door jarenlang gebruik en de verontreiniging is niet tot een specifieke bron te herleiden. Uit de bodemkwaliteitskaart van de gemeente Groningen blijkt dat in het plangebied een diffuse bodemverontreiniging voorkomt waarbij de te verwachten gemiddelde bodemkwaliteit onder de zogenaamde 'Maximale Waarde Wonen' blijft.


Bij het toepassen en hergebruik van grond dient de "Nota Bodembeheer: Beleidsregels voor de toepassing van grond en baggerspecie op landbodem" in acht genomen te worden.

3.3.6 Evenementen

Het evenementenbeleid is vastgelegd in Feesten in balans II (1 januari 2011). In het beleid zijn onder meer de eisen ten aanzien van evenementen binnen de gemeente Groningen opgenomen, waaronder de maximale geluidbelasting. Ook wordt aandacht besteed aan de bijzondere locaties (onder andere het Martinikerkhof en het Noorderplantsoen) en bijzondere evenementen (zoals de kermis). In de nota is niet vastgelegd welke locaties in de stad specifiek voor evenementen zijn. Het kan overal. Per aanvraag wordt bekeken wat de mogelijkheden zijn. Uitzondering hierop is het Martinikerkhof dit is een stiltegebied.


Bijzondere Locatie Noorderplantsoen

Zoals al aangegeven is het Noorderplantsoen een bijzondere locatie. Het uitgangspunt is hierbij de bescherming van het groen en het feit dat er geen schade/overlast bij evenementen mag optreden. Schade aan groenvoorzieningen, onder meer bodemverdichting en beschadiging van beplanting, moet zoveel mogelijk voorkomen worden. Ter bescherming van het groen kunnen voorschriften aan de vergunning verbonden worden. In ernstige gevallen kunnen activiteiten of zelfs een evenement geweigerd worden. Voor evenementen in het Noorderplantsoen geldt een maximale geluidsbelasting van 85 dB(A). Dit heeft te maken met het benodigde muziekniveau en de afstanden van het podium tot omliggende woonbebouwing.


In het kader van de herinrichting van het Noorderplantsoen is in 1995 een programma van eisen opgesteld. In dit programma is aangegeven dat publieksevenementen kunnen worden georganiseerd, mits de draagkracht van het park niet wordt overschreden en er geen onherstelbare schade aan het park optreedt. Het Noorderplantsoen maakt deel uit van de stedelijke ecologische structuur van Groningen en is een kwetsbaar gebied. De regels voor het Noorderplantsoen zijn in paragraaf 2.7.2 van Feesten in balans II verder uitgewerkt.

Voorliggend bestemmingsplan regelt de evenementen in het Noorderplantsoen planologisch. In de bestemming Groen, die geldt voor het hele Noorderplantsoen, zijn regels opgenomen over de duur van verschillende soorten evenementen. Grootschalige evenementen, waaronder Noorderzon, mogen op grond van deze regels maximaal 12 dagen per jaar plaatsvinden. Middelgrote evenementen mogen maximaal 20 dagen per jaar plaatsvinden. Voor beide geldt dat deze uitsluitend ter plaatse van de aanduiding 'evenemententerrein' mogen worden georganiseerd. Daarbuiten zijn dus geen evenementen toegestaan. De afbakening van het evenemententerrein is gebaseerd op de kaart uit de nota Feesten in Balans II. Ook voor de opbouw en afbraak van de evenementen is een maximale duur opgenomen in de regels. Voor grote evenementen, waaronder Noorderzon, geldt dat de opbouw maximaal 21 dagen per jaar mag plaatsvinden. De afbraak mag maximaal 14 dagen per jaar duren. Voor middelgrote evenementen geldt een maximum van 3 dagen per evenement voor de opbouw en een maximum van eveneens 3 dagen per evenement voor de afbraak.

afbeelding "i_NL.IMRO.0014.BP572HortusbNplaGV-gv01_0034.jpg"

Evenementenkaart Noorderplantsoen, noordelijk deel

afbeelding "i_NL.IMRO.0014.BP572HortusbNplaGV-gv01_0035.jpg"

Evenementenkaart Noorderplantsoen, zuidelijk deel

Hoofdstuk 4 Juridische toelichting

4.1 Algemeen

Het bestemmingsplan Hortusbuurt-Noorderplantsoen voorziet in een actueel en adequaat juridisch kader voor beheer en ontwikkeling van het plangebied. Het is een plan op basis van artikel 3.1 van de Wet ruimtelijke ordening (Wro). Daarmee kunnen met direct recht omgevingsvergunningen worden verleend. De gekozen bestemmingen en de daarbij behorende regels geven helder aan welke functies op welke plaats zijn toegestaan.


Om de nodige flexibiliteit te waarborgen zijn tevens afwijkingsbevoegdheden opgenomen. Dit bestemmingsplan is gemaakt conform SVBP 2008 (Standaard Vergelijkbare Bestemmingsplannen 2008) en het standaard-bestemmingsplan van de gemeente Groningen. Daarin zijn de regels gestandaardiseerd. De bestemmingsregels zijn opgemaakt in een vaste indeling en bevatten in principe voor elke bestemming achtereenvolgens: een bestemmingsomschrijving, bouwregels, nadere eisen, afwijken van de bouwregels, specifieke gebruiksregels, afwijken van de gebruiksregels, en waar nodig een vergunningenstelsel voor het uitvoeren van een werk, geen bouwwerk zijnde, of werkzaamheden. Het bestemmingsplan is digitaal gemaakt. De digitale kaart (verbeelding) is variabel in schaal doordat kan worden in- en uitgezoomd, en bezit een meetfunctie. Het digitale plan is raadpleegbaar via het internet (bestemmingsplannen.groningen.nl alsook www.ruimtelijke plannen.nl). Daar zijn de digitale bestanden ook te downloaden.

De papieren plankaart bestaat uit één kaartblad met schaal 1:1.500. De kaart is getekend conform de SVBP 2008. De plankaart geeft in samenhang met de regels de bouw- en gebruiksmogelijkheden van de gronden binnen het plangebied aan.

4.2 Geldende bestemmingsplannen en overige regelingen

In het plangebied vigeren momenteel de onderstaande bestemmingsplannen. Deze worden geheel of gedeeltelijk door het voorliggend bestemmingsplan vervangen.

