direct naar inhoud van Toelichting
Plan: Ontwikkeling 16 woningen Tesselmansgoed te Maasbree
Status: vastgesteld
Plantype: bestemmingsplan
IMRO-idn: NL.IMRO.1894.2014BPL0112-VG01

Toelichting

Hoofdstuk 1 Inleiding

1.1 Algemeen

In 2009 heeft de gemeenteraad van de voormalige gemeente Maasbree het bestemmingsplan ‘In Den Bosch fase II’ vastgesteld. Dit plan maakt onderdeel uit van het nieuwe woongebied In Den Bosch aan de noordwestzijde van de kern van Maasbree. Met het bestemmingsplan ‘In Den Bosch’ (fase I) is de ontwikkeling van het oostelijke deel van het woongebied mogelijk gemaakt. Het betrof de uitgifte van circa 114 woningen in de koopsector (vrijstaande kavels en projectbouw). Ook is reeds een deel van het plan In Den Bosch fase II uitgevoerd.

Het bestemmingsplan 'In Den Bosch fase II' is inmiddels opgenomen in het conserverende bestemmingsplan 'Kern Maasbree' (vastgesteld 25 juni 2013).

In het gebied Tesselmangoed zijn plannen om de vigerende bouwtitels, aan beide zijden van de weg, te effectueren. Het bestemmingplan Kern Maasbree staat op die locatie alleen maar woningen met een kap toe. In de nieuwe plannen zijn echter ook woningen met een andere kapvorm voorzien. De nieuwe plannen passen dus niet volledig binnen het vigerende bestemmingsplan.

Daarnaast is bij vaststelling van het bestemmingsplan 'In Den Bosch fase II' destijds ook een beeldkwaliteitsplan opgesteld. Het onderhavige gebied valt daarin binnen 'deelgebied G'.  Hierin wordt ook aangegeven dat de woningen van een kap moeten zijn voorzien. Voor onderhavig gebied dient dan ook een wijziging van het beeldkwaliteitplan plaats te vinden.

1.2 Plangebied

afbeelding "i_NL.IMRO.1894.2014BPL0112-VG01_0001.jpg"

Ligging plangebied op topografische ondergrond (bron: www.opentopo.nl)

De kern Maasbree ligt in het noorden van de gemeente Peel en Maas en ten noorden van de provinciale weg N275. Het plangebied is gelegen in het noordwesten van de kern Maasbree. Het betreft de nieuwe weg Tesselmansgoed met de aan weerszijden gelegen kavels. Het plangebied is kadastraal bekend gemeente Maasbree, sectie G, nummer 2891 (gedeeltelijk).

1.3 Doel

Het doel van dit bestemmingsplan is een planologisch-juridisch kader vast te leggen op basis waarvan de noodzakelijke omgevingsvergunningen voor de nieuwe woningen verleend kunnen worden.

Het bestemmingsplan 'Ontwikkeling 16 woningen Tesselmansgoed te Maasbree' voorziet in de benodigde ruimtelijke onderbouwing ten behoeve van de ontwikkeling, in de vorm van een toelichting. Aan bod komen onder andere:

  • beschrijving van de bestaande en toekomstige situatie;
  • toetsing aan het wettelijk en beleidskader;
  • onderzoek naar de actuele waarden en beperkingen met onder andere een toetsing aan milieuwetgeving en andere ruimtelijke wetgeving met betrekking tot bestaande of potentiële belemmeringen in de omgeving van het plangebied (archeologisch en cultuurhistorische waarden, natuurlijk en landschappelijke aspecten, waterparagraaf, bodemkwaliteit, luchtkwaliteit, geluidhinder, aanwezige leidingen, duurzaamheid, uitvoerbaarheid);
  • beschrijving van de bestemmingen;
  • procedure.

Naast deze toelichting omvat dit bestemmingsplan Regels en een verbeelding, opgesteld conform IMRO2012 en de SVBP2012. Hiermee wordt voldaan aan de eisen die de Wet ruimtelijke ordening (Wro) en de gemeente Peel en Maas stellen ten aanzien van bestemmingsplannen.

1.4 Geldend bestemmingsplan

Het plangebied ligt in het bestemmingsplan 'Kern Maasbree' dat door de gemeenteraad is vastgesteld op 25 juni 2013.

afbeelding "i_NL.IMRO.1894.2014BPL0112-VG01_0002.jpg"

Uitsnede vigerend bestemmingsplan

Het plangebied heeft de bestemming 'Wonen-1' en 'Verkeer'. Binnen de bestemming 'Wonen' mogen de gronden worden gebruikt voor wonen met daaraan ondergeschikt tuinen, erven en eventueel een beroep of bedrijf aan huis. Er is een bouwvlak opgenomen, waarbinnen de bebouwing moet worden opgericht en is een 'gevellijn' aangeduid waarin de voorgevel dient te worden gesitueerd. Op het bouwvlak aan de zuidzijde van de weg is de aanduiding 'specifieke bouwaanduiding kap - 1' opgenomen, wat betekent dat een kap met een dakhelling tussen 30° en 60°, exclusief lessenaarsdak is toegestaan. Op het bouwvlak aan de noordzijde van de weg is de aanduiding 'specifieke bouwaanduiding kap - 2' opgenomen, wat betekent dat een kap met dakhelling tussen 30° en 60°, inclusief lessenaarsdak is toegestaan. De woningen mogen een goothoogte van maximaal 6 meter hebben.

Op basis van het geldend bestemmingsplan zijn geen woningen met een plat dak mogelijk.

Binnen de bestemming 'Verkeer' zijn wegen, straten en paden met hoofdzakelijk een verkeersfunctie, voet- en rijwielpaden, parkeervoorzieningen, groenvoorzieningen (waaronder bermen en beplanting), nutsvoorzieningen, kunstwerken; waterlopen en waterpartijen (waaronder wadi's), vervoersvoorzieningen (zoals bushokjes/abri's), evenementen (onder bepaalde voorwaarden), terrassen, standplaatsen en boven- en/of ondergrondse waterhuishoudkundige voorzieningen toegestaan. Verder zijn in dit artikel bouwregels opgenomen voor deze voorzieningen. In de toekomstige situatie gelden voor de weg dezelfde regels. Voor de volledigheid wordt de weg wel meegenomen in onderhavig plangebied.

