direct naar inhoud van Toelichting
Plan: Utrechtsestraatweg 93
Status: ontwerp
Plantype: bestemmingsplan
IMRO-idn: NL.IMRO.0340.BP2021Utstrweg93-ON01

Toelichting

Hoofdstuk 1 Inleiding

1.1 Aanleiding

Aan de Utrechtsestraatweg 93 in Rhenen is in een monumentale tabaksschuur aanwezig. De eigenaar is voornemens om binnen het pand een tweede woning te realiseren door de bestaande woning te splitsen. Aangezien een tweede woning niet past binnen het geldende bestemmingsplan, is een herziening nodig van het huidige bestemmingsplan.

1.2 Ligging en begrenzing

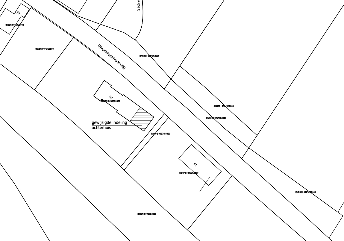
Het perceel Utrechtsestraatweg 93 is gelegen in het buitengebied van Rhenen. Het perceel is op circa 2 kilometer ten noordwesten van de kern van Rhenen gelegen. Kadastraal staat het perceel bekend als gemeente Rhenen, sectie I, nummers 771 en 975.

afbeelding "i_NL.IMRO.0340.BP2021Utstrweg93-ON01_0001.jpg"

Ligging in de omgeving

Het plangebied van dit bestemmingsplan wordt alleen gevormd door het genoemde perceel.

1.3 Geldend bestemmingsplan

Voor het plangebied geldt het bestemmingsplan 'Buitengebied 2010', vastgesteld door de gemeenteraad op 20 september 2011. Daarnaast geldt ook het paraplubestemmingsplan 'Parkeren', vastgesteld door de gemeenteraad op 6 maart 2018.

Het plangebied heeft de bestemming 'Wonen'. Hiermee zijn deze gronden in hoofdzaak bestemd voor wonen, al dan niet in combinatie met inwoning. Ook een beroep- en bedrijf aan huis en een bed and breakfast is toegestaan. Voor woningen geldt een maximale goot- en bouwhoogte van respectievelijk 3 en 8 meter, en een maximale inhoud van 600 m3. Voor aan- en uitbouwen en bijgebouwen bij woningen geldt een maximale goot- en bouwhoogte van respectievelijk 3 en 4,5 meter. Hiervoor geldt tevens een maximale oppervlakte van 80 m2.

Verder is de functieaanduiding 'cultuurhistorische waarden' opgenomen. Hiermee is geregeld dat burgemeesters en wethouders bevoegd zijn, voor zover het betreft de met ‘specifieke bouwaanduiding – voormalig agrarisch bedrijf’ aangeduide bestemmingsvlakken, de functie van de bebouwing ter plaatse van de aanduiding ‘cultuurhistorische waarden’ onder voorwaarden te wijzigen voor de bouw van extra woningen in de bestaande bebouwing.

Het parapluplan Parkeren regelt dat bij het verlenen van een omgevingsvergunning voor het bouwen of uitbreiden van een gebouw en/of voor het veranderen van de functie van een bouwperceel, vast staat dat voldoende parkeergelegenheid, overeenkomstig de beleidsregels van de 'Beleidsnota parkeernormen en parkeerfonds' (d.d. 14 april 2011), wordt gerealiseerd.

afbeelding "i_NL.IMRO.0340.BP2021Utstrweg93-ON01_0002.jpg"

Uitsnede plankaart bestemmingsplan 'Buitengebied 2010 met het plangebied globaal in rood omkaderd

Het initiatief is binnen het geldende bestemmingsplan niet mogelijk. Hoewel er een wijzigingsbevoegdheid is om te voorzien in een tweede woning binnen de bestaande bebouwing, heeft het bestemmingsvlak niet de aanduiding 'specifieke bouwaanduiding - voormalig agrarisch bedrijf'. Hierdoor is het niet mogelijk deze wijzigingsbevoegdheid in te zetten om het voornemen te realiseren. Derhalve is een nieuw bestemmingsplan nodig voor het planvoornemen.

1.4 Leeswijzer

In hoofdstuk 2 van deze onderbouwing wordt ingegaan op het relevante beleidskader. In het derde hoofdstuk wordt de huidige en nieuwe situatie beschreven. In hoofdstuk 4 wordt de uitvoerbaarheid aangetoond. Hoofdstuk 5 beschrijft de juridische planopzet en in het laatste hoofdstuk wordt afgesloten met inspraak en overleg.

Hoofdstuk 2 Beleidskader

In dit hoofdstuk wordt een analyse gegeven van het beleidskader van de omgeving van het plangebied.

2.1 Rijksbeleid

2.1.1 Nationale Omgevingsvisie

De Nationale Omgevingsvisie (NOVI) is vastgesteld op 11 september 2020. De NOVI geeft richting en helpt om keuzes te maken; te kiezen voor slimme combinaties van functies; uit te gaan van de specifieke kenmerken en kwaliteiten van gebieden. In totaal zijn er 21 nationale belangen gevormd:

  • 1. Bevorderen van een duurzame ontwikkeling van Nederland als geheel en van alle onderdelen van de fysieke leefomgeving.
  • 2. Realiseren van een goede leefomgevingskwaliteit.
  • 3. Waarborgen en versterken van grensoverschrijdende en internationale relaties.
  • 4. Waarborgen en bevorderen van een gezonde en veilige fysieke leefomgeving.
  • 5. Zorg dragen voor een woningvoorraad die aansluit op de woonbehoeften.
  • 6. Waarborgen en realiseren van een veilig, robuust en duurzaam mobiliteitssysteem.
  • 7. In stand houden en ontwikkelen van de hoofdinfrastructuur voor mobiliteit.
  • 8. Waarborgen van een goede toegankelijkheid van de leefomgeving.
  • 9. Zorg dragen voor nationale veiligheid en ruimte bieden voor militaire activiteiten.
  • 10. Beperken van klimaatverandering.
  • 11. Realiseren van een betrouwbare, betaalbare en veilige energievoorziening, die in 2050 CO2-arm is, en de daarbij benodigde hoofdinfrastructuur.
  • 12. Waarborgen van de hoofdinfrastructuur voor transport van stoffen via (buis)leidingen.
  • 13. Realiseren van een toekomstbestendige, circulaire economie.
  • 14. Waarborgen van de waterveiligheid en de klimaatbestendigheid (inclusief vitale infrastructuur voor water en mobiliteit).
  • 15. Waarborgen van een goede waterkwaliteit, duurzame drinkwatervoorziening en voldoende beschikbaarheid van zoetwater.
  • 16. Waarborgen en versterken van een aantrekkelijk ruimtelijk-economisch vestigingsklimaat.
  • 17. Realiseren en behouden van een kwalitatief hoogwaardige digitale connectiviteit.
  • 18. Ontwikkelen van een duurzame voedsel- en agroproductie.
  • 19. Behouden en versterken van cultureel erfgoed en landschappelijke en natuurlijke kwaliteiten van (inter)nationaal belang.
  • 20. Verbeteren en beschermen van natuur en biodiversiteit.
  • 21. Ontwikkelen van een duurzame visserij.

Om ook daadwerkelijk uitvoering te geven aan de NOVI, is de Uitvoeringsagenda 2021-2024 opgesteld. Hierin zijn vier prioriteiten benoemd:

  • 1. Ruimte voor klimaatadaptatie en energietransitie.
  • 2. Duurzaam economisch groeipotentieel.
  • 3. Sterke en gezonde steden en regio's.
  • 4. Toekomstbestendige ontwikkeling van het landelijk gebied.