Nr.   Bestemmingsplan   Vastgesteld door de gemeenteraad   Goedgekeurd door gedeputeerde staten  
384   Oranjewijk     2 maart 1998  
412   CiGa   27 juni 2001   22 januari 2002  
416   Hortusbuurt/Noorderplantsoen   17 oktober 2001   26 februari 2002  
442   Openbaar Vaarwater   27 januari 2010   n.v.t.  

4.3 Geconsolideerde versie

Zoals in paragraaf 1.2 al is aangegeven is dit de geconsolideerde versie van het bestemmingsplan Hortusbuurt-Noorderplantsoen. In deze geconsolideerde versie zijn de wijzigingen uit drie facetbestemmingsplannen verwerkt in één doorlopende tekst:

Woningsplitsing, vastgesteld op 23 april 2014
Facetherziening parkeren, vastgesteld op 8 juni 2016
Herziening bestemmingsregels wonen, vastgesteld op 19 april 2017.

Hoewel deze geconsolideerde versie bedoeld is om geraadpleegd te kunnen worden als integrale regeling, is de geconsolideerde versie als zodanig niet door de raad vastgesteld en heeft dan ook geen zelfstandige rechtskracht. De in de consolidatie samengebrachte bepalingen ontlenen hun rechtskracht enkel en alleen aan hun oorspronkelijke vaststelling. Waar bepalingen in de geconsolideerde versie onverhoopt mochten afwijken van de formeel vastgestelde versie, gelden de formeel vastgestelde bepalingen.
Deze consolidatie brengt geen verandering in per plan geldende peilmomenten voor bestaande situaties en overgangssituaties. Daarom moet, waar in regels verwezen wordt naar peilmomenten en bestaande situaties, steeds gekeken worden naar de peildata van het plan waarin de in het geding zijnde regel zijn oorsprong vindt (Hortusbuurt-Noorderplantsoen, Woningsplitsing, Facetherziening parkeren of Herziening bestemmingsregels wonen).

4.4 Toelichting op de artikelen

4.4.1 Artikelsgewijze toelichting

Inleidende regels

De artikelen 1 tot en met 3 bevatten achtereenvolgens de in het plan gebruikte begrippen en hun definitie, de wijze waarop moet worden gemeten en de manier van omgaan met uitmetingsverschillen.

Waar nodig zijn in deze geconsolideerde versie begrippen uit de facetherzieningen ingevoegd, waarbij vanwege technische beperkingen de oorspronkelijke nummering soms niet kon worden aangehouden.

Bestemmingsregels
Onderstaande tekst is in deze geconsolideerde versie aangepast ten opzichte van het oorspronkelijk vastgestelde plan.

In de bestemmingsomschrijvingen van de bestemmingen Centrum, Gemengd en Wonen is de functie 'wonen' vervangen door 'woningen', waarbij een woning wordt gedefinieerd als 'een complex van ruimten, uitsluitend bedoeld voor de huisvesting van één afzonderlijk huishouden'. Daarmee wordt bereikt dat alleen duurzame vormen van huishoudens zijn toegestaan. Kamerverhuur valt daar niet onder. Een huishouden wordt namelijk gedefinieerd als 'persoon of groep personen die een huishouding voert, waarbij sprake is van onderlinge verbondenheid en continuïteit in de samenstelling ervan; daaronder niet begrepen kamerverhuur'. De oppervlakte van nieuwe woningen moet tenminste 50 m² zijn. Situaties waar onlangs nog een vergunning voor kleinere woningen is verleend of waarvoor projecten in de pijplijn zitten, zijn geregeld met de aanduiding 'specifieke bouwaanduiding - 8'. Aan sommige locaties is de aanduiding 'maximum aantal wooneenheden' toegevoegd. Hiermee is het aantal woningen dat kleiner is dan 50 m2 vastgelegd, conform de afspraken die met ontwikkelende partijen zijn gemaakt.

Bestaande kamerverhuur blijft uiteraard wel toegestaan. Als peildatum voor 'bestaand' geldt het tijdstip van terinzagelegging van het ontwerpbestemmingsplan Herziening bestemmingsregels wonen. In de bestemmingsomschrijving van de bestemmingsplannen is opgenomen dat onzelfstandige kamerverhuurpanden mogen worden omgezet in zelfstandige woningen, mits de oppervlakte daarvan minimaal 24 m2 bedraagt en het aantal huishoudens in het pand afneemt.


De gebruiksregels zijn overeenkomstig bovenstaande aangepast: gebruik voor nieuwe kamerverhuur of bewoning anders dan door een huishouden is niet meer toegestaan. Ook op binnenterreinen is het realiseren van zelfstandige woningen of kamerverhuur aan banden gelegd, door middel van de aanduiding 'specifieke bouwaanduiding - 3'.


Nieuwe kamerverhuur kan uitsluitend mogelijk worden gemaakt via een buitenplanse afwijking van de gebruiksregels. Hierbij hanteren we de omgevingstoets. Die is vervat in beleidsregels met betrekking tot onttrekkingsvergunningen en woningvorming die zijn opgesteld ter uitvoering van de gemeentelijke huisvestingsverordening. In artikel 20 van dit bestemmingsplan wordt naar de omgevingstoets in deze beleidsregels verwezen.


Nadere eisen
In veel van de bestemmingen komt een nadere-eisen-regeling voor. Daarbij kunnen burgemeester en wethouders nadere eisen stellen aan de plaats en afmetingen van de bebouwing, ten behoeve van:

a. de verblijfssituatie:

Ten aanzien van de binnen de bestemming toegelaten gebruiksvormen dient rekening gehouden te worden met het instandhouden c.q. tot stand brengen van een redelijke lichttoetreding, alsmede de aanwezigheid van voldoende privacy.

b. het straat- en bebouwingsbeeld:

Ten aanzien van de binnen de bestemming toegelaten gebruiksvormen dient te worden gestreefd naar het instandhouden c.q. tot stand brengen van een, in stedenbouwkundig opzicht, samenhangend straat- en bebouwingsbeeld. In het algemeen zal bij bebouwing worden gestreefd naar:

  • een goede verhouding tussen bouwmassa en open ruimte;
  • een goede hoogte-breedteverhouding tussen de bebouwing onderling en een samenhang in bouwvorm/architectonisch beeld tussen bebouwing die ruimtelijk op elkaar georiënteerd is.

