Exploitatieplan De Scheg Oost
| Status: | vastgesteld |
| Identificatie: | NL.IMRO.0362.21CEX-VG01 |
| Plantype: | exploitatieplan |
Exploitatieplantoelichting en exploitatieopzet
Exploitatieplan De Scheg Oogst
Inhoudsopgave
Exploitatieplantoelichting en exploitatieopzet
Deel A - Exploitatieplantoelichting
2 Toelichting Exploitatieplangebied
2.1 Vigerende planologische maatregel
2.2 Relatie planologische maatregel
2.5 Omschrijving van het Exploitatieplangebied
2.6 Eigendomssituatie - Te verwerven gronden
3 Eisen en regels exploitatieplan
3.4 Afwijken van de regels van het Exploitatieplan
4 Omschrijving werken en werkzaamheden
4.1 Omschrijving bouwrijp maken
4.2 Omschrijving nutsvoorzieningen
4.3 Omschrijving inrichting openbaar gebied
5.2 Aanduiding van het tijdvak
5.3 Aanduiding van de fasering
5.7 Gerealiseerde kosten en opbrengsten
7 Rechtsbescherming Exploitatieplan
Deel A - Exploitatieplantoelichting
1 Inleiding
1.2 Aanleiding
Het bestemmingsplangebied van De Scheg Oost is een nieuw te ontwikkelen gebied gelegen aan de zuidkant van de gemeente Amstelveen, zie afbeelding 1.
De ontwikkeling van het plangebied De Scheg voorziet in de grote behoefte aan woningen gericht op doorstroming op de woningmarkt en is gericht op het middeldure en hogere segment. Zowel in de Ontwikkelvisie uit 2015 als het Ruimtelijk Raamwerk uit 2020 is aangegeven dat de gemeente de ambitie heeft om van De Scheg een aantrekkelijk, duurzame en groene woonwijk te maken. Dat betekent dat er veel ruimte is voor groen en water, en dat er voornamelijk eengezinswoningen in het middeldure en dure koopsegment voorzien zijn. Daarnaast worden vrije sector huurwoningen gerealiseerd, waaronder middeldure huurwoningen. Vooralsnog zijn in het plangebied van de Scheg geen sociale huurwoningen voorzien.
Het bestemmingsplangebied De Scheg Oost is de eerste planologische uitwerking van de voornoemde Ontwikkelvisie en Ruimtelijk Raamwerk voor het plangebied De Scheg. In het bestemmingsplan De Scheg Oost zijn 172 woningen voorzien. Deze voorziene woningen zijn onderverdeeld in de categorieën:
appartementen (middeldure koop en vrije sector),
rijwoningen (vrije sector),
2^1 kap woningen en
(geschakeld) vrijstaande woningen (vrije sector).
Afbeelding 1 Plangebied De Scheg Oost
![i_NL.IMRO.0362.21CEX-VG01_667000.png [image]](i_NL.IMRO.0362.21CEX-VG01_667000.png)
1.3 Doel Exploitatieplan
Op grond van artikel 6.12 Wet ruimtelijke ordening (hierna te noemen: “Wro”) dient een exploitatieplan te worden vastgesteld bij het Bestemmingsplan ‘De Scheg Oost’.
Artikel 6.12 lid 2 Wro en artikel 6.2.1a Besluit ruimtelijke ordening (hierna te noemen: “Bro”) bepalen dat de verplichting om een exploitatieplan op te stellen vervalt, indien het kostenverhaal anderszins is verzekerd (anterieure overeenkomst of gemeentelijk grondeigendom), de noodzaak tot het vastleggen van nadere locatie-eisen ontbreekt of sprake is van financiële kruimelgevallen.
De gronden in het exploitatieplangebied zijn deels in eigendom van de gemeente en deels in eigendom van 1 particuliere grondeigenaar. Met deze laatste heeft de gemeente een anterieure overeenkomst gesloten, met als gevolg dat de gemeente op grond van artikel 6.12 lid 2 en artikel 6.12 lid 4 Wro niet gehouden maar wel bevoegd is om een exploitatieplan voor het Exploitatieplangebied De Scheg Oost vast te stellen en gelijktijdig met het Bestemmingsplan De Scheg Oost dit Exploitatieplan bekend te maken.
De vaststelling van het exploitatieplan dient ertoe om:
de noodzakelijke juridische basis te leggen voor het kostenverhaal;
het tijdvak en fasering te bepalen;
eisen, regels en een uitwerking van regels te stellen.
Met inachtneming van het Bestemmingsplan ‘De Scheg Oost’ en het exploitatieplan kan een particuliere grondeigenaar de aan zijn /haar grondeigendom toegekende bestemming zelf realiseren. De gemeente zal, indien de gemeente het kostenverhaal nog niet anterieur verzekerd heeft, alsdan de te verhalen kosten in rekening brengen aan de eigenaren op basis van een posterieure overeenkomst of bij het verlenen van een omgevingsvergunning. De percelen in het Exploitatieplangebied, die in eigendom zijn van de gemeente, worden, indien nodig, door de gemeente bouwrijp gemaakt en als zodanig door de gemeente verkocht, waardoor het kostenverhaal middels de gronduitgifte is verzekerd.
1.4 Leeswijzer
Het Exploitatieplan bestaat uit een toelichting (deel A), de Exploitatieopzet (deel B) en de regels (deel C). De bijlagen behoren eveneens tot het Exploitatieplan. Conform artikel 6.13 lid 1 Wro (verplichte onderdelen) en artikel 6.13 lid 2 Wro (niet verplichte onderdelen) zijn de verschillende verplichte en niet-verplichte onderdelen in dit Exploitatieplan verwerkt.
Deel A Toelichting van het Exploitatieplan begint met een inleidend hoofdstuk. In hoofdstuk 2 wordt het ruimtelijke kader van de ontwikkeling en het Exploitatieplangebied als geheel nader uiteengezet. In hoofdstuk 3 worden de eisen en regels bij een exploitatieplan toegelicht. In hoofdstuk 4 wordt een toelichting gegeven op de werken en werkzaamheden die in het Exploitatieplangebied zullen worden uitgevoerd.
In deel B Exploitatieopzet wordt een toelichting gegeven op kosten en opbrengsten van het Exploitatieplangebied en wordt de berekening van de Exploitatiebijdrage weergegeven. Verder wordt in dit deel B in hoofdstuk 6 ingegaan op de jaarlijkse herziening en de eindafrekening van het Exploitatieplan. In hoofdstuk 7 van deel B wordt de procedure van het Exploitatieplan en de rechtsbescherming toegelicht.
In deel C van dit Exploitatieplan zijn de regels, die gelden voor het Exploitatieplangebied, opgenomen.
2 Toelichting Exploitatieplangebied
Het plangebied De Scheg is gelegen direct ten zuiden van de bestaande woonwijk Westwijk. De beoogde woningbouwontwikkeling wordt gefaseerd ontwikkeld. Het deelgebied De Scheg Oost wordt naar verwachting als eerste deelgebied van het gehele plangebied De Scheg gerealiseerd.