1.5 Geldend beeldkwaliteitplan

Voor het plangebied geldt het beeldkwaliteitplan 'In Den Bosch-II' (d.d. 18 juli 2008) waarin de gewenste beeldkwaliteit in het gebied en de gewenste uitstraling van de woningen zijn aangegeven. Bij de concrete planontwikkeling is gebleken dat net als in het bestemmingsplan ook in het beeldkwaliteitplan enige mate van flexibiliteit gewenst is. Zo was voor dit deelgebied vastgelegd dat de woningen van een kap moesten zijn voorzien. In de nieuwe, verder uitgewerkte plannen zijn ook woningen met een plat dak voorzien. Verder zijn in het stedenbouwkundig plan uit het geldend beeldkwaliteitplan aan dit deel van de weg Tesselmansgoed 14 woningen ingetekend. Bij een nadere verkaveling van het plangebied zijn 16 woningen opgenomen.

Om de nieuwe beeldkwaliteitscriteria vast te leggen is een nieuw beeldkwaliteitplan voor dit gebied opgesteld, waarin de gewenste flexibiliteit is opgenomen. Tegelijkertijd dient de gewenste uitstraling van het gehele woongebied niet uit het oog verloren te worden. Eén en ander is dan ook opgesteld in de geest van het beeldkwaliteitplan 'In Den Bosch-II' uit 2008.

Het nieuwe beeldkwaliteitplan is als bijlage bij dit bestemmingsplan opgenomen.

Hoofdstuk 2 Beschrijving bestaande situatie

2.1 Ontstaansgeschiedenis

Maasbree was vroeger een heerlijkheid en kende een kasteel genaamd Huis Bree, dat inmiddels verdwenen is. Op deze plek staat nu de boerderij De Plaats. Tot de voormalige gemeente Maasbree behoorde Baarlo en tot 1940 ook Blerick.

 

Het dorp Bree (later Maasbree) wordt voor de eerste keer genoemd in een akte uit het jaar 1240 waarbij Diederik, Heer van Altena, rechten schonk aan de monniken van het pas gestichte klooster St. Elisabethsdal bij Nunhem. Ook in Bree had heer Diederik bepaalde rechten die hij aan de kloosterlingen gaf. Uit de akte blijkt dus duidelijk dat Bree in 1240 bestond als gemeenschap en dat er een kerk was. De kloosterlingen van St. Elisabethsdal hebben van deze rechten gebruik gemaakt tot ze in 1797 door de Fransen verdreven werden.

 

Bij de oostgrens van het dorp, in het gebied waar nu boerderij De Plaats ligt, stond voorheen een Riddermatig Huis, het Huis Bree geheten. Dit Huis is hoogstwaarschijnlijk in handen geweest van de familie Van Brede.

Aan de westkant van Bree lag Huis Westering, tegenwoordig Westeringlaan 69. Oorspronkelijk was dit een boerenhofstede, waarvan blijkens een akte uit 1451 een tak van de familie Van Brede eigenaar was. In de laatste oorlogsdagen van 1944 werd dit pand door Engelse granaten tot puin geschoten.

afbeelding "i_NL.IMRO.1894.2014BPL0112-VG01_0003.png"

Historische kaart Maasbree en omgeving 1837-1844

Op de topografische kaart van de situatie verkend in1837-1844 is aangegeven dat Maasbree 2.033 inwoners en 708 huizen telde. Maasbree is dan ook gekarakteriseerd als een ‘groot dorp’.

Duidelijk te zien is de historische wegenstructuur rondom de kerk met de nog bestaande doorgaande wegen richting Baarlo en Blerick (de huidige wegen Dorpstraat en Baarlosestraat). Rondom Maasbree waren verschillende buitenplaatsen aanwezig.

Maasbree werd in noordelijke richting hoofdzakelijk omgeven door bouwland en in zuidelijke richting door weilanden.

2.2 Bestaande situatie

afbeelding "i_NL.IMRO.1894.2014BPL0112-VG01_0004.jpg"

Luchtfoto directe omgeving plangebied

Het plangebied maakt onderdeel uit van het nieuwe woongebied 'In den Bosch fase II’. In het woongebied worden in totaal 118 woningen gerealiseerd en is in stedenbouwkundig opzicht een vervolg op de reeds gerealiseerde eerste fase 'In den Bosch fase I'.

Door de gemeente Peel en Maas, Janssen de Jong Projectontwikkeling en Wonen Limburg zijn en worden in deze nieuwe wijk van Maasbree diverse typen woningen ontwikkeld, zoals starterswoningen, levensloopbestendige woningen en vrije kavels. De ontwikkeling van de nieuwe woonwijk is in volle gang. Een aantal woningen zijn reeds gebouwd en de wegen- en groenstructuur zijn voor een groot deel al aangelegd.

Het plangebied zelf is momenteel braakliggend. De weg is al aangelegd ter ontsluiting van de reeds gebouwde woningen aan de westzijde van de weg Tesselmansgoed.

Hoofdstuk 3 Beleidskader

3.1 Algemeen: Rijks-, provinciaal, regionaal en gemeentelijk beleid

Voor wat betreft het beleidskader wordt verwezen naar het bestemmingsplan ‘Kern Maasbree’ uit 2013, waarin het bestemmingsplan 'In Den Bosch - Fase II', dat de nieuwbouwwijk mogelijk maakt, is geïntegreerd. In het bestemmingsplan voor de kern Maasbree is dit project opnieuw planologisch-juridisch vastgelegd. Hierbij zijn voor de nog onbebouwde gronden de reeds vigerende bouw- en gebruiksmogelijkheden opgenomen.