c. de verkeersveiligheid:

Ten aanzien van de binnen de bestemming toegelaten gebruiksvormen dient rekening te worden gehouden met het instandhouden c.q. tot stand brengen van een verkeersveilige situatie.

d. de sociale veiligheid:

Ten aanzien van de binnen de bestemming toegelaten gebruiksvormen dient te worden voorkomen dat een ruimtelijke situatie ontstaat die onoverzichtelijk, onherkenbaar en niet sociaal controleerbaar is.

e. de milieusituatie:

Ten aanzien van de binnen een bestemming toegelaten gebruiksvormen dient rekening te worden gehouden met de milieuaspecten, zoals hinder voor omwonenden en een verkeersaantrekkende werking.

f. de gebruiksmogelijkheden van de aangrenzende gronden:

Ten aanzien van de binnen een bestemming toegelaten gebruiksvormen dient rekening te worden gehouden met de gebruiksmogelijkheden van de aangrenzende gronden, indien deze daardoor kunnen worden beïnvloed.

Artikel 4 Bedrijf

De bestemming Bedrijf is van toepassing op de kringloopwinkel Mamamini aan de Noorderbinnensingel, op het monumentale tankstation aan de Turfsingel en op een reparatiebedrijf voor fietsen, brommers e.d. Sturing op herinvulling is gewenst omdat het vaak grote panden betreft. Het is niet gewenst dat deze panden, na functieverlies, zonder sturing kunnen transformeren naar woon- en/of centrumfuncties. Wonen op de begane grond is dan ook niet toegestaan. De op de verbeelding opgenomen maximale bouwhoogtes zijn tot stand gekomen op de wijze zoals in paragraaf 2.1.4 van de toelichting beschreven.

Artikel 5 Bedrijf - Nutsvoorziening

Deze bestemming geldt voor het grote nutsvoorzieningengebouw aan de Bloemsingel.

Artikel 6 Centrum - 1

De bestemming Centrum - 1 is van toepassing op de panden aan de Nieuwe Ebbingestraat en op delen van het Boterdiep. Ook het winkelcentrum aan De Beren valt onder de bestemming Centrum - 1. Binnen de bestemming zijn detailhandel, zakelijke en maatschappelijke dienstverlening toegestaan. De functie horeca is toegestaan waar dat is aangegeven op de plankaart. Er is een afwijkingsbevoegdheid opgenomen om nieuwe horecavestigingen van uitsluitend categorie 2 (restaurants) mogelijk te maken. De functie wonen is toegestaan op bovengelegen verdiepingen. Op adressen waar op dit moment op de begane grond gewoond wordt is dat met een aanduiding positief bestemd. Voor de panden aan de westzijde van de Ebbingestraat, gelegen tussen de Noorderkerkstraat en de Zuiderkerkstraat is een afwijkingsbevoegdheid opgenomen om ook de begane grondverdieping voor wonen te mogen gebruiken. Het doel hiervan is om op termijn leegstand te voorkomen. Hetzelfde geldt voor de panden aan de oostzijde van de Nieuwe Ebbingestraat vanaf de Boteringesingel/Bloemsingel (de nummers 119-137). Zie ook paragraaf 2.3 van de toelichting. Voor het Boterdiep, de Turfsingel en de Spilsluizen (voor zover binnen deze bestemming) geldt een binnenplanse afwijkingsbevoegdheid naar een bouwhoogte van 18 meter. Hiermee ontstaat voor de meeste panden aan deze straten een mogelijkheid om de bestaande bouwhoogte met 4 meter op te hogen. De op de verbeelding opgenomen maximale bouwhoogtes zijn tot stand gekomen op de wijze zoals in paragraaf 2.1.4 van de toelichting beschreven.

Artikel 7 Centrum - 2

Deze bestemming onderscheidt zich van Centrum - 1 door het feit dat binnen deze bestemming bij recht op de begane grond mag worden gewoond. De bestemming geldt voor het Boterdiep en een strook aan de Korreweg. Er is detailhandel, zakelijke en maatschappelijke dienstverlening, kantoren, sport en recreatie, bedrijvigheid en wonen toegestaan. De functie horeca is toegestaan waar dat is aangegeven op de plankaart. Er is een binnenplanse afwijkingsbevoegdheid opgenomen voor nieuwe horeca-2. Er geldt ook een binnenplanse afwijkingsbevoegdheid naar een bouwhoogte van 18 meter. Hiermee ontstaat voor de meeste panden aan deze straat een mogelijkheid om de bestaande bouwhoogte met 4 meter op te hogen. De op de verbeelding opgenomen maximale bouwhoogtes zijn tot stand gekomen op de wijze zoals in paragraaf 2.1.4 van de toelichting beschreven.

Artikel 8 Dienstverlening

De bestemming Dienstverlening is van toepassing op de watertoren aan de Noorderbinnensingel. Er zijn verschillende functies mogelijk, zoals maatschappelijke en zakelijke dienstverlening, bepaalde vormen van horeca en bepaalde vormen van bedrijvigheid.

Artikel 9 Gemengd

Deze bestemming geldt voor een flink aantal straten, waaronder Nieuwe Boteringestraat, het zuidelijk deel van de Nieuwe Kijk in't Jatstraat, de Noorderhaven, de Spilsluizen, het Guyotplein, de Ossenmarkt, de Marktstraat en het zuidelijk deel van het Nieuwe Kerkhof. Binnen de bestemming zijn kantoren, zakelijke en maatschappelijke dienstverlening, sport en recreatie, detailhandel (tot maximaal 200 m2 brutovloeroppervlakte), bedrijvigheid en wonen toegestaan. De functie horeca is op de plankaart aangeduid om te voorkomen dat deze functie toeneemt. Er is een binnenplanse afwijkingsbevoegdheid opgenomen voor het vergroten van de maximale bouwhoogte tot 18 meter. Deze afwijkingsbevoegdheid geldt echter uitsluitend voor de straten Noorderhaven, Lopendediep, Spilsluizen en Guyotplein.