De NOVI is een permanent en aanpasbaar proces. Er wordt uitgegaan van een terugkerende cyclus van vier jaar. Jaarlijks, in het voorjaar, is er een nationale NOVI-conferentie over de voortgang van de uitvoering, nieuwe ontwikkelingen en inzichten. Ook wordt een tweejaarlijkse monitor uitgevoerd door het Planbureau voor de Leefomgeving. Elke vier jaar vindt een uitgebreide beleidsevaluatie plaats, evenals een onderzoek naar de mening van burgers en wordt de NOVI zo nodig aangepast.

Toetsing

Uit de NOVI volgen geen uitgangspunten en/of randvoorwaarden voor de herontwikkeling van het plangebied. Met onderhavige ontwikkeling zijn geen nationale belangen in het geding.

Conclusie

Onderhavig plan is in overeenstemming c.q. niet in strijd met de NOVI.

2.1.2 Besluit algemene regels ruimtelijke ordening

Met het vastgestelde Besluit algemene regels ruimtelijke ordening (30 december 2011), ook wel Barro genoemd, geeft het Rijk algemene regels voor bestemmingsplannen en wordt een aantal van de nationale ruimtelijke belangen uit de voormalige Nota Ruimte gewaarborgd. Doel van dit besluit is bepaalde onderwerpen uit de SVIR te verwezenlijken, dan wel te beschermen. Het gaat hierbij om de volgende onderwerpen:

  • rijksvaarwegen;
  • hoofdwegen en hoofdspoorwegen;
  • elektriciteitsvoorzieningen;
  • buisleidingen van nationaal belang van gevaarlijke stoffen;
  • ecologische hoofdstructuur;
  • primaire waterkeringen buiten het kustfundament, en
  • IJsselmeergebied (uitbreidingsruimte)

Toetsing

Gelet op de ligging van het plangebied, alsmede de aard en omvang van de beoogde planontwikkeling dat in het voorliggende bestemmingsplan mogelijk wordt gemaakt, wordt geconcludeerd dat er geen strijdigheid is met het nationaal ruimtelijk belang, zoals neergelegd in het Barro. Voornoemde onderwerpen hebben geen betrekking op het plangebied.

Conclusie

Onderhavig plan is in overeenstemming c.q. niet in strijd met het Besluit algemene regels ruimtelijke ordening.

2.2 Provinciaal beleid

2.2.1 Omgevingsvisie Provincie Utrecht

De Omgevingsvisie van de provincie Utrecht is vastgesteld door de Provinciale Staten op 10 maart 2021. Per 1 april 2021 is de Omgevingsvisie in werking getreden. De Omgevingsvisie is een samenvoeging van onder andere de ruimtelijke structuurvisie, mobiliteitsvisie, natuurvisie en het bodem-, water- en milieuplan. De Omgevingsvisie is opgesteld om te zorgen voor een blijvend aantrekkelijke provincie. Via haar ruimtelijk beleid draagt de provincie bij aan een kwalitatief hoogwaardige fysieke leefomgeving, waarin het ook in de toekomst plezierig wonen, werken en recreëren is. De Omgevingsvisie is uitgewerkt aan de hand van 7 thema's en 3 regio's. De thema's zijn als volgt:

  • 1. Stad en land gezond.
  • 2. Klimaatbestendig en waterrobuust.
  • 3. Duurzame energie.
  • 4. Vitale steden en dorpen.
  • 5. Duurzaam, gezond en veilig bereikbaar.
  • 6. Levend landschap, erfgoed en cultuur.
  • 7. Toekomstbestendige natuur en landbouw.

De drie regio's zijn U16, Amersfoort en Foodvalley.

De Omgevingsvisie geeft de ruimtelijke ambities weer van de provincie Utrecht. Hierin staat welke doelstellingen de provincie van provinciaal belang acht, welk beleid bij deze doelstellingen hoort én hoe dit beleid uitgevoerd wordt. Deels loopt deze uitvoering via de Interim Omgevingsverordening, die tegelijk met de Omgevingsvisie is vastgesteld. Op grond van de Wro heeft de Omgevingsvisie alleen een zelfbindende werking. Het is bindend voor de provincie, niet voor andere partijen. De Interim Omgevingsverordening zorgt voor doorwerking van het beleid en is bindend voor de gemeenten.

2.2.2 Interim Omgevingsverordening Provincie Utrecht

De Interim Omgevingsverordening van de provincie Utrecht is vastgesteld door de Provinciale Staten op 10 maart 2021. De omgevingsverordening bevat algemene regels die gemeenten in acht moeten nemen bij het opstellen van hun ruimtelijke plannen. In de omgevingsverordening staan geen regels die direct doorwerken naar de burgers. In de omgevingsverordening zijn alleen de algemene regels opgenomen, die noodzakelijk zijn voor het waarborgen van de provinciale belangen.

De omgevingsverordening geeft soms harde ruimtelijke grenzen aan. Soms wordt volstaan met de verplichting om een ruimtelijke keuze voor een bepaald beleidsaspect goed te onderbouwen. Daarnaast bevat de omgevingsverordening ook regels die voortvloeien uit het Barro. Bij de verordening zijn verschillende kaarten opgenomen. Navolgend worden de voor het plangebied relevante bepalingen besproken.

Watersysteem

Op de kaart 'watersysteem' is het plangebied gelegen binnen een overstroombaar gebied. Artikel 2.10 bepaalt hierover het volgende:

  • 1. Een bestemmingsplan dat betrekking heeft op locaties binnen Overstroombaar gebied bevat bestemmingen en regels die rekening houden met overstromingsrisico’s. Binnendijks is dit van toepassing op kwetsbare en vitale objecten en woonwijken en bedrijventerreinen. Buitendijks is dit ook van toepassing op individuele woningen en bedrijven.
  • 2. De motivering op een bestemmingsplan bevat een beschrijving van het door de gemeente te voeren beleid ter zake en de wijze waarop met het overstromingsrisico is omgegaan.

Toetsing

Het plangebied niet binnendijks gelegen, maar ligt op de dijk. De woning heeft echter hetzelfde risiconiveau als binnendijkse woningen; de woning ligt immers op dezelfde hoogte. Tevens blijkt uit onderstaande uitsnede van de risicokaart dat de woning niet in een risicogebied voor overstromingen ligt. Daarnaast voorziet onderhavig plan niet in een nieuw hoofdgebouw, maar enkel in een woningsplitsing in een bestaand pand. Er zijn geen aanleidingen om extra maatregelen voor overstromingsrisico's te nemen.

afbeelding "i_NL.IMRO.0340.BP2021Utstrweg93-ON01_0003.jpg"

Uitsnede risicokaart overstromingsrisico's met de woning in rood omkaderd

Cultuurhistorie en landschap

Op de kaart 'cultuurhistorie en landschap kaart 1' is het plangebied gelegen in de Cultuurhistorische hoofdstructuur. Artikel 7.7 bepaalt hierover het volgende:

  • 1. In een bestemmingsplan dat betrekking heeft op locaties gelegen in de Cultuurhistorische hoofdstructuur wordt rekening gehouden met de waarden van de Cultuurhistorische hoofdstructuur en worden regels gesteld ter bescherming en benutting van deze waarden
  • 2. Als waarden van de Cultuurhistorische hoofdstructuur gelden de kernkwaliteiten, bedoeld in de Bijlage 14 Cultuurhistorie bij deze verordening, voor de volgende gebieden:
    • a. de Historische buitenplaatszone, die bestaat uit de deelgebieden Stichtse Lustwarande, Langbroekerwetering, Vecht, Amersfoortseweg (Wegh der Weegen), Laagte van Pijnenburg, Valleilandgoederen, Amelisweerd, Kasteel de Haar, Landgoed Linschoten, Maarsbergse Flank en Prattenburg-Remmerstein;
    • b. het Militair erfgoed, dat bestaat uit de deelgebieden Nieuwe Hollandse Waterlinie, Oude Hollandsche Waterlinie, Grebbelinie en Soesterberg en omgeving;
    • c. het Agrarisch cultuurlandschap, dat bestaat uit de deelgebieden Lopikerwaard, Kockengen-Kamerik-Zegveld, Westbroek, Linschoten, Ronde Venen, Soester Eng, Cope-ontginningscomplex Hei- en Boeicop e.o. en Zouweboezem;
    • d. de Historische infrastructuur, die bestaat uit de deelgebieden Route Impériale, Via Regia en Wegh der Weegen; en
    • e. de Archeologisch waardevolle zone, die bestaat uit de deelgebieden Utrechtse Heuvelrug, Limes en Dorestad.
  • 3. De motivering van een bestemmingsplan bevat:
    • a. een beschrijving van de in het plangebied aanwezige cultuurhistorische waarden; en
    • b. een beschrijving en motivering van de wijze waarop rekening is gehouden met deze waarden.