Het geldend rijks-, provinciaal, regionaal en gemeentelijk beleid doet geen uitspraken over de realisatie van een stedenbouwkundig plan op kavelniveau en de kapvorm van bebouwing.

Inmiddels is het nieuwe POL 2014 (Provinciaal Omgevingsplan Limburg) vastgesteld. Het plan is op 16 januari 2015 in werking getreden, maar heeft geen invloed op onderhavig planvoornemen omdat het om een bestaande plancapaciteit gaat.

Hoofdstuk 4 Planbeschrijving

4.1 Doelstellingen en uitgangspunten

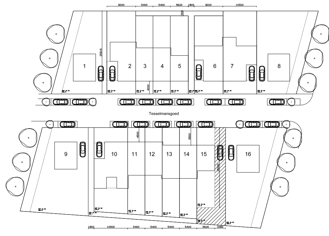
afbeelding "i_NL.IMRO.1894.2014BPL0112-VG01_0005.png"

Verkavelingsopzet Tesselmansgoed

Onderhavig planvoornemen gaat uit van de realisatie van in totaal 16 woningen. Aan de noordzijde van de weg Tesselmansgoed worden 2 vrijstaande hoekwoningen, 2 halfvrijstaande woningen en 5 aaneengesloten woningen gerealiseerd. Aan de zuidzijde komen 2 vrijstaande hoekwoningen en 6 aaneengesloten woningen.

Bij de (half)vrijstaande is ruimte aanwezig voor parkeren op eigen terrein. Verder is er parkeergelegenheid in de openbare ruimte aan weerszijden van de weg (zie ook onder 5.7.2).

4.2 Uitgelicht

afbeelding "i_NL.IMRO.1894.2014BPL0112-VG01_0006.jpg"

Ligging plangebied binnen verkavelingsopzet Tesselmansgoed

Woongebied ‘In Den Bosch - Fase II’ grenst aan de Molenstraat en de Tongerveldweg en ligt aan de rand van het dorp, op de overgang naar het agrarisch buitengebied. Het woongebied wordt gedeeltelijk omsloten door de bebouwing van fase I. Het gebied kenmerkt zich als een woongebied met een rustig en groen karakter. Dit wordt benadrukt door de ontsluiting van het gebied en de groene spieën tussen de deelgebieden. De groene spieën zorgen voor een open relatie naar het noordelijk gelegen buitengebied en landschap.

In het woongebied is de noordzuidrichting bepalend voor de groenstructuur. Dit is de richting van de percelen en landschapselementen op de landschappelijke onderlegger.

Met de groene segmentering als uitgangspunt, worden in het gebied achter het lint verschillende woonmilieus onderscheiden. Aan de groene spieën wordt ‘statig wonen aan het open groen’ nagestreefd. Een bebouwingswand met in ieder geval één uniform element. Enkele van deze wanden zijn gelegen achter een bomenrij. Centraal in het gebied wordt het intieme milieu van ‘wonen in een groene kamer’ ontwikkeld. Kleine introverte, ruimtelijke eenheden die doorbroken worden door bomenrijen en haagjes. Elke ‘kamer’ krijgt een eigen woonsfeer, waardoor alle kamers verschillend zijn.

De kamer waarbinnen het plangebied ligt kent volgens de oorspronkelijke plannen de karakteristieke sfeer van de jaren ’30. Deze sfeer blijft ook in het nieuwe plan gehandhaafd. Op detailniveau vinden enkele wijzigingen plaats.

afbeelding "i_NL.IMRO.1894.2014BPL0112-VG01_0007.png"

Gevelbeelden tussengelegen woningen

Om de woningen in de De volgende uitgangspunten gelden:

  • Elke woning kent zijn individuele expressie. Tegelijkertijd is er sprake van een voldoende samenhangend geheel.
  • Vier hoekwoningen conform bestaande beeldkwaliteitsplan met als uitzondering:
    • 1. een zadel- of een tentdak is toegestaan.
  • De tussengelegen woningen (2x 6 stuks) hebben:
    • 1. Een voldoende rijke detaillering bestaande uit goede metselwerkdetails bij o.a. gevelopeningen en dakrand. Elke woning is verschillend.
    • 2. Samenhang zit in een familie van rood-bruine bakstenen.
    • 3. Individuele expressie in de gevelindeling en een verspringende dakrand maar ook in de keuze van baksteen binnen de familie.
    • 4. De kappen hebben allen een zelfde volumeopbouw (afgeknot tentdak met bepaalde bouwhoogte en bepaalde hellingshoek) maar het materiaal kan verschillen. Ook kunnen er zich verschillende opties in het dak voordoen zoals een loggia, dakterrasje, dakraam, enzovoort mits deze ondergeschikt zijn aan de hoofdvorm van het dak.
    • 5. Groene erfafscheidingen aan de voorzijde en minimaal per 2 woningen een boom in de voortuin.

Deze uitgangspunten zijn verwerkt in het nieuwe bestemmingsplan en beeldkwaliteitplan.

De nieuwe gewenste kapvormen passen binnen de kenmerken van de jaren '30 bouwstijl. Het afgeknotte tentdak met de stijle dakhelling (75o) is één van de kapvormen die worden toegepast binnen deze bouwstijl. Bijkomend voordeel is dat op deze manier ook meer gebruiksruimte in de kap ontstaat voor de toekomstige bewoners, waardoor invulling wordt gegeven aan de hedendaagse woonwensen. Doordat de woningen niet hoger dan 9 meter mogen zijn, sluiten deze aan bij de andere (te realiseren) woningen in het nieuwe woongebied die eenzelfde bouwhoogte hebben.

Hoofdstuk 5 Randvoorwaarden / resultaten onderzoeken

5.1 Inleiding

Op grond van het bepaalde in het Besluit ruimtelijke ordening (Bro) is het bij het opstellen van een herziening van het bestemmingsplan verplicht om inzicht te bieden in de relevante milieuhygiënische en planologische aspecten. Omdat de herziening maar een ondergeschikt deel van het bestemmingsplan 'Kern Maasbree' en het daarvoor geldende bestemmingsplan 'In Den Bosch - Fase II' betreft, dient navolgende verantwoording ter aanvulling van de reeds voor deze bestemmingsplannen uitgevoerde onderzoeken.