Artikel 10 Groen

De bestemming Groen omvat de hoofdgroenstructuur in het plangebied. Het gaat hier om het Noorderplantsoen, het Nieuwe Kerkhof, het Guyotplein, de groene oevers bij de Spilsluizen en de Turfsingel en twee openbare groengebiedjes aan respectievelijk de Grote Appelstraat en achter de Nieuwe Boteringestraat. De Kruissingel tussen Kerklaan en het voormalige restaurant 'Jantje zag eens pruimen hangen' (nu Flinders) is medebestemd voor autoverkeer. Het parkeerterrein bij het restaurant is medebestemd voor parkeerterrein, net als de weg ernaartoe. Met een binnenplanse afwijkingsbevoegdheid kan (een deel van) dit parkeerterrein worden omgezet naar een uitbreiding van het terras. Het Noorderplantsoen is medebestemd voor grootschalige evenementen, waaronder Noorderzon, voor maximaal 12 dagen per jaar en voor middelgrote evenementen, voor maximaal 20 dagen per jaar. Daarbij geldt dat evenementen uitsluitend zijn toegestaan op de gronden met de aanduiding 'evenemententerrein'. Voor de opbouw van grootschalige evenementen geldt een maximale periode van 21 dagen en een maximale afbouwperiode van 14 dagen. Voor middelgrote evenementen geldt een maximale opbouwtijd van 3 dagen per evenement en eveneens een maximale afbouwperiode van 3 dagen per evenement. De muziekkoepel in het plantsoen is specifiek aangeduid. Daarnaast is met een aanduiding aangegeven waar in het Noorderplantsoen een nieuwe kiosk annex toiletvoorziening inclusief terras zal worden gerealiseerd. Tot slot zijn binnen de bestemming Groen twee terrassen aangegeven op de plankaart in het groen bij de Spilsluizen en de Turfsingel. Bepaalde activiteiten zijn, vanwege de natuurlijke en landschappelijke waarden, omgevingsvergunningsplichtig.

Artikel 11 Horeca

De bestemming Horeca is van toepassing op het voormalige restaurant 'Jantje zag eens pruimen hangen' (nu Flinders) in het Noorderplantsoen. De bestemming maakt uitsluitend daghoreca en horeca van categorie 2 mogelijk, inclusief bijbehorende terrassen.

Artikel 12 Maatschappelijk

Deze bestemming geldt voor de scholen, kerk, rechtbank, universiteitsgebouwen en nog te realiseren gymzalen binnen de Hortusbuurt.

Artikel 13 Tuin

De bestemming Tuin geldt voor de erven binnen vele gasthuizen in het plangebied. Ook een aantal groene binnengebieden heeft de bestemming Tuin gekregen. De gronden zijn bestemd voor tuinen die horen bij aangrenzende hoofdgebouwen. De tuinen kennen natuurlijke en landschappelijke waarden. Er zijn uitsluitend bestaande gebouwen toegestaan. Deze zijn op de kaart aangeduid met een bouwvlak. Er geldt een maximale hoogte van 3,50 meter. Bouwwerken, geen gebouw zijnde, zijn wel toegestaan. Bepaalde activiteiten zijn, vanwege de natuurlijke en landschappelijke waarden, omgevingsvergunningsplichtig. Los van de vergunningvrije bouwwerken is bebouwing niet toegestaan. Ook is parkeren als strijdig gebruik aangemerkt. Hiermee blijft het groene karakter van deze binnenterreinen in stand.

Artikel 14 Verkeer

De bestemming Verkeer omvat de verkeersstructuur in het plangebied. Ook de Ossenmarkt is voorzien van een bestemming Verkeer. De Ossenmarkt is medebestemd voor evenementen, waaronder de kermis (gedurende maximaal 18 dagen per jaar), Winterstad en evenementen zonder aanmerkelijk geluidsbelang. De onder de Ossenmarkt gelegen ondergrondse parkeergarage is op de plankaart aangeduid. Binnen de bestemming is ook sprake van een standplaats voor straathandel, namelijk aan het Guyotplein.

Artikel 15 Water

Deze bestemming geldt voor de waterpartijen in het Noorderplantsoen.

Artikel 16 Wonen - 1

De bestemming Wonen - 1 geldt voor het grootste deel van het plangebied. Binnen deze bestemming is wonen toegestaan. Hieronder vallen ook bijzondere vormen van huisvesting, zoals begeleid wonen en kamerverhuur. Ten aanzien van kamerverhuur geldt dat het bestemmingsplan en het kamerverhuurbeleid complementair zijn aan elkaar. Het bestemmingsplan maakt deze vorm van huisvesting mogelijk en met het kamerverhuurbeleid (15%-norm) wordt hierop gestuurd. Deze norm wordt niet in het bestemmingsplan geregeld. Zakelijke en maatschappelijke dienstverlening, horeca (alleen de categorieën 2 en 3) en bedrijven zijn uitsluitend toegestaan waar dat op de plankaart is aangegeven. Het betreft een aantal restaurantjes (Lambik, Fortuna), het café De Minnaar van de Rozenstraat en onder meer een tandartsenpraktijk en een kinderdagverblijf.

De regels van de bestemming Wonen - 1 zijn gericht op behoud en versterking van de ruimtelijke karakteristiek. In principe moeten gebouwen worden gebouwd binnen het bouwvlak. De hoogtes mogen maximaal de op de plankaart aangegeven hoogtes bedragen. Er is onderscheid gemaakt tussen hoofdmassa en bebouwing op het achtererf. De hoofdmassa wordt mogelijk gemaakt in de voorgevel. Hierbij wordt rekening gehouden met de karakteristieken per pand of straat, zoals het aantal bouwlagen, de goot- en bouwhoogten. Op het binnenterrein mag in de meeste gevallen slechts tot 4 meter hoog worden gebouwd en tot maximaal 80% van het perceel. Hiermee wordt op het binnenterrein een zekere openheid behouden en worden waarden als licht, lucht en privacy gewaarborgd. Bestaande uitzonderingen in de bebouwing worden positief bestemd. Als er op de kaart geen bebouwingspercentage is aangegeven mag het bebouwingspercentage maximaal 100% bedragen.


Artikel 17 Wonen - 2

De bestemming Wonen - 2 geldt voor een beperkt deel van het plangebied. Binnen deze bestemming is wonen toegestaan. Hieronder vallen ook bijzondere vormen van huisvesting, zoals begeleid wonen en kamerverhuur. Ten aanzien van kamerverhuur geldt dat het bestemmingsplan en het kamerverhuurbeleid complementair zijn aan elkaar. Het bestemmingsplan maakt deze vorm van huisvesting mogelijk en met het kamerverhuurbeleid (15%-norm) wordt hierop gestuurd. Deze norm wordt niet in het bestemmingsplan geregeld.

