direct naar inhoud van 4.5 Fasering
Plan: Steegsche Velden-oost
Status: vastgesteld
Plantype: bestemmingsplan
IMRO-idn: NL.IMRO.0753.bpSteegscheV2011-VG01

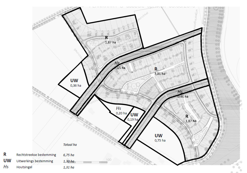
4.5 Fasering

De ontwikkeling van het totale plangebied Aarle-Steegsche Velden zal de komende jaren in 3 hoofdfasen gaan plaatsvinden:

fase 1: Steegsche Velden-oost, Broekstraat (en tevens Dijkstraten) ca. 1000 won.

fase 2: Aarle-noord en Steegsche Velden-west ca. 2200 won.

fase 3: Aarle-zuid ca. 200 won.

Iedere fase als zodanig kent tevens een interne fasering, waarbij in tussenstappen de woningbouwontwikkeling en aanpalende ontwikkelingen als ontsluiting van deze hoofdfasering gestalte krijgt. Deze opzet wordt altijd toegepast bij woningbouwontwikkelingen en heeft onder andere te maken met de uitgifte van woningen; er wordt pas gebouwd als de projectontwikkelaar op voorhand ca. 80% van de te bouwen woningen heeft verkocht. Tevens heeft dit een relatie met de grondposities; minnelijke verwerving staat voorop, onteigening komt pas later aan de orde.

De eerste fase van de voorgenomen woningbouwontwikkeling "Steegsche Velden-oost" omvat 200 woningen die rechtstreeks bestemd zijn in onderhavig bestemmingsplan. De ontwikkeling van deze woningen zal geschieden vanaf de Hokkelstraat en de ontsluiting op de Ringweg vanuit het zuiden richting het noorden.

afbeelding "i_NL.IMRO.0753.bpSteegscheV2011-VG01_0017.jpg"