Het bestemmingsplangebied De Scheg Oost betreft het meest oostelijke deel van het plangebied De Scheg en is gelegen ten zuiden van de wijk Westwijk. De noordgrens wordt bepaald door de J.C. van Hattumweg. De zuidgrens wordt bepaald door een te graven watergang in combinatie met de 20 KE contour. De westgrens wordt bepaald door de grens met het bestemmingsplan voor de Uithoornlijn; de oostgrens is begrensd door agrarische gronden aan de Bovenkerkerweg en gedeeltelijk de Bovenkerkerweg zelf.
In afbeelding 2 is de ligging van het te ontwikkelen plangebied De Scheg en deelgebied De Scheg Oost weergegeven.
Afbeelding 2 Globale duiding plangebied De Scheg en deelgebied De Scheg Oost
![i_NL.IMRO.0362.21CEX-VG01_667001.jpg [image]](i_NL.IMRO.0362.21CEX-VG01_667001.jpg)
2.1 Vigerende planologische maatregel
Het exploitatieplangebied is gelegen in het vigerende bestemmingsplan Legmeerpolder (vastgesteld door de gemeenteraad op 2 juli 2014). De vigerende bestemming in het bestemmingsplan Legmeerpolder, waar het de gronden in het exploitatieplangebied betreft, zijn overwegend Agrarisch.
Voor de ontwikkeling van de gronden dient een nieuw bestemmingsplan te worden vastgesteld, het bestemmingsplan De Scheg Oost. Dit brengt, conform artikel 6.12 lid 2 Wro en de voorgaande toelichting in hoofdstuk 1, met zich mee dat tevens een exploitatieplan ka worden op- en vastgesteld.
2.2 Relatie planologische maatregel
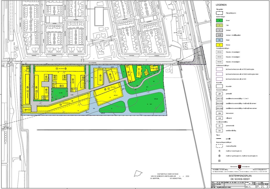
Het voorliggende Exploitatieplan behoort bij het bestemmingsplan ‘De Scheg Oost, zie afbeelding 3. Dit Bestemmingsplan vervangt (al dan niet gedeeltelijk) het vigerende bestemmingsplan ‘Legmeerpolder’.
Afbeelding 3 Verbeelding bestemmingsplan De Scheg Oost
![i_NL.IMRO.0362.21CEX-VG01_667002.jpg [image]](i_NL.IMRO.0362.21CEX-VG01_667002.jpg)
De regels, eisen en voorwaarden, zoals opgenomen in het Bestemmingsplan gelden, voor zover aan de orde, ook voor dit exploitatieplan. De verbeelding van het Bestemmingsplan is opgenomen in bijlage 1 van dit exploitatieplan.
2.3 Stedenbouwkundige opzet
Het Bestemmingsplan voorziet in de ontwikkeling en realisatie van circa 7 hectare woongebied. Er wordt voorzien in de aanleg c.q. aanpassing van openbare ruimte (zoals wegen, groen, water, fiets- en voetpaden) en in bouwrijpe gronden voor de bouw van woningen.
Op afbeelding 4 is de stedenbouwkundige verkaveling van het bestemmingsplangebied De Scheg Oost weergegeven. Deze verkaveling dient tevens als grondslag voor het exploitatieplan en de bijbehorende exploitatieopzet en is als bijlage 2 bij dit exploitatieplan opgenomen.
Afbeelding 4 Ontwerp De Scheg Oost
![i_NL.IMRO.0362.21CEX-VG01_667003.jpg [image]](i_NL.IMRO.0362.21CEX-VG01_667003.jpg)
2.4 De Exploitatieplangrens
Ingevolge de Wro moeten de grenzen van het Exploitatieplangebied gelijk zijn aan de grenzen van het Bestemmingsplan of daarbinnen vallen. Met betrekking tot de begrenzing van een Exploitatieplangebied geldt het volgende:
"Het exploitatiegebied dient zo te worden begrensd dat alle onderdelen van de desbetreffende grondexploitatie erin vallen. Onderdelen welke tevens ten dienste staan van andere locaties of anderszins een bovenwijks karakter hebben en die aan de rand van het gebied gelegen zijn, kunnen worden meegenomen in het exploitatiegebied of worden aangemerkt als bovenwijkse elementen.
Voor het kostenverhaal maakt dit geen verschil. Een exploitatieplangebied kan uit verschillende niet-aaneengesloten delen bestaan, als er planologisch of functioneel maar een duidelijke samenhang is tussen de delen."
(Kamerstukken II 2004/2005, 30 218, nr. 3, p. 17).
De voorwaarden, die aan de begrenzing van het Exploitatieplangebied gesteld worden, zijn dat:
deze zo moeten zijn vastgesteld dat alle onderdelen van de desbetreffende grondexploitatie erin vallen;
de onderdelen van de desbetreffende grondexploitatie de grenzen van het bestemmingsplangebied niet te buiten gaan; en
wanneer een exploitatieplangebied uit verschillende niet-aaneengesloten delen bestaat, er sprake moet zijn van ruimtelijke en/of functionele samenhang om deze in één exploitatieplangebied te kunnen opnemen.
Toepassing van deze voorwaarden maakt dat de grens van het Exploitatieplangebied niet gelijk is aan de bestemmingsplangrens van De Scheg Oost. Tenslotte zijn in het bestemmingsplangebied bestemmingen opgenomen die buiten de ontwikkeling van het woongebied vallen, waardoor deze niet zijn opgenomen in Exploitatieplangebied. Op niet alle grondeigendommen in een Exploitatieplangebied zijn bouwplannen voorgenomen zoals bepaald in artikel 6.12 lid 1 Wro met daarbij de benodigde voorzieningen.
De grens van het Exploitatieplangebied, afbeelding 5, is aangegeven op de kaart ‘Bestemmings- en exploitatieplangebied’, opgenomen in bijlage 3, die onderdeel uitmaakt van dit Exploitatieplan.
Afbeelding 5 Bestemmingsplan- en Exploitatieplangebied De Scheg Oost
![i_NL.IMRO.0362.21CEX-VG01_667004.jpg [image]](i_NL.IMRO.0362.21CEX-VG01_667004.jpg)
2.5 Omschrijving van het Exploitatieplangebied
Het Exploitatieplangebied kenmerkt zich door de situering ten opzichte van de J.C. van Hattumweg, de te graven watergang in combinatie met de 20 KE contour en de Bovenkerkerweg. Daarnaast is de locatie goed bereikbaar door de aansluiting op de N521 en de N201. Daarmee zijn de A2, A9 en de A4 goed bereikbaar per auto.
Het Exploitatieplangebied komt niet overeen met het Bestemmingsplangebied. Op bijlage 3 van dit Exploitatieplan is zowel de bestemmingsplangrens als de grens van het Exploitatieplangebied weergegeven.
Op deze bijlage 3 is duidelijk te zien dat het Exploitatieplangebied afwijkt van het Bestemmingsplan. Dit is te verklaren zoals reeds in hoofdstuk 2.4 is toegelicht.