5.2 Milieu

5.2.1 Bodem

Op basis van artikel 3.1.6 Besluit ruimtelijke ordening zijn gemeenten verplicht om in de toelichting een paragraaf over de bodemkwaliteit op te nemen. In deze paragraaf dient gemotiveerd te worden of de aanwezige bodemkwaliteit past bij het toekomstige gebruik van de bodem. Uitgangspunt van een goede ruimtelijke ordening is dat de bodemkwaliteit geschikt is voor de beoogde bestemming en de daarin toegestane gebruiksvormen.

Met onderhavig planvoornemen worden de bestemming en de toegestane gebruiksvormen niet gewijzigd. Het gaat enkel om een nadere uitwerking van de verkaveling en meer flexibiliteit in kapvorm. Derhalve is een onderzoek naar de bodemkwaliteit niet noodzakelijk.

5.2.2 Geluid
5.2.2.1 Wegverkeerslawaai

Akoestisch onderzoek is noodzakelijk indien nieuwe directe geluidgevoelige ontwikkelingen worden toegestaan binnen de onderzoekszone van de wegen waarvoor een maximumsnelheid van 50 km-uur of meer geldt.

Voor wegen die deel (gaan) uitmaken van een 30 km-gebied geldt dat akoestisch onderzoek in principe niet uitgevoerd hoeft te worden. De voorkeursgrenswaarde van 48 dB mag aan de gevel van geluidsgevoelige objecten echter niet overschreden worden.

In het kader van het bestemmingsplan 'In Den Bosch - Fase II' is een akoestisch onderzoek uitgevoerd. De conclusie van dit onderzoek luidde dat de geluidsbelasting enkel ter plaatse van vier woningen aan de Molenstraat hoger is dan de voorkeursgrenswaarde van 48 dB. Dit akoestisch onderzoek kan nog als actueel worden beschouwd aangezien er geen relevante wijzigingen in de verkeersintensiteiten hebben plaats gevonden en de woningen in onderhavig plangebied op (nagenoeg) gelijke afstand qua voorgevel ten opzichte van de weg zijn gesitueerd.

Aangezien de nieuwe woningen worden opgericht aan een relatief rustige woonstraat in een 30 km-gebied, mag worden aangenomen dat bij deze nieuw te bouwen woningen een goed woon- en leefklimaat kan worden gegarandeerd.

5.2.2.2 Railverkeerslawaai

Het plangebied is gelegen buiten de onderzoekszone van de meest nabij gelegen spoorlijn Venlo – Eindhoven. Een onderzoek naar railverkeerslawaai is in het kader van dit bestemmingsplan dan ook niet aan de orde.

5.2.2.3 Industrielawaai

Het plangebied is niet gelegen binnen de geluidzone van een gezoneerd industrieterrein. Een akoestisch onderzoek in dit kader is derhalve verder niet aan de orde.

5.2.3 Luchtkwaliteit

In hoofdstuk 5 van de Wet milieubeheer, de zogenaamde 'Wet luchtkwaliteit', wordt toetsing van besluiten aan luchtkwaliteitsnormen in beginsel beperkt tot activiteiten die de luchtkwaliteit 'in betekenende mate' beïnvloeden. Pas als een planvoornemen uitgaat van de realisatie van 1.500 woningen bij één ontsluitingsweg of 3.000 woningen bij twee ontsluitingswegen, zal een plan mogelijk in betekende mate bijdragen aan de luchtverontreiniging van de omgeving. Onderhavig bestemmingsplan heeft betrekking op het toestaan van een andere kapvorm en een gedetailleerdere verkaveling. Concreet worden er nu 16 woningen gerealiseerd in plaats van de voorgenomen 14 woningen (dit maximum aantal woningen is overigens niet vastgelegd in het geldend bestemmingsplan). Aangenomen mag worden dat luchtkwaliteit dan ook geen belemmering vormt voor de realisatie van het plan.

5.2.4 Externe veiligheid

Bij externe veiligheid gaat het om het beheersen van de veiligheid van personen in de omgeving van activiteiten met gevaarlijke stoffen. Het vigerende beleid is vastgelegd in het Besluit externe veiligheid inrichtingen. De risico’s mogen een bepaald niveau niet te boven gaan. In het externe veiligheidsbeleid staan twee doelen centraal: de bescherming van

individuen tegen de kans op overlijden als gevolg van een ongeluk, en de bescherming van de samenleving tegen het ontwrichtende effect van een ramp met een groter aantal slachtoffers; respectievelijk het plaatsgebonden risico (PR) en het groepsrisico (GR). Het plaatsgebonden risico van een bepaalde activiteit is de kans per jaar op een bepaalde plaats, dat een continu daar aanwezig gedacht persoon die onbeschermd is, komt te overlijden als gevolg van een mogelijk ongeluk met die activiteit. Het groepsrisico is de kans per jaar dat in één keer een groep mensen van een bepaalde omvang komt te overlijden bij een ongeval met gevaarlijke stoffen.

Op basis van de risicokaart (www.risicokaart.nl) is gebleken dat er in de directe omgeving van het plangebied geen inrichtingen (bedrijven) zijn waar gewerkt wordt met gevaarlijke stoffen. Ook zijn geen transportroutes aanwezig die de ontwikkeling van het plan kunnen belemmeren.

Zowel ten aanzien van het Plaatsgebonden Risico als het Groepsrisico zijn derhalve geen belemmeringen aanwezig die een belemmering vormen voor het plan.