Het plangebied is gelegen in de archeologische waardevolle zone Utrechtse Heuvelrug. De belangrijkste bekende archeologische locaties op de Heuvelrug zijn als volgt:

  • a. Kwintelooyen (Steentijd);
  • b. Celtic fields, grafheuvels en nederzettingen (met name Brons- en IJzertijd);
  • c. Merovingisch grafveld Rhenen en Oud-Leusden (Vroege Middeleeuwen);
  • d. Plantage Willem III (tabakscultuur, Nieuwe Tijd);
  • e. Grebbeberg, Kamp Amersfoort, Vliegbasis Soesterberg (Tweede Wereldoorlog).

Toetsing

Onderhavig plan voorziet niet in een ontwikkeling binnen een van deze bekende archeologische locaties. Het voornemen betreft enkel een woningsplitsing binnen een bestaand pand. Hiermee komen de archeologische waarden niet in het geding.

Cultuurhistorie en landschap

Op de kaart 'cultuurhistorie en landschap kaart 2' is het plangebied gelegen binnen het Landschap Rivierengebied. Artikel 7.9 bepaalt hierover het volgende:

  • 1. Landschap bestaat uit Landschap Eemland, Landschap Gelderse Vallei, Landschap Groene Hart, Landschap Rivierengebied en Landschap Utrechtse Heuvelrug.
  • 2. De kernkwaliteiten zijn per gebied vastgelegd in de bijlage Bijlage 15 Kernkwaliteiten Landschap bij deze verordening.
  • 3. Een bestemmingsplan dat betrekking heeft op een gebied gelegen in Landschap bevat:
    • a. bestemmingen en regels ter bescherming van de voorkomende kernkwaliteiten; en
    • b. geen bestemmingen of regels die nieuwe activiteiten toestaan die de kernkwaliteiten onevenredig aantasten.
  • 4. De motivering van een bestemmingsplan bevat een beschrijving van de voorkomende kernkwaliteiten en de wijze waarop met de bescherming van de kernkwaliteiten is omgegaan.

De kernkwaliteiten voor het Landschap Rivierengebied zijn als volgt:

  • 1. schaalcontrast van zeer open naar besloten;
  • 2. samenhangend stelsel van rivier - uiterwaard - oeverwal - kom;
  • 3. samenhangend stelsel van hoge stuwwal - flank - kwelzone - oeverwal – rivier;
  • 4. de Kromme Rijn als vesting en vestiging.

Toetsing

Onderhavig plan voorziet in een woningsplitsing binnen een bestaand pand. Hierdoor zullen de kernkwaliteiten niet aangetast worden.

Wonen, werken en recreëren

Op de kaart 'wonen, werken, recreëren' is het plangebied gelegen in het landelijk gebied. Artikel 9.5 bepaalt het volgende:

  • 1. Een bestemmingsplan dat betrekking heeft op locaties binnen Landelijk gebied kan bestemmingen en regels bevatten die toestaan dat in bebouwingsenclaves of bebouwingslinten verstedelijking plaatsvindt, mits is voldaan aan de volgende voorwaarden:
    • a. gelijktijdig met de verstedelijking wordt de ruimtelijke kwaliteit verhoogd;
    • b. bebouwing vindt niet plaats buiten de bestaande bebouwingsenclaves of bebouwingslinten; en
    • c. belangen van bestaande omringende functies worden niet onevenredig aangetast.
  • 2. De motivering van een bestemmingsplan bevat een onderbouwing waaruit blijkt dat aan de genoemde voorwaarden is voldaan. Een beeldkwaliteitsparagraaf maakt onderdeel uit van de onderbouwing.

Toetsing

Onderhavig plan voorziet in verstedelijking binnen het bestaande bebouwingslint langs de Utrechtsestraatweg. Het betreft een inpandige verbouwing, waarbij de woning in het monument gesplitst wordt. Hierdoor is het economisch beter draagbaar om het monument in stand te houden, wat bijdraagt aan de ruimtelijke kwaliteit. Verder is het aanneembaar dat, gezien de aard en kleinschaligheid van de ontwikkeling, omliggende functies niet onevenredig aangetast worden.

Conclusie

Onderhavige ontwikkeling is in overeenstemming met de Interim Omgevingsverordening van de provincie Utrecht.

2.2.3 Kwaliteitsgids Utrechtse Landschappen

In 2011 heeft de provincie de Kwaliteitsgids Utrechtse Landschappen opgesteld. De Kwaliteitsgids Utrechtse Landschappen bestaat uit een algemeen Koepelkatern en zes gebiedskaternen, per landschap één. De zes gebieden zijn:

  • Groene Hart
  • Linies
  • Gelderse Vallei
  • Utrechtse Heuvelrug
  • Rivierengebied
  • Arkemheen-Eemland

Het plangebied is gelegen in het Rivierengebied. Dit is een landschap met een langgerekte opbouw. Het landschap kent vijf duidelijk verschillende deelgebieden, met elk een eigen centrale ruggengraat. Vlak bij de ruggengraat is de eigen identiteit van het gebied het sterkst; de overgangen naar andere deelgebieden verlopen geleidelijk. De plekken waar ruggengraten beginnen, eindigen of bij elkaar komen verdienen extra aandacht. Hier komen ruimtelijke kenmerken bij elkaar. Op enkele van deze punten staan de kernkwaliteiten onder druk doordat er veel dynamiek is of omdat behoud extra inzet vraagt. De vijf deelgebieden zijn:

  • 1. Flank
  • 2. Langbroek
  • 3. Kromme Rijn
  • 4. Nederrijn / Lek
  • 5. Schalkwijk

Het plangebied is gelegen in het deelgebied Nederrijk / Lek. Hierover is het volgende beschreven. De brede rivier met parallelle hoge bandijken vormt de kern van dit lineaire landschap. De uiterwaarden tussen de dijken zijn relatief open, terwijl de binnendijkse zone meer bebouwing en opgaande beplanting kent. De hoge dijken van de Nederrijn/Lek geven een panoramisch zicht over de lager gelegen omgeving en de hoge beboste heuvelrug. De binnendijkse verkaveling haaks op de dijk, deels beplant met boomgaarden en bosjes, verleent zicht op achtergelegen kommen en stroomrug-gronden. Dit landschap vraagt om:

  • het zichtbaar blijven van de Nederrijn/Lek vanaf de dijk als doorgaande stroomdraad. Aaneengesloten ooibossen zijn niet hier op hun plaats;
  • een betere beleefbaarheid van kenmerkende elementen van de beheersing van de rivier, zoals dijken, vergravingen en grootse civiele werken.

Toetsing

Onderhavig plan voorziet alleen in een woningsplitsing. Hierbij blijft de bestaande bebouwing gehandhaafd. De zichtbaarheid van de Nederrijn/Lek vanaf de dijk wordt hiervoor niet aangetast.