De regels van de bestemming Wonen - 2 zijn gericht op behoud en versterking van de ruimtelijke karakteristiek. Het verschil met de bestemming Wonen-1 is dat in Wonen-2 de reguliere woonbestemming met regeling voor bijbehorende bouwwerken is opgenomen zoals die voor de meeste woonbestemmingen in Groningen geldt. Deze bestemming geldt voor projectmatig ontwikkelde bouwblokken en twee-onder-één-kapwoningen langs de Noorderbinnensingel en woningen op het voormalige Circusterrein. Omdat hier een duidelijk onderscheid is tussen hoofd- en bijbehorende bouwwerken is ervoor gekozen om voor deze woningen aan te sluiten bij de reguliere regeling. Hoofdgebouwen moeten binnen het bouwvlak worden gebouwd.

Regeling voor bijbehorende bouwwerken

Voor de bouwmogelijkheden is het van belang op welk gedeelte van het erf gebouwd wordt. Bijbehorende bouwwerken zijn (bij recht) uitsluitend toegestaan in achtererfgebied.

afbeelding "i_NL.IMRO.0014.BP572HortusbNplaGV-gv01_0036.jpg"
Voorerfgebied en achtererfgebied


Aangebouwde bijbehorende bouwwerken zijn (bij recht) toegestaan, mits zij:

  • maximaal 4 meter hoog zijn, en;
  • maximaal 4 meter diep zijn, gemeten vanuit (het verlengde van) de achtergevel.

afbeelding "i_NL.IMRO.0014.BP572HortusbNplaGV-gv01_0037.jpg"
Aangebouwde bijbehorende bouwwerken


Vrijstaande bijbehorende bouwwerken zijn toegestaan tot een maximale hoogte van 3 meter. Indien de zij- of achtererfgrens grenst aan het openbaar toegankelijk gebied moeten bijbehorende bouwwerken minimaal 1 meter uit deze zij- en/of achtererfgrens worden geplaatst.

afbeelding "i_NL.IMRO.0014.BP572HortusbNplaGV-gv01_0038.jpg"
Ligging aan het openbaar toegankelijk gebied


Voor alle bijbehorende bouwwerken in achtererfgebied tezamen, inclusief bouwwerken, geen gebouw zijnde, geldt dat achtererfgebied voor maximaal 50% mag worden bebouwd tot een maximale oppervlakte van 50 m2.

Artikel 18 Leiding - Hoogspanning

Deze bestemming is van toepassing op de ondergrondse hoogspanningsverbinding die loopt van het nutsgebouw aan de Bloemsingel richting het zuiden, het plangebied uit.

Artikel 19 Waarde - Archeologie 1

De dubbelbestemming Waarde - Archeologie 1 geldt voor het gehele plangebied. Dit houdt in dat werkzaamheden die het bodemarchief roeren omgevingsvergunningsplichtig zijn wanneer zij groter zijn dan 50 vierkante meter en dieper dan 30 centimeter reiken.

Artikel 20 Waarde - Beschermd stadsgezicht

Praktisch het hele plangebied valt onder deze dubbelbestemming. Burgemeester en wethouders kunnen nadere eisen stellen aan de hoeveelheid, de plaats en de afmetingen van de bebouwing, ten behoeve van het behoud (en herstel) van de ruimtelijke en functionele karakteristiek van het gebied, zoals omschreven in lid 20.1.

Algemene regels

Artikel 21
Dit artikel bevat de anti-dubbeltelregel. De redactie is conform artikel 3.2.4 van het Besluit ruimtelijke ordening. Deze bepaling is ervoor om te voorkomen dat dezelfde grond meer dan eens betrokken wordt bij de toets van de aanvraag om een omgevingsvergunning en daarmee meer gebouwd kan worden dan is toegestaan.

Artikel 23
In dit artikel is geregeld dat in een omgevingsvergunning voor bouwen of verbouwen in het plangebied moet worden voorzien in voldoende parkeergelegenheid voor de beoogde functie. Het toetsingskader dat hierbij wordt gehanteerd zijn de Beleidsregels Parkeernormen van de gemeente Groningen die op het moment van aanvragen van de vergunning gelden. De verwijzing naar deze beleidsregels is toegestaan op grond van artikel 3.1.2 tweede lid onder a. van het Besluit ruimtelijke ordening. In principe dient op eigen terrein in de parkeerbehoefte te worden voorzien. Voor gevallen waarin dit door bijzondere omstandigheden redelijkerwijs niet kan worden gerealiseerd, of wanneer elders aan de parkeerbehoefte kan worden voldaan, kunnen burgemeester en wethouders gebruik maken van de opgenomen afwijkingsmogelijkheid.

Artikel 24 
Op grond van artikel 3.1.2 tweede lid onder a van het Besluit ruimtelijke ordening is het mogelijk om in een bestemmingsplan te verwijzen naar beleidsregels. Daarmee kan een zekere mate van flexibiliteit worden ingebouwd in een bestemmingsplan: beleidswijzigingen die worden aangebracht in beleidsregels werken dan door in het bestemmingsplan, zonder dat het bestemmingsplan moet worden gewijzigd.
Ten aanzien van kamerverhuur en woningvorming hebben burgemeester en wethouders in juli 2015 beleidsregels vastgesteld, met onder andere de omgevingstoets die eerder in deze toelichting is genoemd. Die wordt toegepast bij het toetsen van aanvragen om (binnenplanse) afwijking van het bestemmingsplan voor het realiseren van kamerverhuurpanden en zelfstandige kamers. Met dit artikel 20 wordt de koppeling gelegd met deze beleidsregels. Bij eventuele aanpassing van de beleidsregels verwijst dit artikel naar die aangepaste beleidsregels.

Artikel 25

Dit artikel bevat een afwijkingsbevoegdheid, die op alle bestemmingen in het plangebied van toepassing zijn. Bedoeling van de bepaling is om relatief kleine afwijkingen van het bestemmingsplan toe te staan, zowel qua omvang als qua functie.