5.2.5 Milieuzonering

In het kader van ruimtelijke plannen dient volgens de Handreiking Ruimtelijke Plannen van de gemeente beschreven te worden op welke wijze de VNG-brochure ‘Bedrijven en milieuzonering’ is toegepast (editie 2009). In deze VNG-brochure worden richtlijnen gehanteerd die een zekere noodzakelijke afstand tussen (agrarische) bedrijven en woonbebouwing aangeven. Deze afstand (zonering) wordt bepaald door enerzijds de aard van het bedrijf en anderzijds door het karakter van zijn omgeving.

De richtafstanden zijn niet wettelijk voorgeschreven. De richtafstandenlijsten gaan uit van gemiddeld moderne bedrijven en zijn geschreven voor nieuwe situaties. Indien bekend is welke activiteiten concreet beoogd worden, dan kan gemotiveerd worden afgeweken van de daadwerkelijke te verwachten milieubelasting (in plaats van de richtafstanden). Voor bestaande bedrijven geldt allereerst de geldende omgevingsvergunning of de richtlijnen uit de geldende Algemene Maatregel van Bestuur (AMvB).

De gemeente Peel en Maas ligt in een concentratiegebied. Uit de vastgestelde Structuurvisie Intensieve veehouderij en glastuinbouw buitengebied gemeente Peel en Maas (d.d. 7 december 2011) blijkt dat in het kernrandgebied van Maasbree (aan de Korte Heide) enkele intensieve veehouderijen aanwezig zijn. De geurzone van deze veehouderijen ligt over het noorden van de uitbreidingswijk In den Bosch fase II. Onderhavig plangebied ligt hier echter buiten.

Het planvoornemen is gelegen in een gebied dat op basis van de VNG-brochure mag worden getypeerd als rustige woonwijk. Naast woningen komen in de omgeving vrijwel geen andere functies voor. Geconcludeerd wordt dat vanuit bedrijven en milieuzonering geen nadere voorwaarden van toepassing zijn op het plangebied.

5.3 Kabels, leidingen en straalpaden

Binnen het plangebied zijn geen straalpaden, boven- of ondergrondse hoofdtransportleidingen gelegen, die planologische bescherming dan wel zonering behoeven, om hun functioneren veilig te stellen.

5.4 Flora en fauna

Ruimtelijke plannen dienen te worden beoordeeld op de uitvoerbaarheid in relatie tot actuele natuurwetgeving, met name de Natuurbeschermingswet 1998 en de Flora- en faunawet. Er mogen geen ontwikkelingen plaatsvinden die op onoverkomelijke bezwaren stuiten door effecten op beschermde natuurgebieden en/of flora en fauna.

Het plangebied is inmiddels bouwrijp gemaakt en wordt regelmatig onderhouden door het te maaien. Bovendien is de weg Tesselmansgoed ook al aangelegd. Ontwikkeling van nieuwe natuurwaarden is daarom uitgesloten.

5.5 Waterhuishouding

Voor wat de opvang van regenwater betreft geldt dat de ondergrond bestaat uit zandgrond die uitermate geschikt is voor de infiltratie van hemelwater. Binnen het woongebied 'In Den Bosch fase II' wordt dan ook infiltratie van regenwater nagestreefd.

Voor onderhavig plangebied wordt aangesloten bij het woongebied 'In Den Bosch fase II':

  • Regenwater dat op dakvlakken van particuliere kavels valt, wordt op het perceel via een particuliere infiltratievoorziening geïnfiltreerd. Regenwater dat terechtkomt op (openbare) verhardingen stroomt zoveel mogelijk oppervlakkig af naar ondergrondse infiltratievoorzieningen en de bestaande infiltratievelden. Afgestemd op de huidige afwateringsrichting worden de infiltratieriolen gesitueerd in de groene spieën. Er wordt voorzien in een aansluiting op de reeds aangebrachte voorzieningen in de vorige fase. De voorzieningen passen uitstekend binnen de na te streven open inrichting van het groen.

5.6 Archeologie en cultuurhistorie

5.6.1 Archeologie

Sinds de inwerkingtreding van de Wet op de archeologische monumentenzorg (Wamz) per 1 september 2007 is de gemeente verantwoordelijk voor het archeologiebeleid en heeft de provincie zich hiervan teruggetrokken. De gemeente Peel en Maas heeft dan ook stappen ondernomen om een eigen archeologiebeleid op te zetten. Op 28 juni 2011 heeft de gemeenteraad van Peel en Maas het gemeentelijke archeologiebeleid en de beleidskaart archeologie vastgesteld.

Dit beleid doet echter niets af aan de resultaten van het reeds uitgevoerde archeologisch onderzoek in het kader van het bestemmingsplan ‘In Den Bosch - Fase II’. Binnen het plangebied van dat bestemmingsplan is één archeologische vindplaats vastgesteld. Hier zijn archeologische resten uit de prehistorie aangetroffen. In het onderzoeksrapport worden met betrekking tot vindplaats enkele aanbevelingen gedaan. Allereerst moet onderzocht worden of het mogelijk is de vindplaatsen fysiek te beschermen. Wanneer dit niet mogelijk blijkt, moet er een archeologisch vervolgonderzoek plaatsvinden om een duidelijkere waardering aan de vindplaatsen te kunnen geven.

In augustus 2000 heeft aansluitend een Aanvullend Archeologisch Onderzoek (AAO) plaatsgevonden. Bij dit onderzoek zijn enkele grondsporen onder een oude akkerlaag gedocumenteerd. De sporen zouden de periferie van een nederzettingsterrein uit de IJzertijd of Romeinse tijd weer kunnen geven en kunnen duiden op de nabijheid van één of meerdere huisplaatsen in de directe omgeving.

Het AAO heeft geen gegevens opgeleverd waarmee een hogere archeologische verwachtingskans in een bepaalde richting aangegeven zou kunnen worden. Om die reden is in het bestemmingsplan “In den Bosch fase II” destijds het gebied ook vrijgegeven. Mochten er toch bij graafwerkzaamheden vondsten worden aangetroffen, geldt op grond van de Monumentenwet 1988 een meldingsplicht.