2.6 Eigendomssituatie - Te verwerven gronden
In het Exploitatieplangebied is een beperkt deel van de gronden in eigendom van de gemeente Amstelveen. De overige gronden zijn in eigendom van één derde. Op afbeelding 6 is de eigendomssituatie in het Exploitatieplangebied weergegeven.
Afbeelding 6 Grondeigendommen binnen Exploitatieplangebieden
![i_NL.IMRO.0362.21CEX-VG01_667005.jpg [image]](i_NL.IMRO.0362.21CEX-VG01_667005.jpg)
De kaart ‘Eigendommen’, waarop de eigendomssituatie is weergegeven, is opgenomen in bijlage 4 van dit Exploitatieplan. In tabel 1 staan de eigenaren benoemd en staat de grondoppervlakte per eigenaar weergegeven.
Tabel 1. Eigendomssituatie
|
Eigenaar |
Oppervlakte |
|
Eigenaar 1 |
67.865 m2 |
|
Eigenaar 2 |
835 m2 |
|
Totaal |
68.700 m2 |
De eigendomssituatie is een momentopname. De betreffende percelen in het Exploitatieplangebied kunnen van eigenaar wisselen als gevolg van overdrachten (bijvoorbeeld vererving), verkoop en levering aan derde partijen en/of verkoop en levering aan de gemeente.
Door de gemeente wordt getracht om de gronden van de betrokken grondeigenaren middels minnelijke verwerving in eigendom te krijgen c.q. om door middel van een (anterieure) overeenkomst het gemeentelijke kostenverhaal te verzekeren.
Als het niet mogelijk is om de gronden, die nodig zijn voor de realisatie van de in het Bestemmingsplan opgenomen bestemmingen, minnelijk te verwerven (of het kostenverhaal anderszins voor de bouwplannen mogelijk gemaakt op deze gronden te verzekeren) en als gebleken is van voldoende noodzaak en urgentie om tijdig over de betreffende gronden te beschikken voor de realisatie van het Bestemmingsplan, bestaat de mogelijkheid om over te gaan tot onteigening. Zo nodig zal de gemeente het instrument van onteigening inzetten voor de realisatie van het Bestemmingsplan.
3 Eisen en regels exploitatieplan
In een exploitatieplan moeten, voor zover nodig, en kunnen nadere eisen en regels worden gesteld in het kader van de uitvoering van het Bestemmingsplan.
Deze zogenoemde locatie-eisen hebben betrekking op:
voor zover nodig een fasering en zo nodig koppelingen (artikel 6.12 lid 1 onder c Wro);
het voorgenomen grondgebruik (artikel 6.13 lid 2 onder a Wro);
eisen voor en regels omtrent het uitvoeren van de werken en werkzaamheden (artikel 6.13 lid 2 onder b en c Wro);
de uitwerking van de regels voor uitvoerbaarheid sociale woningbouw (artikel 6.13 lid 2 onder d Wro);
de uitwerking van de regels voor uitvoerbaarheid particulier opdrachtgeverschap (artikel 6.13 lid 2 onder d Wro);
regels voor het afwijken bij een omgevingsvergunning van bij het exploitatieplan aangegeven regels (artikel 6.13 lid 2 onder e Wro).
De bovengenoemde locatie-eisen worden, indien van toepassing, onderstaand nader toegelicht.
3.1 Fasering en koppelingen
De exploitatieopzet moet, voor zover nodig een fasering van de uitvoering van werken, werkzaamheden, maatregelen en bouwplannen, en zo nodig koppelingen hiertussen, bevatten.
Deze fasering en koppelingen geven inzicht in tijdsaspecten voor de uitvoering van het bestemmingsplan.
In hoofdstuk 5.3 van deel B van dit Exploitatieplan is weergegeven op welke wijze de fasering van werken, werkzaamheden, maatregelen en bouwplannen in de Exploitatieopzet is opgenomen.
In Artikel 6 en Artikel 7 van deel C van dit Exploitatieplan zijn de regels voor koppelingen en verbodsbepalingen van het onderhavige Exploitatieplan en het Exploitatieplangebied opgenomen.
3.2 Voorgenomen grondgebruik
Een exploitatieplan maakt het mogelijk om het voorgenomen grondgebruik, ten behoeve van een zorgvuldige ruimtelijke en functionele uitvoering van het bestemmingsplan, bindend voor te schrijven.
Dit voorgenomen grondgebruik geeft inzicht in de uitgeefbare gronden en in de gronden voor de toekomstige openbare ruimte in het exploitatieplangebied.
In hoofdstuk 2.3 van deel A van dit Exploitatieplan is het voorgenomen ruimtegebruik van het Exploitatieplangebied toegelicht en in deel B van dit Exploitatieplan is in de Exploitatieopzet met het voorgenomen grondgebruik rekening gehouden.
3.3 Werken en werkzaamheden
Een exploitatieplan kan tevens eisen stellen voor de werken en werkzaamheden voor het bouwrijp maken van het exploitatieplangebied, de aanleg van nutsvoorzieningen, en het inrichten van de openbare ruimte in het exploitatiegebied. Ook kan het exploitatieplan regels stellen omtrent het uitvoeren van deze bedoelde werken en werkzaamheden.
Deze eisen en regels geven de kwalitatieve voorschriften weer voor de inrichting van het exploitatiegebied, waardoor in het gehele exploitatiegebied eenzelfde kwaliteit en uitvoering van de werken en werkzaamheden wordt bewerkstelligd.
In hoofdstuk 4 van deel A van dit Exploitatieplan worden de voorziene werken en werkzaamheden omschreven.
In Artikel 2 en Artikel 3 van deel C van dit Exploitatieplan zijn de eisen en regels voor de voornoemde werken en werkzaamheden van het Exploitatieplan en de Exploitatieplangebieden opgenomen.
3.4 Afwijken van de regels van het Exploitatieplan
Ten slotte maakt een exploitatieplan het mogelijk om regels te stellen, bij de in het exploitatieplan aangegeven eisen en regels, met inachtneming waarvan bij een omgevingsvergunning kan worden afgeweken.
Deze regels zijn bij de desbetreffende artikelen (eisen en regels) van deel C van dit Exploitatieplan opgenomen.
4 Omschrijving werken en werkzaamheden
4.1 Omschrijving bouwrijp maken
Voor het Bouwrijp maken van de Exploitatieplangebieden worden de volgende werken en werkzaamheden uitgevoerd:
Het verwijderen van opstallen, bovengrondse en ondergrondse obstakels; bouwresten, verhardingen en opschonen in het Exploitatieplangebied.
Het verwijderen van struiken, bomen en boomstronken.
Grondwerkzaamheden: afgraven en afvoeren respectievelijk aanvoeren en ophogen.
Aanleg (tijdelijke) bouwwegen voorafgaand aan het starten met de bouw van het vastgoed.
Aanleg (tijdelijke) vuilwaterriolering, infiltratieriolering, gescheiden rioolsysteem.
Aanleg van openbare bergingswatergangen en waterberging(en) ten behoeve van de berging van hemelwater vanaf Uitgeefbaar terrein en Openbaar gebied.