De algemene afwijkingsbevoegdheid is aangevuld. Aan de algemene regel dat het college de bevoegdheid heeft om met 10% van de voorgeschreven maten af te wijken is toegevoegd dat de afwijking maximaal 1 meter mag zijn en niet mag worden toegepast ten behoeve van een extra bouwlaag.

Overgangs- en slotbepalingen

Artikel 26

Dit artikel regelt het overgangsrecht. De redactie is conform de artikelen 3.2.1 en 3.2.2 van het Besluit ruimtelijke ordening.

Artikel 27

Dit artikel bevat de zogenaamde slotregel, die bedoeld is voor een eenduidige vastlegging van de naam van het bestemmingsplan.

Interpretatieve gebruiksbepalingen

Interpretatieve gebruiksbepalingen kunnen per bestemming worden opgenomen wanneer binnen die betreffende bestemming behoefte is aan specifieke gebruiksregels of -verboden.

4.4.2 Toelichting regeling van vrije beroepsactiviteiten en bedrijfsmatige activiteiten in en bij woningen

De begrippen aan huis verbonden beroep en vrij beroep worden vaak, en ook hier, synoniem gebruikt. Het voorliggend bestemmingsplan biedt de mogelijkheid aan huis verbonden beroepen -met behoud van de woonfunctie- uit te oefenen in een woning en de daarbij behorende aangebouwde bijbehorende bouwwerken.

In het algemeen is het verboden om, indien aan gronden en bouwwerken een woonbestemming of -functie is gegeven, deze te gebruiken op een wijze of tot een doel in strijd met de woonbestemming. Een ander gebruik dan wonen is niet toegestaan. In de jurisprudentie is echter bepaald dat het vestigen van een vrij beroep niet in strijd is met de woonbestemming, tenzij het bestemmingsplan het tegendeel bepaalt en het beroep door de bewoner van het pand wordt uitgeoefend, waarbij het woonhuis in overwegende mate de woonfunctie behoudt en de uitoefening van het beroep een ruimtelijke uitwerking of uitstraling heeft, die met de woonfunctie in overeenstemming is. Het gaat veelal om een eenpersoonsberoep.

Op grond van de definitie van aan huis verbonden beroepen in dit bestemmingsplan zijn de betreffende activiteiten (onder voorwaarden, zie hierna) in overeenstemming met de functie wonen. Voor dergelijke activiteiten in een woning en/ of de daarbij behorende aangebouwde bijbehorende bouwwerken is geen afwijking bij een omgevingsvergunning nodig.

Of een bepaald gebruik in overeenstemming is met de functie woondoeleinden wordt beoordeeld aan de hand van de volgende criteria:

a. de aard van het gebruik

b. de omvang van het gebruik

c. de intensiteit van het gebruik

Ad a. Bij de 'aard' van het gebruik kan men denken aan een beroep welke naar zijn aard (ernstige) hinder voor zijn omgeving oplevert, of welke naar zijn aard grote verkeersproblemen zal opleveren. Het gebruik mag immers geen nadelige invloed hebben op de normale afwikkeling van het verkeer. Het mag evenmin een onevenredige parkeerdruk veroorzaken.

Ad b. Bij de 'omvang' van het gebruik is relevant of het gebruik meerdere ruimten of gebouwen in beslag neemt, welk gedeelte van het gebouw door het gebruik in beslag wordt genomen, hoeveel vierkante meter het gebruik in beslag neemt.

Ad c. Bij de 'intensiteit' van het gebruik kan worden gedacht aan frequent of incidenteel gebruik. Als nu blijkt dat het gebruik aldus een uitstraling heeft welke niet te rijmen valt met de gelegde woonbestemming, dan is het gebruik strijdig met de woonbestemming (zie ARRvS, AB 1993/163). Onder een 'vrije beroepsbeoefenaar' wordt verstaan: 'iemand die wordt gevraagd om zijn individuele, persoonlijke kwaliteiten, die in het algemeen op artistiek of academisch/HBO-niveau liggen'. In de praktijk is het onderscheid moeilijk aan te geven. Bij vrije beroepen valt te denken aan: advocaat, accountant-administratieconsulent, alternatieve genezer, belastingconsulent, bouwkundig architect, dierenarts, fysiotherapeut, gerechtsdeurwaarder, huidtherapeut, huisarts, interieurarchitect, juridisch adviseur, kunstenaar,logopedist, makelaar, medisch specialist, notaris, oefentherapeut, Cesar/Mensendieck, organisatieadviseur, orthopedagoog, psycholoog, raadgevend adviseur, redacteur, registeraccountant, stedenbouwkundige, tandarts, tandarts-specialist, (al dan niet beëdigd) tolkvertaler, tuin- en landschapsarchitect, verloskundige.

Aan huis verbonden beroepen in een vrijstaand bijbehorend bouwwerk

Voor het gebruik van vrijstaande bijbehorende bouwwerken ten behoeve van een aan huis verbonden beroep is het nodig om bij een omgevingsvergunning af te wijken van het bestemmingsplan. Hiertoe is een bevoegdheid voor burgemeester en wethouders opgenomen in lid 16.6 en lid 17.6.

Kleinschalige bedrijfsmatige activiteiten

Overige activiteiten, die niet vallen onder de aan huis verbonden beroepen, maar in bepaalde gevallen wel daarmee gelijk te stellen zijn, worden aangemerkt als beroeps- en/of bedrijfsmatige activiteiten, die niet rechtstreeks passen binnen de woonbestemming. Zij zijn daarom niet bij recht toegestaan in dit plan. Wel is het mogelijk voor deze activiteiten bij een omgevingsvergunning af te wijken van het bestemmingsplan (zie lid 16.6 en lid 17.6, voor zover voorkomend op de bij dit plan behorende Staat van bedrijfsactiviteiten wonen-werken (bijlage 2).

Hoofdstuk 5 Participatie, inspraak en overleg

5.1 Participatie

Voorafgaand aan de terinzagelegging van het voorontwerp-bestemmingsplan zijn de bewonersvereniging Hortusbuurt, de ondernemersvereniging Nieuwe Ebbingestraat en de Winkelstraatmanager Ebbingestraat geïnformeerd over de doelstelling en procedure van dit plan. Tijdens deze overleggen zijn enkele inhoudelijke opmerkingen gemaakt die voor zover mogelijk en wenselijk zijn meegenomen in het bestemmingsplan. Zo is gezamenlijk met de winkelstraatmanager ingezet op een afwijkingsbevoegdheid voor het kunnen toestaan van de woonbestemming op de begane grond. Deze regeling is van toepassing op een klein gedeelte aan de westzijde van de Nieuwe Ebbingestraat waar leegstand dreigt. Daarnaast is met de Parkcommissie Noorderplantsoen overlegd over de wijze van bestemmen van het Noorderplantsoen.