Inmiddels zijn de gronden binnen onderhavig plangebied geroerd door het bouwrijp maken. Met de bouw van de nieuwe woningen zijn dan ook geen archeologische waarden in het geding.

5.6.2 Cultuurhistorie

Het plangebied is niet gelegen binnen een beschermd stads- of dorpsgezicht. In het plangebied zijn geen rijks- en of gemeentelijke monumenten aanwezig welke een verdergaande planologische bescherming verdienen. Verder wordt met voorliggend plan geen aanpassingen gedaan aan cultuurhistorisch waardevolle structuren. Onderhavig planvoornemen betreft de nadere uitwerking van de ontwikkeling van een nieuw woongebied. Door het planvoornemen gaan derhalve geen belangrijke cultuurhistorische waarden verloren.

5.7 Verkeer en parkeren

afbeelding "i_NL.IMRO.1894.2014BPL0112-VG01_0008.png"

Verkeersstructuur voor gemotoriseerd en langzaam verkeer

5.7.1 Ontsluiting

Het nieuwe woongebied heeft twee aansluitingen voor gemotoriseerd verkeer ter plaatse van de Molenstraat en de Boschlaan en twee voor langzaam verkeersroutes bij de Molenstraat en Tongerveldweg. Vanuit de oostzijde wordt aangesloten op de Vlasbemt. De nieuwe woningen in het plangebied zijn gelegen aan de weg Tesselmansgoed. Deze weg is één van de drie woonstraten in oost-westrichting, die aansluiten op de ontsluitingwegen in noord-zuidrichting.

De ontsluiting van het plangebied wijzigt niet ten opzichte van de bestaande situatie.

5.7.2 Parkeren

Voor wat betreft het parkeren geldt dat dit voor de vrijstaande en halfvrijstaande woningen plaatsvindt op eigen terrein. Voor de geschakelde woningen wordt deels voorzien in parkeerplaatsen in de openbare ruimte en deels op eigen terrein.

In het vorige verkavelingsplan was rekening gehouden met een parkeernorm van 1,7 parkeerplaats per woning voor 14 woningen. Dit betreft nu 1,7 parkeerplaatsen per woning voor 16 woningen. Voor de 16 geprojecteerde woningen zijn dus 27,2 parkeerplaatsen nodig. In totaal worden op eigen terrein 9 parkeerplaatsen en in het openbare gebied 17 parkeerplaatsen gerealiseerd. In totaal zijn 26 parkeerplaatsen beschikbaar. Dit betekent een tekort van 1,2 parkeerplaats.

In de directe omgeving van het plangebied is hiervoor in de openbare ruimte voldoende ruimte aanwezig. Hierin kan het tekort van 1,2 parkeerplaats worden opgevangen.

5.8 Economische uitvoerbaarheid

Met de inwerkingtreding van de Wro op 1 juli 2008 rust op de gemeente op grond van artikel 6.12 lid 1 van die wet de verplichting tot kostenverhaal bij grondexploitatie. Deze verplichting houdt in dat als de gemeente er bij een ruimtelijke ontwikkeling niet in slaagt met alle particuliere eigenaren in het gebied een overeenkomst te sluiten over grondexploitatie, de gemeente publiekrechtelijk de kosten moet verhalen bij alle eigenaren waarmee niet gecontracteerd is. Gemaakte kosten (limitatief opgesomd in artikelen 6.2.3 tot en met 6.2.5. van het Bro) zoals grondverwervingskosten, plankosten, onderzoekskosten, kosten van inrichting van de openbare ruimte etc. moeten dan verhaald worden door middel van een exploitatieplan dat gelijktijdig met het bestemmingsplan, wijzigingsplan of projectbesluit moet worden vastgesteld.

De toepassing voor het afdwingbare kostenverhaal richt zich op bouwplannen. De definitie van wat onder een bouwplan wordt verstaan is opgenomen in artikel 6.2.1 Bro (o.a. bouw van één of meer woningen, bouw van één of meer hoofdgebouwen, bouw van kassen met een oppervlakte van ten minste 1.000 m2).

In het kader van het bestemmingsplan 'In Den Bosch - Fase II' is reeds de economische uitvoerbaarheid aangetoond. Er is een exploitatieopzet opgesteld, welke jaarlijks wordt geactualiseerd. De gronden zijn in eigendom van de gemeente zelf. Er is een koop-realisatieovereenkomst gesloten met de ontwikkelende en realiserende partij waardoor er sprake is van de aankoop van bouwrijpe gronden.

Hoofdstuk 6 Juridische aspecten

6.1 Inleiding

Het wettelijk kader voor de inhoud en de vaststellingsprocedure van een bestemmingsplan wordt sinds 1 juli 2008 gevormd door de Wet ruimtelijke ordening (Wro) en is verder ingevuld door het Besluit ruimtelijke ordening (Bro) en de Regeling standaarden ruimtelijke ordening (Rsro). De Wro, het Bro en de Rsro bevatten regels ten aanzien van de (digitale) vormgeving, inhoud en raadpleegbaarheid van bestemmingsplannen, met als doel bestemmingsplannen uniform vergelijkbaar en uitwisselbaar te maken.

Een bestemmingsplan bestaat in elk geval uit een verbeelding (plankaart) en planregels, die samen het juridisch deel van het bestemmingsplan vormen. Daarnaast gaat het bestemmingsplan vergezeld van een toelichting (zoals onderhavige toelichting), die voorziet in de motivatie en onderbouwing van en de toelichting op de keuzes die zijn gemaakt om te komen tot de verbeelding en regels.

6.2 Toelichting op de verbeelding

De analoge verbeelding is getekend op een digitale kadastrale ondergrond, schaal 1:1000. Op de analoge verbeelding wordt door nadere aanduidingen specifieke informatie weergegeven, zoals bouwvlak, gevellijn en specifieke bouwaanduidingen.