4.2 Omschrijving nutsvoorzieningen
Voor de aanleg van Nutsvoorzieningen worden in hoofdlijnen de volgende werken aangelegd en werkzaamheden verricht:
Aanleg van en, indien van toepassing, verplaatsing of aanpassing van onder andere (tijdelijke) leidingen voor water, elektra, telefoon, centraal antenne systeem, inclusief de nodige bovengrondse voorzieningen, zoals transformatorhuisjes, verdeelkasten, waarbij de bovengrondse voorzieningen zodanig zijn ingepast en verfraaid dat deze stedenbouwkundig aansluiten op de kwaliteit van het omliggende vastgoed.
Aanbrengen openbare verlichting door aanleg van leidingen en het plaatsen van lichtmasten.
4.3 Omschrijving inrichting openbaar gebied
Voor de inrichting van het openbaar gebied worden in hoofdlijnen de volgende werken aangelegd en werkzaamheden verricht:
Aanleg voetpaden, en bijbehorende bermen, inclusief het herstellen van wegen.
Aanleg van planten, bomen en struiken in bermen langs wegen, inclusief straatmeubilair; aanbrengen bebording, bebakening en belijning maximaal een half jaar na de laatste oplevering.
Aanleg van waterhuishoudkundige werken.
Plaatsen van bluswatervoorzieningen, definitieve wegen en parkeerplaatsen.
Plaatsen van ondergrondse afvalcontainers.
Plaatsen van (tijdelijke) markeringen, verkeers- en waarschuwingsborden.
Aanleg definitieve wegen, voetpaden en bijbehorende bermen, inclusief het herstellen van wegen.
Deel B - Exploitatieopzet
5 Exploitatieopzet
5.1 Algemeen
In de Exploitatieopzet worden de kosten, opbrengsten en fasering beschreven en gekwantificeerd (zie bijlage 8). Om het resultaat van de Exploitatieopzet te bepalen is een dynamische eindwaardeberekening uitgevoerd. Bij toepassing van deze methode wordt rekening gehouden met rente en prijsstijgingen gedurende de looptijd van de exploitatie. Bij deze methode komt een aantal begrippen voor, te weten de nominale waarde, eindwaarde en contante waarde. Deze worden hieronder nader toegelicht.
Onder nominale waarde wordt verstaan: het saldo van kosten en opbrengsten zoals deze bekend zijn op het moment dat de exploitatieopzet wordt opgesteld.
De invloed van de fasering, prijsstijgingen (inflatie) en rente spelen een rol op het moment dat het resultaat op eindwaarde van een project wordt bepaald. Dan wordt rekening gehouden met de vermoedelijke einddatum waarop het betreffende project / exploitatie gereed is. Door indexering(en) / inflatie en rente toe te rekenen ontstaat het saldo op het eind van deze looptijd, dus wanneer de vermoedelijke einddatum is bereikt. Dit wordt het resultaat op eindwaarde genoemd.
Om het resultaat (en de gefaseerde kosten en opbrengsten) terug te rekenen naar één moment wordt de eindwaarde contant gemaakt naar, in onderhavig Exploitatieplan, 1 januari 2022. Het aldus berekende resultaat wordt het resultaat op contante waarde genoemd. Wanneer aan dit ‘resultaat op contante waarde’ rentekosten of -opbrengsten worden toegevoegd passend bij de looptijd van het project resulteert dit weer in de eindwaarde. Voor de rente en kosten- en opbrengstenstijging worden de parameters uit hoofdstuk 5.3 gehanteerd.
Vervolgens wordt aangegeven hoe de kosten worden toegerekend aan de verschillende kostendragers. De Exploitatieopzet is gebaseerd op de gemeentelijke grondexploitatie behorende bij het Bestemmingsplan en het stedenbouwkundig ontwerp zoals opgenomen in bijlage 2 van dit Exploitatieplan.
Ingevolge de Wro is het fictieve uitgangspunt bij het opstellen van een exploitatieplan dat de gemeente de enige exploitant is. Voor de raming van de kosten en opbrengsten is er dan ook van uitgegaan dat het Exploitatieplangebied in zijn geheel door één exploitant (fictief de gemeente) in exploitatie wordt gebracht.
5.2 Aanduiding van het tijdvak
Artikel 6.13 lid 1 onder c ten vierde Wro geeft aan dat een exploitatieplan een exploitatieopzet dient te bevatten waarin een tijdvak is opgenomen waarbinnen de exploitatie van de gronden zal plaatsvinden.
Artikel 3.1. lid 2 Wro geeft aan dat de bestemming van gronden, met inbegrip van de met het oog daarop vastgestelde regels, binnen een periode van 10 jaar, vanaf de datum van vaststelling van het bestemmingsplan, telkens opnieuw moet worden vastgesteld.
Een grondexploitatie, exploitatieopzet en exploitatieplan zijn dynamisch en dienen met enige regelmaat te worden aangepast. Aangezien een exploitatieopzet volgend is op de vaststelling van een bestemming, zal binnen de bestemmingsplanperiode weliswaar daadwerkelijk gestart moeten zijn met de uitvoering, doch de afronding van de exploitatieopzet is daarop volgend en zal hierdoor een langere duur kunnen hebben dan de bestemmingsplanperiode.
Het tijdvak, waarbinnen de exploitatie van de gronden plaatsvindt, bedraagt 5 jaar en loopt van 1 januari 2022 tot en met 31 december 2026.
De werkzaamheden in het Exploitatieplangebied, het Bouwrijp maken, zullen aanvangen, nadat het Bestemmingsplan onherroepelijk is geworden. Dit is naar verwachting medio / eind 2022.
5.3 Aanduiding van de fasering
Artikel 6.13 lid 1 onder 5 Wro geeft aan dat een exploitatieplan een exploitatieopzet dient te bevatten waarin voor zover nodig een fasering van de uitvoering van werken, werkzaamheden, maatregelen en bouwplannen is opgenomen en zo nodig een koppeling hiertussen.
5.3.1 Fasering
De fasering van de getaxeerde inbrengwaarde, op basis van het taxatierapport inbrengwaarden, en de geraamde planontwikkelingskosten, op basis van de ministeriële regeling plankosten exploitatieplan, zijn voorzien op t=0, zijnde 2021.
De overige (civiele) kosten zijn in het tijdvak van de Exploitatieopzet gefaseerd opgenomen in afstemming met de uitgifte van gronden voor aangewezen Bouwplannen in het betreffende Exploitatieplangebied.
In de Exploitatieopzet is:
het bouwrijp maken voorzien in 3 jaar, te weten: 2022 tot en met 2024,
het woonrijp maken voorzien in 4 jaar, te weten: 2023 tot en met 2026 en
de uitgifte van gronden voor aangewezen Bouwplannen voorzien in 3 jaar, te weten: 2023 tot en met 2025.