Conclusie

Onderhavig plan is in overeenstemming c.q. niet in strijd met de Kwaliteitsgids Utrechtse Landschappen.

2.3 Gemeentelijk beleid

2.3.1 Stedenbouwkundige Structuurvisie, Woningbouwlocaties tot 2020

De Stedenbouwkundige Structuurvisie, Woningbouwlocaties tot 2020 is vastgesteld door de gemeenteraad op 23 september 2008. De woningbouwopgave van de gemeente Rhenen, 650 tot 750 woningen in de periode tot 2020, moet op basis van deze stedenbouwkundige structuurvisie kunnen worden gerealiseerd. Deze visie levert een bijdrage aan de nieuwe prestatieafspraken met de woningbouwcorporaties. Het is het toetsingsinstrument voor individuele bouwaanvragen, basis voor het opstellen van gebiedsvisies met beeldkwaliteitsplannen, en basis voor het opstellen van (herziening) bestemmingsplannen en projectbesluiten.

Voor Rhenen gaat de visie uit van een compacte kern binnen de rode contour. Met verdichting, meervoudig ruimtegebruik en herstructurering zijn in de komende periode voldoende woningen te realiseren. De groene randen van Rhenen worden maximaal gerespecteerd, aanvullende bebouwing aan de linten naar het buitengebied is ongewenst. De natuur en recreatie in de uiterwaarden krijgen meer ruimte. De open panorama’s op de rivier, gezien vanaf openbare routes, zijn van alle bewoners en worden niet verder verdicht.

Toetsing

Hoewel de structuurvisie tot 2020 gold, voldoet onderhavig plan toch aan de uitgangspunten. Onderhavig plan voorziet namelijk in een woningsplitsing. Hierbij is geen sprake van verdichting; het gebouw is immers reeds aanwezig.

Conclusie

Onderhavig plan is in overeenstemming c.q. niet in strijd met de Stedenbouwkundige Structuurvisie, Woningbouwlocaties tot 2020.

2.3.2 Welstandsnota

De gemeenteraad heeft op 23 april 2013 de Welstandsnota 2013 vastgesteld. De nota beschrijft het welstandsbeleid van de gemeente Rhenen en dient als toetsingskader voor de welstandstoetsing in het kader van een omgevingsvergunning voor bouwen.

Het plangebied is gelegen in de Uiterwaarden. De Welstandsnota beschrijft hiervoor de volgende gebiedscriteria.

Gebiedscriteria

Algemeen

  • de bouwwerken dienen te passen in de omgevingskarakteristiek, rekening houdend met de bestaande organisatie op het perceel en passend binnen de landschappelijke inrichting.

Massa en vorm

  • aan- en uitbouwen zijn in eenzelfde stijl uitgevoerd als de hoofdmassa;
  • er is sprake van een samenhangende en evenwichtige gevelopbouw.

Detaillering, kleur- en materiaalgebruik

  • detaillering, kleur- en materiaalgebruik zijn passend bij de omgeving;
  • er wordt gebruik gemaakt van natuurlijke materialen zoals baksteen, hout en pleisterwerk.

Aanvullende criteria Utrechtsestraatweg

Plaatsing

  • de hoofdgevel of representatieve zijde is op de belangrijkste openbare ruimte gericht. Hiermee wordt de straat of een openbare groene ruimte bedoeld.

Massa en vorm

  • aan- en uitbouwen, alsmede bijgebouwen zijn ondergeschikt aan de hoofdmassa;
  • bij grote bouwelementen is sprake van samenhang in de massaopbouw.

Detaillering, kleur- en materiaalgebruik

  • extra aandacht dient besteed te worden aan de representativiteit van de bebouwing.

Toetsing

Onderhavig plan voorziet niet in nieuwe bouwwerken. Het betreft enkel een woningsplitsing. De gevels van de tabaksschuur zullen wel deels aangepast worden. Dit betreft enkel het toevoegen van een deur en een pui. Bij deze aanpassing zal aangesloten worden bij de bestaande detaillering, kleur- en materiaalgebruik van het pand.

Conclusie

Onderhavig plan is in overeenstemming c.q. niet in strijd met de Welstandsnota 2013.

2.3.3 Woonvisie 'Kiezen voor Rhenen'

De woonvisie 'Kiezen voor Rhenen' (30 januari 2018) formuleert de ambities en strategieën om met de verschillende woonopgaven om te gaan. De woonvisie biedt een stappenplan om de komende jaren de bouwstroom te kunnen garanderen en tegelijkertijd de woonkwaliteit te behouden. De woonvisie geldt in principe tot 2030, maar is via uitvoeringsagenda's concreet voor 4 jaar. Het is de bedoeling dat de uitvoeringsagenda's elke twee jaar geactualiseerd worden. De laatste actualisatie is vastgesteld op 8 juni 2021. Voor nieuwe opgave voor 2020-2040 is in de actualisatie het volgende beschreven. Op basis van het Regio Foodvalley onderzoek zal het kwantitatief kader van de huidige woonvisie moeten worden aangescherpt naar 85-90 woningen per jaar tot 2030 en 10-25 woningen per jaar tussen 2030 en 2040. Het percentage van deze behoefte dat geldt voor Rhenen, is 60-65%. Er dienen dus circa 50-55 woningen per jaar in Rhenen gebouwd te worden. Kijkend naar de kwalitatieve woonbehoefte, dan volgt uit het voorgestelde kwalitatieve kader uit de woonvisie een percentage van 5% voor twee-onder-een-kapwoningen en vrijstaande woningen (koopwoningen), wat neerrkomt op circa 3 woningen.

Toetsing

Onderhavig plan voorziet in één nieuwe (koop)woning, wat tevens een twee-onder-een-kapwoning wordt. Daarmee past dit binnen het woningbouwprogramma.

Conclusie

Onderhavig plan is in overeenstemming met de woonvisie van de gemeente Rhenen.

2.3.4 Waterbeleid

Het gemeentelijke waterbeleid is vastgesteld in het vGRP: het verbreed gemeentelijk rioleringsplan. Over hemelwater en wateroverlast is het volgende beschreven:

‘Regenwater is in principe schoon. Het is niet efficiënt om het schone water eerst te mengen met afvalwater om het daarna op de rwzi weer te zuiveren. Het is slimmer om het schone regenwater gescheiden te houden. De beste oplossing is om het regenwater lokaal (op de plek waar het valt) te gebruiken of in de bodem te infiltreren. Er is dan geen afvoer nodig, het rioolstelsel heeft minder piekbelasting en het grondwater wordt op natuurlijke wijze aangevuld.’

Dit betekent dat in principe de te bedenken maatregelen zouden moeten uitgaan van het vasthouden van water. Bij het omgaan met extreme neerslag valt er dan te denken aan het aanleggen van tijdelijke berging of het tegenhouden van water in lokale depressies. Bij het oplossen van lokale hydraulische knelpunten ligt het vasthouden van water over het algemeen niet voor de hand. Bij specifieke problemen kan er dan ook van het algemene principe worden afgeweken.

De gemeente zet in op het beperken van wateroverlast bij het inzamelen, verwerken en transporteren van regenwater en stedelijk afvalwater. Helemaal nu de nieuwe klimaatscenario’s van het KNMI nog zwaardere regenbuien voorspellen. Het is echter onbetaalbaar om de riolering zo te dimensioneren dat alle regenbuien ondergronds verwerkt kunnen worden. Er moet ook naar bovengrondse oplossingen worden gekeken. Bij inrichting van het openbaar gebied houdt de gemeente hier rekening mee, om de overlast bij zeer hevige neerslag zoveel mogelijk te beperken. In de komende planperiode worden maatregelen getroffen op de locaties waar in de zomer van 2014 wateroverlast is opgetreden. Bij planontwikkeling, wegen- en groenprojecten en overige activiteiten voert de gemeente een watertoets uit, waarbij de gemeente ook de principes van de klimaat actieve stad meeneemt.