6.3 Toelichting op de regels

Bij het opstellen van de regels is uitgegaan van het rapport Standaard Vergelijkbare BestemmingsPlannen 2012 (SVBP 2012), de Handreiking Ruimtelijke plannen gemeente Peel en Maas en de Standaardregels bestemmingsplannen kernen (mei 2011).

 

De regels zijn verdeeld in 4 hoofdstukken, te weten:

Hoofdstuk 1: Inleidende regels met daarin de begrippen en de wijze van meten;

Hoofdstuk 2: Bestemmingsregels. Hierin worden de regels voor de op de verbeelding opgenomen bestemmingen gegeven;

Hoofdstuk 3: Algemene regels, waaronder zijn opgenomen de anti-dubbeltelregel, algemene bouwregels en algemene wijzigings- en procedureregels;

Hoofdstuk 4: Overgangs- en slotregels, waarin het overgangsrecht en de slotregel zijn opgenomen.

 

Het belangrijkste doel van de planregels is om de bouw- en gebruiksregels van de bestemmingen aan te geven.

6.4 Inleidende regels

Artikel 1 Begrippen:

In dit artikel zijn bepalingen (begrippen) opgenomen welke in het algemeen spraakgebruik onvoldoende vastliggen en waarbij verschillen in interpretatie bij toepassing van de planregels mogelijk zijn. Voor het gemak zijn enkele begrippen uit de Woningwet/ Bouwverordening/Wabo overgenomen. Verder zijn enkele begrippen afkomstig van de SVBP 2012.

 

Artikel 2 Wijze van meten:

Hierin wordt aangegeven op welke manier hoogte, lengte, breedte, inhoud en oppervlakte van bouwwerken/percelen gemeten moeten worden. Bij de wijze van meten zijn de bindende regels uit het SVBP 2012 overgenomen, aangevuld met een aanvullende wijze van meten.

6.5 Bestemmingsregels

De regels van een bestemming worden als volgt opgebouwd en benoemd:

  • 1. Bestemmingsomschrijving
  • 2. Bouwregels
  • 3. Nadere eisen
  • 4. Afwijken van de bouwregels
  • 5. Specifieke gebruiksregels
  • 6. Afwijken van de gebruiksregels
  • 7. Omgevingsvergunning voor het uitvoeren van werken, geen bouwwerk zijnde, of van werkzaamheden
  • 8. Omgevingsvergunning voor het slopen van een bouwwerk
  • 9. Wijzigingsbevoegdheid

Duidelijk zal zijn dat een bestemming niet alle elementen hoeft te bevatten. Dit kan per bestemming verschillen.

In de bestemmingsomschrijving wordt een omschrijving gegeven van de aan de gronden toegekende functies. Als eerste wordt de hoofdfunctie aangegeven. Indien nodig worden vervolgens de andere aan de grond toegekende functies genoemd.

 

In de bouwregels wordt bepaald aan welke voorwaarden de bebouwing moet voldoen. Voor zover nodig wordt een onderscheid gemaakt in woningen, bijbehorende bouwwerken en bouwwerken, geen gebouwen zijnde, waardoor de toetsing van aanvragen voor een omgevingsvergunning voor het bouwen aanmerkelijk vereenvoudigd en inzichtelijker is.

In het onderstaande worden de regels van de opgenomen bestemmingen nader toegelicht.

Artikel 3 Verkeer:

Voor de weg Tesselmansgoed is, overeenkomstig de omliggende wegen en het geldend bestemmingsplan, de bestemming ‘Verkeer‘ opgenomen. Binnen deze bestemming zijn naast de verkeersfunctie benodigde bouwwerken tevens groenvoorzieningen, terrassen, kunstwerken en parkeervoorzieningen toegestaan.

Er mag binnen de bestemming ‘Verkeer’ enkel worden gebouwd ten behoeve van nutsvoorzieningen en openbaar vervoer voorzieningen. Bouwwerken, geen gebouw zijnde ten behoeve van jongerenontmoetingsplaatsen en overkappingen zijn niet toegestaan. Voor het bouwen van bouwwerken, geen gebouw zijnde, ten behoeve van terrassen is een afwijkingsbevoegdheid opgenomen.

Binnen de bestemming ‘Verkeer’ zijn evenementen rechtstreeks toegestaan voor de duur van maximaal 10 aaneengesloten dagen, inclusief op- en afbouw.

 

De voor ‘Verkeer’ bestemde gronden mogen niet worden gebruikt voor kamperen, het plaatsen van onderkomens en/ of kampeermiddelen, van al dan niet afgedankte voer- en vaartuigen, van wagens en materialen, voor evenementen, anders dan rechtstreeks toegestaan, voor het beproeven van en/ of racen met voertuigen, al dan niet in wedstrijdverband en voor buitenopslag.

Artikel 4 Wonen:

Binnen de woonbestemming zijn naast het wonen zelf, onder voorwaarden ook aan huis gebonden beroepen en kleinschalige aan huis gebonden bedrijven rechtstreeks toelaatbaar. Bewoning van vrijstaande bijbehorende bouwwerken is uitgesloten. Het gebruik van de woning voor een kamerverhuurbedrijf, mantelzorg en inwoning of bed&breakfast zijn alleen middels een omgevingsvergunning voor het afwijken van het bestemmingsplan toegestaan. Evenementen zijn rechtstreeks toegestaan voor de duur van maximaal drie aaneengesloten dagen per evenement, inclusief op- en afbouw.

Hoofdgebouwen mogen uitsluitend binnen het bouwvlak worden opgericht. De voorgevel van een hoofdgebouw dient te worden gebouwd in de voorgevelrooilijn (aanduiding 'gevellijn'). Voor de hoekwoningen (specifieke bouwaanduiding - 1) en de tussengelegen woningen (specifieke bouwaanduiding - 2) zijn aanduidingen opgenomen waaraan bepaalde bouwregels zijn gekoppeld (goot-, bouwhoogte, diepte, kapvorm).