5.3.2 Parameters
Op basis van de fasering worden alle kosten en opbrengsten, met inachtneming van indexeringen, naar één en hetzelfde moment (peildatum Exploitatieplan en Bestemmingsplan, 1-1-2022) “teruggerekend”, waarbij de totale kosten en totale opbrengsten contant worden gemaakt. Ten behoeve van de rente- en inflatie-invloeden zijn de volgende financiële parameters gebruikt in de Exploitatieopzet van het Exploitatieplangebied:
Tabel 2. Gehanteerde parameters
|
|
|
2022 |
2023 |
2024 |
2025 |
2026 |
|
|
Rente |
1,55% |
|
|
|
|
|
|
|
Uitgavenstijging |
|
0,0% |
2,5% |
2,0% |
2,0% |
2,0% |
|
|
Inkomstenstijging |
|
0,0% |
1,8% |
1,8% |
1,8% |
1,8% |
|
Het prijspeil van de geraamde kosten en opbrengsten is, indien anders vermeld, 1 januari 2022.
Bij een herziening van het Exploitatieplan wordt, op basis van de markt- en prijsontwikkelingen, bepaald of de gehanteerde parameters nog in overeenstemming zijn met de dan geldende marktomstandigheden.
5.4 Toekomstig grondgebruik
Het grondgebruik is gebaseerd op het Bestemmingsplan en op de van het Exploitatieplan deel uitmakende kaart ‘Ontwerp’. De kaart ‘Ontwerp’ is opgenomen in bijlage 2 van dit Exploitatieplan.
Met het inzichtelijk maken van het grondgebruik wordt duidelijk gemaakt met welk toekomstig grondgebruik rekening wordt gehouden in de Exploitatieopzet van het Exploitatieplan behorende bij het Exploitatieplangebied. Tabel 3 geeft het totale grondgebruik in het Exploitatieplangebied weer.
Tabel 3. Grondgebruik in het Exploitatieplangebied
|
Functie |
|
Oppervlakte m² |
|
Uitgeefbaar |
|
34.071 m2 |
|
Groen |
|
14.453 m2 |
|
Verharding |
|
9.651 m2 |
|
Water |
|
10.525 m2 |
|
Totaal |
|
68.700 m2 |
5.5 Kosten
Naast een raming van de inbrengwaarde van de gronden, zijn de andere kosten in verband met de exploitatie geraamd. De raming heeft plaatsgevonden op grond van artikel 6.2.4 Bro tot en met artikel 6.2.6 Bro. Daarbij is uitgegaan van objectief vastgestelde prijzen en waarden, die in het vrij maatschappelijk verkeer door een redelijk handelende partij zouden worden gehanteerd per prijspeil 1 januari 2022.
Op grond van artikel 6.13 lid 6 Wro moeten de kosten in verband met werken, werkzaamheden en maatregelen waarvan het Exploitatieplangebied of een gedeelte daarvan profijt heeft, en die toerekenbaar zijn aan het Exploitatieplan, naar evenredigheid worden opgenomen in de exploitatieopzet. In deze bepaling zijn de onderstaande drie criteria terug te vinden:
Profijt: het Exploitatieplangebied of een gedeelte daarvan moet baat hebben bij de betreffende werken, werkzaamheden en maatregelen. Te denken valt aan fysiek nut (bij wegen of riolering bijvoorbeeld) of aan het feit dat door de voorzieningen en maatregelen een groter gebied kan worden ontwikkeld.
Toerekenbaarheid: de kosten zouden zonder het plan niet gemaakt worden of worden mede ten behoeve van het plan gemaakt.
Proportionaliteit: als meerdere percelen profijt hebben van een voorziening, werk of maatregel, worden de kosten naar rato verdeeld.
Gezien deze drie toetsingscriteria ontstaan er, ten aanzien van de aanleg van de te treffen voorzieningen in verband met de ruimtelijke ontwikkeling, artikel 6.2.5 Bro, drie categorieën kosten. Deze categorieën zijn in tabel 4 opgenomen. In de toelichting op de kosten in het betreffende Exploitatieplangebied is per kostensoort aangegeven in welke categorie deze valt.
Tabel 4. Onderscheid in toerekenbaarheid van kosten
|
Categorie 1 |
Voorzieningen binnen een exploitatieplangebied en alleen ten dienste van dat exploitatiegebied. |
100% toerekenbaar aan exploitatieplangebied |
|
|
|
|
|
Categorie 2 |
Voorzieningen buiten een exploitatieplangebied, maar alleen ten dienste van dat exploitatieplangebied. |
100% toerekenbaar aan exploitatieplangebied |
|
Categorie 3 |
Voorzieningen binnen of buiten een exploitatieplangebied die ten dienste zijn van dat exploitatieplangebied en een of meer exploitatie(plan)gebieden en / of bestaand gebied. |
Bovenwijkse voorzieningen waarvan de toerekening aan de hand van ‘profijt’, ‘toerekenbaarheid’ en ‘proportionaliteit’ plaatsvindt |
De totaal geraamde kosten, in verband met de ontwikkeling van het Exploitatieplangebied, zoals planologisch mogelijk gemaakt in het bestemmingsplan De Scheg Oost, zijn per onderdeel opgenomen in tabel 5. Dit zijn de kosten op prijspeil 1 januari 2022 en exclusief btw.
Tabel 5. Specificering kosten Exploitatieplangebied
|
Omschrijving |
Bedragen in € (nominaal) |
|
Inbrengwaarde gronden |
€ 27.094.962,- |
|
Sloop |
€ 21.366,- |
|
Milieu/saneren |
€ 331.308,- |
|
Hoofdinfra, bouw- en woonrijp maken |
€ 4.318.612,- |
|
Plankosten |
€ 1.014.482,- |
|
Bovenwijkse voorzieningen |
€ 948.572,- |
|
Beheer openbaar gebied |
€ 42.934,- |
|
Planschade |
€ 661.800,- |
|
Totaal |
€ 34.434.037,- |
Inbrengwaarden gronden (categorie 1)
Om de inbrengwaarde van de gronden in het Exploitatieplangebied te ramen, worden, conform artikel 6.2.3 Bro, tot de kosten gerekend, voor zover deze redelijkerwijs zijn toe te rekenen aan de inbrengwaarde van de gronden, de ramingen van:
de waarde van de gronden in het Exploitatieplangebied;
de waarde van de opstallen die in verband met de exploitatie van de gronden moeten worden gesloopt;
de kosten van het vrijmaken van de gronden in het Exploitatieplangebied van persoonlijke rechten en lasten, eigendom, bezit of beperkt recht en zakelijke lasten;
de kosten van sloop, verwijdering en verplaatsing van opstallen, obstakels, funderingen, kabels en leidingen in het Exploitatieplangebied.
De inbrengwaarde van de gronden in het Exploitatieplangebied is gebaseerd op een taxatie van het bureau Fakton. Het rapport is opgenomen in bijlage 5 van dit Exploitatieplan. In tabel 6 is de inbrengwaarde per grondeigenaar in Exploitatieplangebied weergegeven.
Tabel 6. Inbrengwaarde per grondeigenaar Exploitatieplangebied
|
Eigenaar |
Inbrengwaarde |
|
Eigenaar 1 |
€ 26.765.642,- |
|
Eigenaar 2 |
€ 329.320,- |
|
Totaal |
€ 27.094.962,- |
Sloopwerken (categorie 1)
In het Exploitatieplangebied worden enkele sloop- en opruimwerkzaamheden voorzien om de toegedachte bestemming te kunnen realiseren.