Toetsing

Onderhavig plan voorziet enkel in een woningsplitsing. Het gebouw is niet aangesloten op de hemelwaterriolering. Het hemelwater wordt oppervlakkig afgevoerd richting omliggende gronden, waar het de bodem kan infiltreren. Onderhavig plan verandert niets aan de waterhuishouding.

Conclusie

Onderhavig plan is in niet in strijd met het gemeentelijke waterbeleid.

Hoofdstuk 3 Bestaande en nieuwe situatie

3.1 Bestaande situatie

Hierna wordt de bestaande situatie van de omgeving en het plangebied beschreven.

Omgeving

Het plangebied is gelegen in het westelijke buitengebied van Rhenen. De kern van Rhenen is op circa 2 kilometer ten oosten van het plangebied gelegen. Ten noordwesten van het plangebied ligt het buurtschap Remmerden, aan de provinciale weg N225. In het verlengde van deze weg ligt, op circa 3 kilometer ten noordwesten van het plangebied, het dorp Elst.
In het bestemmingsplan Buitengebied 2010 is een kaart met de landschappelijke gebieden van Rhenen opgenomen. Hierop is te zien dat het plangebied gelegen is in een bosrandgebied met engen. Ten noorden van het plangebied is een bosrandgebied met engen aanwezig, met daarnaast de beboste stuwwal, waar onder andere het natuurgebied Kwintelooijen aanwezig is. Ten zuiden van het plangebied loopt de rivier de Nederrijn, met het bijbehorende uiterwaardenlandschap.

afbeelding "i_NL.IMRO.0340.BP2021Utstrweg93-ON01_0004.jpg"

Luchtfoto van de omgeving van het plangebied

afbeelding "i_NL.IMRO.0340.BP2021Utstrweg93-ON01_0005.jpg"

Uitsnede landschappelijke gebieden uit bestemmingsplan Buitengebied 2010 met het plangebied in rood omcirkeld

Plangebied

Het plangebied is gelegen aan de Utrechtsestraatweg, een relatief lange, gebiedsontsluitingsweg tussen Rhenen en Amerongen. Aan de oost- en westzijde grenst het plangebied aan enkele andere woonpercelen. Ten noorden van het plangebied zijn enkele agrarische percelen aanwezig. Zoals benoemd loopt ten zuiden van het plangebied de Nederrijn.

In het plangebied is een oude tabaksschuur aanwezig. Deze schuur heeft een omvang van 360 m2, en wordt momenteel gebruikt als woning. De tabaksschuur is een Rijksmonument. Op de cultuurhistorische kaart van de provincie Utrecht is beschreven dat de tabaksschuur ontstaan is in 1852. Voor het overige bestaat het plangebied voornamelijk uit grasland en een grotendeels onverhard erf. Langs de perceelsgrenzen zijn enkele bomen aanwezig.

Recent zijn op het perceel een zwembad en een veranda vergund en gerealiseerd.

afbeelding "i_NL.IMRO.0340.BP2021Utstrweg93-ON01_0006.jpg"

Luchtfoto met het plangebied globaal in rood omkaderd

afbeelding "i_NL.IMRO.0340.BP2021Utstrweg93-ON01_0007.jpeg"

Aanzicht vanaf het westen

afbeelding "i_NL.IMRO.0340.BP2021Utstrweg93-ON01_0008.jpeg"

Bovenaanzicht vanaf het westen

afbeelding "i_NL.IMRO.0340.BP2021Utstrweg93-ON01_0009.jpeg"

Aanzicht zijgevel vanaf de Utrechtsestraatweg

afbeelding "i_NL.IMRO.0340.BP2021Utstrweg93-ON01_0010.jpeg"

Aanzicht noordelijke gevel en poort vanaf de Utrechtsestraatweg

afbeelding "i_NL.IMRO.0340.BP2021Utstrweg93-ON01_0011.jpeg"

Aanzicht zijgevel vanaf de Utrechtsestraatweg

3.2 Nieuwe situatie

Het voornemen is om de woning in de cultuurhistorisch waardevolle tabaksschuur te splitsen. Het achterhuis zal hiervoor een andere indeling krijgen. Het achterhuis en dus de nieuwe woning heeft een oppervlakte van 100 m2. In dit gedeelte van het hoofdgebouw wordt voorzien in een woonruimte, bijkeuken, badkamer en wc op de begane grond en een slaapkamer en tweede badkamer op de verdieping. Hierdoor wordt een volwaardige tweede woning binnen het hoofdgebouw gerealiseerd.

Naast de inpandige verbouwing worden ook de oost- en zuidgevel van de tabaksschuur deels gewijzigd. De zuidgevel aan het gedeelte van de nieuwe woning krijgt een nieuwe, grotere pui. De oostgevel krijgt een nieuwe deur. Voor het overige verandert er niets aan het hoofdgebouw.

afbeelding "i_NL.IMRO.0340.BP2021Utstrweg93-ON01_0012.jpg"

Situatietekening nieuwe situatie

afbeelding "i_NL.IMRO.0340.BP2021Utstrweg93-ON01_0013.jpg"

Schetsontwerp: plattegrond hoofdgebouw met nieuwe indeling achterhuis

afbeelding "i_NL.IMRO.0340.BP2021Utstrweg93-ON01_0014.jpg"

Schetsontwerp: bestaande en nieuwe situatie van de gevels (ontwerp voor zuidgevel van de nieuwe woning zal nog opnieuw worden bezien in het kader van de aanvraag omgevingsvergunning)

Hoofdstuk 4 Planologische en milieutechnische randvoorwaarden

4.1 Milieu

4.1.1 Inleiding

Op grond van artikel 3.1.6 van het Besluit ruimtelijke ordening (verder: Bro) moet de gemeente in de toelichting op het bestemmingsplan een beschrijving opnemen van de wijze waarop de milieukwaliteitseisen bij het plan zijn betrokken. Daarbij moet rekening gehouden worden met de geldende wet- en regelgeving en met de vastgestelde (boven)gemeentelijke beleidskaders. Bovendien is een bestemmingsplan vaak een belangrijk middel voor afstemming tussen de milieuaspecten en ruimtelijke ordening. In deze paragraaf worden de relevante thema's rondom milieu behandeld.

4.1.2 Bodem

Een nieuwe bestemming mag pas worden opgenomen als aangetoond is dat de bodem geschikt is voor de nieuwe/aangepaste bestemming en dus niet verontreinigd of vervuild is. Voor zover bekend zijn de menselijke activiteiten in het plangebied beperkt gebleven voor de bewoning van de aanwezige bedrijfswoning en voor het aannemersbedrijf. Bij een bestemmingswijziging is een bodemonderzoek slechts noodzakelijk indien de bestemmingswijziging tevens een wijziging naar een gevoeliger bodemgebruik inhoudt. Bij een bestemmingswijziging die een gelijkblijvend of minder gevoelig bodemgebruik oplevert, is de bodemkwaliteit in het kader van de bestemmingswijziging niet relevant en is bodemonderzoek niet noodzakelijk.

Onderhavig plan voorziet alleen in een woningsplitsing. Het betreft een bestaand gebouw, waar praktisch alleen een inpandige verbouwing plaatsvindt. In de nieuwe situatie is er sprake van een gelijkblijvend bodemgebruik. Om deze redenen is het niet nodig een bodemonderzoek uit te voeren. De bodemkwaliteit staat de uitvoerbaarheid van onderhavig plan niet in de weg.