5.2 Inspraak

Over het voorontwerp-bestemmingsplan is een inspraakprocedure gevoerd op grond van de Algemene Inspraakverordening Groningen 2005. In het kader van deze procedure heeft het voorontwerp-bestemmingsplan van 15 juni 2012 tot en met 12 juli 2012 ter inzage gelegen. Gedurende deze termijn kon schriftelijk, ook via internet op het bestemmingsplan worden gereageerd. Van deze geboden mogelijkheid is door 15 personen gebruik gemaakt. Een aantal insprekers heeft een gelijkluidende inspraakreactie ingediend. Deze zijn in één keer samengevat en van een reactie voorzien. Voor de precieze inhoud van de inspraakreacties en de gemeentelijke reactie daarop wordt verwezen naar het inspraakverslag dat als losse bijlage bij dit bestemmingsplan is gevoegd.

Naar aanleiding van de inspraakreacties op het voorontwerp-bestemmingsplan zijn de volgende aanpassingen gedaan:

  • De Kruissingel tussen de Kerklaan en het horecapaviljoen is op de kaart aangeduid met 'verkeer'.
  • De parkeerplaats bij het horecapaviljoen is op de kaart aangeduid met 'parkeerterrein'.
  • Aan paragraaf 2.1.5 (ruimtelijke ontwikkelingen) is een ruimtelijke onderbouwing voor de in het Noorderplantsoen op te richten toiletvoorziening annex kiosk toegevoegd.
  • De ondergrens van de vergunningplicht bij het verwijderen en/of aanbrengen van bomen en/of houtgewas en het aanbrengen van oppervlakteverhardingen is verwijderd.
  • De lijst met monumenten is aangevuld met het Noorderplantsoen.
  • Voor een perceel aan de Nieuwe Kijk in't Jatstraat is een nadere aanduiding 'garage' opgenomen en is de bestaande hoogte vastgelegd.
  • De term hofjes is vervangen door de term gasthuis.
  • De tekst in paragraaf 2.1.2 van de toelichting over de gelaagdheid is aangevuld met de situering van de gasthuizen in de binnenruimtes.
  • De binnenruimten van gasthuizen is als extra waarde toegevoegd aan de beschrijving in de toelichting in paragraaf 2.1.3.
  • Voor de panden Havenstraat 14 tot en met 26 en 30 is de bouwhoogte vastgelegd op de bestaande situatie van 7 meter.
  • Voor de panden Zoutstraat 11, 13 en 19 is de goothoogte vastgelegd op 4 meter en de bouwhoogte op 7 meter.
  • Voor de panden Grote Leliestraat 36, 38 is de goothoogte vastgelegd op 4 meter en de bouwhoogte op 7 meter.
  • Voor de panden Kleine Leliestraat 5, 7, 9, 15, 17 en 31 is de goothoogte vastgelegd op 4 meter en de bouwhoogte op 7 meter.
  • Voor de panden Grote Appelstraat 25 tot en met 31 is de goothoogte vastgelegd op 4 meter en de bouwhoogte op 7 meter.
  • Voor de panden Grote Rozenstraat 4, 6 en 10 tot en met 14 is de goothoogte vastgelegd op 4 meter en de bouwhoogte op 7 meter en voor het pand op nummer 8 is de bestaande bouwhoogte van 7 meter vastgelegd.
  • De bouwhoogte aan beide zijden van de Korenstraat is verhoogd naar 14 meter.
  • Voor het binnenterrein tussen Korenstraat, Nieuwe Ebbingestraat en Boterdiep is de bouwhoogte deels verhoogd naar 14 meter, om een reeds ingediend en onder het geldende bestemmingsplan bij recht toe te staan bouwplan te bestemmen. In lijn met de rechten op basis van de vloerindex in het geldende bestemmingsplan is de noordgrens van het bouwinitiatief als maatvoeringslijn aangehouden. In de beperkte strook ten noorden hiervan mag maximaal 4 meter hoog worden gebouwd.
  • Op het perceel Nieuwe Kijk in't Jatstraat is een nadere aanduiding 'garage' gelegd. Ook is de bestaande hoogte vastgelegd (goothoogte van 4 meter en bouwhoogte van 7 meter).

5.3 Overleg

In het kader van het overleg ex artikel 3.1.1 Bro is het voorontwerp-bestemmingsplan toegezonden aan een aantal (overheids)instanties. De volgende instanties hebben gereageerd:

  • Brandweer Regio Groningen d.d. 2 juli 2012;
  • Waterschap Noorderzijlvest d.d. 3 juli 2012;
  • Provincie Groningen d.d. 6 juli 2012.

De brieven, zijn in het navolgende samengevat en van een gemeentelijke reactie voorzien.

Ad 1. Brandweer, regio Groningen d.d. 2 juli 2012

Het bestemmingsplan Hortusbuurt-Noorderplantsoen is beoordeeld in het kader van externe veiligheid, specifiek het groepsrisico. In het bestemmingsplan is een externe veiligheidsparagraaf opgenomen. Deze bevat een toelichting op de relevante regelgeving alsmede een samenvatting van de externe veiligheidsrisico's in het plangebied. Een volledige uitwerking van de externe veiligheidsrisico's staat in een veiligheidsstudie in de bijlagen bij het bestemmingsplan. De Brandweer is nauw betrokken geweest bij het opstellen van deze veiligheidsstudie door te adviseren over de mogelijkheden voor bestrijding en zelfredzaamheid. Deze adviezen zijn onverkort overgenomen. Daarom is een nadere advisering vanuit de Brandweer niet aan de orde. Wel adviseert de Brandweer om de acceptatie van de externe veiligheidsrisico's expliciet te laten vaststellen door het college van burgemeester en wethouders. Het college is eindverantwoordelijke voor de (externe) veiligheid in het plangebied.