De totaal geraamde sloop- en opruimkosten bedragen € 21.366,-.
Milieu en sanering (categorie 1)
In het kader van het Bestemmingsplan zijn diverse onderzoeken uitgevoerd. Het Bro schaart de kosten en de ambtelijk bestede uren voor het verrichten van onderzoek onder de verhaalbare kostensoorten. Hierbij kan onder andere worden gedacht aan milieukundig bodem- en asbestonderzoek, archeologisch onderzoek, flora en fauna en dergelijke.
Voor deze onderzoeken, uitgevoerd in het kader van het Bestemmingsplan en nog uit te voeren voor het Exploitatieplangebied, en mogelijke sanering van gronden, zijn de kosten geraamd op € 331.308,-.
Hoofdinfra, bouw- en woonrijp maken (categorie 1 en 3)
De kosten voor hoofdinfra, bouw- en woonrijp maken zijn gebaseerd op marktconforme ramingen. Deze ramingen zijn gebaseerd op de stedenbouwkundige verkaveling zoals weergegeven op de kaart ‘Ontwerp’, zie bijlage 6. De totale nominale kosten voor hoofdinfra, bouw- en woonrijp maken voor het Exploitatieplangebied zijn geraamd op € 4.318.612,-.
Plankosten (categorie 1)
Voor het ramen van de plankosten in een exploitatieplan is de ministeriële regeling plankosten exploitatieplan voorgeschreven. Met deze zogenaamde plankostenscan is een methodiek ontwikkeld die plankosten opbouwt vanuit de producten en diensten die nodig zijn om een ruimtelijke ontwikkeling te kunnen realiseren. Onder de plankosten vallen onder andere kosten voor het opstellen van ruimtelijke plannen, programma van eisen, gemeentelijke apparaatskosten en voorbereiding, toezicht en uitvoering (VTU).
De ingevulde plankostenscan is opgenomen in bijlage 7 bij dit Exploitatieplan. De plankosten van het totale Exploitatieplangebied zijn berekend en dit geeft een resultaat van € 992.643,-. Dit bedrag is een raming op prijspeil 2021. Dit bedrag is geïndexeerd naar prijspeil 2022 en dit geeft een resultaat van € 1.014.482,-. De indexatie is gebaseerd op de gemiddelde loonstijging van de CAO over 2022. Deze wordt in de eerste drie maanden verhoogt met 1,4% en vervolgens vanaf april met 2,4%. Dit levert een gemiddelde stijging van de lonen op van 2,2%. (FNV nieuwe CAO gemeente ambtenaren 2022.)
Ingevolge artikel 6 van de ministeriële regeling is bepaald dat de plankosten boekhoudkundig gezien kosten zijn die in het jaar van vaststelling van het Exploitatieplan ineens zijn betaald. Het zijn historische, onveranderlijke kosten. De plankosten worden dan ook niet meer aangepast nadat het Exploitatieplan is vastgesteld, tenzij het Exploitatieplan of de Exploitatieopzet inhoudelijk wordt gewijzigd omdat bijvoorbeeld het ruimtelijk programma verandert.
Bovenwijkse voorzieningen (categorie 3)
Voor het Exploitatieplangebied Noordwest kunnen voorzieningen of maatregelen nodig zijn die binnen, dan wel buiten, het Exploitatieplangebied Noordwest liggen. Dit kunnen voorzieningen zijn die geheel dan wel gedeeltelijk kunnen worden toegerekend aan de Exploitatieplangebieden binnen het Bestemmingsplan.
Bijdrage N201 incl. V&T
Op 7 oktober 2008 heeft de raad van Amstelveen ingestemd met de Samenwerkingsovereenkomst provincie Noord-Holland - gemeente Amstelveen inzake de Amstelveense bijdrage aan de verlegging van de N201.
De toerekening van de (gerealiseerde) kosten van deze werkzaamheden aan het Exploitatieplangebied De Scheg Oost is gebaseerd op de ‘Structuurvisie Amstelveen Zuid’ zoals vastgesteld op 15 december 2010 door de gemeenteraad van Amstelveen. Deze structuurvisie geeft enerzijds de ruimtelijke en functionele samenhang van de verlegging van de N201 en de realisatie van de ongelijkvloerse kruising met de ontwikkelingsgebieden aan. Anderzijds geeft deze structuurvisie de proportionele toerekening aan deze profijtelijke ontwikkelingsgebieden weer. In deze structuurvisie is bepaald welk aandeel van de investering door de te ontwikkelen bestemmingsplannen (BTAZ, de Loeten, de Scheg) en welk aandeel door de overige gebiedsontwikkelingen in de gemeente Amstelveen moet worden bijgedragen.
Op basis van deze structuurvisie en het Uitgeefbaar terrein is de bijdrage vanuit het Exploitatieplangebied geraamd op € 125.504,-
Aanpassing rioolstelsel buiten plangebied (nieuw persriool incl. V&T)
De aanpassingen aan het rioolstelstel buiten het plangebied De Scheg zijn, naar rato van het Uitgeefbaar terrein van het Exploitatieplangebied in het geheel van het voorziene Uitgeefbaar terrein van het plangebied De Scheg, toegerekend aan het Exploitatieplangebied voor een bedrag van € 316.971,-.
Raming Kruising J.C. van Hattumweg / Bovenkerkerweg
De benodigde aanpassingen aan de kruising van de J.C. van Hattumweg en de Bovenkerkerweg worden in het onderhavige Exploitatieplan voor 100% toegerekend aan het Exploitatieplangebied, omdat deze ontsluiting enkel en alleen benodigd is voor het Exploitatieplangebied. De raming voor de benodigde aanpassingen aan deze kruising bedraagt € 320.011,-.
Nota Bovenwijkse voorzieningen Amstelveen
De gemeente Amstelveen investeert de komende tien jaar € 48,7 miljoen om een aantrekkelijke woon- werkstad te blijven. Deze bovenwijkse voorzieningen worden gerealiseerd in Stadsdeel Zuid en op Stadsniveau. De gemeenteraad van Amstelveen zal hiertoe op 17 november 2021 de Nota Bovenwijkse voorzieningen Amstelveen ter vaststelling aangeboden krijgen. De bijdrage voor woningen per m2 bruto vloeroppervlakte (bvo) is € 8,25.
Dit betekent dat, op basis van het woningbouwprogramma dat wordt voorzien in het Exploitatieplangebied en de Nota Bovenwijkse voorzieningen Amstelveen, aan het Exploitatieplangebied een bijdrage van in totaal € 186.087,- is toegerekend.
Beheer openbaar gebied (categorie 1)
De totale kosten geraamd voor het beheer van het openbaar gebied in verband met gefaseerde bouw bedragen € 42.934,-.
Planschade (categorie 1)
In de exploitatieopzet is rekening gehouden met vergoedingen voor tegemoetkomingen in planschade. De gemeente Amstelveen raamt hiervoor een bedrag van € 661.800,-.