4.1.3 Bedrijven en milieuzoneringen

Zowel de ruimtelijke ordening als het milieubeleid stellen zich ten doel een goede kwaliteit van het leefmilieu te handhaven en te bevorderen. Dit gebeurt onder andere door milieuzonering. Onder milieuzonering verstaan we het aanbrengen van een voldoende ruimtelijke scheiding tussen milieubelastende bedrijven of inrichtingen enerzijds en milieugevoelige functies als wonen en recreëren anderzijds. De ruimtelijke scheiding bestaat doorgaans uit het aanhouden van een bepaalde afstand tussen milieubelastende en milieugevoelige functies. Die onderlinge afstand moet groter zijn naarmate de milieubelastende functie het milieu sterker belast.

Milieuzonering heeft twee doelen:

  • het voorkomen of zoveel mogelijk beperken van hinder en gevaar bij woningen en andere gevoelige functies;
  • het bieden van voldoende zekerheid aan bedrijven dat zij hun activiteiten duurzaam onder aanvaardbare voorwaarden kunnen uitoefenen.

Voor het bepalen van de aan te houden afstanden wordt de daarvoor algemeen aanvaarde VNG-uitgave 'Bedrijven en Milieuzonering' uit 2009 gebruikt. Deze uitgave bevat een lijst, waarin voor een hele reeks van milieubelastende activiteiten (naar SBI-code gerangschikt) richtafstanden zijn gegeven ten opzichte van milieugevoelige functies. De lijst geeft richtafstanden voor de ruimtelijk relevante milieuaspecten geur, stof, geluid en gevaar.

Onderhavige ontwikkeling voorziet alleen in de vestiging van een nieuwe milieugevoelige functie: de nieuwe, tweede woning in de oude tabaksschuur. Daarom is alleen sprake van inwaartse zonering. Gezien de ligging langs een relatief drukke weg, en de aanwezigheid van zowel woon- als agrarische en bedrijfsbestemmingen in de omgeving, is er sprake van een gemengd gebied.

Op circa 200 meter ten noordwesten van het plangebied is, aan de Utrechtsestraatweg 144, een verhuur- en groothandelsbedrijf in aanhangwagens aanwezig. Dit bedrijf komt het best overeen met 'verhuurbedrijven voor transportmiddelen (excl. personenauto's)' uit de VNG-brochure. Hiervoor geldt milieucategorie 3.1, met een richtafstand van 30 meter tot een gemengd gebied. Er wordt dus ruimschoots aan deze afstand voldaan.

Op circa 40 meter ten noordwesten van het plangebied is, aan de Stokweg 1, een agrarisch bedrijf gericht op het fokken en houden van rundvee aanwezig. Hiervoor geldt milieucategorie 3.2, met een richtafstand van 50 meter tot een gemengd gebied. De kortste afstand van de bestaande woning tot aan de dichtstbijzijnde stal van het bedrijf is meer dan 50 meter. Binnen 50 meter afstand tot het plangebied bevindt zich alleen de bedrijfswoning van het agrarisch bedrijf. Dat bedrijf en de nieuwe woning in het plangebied zijn daarmee op voldoende afstand van elkaar gelegen.

Overige milieubelastende functies liggen op grotere afstand van het plangebied. Milieuzoneringen vormen geen belemmering voor onderhavig plan.

4.1.4 Geluid

Op basis van de Wet geluidhinder (Wgh) zijn er drie geluidsbronnen waarmee bij de vaststelling van bestemmingsplannen rekening gehouden dient te worden: wegverkeers-, railverkeers- en industrielawaai. Het plangebied is alleen gelegen binnen de invloedssfeer van een verkeersweg: de Utrechtsestraatweg. Om deze reden wordt alleen wegverkeerslawaai beschouwd. De Utrechtsestraatweg is een provinciale weg waar de maximumsnelheid 60 km/u is. Aangezien hiervoor een geluidzone geldt, en onderhavig plan voorziet in een nieuwe, geluidgevoelige functie, is door AWG Geluidadvies een akoestisch onderzoek naar wegverkeerslawaai opgesteld. Dit onderzoek is opgenomen als Bijlage 1 bij deze toelichting. Hierna worden kort de uitkomsten van dit onderzoek benoemd.

De geluidbelasting op de oostgevel van de nieuwe woning is berekend op Lden=53 dB op de begane grond en 54 dB op de 1e verdieping, vanwege de Utrechtsestraatweg en incl. aftrek ex. art. 110g Wgh van 5 dB voor het stiller worden van het verkeer (GES score Matig). Dit is hoger dan de voorkeursgrenswaarde van Lden=48 dB. De noordgevel wordt doof uitgevoerd en de indeling wordt zodanig dat er geen verblijfsruimten liggen aan de noordgevel.

Volgens de Wet geluidhinder moet worden bekeken wat er nodig is om aan de voorkeurs- grenswaarde te voldoen. Initiatiefnemer heeft geen invloed op de verkeersintensiteit. Op de Utrechtsestraatweg ligt al geluidreducerend asfalt. Het betreft een bestaande woning. Opschuiven is daarmee geen optie. Gezien de ligging zo kort op de weg is ook afscherming geen reële mogelijkheid en vanuit landschappelijk, stedenbouwkundig en verkeerskundig oogpunt ongewenst. Hiermee resteert een hogere grenswaarde van Lden=53 en 54 dB op de oostgevel vanwege de Utrechtsestraatweg (resp. op de begane grond en 1e verdieping). De zuidgevel is geluidluw en aan de zuidwestzijde is ook een redelijk geluidluwe buitenruimte aanwezig. Daarmee is vanuit oogpunt van een goede ruimtelijke ordening een goed woon- en leefklimaat te garanderen.

De benodigde karakteristieke geluidwering van de gevels conform het Bouwbesluit 2012 varieert van GA;k=20-26 dB. Bij de indeling is het advies de woon- en slaapkamer zodanig inpandig te realiseren dat er geen bijdrage is van omloopgeluid via de noordgevel. Als sprake is van natuurlijke ventilatie via de oostgevel, dan is waarschijnlijk geluidgedempte ventilatie nodig.

Op basis van de beoordeling en het advies van de Omgevingsdienst regio Utrecht zal in het kader van de aavraag omgevingsvergunning een gevelweringsonderzoek uitgevoerd worden.

4.1.5 Luchtkwaliteit

In de Wet milieubeheer (verder: Wm) zijn eisen opgenomen waaraan de luchtkwaliteit in de buitenlucht moet voldoen. Hierbij is onderscheid gemaakt in grenswaarden waaraan nu moet worden voldaan en grenswaarden waaraan in de toekomst moet worden voldaan. De meest kritische stoffen zijn stikstofdioxide en fijnstof. Aan de andere stoffen die in de Wet worden genoemd wordt in Nederland, behoudens bijzondere situaties, overal voldaan. Op grond van artikel 5.16 Wm kan de gemeenteraad een bestemmingsplan met mogelijke gevolgen voor de luchtkwaliteit alleen vaststellen wanneer aannemelijk is gemaakt dat:

  • het bestemmingsplan niet leidt tot het overschrijden van de in de wet genoemde grenswaarden, of;
  • de luchtkwaliteit als gevolg van het bestemmingsplan per saldo verbetert of ten minste gelijk blijft, of, bij een beperkte toename, door een met de ontwikkeling samenhangende maatregelen of effect, per saldo verbetert, of;
  • het bestemmingsplan niet in betekende mate bijdraagt aan de concentratie van een stof waarvoor in de wet grenswaarden voor zijn opgenomen, of;
  • de ontwikkeling is opgenomen of past in het Nationaal Samenwerkingsprogramma Luchtkwaliteit.