Reactie gemeente:

Het advies van de Brandweer zal worden opgevolgd. Het is een standaardprocedure dat de externe veiligheidsrisico's expliciet worden vastgesteld door de gemeenteraad op het moment van vaststelling van het bestemmingsplan.

Ad 2. Waterschap Noorderzijlvest d.d. 3 juli 2012

Het Waterschap Noorderzijlvest heeft kennis genomen van het voorontwerp-bestemmingsplan Hortusbuurt-Noorderplantsoen. Het plan geeft het Waterschap geen aanleiding tot het maken van op- of aanmerkingen met betrekking tot het onderwerp water.

Reactie gemeente:

De opmerking van het Waterschap wordt voor kennisgeving aangenomen.

Ad 3. Provincie Groningen d.d. 6 juli 2012

De Provincie deelt mee dat het plan geen aanleiding geeft om opmerkingen te maken.

Reactie gemeente:

De opmerking van de Provincie wordt voor kennisgeving aangenomen.

Hoofdstuk 6 Uitvoerbaarheid / exploitatie

Onderzoek naar de economische uitvoerbaarheid van bestemmingsplannen heeft in het algemeen

betrekking op nieuwe ontwikkelingen waarvoor bestemmingswijzigingen nodig zijn en die door de

gemeente worden gerealiseerd. Het bestemmingsplan Hortusbuurt-Noorderplantsoen geconsolideerde versie heeft echter betrekking op een reeds bebouwd deel van de gemeente, waarbij de ontwikkelingen aan het particuliere initiatief worden overgelaten. De door de gemeente te maken kosten bestaan uitsluitend uit plankosten en de kosten van onderzoek, dat nodig is met het oog op de voorbereiding van het plan. Deze uitgaven komen ten laste van de algemene middelen van de gemeente.

De enige nieuwe ontwikkeling die met dit bestemmingsplan mogelijk wordt gemaakt is de bouw van een kiosk annex toiletvoorzieningen in het Noorderplantsoen. De investeringskosten van de kiosk komen voor rekening van de gemeente. De bouwkosten van de kiosk zijn geraamd op €125.000,-. Zodra dit bestemmingsplan is vastgesteld, wordt een kredietvoorstel aan de raad voorgelegd. De kapitaallasten worden gedekt uit de exploitatiebegroting van de vakdirectie Stadsbeheer. Aangezien er geen tijdelijke toiletvoorzieningen in het Noorderplantsoen meer nodig zijn, kunnen de structurele kosten voor het beheer en schoonmaak daarvan verrekend worden met de kapitaallasten. De kapitaallasten zijn het maximale financiële risico bij een niet-succesvolle exploitatie. De kosten van het halfjaarlijks af- en opbouwen komen voor de rekening van de toekomstige exploitant. Ook de variabele lasten zoals verbruik van gas, water, electra, afvalverwerking en beheer toiletten, komen voor rekening van de toekomstige exploitant. De vergoeding die de gemeente ontvangt voor het beschikbaar stellen van de kiosk, zal deel uitmaken van het ondernemingsplan.


Omdat het voorliggende plan een actualisering vormt van geldende planologische regelingen en voornamelijk de bestaande toestand vastlegt, hoeft geen exploitatieplan te worden vastgesteld. Voor zover functiewijziging heeft plaatsgevonden, is daarvoor vergunning verleend en strekt het voorliggende plan slechts tot inpassing daarvan. Voor het overige worden de bouwmogelijkheden, die volgens de vigerende regelingen bestaan, in het nieuwe bestemmingsplan niet gewijzigd of uitgebreid. Er doet zich dus geen mogelijkheid voor van kostenverhaal als bedoeld in afdeling 6.4 van de Wet ruimtelijke ordening.

Bijlagen

Bijlage 1 Aanwijzing Beschermd Stadsgezicht Binnenstad

afbeelding "i_NL.IMRO.0014.BP572HortusbNplaGV-gv01_0039.jpg"

afbeelding "i_NL.IMRO.0014.BP572HortusbNplaGV-gv01_0040.jpg"

afbeelding "i_NL.IMRO.0014.BP572HortusbNplaGV-gv01_0041.jpg"

afbeelding "i_NL.IMRO.0014.BP572HortusbNplaGV-gv01_0042.jpg"

afbeelding "i_NL.IMRO.0014.BP572HortusbNplaGV-gv01_0043.jpg"

afbeelding "i_NL.IMRO.0014.BP572HortusbNplaGV-gv01_0044.jpg"

afbeelding "i_NL.IMRO.0014.BP572HortusbNplaGV-gv01_0045.jpg"

afbeelding "i_NL.IMRO.0014.BP572HortusbNplaGV-gv01_0046.jpg"

afbeelding "i_NL.IMRO.0014.BP572HortusbNplaGV-gv01_0047.jpg"

afbeelding "i_NL.IMRO.0014.BP572HortusbNplaGV-gv01_0048.jpg"

afbeelding "i_NL.IMRO.0014.BP572HortusbNplaGV-gv01_0049.jpg"

afbeelding "i_NL.IMRO.0014.BP572HortusbNplaGV-gv01_0050.jpg"

afbeelding "i_NL.IMRO.0014.BP572HortusbNplaGV-gv01_0051.jpg"

afbeelding "i_NL.IMRO.0014.BP572HortusbNplaGV-gv01_0052.jpg"

afbeelding "i_NL.IMRO.0014.BP572HortusbNplaGV-gv01_0053.jpg"

afbeelding "i_NL.IMRO.0014.BP572HortusbNplaGV-gv01_0054.jpg"

afbeelding "i_NL.IMRO.0014.BP572HortusbNplaGV-gv01_0055.jpg"

afbeelding "i_NL.IMRO.0014.BP572HortusbNplaGV-gv01_0056.jpg"

afbeelding "i_NL.IMRO.0014.BP572HortusbNplaGV-gv01_0057.jpg"

afbeelding "i_NL.IMRO.0014.BP572HortusbNplaGV-gv01_0058.jpg"

afbeelding "i_NL.IMRO.0014.BP572HortusbNplaGV-gv01_0059.jpg"

afbeelding "i_NL.IMRO.0014.BP572HortusbNplaGV-gv01_0060.jpg"

afbeelding "i_NL.IMRO.0014.BP572HortusbNplaGV-gv01_0061.jpg"

afbeelding "i_NL.IMRO.0014.BP572HortusbNplaGV-gv01_0062.jpg"