5.6 Opbrengsten
Op grond van artikel 6.2.7 Bro worden tot de opbrengsten van de exploitatie, bedoeld in artikel 6.13, eerste lid, onder c, ten derde Wro, gerekend de ramingen van de volgende opbrengsten:
van uitgifte van de gronden in het Exploitatieplangebied;
van bijdrage en subsidies van derden;
die worden verkregen of toegekend in verband met het in exploitatie brengen van gronden die in de naaste toekomst voor bebouwing in aanmerking komen.
De opbrengsten in het Exploitatieplan bestaan uit de opbrengsten uit voorziene uitgifte van bouwrijpe grond. De gehanteerde grondprijzen zijn, conform het rapport ‘Overzicht grondwaarden en programma vastgoedtypen’ opgesteld door Fakton in opdracht van de gemeente Amstelveen. Dit rapport is opgenomen in bijlage 5 van dit Exploitatieplan.
Tabel 7 geeft de geraamde opbrengsten van het Exploitatieplangebied weer. Alle bedragen zijn exclusief btw.
Tabel 7. Geraamde opbrengsten Exploitatieplangebied
|
Opbrengst |
Hoeveelheid |
Prijs |
Totaal |
|
Vrije sector rijwoning klein |
3.841 m2 |
€ 1.895,- |
€ 7.278.620,- |
|
Middeldure koop appartementen |
2.833 m2 |
€ 1.937,- |
€ 5.486.916,- |
|
Vrije sector appartementen |
1.821 m2 |
€ 2.748,- |
€ 5.002.701,- |
|
Vrije sector 2^1 kap middel |
3.249 m2 |
€ 1.211,- |
€ 3.934.057,- |
|
Vrije sector 2^1 kap groot |
3.457 m2 |
€ 1.184,- |
€ 4.091.641,- |
|
Vrije sector vrijstaand groot |
4.951 m2 |
€ 903,- |
€ 4.472.013,- |
|
Eilandwoningen |
7.438 m2 |
€ 904,- |
€ 6.722.614,- |
|
Geschakeld |
6.482 m2 |
€ 824,- |
€ 5.339.610,- |
|
TOTAAL |
34.072 m2 |
|
€ 42.328.172,- |
5.7 Gerealiseerde kosten en opbrengsten
De in hoofdstuk 5.5 en 5.6 opgenomen begroting van kosten en opbrengsten is voor een groot deel gebaseerd op ramingen.
In de huidige situatie zijn werkzaamheden uitgevoerd, denk aan kosten voor (milieu)onderzoeken en plankosten. Op dit moment zijn nog geen opbrengsten uit gronduitgifte of anderszins in het kader van dit Exploitatieplan gerealiseerd. Een overzicht van de gerealiseerde kosten en opbrengsten, per 1-1-2022, zijn op grond van artikel 6.2.8 Bro is in de onderstaande tabel 8 weergegeven.
Tabel 8. Gerealiseerde Kosten en Opbrengsten
|
Kosten Omschrijving |
Begroot |
Gerealiseerd per 1-1-2022 |
% |
|
Inbrengwaarde gronden |
€ 27.094.962,- |
€ ,- |
|
|
Sloop |
€ 21.366,- |
€ ,- |
|
|
Milieu/saneren |
€ 331.308,- |
€ ,- |
|
|
Hoofdinfra, bouw- en woonrijp maken |
€ 4.318.612,- |
€ ,- |
|
|
Plankosten |
€ 1.014.482,- |
€ 246.346,- |
24,28% |
|
Bovenwijks |
€ 948.572,- |
€ ,- |
|
|
Beheer openbaar gebied |
€ 42.934,- |
€ ,- |
|
|
Planschade |
€ 661.800,- |
€ ,- |
|
|
Kostenstijging Rente |
€ 227.829,- € 1.112.192,- |
€,- € 5.672 ,- |
0,51% |
|
Totaal |
€ 35.774.058,- |
€ 252.018,- |
0,73% |
|
Opbrengsten Omschrijving |
Begroot |
Gerealiseerd per 1-1-2022 |
% |
|
Vrije sector rijwoning klein |
€ 7.278.620 |
€ ,- |
|
|
Middeldure koop appartementen |
€ 5.486.916 |
€ ,- |
|
|
Vrije sector appartementen |
€ 5.002.701 |
€ ,- |
|
|
Vrije sector 2^1 kap middel |
€ 3.934.057 |
€ ,- |
|
|
Vrije sector 2^1 kap groot |
€ 4.091.641 |
€ ,- |
|
|
Vrije sector vrijstaand groot |
€ 4.472.013 |
€ ,- |
|
|
Eilandwoningen |
€ 6.722.614 |
€ ,- |
|
|
Geschakeld |
€ 5.339.610 |
€ ,- |
|
|
Opbrengstenstijging |
€ 1.542.182 |
€ ,- |
|
|
Totaal |
€ 43.870.354,- |
€ ,- |
0,00% |
5.8 Exploitatieopzet
5.8.1 Gewogen basiseenheden
Ten behoeve van het bepalen van de Exploitatiebijdrage worden de kosten omgeslagen over het programma. Conform de in de Wro voorgeschreven methode wordt het programma / uitgiftecategorieën omgezet in gewogen eenheden op basis van de grondprijzen zoals opgenomen in hoofdstuk 5.6 van deel B van dit Exploitatieplan. In dit Exploitatieplan is er sprake van meerdere categorieën Uitgeefbaar terrein. Dit betekent dat er sprake is van meerdere uitgiftecategorieën met meerdere wegingen.
In onderhavig geval is het totaal aantal basiseenheden = 34.072. Het aantal gewogen eenheden = 51.383. Onderstaand worden de verschillende uitgiftecategorieën met bijbehorende basiseenheden en gewogen eenheden weergegeven. Dit is te zien in tabel 9.
Tabel 9. Gewogen basiseenheden Exploitatieplangebied
|
Uitgiftecategorie |
Basiseenheden |
Gewichtsfactor |
Gewogen eenheden |
|
Vrije sector rijwoning klein |
3.841 |
2,30 |
8.836 |
|
Middeldure koop appartementen |
2.833 |
2,35 |
6.661 |
|
Vrije sector appartementen |
1.821 |
3,34 |
6.073 |
|
Vrije sector 2^1 kap middel |
3.249 |
1,47 |
4.776 |
|
Vrije sector 2^1 kap groot |
3.457 |
1,44 |
4.967 |
|
Vrije sector vrijstaand groot |
4.951 |
1,10 |
5.429 |
|
Eilandwoningen |
7.438 |
1,10 |
8.161 |
|
Geschakeld |
6.482 |
1,00 |
6.482 |
|
Totaal: |
34.072 |
|
51.383 |
5.8.2 Exploitatiebijdrage
Ingevolge de Wro mogen er niet meer kosten worden verhaald dan er aan opbrengsten binnenkomen (artikel 6.16 Wro). Als de totale kosten (netto contante waarde), minus eventuele bijdragen van derden en bijdragen van andere grondexploitaties, hoger zijn dan de geraamde opbrengsten (netto contante waarde), dan kunnen kosten worden verhaald tot maximaal het niveau van de grondopbrengsten. Dit is de zogenaamde macro-aftopping.