Onderhavig plan voorziet in een functiewijziging en de realisatie van één nieuwe woning in een bestaand pand. Dit bestemmingsplan valt daarmee onder de 'Regeling niet in betekenende mate bijdragen (luchtkwaliteitseisen)' namelijk in categorie: 1.500 woningen (netto) bij minimaal 1 ontsluitingsweg. Derhalve is het niet nodig luchtkwaliteitsonderzoek uit te voeren voor dit bestemmingsplan.

4.1.6 Externe veiligheid

Het beleid voor externe veiligheid is gericht op het verminderen en beheersen van risico's van zware ongevallen met gevaarlijke stoffen in inrichtingen en tijdens het transport ervan. Op basis van de criteria zoals onder andere gesteld in het Besluit externe veiligheid inrichtingen (verder: Bevi) worden bedrijven en activiteiten geselecteerd die een risico van zware ongevallen met zich mee (kunnen) brengen. Daarbij gaat het vooral om de grote chemische bedrijven, maar ook om kleinere bedrijven als LPG-tankstations en opslagen van bestrijdingsmiddelen. Daarnaast zijn (hoofd)transportassen voor gevaarlijke stoffen, zoals buisleidingen, spoor-, auto-, en waterwegen, ook als potentiële gevarenbron aangemerkt.

Het beleid voor externe veiligheid heeft tot doel zowel individuele burgers als groepen burgers een minimum beschermingsniveau te bieden tegen een ongeval met gevaarlijke stoffen. Om dit doel te bereiken zijn gemeenten en provincies verplicht om bij besluitvorming in het kader van de Wet milieubeheer, de Wet ruimtelijke ordening en de Wabo de invloed van een risicobron op zijn omgeving te beoordelen. Daartoe wordt in het externe veiligheidsbeleid het plaatsgebonden risico en het groepsrisico gehanteerd.

  • Het plaatsgebonden risico is de kans dat een persoon die zich gedurende een jaar onafgebroken onbeschermd op een bepaalde plaats bevindt, overlijdt als gevolg van een ongeval met gevaarlijke stoffen. Dit risico wordt per bedrijf vastgelegd in contouren. Er geldt een contour waarbinnen die kans 10-6 (één op 1.000.000) bedraagt (verder: PR-contour).
  • Het groepsrisico is een berekening van de kans dat een groep personen binnen een bepaald gebied overlijdt ten gevolge van een ongeval met gevaarlijke stoffen. De oriëntatiewaarde geeft hierbij de indicatie van een aanvaardbaar groepsrisico. Indien een ontwikkeling is gepland in de nabijheid van een risicobron geldt afhankelijk van de ontwikkeling een verantwoordingsplicht voor het toelaten van gevoelige functies.

afbeelding "i_NL.IMRO.0340.BP2021Utstrweg93-ON01_0015.jpg"

Uitsnede risicokaart met de locatie van het plangebied in de rode cirkel aangeduid

Hierboven is een uitsnede van de risicokaart weergeven. Hieruit blijkt dat ten noordwesten van het plangebied een opslaggebouw aanwezig is waar gevaarlijke stoffen overdekt opgeslagen worden. De afstand van deze risicocontour bedraagt 215 meter. Ook is daarnaast een bovengrondse tank aanwezig, waarvoor de risicocontour 22 meter bedraagt. De afstand van het plangebied tot de grens van de grootste risicocontour is ruim 400 meter. Het plangebied ligt dan ook ruim buiten de risicocontouren van deze inrichtingen. Daarnaast loopt naast het plangebied nog een transportas voor gevaarlijke stoffen: de N225. Deze weg ligt op circa 10 meter naast de woning. Op de N225 kan een ongeval plaatsvinden waarbij brandbare gassen een explosie kunnen veroorzaken. De effecten van een explosie kunnen tot op een afstand van 355 meter dodelijk zijn. Tevens vindt over deze weg vervoer van brandbare vloeistoffen plaats die een plasbrand kunnen veroorzaken. De effecten hiervan kunnen tot 35 meter dodelijk zijn.

Gezien de bebouwingsdichtheid langs de weg zal het groepsrisico ver onder de oriënterende waarde liggen. Verder maakt dit plan geen ontwikkeling mogelijk die leidt tot een relevante toename van de persoonsdichtheid langs deze weg. Hierdoor worden groepsrisicoberekeningen niet noodzakelijk geacht. Er kan volstaan worden met een beknopte verantwoording van het groepsrisico.

Op grond van het Bevb kan de verantwoording beperkt blijven indien het groepsrisico minder dan 0,1 maal de oriëntatiewaarde bedraagt en/of het groepsrisico met minder dan 10% toeneemt. In het buitengebied wordt de waarde 0,1 maal de oriëntatiewaarde nergens overschreden en neemt het groepsrisico niet toe. Hierna wordt de verantwoording van het groepsrisico beperkt toegelicht waarin de volgende verantwoordingselementen worden meegenomen:

  • Personendichtheid en de hoogte van het groepsrisico vóór en na realisatie van het plan;
  • Mogelijkheden voor zelfredzaamheid van de bevolking;
  • Mogelijkheden voor de hulpverlening en bestrijding van een ramp.

Personendichtheid en de hoogte van het groepsrisico vóór en na realisatie van het plan

Het plangebied is gelegen langs de N225. De personendichtheid rondom het plangebied is zeer gering. De personendichtheid ten noorwesten van het plangebied is aanmerkelijk hoger. Dit is echter niet het gevolg van de personendichtheid van het plangebied. Onderhavig plan zorgt er nauwelijks voor dat de personendichtheid in het plangebied toeneemt. Er komt slechts één huishouden bij. Er is dan ook geen relevante wijziging in de hoogte van het groepsrisico waar te nemen door onderhavig plan.

Mogelijkheden voor zelfredzaamheid van de bevolking

De bevolking in het buitengebied bestaat grotendeels uit zeer zelfredzame personen. Er zijn weinig grote groepen mensen of groepen met een grotere kwetsbaarheid in het buitengebied aanwezig. Het advies is dat bij een explosie of een brand voldoende vluchtmogelijkheden zijn aan de achterzijde van het plan en er communicatie plaatsvindt over de risico’s en deze vluchtmogelijkheden.

Mogelijkheden voor de hulpverlening en rampenbestrijding

Bij een incident op de N225 dient de brandweer snel te kunnen beschikken over voldoende bluswater, zowel primaire alsook secundaire of tertiaire (open water), om een incident adequaat te kunnen bestrijden. Nabij het plangebied zijn voldoende bluswatervoorzieningen die voldoen aan art. 6.30 van het Bouwbesluit 2012. Op maximaal 40 meter van de woningen wordt bluswater onttrokken met een capaciteit van ten minste 30 m3/h.

4.2 Archeologie, cultuurhistorie en monumenten

Het plangebied is op de gemeentelijke archeologische waarden- en verwachtingskaart gelegen in een gebied aangeduid als 'categorie 3, dorpskern, historische lintbebouwing'. Dit houdt in dat het plangebied een hoge archeologische verwachting heeft, mede gebaseerd op cultuurhistorie. Hierbij geldt dat een archeologisch onderzoek nodig is bij bouwwerken groter dan 100 m2 en dieper dan 30 cm onder het maaiveld.

afbeelding "i_NL.IMRO.0340.BP2021Utstrweg93-ON01_0016.jpg"

Uitsnede archeologische waarden- en verwachtingskaart gemeente Rhenen

Onderhavig plan voorziet niet in nieuwe bouwwerken. Een archeologisch onderzoek is derhalve niet nodig.

4.3 Ecologie

Gebiedsbescherming

Circa 20 meter ten zuiden van de woning grenst het plangebied aan het Natura 2000-gebied 'Rijntakken'. Onderhavig plan voorziet alleen in een inpandige verbouwing. Gezien de aard en de kleinschaligheid van deze ontwikkeling, valt niet te verwachten dat negatieve effecten op beschermde gebieden optreden.