De hoekwoningen hebben een maximale goothoogte van 6 meter (= 2 bouwlagen) en worden voorzien van een tentdak of zadeldak. De bouwdiepte van het hoofdgebouw bedraagt maximaal 15 meter. Het hoofdgebouw dient aan beide zijden op 3 meter afstand van de perceelsgrens te liggen.

De tussengelegen woningen kunnen zijn opgebouwd uit 1 of 2 bouwlagen. Bij 2 bouwlagen geldt een goothoogte van 7 meter en een bouwhoogte van 9 meter. Bij 1 bouwlaag bedraagt de bouwhoogte maximaal 7 meter. De woningen worden voorzien van een afgeknot tentdak, waarbij de bouwdiepte van de kap 6 of 8 meter bedraagt. De bouwdiepte van het hoofdgebouw bedraagt maximaal 15 meter.

In totaal mogen binnen het plangebied maximaal 16 woningen worden gebouwd.

Voor wat betreft de situering en oppervlakte van bijbehorende bouwwerken geldt dat deze ook alleen binnen het bouwvlak mogen worden opgericht. Per bouwperceel bedraagt de totale oppervlakte van bijbehorende bouwwerken in het achtererfgebied bedraagt maximaal 120 m², met dien verstande dat maximaal 75% van het bouwvlak mag worden bebouwd (hoofdgebouw + bijbehorende bouwwerken).

6.6 Algemene regels

Artikel 5 Anti-dubbeltelregel:

In dit artikel wordt bepaald dat grond die eenmaal in aanmerking is genomen bij het toestaan van een bouwplan waaraan uitvoering is gegeven of alsnog kan worden gegeven, deze bij de beoordeling van latere plannen buiten beschouwing blijft. Het nog overgebleven terrein mag dus niet nog eens meegenomen worden bij het toestaan van een ander bouwwerk.

 

Artikel 6 Algemene bouwregels:

In de Algemene bouwregels is een bepaling met betrekking tot ondergronds bouwen, ondergeschikte bouwdelen en een regeling over bestaande maten en afstanden opgenomen.

 

Artikel 7 Algemene gebruiksregels:

In de Algemene gebruiksregels is een algemeen gebruiksverbod opgenomen en is het strijdig gebruik benoemd.

 

Artikel 8 Algemene wijzigingsregels:

De Algemene wijzigingsregels verschaffen het bevoegd gezag de gewenste beleidsruimte om bij de uitvoering van het plan te kunnen inspelen op gegevens of situaties die vooraf niet bekend kunnen zijn.

6.7 Overgangs- en slotregels

Artikel 9 Overgangsrecht:

Hierin is geregeld in hoeverre en onder welke voorwaarden bestaande gebouwen en het bestaand gebruik van gronden en bouwwerken mogen afwijken van het plan.

Artikel 10 Slotregel:

In de Slotregel is aangegeven op welke wijze de regels van het bestemmingsplan kunnen worden aangehaald.

Hoofdstuk 7 Procedure

7.1 Overleg

In het kader van artikel 3.1.1 Besluit ruimtelijke ordening (Bro) dient vooroverleg plaats te vinden met de overheidsinstanties waarvan de belangen in het geding zijn bij een ontwikkeling.

Ten aanzien van onderhavig planvoornemen is vooroverleg met de provincie niet nodig, omdat er op grond van de provinciale belangenstaat geen provinciale belangen in het geding zijn. Ook vooroverleg met het waterschap is niet nodig. Het te verharden gebied wijzigt niet ten opzichte van het bestemmingsplan dat voor In den Bosch fase II is opgesteld en ook niet ten opzichte van het daarna vastgestelde conserverende bestemmingsplan Kern Maasbree. Daarnaast neemt het te verharden oppervlak niet zodanig toe dat vooroverleg met het waterschap noodzakelijk is.

7.2 Procedure

Het bestemmingsplan doorloopt de volgende procedure:

  • a. Ontwerp:
    • 1. publicatie en terinzagelegging overeenkomstig afdeling 3.4 Awb en Wro
    • 2. een ieder kan gedurende deze terinzagelegging een zienswijze indienen bij het college van burgemeester en wethouders.
  • b. Vaststelling:
    • 1. vaststelling door het college
    • 2. mogelijkheid reactieve aanwijzing
    • 3. publicatie en terinzagelegging vastgesteld bestemmingsplan gedurende de beroepstermijn
  • c. Beroep:
    • 1. beroep bij Afdeling bestuursrechtspraak van de Raad van State
  • d. Inwerkingtreding:
    • 1. na afloop van de beroepstermijn (tenzij binnen de beroepstermijn een verzoek om voorlopige voorziening wordt gedaan)

In het kader van het ontwerp is het voor eenieder mogelijk om zijn/haar zienswijze (bij de college van burgemeester en wethouders) kenbaar te maken. Na vaststelling van het bestemmingsplan kunnen belanghebbenden beroep aantekenen bij de Raad van State. Hiervoor dient in de fase van het ontwerp een zienswijze te zijn ingediend of dient het plan ten opzichte van het ontwerp te zijn gewijzigd. In publicaties met betrekking tot de diverse stappen die het plan moet doorlopen, wordt daarvan steeds melding gemaakt. Uiteindelijk besluit de Afdeling bestuursrechtspraak van de Raad van State, indien nodig, over het plan in zijn onherroepelijke vorm.

7.3 Ontwerp bestemmingsplan

Het ontwerp bestemmingsplan heeft van 5 februari 2015 tot en met 18 maart 2015 ter inzage gelegen. Gedurende deze termijn zijn geen zienswijzen ingediend.

7.4 Vastgesteld bestemmingsplan

Het bestemmingsplan is op 26 mei 2015 ongewijzigd vastgesteld.

Daarbij is van belang dat op onderhavig bestemmingsplan gezien het bepaalde in artikel 1.1 Crisis- en herstelwet, afdeling 2 van de betreffende wet van toepassing is. Dit houdt onder meer in dat:

  • het instellen van pro forma-beroep niet mogelijk is;
  • een eventueel beroep versneld wordt behandeld.