In het Exploitatieplangebied overstijgen de geraamde opbrengsten de geraamde kosten, op contante waarde. Derhalve is er geen sprake van macro-aftopping en zijn alle kosten te verhalen.
De te verhalen kosten worden gedeeld door het totaal van het aantal contant gewogen basiseenheden (artikel 6.18 lid 5 Wro), om de exploitatiebijdrage per gewogen basiseenheid te bepalen. Het resultaat is te zien in de onderstaande tabel.
Tabel 10. Bijdrage per gewogen eenheid
![i_NL.IMRO.0362.21CEX-VG01_667006.png [image]](i_NL.IMRO.0362.21CEX-VG01_667006.png)
5.8.3 Exploitatiebijdrage en omgevingsvergunning
De Exploitatiebijdrage wordt, conform artikel 6.19 Wro, bepaald door het bedrag per gewogen eenheid te vermenigvuldigen met de gewogen eenheden in de aanvraag omgevingsvergunning. De Exploitatiebijdrage is verschuldigd bij verlening van de Omgevingsvergunning.
De inbrengwaarde van de gronden en eventueel kosten die in verband met de exploitatie van de betreffende gronden door de aanvrager zijn gemaakt en in de Exploitatieopzet zijn opgenomen, worden op de bruto Exploitatiebijdrage in mindering gebracht.
In bijlage 8 is de bruto Exploitatiebijdragen voor het Exploitatieplangebied per grondeigenaar weergegeven, zoals deze voortkomen uit de Exploitatieopzet en de bepalingen vanuit artikel 6.18 en 6.19 Wro.
De netto / verschuldigde Exploitatiebijdrage zal op basis van de aangevraagde Omgevingsvergunning, het dan vigerende Exploitatieplan of een tussen de gemeente en grondeigenaar gesloten posterieure overeenkomst worden bepaald.
6 Herziening en afrekening
6.1 Jaarlijkse herziening
Nadat het Exploitatieplan onherroepelijk is geworden, wordt dit ten minste eenmaal per jaar herzien door de gemeente (artikel 6.15 Wro), totdat alle werken, werkzaamheden en bouwwerken, die voorzien zijn in het Exploitatieplan, zijn gerealiseerd. Tegen een herziening kan alleen bezwaar en beroep worden ingesteld als het een herziening betreft van structurele onderdelen.
Een structurele herziening betreft een wijziging anders dan de volgende gevallen:
Uitwerking en detaillering van ramingen van kosten en opbrengsten.
Aanpassing ramingen met inachtneming van de in het Exploitatieplan aangegeven methoden van indexering.
Vervanging van ramingen gemeentelijke kosten door gerealiseerde kosten.
Andere niet-structurele onderdelen.
Ad a.
Naarmate het planproces vordert, worden de ontwerpen steeds gedetailleerder. Het is dan bijvoorbeeld bekend welk soort straatsteen er wordt gebruikt en welke speeltoestellen worden geplaatst. De bedragen in de ramingen worden dan aangepast.
Ad b.
De kosten worden nu geraamd, maar pas in de toekomst gemaakt. Door marktontwikkelingen en prijsveranderingen veranderen deze kosten. Het is echter niet precies te voorspellen hoe de prijsontwikkeling in de komende jaren is.
Wanneer het Exploitatieplan wordt herzien, wordt op basis van de markt- en prijsontwikkelingen bepaald of de gehanteerde parameters nog overeenkomen met de dan geldende marktomstandigheden.
Ad c.
Tijdens de looptijd van het project worden daadwerkelijk kosten gemaakt. Ieder jaar wordt de exploitatieopzet bijgewerkt door ramingen te vervangen door boekwaardes (gerealiseerde kosten en opbrengsten).
Ad d.
Naast de voorgaande drie onderdelen kunnen er in het Exploitatieplan ook andere niet-structurele onderdelen worden gewijzigd. Daarbij kan worden gedacht aan het toevoegen van toelichtingen, verbeteren van teksten en dergelijke.
6.2 Eindafrekening
Aan het einde van de looptijd van de Exploitatieopzet vindt een eindafrekening van het Exploitatieplan plaats.
Binnen drie maanden na uitvoering van de werken, werkzaamheden en maatregelen, die voorzien zijn in het Exploitatieplan, stellen burgemeester en wethouders een afrekening van het Exploitatieplan vast (artikel 6.20 lid 1 Wro).
Daarbij worden de betaalde Exploitatiebijdragen herberekend volgens de methode van artikel 6.20 lid 2 Wro. Artikel 6.20 lid 3 Wro bepaalt dat, indien een herberekende Exploitatiebijdrage meer dan vijf procent lager is dan een betaalde exploitatiebijdrage, de gemeente het verschil, voor zover het verschil groter is dan vijf procent, naar evenredigheid met rente terugbetaalt aan degene die houder was van de Omgevingsvergunning (of aan diens rechtsopvolger).
Indien ten minste negentig procent van de in het Exploitatieplan begrote kosten is gerealiseerd, wordt op verzoek van degene die ten tijde van betaling van een Exploitatiebijdrage als bedoeld in artikel 6.17, eerste lid, houder was van de desbetreffende Omgevingsvergunning, of diens rechtsopvolger, met betrekking tot de desbetreffende Exploitatiebijdrage een afrekening opgesteld en gevolg gegeven aan het derde lid van artikel 6.20 Wro.
7 Rechtsbescherming Exploitatieplan
Op de voorbereiding van een exploitatieplan is de uniforme openbare voorbereidingsprocedure (UOV) van toepassing. Dit betekent dat het exploitatieplan zes weken ter inzage moet liggen en dat belanghebbenden gedurende deze periode van zes weken hun zienswijze bij de gemeente kunnen indienen.
De terinzagelegging moet vooraf worden aangekondigd in één of meerdere dag-, nieuws-, of huis-aan-huisbladen of op andere geschikte wijze. Daarnaast dient aan de eigenaren en rechthebbenden van gronden in het Exploitatieplangebied schriftelijk mede te worden gedeeld dat een exploitatieplan in voorbereiding is.
Het ontwerpexploitatieplan De Scheg Oost heeft ter inzage gelegen. Een aantal zienswijzen zijn ingediend en door de gemeente beantwoord. Met de vaststelling van dit Exploitatieplan wordt ook de Nota van beantwoording zienswijzen exploitatieplan vastgesteld.
Tegen een vastgesteld exploitatieplan kan beroep worden ingesteld door belanghebbenden. Het beroep tegen een exploitatieplan is hierbij gekoppeld aan het beroep tegen het bijbehorende ruimtelijke besluit. Voor het instellen en behandelen van beroep worden het besluit tot vaststellen van het ruimtelijke besluit en het besluit tot vaststellen van het exploitatieplan als één besluit gezien (op basis van artikel 8.3, lid 3, Wro). Bij een koppeling bestemmingsplan-exploitatieplan en wijzigingsplan-exploitatieplan staat er rechtstreeks beroep open bij de Afdeling bestuursrechtspraak van de Raad van State.