Soortenbescherming

Onderhavig plan voorziet niet in de sloop van gebouwen en bouwwerken, maar enkel een inpandige verbouwing. Negatieve effecten op beschermde soorten zijn derhalve niet te verwachten. Een onderzoek naar beschermde soorten is niet nodig.

4.4 Kabels en leidingen

Binnen het plangebied zijn geen kabels en leidingen aanwezig die planologische bescherming behoeven. Hierdoor vormt dit dus geen belemmering voor dit bestemmingsplan.

4.5 Verkeer en parkeren

Op basis van CROW-publicatie 381 is de verwachte verkeersgeneratie te bepalen. Onderhavig plan voorziet in een woningsplitsing, waardoor feitelijk sprake zal zijn van een twee-onder-een-kapwoning. Het maximale kengetal hiervoor is 8,2 verkeersbewegingen per etmaal. Dit is een relatief beperkte toename van het verkeer, en kan makkelijk opgenomen worden in de bestaande capaciteit van de Utrechtsestraatweg.

De gemeente Rhenen heeft haar parkeerbeleid vastgelegd in het paraplubestemmingsplan Parkeren. Aan de basis van dit plan geldt de beleidsnota Parkeernormen en parkeerfonds. Op basis hiervan is dan ook de parkeernorm te bepalen voor de nieuw te bouwen woning. De woning wordt gebouwd in het buitengebied en zal een woning in het dure segment worden. Hiervoor geldt de maximale parkeernorm van 2,2. Aangezien er in de nieuwe situatie sprake is van twee woningen, moet er dus voorzien worden in 4,4 parkeerplaatsen. Op het perceel is voldoende ruimte om hierin te kunnen voorzien.

Verkeer en parkeren staat de uitvoerbaarheid van onderhavig plan niet in de weg.

4.6 Waterparagraaf

Sinds 1 november 2003 is voor alle ruimtelijke plannen de watertoets verplicht. Het doel van de watertoets is waterbelangen evenwichtig mee te nemen in het planvormingsproces van Rijk, Provincies en gemeenten. Hiermee wordt een veilig, gezond en duurzaam watersysteem nagestreefd. De toets omvat het gehele proces van vroegtijdig informeren, adviseren, afwegen en uiteindelijk beoordelen van de in ruimtelijke plannen voorkomende waterhuishoudkundige aspecten. Via de digitale watertoets is beoordeeld of en welke waterbelangen voor het plan relevant zijn.

Voor onderhavig plan is via www.dewatertoets.nl de digitale watertoets uitgevoerd. Het resultaat hiervan is opgenomen als Bijlage 2 bij deze toelichting. Hieruit is naar voren gekomen dat het plan geen groot effect heeft op water. Er is dus geen groot waterbelang. De ontwikkelingen die door het plan mogelijk worden gemaakt, hebben een geringe invloed op de waterhuishouding en de afvalwaterketen.

Dit bestemmingsplan voorziet in een interne verbouwing waarmee een extra woning wordt gerealiseerd, binnen het al aanwezige hoofdgebouw. Dit leidt niet tot een toename van verhard oppervlak. Compenserende maatregelen voor de waterberging zijn niet nodig. Hemelwater dat op de nieuwe bebouwing valt wordt via een hemelwaterafvoer afgevoerd naar de omliggende gronden, waar het de bodem kan infiltreren.

Voor het afvalwater wordt de nieuwe woning aangesloten op de gemeentelijke riolering. Beide woningen krijgen een aparte riool-aansluiting. De aanleg mag in eigen beheer worden uitgevoerd zover het geen openbaar gebied is. Aansluiten op het drukrioolgemaal zal in overleg en door de gemeente worden uitgevoerd. De Utrechtsestraatweg is voorzien van mechanische riolering. Dit is een stelsel van drukrioolgemalen en drukleidingen. Dit is alleen bedoeld om vuilwater af te voeren. Hemelwater mag en zal niet worden geloosd op deze voorziening.

Negatieve effecten op de waterhuishouding zijn niet aan de orde.

Hoofdstuk 5 Juridische planopzet

In hoofdstuk 3 is de beoogde invulling van het plangebied beschreven. Hoofdstuk 4 liet zien dat dit uitvoerbaar is. In dit hoofdstuk wordt ingegaan op de juridische regeling om het mogelijk te maken.

Voor de regels van dit plan zijn de relevante regels uit het bestemmingsplan 'Buitengebied 2010' gebruikt.

Het plangebied behoudt de bestemming 'Wonen'. Daarmee worden deze gronden in hoofdzaak bestemd voor wonen, een beroep en bedrijf aan huis en waterhuishoudkundige voorzieningen. Per bestemmingsvlak zijn twee woningen toegestaan, met een maximale inhoud van 600 m3. Voor woningen geldt tevens een maximale goot- en bouwhoogte van respectievelijk 3,5 en 8 meter.

Hoofdstuk 6 Uitvoerbaarheid

6.1 Maatschappelijke uitvoerbaarheid

6.1.1 Vooroverleg

Het concept van dit bestemmingsplan is toegezonden aan Rijkswaterstaat, de provincie Utrecht, de Veiligheidsregio Utrecht, de Omgevingsdienst regio Utrecht en het Hoogheemraadschap De Stichtse Rijnlanden in het kader van het overleg ex artikel 3.1.1 van het Besluit ruimtelijke ordening. Rijjkswaterstaat heeft geen reactie gegeven op het plan. De provincie heeft aangegeven geen opmerkingen te hebben. Het vooroverleg met het waterschap heeft reeds plaats gevonden in het kader van de watertoets, zie paragraaf 4.6. Het waterschap heeft toen een positief advies afgegeven.

De veiligheidsregio heeft aangegeven dat de N225 wel als relevante risicobron beschouwd moet worden, en is in het advies ingegaan op de mogelijkheden tot voorbereiding van bestrijding en beperking van de omvang van een ramp alsmede de mogelijkheden tot zelfredzaamheid in het plangebied. Deze maken onderdeel uit van een (beknopte) verantwoording van het groepsrisico. Het advies van de veiligheidsregio is overgenomen in dit plan.

De omgevingsdienst heeft het akoestisch onderzoek beoordeeld. Op basis daarvan is de onderzoeksrapportage aangepast en verwerkt in dit plan.

6.1.2 Voorontwerp

De ontwikkeling die dit plan mogelijk maakt, heeft een beperkte invloed op zijn omgeving. Daarom heeft geen voorontwerp van dit plan voor inspraak ter inzage gelegen. De buurtbewoners zijn door de initiatiefnemer geïnformeerd over het initiatief. Het betreft de buurtbewoners woonachtig aan de Utrechtsestraatweg 91 en 99. Beide buurtbewoners hebben aangegeven geen bezwaren te hebben tegen het voornemen.

6.1.3 Ontwerp

Met ingang van P.M. tot en met P.M. heeft het ontwerp van dit bestemmingsplan ter inzage gelegen. Toen zijn P.M. zienswijzen ingediend.

6.2 Economische uitvoerbaarheid

Op grond van artikel 6.12, eerste lid van de Wet ruimtelijke ordening (Wro) stelt de gemeenteraad een exploitatieplan vast voor gronden waarop een bouwplan voorkomt dat in het Besluit ruimtelijke ordening (Bro) is aangewezen. Onderhavige plan voorziet in een bouwplan zoals dat in artikel 6.2.1 Bro is benoemd. Toch is het niet noodzakelijk een exploitatieplan vast te stellen. Met de initiatiefnemer wordt namelijk een anterieure overeenkomst gesloten. Hierin is geregeld dat alle kosten die samenhangen met de onderhavige herziening van het bestemmingsplan voor rekening komen van initiatiefnemer. Deze herziening heeft derhalve voor de gemeente geen financiële gevolgen.